ケアンズ旅行記(ブログ) 一覧に戻る
GBR、2日目。 先日の疲れも何のその、本日はもう少し遠くのポイントへクルージングするみたいです。 なんだか日に日に期待が高まる自分が楽しくて仕方がありません。 今日も1日頑張ってゴー!!

サザンクロスの瞬く大陸へ−4日目−

29いいね!

2006/09/25 - 2006/10/01

228位(同エリア2725件中)

0

47

piano

pianoさん

GBR、2日目。 先日の疲れも何のその、本日はもう少し遠くのポイントへクルージングするみたいです。 なんだか日に日に期待が高まる自分が楽しくて仕方がありません。 今日も1日頑張ってゴー!!

同行者
一人旅
航空会社
  • リーフ・ターミナルにあるお土産やさんです。 かなりアーティスティックなものが飾られていたので思わずパチリ。 高いんだろ〜な〜。

    リーフ・ターミナルにあるお土産やさんです。 かなりアーティスティックなものが飾られていたので思わずパチリ。 高いんだろ〜な〜。

  • え〜、日本人ガイド兼シュノーケリングのガイドを務める○×さんです。(トホホ…。) てきぱきと、本日のスケジュール等々説明してくれました。 ツアー会社毎にユニフォームが違っていてカッコイイです。

    え〜、日本人ガイド兼シュノーケリングのガイドを務める○×さんです。(トホホ…。) てきぱきと、本日のスケジュール等々説明してくれました。 ツアー会社毎にユニフォームが違っていてカッコイイです。

  • 日本人は2階の操舵室に固まってます。 ケアンズに来て思ったのですが東南アジアのリゾート地に比べ日本人観光客の比率が非常に高い。 街でも日本人に遭遇する確率が相当高い。 住みやすいです。

    日本人は2階の操舵室に固まってます。 ケアンズに来て思ったのですが東南アジアのリゾート地に比べ日本人観光客の比率が非常に高い。 街でも日本人に遭遇する確率が相当高い。 住みやすいです。

  • 操舵室にたむろっているので、船長さんにコンニチハ。 レーダーや色んな計器が並んでます。 本日の目的地ははノーマンリーフ。 クルーザーは相当のスピードで水上を走ってます。

    操舵室にたむろっているので、船長さんにコンニチハ。 レーダーや色んな計器が並んでます。 本日の目的地ははノーマンリーフ。 クルーザーは相当のスピードで水上を走ってます。

  • 本日も天気良好。 外人さんが後方デッキで日向ぼっこ。 かなりに紫外線が強いので1〜2時間でこんがりと黒こげになります。 私は先日1日でボロボロです〜。

    本日も天気良好。 外人さんが後方デッキで日向ぼっこ。 かなりに紫外線が強いので1〜2時間でこんがりと黒こげになります。 私は先日1日でボロボロです〜。

  • 彼方にポンツーンが見えます。 明日はポンツーンでの体験ダイビングが待ってます。 楽しみです〜!! でもって、こちらも準備OK!

    彼方にポンツーンが見えます。 明日はポンツーンでの体験ダイビングが待ってます。 楽しみです〜!! でもって、こちらも準備OK!

  • 次々とダイバー達が海へと潜ってゆきます。 後ろのお姉さんは商売用の写真撮影に大忙しです。

    次々とダイバー達が海へと潜ってゆきます。 後ろのお姉さんは商売用の写真撮影に大忙しです。

  • これからまさに海の底へ潜ろうとしているダイバーさんです。 私はシュノーケラーなのですがやはりダイバーには憧れます。 幸あれ。

    これからまさに海の底へ潜ろうとしているダイバーさんです。 私はシュノーケラーなのですがやはりダイバーには憧れます。 幸あれ。

  • 撮影班のお姉さんに逆ショットをお願いしました。 オージーは概ねフランクで楽しい人が多いです。 彼女も笑って応じてくれました。 アリガト。

    撮影班のお姉さんに逆ショットをお願いしました。 オージーは概ねフランクで楽しい人が多いです。 彼女も笑って応じてくれました。 アリガト。

  • 海上からのエントリーの人達のショット。 本日も水温がかなり低めなのでウエット・スーツ着用でもシュノーケリング。 水の冷たさが体温を奪わないので助かります。 では、海の世界にゴー!!

    海上からのエントリーの人達のショット。 本日も水温がかなり低めなのでウエット・スーツ着用でもシュノーケリング。 水の冷たさが体温を奪わないので助かります。 では、海の世界にゴー!!

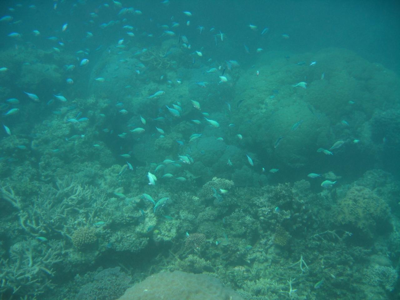
  • ボーとの真下付近のショットです。 余り透明度はないでが魚影は濃いです。 かなり沢山のお魚さん達がホバリングしてます。

    ボーとの真下付近のショットです。 余り透明度はないでが魚影は濃いです。 かなり沢山のお魚さん達がホバリングしてます。

  • お魚さん達に導かれるままに移動。 パラダイスはも間近です。 ウエルカム・トウー・ショウタイムです。

    お魚さん達に導かれるままに移動。 パラダイスはも間近です。 ウエルカム・トウー・ショウタイムです。

  • 綺麗な珊瑚のエリアに到達。 周りには様々な(魚の種類が言えないのでゴメンなさい…。)が漂ってます。 視界良〜し。

    綺麗な珊瑚のエリアに到達。 周りには様々な(魚の種類が言えないのでゴメンなさい…。)が漂ってます。 視界良〜し。

  • カラフルなお魚さん達が眼前を通り過ぎてゆきます。 至福の時。 ここまで来て良かった。 そう言える事に感謝。

    カラフルなお魚さん達が眼前を通り過ぎてゆきます。 至福の時。 ここまで来て良かった。 そう言える事に感謝。

  • 様々な色彩の珊瑚が生きています。 この海は沢山の生命を育んでいます。 BBR好きです。

    様々な色彩の珊瑚が生きています。 この海は沢山の生命を育んでいます。 BBR好きです。

  • 鮮やかなブルーのお魚さん発見。 日差しが海底に降り注いでいます。 華麗な海の世界。

    鮮やかなブルーのお魚さん発見。 日差しが海底に降り注いでいます。 華麗な海の世界。

  • 今日もチョウチョ魚さんは元気。 至る所で目にします。 黄色と黒のグラデーションが綺麗。

    今日もチョウチョ魚さんは元気。 至る所で目にします。 黄色と黒のグラデーションが綺麗。

  • 何かは知らねど大きめな華麗な魚さんをツインで発見。 海ではいつも新鮮な発見が一杯。 だから、止められません。 いつまでも潜っていたい。

    何かは知らねど大きめな華麗な魚さんをツインで発見。 海ではいつも新鮮な発見が一杯。 だから、止められません。 いつまでも潜っていたい。

  • お〜、シャーク発見。 小さいながらもシャークに違いないです。 追跡開始!!

    お〜、シャーク発見。 小さいながらもシャークに違いないです。 追跡開始!!

  • 待って〜!! シャークさんは独特な泳ぎ方で悠々と海底を泳いで行きましす。

    待って〜!! シャークさんは独特な泳ぎ方で悠々と海底を泳いで行きましす。

  • 悠々と泳ぎ去ってゆきました。 やはりあのしなやかなボディはシャークそのものです。 アイ・ラブ・シャーク!!

    悠々と泳ぎ去ってゆきました。 やはりあのしなやかなボディはシャークそのものです。 アイ・ラブ・シャーク!!

  • 無数の魚が眼前に群がっています。 しばしみとれてます。 魚たちの乱舞です。

    無数の魚が眼前に群がっています。 しばしみとれてます。 魚たちの乱舞です。

  • ディープブルーの世界。 音のない静謐な領域。 ここは魚たちにとっての聖域です。

    ディープブルーの世界。 音のない静謐な領域。 ここは魚たちにとっての聖域です。

  • 一転してカラフルな世界。 太陽の日差しは海底に色彩を与えます。 光の満ちあふれた海、GBR。

    一転してカラフルな世界。 太陽の日差しは海底に色彩を与えます。 光の満ちあふれた海、GBR。

  • かなり小さくて見づらいですがブルーのニモです。 初めてブルーニモを見ました。 新たな発見…、幸せ。

    かなり小さくて見づらいですがブルーのニモです。 初めてブルーニモを見ました。 新たな発見…、幸せ。

  • ディープブルーの世界に棲むダイバー。 彼(彼女?)は何を目にしているのでしょうか。 ダイバーだけに与えられた至福の時。 羨まし〜!!

    ディープブルーの世界に棲むダイバー。 彼(彼女?)は何を目にしているのでしょうか。 ダイバーだけに与えられた至福の時。 羨まし〜!!

  • 撮影班のお姉さん大忙し。 シュノーケラーに大なまこを渡しての撮影。 彼女も大変…、仕事で潜ってるのは嫌だ〜。

    撮影班のお姉さん大忙し。 シュノーケラーに大なまこを渡しての撮影。 彼女も大変…、仕事で潜ってるのは嫌だ〜。

  • 黒い魚の先がドロップアウトしてます。 光の届く世界と、光の届かない世界。 境界線をゆったりと泳いでます。

    黒い魚の先がドロップアウトしてます。 光の届く世界と、光の届かない世界。 境界線をゆったりと泳いでます。

  • いきなりナポちゃん発見!! 初めて見るその姿に感激!! 悠然と泳ぐ姿にしばしうっとり。

    いきなりナポちゃん発見!! 初めて見るその姿に感激!! 悠然と泳ぐ姿にしばしうっとり。

  • ナポちゃん追跡班(約1名)出動。 ナポちゃんはゆったりと泳ぐので追跡班はかなり余裕をもって活動を監視。 ん〜、幸せ!!

    ナポちゃん追跡班(約1名)出動。 ナポちゃんはゆったりと泳ぐので追跡班はかなり余裕をもって活動を監視。 ん〜、幸せ!!

  • 追跡班がいるのを知ってか知らずか、悠然と泳ぐナポちゃん。 きっと天敵がいないのであれだけ悠然と泳げるのでしょう。

    追跡班がいるのを知ってか知らずか、悠然と泳ぐナポちゃん。 きっと天敵がいないのであれだけ悠然と泳げるのでしょう。

  • サヨナラ〜、ナポちゃん…。 その姿は決して忘れないから。

    サヨナラ〜、ナポちゃん…。 その姿は決して忘れないから。

  • おおっ、今度はニモちゃん。 またしてもブルー…。 今日はラッキーデイ? 神様に感謝!!

    おおっ、今度はニモちゃん。 またしてもブルー…。 今日はラッキーデイ? 神様に感謝!!

  • しばし愛らしいニモちゃんの姿を観賞。 イソギンチャクに守られて幸せそう。

    しばし愛らしいニモちゃんの姿を観賞。 イソギンチャクに守られて幸せそう。

  • ニモちゃんサヨナラ〜。 また来るからね〜。 心なしかニモちゃんも寂しそう。(ん〜な訳無いか。)

    ニモちゃんサヨナラ〜。 また来るからね〜。 心なしかニモちゃんも寂しそう。(ん〜な訳無いか。)

  • 黒と白そして尾びれにかけてのオレンジ色が鮮やかな魚…。 神様はいかにしてこのような華麗な魚たちを造りたもうたのでしょうか? 神様のイタズラ?

    黒と白そして尾びれにかけてのオレンジ色が鮮やかな魚…。 神様はいかにしてこのような華麗な魚たちを造りたもうたのでしょうか? 神様のイタズラ?

  • オージーは概して陽気でおおらか。 彼女も素敵なオージーに違いありません。

    オージーは概して陽気でおおらか。 彼女も素敵なオージーに違いありません。

  • 今回のGBRのツアーの食事3度ともほぼ同じメニュー、しかもどれも冷たい…。 この日は暖かいスープが付いていたのがせめてもの救い。 ラザニア冷めていたら美味しくありません。 無理矢理腹に詰め込みました。

    今回のGBRのツアーの食事3度ともほぼ同じメニュー、しかもどれも冷たい…。 この日は暖かいスープが付いていたのがせめてもの救い。 ラザニア冷めていたら美味しくありません。 無理矢理腹に詰め込みました。

  • 昼食後の2度目のシュノーケリングタイム。 ブダイでしょうか。 カラフルなボディ。 鮮やかです。

    昼食後の2度目のシュノーケリングタイム。 ブダイでしょうか。 カラフルなボディ。 鮮やかです。

  • 今度は上からのショット。 優雅に泳いでます。 自由を満喫するがごとく。

    今度は上からのショット。 優雅に泳いでます。 自由を満喫するがごとく。

  • 海底の茶畑…ではな〜く、鮮やかなグリーンの珊瑚です。 かくして海底の世界は燦然と輝くのであった。

    海底の茶畑…ではな〜く、鮮やかなグリーンの珊瑚です。 かくして海底の世界は燦然と輝くのであった。

  • 無数の小魚のホバリング。 魚たちに囲まれる日々。 最高のホリデーです。

    無数の小魚のホバリング。 魚たちに囲まれる日々。 最高のホリデーです。

  • 海底に敷かれるベルベットの絨毯。 それは余りにも華麗で見る者を魅了して止みません。 ベージュのソフトコーラル。

    海底に敷かれるベルベットの絨毯。 それは余りにも華麗で見る者を魅了して止みません。 ベージュのソフトコーラル。

  • ダイバーを先導するがごとく泳ぐ小魚たち。 導かれる先には何が待っているのでしょうか?

    ダイバーを先導するがごとく泳ぐ小魚たち。 導かれる先には何が待っているのでしょうか?

  • 鋭い歯で珊瑚に食らいつくブダイ。 ガッ!!って言う音が聞こえてきそうです。

    鋭い歯で珊瑚に食らいつくブダイ。 ガッ!!って言う音が聞こえてきそうです。

  • 撮影班のお姉さんが撮った写真をPCでCDにダウンロードするスタッフ。 帰港までに仕上げなくてはならないのでマジ必死です。 ガンバレ〜!!

    撮影班のお姉さんが撮った写真をPCでCDにダウンロードするスタッフ。 帰港までに仕上げなくてはならないのでマジ必死です。 ガンバレ〜!!

  • 本日の日程を終えリラックスする日本人スタッフの皆様。 ご苦労〜様でした。

    本日の日程を終えリラックスする日本人スタッフの皆様。 ご苦労〜様でした。

この旅行記のタグ

29いいね!

利用規約に違反している投稿は、報告する事ができます。 問題のある投稿を連絡する

コメントを投稿する前に

十分に確認の上、ご投稿ください。 コメントの内容は攻撃的ではなく、相手の気持ちに寄り添ったものになっていますか?

サイト共通ガイドライン(利用上のお願い)

報道機関・マスメディアの方へ 画像提供などに関するお問い合わせは、専用のお問い合わせフォームからお願いいたします。

旅の計画・記録

マイルに交換できるフォートラベルポイントが貯まる
フォートラベルポイントって?

オーストラリアで使うWi-Fiはレンタルしましたか?

フォートラベル GLOBAL WiFiなら
オーストラリア最安 305円/日~

  • 空港で受取・返却可能
  • お得なポイントがたまる

オーストラリアの料金プランを見る

フォートラベル公式LINE@

おすすめの旅行記や旬な旅行情報、お得なキャンペーン情報をお届けします!
QRコードが読み取れない場合はID「@4travel」で検索してください。

\その他の公式SNSはこちら/

PAGE TOP