びびママさんのクチコミ(23ページ)全729件
- サムネイル表示
- リスト表示
- ホテル
- ショッピング
- グルメ・レストラン
- 交通機関
- 観光スポット
- 基本情報
-
投稿日 2015年06月24日
総合評価:4.0
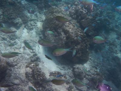
ボラカイ島のシュノーケリングポイントです。
東海岸シブヤン海側にある小島のひとつクロコダイルアイランド。
形がワニの形に似てるから?
アイランドホッピングの途中に寄るポイントです。
たくさんのボートが停まっていてそれぞれ潜っていたり・・浮いていたりして
楽しんでいます。
行った日は結構波があってうっかりすると流されてしまいます。
初心者や泳力に不安のある人はちょっと怖いかも・・。
びびママはバンカーにつかまりながら浮かんで水中を眺めました。
水深は2~3m?透明度はなかなか・・浅いので水中が明るい。
時間にして20分~30分程度ですが
サンゴやお魚がたくさん見られて楽しかったです。
ボートにはレンタル用マスク・シュノーケルはありましたがフィンはありませんでした。- 旅行時期
- 2015年05月
- 利用した際の同行者
- カップル・夫婦
- 観光の所要時間
- 半日
- アクセス:
- 3.0
- ボートで行きます。
- アクティビティ:
- 4.0
- 透明度良し。波が結構ありました。
- 人混みの少なさ:
- 3.5
- ボートがたくさん停泊しています。
- 難易度:
- 4.0
-
投稿日 2015年06月23日
総合評価:4.5
通常はシーフードバーベキュー+バーがメインのパラディソグリルのようですが
深夜でもフードメニューがあってとても嬉しかったです。
初日フライトのディレイもあってボラカイ島到着は深夜・・そしてお腹がぺこぺこ。
ビールも良いけどやっぱり何か食べたい!深夜12時近くなのでドリンクオンリーのところが多い中・・ここはフードあるよ!って。
ハンバーガー+ポテトのプレートは炭火焼のハンバーグが美味い!
場所はステーション2のほぼ真ん中のビーチサイド。ロケーションは最高!
スタッフさんもとても気さくで感じ良かったです。- 旅行時期
- 2015年05月
- 利用した際の同行者
- カップル・夫婦
- アクセス:
- 5.0
- ステーション2のビーチサイド。賑やかなエリアです。
- コストパフォーマンス:
- 3.0
- サービス:
- 4.0
- 雰囲気:
- 4.0
- 夜のビーチの賑やかさを感じるには最高。
- 料理・味:
- 4.0
- ハンバーガー美味い!
-
投稿日 2015年06月23日
総合評価:4.0
ボラカイ島のダイビングショップ「アイランドスタッフ」
日本人のYURINさんのお店です。
旅行へ行く前は「YURINさんのブログ」でボラカイ島の情報をたくさん収集させていただきました。
というわけで人生初の体験ダイビングをお願いしました。
「アイランドスタッフ」のショップはステーション3にあります。
ステーション2のホテルへはスタッフがトライシクルでお迎え。
初めての体験ダイビング・・日本人の日本語での説明はとても安心感があります。
そしてダイビングはお殿様・お姫様ダイビング(びびママはあいにく耳抜きが出来ずリタイアでしたが・・)
ボートエントリーでもビーチから近いポイント+1ダイブなので短時間で手軽に経験出来るのがとても良かったです。
タイへの旅行でもお世話になりましたが・・世界各地で活躍されている日本人。本当に心強いです。- 旅行時期
- 2015年05月
- 利用した際の同行者
- カップル・夫婦
- アクセス:
- 3.0
- ホテルへお迎えあります。
- 水の透明度:
- 4.0
- 難易度:
- 4.0
-
投稿日 2015年06月23日
-
投稿日 2015年06月23日
総合評価:4.0
ステーション2のビーチロードからメインロードまでのエリアにあるショッピングストリート。
道の両脇に小さなショップが並ぶアウトレットのような雰囲気です。
ちょっと高級そうなショップ(警備員つき)からなんでもありのお土産屋さんまで・・レストラン・カフェ・美容院(ネイル出来ます)両替所・ATMなどなんでもあります。
観光客向けの品揃えと価格なのでしょうが楽しみながらお買い物が出来ます。
呼び込みなどなく買いやすいのも○です。- 旅行時期
- 2015年05月
- 利用した際の同行者
- カップル・夫婦
- お買い得度:
- 4.0
- サービス:
- 4.0
- 品揃え:
- 4.5
- お洒落な雑貨からチープなものまでいろいろあります。
-
投稿日 2015年06月22日
総合評価:4.0
アイランドホッピングで海側から訪れたプカシェルビーチ。
思ったより広いビーチでした。
ビーチは遠浅ではなく・・訪れた日は波も荒かったので
のんびり泳ぐような感じではありませんでした。
陸側からのアクセス入口近辺に少しお店やレストランらしき建物がある以外
数点の小屋のショップが点在するとても素朴な雰囲気です。
ホワイトビーチから離れてのんびりとした時間を過ごすのには○かな。
砂はホワイトビーチとは違いサンゴが砕けた粗い感じ・・名前の由来のプカシェルもあるかも・・。
プカシェルで作られたアクセサリーを売る子どもたちもいました。
子ども相手に値切るのは気が引けますが・・納得のお値段で購入して下さいね。- 旅行時期
- 2015年05月
- 利用した際の同行者
- カップル・夫婦
- アクセス:
- 3.0
- 景観:
- 4.0
- 人混みの少なさ:
- 5.0
- ホワイトビーチの喧騒とは無縁の静けさ。
- 水の透明度:
- 5.0
-
投稿日 2015年06月22日
総合評価:4.5
ボラカイ島のホワイトビーチ!
砂の白さと水の透明度はやはり素晴らしいです。
特に真っ白な砂は真昼までも裸足で歩けるほどの白さ。
サラサラの感覚は本当に素晴らしいです。
(その景観を守るためにお掃除や規則など・・かなりの努力をしています)
ただ・・波うち際には緑の藻が・・
これは季節的なものらしいですが5月にはステーション2を中心にかなりありました。
綺麗な緑色なので「汚い」感はありません。ただ・・やっぱりないほうが良い。
ステーション2から1方向へ少し歩くと藻がなくなるポイントもあります。
その景観は一見の価値ありです。- 旅行時期
- 2015年06月
- 利用した際の同行者
- カップル・夫婦
- アクティビティ:
- 5.0
- ビーチのアクティビティ・・きっとどれもあります。
- 景観:
- 5.0
- やはり素晴らしいです。
- 人混みの少なさ:
- 3.0
- ビーチロードはかなりの混雑・・七夕みたい^^
- 水の透明度:
- 5.0
-
投稿日 2015年06月22日
総合評価:3.0
船でしかアクセス出来ないボラカイ島。
カティクラン港からのボートはこの港に到着します。
ターミナルを出たところに広めの広場があり
そこからホテルの送迎車やソンテウ・トライシクルなどに乗り換えます。
カティクランから到着したのは23時ごろ・・
たくさんいるはずのトライシクルが・・いない!
それでも少し待つと何台かやってきて・・安心しました。
ステーション2のホテルまでは言い値で150ペソでした。
帰りはホテルの送迎で。
ターミナルフィーなどはスタッフが支払っていました。
この港もごく普通の設備のターミナルでした。- 旅行時期
- 2015年05月
- 利用目的
- 市内・近距離
- 利便性:
- 3.0
-
投稿日 2015年06月21日
総合評価:3.0
空港のないボラカイ島。
パナイ島の空港からボラカイ島へ行くために必ず経由する港です。
送迎なしで自分で行く場合の手順について記載してみます。参考までに。
?ターミナルに入る前に入口左手の窓口でターミナルフィー(100ペソ)とボラカイ島のエントランスフィー(75ペソ)を支払いチケットをもらいます。
?ターミナルへ入場の際に手荷物検査あり。
?その後受付カウンターらしき場所でボラカイ島への上陸のために簡単な書類に記載。
?先に購入したターミナルフィーとエントランスフィーのチケットを提示するゲートを通過。
?ボートを待ちます。
?ボートの準備が出来たらゲートが開くのでそのまま人の流れに着いて行きます。
?ボートへ搭乗の際に乗船料(100ペソ)を現金で支払い乗船。
というわけでボラカイ島行きの船に無事乗船出来ました。
びび家みたいにホテルのお迎えが来ない!なんて時にこの流れで行けば慌てず大丈夫ですよ。
ターミナルは結構普通の感じだったのであまり不安等は感じませんでした。- 旅行時期
- 2015年05月
- 利用目的
- 市内・近距離
- 利便性:
- 3.0
-
投稿日 2015年06月20日
総合評価:3.0
ボラカイ島へのアクセス空港の1つカリボ空港。
マニラ往復の国内線利用です。
空港内に入るのにセキュリティーチェック(航空券+パスポート)されます。
チェックイン後手荷物検査を受けて制限エリア内の待合室には
売店やカフェなど何もありません。ディレイが普通のお国柄なので厳しい。
空腹でチェックインはしないほうが無難です。
空港はリニューアルしたばかり(現在も工事中?)なので
待合室自体やトイレは新しくて清潔です。
ただ・・マニラの国内線ターミナルも同様で
搭乗案内は肉声またはメガホン+手書きプレートです。
国際空港でも滑走路は1本でのどかな雰囲気です。
バゲージクレームなども人力感があってある意味癒されます。
フィリピンは時間に追われる旅は向いてないということを実感する
そんな空港・・そしてフライトでした。- 旅行時期
- 2015年05月
- 人混みの少なさ:
- 4.0
- 施設の充実度:
- 2.0
-
投稿日 2015年06月20日
総合評価:2.0
前日出発時刻から24時間をきってのフライトキャンセル・・
チェックイン時に知らされるターミナル変更・・
アナウンスもなくディレイ・・やっとアナウンスあってもさらにディレイ・・
搭乗後離陸まで1時間以上・・
LCCゆえの試練か・・それともフィリピンゆえの試練か・・
今までの旅行はすべて順調だったので
今回の立て続けのアクシデントはこたえました。
それでもスタッフさんたちはみんな若くて明るくて親切。
これは救いでしたね。
たまたまだったのか・・いつもなのかわかりませんが
次セブパシフィックを使うかといったらNO!です。
ただ・・マニラからボラカイ島へのアクセスは
LCCかフィリピンエアくらいなんですよね~~。
セブパシフィック!がんばって!- 旅行時期
- 2015年05月
- 利用した際の同行者
- カップル・夫婦
- 搭乗クラス
- エコノミー
- 航空券の価格
- 20,000円未満
- 直行便
- 直行便
- コストパフォーマンス:
- 3.0
- フィリピンエアに比べると少しだけお安い・・。
- 接客対応:
- 4.0
- スタッフはみんな明るくて親切・・これだけが救いでした。
-
投稿日 2015年06月19日
総合評価:4.0
マニラ「ニノイ・アキノ空港」世界でもワーストに入る空港とのことですが
ANA便の発着する第3ターミナルは新しいので普通に綺麗で明るく・・危険な感じはまったくありませんでした。
到着時出口付近に両替所あり。
また出国時の制限アリア内に免税店やスーベニアショップなどいくつかありますが
買い足し程度への対応規模です。
お土産は空港へ来る前に購入したほうが良いでしょう。
ボラカイ島へのセブパシフィックは
第4ターミナルからのフライトでした。
国内線専用ターミナルの第4ターミナルは空港というよりバスターミナル。
搭乗便が電光掲示板に表示されていないという初の洗礼を受けました。
それでもこのターミナルもセキュリティーチェックなどしっかりしていて
治安面の不安はまったく感じませんでした。- 旅行時期
- 2015年05月
- アクセス:
- 3.0
- 人混みの少なさ:
- 3.0
- フィリピンでも連休の日だったのでかなりの混雑でした。
-
投稿日 2015年06月19日
総合評価:4.5
GW羽田発の前泊で利用しました。
羽田空港へは少し距離があるエリアですが駅近ホテルで
とても便利です。大きな道路を渡らないのも良いです。
お部屋はまさにビジネスホテル。
お部屋は清潔・・お値段に比して案外広い!と感じました。
フロントやロビーも明るいしスタッフもとても丁寧で好印象。
女性の1人旅の前泊でも安心して使えそうです。
何よりお値段がお安い!海外出発前のコストが抑えられるのが良いですね、- 旅行時期
- 2015年05月
- 利用目的
- 観光
- 利用した際の同行者
- カップル・夫婦
- 1人1泊予算
- 5,000円未満
- アクセス:
- 4.5
- 駅からすぐ。
- コストパフォーマンス:
- 5.0
- 客室:
- 3.0
- 接客対応:
- 5.0
- 風呂:
- 3.0
-
投稿日 2015年06月18日
総合評価:5.0
ボラカイ島からの帰国のトランジットホテルとして宿泊しました。
空港からの距離が比較的近い・空港の送迎がリーズナブル
シャングリラホテルグループ・クラブラウンジからのマニラ湾の眺望が素晴らしい・・
ということで決定。
治安面で若干不安のあるマニラ。
空港到着口へシャングリラスタッフがお迎え・・そしてホテル専用車へ誘導は
かなりの安心感です。
今回はトランジットということもありホテルスティがメイン。
なのでクラブルームにしましたが・・このホテルのクラブラウンジは19階にあり
マニラ湾の眺望は最高でした。
カクテルタイムにゆっくりとサンセットを楽しむ・・。
観光はしなかったけどマニラの夕陽はとても素敵な思い出になりました。- 旅行時期
- 2015年05月
- 利用目的
- 観光
- 利用した際の同行者
- カップル・夫婦
- 1人1泊予算
- 15,000円 未満
- コストパフォーマンス:
- 5.0
- サービス:
- 4.0
- バスルーム:
- 3.0
- ロケーション:
- 4.5
- 客室:
- 3.0
-
投稿日 2015年06月18日
総合評価:4.5
ボラカイ島のホワイトビーチから離れた
ディニウッドビーチにある全12室のプライベートリゾートです。
このホテルはなんといってもお部屋やバルコニーからのオーシャンビュー!
バンカーボートが宙に浮いてるように見える風景は本当に素晴らしいです。
ホワイトビーチの喧騒から逃れて静かなバカンスを楽しむにはぴったり。
かなり評価の高いレストランそしてスパも併設されています。
どちらも素晴らしい眺望付です。
スタッフは事前に宿泊したレッドココナッツに比べるとかなり控えめな感じですが
要望したことにはしっかりこたえてくれるので安心感がありました。
バトラーサービスも使いこなせばとても心地良いです。- 旅行時期
- 2015年05月
- 利用目的
- 観光
- 利用した際の同行者
- カップル・夫婦
- 1人1泊予算
- 12,500円 未満
- コストパフォーマンス:
- 4.0
- サービス:
- 4.0
- バスルーム:
- 3.0
- ロケーション:
- 4.0
- 客室:
- 4.0
-
投稿日 2015年06月17日
総合評価:4.5
ステーション2のほぼ真ん中。
Dモールからもすぐの立地は最高なホテルです。
レストランやバーも併設。プールと専用ビーチエリアもあります。
お部屋からホワイトビーチ+海も見えました。
サンセットはバルコニーからものんびり見ることが出来ます。
サービス面はとにかくカジュアル。
スタッフはフレンドリーでみんな働き者でした。
挨拶もしっかりしてくれたし・・いつも「Enjoy~~☆」と言ってくれて
なんか嬉しい。
ステーション2のオンザビーチなので
夜の騒々しさはかなりですが・・
ボラカイ島らしさを感じるにはとても良いホテルでした。
団体客はいません。
ゲストはフィリッピーナとアメリカンがほとんどでした。- 旅行時期
- 2015年05月
- 利用目的
- 観光
- 利用した際の同行者
- カップル・夫婦
- 1人1泊予算
- 12,500円 未満
- コストパフォーマンス:
- 5.0
- サービス:
- 4.0
- 空港への送迎・・行き違いか?お迎えがなかった^^
- バスルーム:
- 4.0
- バスタブはありません。
- ロケーション:
- 5.0
- 客室:
- 4.5
-
投稿日 2015年02月07日
-
投稿日 2015年02月07日
総合評価:4.5
冬の旭山動物園。
やっぱり見逃せないのはペンギンの散歩!
すぐそこをペンギンが歩く様子は本当に可愛いです。
ペンギンの習性を利用するこのイベントは
ペンギン舎を出発して狩りをする(獲物をもらう)場所までの往復のコースで約40分。
復路はペンギンさんが寝転がったりお休みしたり
往路よりちょっと余裕の姿がいっそう楽しめるのでお勧めですよ。
真冬の屋外イベントなので防寒対策そして足元の対策はしっかりしてお出かけが必須です。
「見せる」ことにとても工夫されている旭山動物園は他にも楽しめる場所がたくさん。
時間をたっぷりとって楽しんで下さい。
冬季開園のせいか昼食を食べる場所が少ないと感じました。
時間をずらすなど・・工夫が必要です。
お土産ショップは何ヶ所かありました。品揃えもショップで若干違うようでした。
旭川駅からはバスでのアクセスです。
駅のバス停はすぐにわかって便利。帰りも1台が満員で出発後すぐに増便されたので安心です。雪混じりの天候でしたが渋滞などはありませんでした。
札幌からJR+バスチケット+入園料込みの「旭山動物園切符」がお得です。- 旅行時期
- 2014年12月
- 利用した際の同行者
- 家族旅行
- アクセス:
- 4.0
- コストパフォーマンス:
- 4.0
- 人混みの少なさ:
- 4.0
- 冬でも結構な人出。海外からの旅行者が多かったです。
- 施設の快適度:
- 4.0
- 食事を取る場所が少なめ。
- 動物・展示物の充実度:
- 4.5
-
投稿日 2015年01月18日
総合評価:4.5
札幌から旭山動物園に行くならぜひこれで!
列車がすべて動物園をテーマにラッピングされていて
大人でもわくわくテンションがあがります。
ハグハグチェアーなど・・この発想ってすごい!楽しいです。
札幌ー旭川を期間限定1日1往復指定席のみの運行です。
JR北海道のネット予約会員登録をすると画面で予約席を決めることが出来るので
好きなテーマの車両の席も選べます。
ただ・・車両は古いものを改造しているようで座席などは
同じ路線を走る特急「スーパーカムイ」などと比べると狭いかも・・
大人なら片道乗車で十分かな。- 旅行時期
- 2014年12月
- コストパフォーマンス:
- 4.0
- 人混みの少なさ:
- 4.0
- 乗り場へのアクセス:
- 5.0
-
投稿日 2015年01月18日
総合評価:4.0
冬の札幌・・せっかくだから「ミュンヘンクリスマス市」開催中に行きたいと決めた日程。
昼もやってるけれどやっぱり夜のほうが雰囲気ありそう。
というわけでホワイトイルミネーションで彩られた夜の会場へ。
思ったよりはこじんまりとした会場。そして人がたくさん。
でも本場はこんな感じなのかな~~という想像を膨らますのには十分。
ショップのスタッフさんも外国の方も多いしサンタクロースも登場したり
ちょっと異国気分になれました。
温かいグリューワインもとても美味しかったし楽しめました。
販売品は結構高価なものが多くあれもこれも買えなかったのが残念。
いつか本場ヨーロッパのクリスマスマーケット行ってみたいなあ。
フードやドリンクの販売もあれこれありますが
ゆっくり座って食べられる感じではありませんでした。
またワオンが使えるショップもありました。- 旅行時期
- 2014年12月
- 利用した際の同行者
- 家族旅行
- アクセス:
- 5.0
- 人混みの少なさ:
- 4.0
- 催し物の規模:
- 4.0
- 雰囲気:
- 4.5


























































