window.grumi = { cfg: { advs: { "56474546": true,"58001426": true,"4588395787": true,"4601311364": true,"4829205770": true,"4838987244": true,"4821338128": true,"31963346": true,"4699022531": true,"4603732973": true,"4803603968": true,"4959629971": true,"4604246571": true,"4606374940": true,"4486756552": true,"4600251007": true,"4408203299": true,"5046561996": true } }, key: '8c541cfb-1495-4c0c-afcc-615a2f08902b' };
沖縄旅行記(ブログ) 一覧に戻る
週末でシュノーケリングを楽しんできました。<br />もう少しゆっくり行きたいのですけどね・・・<br /><br />日程<br />9月4日(金):羽田20:00発 那覇着後モノレールで移動<br />      かりゆしアーバンリゾート那覇泊<br />9月5日(土):渡嘉敷島でシュノーケリング三昧 <br />9月6日(日):お昼の便で羽田へ

2009弾丸トラベル~沖縄~

8いいね!

2009/09/04 - 2009/09/06

32193位(同エリア49243件中)

旅行記グループ 沖縄県の旅

0

17

batfish

batfishさん

週末でシュノーケリングを楽しんできました。
もう少しゆっくり行きたいのですけどね・・・

日程
9月4日(金):羽田20:00発 那覇着後モノレールで移動
      かりゆしアーバンリゾート那覇泊
9月5日(土):渡嘉敷島でシュノーケリング三昧 
9月6日(日):お昼の便で羽田へ

同行者
カップル・夫婦
交通手段
JALグループ
旅行の手配内容
個別手配
  • 2泊したかりゆしアーバンリゾート那覇ホテルです。<br />港の目の前で便利です。<br />リニューアルされたばかりでリゾート感あふれるホテルです。<br />朝食が最高に美味しく、夕食も満足でした。<br />

    2泊したかりゆしアーバンリゾート那覇ホテルです。
    港の目の前で便利です。
    リニューアルされたばかりでリゾート感あふれるホテルです。
    朝食が最高に美味しく、夕食も満足でした。

  • 渡嘉敷島に着き、バスで阿波連ビーチへやってきました。<br />今回、1日しか余裕がなく予め往復高速船とビーチハウス利用、ボートシュノーケリングがセットになった現地ツアーを申し込んでいました。<br />この光景で、もうワクワクです!

    渡嘉敷島に着き、バスで阿波連ビーチへやってきました。
    今回、1日しか余裕がなく予め往復高速船とビーチハウス利用、ボートシュノーケリングがセットになった現地ツアーを申し込んでいました。
    この光景で、もうワクワクです!

  • 思わず叫んでしまった海。<br />那覇から1時間以内でこんな海と出会えるなんて・・・

    思わず叫んでしまった海。
    那覇から1時間以内でこんな海と出会えるなんて・・・

  • 早速シュノーケリングです。<br />珊瑚がいっぱいあって感動。夢中で泳ぎました。

    早速シュノーケリングです。
    珊瑚がいっぱいあって感動。夢中で泳ぎました。

  • お魚も結構います。<br />ただ、餌付けされてるのかな?と思われる行動も・・・<br />何も食べ物を持っていないのに指先をつつかれました。

    お魚も結構います。
    ただ、餌付けされてるのかな?と思われる行動も・・・
    何も食べ物を持っていないのに指先をつつかれました。

  • 綺麗…<br />

    綺麗…

  • 竜宮城を泳いでるみたいです。<br />水温も高いのでウェットスーツ無しでOKです。

    竜宮城を泳いでるみたいです。
    水温も高いのでウェットスーツ無しでOKです。

  • お昼はビーチハウスで沖縄そばをいただきました。<br />お出汁がきいてて美味しい♪

    お昼はビーチハウスで沖縄そばをいただきました。
    お出汁がきいてて美味しい♪

  • トラックに乗り込んでシュノーケリングツアーへ出発です。真っ白なビーチが美しいです。

    トラックに乗り込んでシュノーケリングツアーへ出発です。真っ白なビーチが美しいです。

  • ボートで10分くらい沖に出た、この島の近くで泳ぎました。

    ボートで10分くらい沖に出た、この島の近くで泳ぎました。

  • 珊瑚はやっぱりビーチより元気みたいです。<br />深さもあるので泳ぎやすいです。

    珊瑚はやっぱりビーチより元気みたいです。
    深さもあるので泳ぎやすいです。

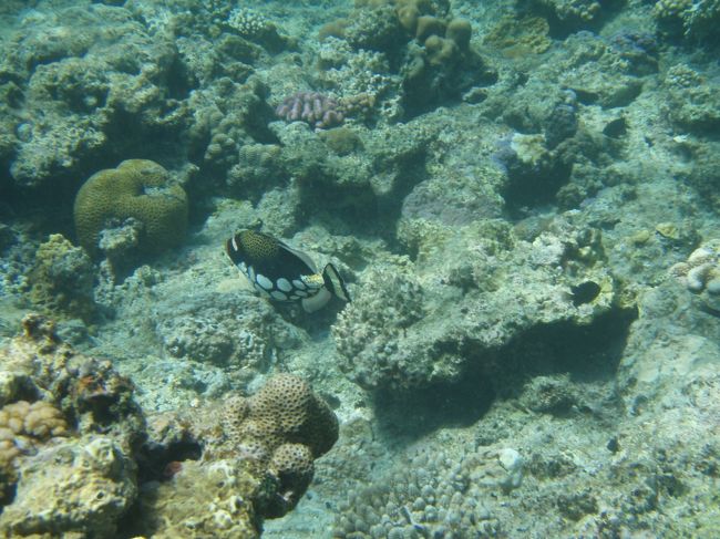
  • ただ、お魚は少なめでした。<br />唯一モンガラカワハギを見たくらい?<br />

    ただ、お魚は少なめでした。
    唯一モンガラカワハギを見たくらい?

  • ビーチに戻ってまたシュノーケリングです。<br />午後の海もキラキラ綺麗です。

    ビーチに戻ってまたシュノーケリングです。
    午後の海もキラキラ綺麗です。

  • クマノミも写真に収めることができました。<br />結構攻撃的だったなぁ…

    クマノミも写真に収めることができました。
    結構攻撃的だったなぁ…

  • 夕方の高速船で那覇に戻ります。<br />この前日は波が高く運休、翌日も運休だったのでピンポイントに島に渡ることができてラッキーでした。

    夕方の高速船で那覇に戻ります。
    この前日は波が高く運休、翌日も運休だったのでピンポイントに島に渡ることができてラッキーでした。

  • ホテルのお部屋からの景色です。

    ホテルのお部屋からの景色です。

  • お部屋は綺麗で快適に過ごせました。<br />また次回、那覇に泊まるときはここかな。

    お部屋は綺麗で快適に過ごせました。
    また次回、那覇に泊まるときはここかな。

この旅行記のタグ

8いいね!

利用規約に違反している投稿は、報告する事ができます。 問題のある投稿を連絡する

旅行記グループ

沖縄県の旅

コメントを投稿する前に

十分に確認の上、ご投稿ください。 コメントの内容は攻撃的ではなく、相手の気持ちに寄り添ったものになっていますか?

サイト共通ガイドライン(利用上のお願い)

報道機関・マスメディアの方へ 画像提供などに関するお問い合わせは、専用のお問い合わせフォームからお願いいたします。

旅の計画・記録

マイルに交換できるフォートラベルポイントが貯まる
フォートラベルポイントって?

フォートラベル公式LINE@

おすすめの旅行記や旬な旅行情報、お得なキャンペーン情報をお届けします!
QRコードが読み取れない場合はID「@4travel」で検索してください。

\その他の公式SNSはこちら/

価格.com旅行・トラベルホテル・旅館を比較

PAGE TOP