ファーフ環礁旅行記(ブログ) 一覧に戻る
インド洋 楽園の小島『モルディブ』<br />雨季だけど.. インド洋で浮かんできました~☆<br /><br />『FILITHEYO Islamd Resort』フィリティヨ アイランド リゾート2日目<br />今日からは 海三昧するぞ~♪<br />普段、沖縄の海でシュノーケルする事がほとんですが<br />『モルディブ』ファーフ環礁の海の中はどんなかな??<br /><br />7月に行った <br />石垣、波照間、宮古のように 穏やかな海を想像していたけれど...<br />ここは、波もうねりも深さも 迫力満点の海でした。

インド洋に浮かぶ 宝石「モルディブ 」♪~楽園の海は。。大迫力~☆その1

78いいね!

2015/09/18 - 2015/09/24

3位(同エリア30件中)

旅行記グループ ビーチリゾート?

2

95

ちゅら

ちゅらさん

インド洋 楽園の小島『モルディブ』
雨季だけど.. インド洋で浮かんできました~☆

『FILITHEYO Islamd Resort』フィリティヨ アイランド リゾート2日目
今日からは 海三昧するぞ~♪
普段、沖縄の海でシュノーケルする事がほとんですが
『モルディブ』ファーフ環礁の海の中はどんなかな??

7月に行った 
石垣、波照間、宮古のように 穏やかな海を想像していたけれど...
ここは、波もうねりも深さも 迫力満点の海でした。

旅行の満足度
5.0
観光
5.0
同行者
友人
交通手段
飛行機
航空会社
JAL バンコクエアウェイズ
旅行の手配内容
個別手配
  • 『FILITHEYO』2日目<br />朝から 泳ぎま〜す。島はこんなかんじ<br />リーフへの入り口は、EXIT1〜8 ドロップオフがすぐ目の前の<br />スタンダードコテージ側 7→6→5 と流されてみましょう。<br />

    『FILITHEYO』2日目
    朝から 泳ぎま〜す。島はこんなかんじ
    リーフへの入り口は、EXIT1〜8 ドロップオフがすぐ目の前の
    スタンダードコテージ側 7→6→5 と流されてみましょう。

  • ドロップオフの付近に、EXITの番号のポールがあります。<br />目標が見やすくて お魚を追いかけるのに夢中でも自分の場所が把握できるので<br />安心です。<br />でも....今日は、波もうねりもありそうで ちょっとキツいかな〜

    ドロップオフの付近に、EXITの番号のポールがあります。
    目標が見やすくて お魚を追いかけるのに夢中でも自分の場所が把握できるので
    安心です。
    でも....今日は、波もうねりもありそうで ちょっとキツいかな〜

  • ほんの少し 泳いだら この景色<br />みごとなドロップオフ <br />ひ〜ちょっと怖いよー(・・・いきなり垂直に100メートル以上あるそうです。)当然、海底はまったく見えません 吸い込まれそう!

    ほんの少し 泳いだら この景色
    みごとなドロップオフ 
    ひ〜ちょっと怖いよー(・・・いきなり垂直に100メートル以上あるそうです。)当然、海底はまったく見えません 吸い込まれそう!

  • なので...境目付近を流されていきますが<br />のんびり漂う感じは まったくなく 波に揉まれながら必死に流されて行く感じ。。<br />宮古島の八重干瀬で波照間島で 今年も鍛えていて良かった〜

    なので...境目付近を流されていきますが
    のんびり漂う感じは まったくなく 波に揉まれながら必死に流されて行く感じ。。
    宮古島の八重干瀬で波照間島で 今年も鍛えていて良かった〜

  • モルディブアネモネフィッシュかな??<br />モルディブ固有種で,モルディブとスリランカだけで見ることが出来るクマノミがいるそうですが...<br />ドロップオフのかなり深めの場所にいます。

    モルディブアネモネフィッシュかな??
    モルディブ固有種で,モルディブとスリランカだけで見ることが出来るクマノミがいるそうですが...
    ドロップオフのかなり深めの場所にいます。

  • ここは、モルディブだ〜って 実感〜☆

    ここは、モルディブだ〜って 実感〜☆

  • 写真だと小さく見えますが かなり大きいです。

    写真だと小さく見えますが かなり大きいです。

  • モルディブとはサンスクリット語で「島々の花輪」という意味。<br />小さな島が1200個くらいあるらしいです。<br />3日目は アイランドホッピング:ボートシュノーケル付き(無料)<br />に参加しました。

    モルディブとはサンスクリット語で「島々の花輪」という意味。
    小さな島が1200個くらいあるらしいです。
    3日目は アイランドホッピング:ボートシュノーケル付き(無料)
    に参加しました。

  • ここからボートに乗り込みます。

    ここからボートに乗り込みます。

  • 出発〜<br />日本人は、私たちだけ イタリア、イギリスからのカップルに<br />ちょい悪フレンチメンズ達が参加。

    出発〜
    日本人は、私たちだけ イタリア、イギリスからのカップルに
    ちょい悪フレンチメンズ達が参加。

  • 走りながら お魚も釣れちゃいました。

    走りながら お魚も釣れちゃいました。

  • ボートで30分くらいの有人島 この島を観光するそうです。

    ボートで30分くらいの有人島 この島を観光するそうです。

  • モルディブの人達が暮らす島に上陸です。

    モルディブの人達が暮らす島に上陸です。

  • ガイドさんが 丁寧に説明してくれます。<br />もちろん English.... わかったような?わからないような〜?<br />ここは、珊瑚や石灰岩で作られた塀 沖縄風の「ヒンプン」みたいな感じで<br />とっても丈夫です。。と言う説明

    ガイドさんが 丁寧に説明してくれます。
    もちろん English.... わかったような?わからないような〜?
    ここは、珊瑚や石灰岩で作られた塀 沖縄風の「ヒンプン」みたいな感じで
    とっても丈夫です。。と言う説明

  • あっ! 見つけた〜 わかるかな?

    あっ! 見つけた〜 わかるかな?

  • この木の実は、パンやクッキーに混ぜて使うそうです。

    この木の実は、パンやクッキーに混ぜて使うそうです。

  • どちらも 素敵なアートです。

    どちらも 素敵なアートです。

  • ここは、学校。

    ここは、学校。

  • お休みだったので、中まで案内してくれました。

    お休みだったので、中まで案内してくれました。

  • モルディブの人達が暮らす島<br />女性と子供たちが多く <br />ほとんどの男性は、あちこちのリゾートホテルで働いていて<br />お休みになると 島に帰省するという単身赴任がほとんどだそうです

    モルディブの人達が暮らす島
    女性と子供たちが多く 
    ほとんどの男性は、あちこちのリゾートホテルで働いていて
    お休みになると 島に帰省するという単身赴任がほとんどだそうです

  • 家庭菜園

    家庭菜園

  • モルディブの人達が暮らす島<br />子供たちの自然な笑顔が とってもかわいい。とっても素敵な島

    モルディブの人達が暮らす島
    子供たちの自然な笑顔が とってもかわいい。とっても素敵な島

  • 幼稚園

    幼稚園

  • 病院

    病院

  • リゾートに簡単な診療施設もありますが<br />滞在中 重度な場合は、ここに運ぶそうです。<br />待ち合い室...中まで入っちゃったけど 大丈夫だったの??

    リゾートに簡単な診療施設もありますが
    滞在中 重度な場合は、ここに運ぶそうです。
    待ち合い室...中まで入っちゃったけど 大丈夫だったの??

  • モルディブの人達が暮らす島

    モルディブの人達が暮らす島

  • スーパーに立ち寄り

    スーパーに立ち寄り

  • ちょっと休憩〜

    ちょっと休憩〜

  • ここはモスク

    ここはモスク

  • 最後に おみやげ屋さん。

    最後に おみやげ屋さん。

  • こんな島でした。

    こんな島でした。

  • さぁ!ボートシュノーケルに向かいましょう。

    さぁ!ボートシュノーケルに向かいましょう。

  • ポイントに到着〜 輝くBLUEに向かって開始。

    ポイントに到着〜 輝くBLUEに向かって開始。

  • 深い場所から浅瀬へ 珊瑚のお花畑を見に行きます。

    深い場所から浅瀬へ 珊瑚のお花畑を見に行きます。

  • 珊瑚がピキピキで とっても元気☆

    珊瑚がピキピキで とっても元気☆

  • モルディブの珊瑚に感動〜

    モルディブの珊瑚に感動〜

  • これも、モルディブアネモネフィッシュかな??<br />

    これも、モルディブアネモネフィッシュかな??

  • みんなフレンドリーな方々で、とっても楽しいツアーになりました。

    みんなフレンドリーな方々で、とっても楽しいツアーになりました。

  • 『FILITHEYO』 Islamd にもどってきました。

    『FILITHEYO』 Islamd にもどってきました。

  • 夕食の時間まで それぞれお気に入りの場所で 島時間

    夕食の時間まで それぞれお気に入りの場所で 島時間

  • やどかりの集団移動

    やどかりの集団移動

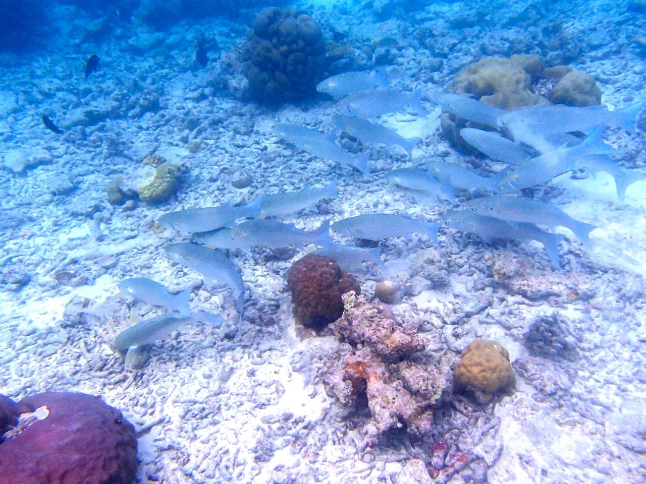
  • 小魚たちの集団移動

    小魚たちの集団移動

  • こんな記念樹スポットもありました。

    こんな記念樹スポットもありました。

  • これは...危険 「イボクラゲ」かな?

    これは...危険 「イボクラゲ」かな?

  • 打ち上げられているところを見ると お亡くなりになってしまったのか??<br />かなり大きいです。

    打ち上げられているところを見ると お亡くなりになってしまったのか??
    かなり大きいです。

  • 朝日から夕暮れまで<br />時間を忘れて過ごせるって 素晴らしいですね。<br /><br />*水上ヴィラ編 楽園の海:その2は、またのちほど。。

    朝日から夕暮れまで
    時間を忘れて過ごせるって 素晴らしいですね。

    *水上ヴィラ編 楽園の海:その2は、またのちほど。。

この旅行記のタグ

78いいね!

利用規約に違反している投稿は、報告する事ができます。 問題のある投稿を連絡する

旅行記グループ

ビーチリゾート?

この旅行記へのコメント (2)

開く

閉じる

  • puyomushiさん 2015/10/04 20:33:18
    すんごい透明度(*^^*)
    ちゅらさん、こんばんわ⭐

    モルの旅行記、めっさ楽しみにしてました❗
    行きのバンコクエアウェイズも、ディレイがなかったようで、良かった!良かった🎵

    やっぱり、あの水上飛行機から見る景色は格別ですよね。

    そして、なんと言ってもあの透明度❗❗
    珊瑚も元気だわ(*^^*)
    いい感じのリゾートで、癒されながら、ハウスリーフでスノーケリングを楽しむ❗
    これこそモルでの過ごし方の王道だ〜っと
    一人で叫んでおりました(笑)

    私も行ければ良いのですが。。

    では、続きを楽しみに待ってます🎵

    puyo

    ちゅら

    ちゅらさん からの返信 2015/10/07 15:22:40
    モル病..が怖い〜

     puyoさま...


     無事に行ってまいりました。☆

    出発前は、色々と アドバイスありがとうございました。

    リゾート選びは 本当に最後の最後まで悩んで

    最終的に メールなど、対応の速さと、明瞭な回答内容で決めました。

    夜、質問や要望のメールをすると 翌朝には回答が帰ってきていて
    ストレス無く気持ちよ〜く話が進んで行った感じです。

    高級さを求める方には いささか残念なリゾートかもしれませんが
    私には...初モルのリゾート選びとしては 満点の居心地でした

    クチコミ通り お料理も美味しかったし
    珊瑚も素晴らしくてリピしちゃいそうな予感。。(できたらイイナ〜)

    puyoさまが おすすめしてくれた 水上飛行機での移動
    「珊瑚の首飾り」には 本当に大感動
    あの景色を見ただけで「来て良かった〜!」
    「puyoさま 〜ありがとう!」って叫びそうでしたよ(*^^♪

    puyoさまご夫妻の モル旅も楽しみにしていますね〜。。

    今週末は、4tra女子旅 
    今年2度目の「八重干瀬シュノーケル合宿」に行ってきます☆

      ちゅら。。


ちゅらさんのトラベラーページ

コメントを投稿する前に

十分に確認の上、ご投稿ください。 コメントの内容は攻撃的ではなく、相手の気持ちに寄り添ったものになっていますか?

サイト共通ガイドライン(利用上のお願い)

報道機関・マスメディアの方へ 画像提供などに関するお問い合わせは、専用のお問い合わせフォームからお願いいたします。

旅の計画・記録

マイルに交換できるフォートラベルポイントが貯まる
フォートラベルポイントって?

モルディブで使うWi-Fiはレンタルしましたか?

フォートラベル GLOBAL WiFiなら
モルディブ最安 562円/日~

  • 空港で受取・返却可能
  • お得なポイントがたまる

モルディブの料金プランを見る

フォートラベル公式LINE@

おすすめの旅行記や旬な旅行情報、お得なキャンペーン情報をお届けします!
QRコードが読み取れない場合はID「@4travel」で検索してください。

\その他の公式SNSはこちら/

ファーフ環礁(モルディブ) で人気のタグ

PAGE TOP