北マーレ環礁旅行記(ブログ) 一覧に戻る
<br />1年ぶり9回目のモルディブ旅行♪<br />昨年ビヤドゥでお世話になったインストラクターのヒロミさんが<br />同じ系列リゾートのマクヌドゥへ異動になったとのことで<br />今年は追っかけ旅行となりました!<br />今年6月にOWライセンスを取ったばかりのなんちゃってなので<br />ダイビング三昧が一番の目的ですが、1年ぶりのモルディブだし<br />やっぱりリゾート気分も楽しみたいよね~♪<br />という訳で、4日で6本の「ゆったりコース」の予定でしたが<br />終わってみれば、4日で8本の「欲張りコース」でした(笑)<br />いや~、ダイビングってホントに素晴らしいですね!!!<br /><br /><br />最後に作成中にも関わらず、ご投票頂きました皆様へ<br />本日やっと完成となりました!<br />かなり時間がかかってしまった上に、最後の方のコメントは<br />息切れ状態で恐縮ですが、宜しかったら完成版を見て下さいね♪<br />ご投票、誠に有難うございました!<br /><br />                    2012年9月23日 minori<br /><br />

2012年08~09月 なんちゃってダイバー親子のダイビング猛特訓旅行 in モルディブ

23いいね!

2012/08/28 - 2012/09/03

209位(同エリア821件中)

旅行記グループ ??モルディブ

14

115

minori

minoriさん


1年ぶり9回目のモルディブ旅行♪
昨年ビヤドゥでお世話になったインストラクターのヒロミさんが
同じ系列リゾートのマクヌドゥへ異動になったとのことで
今年は追っかけ旅行となりました!
今年6月にOWライセンスを取ったばかりのなんちゃってなので
ダイビング三昧が一番の目的ですが、1年ぶりのモルディブだし
やっぱりリゾート気分も楽しみたいよね~♪
という訳で、4日で6本の「ゆったりコース」の予定でしたが
終わってみれば、4日で8本の「欲張りコース」でした(笑)
いや~、ダイビングってホントに素晴らしいですね!!!


最後に作成中にも関わらず、ご投票頂きました皆様へ
本日やっと完成となりました!
かなり時間がかかってしまった上に、最後の方のコメントは
息切れ状態で恐縮ですが、宜しかったら完成版を見て下さいね♪
ご投票、誠に有難うございました!

                    2012年9月23日 minori

  • 今回お世話になった「Dive Ocean」をご紹介します<br /><br />あれ? 入口に先客のマーカナさんがいますね(笑)

    今回お世話になった「Dive Ocean」をご紹介します

    あれ? 入口に先客のマーカナさんがいますね(笑)

  • それでは、中に入ってみましょう<br /><br />左側にあるL字型ベンチはブリーフィングスペース

    それでは、中に入ってみましょう

    左側にあるL字型ベンチはブリーフィングスペース

  • 向かって左から奥に続くラックにはBCD<br /><br />真ん中にはウエットスーツをかけます

    向かって左から奥に続くラックにはBCD

    真ん中にはウエットスーツをかけます

  • おっと、写真がボケボケですみません。。。<br />奥の壁にレギュレーター、手前のカゴは軽器材入れと<br /><br />申込時に1人ずつ与えられた「番号」のラックやカゴに<br />器材等を収納します!<br />毎回部屋から持ち込んだり、持ち帰ったりしなくていいので<br />とっても便利でした♪<br /><br /><br />

    おっと、写真がボケボケですみません。。。
    奥の壁にレギュレーター、手前のカゴは軽器材入れと

    申込時に1人ずつ与えられた「番号」のラックやカゴに
    器材等を収納します!
    毎回部屋から持ち込んだり、持ち帰ったりしなくていいので
    とっても便利でした♪


  • 「ダイビング予定表&申込表」と言ったところかしら?<br /><br />基本は毎日8:45と14:30の2ボートダイブ<br />「NAME」欄に、番号と名前の記入だけで申込完了♪<br />器材等はボートスタッフが事前にボートへ運んでくれます!<br /><br />

    「ダイビング予定表&申込表」と言ったところかしら?

    基本は毎日8:45と14:30の2ボートダイブ
    「NAME」欄に、番号と名前の記入だけで申込完了♪
    器材等はボートスタッフが事前にボートへ運んでくれます!

  • <8/29(水)AM 1本目> <br /><br />SITE : House Reef<br />DEPTH : 13 m<br />TIME : 53 minutes<br /><br /> 

    <8/29(水)AM 1本目> 

    SITE : House Reef
    DEPTH : 13 m
    TIME : 53 minutes

     

  • まずは「チェックダイブ」です!<br /><br />浅瀬でマスククリアとレギュレーターリカバリーを<br />インストラクターさんの目の前で行ないます。<br />その後は軽く泳いでみるだけだと思っていたのが<br />なんと普通にファンダイビング1本でした(笑)<br />ドロップオフ沿いにハウスリーフをぐるっと♪<br />魚の大群にカメも見れたのに、カメラ置いて来ちゃった。。。<br />あ〜、失敗した〜!<br />

    まずは「チェックダイブ」です!

    浅瀬でマスククリアとレギュレーターリカバリーを
    インストラクターさんの目の前で行ないます。
    その後は軽く泳いでみるだけだと思っていたのが
    なんと普通にファンダイビング1本でした(笑)
    ドロップオフ沿いにハウスリーフをぐるっと♪
    魚の大群にカメも見れたのに、カメラ置いて来ちゃった。。。
    あ〜、失敗した〜!

  • チェックダイブって、普通に1本潜ることなのね<br /><br />器材のセッティングから潜行・浮上までの一連の過程を<br />インストラクターさんがチェックするダイビングであって<br />チェックされている私達は普通のダイビングと変わらない。<br />経験本数2本+ブランク3ヶ月で乗り込んだ私達は<br />セッティング方法をすっかり忘れてしまったので<br />ヒロミさんが一から手解きしてくれましたが<br />チェックダイブは通常手出し・口出しはしないそうです(笑)<br />ホントなんちゃってダイバーでごめんなさ〜い。。。<br />

    チェックダイブって、普通に1本潜ることなのね

    器材のセッティングから潜行・浮上までの一連の過程を
    インストラクターさんがチェックするダイビングであって
    チェックされている私達は普通のダイビングと変わらない。
    経験本数2本+ブランク3ヶ月で乗り込んだ私達は
    セッティング方法をすっかり忘れてしまったので
    ヒロミさんが一から手解きしてくれましたが
    チェックダイブは通常手出し・口出しはしないそうです(笑)
    ホントなんちゃってダイバーでごめんなさ〜い。。。

  • <8/29(水)PM 2本目><br /><br />SITE : Kahambu Thila<br />DEPTH : 19 m<br />TIME : 51 minutes 

    <8/29(水)PM 2本目>

    SITE : Kahambu Thila
    DEPTH : 19 m
    TIME : 51 minutes 

  • ハタタテダイ と ヨスジフエダイ の群れがお出迎え<br /><br />モルディブ定番のお魚ですよね

    ハタタテダイ と ヨスジフエダイ の群れがお出迎え

    モルディブ定番のお魚ですよね

  • コーラルガーデンが広がっています

    コーラルガーデンが広がっています

  • あっ、ニモだ〜♪<br /><br />お元気そうで何よりです!

    あっ、ニモだ〜♪

    お元気そうで何よりです!

  • ピッタリ寄り添う黒い魚のペア<br /><br />おしどり夫婦みたいですね<br />お幸せに♪<br /><br />

    ピッタリ寄り添う黒い魚のペア

    おしどり夫婦みたいですね
    お幸せに♪

  • 海底に紫の壺?<br /><br />と思ったら、イソギンチャクかな?<br />結構大きかったですよ!<br />人の頭1つ分くらいはあった気がします

    海底に紫の壺?

    と思ったら、イソギンチャクかな?
    結構大きかったですよ!
    人の頭1つ分くらいはあった気がします

  • 見上げれば、無数の小魚〜♪<br /><br />まるで雪が舞っているようでした<br />マリンスノーって、こんな感じなのかな?

    見上げれば、無数の小魚〜♪

    まるで雪が舞っているようでした
    マリンスノーって、こんな感じなのかな?

  • 最後はハタタテダイ暴走軍団がお見送り(笑)<br /><br />物凄いスピードで通り過ぎて行ったので<br />最後の方しか撮れなかったよ。。。<br />そんなに急いでどこへ行くの?<br />次回はゆっくりお会いしましょうね♪

    最後はハタタテダイ暴走軍団がお見送り(笑)

    物凄いスピードで通り過ぎて行ったので
    最後の方しか撮れなかったよ。。。
    そんなに急いでどこへ行くの?
    次回はゆっくりお会いしましょうね♪

  • <8/30(木)AM 3本目><br /><br />SITE : MADI GAA<br />DEPTH : 20 m<br />TIME : 45 minutes

    <8/30(木)AM 3本目>

    SITE : MADI GAA
    DEPTH : 20 m
    TIME : 45 minutes

  • ヒロミさんお勧めのポイントだそうです!<br /><br />わ〜、楽しみだな〜♪

    ヒロミさんお勧めのポイントだそうです!

    わ〜、楽しみだな〜♪

  • いきなり サメですか!!!<br /><br />大人しいサメらしく、海底で一休みしてるみたいですが<br />やっぱり怖いですよね。。。

    いきなり サメですか!!!

    大人しいサメらしく、海底で一休みしてるみたいですが
    やっぱり怖いですよね。。。

  • あっ、トビエイだ!<br /><br />優雅に水中を飛んでる姿に思わずうっとり♪

    あっ、トビエイだ!

    優雅に水中を飛んでる姿に思わずうっとり♪

  • 多分 ヒメフエダイの群れ(笑)<br /><br />この魚もモルディブ定番なのかな?<br />何度かお会いした事がありますよ

    多分 ヒメフエダイの群れ(笑)

    この魚もモルディブ定番なのかな?
    何度かお会いした事がありますよ

  • ニモ〜♪

    ニモ〜♪

  • ムスジコショウダイの群れ

    ムスジコショウダイの群れ

  • 別名「阪神タイガース」<br /><br />うそです。そう思っただけ(笑)<br />群れで見たのは初めてかも?<br />模様がはっきりしてるので、写真映りがいいですよね♪<br />

    別名「阪神タイガース」

    うそです。そう思っただけ(笑)
    群れで見たのは初めてかも?
    模様がはっきりしてるので、写真映りがいいですよね♪

  • あっ、あの黒い影は!

    あっ、あの黒い影は!

  • マダラトビエイの群れだ〜♪<br /><br />目の悪い私は斑模様までは見えませんでしたが<br />カメラがバッチリとらえてました!<br />宜しかったら、動画も見て下さいね♪<br />さすがヒロミさんお勧めポイントですね<br />最後まで大満足のダイビングでした!<br /><br /><動画> http://youtu.be/Xu47si4pW6c

    マダラトビエイの群れだ〜♪

    目の悪い私は斑模様までは見えませんでしたが
    カメラがバッチリとらえてました!
    宜しかったら、動画も見て下さいね♪
    さすがヒロミさんお勧めポイントですね
    最後まで大満足のダイビングでした!

    <動画> http://youtu.be/Xu47si4pW6c

  • <8/30(木)PM 4本目><br /><br />SITE : Eri Faru<br />DEPTH : 20 m<br />TIME : 50 minutes 

    <8/30(木)PM 4本目>

    SITE : Eri Faru
    DEPTH : 20 m
    TIME : 50 minutes 

  • しょっぱなから カメ!!!

    しょっぱなから カメ!!!

  • カメだ〜♪<br /><br />なかなかサービス精神旺盛ですね<br />こっちを向いてくれました<br />カメさん、ありがとう!

    カメだ〜♪

    なかなかサービス精神旺盛ですね
    こっちを向いてくれました
    カメさん、ありがとう!

  • うわっ、ウツボだ!<br /><br />やっぱり ちょっと怖いですね。。。<br />ここは大人しく退散しましょう

    うわっ、ウツボだ!

    やっぱり ちょっと怖いですね。。。
    ここは大人しく退散しましょう

  • 魚の大群が雨のように降ってきた〜!

    魚の大群が雨のように降ってきた〜!

  • と思ったら

    と思ったら

  • あっと言う間に、奥の方へ行ってしまいました<br /><br />物凄い数の群れだったんですよ!<br />残念ながら動画ボタンが間に合いませんでした。。。

    あっと言う間に、奥の方へ行ってしまいました

    物凄い数の群れだったんですよ!
    残念ながら動画ボタンが間に合いませんでした。。。

  • ん? あれは?

    ん? あれは?

  • サメだ〜!!!<br /><br />良く見ると、おなかに小さな魚がくっついてるみたい♪

    サメだ〜!!!

    良く見ると、おなかに小さな魚がくっついてるみたい♪

  • ヨスジフエダイ と 青っぽい魚の群れ<br /><br />この群れも凄かったな〜!<br />黄色と青が交差して、綺麗でしたよ<br />宜しかったら動画も見て下さいね♪<br /><br /><動画> http://youtu.be/lpeO-r5PW-s

    ヨスジフエダイ と 青っぽい魚の群れ

    この群れも凄かったな〜!
    黄色と青が交差して、綺麗でしたよ
    宜しかったら動画も見て下さいね♪

    <動画> http://youtu.be/lpeO-r5PW-s

  • ヨスジフエダイの群れをアップ♪<br /><br />

    ヨスジフエダイの群れをアップ♪

  • ヒロミさんが指差す方向を見てみると?

    ヒロミさんが指差す方向を見てみると?

  • ヒトヅラハリセンボンだ〜!!!<br /><br />恥ずかしがり屋さんなのかな?<br />残念ながら顔を見せてくれませんでした。。。<br />でも初めて見る魚って、何だか嬉しいですよね♪<br />またお会いしましょう!

    ヒトヅラハリセンボンだ〜!!!

    恥ずかしがり屋さんなのかな?
    残念ながら顔を見せてくれませんでした。。。
    でも初めて見る魚って、何だか嬉しいですよね♪
    またお会いしましょう!

  • <8/31(金)AM 5本目><br /><br />SITE : Moosa Faru<br />DEPTH : 20 m<br />TIME : 47 minutes 

    <8/31(金)AM 5本目>

    SITE : Moosa Faru
    DEPTH : 20 m
    TIME : 47 minutes 

  • なんちゃってダイバー親子のダイビング猛特訓旅行<br />後半戦に入ります!<br /><br />器材のセッティングに浮力の調整方法と<br />やっと慣れてきた感じかな?<br />引き続きヒロミさん、宜しくお願いしま〜す!

    なんちゃってダイバー親子のダイビング猛特訓旅行
    後半戦に入ります!

    器材のセッティングに浮力の調整方法と
    やっと慣れてきた感じかな?
    引き続きヒロミさん、宜しくお願いしま〜す!

  • 下を見ると、ベテランチームの方々がいました<br /><br />深度30mくらいかしら? 凄いですね!

    下を見ると、ベテランチームの方々がいました

    深度30mくらいかしら? 凄いですね!

  • ドロップオフ沿いに進んで行きます<br /><br />いろんな魚が水中を舞って、綺麗ですよね♪

    ドロップオフ沿いに進んで行きます

    いろんな魚が水中を舞って、綺麗ですよね♪

  • ニモ〜♪<br /><br />あまりの可愛さに、見てるだけで癒されます

    ニモ〜♪

    あまりの可愛さに、見てるだけで癒されます

  • と思ったら、今度はサメ!!!<br /><br />モルディブって、結構サメがいるんですね。。。<br />内心怖いんだけど、大物を見れた気分になるので<br />ちょっと嬉しいかも♪

    と思ったら、今度はサメ!!!

    モルディブって、結構サメがいるんですね。。。
    内心怖いんだけど、大物を見れた気分になるので
    ちょっと嬉しいかも♪

  • 海底では、ヒメフエダイご一行様がお食事中?<br /><br />賑やかそうですね<br />

    海底では、ヒメフエダイご一行様がお食事中?

    賑やかそうですね

  • あっ、ヤッコエイだ!<br /><br />ヒロミさん曰く、トビエイみたいにすぐ逃げないので<br />近づきやすいそうですよ♪

    あっ、ヤッコエイだ!

    ヒロミさん曰く、トビエイみたいにすぐ逃げないので
    近づきやすいそうですよ♪

  • 写真がボケボケですみません。。。<br /><br />派手な模様の珍しい魚だったのですが<br />なんて魚なんだろう?<br />もしお分かりの方がいらっしゃいましたら<br />教えて下さいね!<br />えっ?これじゃ無理だって?<br />失礼致しました。。。

    写真がボケボケですみません。。。

    派手な模様の珍しい魚だったのですが
    なんて魚なんだろう?
    もしお分かりの方がいらっしゃいましたら
    教えて下さいね!
    えっ?これじゃ無理だって?
    失礼致しました。。。

  • このポイントは、サンゴが綺麗でした!<br /><br />こんなサンゴや

    このポイントは、サンゴが綺麗でした!

    こんなサンゴや

  • こんなのもありました!<br /><br />これ ちょっと珍しくないですか?<br />初めて見ました

    こんなのもありました!

    これ ちょっと珍しくないですか?
    初めて見ました

  • 最後は ツノダシ君です♪<br /><br />最も熱帯魚らしい魚ですよね

    最後は ツノダシ君です♪

    最も熱帯魚らしい魚ですよね

  • <8/31(金)PM 6本目><br /><br />SITE : Hembadhoo Wreck<br />DEPTH : 20 m<br />TIME : 60 minutes 

    <8/31(金)PM 6本目>

    SITE : Hembadhoo Wreck
    DEPTH : 20 m
    TIME : 60 minutes 

  • まずは定番 ヨスジフエダイの群れ

    まずは定番 ヨスジフエダイの群れ

  • あっ、あれは?

    あっ、あれは?

  • ニモ〜♪<br /><br />真っ赤なのは イソギンチャクだそうです<br />珍しいですよね

    ニモ〜♪

    真っ赤なのは イソギンチャクだそうです
    珍しいですよね

  • それでは沈船に向かいましょう

    それでは沈船に向かいましょう

  • 今回が一番参加人数が多かったです<br /><br />インストラクターさんを含めて10人くらいかな?<br />

    今回が一番参加人数が多かったです

    インストラクターさんを含めて10人くらいかな?

  • なので、海底の砂が舞い上がっちゃって<br />透明度が良くないんですよ。。。<br /><br />

    なので、海底の砂が舞い上がっちゃって
    透明度が良くないんですよ。。。

  • でも、沈船ってやっぱり楽しいですよね♪

    でも、沈船ってやっぱり楽しいですよね♪

  • 中を覗いてみたりなど、探検隊の気分になります!

    中を覗いてみたりなど、探検隊の気分になります!

  • 沈船をバックに、ハイチーズ♪<br /><br />えっ? 幽霊船みたいだって?<br />

    沈船をバックに、ハイチーズ♪

    えっ? 幽霊船みたいだって?

  • モンガラカワハギ だ!<br /><br />初めて見たけど、なんか愛嬌がありますよね?<br />憎めないヤツって感じ(笑)<br /><br /><br />

    モンガラカワハギ だ!

    初めて見たけど、なんか愛嬌がありますよね?
    憎めないヤツって感じ(笑)


  • でも、やっぱりニモが好き♪<br /><br />

    でも、やっぱりニモが好き♪

  • タテジマキンチャクダイ<br /><br />えっ?タテジマ???<br />どう見てもヨコジマなんだけど。。。<br />これも初めて見ました!<br /><br /><br />【くまくま先生の解説コーナー】<br />釣り上げると縞がタテになるから「タテジマ」なんですよ♪<br /><br />う〜ん、なるほど!また一つ勉強になりました<br />くまくま先生、有難うございました〜!<br />

    タテジマキンチャクダイ

    えっ?タテジマ???
    どう見てもヨコジマなんだけど。。。
    これも初めて見ました!


    【くまくま先生の解説コーナー】
    釣り上げると縞がタテになるから「タテジマ」なんですよ♪

    う〜ん、なるほど!また一つ勉強になりました
    くまくま先生、有難うございました〜!

  • 沈船付近から離れると、透明度があがってきました

    沈船付近から離れると、透明度があがってきました

  • この魚はなんだろう???

    この魚はなんだろう???

  • かわいい小魚がいっぱい!

    かわいい小魚がいっぱい!

  • ニモ〜♪

    ニモ〜♪

  • 最後はムスジコショウダイ<br /><br />一人旅ですか? <br />お気をつけて いってらっしゃい〜!

    最後はムスジコショウダイ

    一人旅ですか?
    お気をつけて いってらっしゃい〜!

  • ベテランチームガイドのミシェールさんと記念撮影<br /><br />ダイビング歴35年のプロフェッショナルで、ヒロミさん曰く<br />ひたすら大物を探し求める「俺について来い」タイプ<br />だそうです(笑)<br />なんと今回がマクヌドゥでのラストダイブとのことだったので<br />記念写真を撮ってもらいました!<br />「私はライセンスを取って、まだ3ヶ月ですよ」と言ったら<br />「ダイビングは何度も何度も積み重ねて上達するものだよ」<br />と教えてくれました。う〜ん、なるほど!<br />有難いお言葉を頂き、有難うございました!<br />またどこかの海でお会いできたらいいですね♪<br />

    ベテランチームガイドのミシェールさんと記念撮影

    ダイビング歴35年のプロフェッショナルで、ヒロミさん曰く
    ひたすら大物を探し求める「俺について来い」タイプ
    だそうです(笑)
    なんと今回がマクヌドゥでのラストダイブとのことだったので
    記念写真を撮ってもらいました!
    「私はライセンスを取って、まだ3ヶ月ですよ」と言ったら
    「ダイビングは何度も何度も積み重ねて上達するものだよ」
    と教えてくれました。う〜ん、なるほど!
    有難いお言葉を頂き、有難うございました!
    またどこかの海でお会いできたらいいですね♪

  • <9/1(土)AM 7本目><br /><br />SITE : MADI GAA<br />DEPTH : 20 m<br />TIME : 54 minutes 

    <9/1(土)AM 7本目>

    SITE : MADI GAA
    DEPTH : 20 m
    TIME : 54 minutes 

  • 今回の参加者は、な〜んと私達2人だけ!!!<br /><br />本当は別のポイントの予定でしたが、貸切状態だったので<br />ヒロミさんが私達のリクエストに応えてくれました!<br />やっぱり マダラトビエイの群れが忘れられないよね<br />と言う訳で、再び「MADI GAA」へ行ってきま〜す♪<br />

    今回の参加者は、な〜んと私達2人だけ!!!

    本当は別のポイントの予定でしたが、貸切状態だったので
    ヒロミさんが私達のリクエストに応えてくれました!
    やっぱり マダラトビエイの群れが忘れられないよね
    と言う訳で、再び「MADI GAA」へ行ってきま〜す♪

  • 名前が分からないけど、お魚の群れがお出迎え!<br /><br />前回来た時より透明度も良いみたい♪<br /><br />

    名前が分からないけど、お魚の群れがお出迎え!

    前回来た時より透明度も良いみたい♪

  • ムスジコショウダイの群れも歓迎してくれてるのかな?<br /><br />それとも横目で見ながら「なんちゃって達がまた来たよ」<br />って言ってるのかな(笑)

    ムスジコショウダイの群れも歓迎してくれてるのかな?

    それとも横目で見ながら「なんちゃって達がまた来たよ」
    って言ってるのかな(笑)

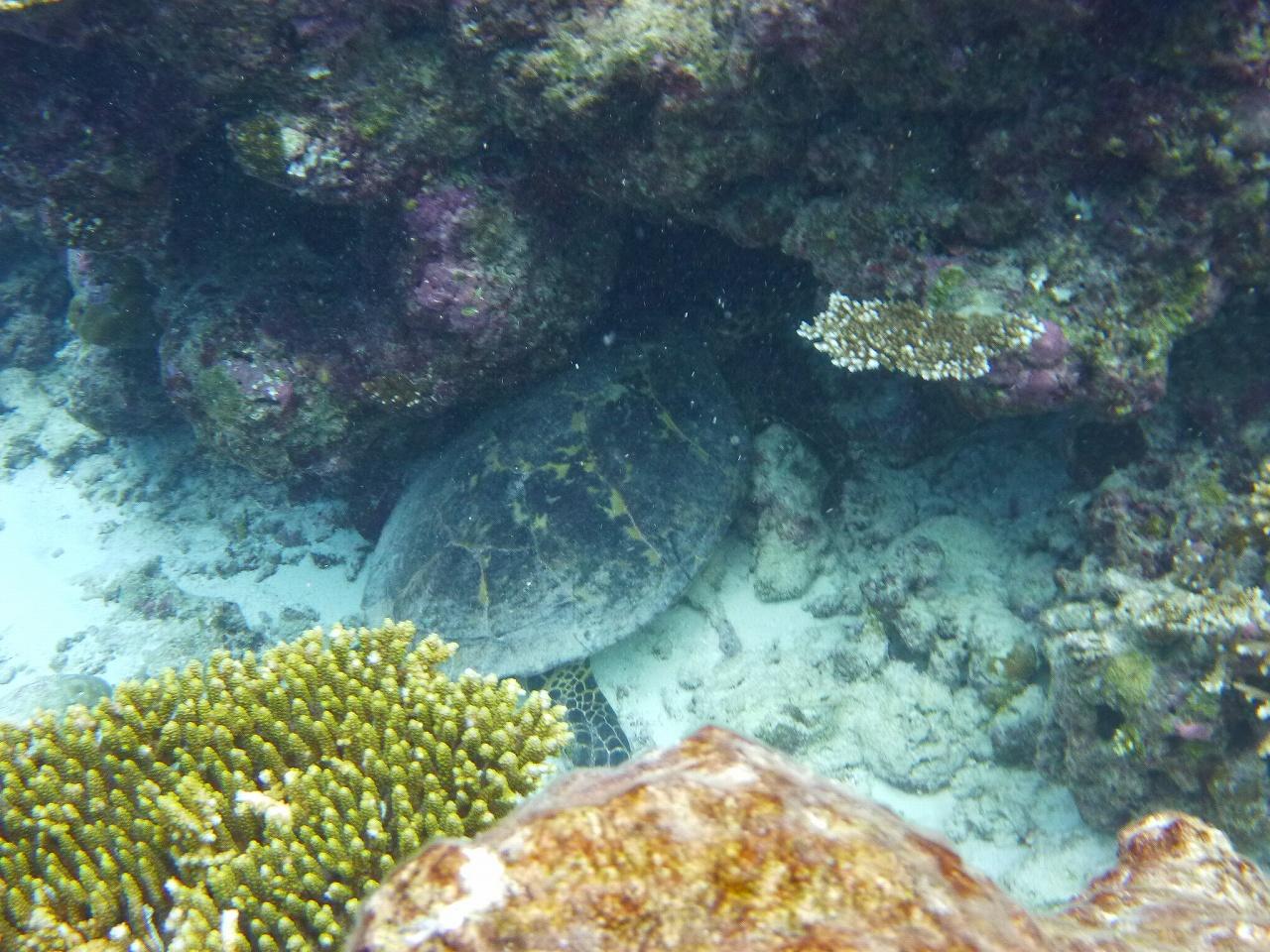
  • ヒロミさんの指差す方向を見てみると、ん?何だろう?<br /><br />と思ったら、カメの後ろ姿だ〜♪

    ヒロミさんの指差す方向を見てみると、ん?何だろう?

    と思ったら、カメの後ろ姿だ〜♪

  • カメさん、出て来ておくれ〜!<br /><br />しばらく待ってみたけど、出て来る気配なし。。。<br />次回は恥ずかしがらないで、顔を見せてね♪

    カメさん、出て来ておくれ〜!

    しばらく待ってみたけど、出て来る気配なし。。。
    次回は恥ずかしがらないで、顔を見せてね♪

  • ヤッコエイのペアと

    ヤッコエイのペアと

  • サメが

    サメが

  • こ〜んな近くで一休みですか!?<br /><br />と思って近寄ったら、エイがジタバタし始めちゃった。。。<br /><br />

    こ〜んな近くで一休みですか!?

    と思って近寄ったら、エイがジタバタし始めちゃった。。。

  • 「何なのよ!せっかく休んでたのに(怒)」<br /><br />と 一匹は左の方へ。。。

    「何なのよ!せっかく休んでたのに(怒)」

    と 一匹は左の方へ。。。

  • 「もう、勘弁してよ〜(泣)」<br /><br />と もう一匹は奥の方へと逃げちゃいました。。。<br />仲良く並んでたのに、邪魔してごめんなさ〜い。。。<br />次回から気をつけます

    「もう、勘弁してよ〜(泣)」

    と もう一匹は奥の方へと逃げちゃいました。。。
    仲良く並んでたのに、邪魔してごめんなさ〜い。。。
    次回から気をつけます

  • 気を取り直して、先に進みましょう

    気を取り直して、先に進みましょう

  • ヒメフエダイの群れ<br /><br />おはようございま〜す!またお会いしましたね♪

    ヒメフエダイの群れ

    おはようございま〜す!またお会いしましたね♪

  • 一番上がハクテンハタ 。 と お友達ご一行様(笑)<br /><br />種類が異なるのに、仲が良さそうですね

    一番上がハクテンハタ 。 と お友達ご一行様(笑)

    種類が異なるのに、仲が良さそうですね

  • コクテンフグ だ〜♪<br /><br />なんか捕まえたくなるくらい可愛い♪<br />横顔がアザラシっぽいって思うのは私だけかな?<br /><br />

    コクテンフグ だ〜♪

    なんか捕まえたくなるくらい可愛い♪
    横顔がアザラシっぽいって思うのは私だけかな?

  • また サメですか!!!<br /><br />ご、ご機嫌いかがですか?<br />ズームで撮ってるから、結構距離を置いてるのですが<br />アップで見ると、やっぱり怖いですよね。。。<br />大人しく休んでいるうちに退散しよう<br /><br /><br />

    また サメですか!!!

    ご、ご機嫌いかがですか?
    ズームで撮ってるから、結構距離を置いてるのですが
    アップで見ると、やっぱり怖いですよね。。。
    大人しく休んでいるうちに退散しよう


  • と思ったら、泳ぎだしちゃった〜!!!<br /><br />サメ「うるさいから、あっちへ行くわ。。。」<br />って行っちゃったみたい(笑)<br />

    と思ったら、泳ぎだしちゃった〜!!!

    サメ「うるさいから、あっちへ行くわ。。。」
    って行っちゃったみたい(笑)

  • ヒロミさんがまた何か見つけてくれたみたい♪<br /><br />おや?サンゴの下から、長い棒みたいなのが???

    ヒロミさんがまた何か見つけてくれたみたい♪

    おや?サンゴの下から、長い棒みたいなのが???

  • 多分 ゴシキエビかな?<br /><br />間違ってたら、ごめんなさい。。。

    多分 ゴシキエビかな?

    間違ってたら、ごめんなさい。。。

  • インディアン バナーフィッシュのペア<br /><br />仲良くデートかしら?<br />目がクリっとして可愛いですね♪

    インディアン バナーフィッシュのペア

    仲良くデートかしら?
    目がクリっとして可愛いですね♪

  • パウダーブルー・サージオンフィッシュ

    パウダーブルー・サージオンフィッシュ

  • ツノダシ

    ツノダシ

  • アオノメハタ

    アオノメハタ

  • オウギチョウチョウウオ

    オウギチョウチョウウオ

  • 最後はウメイロモドキかな?<br /><br />1回目と違う魚が沢山見れたので、まるで別のポイントに<br />来たみたいに新鮮で楽しかったね!<br />マダラトビエイには会えなかったけど 大満足でした♪

    最後はウメイロモドキかな?

    1回目と違う魚が沢山見れたので、まるで別のポイントに
    来たみたいに新鮮で楽しかったね!
    マダラトビエイには会えなかったけど 大満足でした♪

  • <9/1(土)PM 8本目><br /><br />SITE : West Point<br />DEPTH : 18m<br />TIME : 55 minutes 

    <9/1(土)PM 8本目>

    SITE : West Point
    DEPTH : 18m
    TIME : 55 minutes 

  • いよいよ最終ダイビング<br /><br />うわっ、いきなり怖そうな魚だ!<br />モンガラ系だと思うんだけど何だろ???<br /><br />

    いよいよ最終ダイビング

    うわっ、いきなり怖そうな魚だ!
    モンガラ系だと思うんだけど何だろ???

  • きゃ〜、こっちへ向かって来た〜!!!<br /><br />撤収、撤収〜!!!

    きゃ〜、こっちへ向かって来た〜!!!

    撤収、撤収〜!!!

  • ヨスジフエダイの群れ<br />

    ヨスジフエダイの群れ

  • 大きなテーブルサンゴ!<br /><br />透明度が高いので、綺麗に撮れたでしょ?<br />

    大きなテーブルサンゴ!

    透明度が高いので、綺麗に撮れたでしょ?

  • ゴマモンガラ<br /><br />きゃ〜、白目をむいてませんか???<br />

    ゴマモンガラ

    きゃ〜、白目をむいてませんか???

  • シテンヤッコちゃん♪<br /><br />こちらも くまくま先生に教えてもらいました!<br />色と言い、顔と言い、可愛いですよね♪

    シテンヤッコちゃん♪

    こちらも くまくま先生に教えてもらいました!
    色と言い、顔と言い、可愛いですよね♪

  • ニモ〜♪ 最後に会えてよかったよ〜!<br />また会いに来るから、私達のこと忘れないでね〜!<br /><br />ニモ「馴れ馴れしい奴らだな〜。そんなん知らんがな(怒)」<br />可愛い顔して、こんなこと言ってたりして(笑)<br /><br /><動画> http://youtu.be/_KQk3VGfrQE

    ニモ〜♪ 最後に会えてよかったよ〜!
    また会いに来るから、私達のこと忘れないでね〜!

    ニモ「馴れ馴れしい奴らだな〜。そんなん知らんがな(怒)」
    可愛い顔して、こんなこと言ってたりして(笑)

    <動画> http://youtu.be/_KQk3VGfrQE

  • こんにちは、綺麗な青色の小魚さん達♪<br /><br />

    こんにちは、綺麗な青色の小魚さん達♪

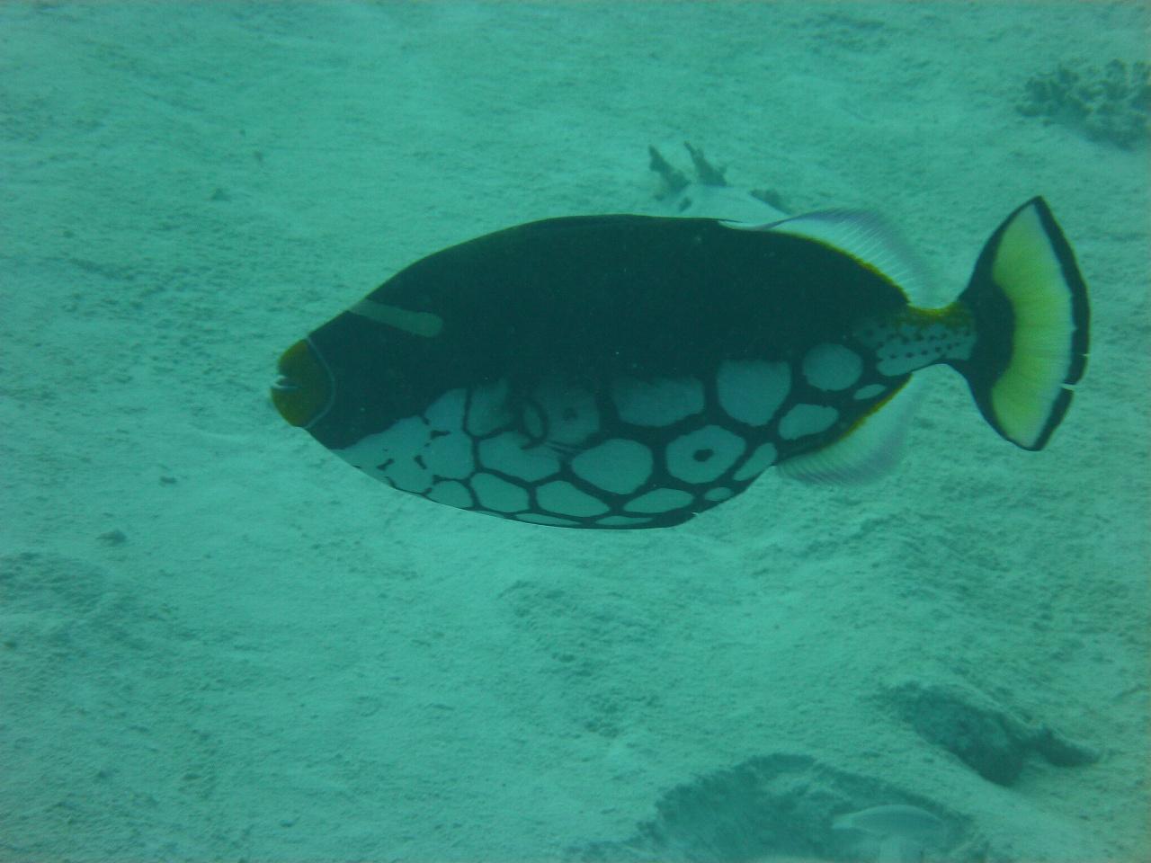
  • モンガラカワハギ

    モンガラカワハギ

  • サドルバックバタフライフィッシュ

    サドルバックバタフライフィッシュ

  • フエヤッコダイ

    フエヤッコダイ

  • ツノダシ

    ツノダシ

  • 丸いテーブルサンゴ<br /><br />ここは大きくて立派なサンゴが多かったな〜!<br />これからも元気に育って下さいね♪

    丸いテーブルサンゴ

    ここは大きくて立派なサンゴが多かったな〜!
    これからも元気に育って下さいね♪

  • 最後は小魚の群れがお見送り<br /><br />有難う!君の名は。。。<br />すみません、また出直して来ます(笑)<br />

    最後は小魚の群れがお見送り

    有難う!君の名は。。。
    すみません、また出直して来ます(笑)

  • 名残惜しいけど、いよいよ浮上です<br /><br />

    名残惜しいけど、いよいよ浮上です

  • 最後の安全停止<br /><br />浮上の時 いつもBCDの空気を抜き忘れちゃう私でしたが<br />最後にやっと上手く安全停止が出来ました!!!<br />今回の猛特訓のおかげですね!<br />ますますダイビングが楽しくなってきたぞ〜♪<br />

    最後の安全停止

    浮上の時 いつもBCDの空気を抜き忘れちゃう私でしたが
    最後にやっと上手く安全停止が出来ました!!!
    今回の猛特訓のおかげですね!
    ますますダイビングが楽しくなってきたぞ〜♪

  • マクヌドゥの桟橋にて<br /><br />ダイビングボートを見つめながら、しばし放心状態<br />「あ〜、今年の夏は終わった。。。」<br />でも、大満足の完全燃焼の夏だったね♪

    マクヌドゥの桟橋にて

    ダイビングボートを見つめながら、しばし放心状態
    「あ〜、今年の夏は終わった。。。」
    でも、大満足の完全燃焼の夏だったね♪

  • 最後にインストラクターのヒロミさんをご紹介します<br /><br />経験本数2本+ブランク3ヶ月という「なんちゃって」の私達<br />器材のセッティング方法も綺麗さっぱり忘れてしまい<br />タンクのバルブが左肩の方に付いていたり<br />なぜだかオクトパスが上の方から出てたり<br />しまいには、デジカメを水没させてしまったりと。。。<br />(ヒロミさんが海底から拾ってきてくれました!!!)<br />ホントお恥ずかしいくらい散々な私たちでしたが<br />ヒロミさんの心優しく、そして時には厳しいご指導の下<br />やっとダイビングのコツがつかめてきました!<br />これからもダイビングを続けて、もっと上手く潜れるよう<br />楽しみながら頑張りたいと思います。<br />ヒロミさん、本当に有難うございました!!!<br /><br />そして最後まで読んで頂いた皆様、本当に有難うございました!<br />

    最後にインストラクターのヒロミさんをご紹介します

    経験本数2本+ブランク3ヶ月という「なんちゃって」の私達
    器材のセッティング方法も綺麗さっぱり忘れてしまい
    タンクのバルブが左肩の方に付いていたり
    なぜだかオクトパスが上の方から出てたり
    しまいには、デジカメを水没させてしまったりと。。。
    (ヒロミさんが海底から拾ってきてくれました!!!)
    ホントお恥ずかしいくらい散々な私たちでしたが
    ヒロミさんの心優しく、そして時には厳しいご指導の下
    やっとダイビングのコツがつかめてきました!
    これからもダイビングを続けて、もっと上手く潜れるよう
    楽しみながら頑張りたいと思います。
    ヒロミさん、本当に有難うございました!!!

    そして最後まで読んで頂いた皆様、本当に有難うございました!

この旅行記のタグ

関連タグ

23いいね!

利用規約に違反している投稿は、報告する事ができます。 問題のある投稿を連絡する

旅行記グループ

??モルディブ

この旅行記へのコメント (14)

開く

閉じる

  • momotaさん 2012/10/27 23:34:04
    ダイバー親子
    minoriさん、こんにちは

    すごいねぇ、どんどんダイビング上達してる〜。
    親子でライセンスまで取得してこうして愉しんでるなんてうちの親とは
    到底あり得ないのでびっくりですよ。お母様も泳ぎが上手なんですね。
    私は前にも言ったかもしれないけど泳げないのでもう何十年も海に入ったことがないよ。

    なので自分の目でこんな水族館でしか見たことのない世界が見れたらどんなに
    素晴らしいんだろうってうっとりしました。
    沈没船かっこいいですね。いいお魚たちの住まいになってるのね〜

    これからも特訓してもっと未知の世界見せてくださいね!

    minori

    minoriさん からの返信 2012/10/28 14:54:51
    RE: ダイバー親子
    momotaさん、こんにちは。
    毎度ご来店&ご投票頂き、誠に有難うございます!
    自分で言うのもなんですが、今回の猛特訓旅行のおかげで
    ダイビングがだいぶ上達した気がします(笑)
    今回はダイビング三昧で、のんびり過ごす時間がなかったのですが
    今後はリゾートダイバーとして、のんびりとやっていきたいと思います♪
    momotaさんも、まずはシュノーケルあるいは体験ダイビングからいかがですか?
    実は母も泳ぎが未だに苦手ですが、私と一緒にシュノーケルから始めて
    ダイバーになったんですよ。
    どちらも泳ぎの得意不得意はあまり関係ないと思います。
    水に対する恐怖心さえなければ、問題ないと思いますよ。
    それでは、また遊びに来て下さいね。私も行きま〜す♪
  • マチャさん 2012/09/21 23:19:28
    チェックダイブ
    minoriさん、こんばんは。
    そろそろ出来たかな〜と思い覗きに来たら、完全に私出遅れてますね(汗)
    モルディブに惚れちゃったんですね〜
    チェックダイブが怖く、ツアー料金もお高いので、未体験のモルディブ、
    やっぱり行ってみたいです。
    チェックダイブはファンダイブだったとのことですが、その前にマスククリアはしてるんですね。
    やばい!ビビってしまいます。
    海の中は、マダラトビエイの群やたくさんのクマノミさん、いいですね。
    ゴマモンガラもこんな大きく撮っちゃって、襲われませんでしたか?

    母娘で一緒にダイビング、娘がminoriさんだったら一緒に楽しんじゃうんだけどね。
    娘と潜って早一年。
    またブランクダイバーになちゃってるし。。。

    私は、娘ひとり家に残し、来月はグアムを潜って来ます!

    モルディブに行きたい!
    マチャ

    minori

    minoriさん からの返信 2012/09/23 00:35:44
    RE: チェックダイブ
    マチャさん、こんばんは。
    毎度ご来店&ご投票頂き、誠に有難うございます!
    未完成の状態で恐縮でしたが、先程やっと完成しました♪

    世界各国のビーチリゾートへ行かれているマチャさんじゃないですか!(笑)
    モルディブのリゾートはピンキリなので、リーズナブルな所もありますよ♪
    チェックダイブは私達がクリア出来たくらいですから絶対大丈夫ですよ!
    グアムの次に娘さんといかがですか?お勧めですよ。
    それでは、また遊びに来て下さいね。私も行きま〜す!
  • くまくまさん 2012/09/21 22:48:56
    minoriさん
    くまくまです

    タテキン(タテジマキンチャクダイ)はくまくまが一番好きなお魚なんですけど(顔がワイルドでしょ?しかもかなりシャイで逃げ足早い、チョイ悪っぽいところがいいんです)、
    なぜ横じまなのにタテジマなのか不思議でガイドさんにきいたら
    つり上げると縞がタテになるからだと教えてもらいました。

    minori

    minoriさん からの返信 2012/09/23 00:27:59
    RE: minoriさん
    くまくまさん、こんばんは。
    毎度ご来店&ご丁寧なコメントを頂き、誠に有難うございます!!!
    大変遅くなりまして申し訳ございませんが、たった今 完成しました♪

    ヨコジマなのにタテジマと言う理由、なるほどそういうことだったんですね!
    いつもお魚の名前なども教えて頂き、本当に有難うございます。
    くまくまさんのおかげで、とても勉強になります!
    とても遅筆で、まだまだなんちゃっての私ではございますが
    これからも色々教えて下さいね。それでは、また〜♪

  • ミンさん 2012/09/14 11:17:30
    ダイビング猛特訓旅行、だけど、ダイビングもリゾートも楽しまれたようですね♪
    minoriさん、お帰りなさい♪

    ダイビングのその日の予定表や、ダイビングポイントのコース図?を写真を撮ろうと気が付く所がすごい!余裕があるなぁ〜

    ガイドさんのショッキングピンク?のフィンって、目立っていいですよね。
    迷子にならない!!

    ムレハタダイに、今回も会えたのですね(私は、会ったことない)

    トビエイ、かっこいいですね。

    3本目のトビエイ(1匹)の次の写真の群れの魚の名前、分かりますか?
    エリヤドゥにも、タヒチにもいたような気がするんですが・・・
    知っていたら、教えてくださいね。

    くまくまさんのおっしゃるとおり、ダイビング初心者なのに、写真お上手ですね。
    私は、最初は、写真なんて、撮る余裕がないって思っていたし、今は、写真を撮っていると気が紛れていいなぁ〜なんて思ってます。
    今は、写真撮るの楽しいです、なかなか良い写真は撮れませんが・・・

    minoriさんのこの旅行記、写真が、115枚もあるのに、全然飽きません。
    楽しませていただきました♪

    コメント、楽しみにしてますね。
    リゾートの旅行記も作られるんですよね?

    また遊びに来ますね。

    ミン

    minori

    minoriさん からの返信 2012/09/17 17:05:57
    RE: ダイビング猛特訓旅行、だけど、ダイビングもリゾートも楽しまれたようですね♪
    ミンさん、こんにちは。
    毎度ご来店&ご投票頂き、誠に有難うございます!!!
    お礼のご挨拶が大変遅くなりまして、誠に誠に申し訳ございません。。。

    出発前はのんびりリゾート気分も味わおうと思っていたのですが
    取り憑かれたかのように、4日間で8本とダイビング猛特訓旅行になっちゃいました(笑)
    なので残念ながら(?)のんびりする暇がほとんどありませんでした。。。
    でも、おかげで器材のセッティングや浮力の調整方法などが分かってきたので
    特訓して良かったと思いました!正直サイパンでの1日半の講習では
    何が何だか良く分からないうちに終わってしまったので。。。
    ダイビングはやっぱり経験の積み重ねですよね。
    って、なんちゃっての私が言うのもなんですが(笑)
    そうそう「コース図」って言うのですか?毎回こういうボードを持って
    ガイドさんが事前説明をしてくれたんですよ。良く出来たボードですよね!
    前半は余裕がありませんでしたが、ちょうど4回目が終わった後くらいに
    余裕が出てきたのか、ふと思い立ち一気に前半戦のボードを撮らせてもらいました(笑)
    正直 私達レベルでは見てもあまりイメージが湧かなかったのですが
    ミンさんのように大ベテランさんなら、イメージが頭に入るんでしょうね♪
    潜ってみたいポイントはありましたか?
    ちなみに今回2回潜った「MADI GAA」はお勧めですよ♪

    最後になりましたが、素人写真をアップしただけの旅行記をお褒め頂き
    誠に有難うございました!私にはもったいないお言葉ばかりで恐縮な反面
    とっても嬉しかったです!いっぱい写真を撮った甲斐がありました♪
    今回はネットの力を借りて、出来る限り魚の名前を入れてみたいと思いますので
    タイトルの【作成中】が取れた頃にまた遊びに来て下さいね。
    (ミンさんのおっしゃっている魚の名前、分かるといいのですが。。。)
    それでは、また〜!
  • たらよろさん 2012/09/11 20:28:24
    すごい〜9回目!!
    こんばんは、minoriさん。

    なんちゃって!!ちゃいますって!

    9回もモルディブに言ってるなんて、
    もう、尊敬!!
    羨ましい〜♪
    行きたくたって、一度も行けないのに、、、
    そんな美しいビーチに9回も!ずるいずるい!

    コメント待ってますね。

    たらよろ

    minori

    minoriさん からの返信 2012/09/17 15:35:16
    RE: すごい〜9回目!!
    たらよろ様、こんにちは。
    毎度ご来店&ご投票頂き、誠に有難うございます!!!
    お礼のご挨拶が大変遅くなりまして、誠に誠に申し訳ございません。。。

    言われてみると、確かに同じ国に9回「も」ですよね(笑)
    我が家は凝り性なので、気に入るとこうなっちゃうんですよ。
    1年ぶりのモルディブなので、のんびりとリゾート気分も味わう予定でしたが
    終わってみればダイビング8回と、のんびりする暇がほとんどありませんでした(笑)
    まあ今回はタイトル通り「ダイビング猛特訓旅行」と言うことで
    次回はもう少しのんびりも楽しみたいと思います♪
    さてと、作成中の旅行記を完成させなくては。。。
    今日明日あたりで完成させたいと思いますので、タイトルの【作成中】が取れた頃に
    また遊びに来て下さいね。それでは、また〜!
  • くまくまさん 2012/09/10 22:20:27
    mnoriさん
    くまくまです
    こんばんわ

    もうりっぱなダイバーですね。
    写真も全然ぶれてないし、とてもOWとりたてとは思えません。
    わたしなんてこれは何を撮ったの?というような前衛的な写真ばかりでしたから(笑)
    しかも4日間ダイブなんてすごいですね。
    最高でも3日間しか潜ったことないですもん。(4日なんで耳がもたない・・・)
    お魚もいっぱい写真がとれましたね〜
    すごいすごい!
    最終ダイブ、くまくまのすきなシテンヤッコちゃんもいましたね〜
    あと鮮やかなパウダーブルーも見れたんですね〜
    いいなあ、モルディブ、いつかはいきたいと思います。
    では、コメントつくの楽しみにしていますね。

    minori

    minoriさん からの返信 2012/09/17 14:02:30
    RE: mnoriさん
    くまくまさん、こんにちは。
    毎度ご来店&ご投票頂き、誠に有難うございます!!!
    お礼のご挨拶が大変遅くなりまして、誠に誠に申し訳ございません。。。

    取り急ぎの写真のみアップの手抜き旅行記にもかかわらず
    大先輩くまくまさんから数々のお褒めの言葉を頂き、光栄でございます!!!
    「経験本数2本+ブランク3ヶ月」で乗り込んじゃう なんちゃって親子には
    本当にもったいないお言葉ばかりで、恐縮でございます。。。
    写真はカメラのおかげかしら? 結構ズームが効くカメラなので。
    それに「これは何?」という写真は沢山あるけど、アップしませんから〜(笑)
    今回8本と猛特訓したおかげで、今更ですがやっとコツがつかめてきた気がします。
    器材のセッティングや、浮力の調整方法などなど。
    やっぱりファン・ダイブは体験とは全然違いますよね!
    まだまだ なんちゃってですが、本当にライセンスを取って良かったです!
    母もすっかり手放しで楽しめるようになりましたよ♪
    ただ、エアーの消費がかなり早いようで心配なんですが。。。
    (30切ってました。。。私は80前後くらい残るんですが)
    いや〜、親子でこんなにダンビングにハマるとは思ってみませんでした。
    今年3月のエーストマトさんでの体験ダイビングがなかったら
    今の私達はいなかったと思います。
    (自分的には、あのダイビングはファン・ダイブと変わらない気がしますが(笑))
    くまくまさんのおかげです!本当に有難うございました!!!
    これからもダイビングのこと、お魚のことなど、色々教えて下さいね♪
    今日明日あたりで旅行記を完成させたいと思いますので
    タイトルの【作成中】が取れた頃にまた遊びに来て下さいね。
    それでは、また〜!
  • puyomushiさん 2012/09/10 22:03:17
    なんちゃってじゃないですよ
    minoriさん、お帰りなさい〜

    やっぱり、モルディブは凄いっっ
    それを楽しんでるのですからぜ〜んぜん、なんちゃってじゃないですよ。

    マンタやクマノミやお魚の大群にめぐまれて、そりゃ8本も潜っちゃう
    ワケですね(^.^)
    お母様も一緒に8本ですかっ(+o+)
    すんごい、体力です。

    ビヤドゥと比べてこちらはどうでした?
    モルディブもどんどん新しいリゾートができてきて
    ついて行けません(-"-)

    でもminoriさんにようにインストラクターさんおっかけでリゾート
    選ぶ方には軟弱な発言でした<(_ _)>

    コメント入ったころにまた遊びにきます〜♪

    puyo

    minori

    minoriさん からの返信 2012/09/17 13:03:11
    RE: なんちゃってじゃないですよ
    puyoさん、こんにちは。
    毎度ご来店&ご投票頂き、誠に有難うございます!!!
    お礼のご挨拶が大変遅くなりまして、誠に誠に申し訳ございません。。。

    取り急ぎの写真のみアップで恐縮ですが、楽しんで頂けたようで嬉しいです♪
    今までのシュノーケルでも十分楽しいですが、やっぱり潜った方が凄かった!
    時期的に雨期真っ只中のため、海の透明度が低かったのが残念でしたが
    カメ・サメ・エイなどの大物やお魚の大群に出会い、大満足のダイビングでした♪
    今年最後のダイビングなのもあって、結局8本も潜っちゃいました(笑)
    もちろん我が家の元気印の母も一緒ですよ〜♪
    puyoさんも旦那様と一緒にダイビングいかがですか?

    それから今回泊まったマクヌドゥですが、ランク的にはビヤドゥより少し上で
    お部屋は1棟2室のバンガロー。インストラクターさんからの前情報通り
    ビヤドゥより食事の種類が豊富で全般的には美味しかったです♪
    ただ夜はコース料理が多く、昼間とシェフが違うようでして
    味がいまいち我が家の好みじゃなかったんですよね。。。
    詳しくは「リゾート編」でご紹介させて頂きたいと思いますが
    総合的には我が家はやっぱり「ビヤドゥ派」ですね(笑)
    と、その前に作成中の旅行記を完成させなきゃ。。。
    今日明日あたりで完成させたいと思いますので、タイトルの【作成中】が取れた頃に
    また遊びに来て下さいね。それでは、また〜!

minoriさんのトラベラーページ

コメントを投稿する前に

十分に確認の上、ご投稿ください。 コメントの内容は攻撃的ではなく、相手の気持ちに寄り添ったものになっていますか?

サイト共通ガイドライン(利用上のお願い)

報道機関・マスメディアの方へ 画像提供などに関するお問い合わせは、専用のお問い合わせフォームからお願いいたします。

旅の計画・記録

マイルに交換できるフォートラベルポイントが貯まる
フォートラベルポイントって?

モルディブで使うWi-Fiはレンタルしましたか?

フォートラベル GLOBAL WiFiなら
モルディブ最安 562円/日~

  • 空港で受取・返却可能
  • お得なポイントがたまる

モルディブの料金プランを見る

フォートラベル公式LINE@

おすすめの旅行記や旬な旅行情報、お得なキャンペーン情報をお届けします!
QRコードが読み取れない場合はID「@4travel」で検索してください。

\その他の公式SNSはこちら/

タグから海外旅行記(ブログ)を探す

PAGE TOP