西表島旅行記(ブログ) 一覧に戻る
自然 生き物大好き<br />50代夫婦の西表島旅行<br />4泊5日 前泊合わせると5泊6日 <br /><br />昨年梅雨の時期に行った西表島<br />最高に楽しかったけど<br />青空には会えず<br />海の青さにも <br />朝日 夕日 星空にも会えなかった<br />晴天の西表島に行きたいぞ!<br />そして 前回これも見れなかった<br />6月末から7月中旬くらいにしか咲かない<br />サガリバナをみたい<br /><br />また私プロデュース <br />アクティビティ三昧です<br /><br />1日目<br />前半は移動<br />西表島ホテル再来<br />レンタルサイクルにて<br />星の砂へ移動<br />レストハウス星の砂でお昼ご飯<br />星の砂海外でシュノーケル<br />夜は一隼<br />月が浜で夕陽をながめ<br />ナイトツアー参加<br />また詰め込みます<br />ごめんなさいまた写真沢です

リベンジ 梅雨明けの西表島2024 1日目

57いいね!

2024/06/30 - 2024/06/30

151位(同エリア2192件中)

旅行記グループ 2024西表島旅行

0

176

ちゅっち

ちゅっちさん

この旅行記のスケジュール

2024/06/30

この旅行記スケジュールを元に

自然 生き物大好き
50代夫婦の西表島旅行
4泊5日 前泊合わせると5泊6日 

昨年梅雨の時期に行った西表島
最高に楽しかったけど
青空には会えず
海の青さにも 
朝日 夕日 星空にも会えなかった
晴天の西表島に行きたいぞ!
そして 前回これも見れなかった
6月末から7月中旬くらいにしか咲かない
サガリバナをみたい

また私プロデュース 
アクティビティ三昧です

1日目
前半は移動
西表島ホテル再来
レンタルサイクルにて
星の砂へ移動
レストハウス星の砂でお昼ご飯
星の砂海外でシュノーケル
夜は一隼
月が浜で夕陽をながめ
ナイトツアー参加
また詰め込みます
ごめんなさいまた写真沢です

  • おはようございます<br />東横イン羽田第Ⅱ泊<br />窓からの景色 <br />最下層2階なので 道路すぐ!<br />カーテンは開けられませんね<br />東京は曇り<br />4:30起床

    おはようございます
    東横イン羽田第Ⅱ泊
    窓からの景色 
    最下層2階なので 道路すぐ!
    カーテンは開けられませんね
    東京は曇り
    4:30起床

    東横イン羽田空港1 宿・ホテル

  • 梅雨明けの晴天を望むリベンジ旅行<br />今回の旅行は昨年とはうってかわり<br />心配してた台風も来てないし<br />晴れマークが続きます<br />やったー

    梅雨明けの晴天を望むリベンジ旅行
    今回の旅行は昨年とはうってかわり
    心配してた台風も来てないし
    晴れマークが続きます
    やったー

  • 東横イン羽田空港<br />の良いところは<br />羽田空港までバス送迎が早朝からある事<br />15分ごとに<br />お隣の第Ⅰから出ます<br /><br />

    東横イン羽田空港
    の良いところは
    羽田空港までバス送迎が早朝からある事
    15分ごとに
    お隣の第Ⅰから出ます

  • お世話になります<br />5:00発に乗りました<br />そこそこの乗車率<br />スーツケース置きもあり<br />運転手さんがさっと固定してくれます<br />

    お世話になります
    5:00発に乗りました
    そこそこの乗車率
    スーツケース置きもあり
    運転手さんがさっと固定してくれます

  • JAL利用なので<br />約20分で第1ターミナル<br />南ウィング到着<br />自動チェックイン機にQRコード読ませ<br />タッチアンドゴーでチェックイン<br />無事保安場も通過<br />羽田は<br />鞄からタブレットなども出さないで<br />通れるようになったのね!<br /><br />

    JAL利用なので
    約20分で第1ターミナル
    南ウィング到着
    自動チェックイン機にQRコード読ませ
    タッチアンドゴーでチェックイン
    無事保安場も通過
    羽田は
    鞄からタブレットなども出さないで
    通れるようになったのね!

    羽田空港 第1旅客ターミナル 空港

  • 当日クラスアップで<br />クラスJに¥3,000-/人<br />6:45発 カードラウンジは6:00から<br />昨年はそこに行ったら<br />時間的にバタバタしてしまったので<br />今年は大人しくソファーで待っていました

    当日クラスアップで
    クラスJに¥3,000-/人
    6:45発 カードラウンジは6:00から
    昨年はそこに行ったら
    時間的にバタバタしてしまったので
    今年は大人しくソファーで待っていました

  • この子に乗ります

    この子に乗ります

  • 6番ゲート<br />JALのクラスJは席が広いだけで<br />搭乗の優先も<br />機内食 お酒もないです

    6番ゲート
    JALのクラスJは席が広いだけで
    搭乗の優先も
    機内食 お酒もないです

  • 1K 1J 座席がゆったり広く<br />乗り降りが早くできるのが利点<br />ドリンクの提供も言えば何回でもくれます<br />クラスJは空席が目立ちました<br />

    1K 1J 座席がゆったり広く
    乗り降りが早くできるのが利点
    ドリンクの提供も言えば何回でもくれます
    クラスJは空席が目立ちました

  • 羽に西表山猫?

    羽に西表山猫?

  • 無事定刻に出発<br />

    無事定刻に出発

  • 石垣空港に向けて

    石垣空港に向けて

  • 途中は海しか見えず写真なし<br />見えてきました!<br />石垣島!青い海に<br />ワクワクです

    途中は海しか見えず写真なし
    見えてきました!
    石垣島!青い海に
    ワクワクです

  • 着陸間近<br />飛行機の影と石垣ブルー<br />お天気重要<br />青空が無いと<br />このブルーは見れないですから!

    着陸間近
    飛行機の影と石垣ブルー
    お天気重要
    青空が無いと
    このブルーは見れないですから!

  • 石垣空港に着陸<br />良いお天気

    石垣空港に着陸
    良いお天気

    新石垣空港 (南ぬ島石垣空港) 空港

  • 18分も早く到着<br />昨年と飛行機の時間は一緒なのに <br />石垣から西表にわたるフェリーが減便され<br />昨年より30分早い11:00発なってしまい<br />間に合うか<br />ヤキモキしていたので良かった!

    18分も早く到着
    昨年と飛行機の時間は一緒なのに 
    石垣から西表にわたるフェリーが減便され
    昨年より30分早い11:00発なってしまい
    間に合うか
    ヤキモキしていたので良かった!

  • 飛行機を降り <br />移動通路に出た途端 暑っ<br />石垣でのフェリーの時間心配で<br />荷物 機内持ち込みしたので<br />すぐに空港ロビーに出れました<br />お決まりのスポット1

    飛行機を降り 
    移動通路に出た途端 暑っ
    石垣でのフェリーの時間心配で
    荷物 機内持ち込みしたので
    すぐに空港ロビーに出れました
    お決まりのスポット1

  • お決まりのスポット2<br />石垣空港に来たぞとワクワクします<br />

    お決まりのスポット2
    石垣空港に来たぞとワクワクします

  • 空港のスターバックスへ<br />主人の友人がスタバのスタンプ集めてるらしく<br />カードを持たされ購入してくれと<br />時間ないんだから辞めてよ<br />と思っていましたが<br />しょうがない <br />早く着いたし買ってきていいよ

    空港のスターバックスへ
    主人の友人がスタバのスタンプ集めてるらしく
    カードを持たされ購入してくれと
    時間ないんだから辞めてよ
    と思っていましたが
    しょうがない 
    早く着いたし買ってきていいよ

  • 石垣空港から石垣港へ<br />タクシーで行っちゃいます<br />¥3,400-<br />昨年より高い<br />高くなったのか?ぼられたか?<br />いやちゃんと?値上がりしてしまったようです<br />¥500-くらい値上がり!?

    石垣空港から石垣港へ
    タクシーで行っちゃいます
    ¥3,400-
    昨年より高い
    高くなったのか?ぼられたか?
    いやちゃんと?値上がりしてしまったようです
    ¥500-くらい値上がり!?

  • 10:05くらいに到着 約20分<br />石垣港離島ターミナル到着

    10:05くらいに到着 約20分
    石垣港離島ターミナル到着

    石垣港離島ターミナル 乗り物

  • 八重山フェリーでいきます<br />飛行機の遅れでバタバタしないよう<br />チケットは事前にネット購入しておきました<br />本日 高速船は全便運行!<br />良かった<br />

    八重山フェリーでいきます
    飛行機の遅れでバタバタしないよう
    チケットは事前にネット購入しておきました
    本日 高速船は全便運行!
    良かった

  • 早く着いたので<br />やった!今年も飲める<br />マリヤシェーク

    早く着いたので
    やった!今年も飲める
    マリヤシェーク

  • 何にしようかな

    何にしようかな

  • ノーマルwithマンゴー<br />と<br />コーヒーwithシナモン<br />この2つが私のお勧め!<br />さっぱり優しいミルキーな味<br />そうこれこれ

    ノーマルwithマンゴー

    コーヒーwithシナモン
    この2つが私のお勧め!
    さっぱり優しいミルキーな味
    そうこれこれ

  • まだ時間がある!<br />次はブルーシール<br />紅芋 バニラミックス<br />マリアシェークとは反対に<br />濃厚などっしりリッチな味わい<br />どちらも捨てがたい って<br />捨てずに両方食べてしまいましたが<br />

    まだ時間がある!
    次はブルーシール
    紅芋 バニラミックス
    マリアシェークとは反対に
    濃厚などっしりリッチな味わい
    どちらも捨てがたい って
    捨てずに両方食べてしまいましたが

  • ここで 酔い止め薬も飲んでおきます<br />今日はお天気穏やかで揺れなそうですが念のため<br />船乗場に続く扉<br />

    ここで 酔い止め薬も飲んでおきます
    今日はお天気穏やかで揺れなそうですが念のため
    船乗場に続く扉

  • 今回は行きに具志堅さんに会えました<br />真夏の陽射しが刺さる<br />太陽光 紫外線は内地の5~7倍?だそうです

    今回は行きに具志堅さんに会えました
    真夏の陽射しが刺さる
    太陽光 紫外線は内地の5~7倍?だそうです

    具志堅用高モニュメント 名所・史跡

  • 八重山観光フェリー乗り場<br />3と4番<br />主人がタイミング悪くトイレに行っている間に<br />長い列 

    八重山観光フェリー乗り場
    3と4番
    主人がタイミング悪くトイレに行っている間に
    長い列 

    八重山観光フェリー 乗り物

  • 小さなちゅらさん号です<br />西表島に行く大体の便は<br />安栄観光と この八重山観光フェリーが<br />同時間に出航しますが<br />11:00便は八重山フェリーのみ<br />これに乗れると<br />初日も午後から半日<br />西表島を堪能できます

    小さなちゅらさん号です
    西表島に行く大体の便は
    安栄観光と この八重山観光フェリーが
    同時間に出航しますが
    11:00便は八重山フェリーのみ
    これに乗れると
    初日も午後から半日
    西表島を堪能できます

  • 八重山フェリーからのメールから<br />電子チケットをスマホに表示して<br />船に乗る時に<br />船員さんの前で使用するを押します<br />このスクショは<br />帰りのチケットを使用した後の画面です

    八重山フェリーからのメールから
    電子チケットをスマホに表示して
    船に乗る時に
    船員さんの前で使用するを押します
    このスクショは
    帰りのチケットを使用した後の画面です

  • 行ってきます<br />さよなら石垣島

    行ってきます
    さよなら石垣島

  • 出遅れて<br />前方の船室は満員<br />後方のデッキ?席左の最後尾席<br />前の方が揺れるから後方座席がお勧めだし<br />船室は冷房が強いから<br />まあいいか?と思ったら<br />デッキ室内は冷房なし 窓を開けて自然風<br />椅子は硬いベンチシート<br />風が気持ちいい<br />と 出発間際は良かったけど<br />エンジンが真下にあるようで<br />足元がめちゃくちゃ ホット( ;´Д`)<br />寝汗をグッショリかきました<br />それでも寝てたんですが<br />やっぱりちゃんとした船室がおすすめです<br />

    出遅れて
    前方の船室は満員
    後方のデッキ?席左の最後尾席
    前の方が揺れるから後方座席がお勧めだし
    船室は冷房が強いから
    まあいいか?と思ったら
    デッキ室内は冷房なし 窓を開けて自然風
    椅子は硬いベンチシート
    風が気持ちいい
    と 出発間際は良かったけど
    エンジンが真下にあるようで
    足元がめちゃくちゃ ホット( ;´Д`)
    寝汗をグッショリかきました
    それでも寝てたんですが
    やっぱりちゃんとした船室がおすすめです

  • 見えて来ました 西表島!<br />ピナイサーラの滝見えるかな?<br />雨量が少ないせいか分からなかった<br />それにしても暑い

    見えて来ました 西表島!
    ピナイサーラの滝見えるかな?
    雨量が少ないせいか分からなかった
    それにしても暑い

  • 西表島上原港到着<br />1時間かからない位でした<br />うわー熱気が半端ない<br />帰りの人の列とちゅらさん号<br />

    西表島上原港到着
    1時間かからない位でした
    うわー熱気が半端ない
    帰りの人の列とちゅらさん号

    デンサーターミナル (上原港) 乗り物

  • 本日からのお宿<br />星野リゾート 西表島ホテルのスタッフさんが<br />プラカードを持って迎えてくれ<br />名前を告げチェックを受けます<br />お迎えのバスに向かいます

    本日からのお宿
    星野リゾート 西表島ホテルのスタッフさんが
    プラカードを持って迎えてくれ
    名前を告げチェックを受けます
    お迎えのバスに向かいます

  • 立派で綺麗なバス

    立派で綺麗なバス

  • とっとと折り返して石垣島に行く<br />ちゅらさん号が出航<br />働きものです

    とっとと折り返して石垣島に行く
    ちゅらさん号が出航
    働きものです

  • バスの中でチェックインの用紙を記入しながら<br />ホテルの過ごし方 エコツーリズムの説明を受けます<br />アメニティはロビーでもらい<br />ペットボトルは販売なし<br />ウォーターボトルが借りれ<br />ロビーのラウンジの飲み物は24時間フリー<br />水を含めてそこから貰える<br />部屋はタオル交換、ゴミの回収のみで<br />お掃除は基本なし<br />3泊以上で途中お掃除してくれます<br />4トラでお風呂掃除がされてない と<br />怒りの投稿されていた方がいましたが<br />ちゃんと説明せれてましたし<br />HP などにも記載されてましたよ<br />確かにお値段の割に掃除がないのは残念ですが<br />ホテルの規模に対して<br />スタッフ不足みたいだし <br />昨今働き方改革でどこもカツカツですよね

    バスの中でチェックインの用紙を記入しながら
    ホテルの過ごし方 エコツーリズムの説明を受けます
    アメニティはロビーでもらい
    ペットボトルは販売なし
    ウォーターボトルが借りれ
    ロビーのラウンジの飲み物は24時間フリー
    水を含めてそこから貰える
    部屋はタオル交換、ゴミの回収のみで
    お掃除は基本なし
    3泊以上で途中お掃除してくれます
    4トラでお風呂掃除がされてない と
    怒りの投稿されていた方がいましたが
    ちゃんと説明せれてましたし
    HP などにも記載されてましたよ
    確かにお値段の割に掃除がないのは残念ですが
    ホテルの規模に対して
    スタッフ不足みたいだし 
    昨今働き方改革でどこもカツカツですよね

  • 10分くらいで見えてきました<br />月が浜にある 西表島ホテル

    10分くらいで見えてきました
    月が浜にある 西表島ホテル

  • ただいま!<br />ってまだ2回目だけど

    ただいま!
    ってまだ2回目だけど

    西表島ホテル by 星野リゾート 宿・ホテル

  • イリオモテヤマネコマークが可愛いくて大好き

    イリオモテヤマネコマークが可愛いくて大好き

    西表島ホテル by 星野リゾート 宿・ホテル

  • エントランス

    エントランス

  • ようこそ<br />西表島ホテルへ(笑)

    ようこそ
    西表島ホテルへ(笑)

  • 2重扉

    2重扉

  • 吹き抜けの明るいロビー

    吹き抜けの明るいロビー

  • フロント<br />受付のみします<br />チェックインは15:00です

    フロント
    受付のみします
    チェックインは15:00です

  • フロント前スペース

    フロント前スペース

  • ラウンジ横のドリンクコーナ<br />上の2つ<br />このガバァジュース濃厚で美味しい<br />さんぴん茶<br />この2つは日中のみ <br />他は24時間フリー<br />コーヒーマシーンと<br />お茶4種のティーパック<br />氷もここにあります<br />残念なのがミルク類がないこと<br />ミルクティー愛飲者の私にはかなり悲しいです<br />ま数日我慢すればいい事ですが<br />ウエルカムドリンクをいただき

    ラウンジ横のドリンクコーナ
    上の2つ
    このガバァジュース濃厚で美味しい
    さんぴん茶
    この2つは日中のみ 
    他は24時間フリー
    コーヒーマシーンと
    お茶4種のティーパック
    氷もここにあります
    残念なのがミルク類がないこと
    ミルクティー愛飲者の私にはかなり悲しいです
    ま数日我慢すればいい事ですが
    ウエルカムドリンクをいただき

  • フロント脇の自動ドアのすぐ奥にある<br />シャワールームのあるお部屋で<br />水着に着替えて出発!<br />広くてスーツケース広げても余裕<br />そしてだいたい空いてる

    フロント脇の自動ドアのすぐ奥にある
    シャワールームのあるお部屋で
    水着に着替えて出発!
    広くてスーツケース広げても余裕
    そしてだいたい空いてる

  • タオルも借りれます

    タオルも借りれます

  • フロントでは荷物預かりなく<br />フロントの前の荷物置き場に<br />タグをつけてここにおきっぱなしにする<br />ちょっと都会だったら物騒な気がするけど…<br />右の方には鍵のかかるロッカーがあり<br />貴重品は入れられるようにはなっています<br />に 荷物を置いて<br />

    フロントでは荷物預かりなく
    フロントの前の荷物置き場に
    タグをつけてここにおきっぱなしにする
    ちょっと都会だったら物騒な気がするけど…
    右の方には鍵のかかるロッカーがあり
    貴重品は入れられるようにはなっています
    に 荷物を置いて

  • アクテビティデスク<br />ネット予約しておいた <br />電動自転車4時間 ¥1,500-/人<br />を借りる為 必要書類を書き<br />シュノーケルセット ¥2,000-  も借りて<br />

    アクテビティデスク
    ネット予約しておいた 
    電動自転車4時間 ¥1,500-/人
    を借りる為 必要書類を書き
    シュノーケルセット ¥2,000- も借りて

  • 自転車置き場に<br />スタッフさんが用意してくれます

    自転車置き場に
    スタッフさんが用意してくれます

  • さあ出発 星の砂浜に行きます<br />只今13:00

    さあ出発 星の砂浜に行きます
    只今13:00

  • 今回のサブバック<br />バケツ型トート<br />とポーチにショルダーコードつけてサコッシュに<br />両方ともJIB <br />ヨットのセイルクロスでできていて軽くて強い<br />あえてめだつ赤<br />洗濯もできちゃう優れもの

    今回のサブバック
    バケツ型トート
    とポーチにショルダーコードつけてサコッシュに
    両方ともJIB
    ヨットのセイルクロスでできていて軽くて強い
    あえてめだつ赤
    洗濯もできちゃう優れもの

  • 海に行く前に<br />レストハウス 星の砂<br />でお昼ご飯<br />チャリで10分くらいで行けます<br />

    海に行く前に
    レストハウス 星の砂
    でお昼ご飯
    チャリで10分くらいで行けます

    ペンション星の砂 宿・ホテル

  • 星の砂浜の上にあります<br />先にレジで注文して会計をします

    星の砂浜の上にあります
    先にレジで注文して会計をします

  • 店内撮り忘れ<br />テラスから海が!綺麗<br />ロケーション最高!素敵<br />昨年のどんより曇りの海とは別もの

    店内撮り忘れ
    テラスから海が!綺麗
    ロケーション最高!素敵
    昨年のどんより曇りの海とは別もの

  • こんな景色を見ながら 涼しくランチ<br />幸せ

    こんな景色を見ながら 涼しくランチ
    幸せ

  • 私 昨年と一緒<br />スパイスカレープレート<br />ドリンクつき さんぴん茶にしました<br />本格スパイスの<br />お豆と厚揚げの入ったココナッツカレーと<br />お芋とチキンカレー<br />チキンは骨付きだけどほろほろと柔らかくて<br />クリームコロッケは衣サクサク中とろ~<br />あっつあつうまうま<br />珍しい野菜達も美味しいし<br />ピーチパインかな?甘くて美味しい<br />お勧め

    私 昨年と一緒
    スパイスカレープレート
    ドリンクつき さんぴん茶にしました
    本格スパイスの
    お豆と厚揚げの入ったココナッツカレーと
    お芋とチキンカレー
    チキンは骨付きだけどほろほろと柔らかくて
    クリームコロッケは衣サクサク中とろ~
    あっつあつうまうま
    珍しい野菜達も美味しいし
    ピーチパインかな?甘くて美味しい
    お勧め

  • ご主人様はカツカレー<br />すごいボリューム<br />美味しかったそうです<br />ビール頼もうとしたら<br />チャリだからダメと断られ<br />ちょっとご機嫌斜めのご主人様…<br />¥2,500-おすすめのお気に入りのお店です<br />ご馳走様でした

    ご主人様はカツカレー
    すごいボリューム
    美味しかったそうです
    ビール頼もうとしたら
    チャリだからダメと断られ
    ちょっとご機嫌斜めのご主人様…
    ¥2,500-おすすめのお気に入りのお店です
    ご馳走様でした

  • さあ海にいきますよ<br />お店の右にある道<br />ちょっと急な坂道を降りていきます

    さあ海にいきますよ
    お店の右にある道
    ちょっと急な坂道を降りていきます

  • 西表島は潮の干満で水位がかなり変化します<br />シュノーケリングをするなら満潮に近い時間でないと<br />泳げないくらい浅瀬になってしまそうなので<br />しっかりチェックして予定組みました<br />このページは西表島ホテルのコンシェルジュページ<br />イベントの中の おめざめマングローブストレッチ<br />にあった本日の潮汐情報のページに飛ぶと見れました

    西表島は潮の干満で水位がかなり変化します
    シュノーケリングをするなら満潮に近い時間でないと
    泳げないくらい浅瀬になってしまそうなので
    しっかりチェックして予定組みました
    このページは西表島ホテルのコンシェルジュページ
    イベントの中の おめざめマングローブストレッチ
    にあった本日の潮汐情報のページに飛ぶと見れました

  • かに!<br />西表島初でかい蟹!<br />ですが<br />この後沢山見飽きるほど蟹に会えます(笑)

    かに!
    西表島初でかい蟹!
    ですが
    この後沢山見飽きるほど蟹に会えます(笑)

  • あーこれこれ<br />青空<br />青い海<br />砂浜

    あーこれこれ
    青空
    青い海
    砂浜

    星砂の浜 (西表島) ビーチ

  • 美し過ぎ

    美し過ぎ

  • この透明度

    この透明度

  • 寄せては返す波の音

    寄せては返す波の音

  • 人も出ているけど まばら<br />

    人も出ているけど まばら

  • 右方面

    右方面

  • 別角度

    別角度

  • ご主人はシュノーケルせず浜でのんびり<br />ってクソ暑いけど<br />あら失礼 大変お暑うございますが<br />日陰がないのがこの浜の難点

    ご主人はシュノーケルせず浜でのんびり
    ってクソ暑いけど
    あら失礼 大変お暑うございますが
    日陰がないのがこの浜の難点

  • レジャーシート<br />たたむと手のひらにのるサイズ<br />これも洗濯機で洗えるすぐれもの<br />パラソルが海岸にないんだよな西表島

    レジャーシート
    たたむと手のひらにのるサイズ
    これも洗濯機で洗えるすぐれもの
    パラソルが海岸にないんだよな西表島

  • 私はホテルレンタルのシュノーケルセット装着<br />今年はマリンシューズを買って持ってきました<br />これも重宝しました

    私はホテルレンタルのシュノーケルセット装着
    今年はマリンシューズを買って持ってきました
    これも重宝しました

  • 早速シュノーケリング出動<br />昨年はスマホに簡易防水でいどみ<br />あまりにヘボヘボだったので<br />今年は水中カメラ<br />オリンパスtough TG-6を購入し<br />それで挑みます<br />買った途端<br />新しい機種TG-7が出て<br />ちょっとーって思ったけど( ̄∀ ̄)

    早速シュノーケリング出動
    昨年はスマホに簡易防水でいどみ
    あまりにヘボヘボだったので
    今年は水中カメラ
    オリンパスtough TG-6を購入し
    それで挑みます
    買った途端
    新しい機種TG-7が出て
    ちょっとーって思ったけど( ̄∀ ̄)

  • 浅瀬は珊瑚踏まれてズタズタ<br />でもルリスズメダイがいっぱいいます<br /><br /><br />

    浅瀬は珊瑚踏まれてズタズタ
    でもルリスズメダイがいっぱいいます


  • カメラはよくても<br />撮影者がダメのようです(^_^;)<br />カメラのスペックは活かせてないし<br />アングルの良し悪しはやっぱりセンスでしょうか?<br />4トラのダイバーさんの凄さを再確認<br />拙い写真が並びますが暫しお付き合いを

    カメラはよくても
    撮影者がダメのようです(^_^;)
    カメラのスペックは活かせてないし
    アングルの良し悪しはやっぱりセンスでしょうか?
    4トラのダイバーさんの凄さを再確認
    拙い写真が並びますが暫しお付き合いを

  • 岩に隠れた コクハンアラ?

    岩に隠れた コクハンアラ?

  • 黄色と黒縞 アカネハナゴイ?

    黄色と黒縞 アカネハナゴイ?

  • 青い綺麗なお魚!<br />サザナミヤッコ?

    青い綺麗なお魚!
    サザナミヤッコ?

  • 岩場にカモメさん

    岩場にカモメさん

  • ヒメアイゴ

    ヒメアイゴ

  • タマガシラ

    タマガシラ

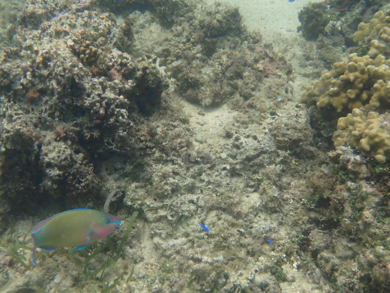
  • カラフルなお魚<br />イラブチャー?

    カラフルなお魚
    イラブチャー?

  • 結構大きなお魚<br />なんだろ?

    結構大きなお魚
    なんだろ?

  • コクテンフグ?

    コクテンフグ?

  • カンムリベラ?

    カンムリベラ?

  • クロスズメダイ?

    クロスズメダイ?

  • チョウチョウウオ<br />沖のほうの岩場?珊瑚?の方に<br />色々なお魚が沢山いました<br />一生懸命名前を調べてみましたが<br />ようわからん<br />でも<br />あー楽しかった

    チョウチョウウオ
    沖のほうの岩場?珊瑚?の方に
    色々なお魚が沢山いました
    一生懸命名前を調べてみましたが
    ようわからん
    でも
    あー楽しかった

  • 波打ち際も絵になる<br />ご主人様は半身浴?で海に半分浸かりながら<br />私を待っていてくれました<br />ありがとう<br />でも一緒に泳げばいいのに<br />私も主人も元水泳部です

    波打ち際も絵になる
    ご主人様は半身浴?で海に半分浸かりながら
    私を待っていてくれました
    ありがとう
    でも一緒に泳げばいいのに
    私も主人も元水泳部です

  • 珊瑚とヤドカリ

    珊瑚とヤドカリ

  • 星の砂浜の名前通り<br />星の砂があります<br />袖にいた星の砂ちゃん

    星の砂浜の名前通り
    星の砂があります
    袖にいた星の砂ちゃん

  • 15:00過ぎくらいまでいました<br />さあホテルへ帰ってチェックインしましょう<br />道路脇にヤギさん

    15:00過ぎくらいまでいました
    さあホテルへ帰ってチェックインしましょう
    道路脇にヤギさん

  • ホテル着 15:25<br />ホテルの前は<br />ジャングルが広がっています<br />

    ホテル着 15:25
    ホテルの前は
    ジャングルが広がっています

  • 受付はしてあるので<br />鍵をもらいます

    受付はしてあるので
    鍵をもらいます

    西表島ホテル by 星野リゾート 宿・ホテル

  • 今年も何故か<br />ハーフボトルのシャンパンをいただきました

    今年も何故か
    ハーフボトルのシャンパンをいただきました

  • ちょっと広いお部屋のデラックスルームを<br />予約しました<br />アサインされたのは<br />5327 ロビーの上になります<br />53階でなく3階<br />なんで5000番台なんだろ?<br />朝食付き 90日前予約で30%割引<br />1人 ¥16,910-/泊 <br />サービス料¥13,520-が入り<br />4泊2名で¥148,800-  <br />クレジットカードのポイント使いつつ<br />事前清算<br />他に夕食代 ホテルアクティビティ代を<br />チェックアウト時にも払うんですが^^;<br /><br />

    ちょっと広いお部屋のデラックスルームを
    予約しました
    アサインされたのは
    5327 ロビーの上になります
    53階でなく3階
    なんで5000番台なんだろ?
    朝食付き 90日前予約で30%割引
    1人 ¥16,910-/泊 
    サービス料¥13,520-が入り
    4泊2名で¥148,800-
    クレジットカードのポイント使いつつ
    事前清算
    他に夕食代 ホテルアクティビティ代を
    チェックアウト時にも払うんですが^^;

  • 扉は年季を感じる<br />木製に見えますが<br />マグネットがくっつく鉄?の扉で重い<br />オートロックです

    扉は年季を感じる
    木製に見えますが
    マグネットがくっつく鉄?の扉で重い
    オートロックです

  • エレベーターからも近く<br />アクセスの良い中央の位置にあります

    エレベーターからも近く
    アクセスの良い中央の位置にあります

  • 昨年の2個隣の部屋ですが<br />内は全く同じです<br />左奥にライティングテーブル<br />その上にタブレットがあり<br />これで西表島ホテルコンシェルジュなるページで<br />レストラン アクテビティの情報や<br />ホテル内アクテビティの予約が出来ます<br />自分のスマホでも<br />このコンシェルジュページ開けます

    昨年の2個隣の部屋ですが
    内は全く同じです
    左奥にライティングテーブル
    その上にタブレットがあり
    これで西表島ホテルコンシェルジュなるページで
    レストラン アクテビティの情報や
    ホテル内アクテビティの予約が出来ます
    自分のスマホでも
    このコンシェルジュページ開けます

  • デイベットが素敵<br />なんですが<br />エアコンの風が届きにくく<br />窓からも熱を感じて暑いので<br />私はあまり使いませんでしたが<br />主人はパソコンいじったり<br />お昼寝したりと活用していました<br />1人がけソファーと机

    デイベットが素敵
    なんですが
    エアコンの風が届きにくく
    窓からも熱を感じて暑いので
    私はあまり使いませんでしたが
    主人はパソコンいじったり
    お昼寝したりと活用していました
    1人がけソファーと机

  • ベット<br /><br />

    ベット

  • ベット横にテーブルトランプ<br />新しいホテルなら<br />電源やUSBポートなどがありますが<br />作りが古いためそこらへんがなく不便です<br />ランプのための電源がベット下にあるので<br />家から持ってきた電源、USB c端子の電源タップを繋ぎ<br />スマホ タブレット カメラなど充電しました

    ベット横にテーブルトランプ
    新しいホテルなら
    電源やUSBポートなどがありますが
    作りが古いためそこらへんがなく不便です
    ランプのための電源がベット下にあるので
    家から持ってきた電源、USB c端子の電源タップを繋ぎ
    スマホ タブレット カメラなど充電しました

  • テレビ<br />

    テレビ

  • 下に冷蔵庫<br />お水の入ったピッチャーが入っています<br />上にあるのは虫除けスプレー

    下に冷蔵庫
    お水の入ったピッチャーが入っています
    上にあるのは虫除けスプレー

  • カップと電気ケトル

    カップと電気ケトル

  • ゴミ箱はここにのみ<br />プラスチックの漂流ゴミが多く問題になってます<br />西表島ホテルではなるべくプラスチックゴミを<br />出さない取り組みをしてるので<br />ペットボトル商品は売っていないし<br />お昼のケータリング容器も紙です<br />プラスチックって再利用すれば良いじゃない?<br />なんて簡単に言ってる人がいましたが<br />そもそもゴミ焼却施設さえなく<br />ゴミは貯めて運搬しているそう!<br />運搬費用だけでも大変な額になるそうです<br />ましてプラスチック再生施設なんて<br />こんな自然豊な<br />船便しかない島にあるわけないんです<br />1人1人の意識が大切ですね<br /><br /><br />

    ゴミ箱はここにのみ
    プラスチックの漂流ゴミが多く問題になってます
    西表島ホテルではなるべくプラスチックゴミを
    出さない取り組みをしてるので
    ペットボトル商品は売っていないし
    お昼のケータリング容器も紙です
    プラスチックって再利用すれば良いじゃない?
    なんて簡単に言ってる人がいましたが
    そもそもゴミ焼却施設さえなく
    ゴミは貯めて運搬しているそう!
    運搬費用だけでも大変な額になるそうです
    ましてプラスチック再生施設なんて
    こんな自然豊な
    船便しかない島にあるわけないんです
    1人1人の意識が大切ですね


  • 素敵なテラス<br />が、暑すぎるし<br />ここで飲食しようとするならば<br />カラスの格好の餌食になります<br />ちなみに前回来た時は始終カラスの<br />カーカー音が鳴り響いていましたが<br />今年は暑さのせいか日中はほとんどなく<br />ちゃんと小鳥達のさえずりが聞こえました

    素敵なテラス
    が、暑すぎるし
    ここで飲食しようとするならば
    カラスの格好の餌食になります
    ちなみに前回来た時は始終カラスの
    カーカー音が鳴り響いていましたが
    今年は暑さのせいか日中はほとんどなく
    ちゃんと小鳥達のさえずりが聞こえました

  • もっぱら<br />洗濯物干し場となります笑

    もっぱら
    洗濯物干し場となります笑

  • 玄関からお部屋の間に<br />右はおトイレ<br />左はクローゼット 正面にウォータースペース<br /><br />あれ?トイレ撮り忘れましたが<br />ウォシュレット付きの個室トイレ

    玄関からお部屋の間に
    右はおトイレ
    左はクローゼット 正面にウォータースペース

    あれ?トイレ撮り忘れましたが
    ウォシュレット付きの個室トイレ

  • クローゼット<br />バスローブ<br />毎日タオルと一緒に交換してくれます<br />物干しこれ水着干すのに必須!<br />ビニール籠バック<br />これもタオルとか飲み物や<br />水着を脱水機に運ぶなどに重宝しました<br />籠にはワンピ型のパジャマ

    クローゼット
    バスローブ
    毎日タオルと一緒に交換してくれます
    物干しこれ水着干すのに必須!
    ビニール籠バック
    これもタオルとか飲み物や
    水着を脱水機に運ぶなどに重宝しました
    籠にはワンピ型のパジャマ

  • セフティーボックス<br />その上に消臭スプレー 懐中電灯<br />西表島は道路には街灯がほとんどないため<br />真っ暗です<br />とハンガー<br />お掃除は自分たちでするので箒<br />結構 砂だらけになって床がザラザラになる<br />むしろクイックルワイパーみたいな方が<br />いいな でもごみが増えるか

    セフティーボックス
    その上に消臭スプレー 懐中電灯
    西表島は道路には街灯がほとんどないため
    真っ暗です
    とハンガー
    お掃除は自分たちでするので箒
    結構 砂だらけになって床がザラザラになる
    むしろクイックルワイパーみたいな方が
    いいな でもごみが増えるか

  • 洗面化粧台<br />古い作りです<br />

    洗面化粧台
    古い作りです

  • アメニティ<br />

    アメニティ

  • ドライヤーはサロニア<br />今回 吊り下げポーチのために<br />吸盤フックをもってきてみました<br />良き良き

    ドライヤーはサロニア
    今回 吊り下げポーチのために
    吸盤フックをもってきてみました
    良き良き

  • お風呂場とタオル<br />このタオルかけ昨年の部屋のもぐらぐらだったけど<br />この部屋のもぐらぐら<br />さすがにこれは<br />補強するか 新しくした方がいいのでは

    お風呂場とタオル
    このタオルかけ昨年の部屋のもぐらぐらだったけど
    この部屋のもぐらぐら
    さすがにこれは
    補強するか 新しくした方がいいのでは

  • デラックスルームにのみ<br />シャワーブースが付いてます

    デラックスルームにのみ
    シャワーブースが付いてます

  • 浴槽の横にもカランとシャワーがあります<br />桶がなくてあるといいな<br />って 普通 ホテルにはないか?<br />

    浴槽の横にもカランとシャワーがあります
    桶がなくてあるといいな
    って 普通 ホテルにはないか?

  • お風呂はオールインワンソープ<br />頭も体も洗える<br />けどやっぱり昨年も思ったけど<br />シャンプーとリンスはほしいな<br />なので今年も持ってきました

    お風呂はオールインワンソープ
    頭も体も洗える
    けどやっぱり昨年も思ったけど
    シャンプーとリンスはほしいな
    なので今年も持ってきました

  • これ付けないとお湯にならない<br />自動湯張りができない?どうも操作が分からず<br />結局手動で見張ります

    これ付けないとお湯にならない
    自動湯張りができない?どうも操作が分からず
    結局手動で見張ります

  • 玄関にはベンチ兼物置き<br />薄いスリッパ<br />私たちはいつも砂だらけ<br />か 濡れてる事が多いので<br />下からバスタオル一枚借りて<br />足拭きで置かせてもらっていました<br />

    玄関にはベンチ兼物置き
    薄いスリッパ
    私たちはいつも砂だらけ
    か 濡れてる事が多いので
    下からバスタオル一枚借りて
    足拭きで置かせてもらっていました

  • ちなみに靴は1人3種<br />普段履き<br />スポサン<br />マリンシューズ<br />持って来ました

    ちなみに靴は1人3種
    普段履き
    スポサン
    マリンシューズ
    持って来ました

  • シャワー浴びて着替えて<br />ホテルアクテビティ?イベント?<br />パインビアフェスにいきます<br />プールサイドで15:00~17:00で行われてます<br />

    シャワー浴びて着替えて
    ホテルアクテビティ?イベント?
    パインビアフェスにいきます
    プールサイドで15:00~17:00で行われてます

  • フェスに参加する前に<br />今年はしっかり初日から使います<br />水着脱水機 <br />プールサイドにあります

    フェスに参加する前に
    今年はしっかり初日から使います
    水着脱水機 
    プールサイドにあります

  • プールサイドには<br />プルメリア 良い甘い匂い

    プールサイドには
    プルメリア 良い甘い匂い

  • ブーゲンビリアなど南国のお花が咲いています

    ブーゲンビリアなど南国のお花が咲いています

  • このパインビアフェス<br />ビアジョッキが¥1,000-でレンタルでき<br />なんと1度借りると<br />毎日借りるのでなくお部屋に持ち帰れ<br />滞在中ずっとフェスの時間は<br />オリオンビールが飲み放題<br />太っ腹!<br />写真の大きなパインがビアサーバーになっています<br />机にいるスタッフさんは暑い中<br />美味しいピーチパインを振る舞ってくれます<br />おかわりもOK<br />お写真は了承いただきました<br />西表島ホテルのスタッフさんはいつもニコニコ<br />会う度にあいさつしてくれ<br />何かお願いするともちろんです!<br />と色々していただけます

    このパインビアフェス
    ビアジョッキが¥1,000-でレンタルでき
    なんと1度借りると
    毎日借りるのでなくお部屋に持ち帰れ
    滞在中ずっとフェスの時間は
    オリオンビールが飲み放題
    太っ腹!
    写真の大きなパインがビアサーバーになっています
    机にいるスタッフさんは暑い中
    美味しいピーチパインを振る舞ってくれます
    おかわりもOK
    お写真は了承いただきました
    西表島ホテルのスタッフさんはいつもニコニコ
    会う度にあいさつしてくれ
    何かお願いするともちろんです!
    と色々していただけます

  • こちららはパインジュース<br />フリーです<br />

    こちららはパインジュース
    フリーです

  • イリオモテヤマネコぬいぐるみちゃんは<br />パイナップルの被り物を被らされ?!<br />ちょっとお間抜け可愛い笑<br />ピーチパインの説明なんかも展示されています<br />

    イリオモテヤマネコぬいぐるみちゃんは
    パイナップルの被り物を被らされ?!
    ちょっとお間抜け可愛い笑
    ピーチパインの説明なんかも展示されています

  • 暑いのでロビーでいただきます<br />そりゃ美味しいでしょ!<br />グラスにはホテルマーク<br />ゴミにしないリユース製品なんだそう

    暑いのでロビーでいただきます
    そりゃ美味しいでしょ!
    グラスにはホテルマーク
    ゴミにしないリユース製品なんだそう

  • そんなこんなしているうちに<br />本日の夜ご飯の一隼のお迎え時間<br />ホテルとお店を送迎してくれます<br />西表島はお店の数が多くないので<br />オンシーズンは食事難民が出るほど!<br />事前に予約しておきました<br />17:20にピックアップしてもらい<br />ワゴン車で移動<br />17:30からの予約<br />店内

    そんなこんなしているうちに
    本日の夜ご飯の一隼のお迎え時間
    ホテルとお店を送迎してくれます
    西表島はお店の数が多くないので
    オンシーズンは食事難民が出るほど!
    事前に予約しておきました
    17:20にピックアップしてもらい
    ワゴン車で移動
    17:30からの予約
    店内

    一隼 グルメ・レストラン

  • この時間でもほぼ満席状態<br />人気店で早めの予約が必要です<br />私のなかで 一隼行ったら <br />昨年食べなかった<br />アグー豚しゃぶしゃぶ食べる!<br />ってリベンジだったのですが<br />残念 暑いせいかメニューになかった

    この時間でもほぼ満席状態
    人気店で早めの予約が必要です
    私のなかで 一隼行ったら 
    昨年食べなかった
    アグー豚しゃぶしゃぶ食べる!
    ってリベンジだったのですが
    残念 暑いせいかメニューになかった

  • ご主人様はホテルのパインフェスで<br />かなり飲んだので<br />マンゴジュース<br />私パイン生搾りサワー

    ご主人様はホテルのパインフェスで
    かなり飲んだので
    マンゴジュース
    私パイン生搾りサワー

  • しぼります<br />生パインなんて贅沢<br />美味しい<br />この後ナイトツアーにも行くので<br />お酒はセーブ

    しぼります
    生パインなんて贅沢
    美味しい
    この後ナイトツアーにも行くので
    お酒はセーブ

  • お通しがピーチパイン

    お通しがピーチパイン

  • 島魚のお刺身<br />少 9切れ<br />聞いた事もないお魚<br />鮮度高く美味しい

    島魚のお刺身
    少 9切れ
    聞いた事もないお魚
    鮮度高く美味しい

  • ラフティー ハーフ<br />とろっうま<br />このお店 <br />ハーフに出来ますか?<br />と声をかけるとほとんどの料理を半分で出してくれる!<br />少人数のお客さんに優しい!

    ラフティー ハーフ
    とろっうま
    このお店 
    ハーフに出来ますか?
    と声をかけるとほとんどの料理を半分で出してくれる!
    少人数のお客さんに優しい!

  • 3つ食べちゃった<br />アグー豚特製手包み餃子

    3つ食べちゃった
    アグー豚特製手包み餃子

  • 島魚のぼろぼろジューシー<br />島魚の切り身が入った雑炊みたいなもので<br />お魚のいいお出汁がでてます<br />これもハーフにしてもらいました<br />お腹いっぱい!ご馳走様でした<br />¥6,330- カードも使えます

    島魚のぼろぼろジューシー
    島魚の切り身が入った雑炊みたいなもので
    お魚のいいお出汁がでてます
    これもハーフにしてもらいました
    お腹いっぱい!ご馳走様でした
    ¥6,330- カードも使えます

  • 帰りは各時間 20分 50分発で<br />送ってくれます<br />10分前までに送迎を店員さんにお願いして<br />かつ会計も済ませます<br />18:20でお願いしたので<br />1時間も居ませんでした<br />お店の入り口で記念撮影<br />送迎のお兄さんが撮ってくれました

    帰りは各時間 20分 50分発で
    送ってくれます
    10分前までに送迎を店員さんにお願いして
    かつ会計も済ませます
    18:20でお願いしたので
    1時間も居ませんでした
    お店の入り口で記念撮影
    送迎のお兄さんが撮ってくれました

  • ホテルに帰るとサンダウナーなる<br />目の前のビーチ<br />月が浜で夕日を見ながら<br />スパークリングワインが飲めるイベントが<br />18:30~19:30まで行われています

    ホテルに帰るとサンダウナーなる
    目の前のビーチ
    月が浜で夕日を見ながら
    スパークリングワインが飲めるイベントが
    18:30~19:30まで行われています

  • プールサイドにある椅子が借りれます<br />これ明朝に撮ったのでぐしゃぐしゃですが<br />昼間はきちんと綺麗に並んでいます

    プールサイドにある椅子が借りれます
    これ明朝に撮ったのでぐしゃぐしゃですが
    昼間はきちんと綺麗に並んでいます

  • プール脇から<br />月が浜に続く道を抜けて行くと

    プール脇から
    月が浜に続く道を抜けて行くと

  • 昨年はちゃんと会えなかった

    昨年はちゃんと会えなかった

  • 会えました<br />夕日!<br />月が浜は夕日スポットなんです

    会えました
    夕日!
    月が浜は夕日スポットなんです

    トゥドゥマリ浜 ビーチ

  • プールサイドで振る舞われていた<br />シャンパンか葡萄ジュースがいただけます<br />この後のためにジュースをいただきました<br />ナッツとドライマンゴーもあります<br />昨年は袋詰めの黒糖フィナンシェでしたが<br />今年はボールから好きなだけ<br />紙のカップにもらうスタイル<br />コロナの個包装主義から脱脚<br />更にプラスチックの削減を考えたのかしら?

    プールサイドで振る舞われていた
    シャンパンか葡萄ジュースがいただけます
    この後のためにジュースをいただきました
    ナッツとドライマンゴーもあります
    昨年は袋詰めの黒糖フィナンシェでしたが
    今年はボールから好きなだけ
    紙のカップにもらうスタイル
    コロナの個包装主義から脱脚
    更にプラスチックの削減を考えたのかしら?

  • ボーっと夕日を眺める時間贅沢<br />海にも光が落ちて綺麗<br />でもかなり眩しいし暑い 笑

    ボーっと夕日を眺める時間贅沢
    海にも光が落ちて綺麗
    でもかなり眩しいし暑い 笑

  • 対岸のウナリザキ公園展望台

    対岸のウナリザキ公園展望台

  • 水平線近くは雲があり<br />綺麗な日没は見れない事が多いそう<br />この後19:40に<br />ナイトツアーのお迎えが来るのでタイムアップ<br />海岸を後にします

    水平線近くは雲があり
    綺麗な日没は見れない事が多いそう
    この後19:40に
    ナイトツアーのお迎えが来るのでタイムアップ
    海岸を後にします

  • 西表島ナイトツアー専門店 アサンテ <br />西表島の自然図鑑 生き物図鑑の著者でもある<br />堀井さんが案内してくれます<br />同じホテルから私たちと同年位のご夫婦と<br />もう1箇所の宿泊先へ<br />道中シロハラクイナちゃんに遭遇!<br />写真とれず残念<br />もう一組は<br />小学低学年の男の子とご両親<br />の7人でスタート

    西表島ナイトツアー専門店 アサンテ 
    西表島の自然図鑑 生き物図鑑の著者でもある
    堀井さんが案内してくれます
    同じホテルから私たちと同年位のご夫婦と
    もう1箇所の宿泊先へ
    道中シロハラクイナちゃんに遭遇!
    写真とれず残念
    もう一組は
    小学低学年の男の子とご両親
    の7人でスタート

  • 長靴に履き替え<br />会いたいオーラを控え気楽に行きましょう!と<br />またライトと双眼鏡も貸してくれ<br />それの扱い<br />今日行く先の大体の説明などしてくれ<br />いざ出発!<br />途中夕暮れ 綺麗なところでフォトタイム<br />

    長靴に履き替え
    会いたいオーラを控え気楽に行きましょう!と
    またライトと双眼鏡も貸してくれ
    それの扱い
    今日行く先の大体の説明などしてくれ
    いざ出発!
    途中夕暮れ 綺麗なところでフォトタイム

  • 西表島の魅力と言えば<br />陸の90%が亜熱帯の原生林が覆っていて<br />綺麗な海だけでなく<br />ジャングルや滝 <br />イリオモテヤマネコをはじめ、 <br />カンムリワシやセマルハコガメなど <br />国指定の天然記念物や<br />他にも固有種の生き物が沢山生息していて<br />「東洋のガラパゴス」とも呼ばれるんです<br />このナイトツアー<br />まさにこれらを体感できる!<br />まず車に乗りながらライトをかざして<br />動物達をさがします<br />堀井さんは寝床とか<br />いつも出没するポイントを熟知していて<br />あっというまに生き物を見つけて<br />高感度のカメラで写真撮ってくれます<br />ヤエヤマオオコウモリ<br />洞窟にいるコウモリとは違い<br />フルーツバット 果物を食べるそう<br />結構大きいです<br />

    西表島の魅力と言えば
    陸の90%が亜熱帯の原生林が覆っていて
    綺麗な海だけでなく
    ジャングルや滝 
    イリオモテヤマネコをはじめ、 
    カンムリワシやセマルハコガメなど 
    国指定の天然記念物や
    他にも固有種の生き物が沢山生息していて
    「東洋のガラパゴス」とも呼ばれるんです
    このナイトツアー
    まさにこれらを体感できる!
    まず車に乗りながらライトをかざして
    動物達をさがします
    堀井さんは寝床とか
    いつも出没するポイントを熟知していて
    あっというまに生き物を見つけて
    高感度のカメラで写真撮ってくれます
    ヤエヤマオオコウモリ
    洞窟にいるコウモリとは違い
    フルーツバット 果物を食べるそう
    結構大きいです

  • 次に蠍マンションなるところに<br />連れていってくれました<br />道路脇の<br />石の隙間にブラックライトを当てると<br />蠍がいます!<br />ヤエヤマサソリ<br />これじゃあわからないですよね

    次に蠍マンションなるところに
    連れていってくれました
    道路脇の
    石の隙間にブラックライトを当てると
    蠍がいます!
    ヤエヤマサソリ
    これじゃあわからないですよね

  • 堀井さんが<br />モデルさんを連れて来てくれました<br />毎回ストレスを与えないよう<br />違う子をスカウトしてくるそうです<br />薄っぺらくて小さいけど<br />やっぱり毒はあるそう<br />強毒ではないけど<br />と<br />茶色なんですが

    堀井さんが
    モデルさんを連れて来てくれました
    毎回ストレスを与えないよう
    違う子をスカウトしてくるそうです
    薄っぺらくて小さいけど
    やっぱり毒はあるそう
    強毒ではないけど

    茶色なんですが

  • ブラックライトで光る!

    ブラックライトで光る!

  • アップで<br />ちゃんと?小さいながら<br />尻尾の先には毒針(^◇^;)

    アップで
    ちゃんと?小さいながら
    尻尾の先には毒針(^◇^;)

  • 何と手にたけさせてくれます<br />ゆっくり手を立てると<br />蠍君 不安定になるため<br />動かずじっと止まってくれます

    何と手にたけさせてくれます
    ゆっくり手を立てると
    蠍君 不安定になるため
    動かずじっと止まってくれます

  • 次にサガリバナの咲いているところに<br />夜咲き 朝には落ちてしまうお花<br />甘いバニラのような匂いがします<br />私が会いたかったお花!

    次にサガリバナの咲いているところに
    夜咲き 朝には落ちてしまうお花
    甘いバニラのような匂いがします
    私が会いたかったお花!

  • ピンクの花の様に見えるのは雄シベ<br />花びらはがくのように見える<br />4枚のところなんですって<br />土壌によって白かったりピンクだったりします<br />ここのは綺麗なピンク!<br />

    イチオシ

    ピンクの花の様に見えるのは雄シベ
    花びらはがくのように見える
    4枚のところなんですって
    土壌によって白かったりピンクだったりします
    ここのは綺麗なピンク!

  • サガリバナにブラックライトを当てると<br />まったく違った印象に!

    サガリバナにブラックライトを当てると
    まったく違った印象に!

  • また違うポイントで<br />ジャングルにはいります<br />川沿いで蟹やヤドカリが沢山!<br />カエルさん!<br />オオハナサキカエル?<br />だったでしょうか?結構大きいです<br />つぶらな黒い瞳が可愛い

    また違うポイントで
    ジャングルにはいります
    川沿いで蟹やヤドカリが沢山!
    カエルさん!
    オオハナサキカエル?
    だったでしょうか?結構大きいです
    つぶらな黒い瞳が可愛い

  • お休み中の<br />サキシマキノボリトカゲ<br />敵が登って来た時にすぐわかるよう<br />不安定なところで寝るんですって

    お休み中の
    サキシマキノボリトカゲ
    敵が登って来た時にすぐわかるよう
    不安定なところで寝るんですって

  • ヘビニョロ!<br />どこどこ

    ヘビニョロ!
    どこどこ

  • サキシママダラ<br />毒はないそうです

    サキシママダラ
    毒はないそうです

  • お休みしているアオスジコシブトハナバチ<br />集団で行動しない社会性のないハチさんで<br />自分のためだけにエサをとり暮らすハチが<br />結構いるそうです<br />そうなんだ

    お休みしているアオスジコシブトハナバチ
    集団で行動しない社会性のないハチさんで
    自分のためだけにエサをとり暮らすハチが
    結構いるそうです
    そうなんだ

  • 堀井さんの1番守りたい<br />ヤエヤマツダナナフシ<br />アダンの葉を食べるそう<br />高いところにいる子をそっと<br />出際よく採取<br />

    堀井さんの1番守りたい
    ヤエヤマツダナナフシ
    アダンの葉を食べるそう
    高いところにいる子をそっと
    出際よく採取

  • 大きい!<br />とっても貴重で<br />でも心ない乱獲者に攫われてしまい<br />数が減ってるそうです<br />この子たち以外も守るために<br />ナイトツアーで回ったところは<br />場所情報はのせず秘密です

    大きい!
    とっても貴重で
    でも心ない乱獲者に攫われてしまい
    数が減ってるそうです
    この子たち以外も守るために
    ナイトツアーで回ったところは
    場所情報はのせず秘密です

  • ご主人様は手にたけてもらいました<br />他の人達とも記念撮影後<br />そっと返します<br />天然記念物はもちろん取ってはダメですが<br />他は条例でまだ定められてないとかで<br />全ての生き物を島外に出す禁止条例が<br />定まって欲しいと言ってました<br />表現あってるかな?<br />ともかく取っちゃダメなんです<br />珍しいもの好きの収集家さん!

    ご主人様は手にたけてもらいました
    他の人達とも記念撮影後
    そっと返します
    天然記念物はもちろん取ってはダメですが
    他は条例でまだ定められてないとかで
    全ての生き物を島外に出す禁止条例が
    定まって欲しいと言ってました
    表現あってるかな?
    ともかく取っちゃダメなんです
    珍しいもの好きの収集家さん!

  • ここから元の場所に車で帰ります<br />リュウキュウコノハズクであってる?<br />にもあえました<br />小さくて可愛いサイズです

    ここから元の場所に車で帰ります
    リュウキュウコノハズクであってる?
    にもあえました
    小さくて可愛いサイズです

  • 星がよく見えるポイントにも停まってくれ<br />満天の星<br />星星星 プラネタリウムみたい<br />天の川も見えました<br />西表島は星空保護区にもなっている<br />凄い島なんです<br />iPhoneではちょっとしか星写せず<br />残念 これが限界

    星がよく見えるポイントにも停まってくれ
    満天の星
    星星星 プラネタリウムみたい
    天の川も見えました
    西表島は星空保護区にもなっている
    凄い島なんです
    iPhoneではちょっとしか星写せず
    残念 これが限界

  • 更に別のスッポットへ連れて行ってくれ<br />ヤシガニにも会えました<br />結構でかい

    更に別のスッポットへ連れて行ってくれ
    ヤシガニにも会えました
    結構でかい

  • こんな大きい!皆んなで記念撮影<br />本当はつかむの危険なんですが<br />掴み方を伝授<br />力が強くて重いので<br />若いお父さんがチャレンジ<br />頑張ってくれました<br />

    こんな大きい!皆んなで記念撮影
    本当はつかむの危険なんですが
    掴み方を伝授
    力が強くて重いので
    若いお父さんがチャレンジ
    頑張ってくれました

  • あ!イリオモテヤマネコ!<br />には会えず<br />これは堀井さんが撮影した動画 笑<br />車の移動中見せてくれました<br />ライトが当たると目が光り<br />結構 夜の方が見つけやすい<br />島に100頭いると推測されていて<br />幻の生き物ではなく<br />しっかり実在して生息しているので<br />会えないわけではないそう<br />まあ旅行者が会える確率は低く<br />会えたらめちゃくちゃラッキーですよね<br />このナイトツアーでの<br />よく撮れてる写真は堀井さんがくれたもの<br />かつ<br />見れたものリストもくれました<br />・ヤエヤマオオコウモリ<br />・リュウキュウコノハズク<br />・リュウキュウアオバズク<br />・サキシマキノボリトカゲ<br />・サキシママダラ<br />・ヤエヤマカジカガエル<br />・オオハナサキガエル<br />・サキシマヌマガエル<br />・ベンケイガニ<br />・クロベンケイガニ<br />・ヤシガニ<br />・コンジンテナガエビ<br />・アオスジコシブトハナバチ<br />・オオゴマダラ<br />・ツマムラサキマダラ<br />・ヤエヤマツダナナフシ<br />・ヤエヤマサソリ<br />・サガリバナ<br />楽しかった!じっくり23時まで<br />アサンテさん ¥8,000-/1人<br />おすすめツアーです

    あ!イリオモテヤマネコ!
    には会えず
    これは堀井さんが撮影した動画 笑
    車の移動中見せてくれました
    ライトが当たると目が光り
    結構 夜の方が見つけやすい
    島に100頭いると推測されていて
    幻の生き物ではなく
    しっかり実在して生息しているので
    会えないわけではないそう
    まあ旅行者が会える確率は低く
    会えたらめちゃくちゃラッキーですよね
    このナイトツアーでの
    よく撮れてる写真は堀井さんがくれたもの
    かつ
    見れたものリストもくれました
    ・ヤエヤマオオコウモリ
    ・リュウキュウコノハズク
    ・リュウキュウアオバズク
    ・サキシマキノボリトカゲ
    ・サキシママダラ
    ・ヤエヤマカジカガエル
    ・オオハナサキガエル
    ・サキシマヌマガエル
    ・ベンケイガニ
    ・クロベンケイガニ
    ・ヤシガニ
    ・コンジンテナガエビ
    ・アオスジコシブトハナバチ
    ・オオゴマダラ
    ・ツマムラサキマダラ
    ・ヤエヤマツダナナフシ
    ・ヤエヤマサソリ
    ・サガリバナ
    楽しかった!じっくり23時まで
    アサンテさん ¥8,000-/1人
    おすすめツアーです

  • あー詰め込んだ1日目が終わります<br />移動距離はすごかったけど<br />乗り物や泳いだりで<br />歩数はあまりいってないですが<br />楽しみすぎて疲れた!<br />ホテルでお風呂に入り寝ます<br />長々お付き合いありがとうございました<br />2日目に続く

    あー詰め込んだ1日目が終わります
    移動距離はすごかったけど
    乗り物や泳いだりで
    歩数はあまりいってないですが
    楽しみすぎて疲れた!
    ホテルでお風呂に入り寝ます
    長々お付き合いありがとうございました
    2日目に続く

57いいね!

利用規約に違反している投稿は、報告する事ができます。 問題のある投稿を連絡する

コメントを投稿する前に

十分に確認の上、ご投稿ください。 コメントの内容は攻撃的ではなく、相手の気持ちに寄り添ったものになっていますか?

サイト共通ガイドライン(利用上のお願い)

報道機関・マスメディアの方へ 画像提供などに関するお問い合わせは、専用のお問い合わせフォームからお願いいたします。

この旅行で行ったグルメ・レストラン

  • 一隼

    一隼

    3.24

    グルメ・レストラン

旅の計画・記録

マイルに交換できるフォートラベルポイントが貯まる
フォートラベルポイントって?

フォートラベル公式LINE@

おすすめの旅行記や旬な旅行情報、お得なキャンペーン情報をお届けします!
QRコードが読み取れない場合はID「@4travel」で検索してください。

\その他の公式SNSはこちら/

この旅行記の地図

拡大する

価格.com旅行・トラベルホテル・旅館を比較

PAGE TOP