奄美大島旅行記(ブログ) 一覧に戻る
二年続けて夏の奄美へ。喜界島にも足を延ばし、大自然と優しい食に癒されて。<br /><旅程><br />2025/7/3  羽田空港→奄美空港 龍郷町 泊<br />2025/7/4  龍郷町 泊 ★<br />2025/7/5  奄美空港⇔喜界島空港 瀬戸内町 泊 <br />2025/7/6  瀬戸内町 泊<br />2025/7/7    奄美空港→羽田空港<br />

奄美大島・喜界島《2》~コウトリ浜~

5いいね!

2025/07/03 - 2025/07/07

1354位(同エリア1717件中)

旅行記グループ 奄美大島・喜界島

0

50

M&C

M&Cさん

この旅行記のスケジュール

2025/07/04

この旅行記スケジュールを元に

二年続けて夏の奄美へ。喜界島にも足を延ばし、大自然と優しい食に癒されて。
<旅程>
2025/7/3  羽田空港→奄美空港 龍郷町 泊
2025/7/4  龍郷町 泊 ★
2025/7/5  奄美空港⇔喜界島空港 瀬戸内町 泊 
2025/7/6  瀬戸内町 泊
2025/7/7 奄美空港→羽田空港

旅行の満足度
5.0
同行者
カップル・夫婦
交通手段
レンタカー JALグループ
旅行の手配内容
個別手配
  • 早朝、お部屋のバルコニーから

    早朝、お部屋のバルコニーから

    Miru Amami 宿・ホテル

  • 奄美クレーターを一望

    奄美クレーターを一望

  • ヴィラを出てレストランへ

    ヴィラを出てレストランへ

  • タビビトノキ

    タビビトノキ

  • 早くもサガリバナの花も落ちて

    早くもサガリバナの花も落ちて

  • 海を臨む席を確保

    海を臨む席を確保

  • メインは和食をチョイス<br />鹿児島若鶏の塩麹焼、鳥出汁粥、地場野菜の漬物、博多明太子、イユン味噌、野菜の煮物、海藻の酢の物、奄美大島産の温泉卵

    メインは和食をチョイス
    鹿児島若鶏の塩麹焼、鳥出汁粥、地場野菜の漬物、博多明太子、イユン味噌、野菜の煮物、海藻の酢の物、奄美大島産の温泉卵

  • さらにハーフビュッフェスタイル

    さらにハーフビュッフェスタイル

  • スムージーやドリンクも

    スムージーやドリンクも

  • 朝から満腹!

    朝から満腹!

  • ホテル前のビーチへ

    ホテル前のビーチへ

  • 波は穏やか

    波は穏やか

  • コウトリ浜ツアーに向かうボートがお出迎え

    コウトリ浜ツアーに向かうボートがお出迎え

  • 出発!

    出発!

  • ぐんぐんと進む

    ぐんぐんと進む

  • 昨日自転車で訪れた倉崎海岸

    昨日自転車で訪れた倉崎海岸

  • コウトリ浜が見えてきた

    コウトリ浜が見えてきた

  • ゆっくりと近づく

    ゆっくりと近づく

  • 浜に近づくにつれて、海の色がエメラルドグリーンに

    浜に近づくにつれて、海の色がエメラルドグリーンに

  • ボートから降りて上陸!

    ボートから降りて上陸!

  • 今回のボート、まめぞうとともに

    今回のボート、まめぞうとともに

  • この透明度!

    この透明度!

  • 穏やかなコウトリ浜

    穏やかなコウトリ浜

  • アダンの木も

    アダンの木も

  • 早速シュノーケル開始、いきなりチョウチョウウオが!

    早速シュノーケル開始、いきなりチョウチョウウオが!

  • ソラスズメダイ

    ソラスズメダイ

  • アマミスズメダイ

    アマミスズメダイ

  • ガイドさんが深ーく潜る

    ガイドさんが深ーく潜る

  • 背中が黄色いオヤビッチャがたくさん

    背中が黄色いオヤビッチャがたくさん

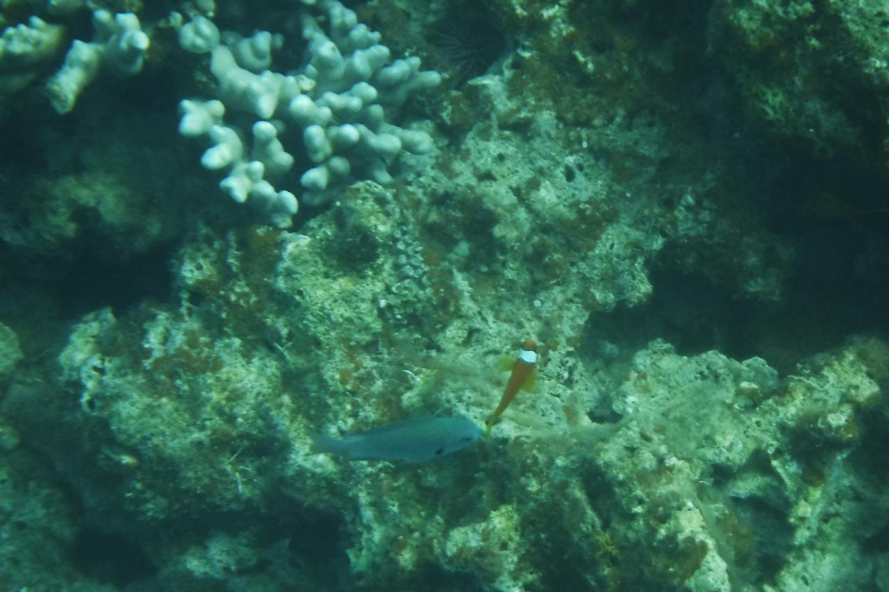
  • イソギンチャクの中に出入りするクマノミ

    イソギンチャクの中に出入りするクマノミ

  • クマノミの親子?

    クマノミの親子?

  • 競演

    競演

  • ルリホシスズメダイ

    ルリホシスズメダイ

  • スミツキトノサマダイのつがい

    スミツキトノサマダイのつがい

  • 仲良く泳ぐ

    仲良く泳ぐ

  • ミツボシクロスズメダイと、クラカオスズメダイ

    ミツボシクロスズメダイと、クラカオスズメダイ

  • ナンヨウブダイ

    ナンヨウブダイ

  • 岩場にはたくさんの魚たち

    岩場にはたくさんの魚たち

  • 生き生きとしたサンゴ

    生き生きとしたサンゴ

  • そろそろ岸に戻る

    そろそろ岸に戻る

  • 1時間ほどのシュノーケルもあっという間

    1時間ほどのシュノーケルもあっという間

  • ボートに乗り込み

    ボートに乗り込み

  • コウトリ浜を後に

    コウトリ浜を後に

  • ぐんぐんスピードを上げる

    ぐんぐんスピードを上げる

  • 美しい海の色

    美しい海の色

  • 倉崎海岸を過ぎて

    倉崎海岸を過ぎて

  • あっという間にホテル前のビーチへ

    あっという間にホテル前のビーチへ

  • ボートとお別れ

    ボートとお別れ

  • お部屋に戻り、アウトドアバスで一息

    お部屋に戻り、アウトドアバスで一息

    Miru Amami 宿・ホテル

  • ここからの景色が本当に素晴らしい!

    ここからの景色が本当に素晴らしい!

この旅行記のタグ

5いいね!

利用規約に違反している投稿は、報告する事ができます。 問題のある投稿を連絡する

コメントを投稿する前に

十分に確認の上、ご投稿ください。 コメントの内容は攻撃的ではなく、相手の気持ちに寄り添ったものになっていますか?

サイト共通ガイドライン(利用上のお願い)

報道機関・マスメディアの方へ 画像提供などに関するお問い合わせは、専用のお問い合わせフォームからお願いいたします。

この旅行で行ったホテル

旅の計画・記録

マイルに交換できるフォートラベルポイントが貯まる
フォートラベルポイントって?

フォートラベル公式LINE@

おすすめの旅行記や旬な旅行情報、お得なキャンペーン情報をお届けします!
QRコードが読み取れない場合はID「@4travel」で検索してください。

\その他の公式SNSはこちら/

この旅行記の地図

拡大する

PAGE TOP