ロンボク島旅行記(ブログ) 一覧に戻る
近年開発が始まったロンボク島スコトン半島にある南部のギリ。静かな内海に浮かぶ”ギリアサハン”。<br />1日何をやろうという予定も少なめに、気のむくまま風のむくままのゆるゆるリゾートステイ。31日の夕方から年を越して1日にかけて、それとギリアサハンの海についてです。<br /><br />【旅程】<br />&lt;0&gt;2023/12/29 (FRI) <br />22:55 HND ----- 05:15 SIN パスポートトリニカエル<br />&lt;1&gt;2023/12/30 (SAT)<br />06:50 SIN ----- 07:35 CGK プレエコラッキー!<br />11:00 CGK ----- 14:00 LOP<br />→Gili Asahan<br />・フルーツ屋台 ゼッピンマンギス<br />・Amahelia Luxury Resort カワイイオヘヤ<br /><br />&lt;2&gt;2023/12/31 (SUN)<br />・朝のお散歩 トリサンポ<br />・スノーケリング(島南部)キレイ<br />・Oceanway Dive Resort オセワニナリマス<br />・スノーケリング(島西部) ←イマココ<br /><br />&lt;3&gt;2024/1/1 (MON)<br /><br />&lt;4&gt;2024/1/2 (TUE)<br /><br />&lt;5&gt;2024/1/3 (WEN)<br /><br />&lt;6&gt;2024/1/4 (THU)<br />10:30 DPS ----- 13:05 SIN<br />14:05 SIN ----- 21:40 HND

海を渡るアザーン、うる肌求めてギリアサハンへの旅【3・スノーケリング比べ】

107いいね!

2023/12/31 - 2024/01/01

18位(同エリア392件中)

トゥーバーズ

トゥーバーズさん

この旅行記のスケジュール

この旅行記スケジュールを元に

近年開発が始まったロンボク島スコトン半島にある南部のギリ。静かな内海に浮かぶ”ギリアサハン”。
1日何をやろうという予定も少なめに、気のむくまま風のむくままのゆるゆるリゾートステイ。31日の夕方から年を越して1日にかけて、それとギリアサハンの海についてです。

【旅程】
<0>2023/12/29 (FRI)
22:55 HND ----- 05:15 SIN パスポートトリニカエル
<1>2023/12/30 (SAT)
06:50 SIN ----- 07:35 CGK プレエコラッキー!
11:00 CGK ----- 14:00 LOP
→Gili Asahan
・フルーツ屋台 ゼッピンマンギス
・Amahelia Luxury Resort カワイイオヘヤ

<2>2023/12/31 (SUN)
・朝のお散歩 トリサンポ
・スノーケリング(島南部)キレイ
・Oceanway Dive Resort オセワニナリマス
・スノーケリング(島西部) ←イマココ

<3>2024/1/1 (MON)

<4>2024/1/2 (TUE)

<5>2024/1/3 (WEN)

<6>2024/1/4 (THU)
10:30 DPS ----- 13:05 SIN
14:05 SIN ----- 21:40 HND

旅行の満足度
5.0
観光
5.0
同行者
カップル・夫婦
交通手段
徒歩
旅行の手配内容
個別手配
  • 午前中は地図のように島南東部を回りました。夕方になり、日差しも落ち着いてきたのでAmaheliaから今度は島西側にスノーケリングに出かけます。

    午前中は地図のように島南東部を回りました。夕方になり、日差しも落ち着いてきたのでAmaheliaから今度は島西側にスノーケリングに出かけます。

  • 出がけに鍵を預けにフロントに寄ったところ、レストランの前に「大晦日のスペシャルライブBBQメニュー」の看板が出ていて、気になったのでフロントのスタッフさんに聞いてみます。<br /><br />「へえ…どんなメニューなの?」<br />「ビーフステーキとエビと串焼きとサラダのセットで170K、年末のスペシャルメニューはお得ですよ」<br />「ライブって、演奏とか入るの?」<br />「それはないんですが、どんどん焼いてライブでお待ちするんです」<br />「そうなんだ。どうする?今晩はコレにする?」<br />「大晦日だし、楽しそうだし、いいんじゃない?」<br /><br />相談の結果、今晩のお夜食はBBQを予約することにしました。

    出がけに鍵を預けにフロントに寄ったところ、レストランの前に「大晦日のスペシャルライブBBQメニュー」の看板が出ていて、気になったのでフロントのスタッフさんに聞いてみます。

    「へえ…どんなメニューなの?」
    「ビーフステーキとエビと串焼きとサラダのセットで170K、年末のスペシャルメニューはお得ですよ」
    「ライブって、演奏とか入るの?」
    「それはないんですが、どんどん焼いてライブでお待ちするんです」
    「そうなんだ。どうする?今晩はコレにする?」
    「大晦日だし、楽しそうだし、いいんじゃない?」

    相談の結果、今晩のお夜食はBBQを予約することにしました。

    アマヘリア ラグジュアリー リゾート ホテル

  • 西側にエコロッジをすぎて北に歩いていくと、サッカーグラウンドのようなスペースがあって、ちょうどその近くに黒く磯場があります。ここならわかりやすいと考えて、目印にして海に入ります。

    西側にエコロッジをすぎて北に歩いていくと、サッカーグラウンドのようなスペースがあって、ちょうどその近くに黒く磯場があります。ここならわかりやすいと考えて、目印にして海に入ります。

  • 沖に向かうとすぐにソフトコーラルがビッシリ広がっていました。

    沖に向かうとすぐにソフトコーラルがビッシリ広がっていました。

  • お花が咲いたかのようなソフトコーラルです。

    お花が咲いたかのようなソフトコーラルです。

  • 西側の海底は、どうやら赤が強い感じです。ソフトコーラルの丘を越えると、だんだんリーフらしくなってきます。

    西側の海底は、どうやら赤が強い感じです。ソフトコーラルの丘を越えると、だんだんリーフらしくなってきます。

  • フタスジリュウキュウスズメダイやミツボシクロスズメダイが珊瑚の上に浮いています。

    フタスジリュウキュウスズメダイやミツボシクロスズメダイが珊瑚の上に浮いています。

  • ぷかぷかと、かわいすぎます。<br />

    イチオシ

    ぷかぷかと、かわいすぎます。

  • 夕方なので、潮が満ちていて深く、濁りも出ている時間帯なのですが、南側よりリーフが広く発達しています。

    夕方なので、潮が満ちていて深く、濁りも出ている時間帯なのですが、南側よりリーフが広く発達しています。

  • 赤いテーブル珊瑚の上に浮いていてかわいい。

    赤いテーブル珊瑚の上に浮いていてかわいい。

  • スノーケリングで海から見ていても、大きなテーブル珊瑚がたくさんあります。水深が少し深めですが5~8mくらいだと思います。

    スノーケリングで海から見ていても、大きなテーブル珊瑚がたくさんあります。水深が少し深めですが5~8mくらいだと思います。

  • ミスジチョウチョウウオがゆっくり珊瑚の上を泳いでいきます。この子は動きが遅くて写真が撮りやすいです。良い子ですね。

    ミスジチョウチョウウオがゆっくり珊瑚の上を泳いでいきます。この子は動きが遅くて写真が撮りやすいです。良い子ですね。

  • 少しずつ湾の北に向かって泳いでいくと、二つ目の黒い磯の先のあたりの沖に、大きな枝珊瑚がらあるポイントがあります。

    少しずつ湾の北に向かって泳いでいくと、二つ目の黒い磯の先のあたりの沖に、大きな枝珊瑚がらあるポイントがあります。

  • 落ち込んでいく斜面全体が枝珊瑚になっていて、雄大な景色が広がっていました。

    落ち込んでいく斜面全体が枝珊瑚になっていて、雄大な景色が広がっていました。

  • さらに北に進むと巨大なハマサンゴが2つ、紫と黄色いのが並んでいるのを見つけました。この西側の海は、スケールが大きくて南側とは比べ物になりません。珊瑚もバラエティに富んでいます。

    さらに北に進むと巨大なハマサンゴが2つ、紫と黄色いのが並んでいるのを見つけました。この西側の海は、スケールが大きくて南側とは比べ物になりません。珊瑚もバラエティに富んでいます。

  • イッテンチョウチョウウオは初めて見たかも。

    イッテンチョウチョウウオは初めて見たかも。

  • 少し深めに大きな枝珊瑚と、そこにたくさんお魚のいる根がありました。

    少し深めに大きな枝珊瑚と、そこにたくさんお魚のいる根がありました。

  • このぐちゃぐちゃにお魚がいる感じ、久々にみました。レジデンス珊瑚です。

    このぐちゃぐちゃにお魚がいる感じ、久々にみました。レジデンス珊瑚です。

  • 珊瑚の隙間という隙間に赤い金魚?がびっしり詰まっています。

    イチオシ

    珊瑚の隙間という隙間に赤い金魚?がびっしり詰まっています。

  • 赤い子だけでなく、黒い子や青い子も混ざっています。

    赤い子だけでなく、黒い子や青い子も混ざっています。

  • 裏側に回るとスパインチークアネモネフィッシュも棲家にしていました。

    裏側に回るとスパインチークアネモネフィッシュも棲家にしていました。

  • この子は凶暴です。いつも怖い顔して攻撃してきます。

    イチオシ

    この子は凶暴です。いつも怖い顔して攻撃してきます。

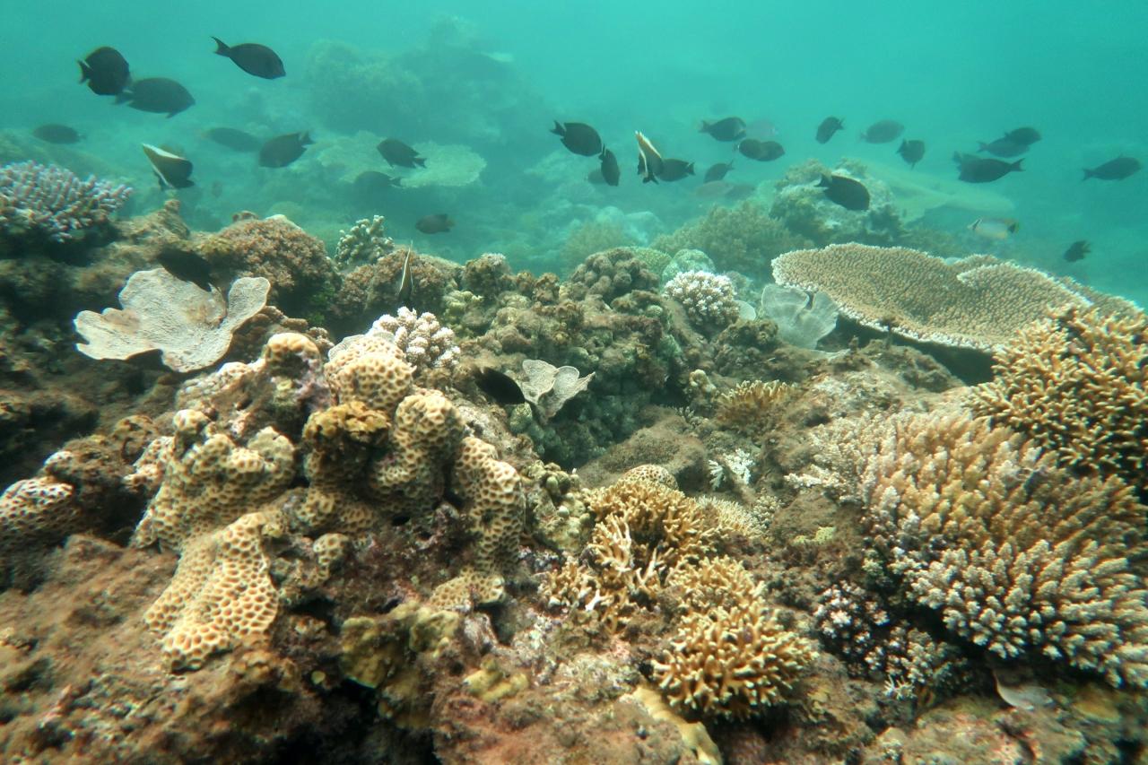
  • いろんな種類の珊瑚が育っていて、自然でワイルド。そんな印象のリーフです。

    いろんな種類の珊瑚が育っていて、自然でワイルド。そんな印象のリーフです。

  • 写真は透明度の高いポイントで撮っていますので、非常にクリアに見えますが、西側のポイントは、場所によって水の透明度にかなり差があります。湾状になっていて弧の内側で流れの淀んだところは濁りが強いです。少し沖に出るとパッセージで潮通しのよい箇所が時々あり、そこだけがまるで別の海のように透明度が高くなっています。

    写真は透明度の高いポイントで撮っていますので、非常にクリアに見えますが、西側のポイントは、場所によって水の透明度にかなり差があります。湾状になっていて弧の内側で流れの淀んだところは濁りが強いです。少し沖に出るとパッセージで潮通しのよい箇所が時々あり、そこだけがまるで別の海のように透明度が高くなっています。

  • 珊瑚の色は茶色と赤が多く、たまに紫。一つの種だけが固まっているというより、色んな珊瑚がガーデンを作っています。お魚も色々な種類が泳いでいて、いかにも自然の珊瑚礁という感じで気に入りました。

    珊瑚の色は茶色と赤が多く、たまに紫。一つの種だけが固まっているというより、色んな珊瑚がガーデンを作っています。お魚も色々な種類が泳いでいて、いかにも自然の珊瑚礁という感じで気に入りました。

  • またミスジチョウチョウウオ。お気に入りです。

    またミスジチョウチョウウオ。お気に入りです。

  • 湾の北の方に突き出た岸壁近くにいくと、浅瀬の岩礁が続きます。このトラジマの子たちがたくさん泳いでいました。

    湾の北の方に突き出た岸壁近くにいくと、浅瀬の岩礁が続きます。このトラジマの子たちがたくさん泳いでいました。

  • 浅瀬の岩礁は干潮時には水面に出るのでしょう。<br />周りと違ってキャベツみたいな海藻がたくさん生えています。

    浅瀬の岩礁は干潮時には水面に出るのでしょう。
    周りと違ってキャベツみたいな海藻がたくさん生えています。

  • 紫の珊瑚とお魚。もう少し浮いて~

    紫の珊瑚とお魚。もう少し浮いて~

  • 日も暮れてきたので、目印にしていたサッカーのゴールのような木組みと岩礁の見えるポイントに戻ります。

    日も暮れてきたので、目印にしていたサッカーのゴールのような木組みと岩礁の見えるポイントに戻ります。

  • 水面から夕陽を確認します。水面が近いと水のうねりが撮れて綺麗なのですが、この日もさほど真っ赤にはなりませんでした。

    水面から夕陽を確認します。水面が近いと水のうねりが撮れて綺麗なのですが、この日もさほど真っ赤にはなりませんでした。

  • 真っ暗になるギリギリ前に、エントリーポイントのビーチに戻ってきました。<br /><br />島西部のスノーケリングスポットの特徴です。<br /><br />・湾の外側のドロップオフ近辺のリーフが綺麗<br />・珊瑚も大きくワイルド感のある雄大なリーフ<br />・潮通りが良いポイントがあり夕方でも透明度が高い<br />・北の展望台側に近いと浅く、ポイントを選ぶ<br />・亀も見れる(見れたけど写真にできませんでした)<br />・泳ぎながらサンセットが見れる

    真っ暗になるギリギリ前に、エントリーポイントのビーチに戻ってきました。

    島西部のスノーケリングスポットの特徴です。

    ・湾の外側のドロップオフ近辺のリーフが綺麗
    ・珊瑚も大きくワイルド感のある雄大なリーフ
    ・潮通りが良いポイントがあり夕方でも透明度が高い
    ・北の展望台側に近いと浅く、ポイントを選ぶ
    ・亀も見れる(見れたけど写真にできませんでした)
    ・泳ぎながらサンセットが見れる

  • Amaheliaのお庭では、スタッフさんがBBQの準備をされていました。フロントからデポジットしていた鍵を受け取って、ヴィラに入ります。<br /><br />「結局1時間以上海に入ってた気がするね」<br />「ちょっと疲れたね~。お腹空いたよ」<br />「BBQなんでしょ?楽しみね」

    Amaheliaのお庭では、スタッフさんがBBQの準備をされていました。フロントからデポジットしていた鍵を受け取って、ヴィラに入ります。

    「結局1時間以上海に入ってた気がするね」
    「ちょっと疲れたね~。お腹空いたよ」
    「BBQなんでしょ?楽しみね」

  • シャワーを浴びて、19時30分にビーチサイドのテーブルの予約席に向かいました。私たちのテーブルについてすぐ、蝦とビーフとどちらにするか聞かれたので、嫁が蝦で旦那がお肉を選びます。<br /><br />待っている間にビーチを見ると、向こうのテーブルで日本の方らしいご家族もお食事されているのに気がつきました。<br /><br />「日本からかな?」<br />「そんな感じね、ご家族みたい」<br />「若い子が息子さんかな。息子さんに会いにくるパターンかもよ」<br />「そうねえ。さっきインドネシア語で注文してたから、お父さんの方が駐在の方だと思うわ」<br />「お正月だねえ」

    シャワーを浴びて、19時30分にビーチサイドのテーブルの予約席に向かいました。私たちのテーブルについてすぐ、蝦とビーフとどちらにするか聞かれたので、嫁が蝦で旦那がお肉を選びます。

    待っている間にビーチを見ると、向こうのテーブルで日本の方らしいご家族もお食事されているのに気がつきました。

    「日本からかな?」
    「そんな感じね、ご家族みたい」
    「若い子が息子さんかな。息子さんに会いにくるパターンかもよ」
    「そうねえ。さっきインドネシア語で注文してたから、お父さんの方が駐在の方だと思うわ」
    「お正月だねえ」

    NAGA Restaurant アジア料理

  • お庭に準備されているBBQ台で焼いた串やお肉が次々とテーブルに運ばれてきます。<br /><br />「おお~、トウモロコシとナスが美味しい」<br />「ほんとね。そういえば島に来るとき畑にトウモロコシも植わってた」

    お庭に準備されているBBQ台で焼いた串やお肉が次々とテーブルに運ばれてきます。

    「おお~、トウモロコシとナスが美味しい」
    「ほんとね。そういえば島に来るとき畑にトウモロコシも植わってた」

  • 続いて蝦が到着です。<br /><br />「美味しい…けど、かなりレアよ」<br />「ポテトちょうだい、美味しい」<br />「あなた、ポテト好きよね」<br />「そりゃそうさ。ポテトは最も人類を飢えから救った食べ物なんだよ?」<br />「はいはい、4匹も食べれないから、蝦も持ってって」<br />「じゃあお肉と交換ね。うっぷ、確かにレア…ミソは食べないほうがいいかな」<br />「そうね。でも身はプリプリで美味しいでしょ」<br /><br />普段食べなれないものを食べて、お腹いっぱいになりました。

    続いて蝦が到着です。

    「美味しい…けど、かなりレアよ」
    「ポテトちょうだい、美味しい」
    「あなた、ポテト好きよね」
    「そりゃそうさ。ポテトは最も人類を飢えから救った食べ物なんだよ?」
    「はいはい、4匹も食べれないから、蝦も持ってって」
    「じゃあお肉と交換ね。うっぷ、確かにレア…ミソは食べないほうがいいかな」
    「そうね。でも身はプリプリで美味しいでしょ」

    普段食べなれないものを食べて、お腹いっぱいになりました。

  • 食事の後、日付が変わる頃。2024年がスタートする頃に、外が騒がしくなりました。お部屋から窓を除いてみると、ニューイヤーの記念で花火が上がっていて、見学に村の人たちが海岸に集まってきていました。<br /><br />「花火やってるよ!見に行かない?」<br />「えー?隣のリゾートの人らが騒いでるだけじゃないの?」<br />「村の人もたくさんきてるのよ」<br />「行っておいでよ、夜だから気をつけてね」<br /><br />旦那は朝早いからとベッドでリタイヤ。ちょっとだけ1人で顔を出して、花火をみてきました。花火は上手く写真が撮れなかったのですが、海にデコレーションした船も出ていて、賑やかにみんな花火を楽しんでいました。

    食事の後、日付が変わる頃。2024年がスタートする頃に、外が騒がしくなりました。お部屋から窓を除いてみると、ニューイヤーの記念で花火が上がっていて、見学に村の人たちが海岸に集まってきていました。

    「花火やってるよ!見に行かない?」
    「えー?隣のリゾートの人らが騒いでるだけじゃないの?」
    「村の人もたくさんきてるのよ」
    「行っておいでよ、夜だから気をつけてね」

    旦那は朝早いからとベッドでリタイヤ。ちょっとだけ1人で顔を出して、花火をみてきました。花火は上手く写真が撮れなかったのですが、海にデコレーションした船も出ていて、賑やかにみんな花火を楽しんでいました。

  • ニューイヤーイブも終わり、静かな1月1日の朝になりました。

    ニューイヤーイブも終わり、静かな1月1日の朝になりました。

    アマヘリア ラグジュアリー リゾート ホテル

  • 毎朝ヴィラを出るたびにお花が綺麗で幸せな気持ちになります。

    毎朝ヴィラを出るたびにお花が綺麗で幸せな気持ちになります。

  • 今朝もNAGAレストランで朝食です。アイスラテを頼みました。

    今朝もNAGAレストランで朝食です。アイスラテを頼みました。

    NAGA Restaurant アジア料理

  • 朝から東南部にナンヨウショウビンを撮りに行っていた旦那が首尾よく撮って帰ってきたので、写真を見ながら話をしていたら、頼んだエッグベネディクトがすぐに出てきました。ベーコンカリカリです。<br /><br />「なんでリゾートでベーコンってカリカリで出てくるのかな?普通の方が美味しいのに」<br />「カリカリじゃないとアメリカ人からクレームくるんだよ」<br />「そうなのかなあ」

    朝から東南部にナンヨウショウビンを撮りに行っていた旦那が首尾よく撮って帰ってきたので、写真を見ながら話をしていたら、頼んだエッグベネディクトがすぐに出てきました。ベーコンカリカリです。

    「なんでリゾートでベーコンってカリカリで出てくるのかな?普通の方が美味しいのに」
    「カリカリじゃないとアメリカ人からクレームくるんだよ」
    「そうなのかなあ」

  • 嫁の頼んだパンケーキです。4枚も積んであります。ふかふかで美味しいですが、毎朝食べきれません。周りのフルーツはパパイヤとバナナでした。チョコバナナ最強ですね。

    嫁の頼んだパンケーキです。4枚も積んであります。ふかふかで美味しいですが、毎朝食べきれません。周りのフルーツはパパイヤとバナナでした。チョコバナナ最強ですね。

  • 今朝は、東側のリーフをスノーケリングします。<br />東側のハウスリーフは美しいと評判ですし、期待も大きいです。

    今朝は、東側のリーフをスノーケリングします。
    東側のハウスリーフは美しいと評判ですし、期待も大きいです。

  • 対岸のスコトン半島は少し雲が出て煙っていますけれど、それはそれで良さがあります。

    対岸のスコトン半島は少し雲が出て煙っていますけれど、それはそれで良さがあります。

  • 東南部に行く途中。村の交差点のお店の横で昨日マンゴーを売っていた娘さんたちは今日はおりません。<br /><br />「彼女たちいないね、お正月だから?」<br />「そうかもね…近くのお家の子かもしれないし奥行ってみようか。マンゴーの木があるお家があるしれないし」<br /><br />村の十字路をまっすぐ奥まで歩いた先の奥は立派な畑?お庭?付きのお家が並んでいます。

    東南部に行く途中。村の交差点のお店の横で昨日マンゴーを売っていた娘さんたちは今日はおりません。

    「彼女たちいないね、お正月だから?」
    「そうかもね…近くのお家の子かもしれないし奥行ってみようか。マンゴーの木があるお家があるしれないし」

    村の十字路をまっすぐ奥まで歩いた先の奥は立派な畑?お庭?付きのお家が並んでいます。

  • お庭にある大きなパパイヤの木にたわわに実がなっています。

    お庭にある大きなパパイヤの木にたわわに実がなっています。

  • 「バナナもあるね」<br />「これ?バナナなの?」<br />「そうだよ。前にも見たことあるでしょ?」<br />「そうだっけ?ほんとだ!バナナいっぱい成ってる」<br />「昨日マンゴー売りにきてた姉妹も、こういうお庭のマンゴー売りにきてたんだと思うんだよね」<br /><br />バナナ畑の近くに女性の方たちが何人か話をされていたので、声をかけて近くにマンゴーの木がないか聞いてみます。<br /><br />「こんにちは、マンゴー買いたいんだけど…マンゴーの木のあるお宅知りません?」<br />「マンゴーの木は、この辺りのお家にはないのよ」<br />「昨日お店で売ってる子がいたんだけど…」<br />「ああ…ずっと山の方から来てるんだよ」<br />「じゃあ近くにはないのね」<br />「そうだね」<br /><br />残念ながらマンゴーは手に入りませんでした。

    「バナナもあるね」
    「これ?バナナなの?」
    「そうだよ。前にも見たことあるでしょ?」
    「そうだっけ?ほんとだ!バナナいっぱい成ってる」
    「昨日マンゴー売りにきてた姉妹も、こういうお庭のマンゴー売りにきてたんだと思うんだよね」

    バナナ畑の近くに女性の方たちが何人か話をされていたので、声をかけて近くにマンゴーの木がないか聞いてみます。

    「こんにちは、マンゴー買いたいんだけど…マンゴーの木のあるお宅知りません?」
    「マンゴーの木は、この辺りのお家にはないのよ」
    「昨日お店で売ってる子がいたんだけど…」
    「ああ…ずっと山の方から来てるんだよ」
    「じゃあ近くにはないのね」
    「そうだね」

    残念ながらマンゴーは手に入りませんでした。

  • さて。昨日見たマリーンパークのエントリー標識までやってきました。ここから入って、沖に向かってまっすぐ泳ぎます。

    さて。昨日見たマリーンパークのエントリー標識までやってきました。ここから入って、沖に向かってまっすぐ泳ぎます。

  • ビーチからすぐにリーフに変わります。小さなゴンズイが群れで泳いでいます。ここから北に向かってプカプカと泳いでいきます。

    ビーチからすぐにリーフに変わります。小さなゴンズイが群れで泳いでいます。ここから北に向かってプカプカと泳いでいきます。

  • 深さも2~3m程で、浅いです。小さいお魚の群れとすれ違いながら適度な深さのあるポイントをずっと北に向かって泳ぎます。

    深さも2~3m程で、浅いです。小さいお魚の群れとすれ違いながら適度な深さのあるポイントをずっと北に向かって泳ぎます。

  • フタスジリュウキユウススメダイとデバスズメダイが珊瑚の上に浮いています。

    イチオシ

    フタスジリュウキユウススメダイとデバスズメダイが珊瑚の上に浮いています。

  • 大きめの珊瑚がありました。すごい数のお魚が集まっています。

    イチオシ

    大きめの珊瑚がありました。すごい数のお魚が集まっています。

  • デバスズメダイの群れが宙を舞います。

    デバスズメダイの群れが宙を舞います。

  • ぷかぷか~、きれ~い…スノーケリングはこうでなくっちゃ!

    ぷかぷか~、きれ~い…スノーケリングはこうでなくっちゃ!

  • 珊瑚のなかにも別のお魚がいっぱい隠れています。よくガンガゼと一緒にいて、目の周りが青く光っていて好きな子です。

    珊瑚のなかにも別のお魚がいっぱい隠れています。よくガンガゼと一緒にいて、目の周りが青く光っていて好きな子です。

  • それにしてもたくさん。これが2-3mくらいの深さで続くので、手の届く位置にお魚が泳いでいる感じです。午前中ということもあるのでしょうが、珊瑚のトップから水面がすぐ近くです。

    イチオシ

    それにしてもたくさん。これが2-3mくらいの深さで続くので、手の届く位置にお魚が泳いでいる感じです。午前中ということもあるのでしょうが、珊瑚のトップから水面がすぐ近くです。

  • お気に入りのミスジリュウキュウスズメダイも浮いていました。

    お気に入りのミスジリュウキュウスズメダイも浮いていました。

  • しばらく泳ぐと、大きな枝珊瑚の山がありました。水面ギリギリのところで、上に水色のデバスズメダイの大きな群れが浮いています。

    しばらく泳ぐと、大きな枝珊瑚の山がありました。水面ギリギリのところで、上に水色のデバスズメダイの大きな群れが浮いています。

  • キラキラとお魚が舞って、すごい綺麗!珊瑚もイキイキしています。

    イチオシ

    キラキラとお魚が舞って、すごい綺麗!珊瑚もイキイキしています。

  • 珊瑚の山で泳ぐキラキラのお魚たち。

    イチオシ

    珊瑚の山で泳ぐキラキラのお魚たち。

  • いっぱい泳いでいるんですよ~<br />まさにリアルスイミーです!

    イチオシ

    いっぱい泳いでいるんですよ~
    まさにリアルスイミーです!

  • ずっと枝珊瑚が続いています。

    ずっと枝珊瑚が続いています。

  • 南のエリアにもあったオレンジの枝珊瑚にネッタイスズメダイがいました。

    南のエリアにもあったオレンジの枝珊瑚にネッタイスズメダイがいました。

  • 岩の影にケショウフグを見つけました。

    岩の影にケショウフグを見つけました。

  • 今度はカブラヤスズメダイがいっぱい。

    今度はカブラヤスズメダイがいっぱい。

  • 緑色の珊瑚の中を泳いでいきました。

    緑色の珊瑚の中を泳いでいきました。

  • 珊瑚の下の方に黄色い子とシマシマのコショウダイ黄色い方はなんのお魚でしょう?

    珊瑚の下の方に黄色い子とシマシマのコショウダイ黄色い方はなんのお魚でしょう?

  • 全体的に浅くて簡単に楽しめるのが西側の特徴ですね。

    全体的に浅くて簡単に楽しめるのが西側の特徴ですね。

  • 流れも強くないので、泳ぎやすい反面、濁りを考えると午前中の方がよさそうです。

    流れも強くないので、泳ぎやすい反面、濁りを考えると午前中の方がよさそうです。

  • スノーケリングでこれだけ楽しいポイントは久しぶりです。

    スノーケリングでこれだけ楽しいポイントは久しぶりです。

  • こっちにもミスジチョウチョウウオが泳いでいました。

    こっちにもミスジチョウチョウウオが泳いでいました。

  • また別のポイントです。いいポイント探すのに苦労することもない感じです。

    また別のポイントです。いいポイント探すのに苦労することもない感じです。

  • この綺麗な海が長く続いていって欲しいものです。

    イチオシ

    この綺麗な海が長く続いていって欲しいものです。

  • 底にいたお魚。模様が不思議です。

    底にいたお魚。模様が不思議です。

  • 素敵な海を小一時間堪能しました。<br />そろそろ岸に向かいます。<br /><br />島東部のスノーケリングスポットの特徴です。<br /><br />・水深が浅くてリーフも発達。明るくて綺麗<br />・流れも少なくて泳ぎやすくスノーケリングしやすい<br />・ポイント探す必要がないくらい珊瑚がいっぱい<br />・とにかく美しい!

    素敵な海を小一時間堪能しました。
    そろそろ岸に向かいます。

    島東部のスノーケリングスポットの特徴です。

    ・水深が浅くてリーフも発達。明るくて綺麗
    ・流れも少なくて泳ぎやすくスノーケリングしやすい
    ・ポイント探す必要がないくらい珊瑚がいっぱい
    ・とにかく美しい!

  • スノーケリング帰りに山羊を囲って飼っているお家に通りかかると、しきりと鳴き声が聞こえます。<br />どうやら囲いの向こう側に行ってしまった仔山羊が戻れなくなって塀越しにお母さんを呼んでいるみたい。<br /><br />「かわいそう、泣いてる」<br />「塀の向こうにお母さんが見えるから、仔山羊があそこから動かないんだ」<br />「ちょっと手助けしてあげようよ」

    スノーケリング帰りに山羊を囲って飼っているお家に通りかかると、しきりと鳴き声が聞こえます。
    どうやら囲いの向こう側に行ってしまった仔山羊が戻れなくなって塀越しにお母さんを呼んでいるみたい。

    「かわいそう、泣いてる」
    「塀の向こうにお母さんが見えるから、仔山羊があそこから動かないんだ」
    「ちょっと手助けしてあげようよ」

  • 生垣を回り込むように誘導してあげて、囲いの中のお母さんのところに連れて行きました。

    生垣を回り込むように誘導してあげて、囲いの中のお母さんのところに連れて行きました。

  • Amaheliaに到着して、シャワーを浴びて残りのフルーツを食べながらお昼までゆっくりします。表の赤いお花。クリスマスカラーでかわいいです。

    Amaheliaに到着して、シャワーを浴びて残りのフルーツを食べながらお昼までゆっくりします。表の赤いお花。クリスマスカラーでかわいいです。

  • ベランダでフルーツを食べていたところ、昨日の日本人のご家族の方たちをお見かけしたので、声をかけさせて貰って、ランブータンをお裾分けしました。<br /><br />「ありがとうございます~。私たちはジャカルタの少し先の街にいるんですが、駐在なんですか?」<br />「あ、いや~、旅行です。東京から。」<br />「あら、昨晩インドネシア語で話してらっしゃったのでてっきり」<br />「勉強してるんですよ」<br />「そうなんですね~、いい所ですものね」<br /><br />なんて会話をして、お昼までの時間をのんびりと過ごします。インドネシアは駐在の方が多くて、日本と近しい国だなと感じた一時でした。

    ベランダでフルーツを食べていたところ、昨日の日本人のご家族の方たちをお見かけしたので、声をかけさせて貰って、ランブータンをお裾分けしました。

    「ありがとうございます~。私たちはジャカルタの少し先の街にいるんですが、駐在なんですか?」
    「あ、いや~、旅行です。東京から。」
    「あら、昨晩インドネシア語で話してらっしゃったのでてっきり」
    「勉強してるんですよ」
    「そうなんですね~、いい所ですものね」

    なんて会話をして、お昼までの時間をのんびりと過ごします。インドネシアは駐在の方が多くて、日本と近しい国だなと感じた一時でした。

  • ビーチサイドでゴロゴロするうちにお腹も空いてきました。<br /><br />「お昼どうする~?」<br />「正直、NAGAレストラン飽きてきたし、インドネシア料理食べに村のワルンに行ってみない?」<br />「いいね~、いつも通るTOKOの角にワルンの看板出してるよね」<br />「そこ行ってみよう」

    ビーチサイドでゴロゴロするうちにお腹も空いてきました。

    「お昼どうする~?」
    「正直、NAGAレストラン飽きてきたし、インドネシア料理食べに村のワルンに行ってみない?」
    「いいね~、いつも通るTOKOの角にワルンの看板出してるよね」
    「そこ行ってみよう」

  • Amaheliaのすぐ隣にあるワルンディビィダさんに伺います。<br /><br />「お料理出てくる感じじゃないけど、ワルンっていうからには何か食べれるよね」<br />「どうだろな。カップ麺とかお菓子なら奥にもワルンあったはず」<br />「誰もいないよ」<br />「こんにちは~!誰か~?食べられますか~?」<br /><br />お呼びしたところ、お姉さんが出てこられました。何か食べられるか伺ったら、奥に案内してくれますした。

    Amaheliaのすぐ隣にあるワルンディビィダさんに伺います。

    「お料理出てくる感じじゃないけど、ワルンっていうからには何か食べれるよね」
    「どうだろな。カップ麺とかお菓子なら奥にもワルンあったはず」
    「誰もいないよ」
    「こんにちは~!誰か~?食べられますか~?」

    お呼びしたところ、お姉さんが出てこられました。何か食べられるか伺ったら、奥に案内してくれますした。

  • お部屋の中には4種類のタッパーが並んでいて、それと味変にサンバルも揃っています。<br />お姉さんに伺ったところ、好きなものをここから選んでご飯に乗っけて食べるのだそうです。一種類だけでも、全種類でもOK!なのだそうです。

    お部屋の中には4種類のタッパーが並んでいて、それと味変にサンバルも揃っています。
    お姉さんに伺ったところ、好きなものをここから選んでご飯に乗っけて食べるのだそうです。一種類だけでも、全種類でもOK!なのだそうです。

  • タッパーは左から順に「豆腐」「??」「煮魚」「??」の4種類。ちょうど子供が食べにきましたが、一番右のだけを盛って食べていたので、なるほど毎日のご飯なら飽きないように、この中から一つ二つを選んで食べるな…と考えてみたり。<br />でも結局私たちはいつもここで食べるわけじゃないので、2人揃って全種類盛りになりました。

    タッパーは左から順に「豆腐」「??」「煮魚」「??」の4種類。ちょうど子供が食べにきましたが、一番右のだけを盛って食べていたので、なるほど毎日のご飯なら飽きないように、この中から一つ二つを選んで食べるな…と考えてみたり。
    でも結局私たちはいつもここで食べるわけじゃないので、2人揃って全種類盛りになりました。

  • お皿に盛って、店先の縁台に椅子を持ってきて、腰掛けていただきます。<br /><br />「…ゴクリ」<br /><br />食べてみないとわからないのはまず手前の赤いのです。ちょっと緊張しながら口に運びます。<br /><br />「…うまっ」<br />「チキン?旨辛!美味しいよこれ」<br />「いや…これサキイカだわ。チュミチュミ(インドネシア語)」<br />「どおりで旨味が強いはずだ」

    お皿に盛って、店先の縁台に椅子を持ってきて、腰掛けていただきます。

    「…ゴクリ」

    食べてみないとわからないのはまず手前の赤いのです。ちょっと緊張しながら口に運びます。

    「…うまっ」
    「チキン?旨辛!美味しいよこれ」
    「いや…これサキイカだわ。チュミチュミ(インドネシア語)」
    「どおりで旨味が強いはずだ」

  • 現地度が高いワルンだけに、どんなお味かだいぶ警戒していましたが、美味しくて箸が進みます。<br /><br />「この魚も干してあるね」<br />「生よりむしろ生臭くない」<br />「NAGAレストランは頑張ってレアにお魚を焼いて出してくるけど…悪いけどこっちのが新鮮さを感じる」<br />「どういうこと?」<br />「最初から冷蔵庫がないなら、獲れた魚食べきれなければどうする?」<br />「そっか、獲れてすぐ干す」<br />「だろ。日本も昔はそうしてたよね。ここの人も同じなんだよ、きっと。新鮮なうちに加工した方が美味しさ長持ち」<br /><br />「このグニャグニャしたのは…」<br />「…なんだろう?」<br />「タコね。干したタコ、グリータ(インドネシア語)ね」<br />「なるほどねえ。美味いわ」

    現地度が高いワルンだけに、どんなお味かだいぶ警戒していましたが、美味しくて箸が進みます。

    「この魚も干してあるね」
    「生よりむしろ生臭くない」
    「NAGAレストランは頑張ってレアにお魚を焼いて出してくるけど…悪いけどこっちのが新鮮さを感じる」
    「どういうこと?」
    「最初から冷蔵庫がないなら、獲れた魚食べきれなければどうする?」
    「そっか、獲れてすぐ干す」
    「だろ。日本も昔はそうしてたよね。ここの人も同じなんだよ、きっと。新鮮なうちに加工した方が美味しさ長持ち」

    「このグニャグニャしたのは…」
    「…なんだろう?」
    「タコね。干したタコ、グリータ(インドネシア語)ね」
    「なるほどねえ。美味いわ」

  • 美味しくいただいて、マンゴージュースも追加しました。パウダーを氷水で割った駄菓子っぽいジュースですが、それはそれでよしです。冷たい氷が贅沢です。<br /><br />帰り際に、ここでリゾートのお客さんが食べていくのが珍しかったのか、お姉さんの家族の子供や仲良しの子たちが集まってきてくれました。<br /><br />写真を撮ったり日本から持ってきたシマエナガちゃんのシールをあげたりして、楽しいひと時を過ごせました。写真はここにアップしませんが、この旅行1番のお気に入りは彼女たちとの一枚です。

    美味しくいただいて、マンゴージュースも追加しました。パウダーを氷水で割った駄菓子っぽいジュースですが、それはそれでよしです。冷たい氷が贅沢です。

    帰り際に、ここでリゾートのお客さんが食べていくのが珍しかったのか、お姉さんの家族の子供や仲良しの子たちが集まってきてくれました。

    写真を撮ったり日本から持ってきたシマエナガちゃんのシールをあげたりして、楽しいひと時を過ごせました。写真はここにアップしませんが、この旅行1番のお気に入りは彼女たちとの一枚です。

  • 近くのお宅が鳥籠に鳥を飼っています。ちら、と見るとどうやらメジロのようです。メジロは全然見かけませんでしたが、捕まえてるということは、島にいるんですね。

    近くのお宅が鳥籠に鳥を飼っています。ちら、と見るとどうやらメジロのようです。メジロは全然見かけませんでしたが、捕まえてるということは、島にいるんですね。

  • お腹も膨れてリゾートに戻って、ここからはゴロゴロタイムです。

    お腹も膨れてリゾートに戻って、ここからはゴロゴロタイムです。

  • ビーチサイドのベッドで空を見上げてごろごろー…<br />ギリアサハン、思ったより昼間はムシムシして暑いのです。<br />こうして木陰でゴロゴロして風を感じていると気持ちいいのですが、日中、歩いていたり動いていると暑い~となってきます。<br />

    ビーチサイドのベッドで空を見上げてごろごろー…
    ギリアサハン、思ったより昼間はムシムシして暑いのです。
    こうして木陰でゴロゴロして風を感じていると気持ちいいのですが、日中、歩いていたり動いていると暑い~となってきます。

  • 子供を連れてボートを出して遊んでいるお母さんが横切っていきます。ムスリムなので長袖にヒジャブの恰好で、子供の載る船も引っ張って、ボートを漕いでいました。暑い中、お母さんは大変です。<br />また子供の載っている発泡スチロールの船がたくましいです。あるものを玩具にして、なんでも楽しんじゃえるのは素晴らしいです。

    子供を連れてボートを出して遊んでいるお母さんが横切っていきます。ムスリムなので長袖にヒジャブの恰好で、子供の載る船も引っ張って、ボートを漕いでいました。暑い中、お母さんは大変です。
    また子供の載っている発泡スチロールの船がたくましいです。あるものを玩具にして、なんでも楽しんじゃえるのは素晴らしいです。

  • ごろごろ~<br />Amaheliaはこじんまりしたリゾートなので、ビーチベッドの数は少な目。いつも誰かしら使っていることが多いです。

    ごろごろ~
    Amaheliaはこじんまりしたリゾートなので、ビーチベッドの数は少な目。いつも誰かしら使っていることが多いです。

    アマヘリア ラグジュアリー リゾート ホテル

  • NAGAレストランでバナナスムージーをオーダーしました。冷たくて生き返ります。

    NAGAレストランでバナナスムージーをオーダーしました。冷たくて生き返ります。

  • そうこうするうちに夕方になってきたので、午後のスノーケリングに出発です。<br /><br />ワイルドな西に行くか美しいハウスリーフの東に行くか…甲乙つけがたく迷いましたが、「ウミガメに逢えそうなのは西な気がする!」という理由で西にしました。<br /><br />最初に入った時にポイントは把握しているので、前より少し北側、まっすぐ沖に出ればポイントになる場所からエントリーです。<br />ウミガメにはまだ会えていないので、会えたらいいなァと思いつつ海に入ります。<br /><br />2024年1月1日、今年のはじまりにカメさんと会えるでしょうか?<br /><br />長くなってきたので、いったん切って続きます。

    そうこうするうちに夕方になってきたので、午後のスノーケリングに出発です。

    ワイルドな西に行くか美しいハウスリーフの東に行くか…甲乙つけがたく迷いましたが、「ウミガメに逢えそうなのは西な気がする!」という理由で西にしました。

    最初に入った時にポイントは把握しているので、前より少し北側、まっすぐ沖に出ればポイントになる場所からエントリーです。
    ウミガメにはまだ会えていないので、会えたらいいなァと思いつつ海に入ります。

    2024年1月1日、今年のはじまりにカメさんと会えるでしょうか?

    長くなってきたので、いったん切って続きます。

107いいね!

利用規約に違反している投稿は、報告する事ができます。 問題のある投稿を連絡する

コメントを投稿する前に

十分に確認の上、ご投稿ください。 コメントの内容は攻撃的ではなく、相手の気持ちに寄り添ったものになっていますか?

サイト共通ガイドライン(利用上のお願い)

報道機関・マスメディアの方へ 画像提供などに関するお問い合わせは、専用のお問い合わせフォームからお願いいたします。

この旅行で行ったホテル

この旅行で行ったグルメ・レストラン

旅の計画・記録

マイルに交換できるフォートラベルポイントが貯まる
フォートラベルポイントって?

インドネシアで使うWi-Fiはレンタルしましたか?

フォートラベル GLOBAL WiFiなら
インドネシア最安 294円/日~

  • 空港で受取・返却可能
  • お得なポイントがたまる

インドネシアの料金プランを見る

フォートラベル公式LINE@

おすすめの旅行記や旬な旅行情報、お得なキャンペーン情報をお届けします!
QRコードが読み取れない場合はID「@4travel」で検索してください。

\その他の公式SNSはこちら/

この旅行記の地図

拡大する

PAGE TOP