慶良間諸島旅行記(ブログ) 一覧に戻る
調子に乗って、再び<br />那覇発日帰りシュノーケリング三昧の<br />3泊4日一人旅<br />3日目は再び慶良間諸島でスキンダイビング<br />無理せず自分のペースで

那覇から日帰りシュノーケリング3日目~慶良間でアオウミガメに出会ったぁ

76いいね!

2019/08/24 - 2019/08/27

98位(同エリア1668件中)

旅行記グループ 沖縄シュノーケリング

4

82

はち

はちさん

この旅行記スケジュールを元に

調子に乗って、再び
那覇発日帰りシュノーケリング三昧の
3泊4日一人旅
3日目は再び慶良間諸島でスキンダイビング
無理せず自分のペースで

  • 今日もいい天気<br /><br />左目はまだひどい状態だけど<br />無理せずに行こう<br /><br />

    今日もいい天気

    左目はまだひどい状態だけど
    無理せずに行こう

    GRGホテル那覇 宿・ホテル

  • 朝ごはんを調達に<br />ホテル前のファミマへ

    朝ごはんを調達に
    ホテル前のファミマへ

  • 沖縄コーナー<br /><br />泡盛コーヒーってどんなかな?

    沖縄コーナー

    泡盛コーヒーってどんなかな?

  • おにぎりコーナー<br /><br />朝すばなんてのもある!<br /><br />興味があるけど<br />まだ沖縄そばカップ麺が残ってるから<br />やめておこう

    おにぎりコーナー

    朝すばなんてのもある!

    興味があるけど
    まだ沖縄そばカップ麺が残ってるから
    やめておこう

  • ポーク玉子おにぎりを購入

    ポーク玉子おにぎりを購入

  • やっぱり美味しい♪<br /><br />またもやポーク玉子おにぎりだけで<br />お腹いっぱい<br /><br />沖縄そばはお土産にするかな

    やっぱり美味しい♪

    またもやポーク玉子おにぎりだけで
    お腹いっぱい

    沖縄そばはお土産にするかな

  • 8:30にホテルに迎えに来てもらって<br />いざ出航です

    8:30にホテルに迎えに来てもらって
    いざ出航です

  • こちらのツアーは日本人がほとんどです<br /><br />今日は髪がイソギンチャクみたいな<br />ドレッドヘアの欧米人のお客さんがいました<br /><br />思わずクマノミを探しそうになったよ‥<br /><br /><br />ダイビングとスキンダイビング混載<br /><br />私は、ガイドさんの近くで<br />自分のペースで<br />シュノーケリングやスキンダイビングを<br />楽しみます<br />

    こちらのツアーは日本人がほとんどです

    今日は髪がイソギンチャクみたいな
    ドレッドヘアの欧米人のお客さんがいました

    思わずクマノミを探しそうになったよ‥


    ダイビングとスキンダイビング混載

    私は、ガイドさんの近くで
    自分のペースで
    シュノーケリングやスキンダイビングを
    楽しみます

  • チービシあたりでは<br />パラセーリング<br /><br />クエフ島行きたいなぁ‥<br /><br />本当はビーチシュノーケリングの方が好きです<br /><br /><br /><br />

    チービシあたりでは
    パラセーリング

    クエフ島行きたいなぁ‥

    本当はビーチシュノーケリングの方が好きです



  • 1時間弱で<br />渡嘉敷島沖のポイントに到着<br /><br />自津留水路

    1時間弱で
    渡嘉敷島沖のポイントに到着

    自津留水路

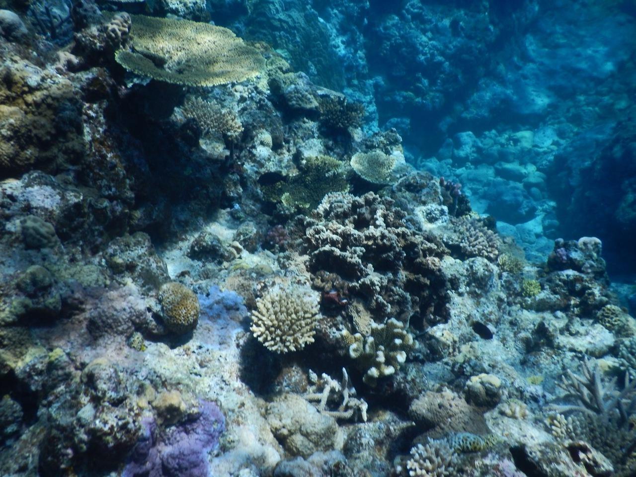
  • 海の底のサンゴが見えます

    海の底のサンゴが見えます

  • 比較的浅いところにサンゴがあって<br />シュノーケリングを楽しめます

    比較的浅いところにサンゴがあって
    シュノーケリングを楽しめます

  • 昨日より透明度も高い!

    昨日より透明度も高い!

  • 今日は純粋にシュノーケリングを<br />楽しめそうです

    今日は純粋にシュノーケリングを
    楽しめそうです

  • クマノミ

    クマノミ

  • 頑張って潜ったけど<br />うまく撮れない

    頑張って潜ったけど
    うまく撮れない

  • せっかくこっち向いてるのに‥<br /><br />位置がずれちゃう

    せっかくこっち向いてるのに‥

    位置がずれちゃう

  • オヤビッチャ

    オヤビッチャ

  • ニジハギ

    ニジハギ

  • イチモンジブダイ<br /><br />ホンソメワケベラがクリーニング中

    イチモンジブダイ

    ホンソメワケベラがクリーニング中

  • キレイ‥

    キレイ‥

  • 昨日は講習で必死だったけど<br />今日は余裕を持って楽しめそう<br /><br />キャンセルしないで良かった

    昨日は講習で必死だったけど
    今日は余裕を持って楽しめそう

    キャンセルしないで良かった

  • 輸送機が飛んでる

    輸送機が飛んでる

  • 波も昨日より穏やか

    波も昨日より穏やか

  • ダイバーさんの泡

    ダイバーさんの泡

  • 楽しかったぁ♪<br /><br />船に戻ります

    楽しかったぁ♪

    船に戻ります

  • アリガー

    アリガー

  • いきなりガイドさんが<br />カメを見つけてくれた♪

    いきなりガイドさんが
    カメを見つけてくれた♪

  • 動き出した!

    動き出した!

  • おお

    おお

  • おおお

    おおお

  • おおおおお

    おおおおお

  • この旅のベストショット♪

    この旅のベストショット♪

  • そして‥

    そして‥

  • 水面で

    水面で

  • 息継ぎ!

    息継ぎ!

  • そして

    そして

  • 海底深く

    海底深く

  • 潜って行きました

    潜って行きました

  • ありがとね~

    ありがとね~

  • あ~楽しかった♪

    あ~楽しかった♪

  • サンゴもキレイです

    サンゴもキレイです

  • ガイドさんが潜って写してるのは‥

    ガイドさんが潜って写してるのは‥

  • カクレクマノミ<br /><br />私にはこれが限界<br /><br />セジロクマノミもいました

    カクレクマノミ

    私にはこれが限界

    セジロクマノミもいました

  • 海の色がますます<br />碧くなった!

    海の色がますます
    碧くなった!

  • 黒島北

    黒島北

  • 3本目の前に<br />お弁当をいただきます<br /><br />何気に美味しい♪

    3本目の前に
    お弁当をいただきます

    何気に美味しい♪

  • ここも期待できるぞ♪

    ここも期待できるぞ♪

  • 真ん中にちっちゃく<br />モンガラカワハギ

    真ん中にちっちゃく
    モンガラカワハギ

  • クロモンガラ

    クロモンガラ

  • ボラ

    ボラ

  • このエリアも<br />シュノーケリングに最適♪

    このエリアも
    シュノーケリングに最適♪

  • ナミダクロハギ

    ナミダクロハギ

  • ノコギリダイの群れ

    ノコギリダイの群れ

  • 満喫しました♪

    満喫しました♪

  • 軽くシャワーを浴びて着替えたら<br />那覇に戻ります<br /><br />潜る練習もできて<br />ちょっと定着できた気がする<br /><br />昨日より海の透明度も高かったし<br />今日来て良かったです♪<br />

    軽くシャワーを浴びて着替えたら
    那覇に戻ります

    潜る練習もできて
    ちょっと定着できた気がする

    昨日より海の透明度も高かったし
    今日来て良かったです♪

  • ホテルに戻ってシャワーを浴びて着替えたら<br />サングラスして早速街に繰り出します<br /><br />時刻は5時<br /><br />むつみ橋のかどやに再挑戦するも<br />またもや売り切れ‥<br /><br />

    ホテルに戻ってシャワーを浴びて着替えたら
    サングラスして早速街に繰り出します

    時刻は5時

    むつみ橋のかどやに再挑戦するも
    またもや売り切れ‥

  • 第一牧志公設市場

    第一牧志公設市場

    第一牧志公設市場 市場・商店街

  • 沖縄の魚たち

    沖縄の魚たち

  • カラフル

    カラフル

  • 2階の食堂で食べようか‥<br /><br />どうしようかな

    2階の食堂で食べようか‥

    どうしようかな

  • そういえば<br />前回美味しすぎてびっくりした<br />泊港から北方面道路沿いにある「田舎」と<br />おそらく同じ系列のお店が市場本通り奥にあるようなので、行ってみた<br />

    そういえば
    前回美味しすぎてびっくりした
    泊港から北方面道路沿いにある「田舎」と
    おそらく同じ系列のお店が市場本通り奥にあるようなので、行ってみた

    田舎 公設市場南店 グルメ・レストラン

  • ソーキそば  390円<br /><br />やっぱり美味しい♪<br /><br />店員さんに聞いたら<br />泊港のお店は同じ系列だって<br />でも行ったことないそうです<br />

    ソーキそば 390円

    やっぱり美味しい♪

    店員さんに聞いたら
    泊港のお店は同じ系列だって
    でも行ったことないそうです

  • 今回行ってみたかったお店があります<br /><br />それは柴野大造さんプロデュースの<br />沖縄やんばるジェラート<br /><br />イタリアのジェラートの大会で<br />アジア人で初めて優勝した人<br />「プロフェッショナル」で知りました<br /><br />本場イタリア人もびっくりのジェラートが<br />どんなものか一度食べてみたかった!<br /><br />本拠地は石川県だけど<br />沖縄にも出店してるようなので<br />調べて行って来ました<br /><br />国際通りの「海人」に<br />間借りするような形のお店でした<br /><br />

    今回行ってみたかったお店があります

    それは柴野大造さんプロデュースの
    沖縄やんばるジェラート

    イタリアのジェラートの大会で
    アジア人で初めて優勝した人
    「プロフェッショナル」で知りました

    本場イタリア人もびっくりのジェラートが
    どんなものか一度食べてみたかった!

    本拠地は石川県だけど
    沖縄にも出店してるようなので
    調べて行って来ました

    国際通りの「海人」に
    間借りするような形のお店でした

  • 「海人」といえば<br />この子たち<br /><br />石垣の米子焼のシーサー♪

    「海人」といえば
    この子たち

    石垣の米子焼のシーサー♪

  • そしてジェラートを注文

    そしてジェラートを注文

  • 賞をとったやつは<br />プレミアムメニューとして<br />100円アップです

    賞をとったやつは
    プレミアムメニューとして
    100円アップです

  • オレンジバニラマスカルポーネ<br />グランピスタチオ<br />今帰仁スイカ<br />のトリプルで注文<br /><br />悩んでいた伊江島産紅芋を<br />ワンスクープつけてくれました<br /><br />今気づいたけど<br />イタリアで世界一の賞をもらった<br />パイナップル・セロリ・リンゴのソルベを<br />頼んでなかったよ(-_-;)

    オレンジバニラマスカルポーネ
    グランピスタチオ
    今帰仁スイカ
    のトリプルで注文

    悩んでいた伊江島産紅芋を
    ワンスクープつけてくれました

    今気づいたけど
    イタリアで世界一の賞をもらった
    パイナップル・セロリ・リンゴのソルベを
    頼んでなかったよ(-_-;)

  • テーブルと椅子が少し置いてあって<br />座って食べることができました<br /><br />どれもすごく美味しくて濃厚で<br />本場イタリアのジェラートに負けない美味しさ<br /><br />でもね<br />盛り方がイマイチ<br />時間かかってたし<br />なんか量のバランスも悪い‥<br /><br />まだ食べる前の状態でこれ<br /><br />プレミアムで100円多く支払った2種類が<br />少なすぎるよ‥<br /><br />もうちょっと頑張ったら<br />もっと人気が出ると思います!<br /><br />世界一のジェラート食べ忘れたし、<br />また食べに行くから、頑張れ~

    テーブルと椅子が少し置いてあって
    座って食べることができました

    どれもすごく美味しくて濃厚で
    本場イタリアのジェラートに負けない美味しさ

    でもね
    盛り方がイマイチ
    時間かかってたし
    なんか量のバランスも悪い‥

    まだ食べる前の状態でこれ

    プレミアムで100円多く支払った2種類が
    少なすぎるよ‥

    もうちょっと頑張ったら
    もっと人気が出ると思います!

    世界一のジェラート食べ忘れたし、
    また食べに行くから、頑張れ~

  • カルビープラス

    カルビープラス

    カルビープラス 沖縄国際通り店 グルメ・レストラン

  • 海ぽて<br /><br />国際通り限定アーサマース味<br /><br />職場には内緒で来たけど<br />この目の状況(おそらく当分眼帯生活)で<br />職場に戻って説明しなきゃいけない<br /><br />なので、職場へのお土産

    海ぽて

    国際通り限定アーサマース味

    職場には内緒で来たけど
    この目の状況(おそらく当分眼帯生活)で
    職場に戻って説明しなきゃいけない

    なので、職場へのお土産

  • 人気No2の美らぽて

    人気No2の美らぽて

  • そして紅芋のポテりこ!<br /><br />これを食べるために<br />沖縄に戻ってきたと言っても<br />過言じゃない!?

    そして紅芋のポテりこ!

    これを食べるために
    沖縄に戻ってきたと言っても
    過言じゃない!?

  • うんま~い♪

    うんま~い♪

  • 雪塩のお店でも<br />お気に入りを購入

    雪塩のお店でも
    お気に入りを購入

  • お菓子御殿では<br />何も買わず

    お菓子御殿では
    何も買わず

  • リウボウだ!

    リウボウだ!

  • そういえば<br />ちゅらナビのクーポンで<br />ブルシールアイスの<br />ワンスクープサービスがあったので<br />立ち寄ります

    そういえば
    ちゅらナビのクーポンで
    ブルシールアイスの
    ワンスクープサービスがあったので
    立ち寄ります

    ブルーシール パレットくもじ店 グルメ・レストラン

  • どれにしようかな

    どれにしようかな

  • シングルを頼むと<br />ワンスクープサービス<br /><br />でもそのワンスクープが大きい!<br />これじゃあダブルだ!<br />さすがブルーシールアイス<br />沖縄の王者<br />太っ腹だね♪<br /><br />塩ちんすこうに<br />沖縄田芋チーズケーキを注文<br /><br />美味し!

    シングルを頼むと
    ワンスクープサービス

    でもそのワンスクープが大きい!
    これじゃあダブルだ!
    さすがブルーシールアイス
    沖縄の王者
    太っ腹だね♪

    塩ちんすこうに
    沖縄田芋チーズケーキを注文

    美味し!

  • アイスクリームでお腹いっぱいになって<br />ホテルに戻ります<br /><br />購入品<br /><br />雪塩入りの宮古島サイダーキャンディは<br />数ある飴ちゃんの中でマイベスト♪

    アイスクリームでお腹いっぱいになって
    ホテルに戻ります

    購入品

    雪塩入りの宮古島サイダーキャンディは
    数ある飴ちゃんの中でマイベスト♪

  • 昨日は不安な夜を過ごしたけど<br />今日のツアーは大満足だった<br />キャンセルしないで良かった<br /><br />相変わらず眼は腫れて充血してるので<br />氷で冷やしながら休みます<br /><br />明日帰ったらみんなビックリするだろうなぁ‥<br />

    昨日は不安な夜を過ごしたけど
    今日のツアーは大満足だった
    キャンセルしないで良かった

    相変わらず眼は腫れて充血してるので
    氷で冷やしながら休みます

    明日帰ったらみんなビックリするだろうなぁ‥

76いいね!

利用規約に違反している投稿は、報告する事ができます。 問題のある投稿を連絡する

旅行記グループ

沖縄シュノーケリング

この旅行記へのコメント (4)

開く

閉じる

  • fuzzさん 2019/10/11 17:11:38
    素晴らしい
    はちさん、こんにちは。

    あまりにも表紙の写真が素敵過ぎます!
    私は耳がヤバいので飛行機に乗る時も毎回大変。
    ですから海に潜るのも多分無理です。
    海の中ってあんなに綺麗なんですね~
    肉眼では一生見ることは無理なので楽しませてもらってます。
    水族館とは全然違う!
    ライブ感が写真で感じます♪
    亀さんに遭遇出来て良かったですね~

    fuzz

    はち

    はちさん からの返信 2019/10/11 19:00:22
    Re: 素晴らしい
    fuzzさん

    お褒めの言葉ありがとうございます!
    この写真は、たまたまカメさんが息継ぎのために上がってきてくれたタイミングで、私はほとんど潜らずに撮りました。
    実際にはシュノーケルでは波の影響を受けるので、写真を撮るがすごく難しいんです。私の腕もかなり怪しいし‥
    滅多に良い写真を取ることができないので、この写真は奇跡のショットです。
    明日からまた慶良間に行く予定でしたが、台風の影響をもろに受けてます(;_;)
    それではまた!

    fuzz

    fuzzさん からの返信 2019/10/11 19:18:17
    Re: 素晴らしい
    あら、残念でしたね。
    台風には勝てないです。

    はち

    はちさん からの返信 2019/10/11 19:29:26
    Re: 素晴らしい
    なんとかして行けるよう
    画策しています。
    カメさんに会いた~い♪

    はち

はちさんのトラベラーページ

コメントを投稿する前に

十分に確認の上、ご投稿ください。 コメントの内容は攻撃的ではなく、相手の気持ちに寄り添ったものになっていますか?

サイト共通ガイドライン(利用上のお願い)

報道機関・マスメディアの方へ 画像提供などに関するお問い合わせは、専用のお問い合わせフォームからお願いいたします。

この旅行で行ったスポット

この旅行で行ったグルメ・レストラン

旅の計画・記録

マイルに交換できるフォートラベルポイントが貯まる
フォートラベルポイントって?

フォートラベル公式LINE@

おすすめの旅行記や旬な旅行情報、お得なキャンペーン情報をお届けします!
QRコードが読み取れない場合はID「@4travel」で検索してください。

\その他の公式SNSはこちら/

この旅行記の地図

拡大する

価格.com旅行・トラベルホテル・旅館を比較

PAGE TOP