奄美大島旅行記(ブログ) 一覧に戻る
奄美大島でウミガメシュノーケリングとダイビング、そしてもちろんあちこち観光も楽しんできました。<br />

奄美大島でウミガメとシュノーケル&ダイビング

8いいね!

2023/11/11 - 2023/11/15

1197位(同エリア1721件中)

0

52

gomumari

gomumariさん

奄美大島でウミガメシュノーケリングとダイビング、そしてもちろんあちこち観光も楽しんできました。

旅行の満足度
4.5
観光
4.5
同行者
カップル・夫婦
交通手段
JALグループ
旅行の手配内容
個別手配
  • 【1日目】<br />空港到着後レンタカーを借りてまず向かったのが大島紬村。

    【1日目】
    空港到着後レンタカーを借りてまず向かったのが大島紬村。

  • 奄美大島紬の泥染めはシャリンバイ(テーチ木)という植物に含まれるタンニン酸と泥田の鉄分の化学反応を利用した染色法。<br />何度もシャリンバイの液に浸し、泥田で染めるという工程を繰り返すので、非常に時間と非常に時間と手間がかかる。<br /><br />

    奄美大島紬の泥染めはシャリンバイ(テーチ木)という植物に含まれるタンニン酸と泥田の鉄分の化学反応を利用した染色法。
    何度もシャリンバイの液に浸し、泥田で染めるという工程を繰り返すので、非常に時間と非常に時間と手間がかかる。

  • ここが泥染めをする田

    ここが泥染めをする田

  • 糸の染色にも時間がかかるけど、柄を合わせて織り上げるのも大変な作業。

    糸の染色にも時間がかかるけど、柄を合わせて織り上げるのも大変な作業。

  • 美しい模様ですね。<br />1日8時間作業して、織れるのは30cm程度ということだ。

    美しい模様ですね。
    1日8時間作業して、織れるのは30cm程度ということだ。

  • 【2日目】<br />ウミガメシュノーケルに参加。<br />こんな間近で泳げるのがすごい。

    【2日目】
    ウミガメシュノーケルに参加。
    こんな間近で泳げるのがすごい。

  • ウミガメが呼吸のために水面に顔を出すのは水温によって変わり、今頃の水温だと30分に1回程度らしい。<br /><br />お世話になったのはOCEANZというショップ。<br />水中、陸上で撮った様々な写真を、最後にダイジェスト版の動画にして送ってくれるのが素晴らしい!<br />よい記念になりました。

    ウミガメが呼吸のために水面に顔を出すのは水温によって変わり、今頃の水温だと30分に1回程度らしい。

    お世話になったのはOCEANZというショップ。
    水中、陸上で撮った様々な写真を、最後にダイジェスト版の動画にして送ってくれるのが素晴らしい!
    よい記念になりました。

  • 奄美パーク。<br />

    奄美パーク。

  • 中の展示がとても工夫されていて楽しめました。

    中の展示がとても工夫されていて楽しめました。

  • 土盛海岸。<br />もう少し晴れていればなあ。

    土盛海岸。
    もう少し晴れていればなあ。

  • お昼に入ったお店で、奄美牛丼(小)を。<br />朝ご飯たっぷり食べてしまったので、お昼は軽くすませました。<br /><br />ここでノルウェー人の女性と会い、一緒にランチを食べることに。<br />こういう展開も面白いです。<br /><br />店主も個性的な方で、地元の食材を使った調味料も各種製造販売しておられました。<br />うどんや牛丼にかけると風味が加わって美味しい。

    お昼に入ったお店で、奄美牛丼(小)を。
    朝ご飯たっぷり食べてしまったので、お昼は軽くすませました。

    ここでノルウェー人の女性と会い、一緒にランチを食べることに。
    こういう展開も面白いです。

    店主も個性的な方で、地元の食材を使った調味料も各種製造販売しておられました。
    うどんや牛丼にかけると風味が加わって美味しい。

  • 奄美パークではイベントが行われていたので、その時間に合わせて再訪。

    奄美パークではイベントが行われていたので、その時間に合わせて再訪。

  • 笠利崎の灯台から見下ろした景色<br />笠利崎は奄美大島最北端。

    笠利崎の灯台から見下ろした景色
    笠利崎は奄美大島最北端。

  • 笠利崎にいるカメ。

    笠利崎にいるカメ。

  • あやまる岬

    あやまる岬

  • ハートロック。<br />干潮の時しか現れないらしいけど、恐らくここのことだと思われます(^^;

    ハートロック。
    干潮の時しか現れないらしいけど、恐らくここのことだと思われます(^^;

  • ハートロックの近くにあるジェラート屋さん。<br />ざらめキャラメルと紅玉のジェラートにしました。<br />美味!

    ハートロックの近くにあるジェラート屋さん。
    ざらめキャラメルと紅玉のジェラートにしました。
    美味!

  • 【3日目】<br />この日、本当はダイビングをする予定でいたのですが、強風のため中止になり、車で観光の1日になりました。<br /><br />宮古崎は駐車場から1470m歩きます。

    【3日目】
    この日、本当はダイビングをする予定でいたのですが、強風のため中止になり、車で観光の1日になりました。

    宮古崎は駐車場から1470m歩きます。

  • 宮古崎まではリュウキユウチクの群生をかき分けて進みます。<br />リュウキユウチクが胸の高さまである所も。<br />

    宮古崎まではリュウキユウチクの群生をかき分けて進みます。
    リュウキユウチクが胸の高さまである所も。

  • 海の色が綺麗!!

    海の色が綺麗!!

  • 群倉(ボレグラ)と呼ばれる高床式の倉。<br />この屋根の材料に、リュウキュウチクが使われるらしい。<br />

    群倉(ボレグラ)と呼ばれる高床式の倉。
    この屋根の材料に、リュウキュウチクが使われるらしい。

  • ここに食料を貯蔵。<br />湿気やネズミから大事な食糧を守る工夫ですね。

    ここに食料を貯蔵。
    湿気やネズミから大事な食糧を守る工夫ですね。

  • 国直海岸はウミガメの産卵で有名。<br />ここでランチをしようと思ったけど、残念ながら目的のお店はお休みでした。<br />鶏が放し飼いになっていたのでパチリ。<br />

    国直海岸はウミガメの産卵で有名。
    ここでランチをしようと思ったけど、残念ながら目的のお店はお休みでした。
    鶏が放し飼いになっていたのでパチリ。

  • 奄美海洋展示館付近にあったベンチ。<br />リゾート感たっぷりでいいですね。<br />フィジーにもこんな感じのプールバーがあったな。

    奄美海洋展示館付近にあったベンチ。
    リゾート感たっぷりでいいですね。
    フィジーにもこんな感じのプールバーがあったな。

  • ウミガメバーガー。

    ウミガメバーガー。

  • 奄美海洋展示館でも面白い発見が色々ありました。<br /><br />これは奄美大島でしか見られないミステリーサークルを解説したもの。<br />これを作っているのはアマミホシゾラフグ。<br />4月中頃~7月中頃に見られるらしく、今度はこれを見に潜りに来たい!

    奄美海洋展示館でも面白い発見が色々ありました。

    これは奄美大島でしか見られないミステリーサークルを解説したもの。
    これを作っているのはアマミホシゾラフグ。
    4月中頃~7月中頃に見られるらしく、今度はこれを見に潜りに来たい!

  • これも興味深い話。<br />カメの性別は、卵から孵化するまでの間のその場所の温度で決まるというもの。<br />知らなかった!

    これも興味深い話。
    カメの性別は、卵から孵化するまでの間のその場所の温度で決まるというもの。
    知らなかった!

  • ここではカメに餌をやることができます。

    ここではカメに餌をやることができます。

  • 屋外も魅力的。

    屋外も魅力的。

  • 夕ご飯で食べた鶏飯という郷土料理。<br />ショウガやユズの風味も美味しかった。

    夕ご飯で食べた鶏飯という郷土料理。
    ショウガやユズの風味も美味しかった。

  • アバス(ハリセンボン)の唐揚げ

    アバス(ハリセンボン)の唐揚げ

  • メニューを見ただけでは何なのかよくわからないものも多い。

    メニューを見ただけでは何なのかよくわからないものも多い。

  • 【4日目】<br />前日は強風のため中止になったダイビングでしたが、この日は大丈夫でした。<br /><br />ただし、寒い!<br />こんな寒い日にダイビングしたのは初めて。<br /><br />ウエットスーツはレンタルでしたが、5mmウエット+フード付きベストも貸していただけて助かりました。<br />

    【4日目】
    前日は強風のため中止になったダイビングでしたが、この日は大丈夫でした。

    ただし、寒い!
    こんな寒い日にダイビングしたのは初めて。

    ウエットスーツはレンタルでしたが、5mmウエット+フード付きベストも貸していただけて助かりました。

  • でも、海の中は想像以上に綺麗!<br />クマノミも沢山いました。

    でも、海の中は想像以上に綺麗!
    クマノミも沢山いました。

  • これはパラオハマサンゴというらしい。群生していました。

    これはパラオハマサンゴというらしい。群生していました。

  • 白砂に現れる風紋も綺麗

    白砂に現れる風紋も綺麗

  • ガイドさんがホシテンスの幼魚を見せてくれました。<br />3cmぐらいで黄色くヒラヒラしており、小さい葉っぱにしか見えない。<br /><br />海の生き物は面白いものが沢山います。

    ガイドさんがホシテンスの幼魚を見せてくれました。
    3cmぐらいで黄色くヒラヒラしており、小さい葉っぱにしか見えない。

    海の生き物は面白いものが沢山います。

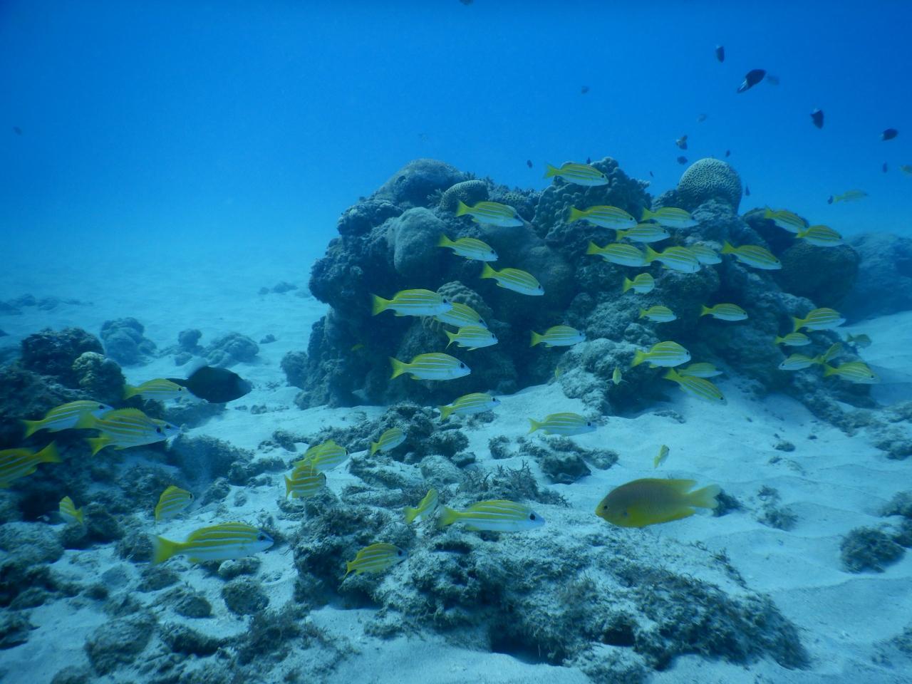
  • 魚の乱舞その1

    魚の乱舞その1

  • その2<br /><br />

    その2

  • ノコギリダイの群れ

    ノコギリダイの群れ

  • クマノミはいつ見ても可愛い。

    クマノミはいつ見ても可愛い。

  • ホンハナシャコ

    ホンハナシャコ

  • 魚の乱舞その3<br /><br />砂地に岩がある所をオアシスと呼ぶらしいけど、ずーっと潜っていたくなるような場所でした。<br /><br />エンドレスブルーのスタッフの皆さん、お世話になりました!

    魚の乱舞その3

    砂地に岩がある所をオアシスと呼ぶらしいけど、ずーっと潜っていたくなるような場所でした。

    エンドレスブルーのスタッフの皆さん、お世話になりました!

  • 【5日目】<br /><br />奄美大島世界遺産センター<br />無料なのにとても工夫された展示で見ごたえがあります。<br />

    【5日目】

    奄美大島世界遺産センター
    無料なのにとても工夫された展示で見ごたえがあります。

  • 夜にも変わります。

    夜にも変わります。

  • 建物も立派

    建物も立派

  • マングローブ原生林<br />展望台からの眺め

    マングローブ原生林
    展望台からの眺め

  • 石抱きガジュマル

    石抱きガジュマル

  • これは高知山展望台からの眺め

    これは高知山展望台からの眺め

  • これが展望台。<br />駐車場から少々歩きます。<br /><br />今回も盛り沢山な内容の旅でした。<br />奄美大島は沖縄ほど観光客多くなく、海も綺麗。<br />また行きたいな。

    これが展望台。
    駐車場から少々歩きます。

    今回も盛り沢山な内容の旅でした。
    奄美大島は沖縄ほど観光客多くなく、海も綺麗。
    また行きたいな。

8いいね!

利用規約に違反している投稿は、報告する事ができます。 問題のある投稿を連絡する

コメントを投稿する前に

十分に確認の上、ご投稿ください。 コメントの内容は攻撃的ではなく、相手の気持ちに寄り添ったものになっていますか?

サイト共通ガイドライン(利用上のお願い)

報道機関・マスメディアの方へ 画像提供などに関するお問い合わせは、専用のお問い合わせフォームからお願いいたします。

旅の計画・記録

マイルに交換できるフォートラベルポイントが貯まる
フォートラベルポイントって?

フォートラベル公式LINE@

おすすめの旅行記や旬な旅行情報、お得なキャンペーン情報をお届けします!
QRコードが読み取れない場合はID「@4travel」で検索してください。

\その他の公式SNSはこちら/

タグから国内旅行記(ブログ)を探す

PAGE TOP