プーケット旅行記(ブログ) 一覧に戻る
毎年悩む、カウントダウン。ぎりぎりまで決まらず、間際でとれたのがプーケット。<br />約15年ぶりのプーケットで海三昧、カウントダウンをしてきました。<br /><br />1日目:セントレア→仁川経由→<br />2日目:プーケット<br />3日目:シミランシュノーケルツアー<br />4日目:ピピ島ツアー<br />5日目:ラチャ島&コーラルアイランドツアー<br />6日目:カイ島ツアー<br />7日目:プーケット→上海経由関空着<br /><br />3日目。この日は透明度が高いと評判のシミラン諸島ツアーへ。

プーケットでカウントダウン ② シミラン諸島でシュノーケル

17いいね!

2013/12/28 - 2014/01/03

1519位(同エリア4582件中)

0

44

stacy

stacyさん

毎年悩む、カウントダウン。ぎりぎりまで決まらず、間際でとれたのがプーケット。
約15年ぶりのプーケットで海三昧、カウントダウンをしてきました。

1日目:セントレア→仁川経由→
2日目:プーケット
3日目:シミランシュノーケルツアー
4日目:ピピ島ツアー
5日目:ラチャ島&コーラルアイランドツアー
6日目:カイ島ツアー
7日目:プーケット→上海経由関空着

3日目。この日は透明度が高いと評判のシミラン諸島ツアーへ。

旅行の満足度
3.5
観光
4.0
グルメ
3.5
同行者
友人
航空会社
大韓航空
旅行の手配内容
個別手配
  • シミラン諸島のツアーを申し込みました♪<br /><br />6:15ピックに備え、5時起きです。<br />陸路を経て、ボート乗り場へ着いたのは8時ちょっとすぎ。<br /><br />簡単な食事があったので朝ごはんを取って、ボート出発の9:30まで過ごしました。<br /><br />9:10頃に酔い止めのピルを飲んだ方がイイよ、とスタッフより指示があったのでそれにしたがってピルを。<br /><br />11時頃にやっと最初のスポットに到着。

    シミラン諸島のツアーを申し込みました♪

    6:15ピックに備え、5時起きです。
    陸路を経て、ボート乗り場へ着いたのは8時ちょっとすぎ。

    簡単な食事があったので朝ごはんを取って、ボート出発の9:30まで過ごしました。

    9:10頃に酔い止めのピルを飲んだ方がイイよ、とスタッフより指示があったのでそれにしたがってピルを。

    11時頃にやっと最初のスポットに到着。

  • 遠かったシミラン諸島までの道のり。40人ほどのボートは一路海へ。<br /><br />本当はNo.5 &amp; No.6に行くはずが、波が高いのでNo.7に変更。<br /><br />期待して海に入ると・・・あれ?透明度イマイチ。

    遠かったシミラン諸島までの道のり。40人ほどのボートは一路海へ。

    本当はNo.5 & No.6に行くはずが、波が高いのでNo.7に変更。

    期待して海に入ると・・・あれ?透明度イマイチ。

  • この日はちょっとくもりがちで波もあるので普段より透明度が低いのかも。<br /><br />もともと行く予定だった場所に比べて波が低いといっても結構ありました。

    この日はちょっとくもりがちで波もあるので普段より透明度が低いのかも。

    もともと行く予定だった場所に比べて波が低いといっても結構ありました。

  • 小魚は結構いるのかな?

    小魚は結構いるのかな?

  • でも期待が高すぎたのでがっかり。

    でも期待が高すぎたのでがっかり。

  • あ、いかが。 

    あ、いかが。 

  • 水玉がきれいに光っていました。

    水玉がきれいに光っていました。

  • 上から見るととてもきれいなのにねー・・・<br /><br />ボートはNo.4へ移動。

    上から見るととてもきれいなのにねー・・・

    ボートはNo.4へ移動。

  • ここではランチタイムです。

    ここではランチタイムです。

  • きめ細かい砂と青のグラデーション。

    きめ細かい砂と青のグラデーション。

  • ランチはまあまあでした。

    ランチはまあまあでした。

  • 見ている分には癒されるんだけど、天気がイマイチすぎて

    見ている分には癒されるんだけど、天気がイマイチすぎて

  • なんかうれしくない。

    なんかうれしくない。

  • しばらくぶらぶらと過ごした後は次のスポットへ。

    しばらくぶらぶらと過ごした後は次のスポットへ。

  • 目指すはNo.9

    目指すはNo.9

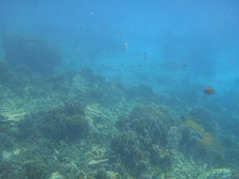
  • No.4から15分ほどのスポットですがここの方がもっと魚がいました。

    No.4から15分ほどのスポットですがここの方がもっと魚がいました。

  • 魚の群れもいました。

    魚の群れもいました。

  • 透明度も先程のスポットより高め。<br />

    透明度も先程のスポットより高め。

  • 密集した魚の群れを見るとうれしくなります。

    密集した魚の群れを見るとうれしくなります。

  • 何匹くらいいるんだろう?

    何匹くらいいるんだろう?

  • まだ波はありますが、泳ぎにくいほどではなかったです。<br />ただ、水温が冷たくて寒い・・・

    まだ波はありますが、泳ぎにくいほどではなかったです。
    ただ、水温が冷たくて寒い・・・

  • 珊瑚はないけど魚はさっきよりは種類がいるのかな?

    珊瑚はないけど魚はさっきよりは種類がいるのかな?

  • 海底までしっかり見えます。

    海底までしっかり見えます。

  • おとぼけがおの魚。

    おとぼけがおの魚。

  • 相変わらず優雅な泳ぎ♪

    相変わらず優雅な泳ぎ♪

  • 仲良く泳いでます。40分ほどの時間がありましたが、20分ほどで体が冷えてしまい、海に戻りたくなくなりました。

    仲良く泳いでます。40分ほどの時間がありましたが、20分ほどで体が冷えてしまい、海に戻りたくなくなりました。

  • 次に向かったのはNo.8。<br /><br />一時間のフリータイムです。雨が降ってるのではなく、シュノーケルでの水滴が。

    次に向かったのはNo.8。

    一時間のフリータイムです。雨が降ってるのではなく、シュノーケルでの水滴が。

  • せかっくなので丘の上まで行ってみることにしました。

    せかっくなので丘の上まで行ってみることにしました。

  • ここからは青い海が一望で来ていい景色。

    ここからは青い海が一望で来ていい景色。

  • 高所恐怖症の人には苦手かもしれない、簡素な板橋。

    高所恐怖症の人には苦手かもしれない、簡素な板橋。

  • 島の上から見渡すアンダマン海、とてもきれい!!

    島の上から見渡すアンダマン海、とてもきれい!!

  • 青のグラデーションが印象的です。

    青のグラデーションが印象的です。

  • 少し日が射してきましたが、晴れてたらもっときれいなんだろうなー。<br />

    少し日が射してきましたが、晴れてたらもっときれいなんだろうなー。

  • 反対側を見ると濃い青が広がっています。

    反対側を見ると濃い青が広がっています。

  • ターコイズから青に変わる海、見ていて飽きません。

    ターコイズから青に変わる海、見ていて飽きません。

  • 濃いターコイズから群青色の青までいろんな色が楽しめました。

    濃いターコイズから群青色の青までいろんな色が楽しめました。

  • ただ5つ星は、評価が甘いんじゃないかなー?<br />世界にはもっとレベルの高いところがあるよ?

    ただ5つ星は、評価が甘いんじゃないかなー?
    世界にはもっとレベルの高いところがあるよ?

  • パウダーサンドはきめが細かくて気持ちがいいので裸足で十分。

    パウダーサンドはきめが細かくて気持ちがいいので裸足で十分。

  • 粒が見えない位、さらさらの砂。<br />シミラン諸島を周って、15時くらいに出発したのにホテルへ戻ったら20時でした。

    粒が見えない位、さらさらの砂。
    シミラン諸島を周って、15時くらいに出発したのにホテルへ戻ったら20時でした。

  • 服を着替えてディナーへ。

    服を着替えてディナーへ。

  • タイ料理を楽しみました。<br /><br />ココナッツジュースにトムヤムスープ、そしてパッガイカプラオ。<br />バジルってガパオかと思ってたらカプラオって書いてありました。<br />

    タイ料理を楽しみました。

    ココナッツジュースにトムヤムスープ、そしてパッガイカプラオ。
    バジルってガパオかと思ってたらカプラオって書いてありました。

  • お友達はエビチャーハン。

    お友達はエビチャーハン。

  • 炒め物やスープはお肉やシーフードの種類が選べるのですが、私は鶏肉にしました。<br />そしてトムヤムスープといえばトムヤムクンが一番有名ですが、エビがだめなのでチキンにしたのに・・・<br />がっつりエビで来てる。<br /><br />変えてもらうこともできるけど、友達はエビ好きな方だしまあいいか。エビを避けていただきました。

    炒め物やスープはお肉やシーフードの種類が選べるのですが、私は鶏肉にしました。
    そしてトムヤムスープといえばトムヤムクンが一番有名ですが、エビがだめなのでチキンにしたのに・・・
    がっつりエビで来てる。

    変えてもらうこともできるけど、友達はエビ好きな方だしまあいいか。エビを避けていただきました。

  • お食事はまあまあおいしかったけど、デザートがイマイチなのがやっぱりタイ・・・<br /><br />頼んだクレームブリュレは想像よりもさらに甘かったです。<br />友達がオーダーしたプロフィットロールも、もはやプチシューでもなんでもなくげんこつサイズのシュークリームがどーんと。<br />上にかかっているチョコも激甘でした。

    お食事はまあまあおいしかったけど、デザートがイマイチなのがやっぱりタイ・・・

    頼んだクレームブリュレは想像よりもさらに甘かったです。
    友達がオーダーしたプロフィットロールも、もはやプチシューでもなんでもなくげんこつサイズのシュークリームがどーんと。
    上にかかっているチョコも激甘でした。

この旅行記のタグ

17いいね!

利用規約に違反している投稿は、報告する事ができます。 問題のある投稿を連絡する

コメントを投稿する前に

十分に確認の上、ご投稿ください。 コメントの内容は攻撃的ではなく、相手の気持ちに寄り添ったものになっていますか?

サイト共通ガイドライン(利用上のお願い)

報道機関・マスメディアの方へ 画像提供などに関するお問い合わせは、専用のお問い合わせフォームからお願いいたします。

旅の計画・記録

マイルに交換できるフォートラベルポイントが貯まる
フォートラベルポイントって?

タイで使うWi-Fiはレンタルしましたか?

フォートラベル GLOBAL WiFiなら
タイ最安 300円/日~

  • 空港で受取・返却可能
  • お得なポイントがたまる

タイの料金プランを見る

フォートラベル公式LINE@

おすすめの旅行記や旬な旅行情報、お得なキャンペーン情報をお届けします!
QRコードが読み取れない場合はID「@4travel」で検索してください。

\その他の公式SNSはこちら/

この旅行記の地図

拡大する

PAGE TOP