BEBETOMOさんのクチコミ(3ページ)全419件
- サムネイル表示
- リスト表示
- ホテル
- ショッピング
- グルメ・レストラン
- 交通機関
- 観光スポット
- 基本情報
-
投稿日 2014年09月08日
総合評価:5.0
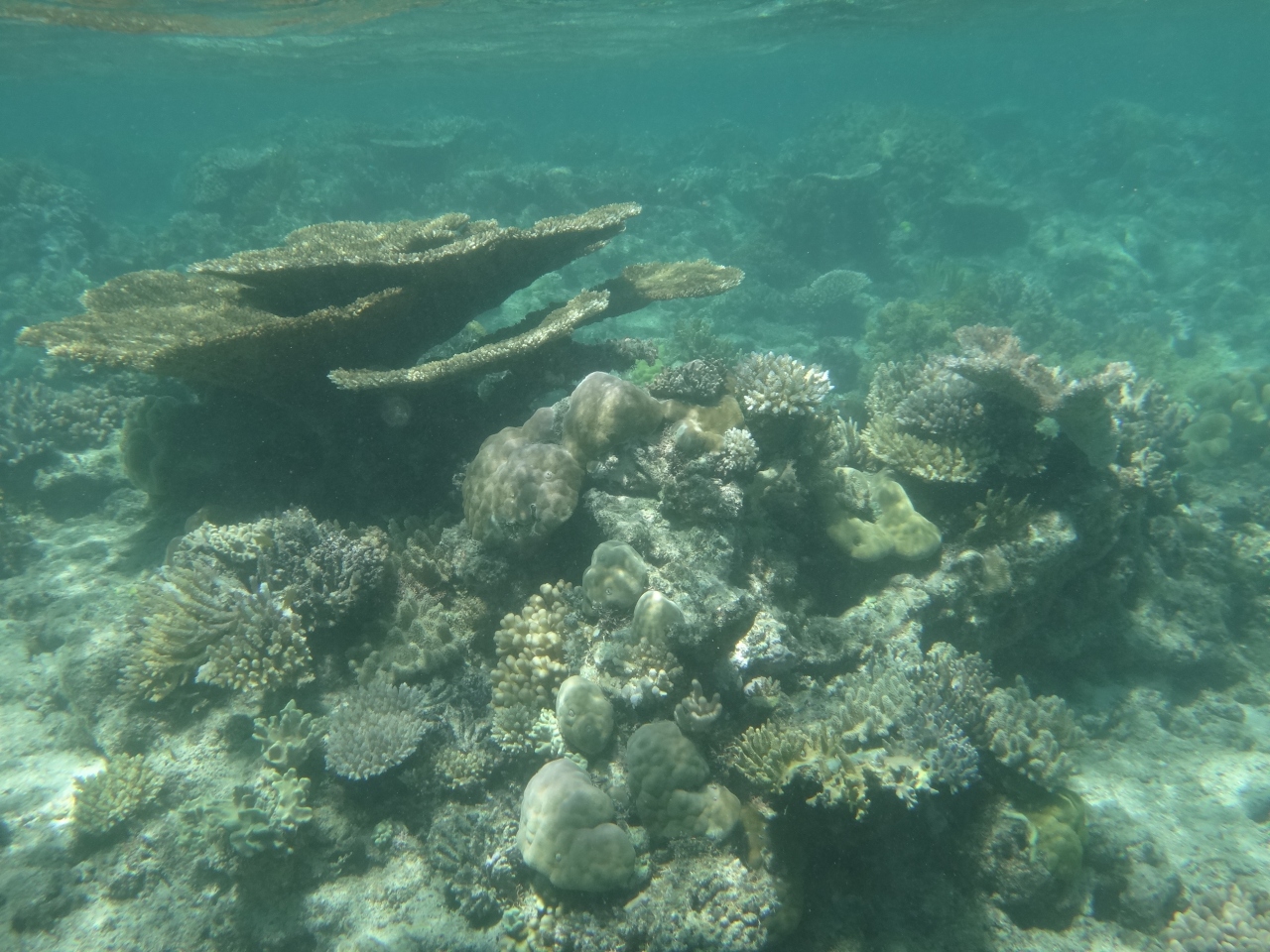
フィッツロイ島からの日帰り体験スキューバダイビングをしました。初体験がグレートバリアリーフと言う贅沢な。。。
教えてくれる方々は世界中の初心者を相手にしているのでしょう、慣れた感じで簡単な日本語だけでなく、ハングルとかも話してました(笑)
こういった一言が命がかかるアクティビティではちょっとした安心に繋がるなぁと感じました。
海底にはあらかじめ初心者用のロープや道しるべがあり、インストラクターの方と一緒に指差し確認をしながら楽しい時間を過ごしました。
クマノミやナポレオンフィッシュなど、まるであらかじめ仕込まれているんじゃないかってくらい(笑)、近くで確認することができました。
いつの日か、ちゃんとライセンスを取って再び潜りたいと強く感じる所でした。- 旅行時期
- 2012年09月
- 利用した際の同行者
- カップル・夫婦
- 観光の所要時間
- 1-2時間
- アクセス:
- 2.5
- 水の透明度:
- 5.0
- もう言う事ないです。
- 難易度:
- 3.0
- 経験者でないのでわかりませんが、体験者でも十分潜れました。
-
投稿日 2014年09月07日
総合評価:4.5
コーラル・シー(珊瑚海)はグレートバリアリーフを含むオーストラリアから西はニューカレドニア方面までの海。ここに行けばとことん最高の珊瑚が見れる事でしょう。
自然からの恵みがどういったものであるか五感で感じる事ができると思います。
一般的にはオーストラリア東岸からのツアーなどで訪れるのが簡単でしょう。その他、ヘリコプターやセスナで上から見るのも手です。
私は帰りの飛行機からも見えました。- 旅行時期
- 2012年09月
- 利用した際の同行者
- カップル・夫婦(シニア)
- アクセス:
- 2.0
- オーストラリア東岸の町から船などで移動。
- アクティビティ:
- 4.5
- マリンスポーツやその他観光ツアーもたくさんあります。
- 景観:
- 5.0
- 見るしかない!
- 人混みの少なさ:
- 4.0
- 水の透明度:
- 5.0
-
投稿日 2014年09月04日
総合評価:4.0
ケアンズから船で45分、隠れ家的(笑)リゾート。
宿泊施設はアイランドリゾートひとつだけ。人も多くなくゆるーーいリゾートを楽しめます。
アクティビティもそつなく用意されており、カップルでも家族でも楽しめる。
海だけでなく山側も少しだけ整備されておりトレッキングも可能。
それに、ここからダイレクトにグレートバリアリーフへ日帰り等で潜りも行けます。
孤島という事もあり、食事や飲み物は高め。節約したい方はこっそり持ち込んでください。
何をするでもなく、グダグダするには良い場所かと思います。
(高級リゾートとは思わないでくださいね(笑))- 旅行時期
- 2012年09月
- 利用した際の同行者
- カップル・夫婦
- アクセス:
- 3.5
- ケアンズから船で4〜50分程。
- アクティビティ:
- 4.0
- マリンスポーツは一通り揃っております。簡単なトレッキングも可能。
- 景観:
- 4.5
- 素晴らしい。
- 人混みの少なさ:
- 4.5
- ケアンズ周辺の島としてはマイナー、それほど人は多くない。
- 水の透明度:
- 3.0
- まわりのグレートバリアリーフ等に比べたら。。。
-
投稿日 2014年08月14日
総合評価:4.0
ケアンズからわずか1時間弱で行ける小さな島フィッツロイ島にあるこじんまりとしたリゾートホテル。島内にはこのホテルのみしかありません。(また、島自体がナショナルパーク)
オーシャンスイートに宿泊しましたが特に不満はなく、快適に過ごせました。(もちろん虫等はいます、自然の中ですのでこれはいたしかたないかと考えています)空調も水周りも問題ありませんでした。ただ、立地が自然を切り開いて造っているので、山側の部屋は圧迫感がありそうでした。(他の投稿でも不評でしたね)
スタッフはフレンドリーでこれも不満なし。高級リゾートのおもてなしを望むとつらいかもしれませんが、ほのぼのしたサービスが心地良かったです。
フロント前にインフォメーションボードがあり、これで日々の計画を立てられます。マリンスポーツの相談でしたらダイブセンターへ、日帰りクルーズやダイビングの手配もしてくれます。
レストラン・バーはやや高めですが、しょうがないですよね。おおっぴらにはできませんが、持込をすれば節約できます。
高級リゾートではありませんが、のんびりゆったり家族と過ごすには良い場所かと思います。- 旅行時期
- 2012年09月
- 利用目的
- 観光
- 利用した際の同行者
- カップル・夫婦
- コストパフォーマンス:
- 3.0
- サービス:
- 3.5
- バスルーム:
- 3.5
- ロケーション:
- 2.5
- 客室:
- 4.0
-
投稿日 2014年08月13日
総合評価:3.0
ケアンズからグレートバリアリーフへの玄関口。
フィッツロイ島やグリーン島、アウターリーフなどへの船がここから出ています。
ターミナル内にはチェックインカウンターが会社毎などに並んでいますので確認してください。
ちょっとした売店やカフェもありますので最後の買い物をするのも良いでしょう。
Jetty番号を確認し(出発桟橋番号)船に乗り込みましょう!
Reef Fleet Terminal, 1 Spence St, Cairns, QLD 4870- 旅行時期
- 2012年09月
- 利用目的
- 市内・近距離
- コストパフォーマンス:
- 3.0
- 利便性:
- 3.5
-
火災前に訪れました。(2012年に復活) 紅茶を運んだ帆船。
投稿日 2014年07月22日
総合評価:3.5
中国と英国の間で紅茶を運んだ帆船。19世紀に作られたそうです。「ティークリッパー」とも。
私が在英中の2007年に火事で損傷、当時はなくなっちゃうかも、修復不可能とも噂されましたが2012年に復活したとの事。良かったですね。
狭い船内を見学することができます、お子様にお勧めかと、子供って乗り物でいろいろ隠れたり動けるのって大好きですよね。入れる人数に限りがありますのでもし内部見学したい場合は予約した方がベターですね。
大人:12ポンド ※グリニッジにある他の施設との共用割引チケットもあり、そちらの方が断然お得。- 旅行時期
- 2006年03月
- 利用した際の同行者
- カップル・夫婦
- 観光の所要時間
- 1-2時間
- アクセス:
- 3.0
- コストパフォーマンス:
- 3.5
- 人混みの少なさ:
- 3.5
- 展示内容:
- 4.5
-
投稿日 2010年07月21日
総合評価:4.0
地下鉄Puntney bridgeからプレミアリーグFulhamのホームスタジアム、クレーヴン・コテージへと続くテムズ川沿いに広がる公園。
毎年のオックスフォードVSケンブリッジのボート競技には人で溢れかえります。
でもそれ以外の日は至って静か、のんびりとテムズ河を眺めながらゆったりとした時間を過ごしてください。- 旅行時期
- 2008年05月
- 利用した際の同行者
- カップル・夫婦
- 観光の所要時間
- 1-2時間
- アクセス:
- 4.0
- 景観:
- 5.0
- 人混みの少なさ:
- 3.0
-
投稿日 2014年07月13日
総合評価:3.0
当時は施設のリノベーションを行っている期間でしたのであまり混雑はしていませんでした。基本外での観覧、ありのままの自然に近づけているため公園の吹きさらしの中でとても寒い。。。中での食事やお土産もやや割高とあまりいい思い出がないです(笑)
当時、英国人の同僚にロンドン動物園に行くと言ったら苦笑されました、、、田舎の動物園の方がまだ良いよと言われたのが印象的で、のちにその理由もわかりました。まぁ百聞は一見に如かず、ご自身で体験頂ければと思います。- 旅行時期
- 2006年03月
- 利用した際の同行者
- カップル・夫婦
- 観光の所要時間
- 半日
- アクセス:
- 3.5
- コストパフォーマンス:
- 2.0
- 人混みの少なさ:
- 3.5
- 施設の快適度:
- 3.5
-
投稿日 2014年07月13日
総合評価:4.0
ロンドン中心部北にある大きな公園。地下鉄ベーカーストリート駅から歩いて少々。公園内にはロンドン動物園があり、子供たちの姿も多くみられ、楽しそうな風景がそこかしこで見られます。私の取っての思い出は少し苦いもので2005年7月7日に起こったロンドン同時爆発事件。この場所の近くを自分が歩いていたこと、そして1年後の追悼式がここで行われました。その際の写真です、モザイクと花びらで花のモニュメントを完成させました。私にとっては楽しい思い出で埋まっていくこの公園が平和への象徴です。
- 旅行時期
- 2006年07月
- 利用した際の同行者
- カップル・夫婦
- 観光の所要時間
- 半日
- アクセス:
- 3.5
- コストパフォーマンス:
- 4.0
- 景観:
- 4.0
- 人混みの少なさ:
- 4.0
-
投稿日 2014年07月06日
総合評価:4.0
灰のジュビリーライン、緑のディストリクトライン、黄色のサークルラインが利用可能な地下鉄ターミナル駅。駅を出ればビックベン、国会議事堂、ウェストミンスター大寺院、ロンドンアイなどなど見所たくさんです。その分人の混雑度も多く、週末の窓口はとても混んでいますのでご注意を。
個人的には通勤でずっと使っていた馴染みある駅、ロンドン地下鉄ではめずらしい近未来的な造りがお気に入りです。- 旅行時期
- 2006年01月
- アクセス:
- 5.0
- 人混みの少なさ:
- 2.5
- 施設の充実度:
- 4.5
-
投稿日 2014年07月06日
総合評価:4.0
バッキンガム宮殿からホースガースへと続く公園。中央に大きな湖がありそれを取り囲んで遊歩道がある公園です。近くのグリーンパークやハイドパークに比べると自然がありのままで残る部分が多く、水鳥がこれでもかという位たくさんいます・・・
ウエストミンスターとバッキンガムを移動する際にのんびり散歩をお勧めする公園です。- 旅行時期
- 2006年01月
- 利用した際の同行者
- カップル・夫婦
- 観光の所要時間
- 半日
- アクセス:
- 4.0
- 景観:
- 4.5
- 人混みの少なさ:
- 4.5
-
投稿日 2014年07月06日
-
投稿日 2014年06月29日
総合評価:4.0
ピカデリーからすぐ、フォートナム・メイソンなど都会のショッピングエリア中に佇む教会。この前の広場でよくマーケットが開かれており、観光客も多くいますがあまり中に入れるのは知られていないようです。赴きある教会で、小さいながらもステンドグラスやその造りは見る価値ありです。
- 旅行時期
- 2005年06月
- 利用した際の同行者
- カップル・夫婦
- 観光の所要時間
- 1-2時間
- アクセス:
- 5.0
- コストパフォーマンス:
- 4.5
- 人混みの少なさ:
- 4.0
- 展示内容:
- 4.5
-
投稿日 2014年06月29日
-
チェルシーのガストロ・パブ (The Butcher's Hook)
投稿日 2010年07月08日
総合評価:4.0
チェルシーFCの本拠地、スタンフォード・ブリッジの目の前にあるガストロ・パブ。
肉屋をうたうだけあって肉料理がなかなか。
日曜日にはサンデーローストがあるのでこれを狙ってもいいかも。
土日はチェルシーの試合もあるので、ブランチを食べながらプレミア観戦と贅沢な時間が過ごせます。
営業時間:毎日11時から24時頃- 旅行時期
- 2005年05月
- 利用した際の同行者
- 一人旅
- 一人当たり予算
- 3,000円未満
- 利用形態
- ランチ
- アクセス:
- 4.0
- コストパフォーマンス:
- 3.0
- サービス:
- 4.0
- 雰囲気:
- 4.0
- 料理・味:
- 4.0
-
ハムステッド・ヒース近くのガーデンパブ (The Garden Gate)
投稿日 2010年07月08日
-
チェルシーの試合をスタジアム観戦気分で。スタンフォード・ブリッジスタジアム内のスポーツバー (Frankie's)
投稿日 2010年07月08日
総合評価:4.0
チェルシーの試合を見たいけどチケットがない。。。
あるいはチケットが高いからないけど観戦気分を味わいたい。
そんな方にはこちらのフランキーズがお勧め。
チェルシーの本拠地、スタンフォード・ブリッジ内にあるスポーツバー。
地元ファンから観光客までチェルシー一色です。
試合がない日でも過去のチェルシーの試合を流してますので楽しめますよ。
(試合の日は込んでいるのでかなり早めの到着が必須です、万が一は入れなくてもスタジアムの周りに沢山パブがあります)- 旅行時期
- 2005年05月
- 利用した際の同行者
- 一人旅
- 一人当たり予算
- 3,000円未満
- 利用形態
- その他
- アクセス:
- 4.0
- コストパフォーマンス:
- 3.0
- サービス:
- 4.0
- 雰囲気:
- 5.0
- 料理・味:
- 3.0
-
ビートルズ・グッズはこちらで。 (The Beatles Shop)
投稿日 2010年07月17日
総合評価:5.0
とにかく品揃えが豊富。よけいな?ものまで買ってしまいます。
所狭しと並べられたビートルズグッツに世界中のファンが目をランランとしていました。
見ているだけでも楽しめるかも。。。冷やかしでも店内に足を運ぶことをお勧めします。- 旅行時期
- 2005年06月
- 利用した際の同行者
- 一人旅
- アクセス:
- 3.0
- お買い得度:
- 3.0
- サービス:
- 3.5
- 品揃え:
- 5.0
-
コッツウォルズの町を小さくしちゃいました。モデルビレッジ(Model Village)
投稿日 2010年07月06日
-
投稿日 2010年08月02日






























































