セブ島旅行記(ブログ) 一覧に戻る
今回は元旦は日本で過ごさなくては・・・ということで、年明けてから旅行に行くか、年越しまでに帰国するかの2択。<br />いずれにしろ5日間がMaxのダイビング海外旅行としては やや弾丸スケジュールの為、直行便で行けるところ&現地空港から陸路で行けるところ・・・ということで相方様と選んだのはフィリピンのモアルボアル。<br />移動日の初日と帰国日を抜かした3日間を潜り倒し&癒されまくりの旅行と相成りました♪<br /><br />写真が多いため(但し相変わらず多いのは海写真のみです(笑))、下記の3本立てに分けてお送りします。<br /><br />旅行記① モアルボアルへ移動日&2日目 Marine Sanctuary, House Reef, Night Dive 編 <br />https://4travel.jp/travelogue/11596612<br />旅行記② 3日目 Pescador West, Panagsama, Kasai Wall 編 →イマココ<br />https://4travel.jp/travelogue/11598786<br />旅行記③ 4日 Airplane, Dolphine House, Tuble &モアルボアルから移動日 編<br />https://4travel.jp/travelogue/11598789<br /><br />***キリトル*********以下 スケジュール と かかった金額*********キリトル***<br /><br />≪スケジュール≫<br />12月27日<br /> 14:25発 東京(成田空港)→18:55着 セブ(セブ国際空港) PR 433<br />12月28日<br /> ダイビング<br /> 夜:リゾート ガゼボでマッサージ&夕飯<br />12月29日<br /> ダイビング<br /> 夜:パナグサマでマッサージ&夕飯<br />12月30日<br /> ダイビング<br /> 夜:パナグサマでマッサージ&夕飯<br />12月31日<br /> 15:00発セブ(セブ国際空港) →20:30着 東京(成田空港) PR 436 <br /><br />≪飛行機・宿 (料金概算含)≫<br /><br />飛行機 + 宿泊、送迎、ダイビング1人9本ずつ、毎朝・昼食&夕食1回、マッサージ1時間1回分等、リゾートで使った金額<br />●2人分総額: 約335,200円(一人当たり 約167,600円)●<br />*夕飯2回・マッサージ2回・コンビニ立ち寄り・お土産代等、リゾート以外で使った金額は別途。記録がないので既に不明(笑)<br /><br />↓↓↓↓↓詳細↓↓↓↓↓<br /><br />  【飛行機 】:フィリピン航空 <br />往復2名196,420円込々(1人あたり 98,210円)<br /><br />  【リゾート手配 マクタン空港 送迎】<br />:行き(夜間料金)2,700ペソ(5,670円)×サービスチャージ10% リゾートチェックアウト時、他会計と一緒に支払い<br />:帰り 2,500ペソ(5,250円) 直接ドライバーに支払い<br /><br />  【宿泊】:The Blue Orchid Resort Moalboal<br />       (ブルー オキッド リゾート モアルボアル)<br />                  https://blueorchidresort.com/<br /><ホテル直予約> : レート 1ペソ=2.1円 支払い方法:クレジットカード不可、Paypal(手数料 4.9%)、ペソ・円含む各種現金<br />Diving Package : 5 days/4 nights for 2<br /><<ダブルデラックスルーム4泊+12ダイブ (1人6ダイブずつ)含む>><br />海向き2階テラスあり、部屋サイズ: 25平米;、ホットシャワー、キングサイズベット(蚊帳あり)、リンスインシャンプー、石鹸、タオル(交換2日に1回、希望すれば随時)<br />●基本ピークシーズン料金2人分43,120ペソ(90,552円)●<br /> うち8,624ペソ(19,042円)デポジット予約完了時にPaypal経由にて事前支払い<br /><br /> 2人で6ダイブ追加し、トータル18ダイブ(1人9ダイブ)<br />30日夜、30日までのダイビングパッケージ分、片道送迎、リゾートでの全飲食、マッサージをまとめて先にチェックアウト支払い<br />=2人分総額62,481ペソ (131,210円)<br />31日 帰る直前にチェックアウト支払い後の飲食分支払い=1,084ペソ(2,276円)<br />●最終リゾートで使用した2人分の総金額 63,565ペソ(133,486円)●<br /><br />***キリトル*********以上 スケジュール と かかった金額*********キリトル***

モアルボアル 年末ダイビング旅②

18いいね!

2019/12/27 - 2019/12/31

1533位(同エリア3945件中)

旅行記グループ 2019年末 モアルボアル

0

32

Keico

Keicoさん

この旅行記のスケジュール

この旅行記スケジュールを元に

今回は元旦は日本で過ごさなくては・・・ということで、年明けてから旅行に行くか、年越しまでに帰国するかの2択。
いずれにしろ5日間がMaxのダイビング海外旅行としては やや弾丸スケジュールの為、直行便で行けるところ&現地空港から陸路で行けるところ・・・ということで相方様と選んだのはフィリピンのモアルボアル。
移動日の初日と帰国日を抜かした3日間を潜り倒し&癒されまくりの旅行と相成りました♪

写真が多いため(但し相変わらず多いのは海写真のみです(笑))、下記の3本立てに分けてお送りします。

旅行記① モアルボアルへ移動日&2日目 Marine Sanctuary, House Reef, Night Dive 編 
https://4travel.jp/travelogue/11596612
旅行記② 3日目 Pescador West, Panagsama, Kasai Wall 編 →イマココ
https://4travel.jp/travelogue/11598786
旅行記③ 4日 Airplane, Dolphine House, Tuble &モアルボアルから移動日 編
https://4travel.jp/travelogue/11598789

***キリトル*********以下 スケジュール と かかった金額*********キリトル***

≪スケジュール≫
12月27日
 14:25発 東京(成田空港)→18:55着 セブ(セブ国際空港) PR 433
12月28日
 ダイビング
 夜:リゾート ガゼボでマッサージ&夕飯
12月29日
 ダイビング
 夜:パナグサマでマッサージ&夕飯
12月30日
 ダイビング
 夜:パナグサマでマッサージ&夕飯
12月31日
 15:00発セブ(セブ国際空港) →20:30着 東京(成田空港) PR 436

≪飛行機・宿 (料金概算含)≫

飛行機 + 宿泊、送迎、ダイビング1人9本ずつ、毎朝・昼食&夕食1回、マッサージ1時間1回分等、リゾートで使った金額
●2人分総額: 約335,200円(一人当たり 約167,600円)●
*夕飯2回・マッサージ2回・コンビニ立ち寄り・お土産代等、リゾート以外で使った金額は別途。記録がないので既に不明(笑)

↓↓↓↓↓詳細↓↓↓↓↓

  【飛行機 】:フィリピン航空 
往復2名196,420円込々(1人あたり 98,210円)

 【リゾート手配 マクタン空港 送迎】
:行き(夜間料金)2,700ペソ(5,670円)×サービスチャージ10% リゾートチェックアウト時、他会計と一緒に支払い
:帰り 2,500ペソ(5,250円) 直接ドライバーに支払い

  【宿泊】:The Blue Orchid Resort Moalboal
       (ブルー オキッド リゾート モアルボアル)
https://blueorchidresort.com/
<ホテル直予約> : レート 1ペソ=2.1円 支払い方法:クレジットカード不可、Paypal(手数料 4.9%)、ペソ・円含む各種現金
Diving Package : 5 days/4 nights for 2
<<ダブルデラックスルーム4泊+12ダイブ (1人6ダイブずつ)含む>>
海向き2階テラスあり、部屋サイズ: 25平米;、ホットシャワー、キングサイズベット(蚊帳あり)、リンスインシャンプー、石鹸、タオル(交換2日に1回、希望すれば随時)
●基本ピークシーズン料金2人分43,120ペソ(90,552円)●
 うち8,624ペソ(19,042円)デポジット予約完了時にPaypal経由にて事前支払い

 2人で6ダイブ追加し、トータル18ダイブ(1人9ダイブ)
30日夜、30日までのダイビングパッケージ分、片道送迎、リゾートでの全飲食、マッサージをまとめて先にチェックアウト支払い
=2人分総額62,481ペソ (131,210円)
31日 帰る直前にチェックアウト支払い後の飲食分支払い=1,084ペソ(2,276円)
●最終リゾートで使用した2人分の総金額 63,565ペソ(133,486円)●

***キリトル*********以上 スケジュール と かかった金額*********キリトル***

旅行の満足度
4.5
観光
4.5
ホテル
5.0
グルメ
3.5
同行者
カップル・夫婦
一人あたり費用
15万円 - 20万円
旅行の手配内容
個別手配
  • 12月29日、晴天!<br />今日もダイビング楽しく、安全第一で頑張ります♪

    12月29日、晴天!
    今日もダイビング楽しく、安全第一で頑張ります♪

  • ゆったり朝食を食べて、いざ、乗船♪<br /><br />と・・・船に向かっていたら担当ガイドのNがニコニコ顔で呼ぶので見に行ったらヒョウモンダコでした!<br />初めて見た~。<br />猛毒だって知らなかったらウッカリ触ってしまいそうなくらい可愛いです。

    ゆったり朝食を食べて、いざ、乗船♪

    と・・・船に向かっていたら担当ガイドのNがニコニコ顔で呼ぶので見に行ったらヒョウモンダコでした!
    初めて見た~。
    猛毒だって知らなかったらウッカリ触ってしまいそうなくらい可愛いです。

  • この日1本目はモアルボアルと言ったら・・・のペスカドールまで遠征です。<br />ギラギラ太陽が気持ちいい。<br /><br />リゾート宿泊の他のダイバーさん、シュノーケラーさんとご一緒です。

    この日1本目はモアルボアルと言ったら・・・のペスカドールまで遠征です。
    ギラギラ太陽が気持ちいい。

    リゾート宿泊の他のダイバーさん、シュノーケラーさんとご一緒です。

  • ペスカドールは到着したら激混み!<br />ボートマン、ガイドたちも「うへえ・・・」って顔でした(笑)<br />このリゾートのスタッフたちは混みあっている海より貸し切り位のポイントが好きみたいです。・・・私もです・・・(笑)<br />どの船も満員御礼 詰め込み状態。<br />エントリーするとここは夏の伊豆かって位ダイバーいっぱい、シュノーケラーもいっぱい。<br />流石メジャーダイビングポイントです。<br />よく事故起きないな~、大人数で潜っているところは何組かロストしてそう・・・。<br /><br /><Pescador West>

    ペスカドールは到着したら激混み!
    ボートマン、ガイドたちも「うへえ・・・」って顔でした(笑)
    このリゾートのスタッフたちは混みあっている海より貸し切り位のポイントが好きみたいです。・・・私もです・・・(笑)
    どの船も満員御礼 詰め込み状態。
    エントリーするとここは夏の伊豆かって位ダイバーいっぱい、シュノーケラーもいっぱい。
    流石メジャーダイビングポイントです。
    よく事故起きないな~、大人数で潜っているところは何組かロストしてそう・・・。

    <Pescador West>

  • ちなみに混みあっているせいも多少ありますが、この日は浮遊物も多かったです。<br /><br />証拠写真的に失敗作をアップします。<br />ストロボを何も考えずにたくとこんな感じでハレーションがっつり。<br /><br /><Pescador West>

    ちなみに混みあっているせいも多少ありますが、この日は浮遊物も多かったです。

    証拠写真的に失敗作をアップします。
    ストロボを何も考えずにたくとこんな感じでハレーションがっつり。

    <Pescador West>

  • 写真はあきらめてダイビング自体を楽しみました。<br />流石人気スポットだけあって魚影は濃かったです。<br />ウミウシも群れています。<br /><br /><Pescador West>

    写真はあきらめてダイビング自体を楽しみました。
    流石人気スポットだけあって魚影は濃かったです。
    ウミウシも群れています。

    <Pescador West>

  • ペスカドールで行きたくてリクエストしていたカセドラル<br /><br /><Pescador West>

    ペスカドールで行きたくてリクエストしていたカセドラル

    <Pescador West>

  • 気配を感じ、とっさに撮った一枚。<br />急にこの群れが現れて感激。<br /><br /><Pescador West>

    気配を感じ、とっさに撮った一枚。
    急にこの群れが現れて感激。

    <Pescador West>

  • 浅場のサンゴはこんな感じ。<br />これはシュノーケルも楽しいな!<br /><br /><Pescador West>

    浅場のサンゴはこんな感じ。
    これはシュノーケルも楽しいな!

    <Pescador West>

  • そろそろエグジット・・・とカメラをしまう準備をしていた時に会ったツバメウオ。<br />しょっちゅう安全停止のエグジット直前に撮りたくなる被写体が現れる(笑)<br /><br /><Pescador West><br /><br />この日はPescadorから直接次のポイントへ。<br />モアルボアルといえば、の第二弾。<br />サーディンランを見にパナグサマビーチへ。

    そろそろエグジット・・・とカメラをしまう準備をしていた時に会ったツバメウオ。
    しょっちゅう安全停止のエグジット直前に撮りたくなる被写体が現れる(笑)

    <Pescador West>

    この日はPescadorから直接次のポイントへ。
    モアルボアルといえば、の第二弾。
    サーディンランを見にパナグサマビーチへ。

  • ここも人気スポットなのでシュノーケラー、ダイバーで大混雑ですが、それを上回るイワシの群れなので人影が隠れちゃいます!<br /><br /><Panagsama Beach>

    ここも人気スポットなのでシュノーケラー、ダイバーで大混雑ですが、それを上回るイワシの群れなので人影が隠れちゃいます!

    <Panagsama Beach>

  • 潜る前に相方様にお願いしていてダイバーが群れに飲まれる写真の練習もしました♪<br />でも難しい!<br /><br /><Panagsama Beach>

    潜る前に相方様にお願いしていてダイバーが群れに飲まれる写真の練習もしました♪
    でも難しい!

    <Panagsama Beach>

  • 群れ、接写<br /><br /><Panagsama Beach>

    群れ、接写

    <Panagsama Beach>

  • 群れの合間にちょこちょこガイドのNは面白いものがいると見せてくれました。<br />今回は上手く光り具合が撮れなかったけどウコンハネガイ。<br /><br /><Panagsama Beach>

    群れの合間にちょこちょこガイドのNは面白いものがいると見せてくれました。
    今回は上手く光り具合が撮れなかったけどウコンハネガイ。

    <Panagsama Beach>

  • 帰りの船で、シュノーケルをやっていたティーンネイジャー連れウェスタンご家族に「シュノーケルで沢山イワシ見れました?」と言ったら、お姉ちゃんが興奮冷めやらずで「すごい楽しかった!ダイビングだとアレが下から見られるんでしょう?いいなあ!」と・・・<br />将来有望です(笑)<br /><br /><Panagsama Beach>

    帰りの船で、シュノーケルをやっていたティーンネイジャー連れウェスタンご家族に「シュノーケルで沢山イワシ見れました?」と言ったら、お姉ちゃんが興奮冷めやらずで「すごい楽しかった!ダイビングだとアレが下から見られるんでしょう?いいなあ!」と・・・
    将来有望です(笑)

    <Panagsama Beach>

  • 一旦ホテルに戻ってランチタイム。<br />相方様はこの写真右にあるスプリングロールがお気に入りで毎昼食頼んでいました。<br />確かに飽きない、野菜たっぷりでおいしかった!<br /><br />ちなみにリゾートでの飲食したもののそれぞれの金額(夕飯は旅行記①に書いたのでそれ以外)を下記に・・・<br />素敵リゾートなのでもちろん激安ではないけど、良心的なお値段です。<br />そしてどれも納得のお味。<br /><br /> 朝食:フィリピンブレックファスト 240ペソ、イングリッシュブレックファスト 290ペソ<br /> 昼食:野菜スプリングロール 190ペソ、オニオンリング 185ペソ、ツナサラダサンド 215ペソ<br /> ドリンク:<br /><ノンアルコール>1Lペットボトル水 50ペソ(無料のウォーターサーバーもあり)、コーラ 50ペソ、ブリュードコーヒー 100ペソ、アイスコーヒー 130ペソ、ジンジャーカラマンシーティー 110ペソ、バナナシェイク 110ペソ、マンゴージュース 130ペソ、マンゴーシェイク 150ペソ、ピーナツバター&バナナシェイク 150ペソ、ミックスシェイク 165ペソ、<br /><アルコール>サンミゲル ピルセン(ビール) 75ペソ、サンミゲル ライト(ビール) 85ペソ、クラフトビール 250ペソ、ピニャコラーダ 250ペソ

    一旦ホテルに戻ってランチタイム。
    相方様はこの写真右にあるスプリングロールがお気に入りで毎昼食頼んでいました。
    確かに飽きない、野菜たっぷりでおいしかった!

    ちなみにリゾートでの飲食したもののそれぞれの金額(夕飯は旅行記①に書いたのでそれ以外)を下記に・・・
    素敵リゾートなのでもちろん激安ではないけど、良心的なお値段です。
    そしてどれも納得のお味。

     朝食:フィリピンブレックファスト 240ペソ、イングリッシュブレックファスト 290ペソ
     昼食:野菜スプリングロール 190ペソ、オニオンリング 185ペソ、ツナサラダサンド 215ペソ
     ドリンク:
    <ノンアルコール>1Lペットボトル水 50ペソ(無料のウォーターサーバーもあり)、コーラ 50ペソ、ブリュードコーヒー 100ペソ、アイスコーヒー 130ペソ、ジンジャーカラマンシーティー 110ペソ、バナナシェイク 110ペソ、マンゴージュース 130ペソ、マンゴーシェイク 150ペソ、ピーナツバター&バナナシェイク 150ペソ、ミックスシェイク 165ペソ、
    <アルコール>サンミゲル ピルセン(ビール) 75ペソ、サンミゲル ライト(ビール) 85ペソ、クラフトビール 250ペソ、ピニャコラーダ 250ペソ

  • ランチは海が見えるガゼボでのーんびりいただいていました。<br />いつも誰もいなかったので毎昼食 特等席でした。

    ランチは海が見えるガゼボでのーんびりいただいていました。
    いつも誰もいなかったので毎昼食 特等席でした。

  • ランチ休憩をしっかりとって午後のダイビングへGOです。<br />午後は今回滞在中唯一お会いした日本人のシュノーケルをやられるご夫婦と私たちダイバーの2組だけです。<br /><br />こじんまりリゾートだけど、部屋数自体も16室しかないし、沢山まったりするスペースがあるからそれぞれのお気に入りで寛ぐためか、結局このご夫妻とお会いできたのはこの時だけでした。

    ランチ休憩をしっかりとって午後のダイビングへGOです。
    午後は今回滞在中唯一お会いした日本人のシュノーケルをやられるご夫婦と私たちダイバーの2組だけです。

    こじんまりリゾートだけど、部屋数自体も16室しかないし、沢山まったりするスペースがあるからそれぞれのお気に入りで寛ぐためか、結局このご夫妻とお会いできたのはこの時だけでした。

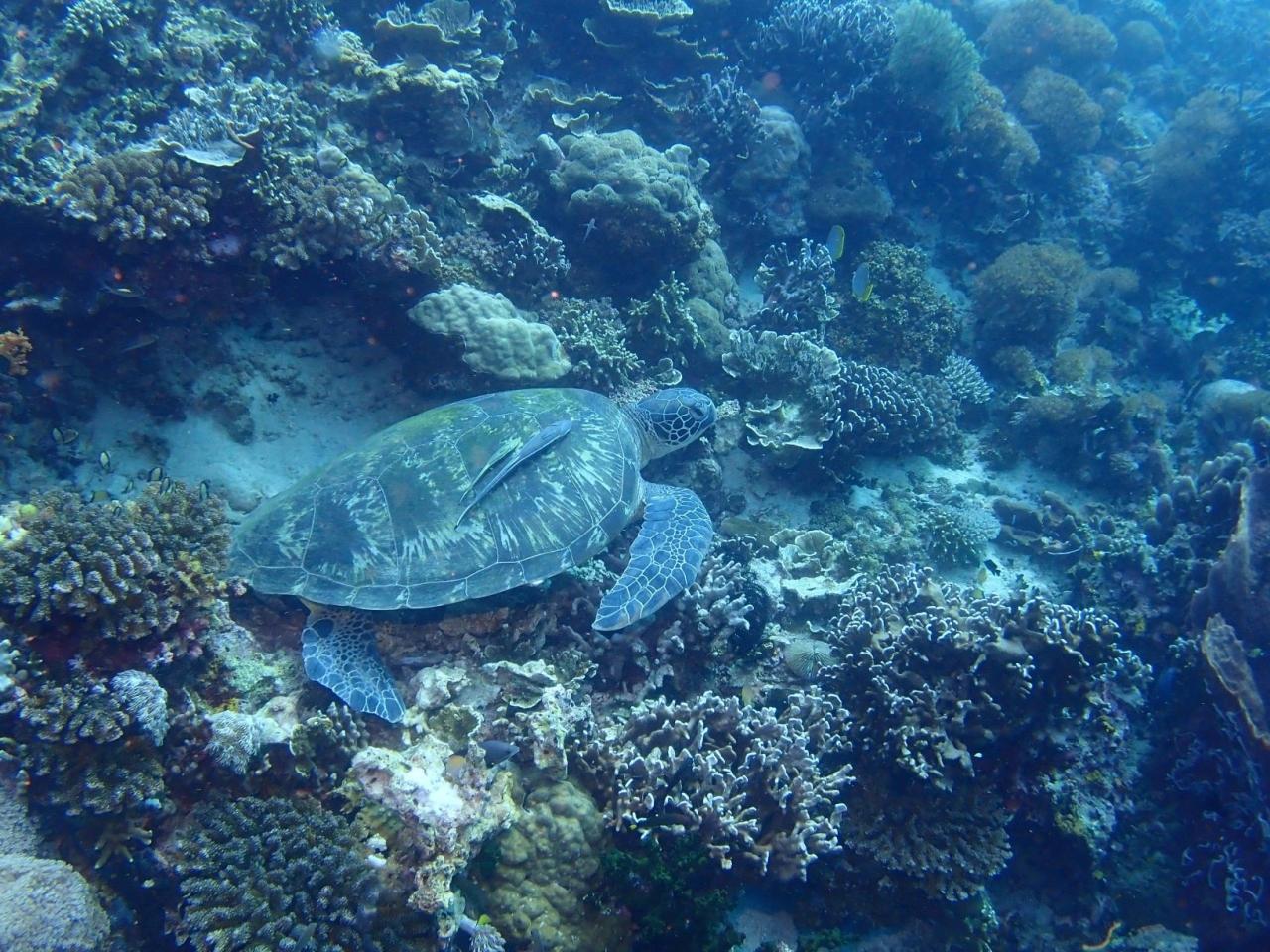
  • 潜る前に「カエルアンコウが見たい!」とガイドのNにリクエスト。<br />で、潜行直後に見つけてくれたのがこのコ。<br />ぶさかわ~<br /><br /><Kasai Wall>

    潜る前に「カエルアンコウが見たい!」とガイドのNにリクエスト。
    で、潜行直後に見つけてくれたのがこのコ。
    ぶさかわ~

    <Kasai Wall>

  • Wallダイビングだけあってドロップオフが綺麗♪<br /><br /><Kasai Wall>

    Wallダイビングだけあってドロップオフが綺麗♪

    <Kasai Wall>

  • 相変わらずエビの写真、へたくそな私です。<br /><br /><Kasai Wall>

    相変わらずエビの写真、へたくそな私です。

    <Kasai Wall>

  • 巨大ウミウチワの裏を覗くと小魚わっしゃーーーー!<br /><br /><Kasai Wall>

    巨大ウミウチワの裏を覗くと小魚わっしゃーーーー!

    <Kasai Wall>

  • エビ、再チャレンジ<br /><br /><Kasai Wall>

    エビ、再チャレンジ

    <Kasai Wall>

  • またもやエグジット直前に撮りたい被写体に遭遇。<br />急いでレンズカバーを外してパチリ。<br />ヘコアユの群れ。<br /><br /><Kasai Wall>

    またもやエグジット直前に撮りたい被写体に遭遇。
    急いでレンズカバーを外してパチリ。
    ヘコアユの群れ。

    <Kasai Wall>

  • 前日はナイトダイビングをしたのでこの日はサンセット&ビールを満喫。<br />ちょうどこの時間はリゾートのバーはHappy Hourです。わっほい♪<br />相方様はサンミゲルライト、私はクラフトビールに挑戦。<br /><br />至福の時間~<br /><br />マッタリしていたら白人のオジサンに日本語で「日本人ですか?」と話しかけられました。<br />よくいる日本好きの欧米人のおじさんかな?と思ったら、オーナーさんでした。<br />なんと6か国語を操るマルチリンガルのオジサマです。<br />しかも、合気道の師範だとか!<br />前日、マッサージで聞こえてきた「イチ、ニ、サン、シ・・・」は合気道の稽古の掛け声だったそうです。<br />まさかフィリピンの田舎で合気道師範に会うとは思いもしなかったです。<br />生徒たちを日本にも試合で連れて行ったりするそう。<br />なるほど・・・ここのリゾートはローカルスタッフも皆とても礼儀正しくて、親切で、かつフレンドリーで、働いているのを楽しんでいる感じがします。<br />このオーナーさんのローカルの人たちからの人望が厚いから、スタッフもいい人たちが集まるのかなあ?と思いました。<br />

    前日はナイトダイビングをしたのでこの日はサンセット&ビールを満喫。
    ちょうどこの時間はリゾートのバーはHappy Hourです。わっほい♪
    相方様はサンミゲルライト、私はクラフトビールに挑戦。

    至福の時間~

    マッタリしていたら白人のオジサンに日本語で「日本人ですか?」と話しかけられました。
    よくいる日本好きの欧米人のおじさんかな?と思ったら、オーナーさんでした。
    なんと6か国語を操るマルチリンガルのオジサマです。
    しかも、合気道の師範だとか!
    前日、マッサージで聞こえてきた「イチ、ニ、サン、シ・・・」は合気道の稽古の掛け声だったそうです。
    まさかフィリピンの田舎で合気道師範に会うとは思いもしなかったです。
    生徒たちを日本にも試合で連れて行ったりするそう。
    なるほど・・・ここのリゾートはローカルスタッフも皆とても礼儀正しくて、親切で、かつフレンドリーで、働いているのを楽しんでいる感じがします。
    このオーナーさんのローカルの人たちからの人望が厚いから、スタッフもいい人たちが集まるのかなあ?と思いました。

  • リゾートの飼い犬、メイプル。<br />とても人懐っこくて可愛い!<br />お客さんに愛想ふりまいても、この時間はみんなサンセットに夢中で、メイプル、拗ね気味(笑)

    リゾートの飼い犬、メイプル。
    とても人懐っこくて可愛い!
    お客さんに愛想ふりまいても、この時間はみんなサンセットに夢中で、メイプル、拗ね気味(笑)

  • はあ~!海旅、最高♪

    はあ~!海旅、最高♪

  • 太陽が沈み切った後のトワイライトタイムも最高♪

    太陽が沈み切った後のトワイライトタイムも最高♪

  • サンセットを思う存分満喫して、繁華街のパナグサマエリアに行くためにトライシクル手配をお願い。<br />で、トライシクルが来るまで、マネージャーAと雑談しながらもう一杯♪<br /><br />メイプル「ええ?まだ飲むの?そこにいるならワタシを構ってよう!」<br />

    サンセットを思う存分満喫して、繁華街のパナグサマエリアに行くためにトライシクル手配をお願い。
    で、トライシクルが来るまで、マネージャーAと雑談しながらもう一杯♪

    メイプル「ええ?まだ飲むの?そこにいるならワタシを構ってよう!」

  • トライシクルが来たので、いざ、パナグサマへ。<br />あ、リゾートの周りの道はエキサイティングな悪路ですのでトライシクル乗る前に酔っぱらいすぎないように!<br />さもないと、トライシクルから落ちます、多分(笑)<br /><br />ちなみにトライシクルは往復で500ペソです。<br />行きの下車時に帰りの時間と場所の待ち合わせを決める感じです。

    トライシクルが来たので、いざ、パナグサマへ。
    あ、リゾートの周りの道はエキサイティングな悪路ですのでトライシクル乗る前に酔っぱらいすぎないように!
    さもないと、トライシクルから落ちます、多分(笑)

    ちなみにトライシクルは往復で500ペソです。
    行きの下車時に帰りの時間と場所の待ち合わせを決める感じです。

  • どこにいくかも全く考えていなかったのでトライシクルドライバーのおじさんに「マッサージ」と「夕飯が食べたい」と連れて行ってもらいました。<br /><br />お店の名前、憶えていません(笑)<br />ググってみたけど該当しそうなものも見つからず。<br />広めのレストランと隣に漢字の名前の付いたマッサージ屋さん併設。<br />斜め前にローカル向けのコンビニ風サリサリストアあり。<br /><br />レストランは中華風フィリピン料理、シーフードもあり。<br />量は大量!<br /><br />ここでマッサージしてそのままご飯を食べました。<br />ご飯は、まあ、大味。不味くはないけど、リピするほどではないかな?<br /><br />マッサージはハチマキ風ヘアバンドをしたおばちゃんが担当してくれてとても上手!

    どこにいくかも全く考えていなかったのでトライシクルドライバーのおじさんに「マッサージ」と「夕飯が食べたい」と連れて行ってもらいました。

    お店の名前、憶えていません(笑)
    ググってみたけど該当しそうなものも見つからず。
    広めのレストランと隣に漢字の名前の付いたマッサージ屋さん併設。
    斜め前にローカル向けのコンビニ風サリサリストアあり。

    レストランは中華風フィリピン料理、シーフードもあり。
    量は大量!

    ここでマッサージしてそのままご飯を食べました。
    ご飯は、まあ、大味。不味くはないけど、リピするほどではないかな?

    マッサージはハチマキ風ヘアバンドをしたおばちゃんが担当してくれてとても上手!

  • 10時に再度ドライバーとお店前で待ち合わせをしていたのでそのまま食後はリゾートへ戻りました。<br /><br />満喫の一日も終わり。<br />翌日に備えておやすみなさーい。

    10時に再度ドライバーとお店前で待ち合わせをしていたのでそのまま食後はリゾートへ戻りました。

    満喫の一日も終わり。
    翌日に備えておやすみなさーい。

18いいね!

利用規約に違反している投稿は、報告する事ができます。 問題のある投稿を連絡する

コメントを投稿する前に

十分に確認の上、ご投稿ください。 コメントの内容は攻撃的ではなく、相手の気持ちに寄り添ったものになっていますか?

サイト共通ガイドライン(利用上のお願い)

報道機関・マスメディアの方へ 画像提供などに関するお問い合わせは、専用のお問い合わせフォームからお願いいたします。

旅の計画・記録

マイルに交換できるフォートラベルポイントが貯まる
フォートラベルポイントって?

フィリピンで使うWi-Fiはレンタルしましたか?

フォートラベル GLOBAL WiFiなら
フィリピン最安 356円/日~

  • 空港で受取・返却可能
  • お得なポイントがたまる

フィリピンの料金プランを見る

フォートラベル公式LINE@

おすすめの旅行記や旬な旅行情報、お得なキャンペーン情報をお届けします!
QRコードが読み取れない場合はID「@4travel」で検索してください。

\その他の公式SNSはこちら/

タグから海外旅行記(ブログ)を探す

この旅行記の地図

拡大する

PAGE TOP