石垣島旅行記(ブログ) 一覧に戻る
天気が回復!<br /><br />気合を入れて、米原ビーチへ。<br /><br />・・・・やっぱり誰もいません(涙)。<br />でも、がんばって泳ぎましたよ。<br /><br />寒中水泳でしたけど・・。

初めての石垣島 3日目 ~米原ビーチでシュノーケル

2いいね!

2008/05/22 - 2008/05/25

5328位(同エリア5885件中)

0

12

もま

もまさん

天気が回復!

気合を入れて、米原ビーチへ。

・・・・やっぱり誰もいません(涙)。
でも、がんばって泳ぎましたよ。

寒中水泳でしたけど・・。

  • やった!<br />晴れました!!^^)<br /><br />気合を入れなおして、8時にホテルを出ました。<br /><br />これから米原ビーチへ行きます。<br />再チャレンジ!

    やった!
    晴れました!!^^)

    気合を入れなおして、8時にホテルを出ました。

    これから米原ビーチへ行きます。
    再チャレンジ!

  • 途中の海の眺め。<br /><br />マングローブが茂っています。<br /><br />8時ごろが満潮なので、このときは水がなみなみ。<br />お椀にいっぱいって感じですが、お昼過ぎるとものすごーい引潮になります。

    途中の海の眺め。

    マングローブが茂っています。

    8時ごろが満潮なので、このときは水がなみなみ。
    お椀にいっぱいって感じですが、お昼過ぎるとものすごーい引潮になります。

  • あれれーー?<br /><br />またしても貸し切りです!!!<br /><br />んーー・・。<br />やっぱり朝早すぎた?

    あれれーー?

    またしても貸し切りです!!!

    んーー・・。
    やっぱり朝早すぎた?

  • ほーら。<br />だーれもいません。^^;)<br /><br />でも、昨日とは気合が違います!<br /><br />つ、冷たいけど、泳ぐぞっ!

    ほーら。
    だーれもいません。^^;)

    でも、昨日とは気合が違います!

    つ、冷たいけど、泳ぐぞっ!

  • 腰まで浸かって水の冷たさに慣れてから、ゆっくり泳ぎました。<br /><br />やっぱり修行だ〜(ToT)<br /><br />水の中も暗いですぅ。。。<br />魚はいっぱいいるけどね。

    腰まで浸かって水の冷たさに慣れてから、ゆっくり泳ぎました。

    やっぱり修行だ〜(ToT)

    水の中も暗いですぅ。。。
    魚はいっぱいいるけどね。

  • 海蛇もいました。<br /><br />ビーチ入り口には「ハブクラゲに注意!!」って看板もあり、ちょっとびくびくしながら泳ぎました。<br />

    海蛇もいました。

    ビーチ入り口には「ハブクラゲに注意!!」って看板もあり、ちょっとびくびくしながら泳ぎました。

  • 魚の群れ。<br /><br />右側は急に深くなっています。<br /><br />結構流れも速かったので、怖くてあんまり沖にはいけませんでした。<br />

    魚の群れ。

    右側は急に深くなっています。

    結構流れも速かったので、怖くてあんまり沖にはいけませんでした。

  • 結構波があるの、わかります?<br /><br />しかもかなーーり、水は冷たいです。。。

    結構波があるの、わかります?

    しかもかなーーり、水は冷たいです。。。

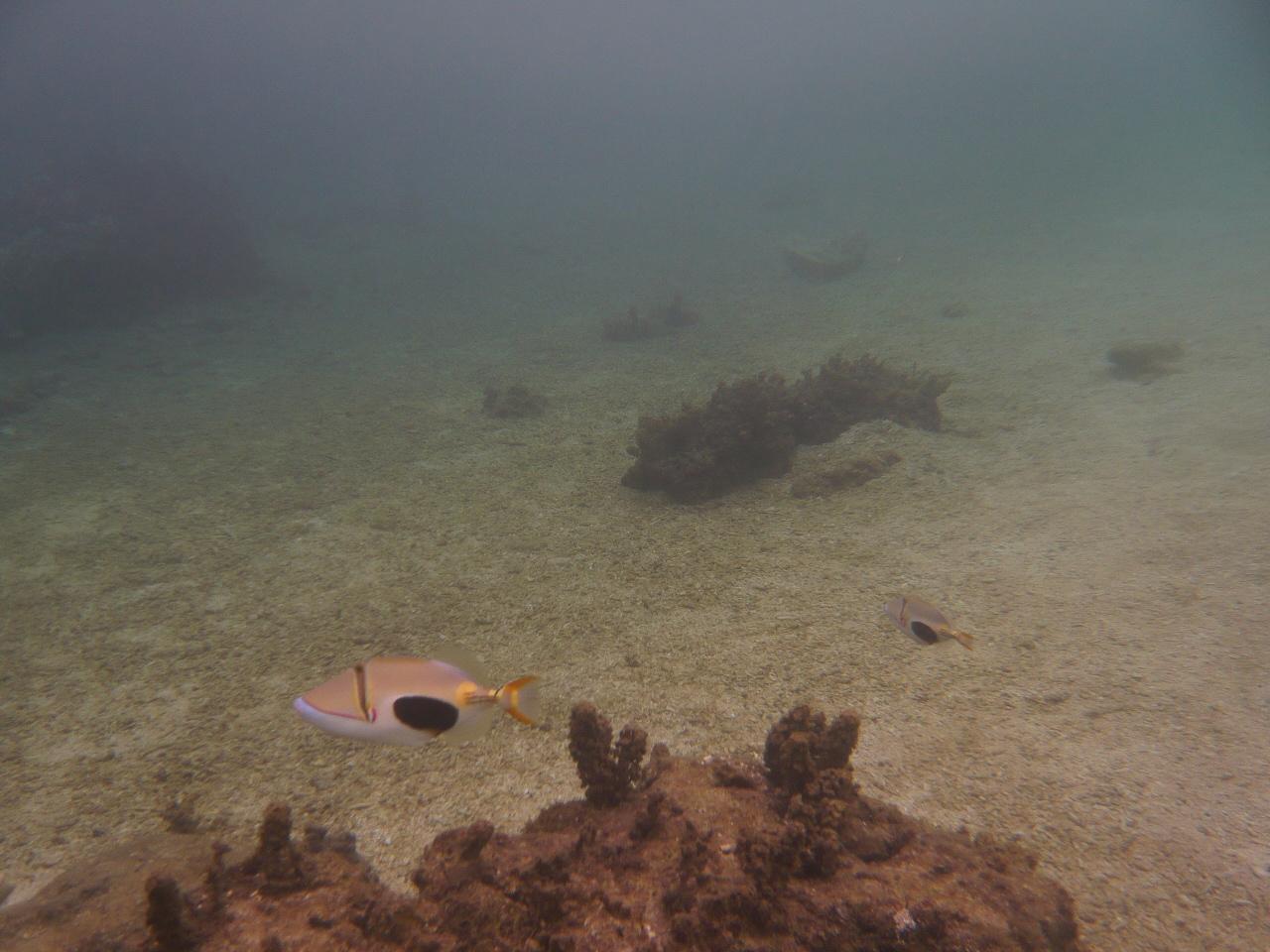
  • 小さな青い魚がたくさんいました。<br /><br />ところで、この茶色いゆらゆらしたの、何でしょうね?<br />サンゴには見えませんが・・。

    小さな青い魚がたくさんいました。

    ところで、この茶色いゆらゆらしたの、何でしょうね?
    サンゴには見えませんが・・。

  • モンガラの仲間かな?<br /><br />30分ほど泳いで、限界を感じたので岸に上がりました。<br /><br />私たちが泳ぎ終わった後くらいから、人が数人増えてきました。<br /><br />でもやっぱり午前中はみんな泳がないのね?<br /><br />曇ってると水温低いしねえ・・。

    モンガラの仲間かな?

    30分ほど泳いで、限界を感じたので岸に上がりました。

    私たちが泳ぎ終わった後くらいから、人が数人増えてきました。

    でもやっぱり午前中はみんな泳がないのね?

    曇ってると水温低いしねえ・・。

  • 午後からは、保険のために予約したシュノーケルツアーに参加するので、その前に腹ごしらえ。<br /><br />あやぱにモールへ行ってみましたが・・・。<br /><br /><br />えーーーっと・・。<br />誰もいませんよ?<br /><br />いくらシーズンオフだからって・・。^^;)<br />しかも休んでるお店多し。<br /><br /><br />ちなみに、唯一見つけた本屋さんはこのモールにありました。

    午後からは、保険のために予約したシュノーケルツアーに参加するので、その前に腹ごしらえ。

    あやぱにモールへ行ってみましたが・・・。


    えーーーっと・・。
    誰もいませんよ?

    いくらシーズンオフだからって・・。^^;)
    しかも休んでるお店多し。


    ちなみに、唯一見つけた本屋さんはこのモールにありました。

  • 食事どころ「磯」でランチ。<br />これで1200円くらいです。<br /><br />安いしおいしい♪<br /><br />アーサー汁、ジーマミ豆腐、おいしい♪

    食事どころ「磯」でランチ。
    これで1200円くらいです。

    安いしおいしい♪

    アーサー汁、ジーマミ豆腐、おいしい♪

この旅行記のタグ

2いいね!

利用規約に違反している投稿は、報告する事ができます。 問題のある投稿を連絡する

コメントを投稿する前に

十分に確認の上、ご投稿ください。 コメントの内容は攻撃的ではなく、相手の気持ちに寄り添ったものになっていますか?

サイト共通ガイドライン(利用上のお願い)

報道機関・マスメディアの方へ 画像提供などに関するお問い合わせは、専用のお問い合わせフォームからお願いいたします。

旅の計画・記録

マイルに交換できるフォートラベルポイントが貯まる
フォートラベルポイントって?

フォートラベル公式LINE@

おすすめの旅行記や旬な旅行情報、お得なキャンペーン情報をお届けします!
QRコードが読み取れない場合はID「@4travel」で検索してください。

\その他の公式SNSはこちら/

価格.com旅行・トラベルホテル・旅館を比較

PAGE TOP