奄美大島旅行記(ブログ) 一覧に戻る
LCCを快適に♪第3ターミナルを実際に利用してみたのでご紹介。<br />片道\2980のチケットで弾丸離島旅へGO! <br />雨がふっても楽しい奄美大島♪<br />雨でも奄美の海にはお魚いっぱい珊瑚もいっぱい(^◇^)<br /><br />【 第3ターミナル ここに注意!】<br /><br />*ジェットスター利用の際は、第3ターミナルの保安検査場から<br />  出発ゲートまで移動距離が長く、少なくとも10分は移動時間が必要。<br />    ちなみに・・・<br /> バニラエアーは第3ターミナルの保安検査場の目の前に出発ゲートがある。<br /><br />*第2ターミナルと第3ターミナル等、成田空港のターミナル間を走る<br />「無料ターミナル連絡バス」と有料高速バス<br /> (東京シャトルや各駅・ホテル等を結ぶリムジンバスなど)の<br />  バス停の設置場所が違う<br /><br />*飛行機が成田空港に到着後の、第3ターミナル〜第2ターミナルまで<br />  移動する(無料ターミナル連絡バス)に乗るには長蛇の列。<br />  到着便にあわせ、バスはスタンバイされていない。<br />  ⇒移動通路にもカートが用意してあるので、<br />      徒歩で移動した方が待ち時間のストレスもなく快適<br /><br />*成田空港・第3ターミナルへの到着時も、行きと同じく、<br />  出発ロビー(保安検査場を通過する前)のフロアーに出ます。<br />  そのため、各社、出発便・到着便が重なる時間帯は、<br />  出発ロビー(保安検査場を通過する前)のフロアーは人で混雑します。<br /><br />【第2ターミナル(空港第2ビル・鉄道駅)⇔ 第3ターミナルへの移動<br />                                   (徒歩・無料ターミナル連絡バス】<br /><br />徒歩:空港第2ビル(鉄道駅)の改札を出て、すぐに第3ターミナル<br />      への案内表示。エスカレータで地上に出ると通路に案内表示。<br />      約500mを実際に歩くとスーツケースなしで10分程。<br /> ⇒移動時間が確実にわかるので、出発時間がせまっている方は<br />    徒歩で・・・<br /><br />無料ターミナル連絡バス:「24番のバス乗り場」実際に乗り、<br />   移動してみると道路の込み具合で若干の違いはあると思うが、15分程。<br /> ⇒出発時間に少し余裕のある方は、バス移動でラクラク♪<br /> ⇒飛行機が成田空港に到着後の無料ターミナル連絡バスは、<br />    激混み・バス待ちの長蛇の列。<br /><br />【保安検査場〜各社搭乗口への移動】<br /><br />*実際にジェットスター・バニラエアー両方の出発ゲート(搭乗口)<br />  まで行ってみました(^^ゞ<br /><br />ジェットスター:保安検査場からジェットスターが使用する<br />                出発ゲート(搭乗口)までは移動距離が長い。<br /> ⇒保安検査場を通過してからジェットスターが使用する出発ゲート<br />   (搭乗口)に移動する時間を考慮して、出発ゲート(搭乗口)に<br />    向かうのがオススメ。<br /> ⇒出発ゲート(搭乗口)から飛行機に乗るのに、今までのように<br />    バスでの移動はありません。<br /><br />バニラエアー:保安検査場の目の前に、バニラエアーが使用する<br />     出発ゲート(搭乗口)がある。<br /> ⇒出発ゲート(搭乗口)から飛行機に乗るのに、今までのように<br />     バスでの移動はありません。<br /><br /> *ジェットスターの出発ゲート(搭乗口)の方が広くて、<br />    ソファーも多く明るくて◎。<br />    ジェットスターグッズも売っている売店もあり。喫煙所あり。<br /><br /> *バニラエアーの出発ゲート(搭乗口)は、あまり広くなく<br />    ソファーも少ない。  売店あり。喫煙所あり。<br /><br /><br />【出発ロビー(保安検査場を通過する前)の売店等の様子】<br /><br />*「24時間営業のローソン」<br />  「24時間営業のATM セブン銀行・イオン銀行」「コインロッカー」<br />  「喫煙所」「外貨両替所」「有料高速バス乗車券販売」<br />  「フードコート4:00〜21:00」「お土産・売店」<br /> ⇒第3ターミナルにもひととおりのサービスが揃っています。<br /><br />  <br />実際に利用してみると・・・<br />今までよりも、早めに成田空港へ到着していないと、乗り遅れるかも(&gt;_&lt;)<br /><br />出発と到着が同じフロアーなので、到着時の休憩や飲食はしやすいかな〜。<br />どちらにせよ、お世話になりますLCC(^◇^)<br />

攻略!成田空港 第3ターミナルと雨でも楽しむ奄美大島♪

22いいね!

2015/04/28 - 2015/04/29

573位(同エリア1645件中)

0

35

spanda

spandaさん

LCCを快適に♪第3ターミナルを実際に利用してみたのでご紹介。
片道\2980のチケットで弾丸離島旅へGO! 
雨がふっても楽しい奄美大島♪
雨でも奄美の海にはお魚いっぱい珊瑚もいっぱい(^◇^)

【 第3ターミナル ここに注意!】

*ジェットスター利用の際は、第3ターミナルの保安検査場から
出発ゲートまで移動距離が長く、少なくとも10分は移動時間が必要。
ちなみに・・・
バニラエアーは第3ターミナルの保安検査場の目の前に出発ゲートがある。

*第2ターミナルと第3ターミナル等、成田空港のターミナル間を走る
「無料ターミナル連絡バス」と有料高速バス
(東京シャトルや各駅・ホテル等を結ぶリムジンバスなど)の
バス停の設置場所が違う

*飛行機が成田空港に到着後の、第3ターミナル〜第2ターミナルまで
移動する(無料ターミナル連絡バス)に乗るには長蛇の列。
到着便にあわせ、バスはスタンバイされていない。
  ⇒移動通路にもカートが用意してあるので、
徒歩で移動した方が待ち時間のストレスもなく快適

*成田空港・第3ターミナルへの到着時も、行きと同じく、
出発ロビー(保安検査場を通過する前)のフロアーに出ます。
そのため、各社、出発便・到着便が重なる時間帯は、
出発ロビー(保安検査場を通過する前)のフロアーは人で混雑します。

【第2ターミナル(空港第2ビル・鉄道駅)⇔ 第3ターミナルへの移動
(徒歩・無料ターミナル連絡バス】

徒歩:空港第2ビル(鉄道駅)の改札を出て、すぐに第3ターミナル
への案内表示。エスカレータで地上に出ると通路に案内表示。
約500mを実際に歩くとスーツケースなしで10分程。
 ⇒移動時間が確実にわかるので、出発時間がせまっている方は
徒歩で・・・

無料ターミナル連絡バス:「24番のバス乗り場」実際に乗り、
移動してみると道路の込み具合で若干の違いはあると思うが、15分程。
 ⇒出発時間に少し余裕のある方は、バス移動でラクラク♪
 ⇒飛行機が成田空港に到着後の無料ターミナル連絡バスは、
激混み・バス待ちの長蛇の列。

【保安検査場〜各社搭乗口への移動】

*実際にジェットスター・バニラエアー両方の出発ゲート(搭乗口)
まで行ってみました(^^ゞ

ジェットスター:保安検査場からジェットスターが使用する
出発ゲート(搭乗口)までは移動距離が長い。
 ⇒保安検査場を通過してからジェットスターが使用する出発ゲート
(搭乗口)に移動する時間を考慮して、出発ゲート(搭乗口)に
向かうのがオススメ。
 ⇒出発ゲート(搭乗口)から飛行機に乗るのに、今までのように
バスでの移動はありません。

バニラエアー:保安検査場の目の前に、バニラエアーが使用する
出発ゲート(搭乗口)がある。
 ⇒出発ゲート(搭乗口)から飛行機に乗るのに、今までのように
バスでの移動はありません。

 *ジェットスターの出発ゲート(搭乗口)の方が広くて、
ソファーも多く明るくて◎。
ジェットスターグッズも売っている売店もあり。喫煙所あり。

 *バニラエアーの出発ゲート(搭乗口)は、あまり広くなく
ソファーも少ない。 売店あり。喫煙所あり。


【出発ロビー(保安検査場を通過する前)の売店等の様子】

*「24時間営業のローソン」
「24時間営業のATM セブン銀行・イオン銀行」「コインロッカー」
「喫煙所」「外貨両替所」「有料高速バス乗車券販売」
「フードコート4:00〜21:00」「お土産・売店」
 ⇒第3ターミナルにもひととおりのサービスが揃っています。

  
実際に利用してみると・・・
今までよりも、早めに成田空港へ到着していないと、乗り遅れるかも(>_<)

出発と到着が同じフロアーなので、到着時の休憩や飲食はしやすいかな〜。
どちらにせよ、お世話になりますLCC(^◇^)

旅行の満足度
5.0
観光
5.0
ホテル
5.0
グルメ
5.0
ショッピング
5.0
同行者
友人
一人あたり費用
1万円 - 3万円
交通手段
自家用車 徒歩 バニラエア
旅行の手配内容
個別手配
  • 【第3ターミナル】<br /><br />バニラエアーで出発!

    【第3ターミナル】

    バニラエアーで出発!

  • 【雨でも楽しむ〜♪】<br /><br />奇麗な海で見られる<br />紫色のエダサンゴ♪<br /><br />かわいいデバスズメさんも〜

    【雨でも楽しむ〜♪】

    奇麗な海で見られる
    紫色のエダサンゴ♪

    かわいいデバスズメさんも〜

  • 【攻略!第3ターミナル①】<br /><br />鉄道駅の「空港第2ビル駅」の改札を出て、<br />エスカレーターを上がると・・・<br /><br />こちらへ出ます。<br /><br />地面に引かれているラインに沿って進むと・・・<br />10分程で第3ターミナルへ到着。<br /><br />駅の改札から時間をはかると・・・<br />20分は必要かな~

    【攻略!第3ターミナル①】

    鉄道駅の「空港第2ビル駅」の改札を出て、
    エスカレーターを上がると・・・

    こちらへ出ます。

    地面に引かれているラインに沿って進むと・・・
    10分程で第3ターミナルへ到着。

    駅の改札から時間をはかると・・・
    20分は必要かな~

  • 【攻略!第3ターミナル②】<br /><br />荷物が多い、お子さんがいる、歩きたくない<br />方は、「24番のバス停」から・・・<br /><br />「無料ターミナル連絡バス」へ。<br /><br />実際に乗り、移動してみると道路の込み具合で<br />若干の違いはあると思うが、15分程。

    【攻略!第3ターミナル②】

    荷物が多い、お子さんがいる、歩きたくない
    方は、「24番のバス停」から・・・

    「無料ターミナル連絡バス」へ。

    実際に乗り、移動してみると道路の込み具合で
    若干の違いはあると思うが、15分程。

  • 【攻略!第3ターミナル③】<br /><br />国際線を含め、LCC4社のカウンター。<br /><br />出発する人・到着した人が混在するフロアーなので、<br />時間帯によってはこみこみに(&gt;_&lt;)<br /><br />時間に余裕を持って空港に到着した方がよさそう

    【攻略!第3ターミナル③】

    国際線を含め、LCC4社のカウンター。

    出発する人・到着した人が混在するフロアーなので、
    時間帯によってはこみこみに(>_<)

    時間に余裕を持って空港に到着した方がよさそう

  • 【攻略!第3ターミナル④】<br /><br />「フードコート」<br /><br />出発前の腹ごしらえ。<br /><br />到着後の休憩に・・・<br /><br />美味しい物揃ってます(^◇^)<br />

    【攻略!第3ターミナル④】

    「フードコート」

    出発前の腹ごしらえ。

    到着後の休憩に・・・

    美味しい物揃ってます(^◇^)

  • 【攻略!第3ターミナル⑤】<br /><br />出発前に、讃岐うどんをパクパク♪<br />¥330<br /><br />早めに保安検査場を通過して・・・<br /><br />次回に備えて、ジェットスターの搭乗口も<br />見学してこよ~!

    【攻略!第3ターミナル⑤】

    出発前に、讃岐うどんをパクパク♪
    ¥330

    早めに保安検査場を通過して・・・

    次回に備えて、ジェットスターの搭乗口も
    見学してこよ~!

  • 【攻略!第3ターミナル⑥】<br /><br />まずは、ジェットスター。<br /><br />今までのようにバスに乗る必要は<br />なくなりました。<br /><br />搭乗口から徒歩で屋根付きの通路を通り<br />タラップ階段をのぼり、機内へ。<br />

    【攻略!第3ターミナル⑥】

    まずは、ジェットスター。

    今までのようにバスに乗る必要は
    なくなりました。

    搭乗口から徒歩で屋根付きの通路を通り
    タラップ階段をのぼり、機内へ。

  • 【攻略!第3ターミナル⑦】<br /><br />こちらは「ジェットスター」の搭乗口。<br /><br />保安検査場から、ここまでくるのに10分近く<br />かかります。<br /><br />乗り遅れ、注意です!!<br />

    【攻略!第3ターミナル⑦】

    こちらは「ジェットスター」の搭乗口。

    保安検査場から、ここまでくるのに10分近く
    かかります。

    乗り遅れ、注意です!!

  • 【攻略!第3ターミナル⑧】<br /><br />こちらは「バニラエアー」

    【攻略!第3ターミナル⑧】

    こちらは「バニラエアー」

  • 【攻略!第3ターミナル⑨】<br /><br />「バニラエアー」の搭乗口。<br /><br />保安検査場の目の前です。<br /><br />ジェットスターの搭乗口より、はるかに近い。<br /><br />しかし、狭い。

    【攻略!第3ターミナル⑨】

    「バニラエアー」の搭乗口。

    保安検査場の目の前です。

    ジェットスターの搭乗口より、はるかに近い。

    しかし、狭い。

  • 【奄美大島】<br /><br />バニラエアー・夏ダイヤになり、<br />奄美大島への到着が午後4時頃。<br /><br />なんか、時間がもったいないな〜<br />せめて昼頃、到着すればよいのに〜<br /><br />で、とりあえず、ホテル「コーラルパームス」の<br />目の前のビーチへお散歩開始。<br /><br />「土盛り海岸」も徒歩可。

    【奄美大島】

    バニラエアー・夏ダイヤになり、
    奄美大島への到着が午後4時頃。

    なんか、時間がもったいないな〜
    せめて昼頃、到着すればよいのに〜

    で、とりあえず、ホテル「コーラルパームス」の
    目の前のビーチへお散歩開始。

    「土盛り海岸」も徒歩可。

  • 【ホテル「コーラルパームス」】<br /><br />プールでもビーチでも<br />チャプチャプあそべます〜♪<br /><br />オリオンビールで乾杯!<br />もできます〜<br /><br />鹿児島県ですが、ホテルの自動販売機は<br />オリオンビールです〜

    【ホテル「コーラルパームス」】

    プールでもビーチでも
    チャプチャプあそべます〜♪

    オリオンビールで乾杯!
    もできます〜

    鹿児島県ですが、ホテルの自動販売機は
    オリオンビールです〜

  • 【お散歩・・・】<br /><br />空港まで、ホテルの車でお迎えにきてもらい<br />ホテルに着いたら、自然満喫のお散歩。<br /><br />この花?葉っぱ?<br />葉っぱに絵の具で塗ったような<br />花びら???

    【お散歩・・・】

    空港まで、ホテルの車でお迎えにきてもらい
    ホテルに着いたら、自然満喫のお散歩。

    この花?葉っぱ?
    葉っぱに絵の具で塗ったような
    花びら???

  • 【お散歩・・・】<br /><br />海も良いけど、新緑も!<br /><br />手つかずの自然が残る奄美の良さ♪

    【お散歩・・・】

    海も良いけど、新緑も!

    手つかずの自然が残る奄美の良さ♪

  • 【2日目は弾丸〜】<br /><br />ホテルの朝食。<br /><br />朝はしっかり、いただきます(^◇^)

    【2日目は弾丸〜】

    ホテルの朝食。

    朝はしっかり、いただきます(^◇^)

  • 美味しそうだな〜<br /><br />食事処の水槽に佇んでいた<br />ぞうりえび<br /><br />海の中でお会いしましょう(^◇^)<br />

    美味しそうだな〜

    食事処の水槽に佇んでいた
    ぞうりえび

    海の中でお会いしましょう(^◇^)

  • 【雨の離島の楽しみ方♪】<br /><br />朝から雨降り。どうせ雨でぬれるなら・・・<br /><br />海の中に入るレジャーを楽しもう!<br /><br />雨の日でも、海の中にはお魚さんがいっぱい。<br /><br />ホテル1Fの「海風」さんにお願いします。<br />1日コースで奄美の海を楽しみ、フライトぎりぎりに<br />空港に到着し、成田へ帰ります。<br /><br />弾丸旅のスタート(^◇^)

    【雨の離島の楽しみ方♪】

    朝から雨降り。どうせ雨でぬれるなら・・・

    海の中に入るレジャーを楽しもう!

    雨の日でも、海の中にはお魚さんがいっぱい。

    ホテル1Fの「海風」さんにお願いします。
    1日コースで奄美の海を楽しみ、フライトぎりぎりに
    空港に到着し、成田へ帰ります。

    弾丸旅のスタート(^◇^)

  • 【奄美大島の海①】<br /><br />同じように、雨の日なら海の中へ・・・<br />の方たちとワイワイ、シュノーケリングへ♪<br /><br />ふわふわのソフトコーラル。<br />

    【奄美大島の海①】

    同じように、雨の日なら海の中へ・・・
    の方たちとワイワイ、シュノーケリングへ♪

    ふわふわのソフトコーラル。

  • 【奄美大島の海②】<br /><br />わっ、ちょっとニゴ。<br /><br />でも、ニモ(クマノミ)発見!<br /><br />テンションあがる~(^◇^)

    【奄美大島の海②】

    わっ、ちょっとニゴ。

    でも、ニモ(クマノミ)発見!

    テンションあがる~(^◇^)

  • 【奄美大島の海③】<br /><br />まって、まって。<br /><br />ニモを撮影するのに、何回シャッターを<br />押したでしょう(^^ゞ

    【奄美大島の海③】

    まって、まって。

    ニモを撮影するのに、何回シャッターを
    押したでしょう(^^ゞ

  • 【奄美大島の海④】<br /><br />お日様で出ていたら、もっとクリアーなのに。<br /><br />それでも地上よりは美しい

    【奄美大島の海④】

    お日様で出ていたら、もっとクリアーなのに。

    それでも地上よりは美しい

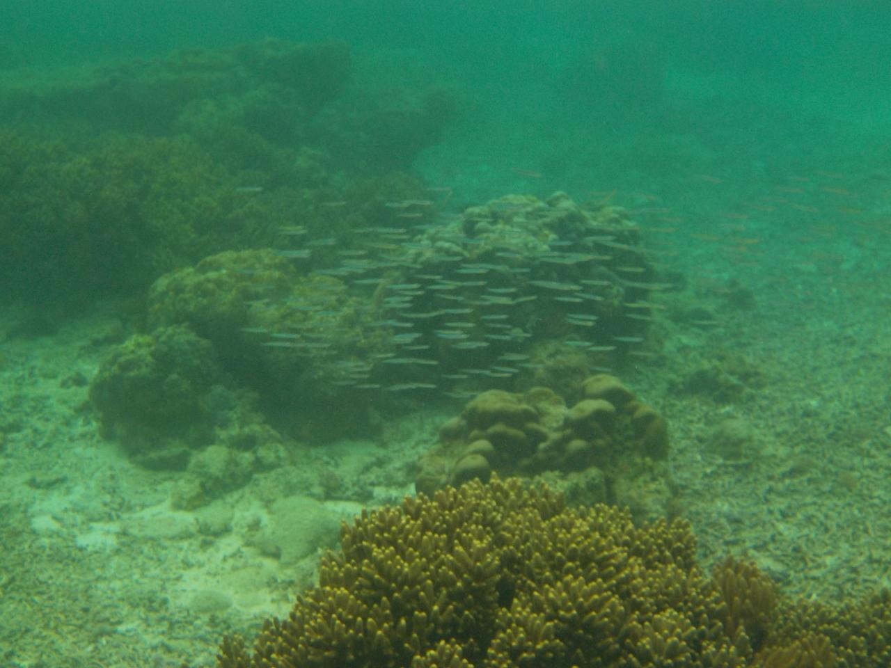
  • 【奄美大島の海⑤】<br /><br />きびなご さんの群れかな~<br /><br />いろんな魚に囲まれます。

    【奄美大島の海⑤】

    きびなご さんの群れかな~

    いろんな魚に囲まれます。

  • 【ランチ】<br /><br />ホテルに戻り、ランチ。<br /><br />午後は何処へ連れ行ってくれるんだろう♪<br /><br />小学生のこどもでも<br />ホテルのショップ「海風」さんへお願いすれば<br />楽しく「シュノーケリング」できちゃいます。<br /><br />雨の日もオススメ(^◇^)

    【ランチ】

    ホテルに戻り、ランチ。

    午後は何処へ連れ行ってくれるんだろう♪

    小学生のこどもでも
    ホテルのショップ「海風」さんへお願いすれば
    楽しく「シュノーケリング」できちゃいます。

    雨の日もオススメ(^◇^)

  • 【奄美大島の海⑥】<br /><br />午後、一番に海に入ると「ウミガメ」さん。<br /><br />奄美の海。すごい!<br /><br />続いて・・・

    【奄美大島の海⑥】

    午後、一番に海に入ると「ウミガメ」さん。

    奄美の海。すごい!

    続いて・・・

  • 【奄美大島の海⑦】<br /><br />エダサンゴにデバスズメダイ。<br /><br />シュノーケリングでプクプク。<br />癒される~<br />

    【奄美大島の海⑦】

    エダサンゴにデバスズメダイ。

    シュノーケリングでプクプク。
    癒される~

  • 【奄美大島の海⑧】<br /><br />ビーチからチャプチャプ、進むと・・・<br />こんな景色に出会えます。<br /><br />ボートで遠くまで行かなくても、<br />珊瑚や魚が・・・<br /><br />奄美の海に感謝。<br />

    【奄美大島の海⑧】

    ビーチからチャプチャプ、進むと・・・
    こんな景色に出会えます。

    ボートで遠くまで行かなくても、
    珊瑚や魚が・・・

    奄美の海に感謝。

  • 【奄美大島の海⑨】<br /><br />ミスジリュウキュウスズメダイ<br /><br />白黒のしましま。<br />こいつもカワイイ。

    【奄美大島の海⑨】

    ミスジリュウキュウスズメダイ

    白黒のしましま。
    こいつもカワイイ。

  • 【奄美大島の海⑩】<br /><br />いろんなサンゴにカラフルなお魚。<br />

    【奄美大島の海⑩】

    いろんなサンゴにカラフルなお魚。

  • 【奄美大島の海⑪】<br /><br />あっ!カラフルな模様の<br />「モンガラカワハギ」さん。<br /><br />次は何が出る~

    【奄美大島の海⑪】

    あっ!カラフルな模様の
    「モンガラカワハギ」さん。

    次は何が出る~

  • 【奄美大島の海⑫】<br /><br />おっ!!<br /><br />元気な珊瑚がある証拠<br /><br />カラフルな「テングカワハギ」さんも<br />発見(^◇^)

    【奄美大島の海⑫】

    おっ!!

    元気な珊瑚がある証拠

    カラフルな「テングカワハギ」さんも
    発見(^◇^)

  • 【奄美大島の海⑫】<br /><br />ラストは、はじめに会った、亀さんより<br />小さい亀さんに見送られ・・・<br /><br />きゃ~<br />遊びすぎた~<br /><br />フライト時間がせまってくる~

    【奄美大島の海⑫】

    ラストは、はじめに会った、亀さんより
    小さい亀さんに見送られ・・・

    きゃ~
    遊びすぎた~

    フライト時間がせまってくる~

  • 【コーラルパームス・海風】<br /><br />3時頃、ホテルのショップに到着。<br /><br />天気が良い時は、白いイスのある<br />サンデッキでおしゃべりして、まったりして・・・<br /><br />なんていっている場合ではない。<br /><br />時間、時間・・・

    【コーラルパームス・海風】

    3時頃、ホテルのショップに到着。

    天気が良い時は、白いイスのある
    サンデッキでおしゃべりして、まったりして・・・

    なんていっている場合ではない。

    時間、時間・・・

  • 【コーラルパームス・海風】<br /><br />屋外のシャワー室&更衣室で潮水を流し<br />さっぱり。<br /><br />ボディーソープ、リンスインシャンプー常備。<br /><br />急いで、急いで・・・

    【コーラルパームス・海風】

    屋外のシャワー室&更衣室で潮水を流し
    さっぱり。

    ボディーソープ、リンスインシャンプー常備。

    急いで、急いで・・・

  • 【奄美大島 発】<br /><br />16:45発の成田空港行き<br /><br />ショップの車で空港まで送ってもらい、<br />保安検査場を通過し、セーフ。<br /><br />ぎりぎりまで海で遊ぶこともできちゃいます。<br /><br /><br />いよいよ、来月は石垣島と慶良間諸島へ(^◇^)<br />台風、大丈夫かな〜。

    【奄美大島 発】

    16:45発の成田空港行き

    ショップの車で空港まで送ってもらい、
    保安検査場を通過し、セーフ。

    ぎりぎりまで海で遊ぶこともできちゃいます。


    いよいよ、来月は石垣島と慶良間諸島へ(^◇^)
    台風、大丈夫かな〜。

この旅行記のタグ

22いいね!

利用規約に違反している投稿は、報告する事ができます。 問題のある投稿を連絡する

コメントを投稿する前に

十分に確認の上、ご投稿ください。 コメントの内容は攻撃的ではなく、相手の気持ちに寄り添ったものになっていますか?

サイト共通ガイドライン(利用上のお願い)

報道機関・マスメディアの方へ 画像提供などに関するお問い合わせは、専用のお問い合わせフォームからお願いいたします。

旅の計画・記録

マイルに交換できるフォートラベルポイントが貯まる
フォートラベルポイントって?

フォートラベル公式LINE@

おすすめの旅行記や旬な旅行情報、お得なキャンペーン情報をお届けします!
QRコードが読み取れない場合はID「@4travel」で検索してください。

\その他の公式SNSはこちら/

タグから国内旅行記(ブログ)を探す

価格.com旅行・トラベルホテル・旅館を比較

PAGE TOP