石垣島旅行記(ブログ) 一覧に戻る
初めての石垣島旅行、滞在3日目。<br />石垣島でのスノーケリング2回目は、事前に色々と調べておいた米原海岸へ。<br />前日はボートスノーケリングのツアーを楽しみましたが、今回はビーチエントリーで自分たちだけでのスノーケリングです。<br />ネットで情報収集した際、米原海岸はリーフカレントがあり危険だという話も読みましたが、時間帯と場所を選べば安全だと判断し、行ってきました。<br /><br />この日は新しい水中用のコンデジを使うのも2回目。<br />初回の白保でのスノーケリングの時より、だいぶ上手に撮れるようになったような…<br />この旅行記はあくまで自分の記憶・記録用ということで。<br /><br />それにしても、お魚の名前を調べるのは難しい!<br />名前に自信がなくて、XXかな?という表記が結構出てきます…<br /><br />前日のボートスノーケリングの様子はこちら<br />↓<br />https://4travel.jp/travelogue/11277839<br /><br />石垣島の旅全体の旅行記はこちら<br />↓<br />https://4travel.jp/travelogue/11278336<br /><br />初日に訪れた竹富島の様子はこちら<br />↓<br />https://4travel.jp/travelogue/11276576<br />

Snorkeling Log - Yonehara Kaigan, Ishigaki, Okinawa (August 2017)

7いいね!

2017/08/26 - 2017/08/29

4132位(同エリア5871件中)

0

107

Ai Ai

Ai Aiさん

初めての石垣島旅行、滞在3日目。
石垣島でのスノーケリング2回目は、事前に色々と調べておいた米原海岸へ。
前日はボートスノーケリングのツアーを楽しみましたが、今回はビーチエントリーで自分たちだけでのスノーケリングです。
ネットで情報収集した際、米原海岸はリーフカレントがあり危険だという話も読みましたが、時間帯と場所を選べば安全だと判断し、行ってきました。

この日は新しい水中用のコンデジを使うのも2回目。
初回の白保でのスノーケリングの時より、だいぶ上手に撮れるようになったような…
この旅行記はあくまで自分の記憶・記録用ということで。

それにしても、お魚の名前を調べるのは難しい!
名前に自信がなくて、XXかな?という表記が結構出てきます…

前日のボートスノーケリングの様子はこちら

https://4travel.jp/travelogue/11277839

石垣島の旅全体の旅行記はこちら

https://4travel.jp/travelogue/11278336

初日に訪れた竹富島の様子はこちら

https://4travel.jp/travelogue/11276576

旅行の満足度
4.5
交通手段
レンタカー ANAグループ
  • 石垣島滞在3日目、朝一番に米原海岸(米原ビーチ)にやってきました。<br />注意事項の看板あり。

    石垣島滞在3日目、朝一番に米原海岸(米原ビーチ)にやってきました。
    注意事項の看板あり。

    米原ビーチ ビーチ

  • 更に注意喚起の看板が砂浜にも。

    更に注意喚起の看板が砂浜にも。

  • 見て、この透明度!!<br />すごくキレイ。

    イチオシ

    見て、この透明度!!
    すごくキレイ。

  • 水面の上からでもお魚が見える!<br />ここは期待出来そう。<br />この子は多分、トゲチョウチョウウオ。

    水面の上からでもお魚が見える!
    ここは期待出来そう。
    この子は多分、トゲチョウチョウウオ。

  • いざ、お魚たちの世界へ。<br />顔を水に浸けたら、いきなりお魚たちがうようよ。

    いざ、お魚たちの世界へ。
    顔を水に浸けたら、いきなりお魚たちがうようよ。

  • 岩場に近づいて行くと、お魚たちがたむろってご飯中!<br />真ん中はミツボシキュウセンのメス、青いのはルリスズメダイ、あとチョウチョウウオたち。<br />近付いてじっくり観察してみようっと。

    岩場に近づいて行くと、お魚たちがたむろってご飯中!
    真ん中はミツボシキュウセンのメス、青いのはルリスズメダイ、あとチョウチョウウオたち。
    近付いてじっくり観察してみようっと。

  • シマスズメダイ、だと思う。

    シマスズメダイ、だと思う。

  • アミメフエダイ。<br />ちょっと網部分(体の上部)の縦縞が薄い子。

    アミメフエダイ。
    ちょっと網部分(体の上部)の縦縞が薄い子。

  • ミスジチョウチョウウオ。

    ミスジチョウチョウウオ。

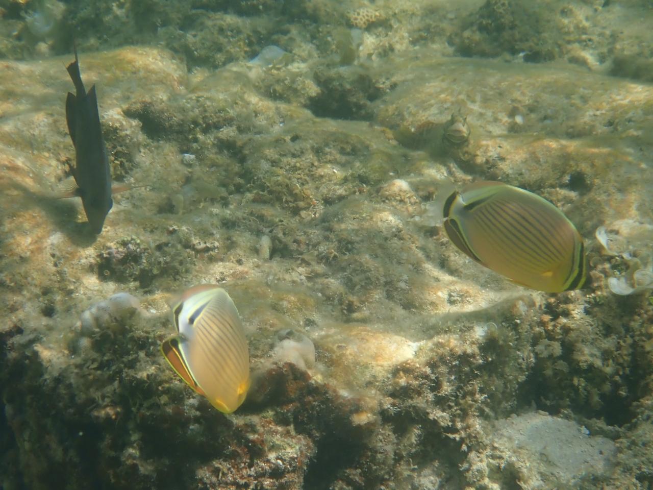
  • チョウチョウウオの共演。<br />左はトゲチョウチョウウオ、右はアケボノチョウチョウウオ。

    チョウチョウウオの共演。
    左はトゲチョウチョウウオ、右はアケボノチョウチョウウオ。

  • クマドリ登場。<br />モンガラカワハギ科の仲間たちはどうも怖い印象。<br />でもクマドリとモンガラカワハギはちょっと可愛いと思う。

    クマドリ登場。
    モンガラカワハギ科の仲間たちはどうも怖い印象。
    でもクマドリとモンガラカワハギはちょっと可愛いと思う。

  • 珊瑚の周りには綺麗な青のルリスズメダイたち。

    珊瑚の周りには綺麗な青のルリスズメダイたち。

  • ハクセンスズメダイ、かな?

    ハクセンスズメダイ、かな?

  • オスジクロハギ、かな。<br />胸ビレが黒いとオスジクロハギ、黄色いとクロハギ。

    オスジクロハギ、かな。
    胸ビレが黒いとオスジクロハギ、黄色いとクロハギ。

  • 左はシチセンスズメダイかな?<br />右はヒレナガハギ。

    左はシチセンスズメダイかな?
    右はヒレナガハギ。

  • トゲチョウチョウウオ。<br />この子たちは自信を持って名前を言える!

    トゲチョウチョウウオ。
    この子たちは自信を持って名前を言える!

  • アケボノチョウチョウウオ。<br />後ろは誰かしら?<br />ナガニザ?

    アケボノチョウチョウウオ。
    後ろは誰かしら?
    ナガニザ?

  • お魚たちを先導しているのは、何ブダイかな?<br />青系のブダイは見分けが難しくて…

    お魚たちを先導しているのは、何ブダイかな?
    青系のブダイは見分けが難しくて…

  • ヒフキアイゴ。

    ヒフキアイゴ。

  • ヒフキアイゴ、こっちの方がよく撮れたかな?<br />後ろを泳ぐのは、誰だろう?

    ヒフキアイゴ、こっちの方がよく撮れたかな?
    後ろを泳ぐのは、誰だろう?

  • お魚たち、沢山いる!<br />このポイント、楽しい!

    お魚たち、沢山いる!
    このポイント、楽しい!

  • フウライチョウチョウウオ。

    フウライチョウチョウウオ。

  • シマハギ。<br />ファミリー?<br />大中小サイズが揃って泳いでいて可愛い。

    シマハギ。
    ファミリー?
    大中小サイズが揃って泳いでいて可愛い。

  • もっと近付かないと、お魚の判別がつかない…

    もっと近付かないと、お魚の判別がつかない…

  • アミメフエダイ。<br />先程会った子より、この子の方が網目がくっきり。

    アミメフエダイ。
    先程会った子より、この子の方が網目がくっきり。

  • ルリスズメダイたちは本当に目立つしカワイイ。

    ルリスズメダイたちは本当に目立つしカワイイ。

  • あなたは誰?<br />ミナミフトスジイシモチかしら?

    あなたは誰?
    ミナミフトスジイシモチかしら?

  • カンムリベラ。<br />大きい!

    カンムリベラ。
    大きい!

  • ナガニザ。

    ナガニザ。

  • シマハギ。<br />この子も自信を持って名前を言える!<br />しかも結構寄って撮れた。

    シマハギ。
    この子も自信を持って名前を言える!
    しかも結構寄って撮れた。

  • フウライチョウチョウウオ

    イチオシ

    フウライチョウチョウウオ

  • チョウハンの幼魚。<br />かわいい!

    チョウハンの幼魚。
    かわいい!

  • かわいいのでもう一枚。<br />チョウハンの幼魚。<br />可愛いのでじっくり見たくて、だいぶ追いかけちゃった。

    かわいいのでもう一枚。
    チョウハンの幼魚。
    可愛いのでじっくり見たくて、だいぶ追いかけちゃった。

  • クラカケモンガラ。<br />いつも見るムラサメモンガラやタスキモンガラとちょっと違うなーと思いながら撮影。<br />名前は調べて知りました。<br />お腹の黒い楕円が特徴。<br />

    クラカケモンガラ。
    いつも見るムラサメモンガラやタスキモンガラとちょっと違うなーと思いながら撮影。
    名前は調べて知りました。
    お腹の黒い楕円が特徴。

  • ハクセンスズメダイ、かな?

    ハクセンスズメダイ、かな?

  • 真ん中はナガニザ<br />両脇はアミアイゴかな?

    真ん中はナガニザ
    両脇はアミアイゴかな?

  • またシマハギ。

    またシマハギ。

  • アケボノチョウチョウウオ。

    アケボノチョウチョウウオ。

  • 別のアケボノチョウチョウウオ。<br />この子も沢山いる!

    別のアケボノチョウチョウウオ。
    この子も沢山いる!

  • ルリスズメダイのオス。

    ルリスズメダイのオス。

  • ゴマモンガラ。<br />妹が大きくて怖いのがいた!と騒いでいたけれども、多分この子。<br />確かにいかにも怖そうな見た目。<br />噛み付くこともあるそうなので、見た目だけじゃなくて確かに怖い魚。

    ゴマモンガラ。
    妹が大きくて怖いのがいた!と騒いでいたけれども、多分この子。
    確かにいかにも怖そうな見た目。
    噛み付くこともあるそうなので、見た目だけじゃなくて確かに怖い魚。

  • この角度だとイマイチ判別が付けにくいけれども、多分ミツボシキュウセンのメス。<br />

    この角度だとイマイチ判別が付けにくいけれども、多分ミツボシキュウセンのメス。

  • トゲチョウチョウウオ。<br />チョウチョウウオたちはペアで泳いでいることが多い。

    トゲチョウチョウウオ。
    チョウチョウウオたちはペアで泳いでいることが多い。

  • トゲチョウチョウウオ。<br />ペアも多い中、結構群れで泳いでいる子たちもいて、見応えあり。

    トゲチョウチョウウオ。
    ペアも多い中、結構群れで泳いでいる子たちもいて、見応えあり。

  • 沢山いるから何度も写しちゃう、トゲチョウチョウウオ

    沢山いるから何度も写しちゃう、トゲチョウチョウウオ

  • トゲチョウチョウウオ。<br />本当に沢山見た! いた!<br />この写真が一番近くで撮れたかな。

    トゲチョウチョウウオ。
    本当に沢山見た! いた!
    この写真が一番近くで撮れたかな。

  • ね、ここにもトゲチョウチョウウオ。<br />違う個体。

    イチオシ

    ね、ここにもトゲチョウチョウウオ。
    違う個体。

  • アケボノチョウチョウウオ。

    アケボノチョウチョウウオ。

  • トゲチョウチョウウオの幼魚。

    トゲチョウチョウウオの幼魚。

  • トゲチョウチョウウオの幼魚。<br />かわいいなー。

    トゲチョウチョウウオの幼魚。
    かわいいなー。

  • 海の中の世界、本当にキレイで大好き。

    海の中の世界、本当にキレイで大好き。

  • ミスジチョウチョウウオ。

    ミスジチョウチョウウオ。

  • 色々なお魚たち。

    色々なお魚たち。

  • ナガニザ、かな?

    ナガニザ、かな?

  • 小さくて青いのはルリスズメダイたち。

    小さくて青いのはルリスズメダイたち。

  • オジロスズメダイ<br />このお魚の名前を調べるのにちょっと時間がかかったけれども、沖縄のオジロススメダイの尾は黄色い、という情報をブログに書いていた方のお陰で分かりました。

    オジロスズメダイ
    このお魚の名前を調べるのにちょっと時間がかかったけれども、沖縄のオジロススメダイの尾は黄色い、という情報をブログに書いていた方のお陰で分かりました。

  • クマドリ。

    クマドリ。

  • ミスジチョウチョウウオ。<br />これが一番良くこの魚の特徴を捉えて撮れたかも!

    ミスジチョウチョウウオ。
    これが一番良くこの魚の特徴を捉えて撮れたかも!

  • 丸いの。

    丸いの。

  • 陸に上がって休憩+水分補給。<br />そして再び海の中へ。<br /><br />お天気が良いので、砂底に光の和が出来ていてキレイ。

    陸に上がって休憩+水分補給。
    そして再び海の中へ。

    お天気が良いので、砂底に光の和が出来ていてキレイ。

  • 海の中に戻って最初に出会ったこのお魚はなんだろう?

    海の中に戻って最初に出会ったこのお魚はなんだろう?

  • 続いて出会ったのは、ヒレナガハギ。

    続いて出会ったのは、ヒレナガハギ。

  • 上から撮るとお口がとがっているのがよく分かる!<br />フウライチョウチョウウオ、かな。

    上から撮るとお口がとがっているのがよく分かる!
    フウライチョウチョウウオ、かな。

  • ナガニザ。

    ナガニザ。

  • ブダイ、だと思う。<br />でも種類が多くて+オスとメスで色が違うことが多くて、区別をつけるのは本当に大変。

    ブダイ、だと思う。
    でも種類が多くて+オスとメスで色が違うことが多くて、区別をつけるのは本当に大変。

  • 真ん中はクマドリ。<br />周りには色々なお魚たち。

    真ん中はクマドリ。
    周りには色々なお魚たち。

  • 魚、魚、魚!

    魚、魚、魚!

  • トゲチョウチョウウオ。<br />この写真もだいぶ寄って撮れた。<br />日が射しているから、海の底もキラキラしていて綺麗。

    トゲチョウチョウウオ。
    この写真もだいぶ寄って撮れた。
    日が射しているから、海の底もキラキラしていて綺麗。

  • アケボノチョウチョウウオの群。<br />光の輪もキレイ。

    アケボノチョウチョウウオの群。
    光の輪もキレイ。

  • この子もブダイだと思うけれども、種類が不明。

    この子もブダイだと思うけれども、種類が不明。

  • クマドリ。

    クマドリ。

  • タレクチベラ、かな。<br />でもカンムリベラの幼魚もこんな感じ。<br />分かりません。

    タレクチベラ、かな。
    でもカンムリベラの幼魚もこんな感じ。
    分かりません。

  • ミツボシキュウセンのメス。

    ミツボシキュウセンのメス。

  • アミアイゴ。

    アミアイゴ。

  • 自由気ままに泳ぐ魚たち。<br />米原海岸、想像以上に素晴らしいとポイント。

    自由気ままに泳ぐ魚たち。
    米原海岸、想像以上に素晴らしいとポイント。

  • アケボノチョウチョウウオ、後ろにはトゲチョウチョウウオの群。

    アケボノチョウチョウウオ、後ろにはトゲチョウチョウウオの群。

  • このポイント、本当にお魚が沢山!

    このポイント、本当にお魚が沢山!

  • お魚が泳いでいるのをのんびり見物。<br />やっぱりスノーケリングって楽しい。

    お魚が泳いでいるのをのんびり見物。
    やっぱりスノーケリングって楽しい。

  • お魚が沢山いてここは本当にスノーケリングにもってこいの場所。<br />米原海岸、本当にオススメです。<br /><br />休憩中に出会って少し言葉を交わしたリピーターのおば様が、「前はネモ(カクレクマノミ)がいたんだけど、今回は見つけられないわ」と。<br />帰ってから調べてみたら、盗んでいる人(捕獲している人)がいるみたい。<br />国立公園内なので、絶対にそんなことしたらダメなのに。<br />自分の楽しみやお金のために、自然を破壊したり他の人の楽しみを奪ったり行為は許せないです。<br />まだ無事(?)なカクレクマノミたちがいるそうなので、他の子たちはずっと楽しくこの海の中で暮らせますように。

    お魚が沢山いてここは本当にスノーケリングにもってこいの場所。
    米原海岸、本当にオススメです。

    休憩中に出会って少し言葉を交わしたリピーターのおば様が、「前はネモ(カクレクマノミ)がいたんだけど、今回は見つけられないわ」と。
    帰ってから調べてみたら、盗んでいる人(捕獲している人)がいるみたい。
    国立公園内なので、絶対にそんなことしたらダメなのに。
    自分の楽しみやお金のために、自然を破壊したり他の人の楽しみを奪ったり行為は許せないです。
    まだ無事(?)なカクレクマノミたちがいるそうなので、他の子たちはずっと楽しくこの海の中で暮らせますように。

  • お魚たち、とても優雅に泳いでいて見ていて全然飽きない。

    お魚たち、とても優雅に泳いでいて見ていて全然飽きない。

  • フウライチョウチョウウオ。

    フウライチョウチョウウオ。

  • ミスジチョウチョウウオ。

    ミスジチョウチョウウオ。

  • ミスジチョウチョウウオ。

    ミスジチョウチョウウオ。

  • ブダイの仲間の誰か…

    ブダイの仲間の誰か…

  • また出会ったクラカケモンガラ。

    また出会ったクラカケモンガラ。

  • シマスズメダイ。

    シマスズメダイ。

  • みんなお食事中。

    みんなお食事中。

  • あ、またクマドリ。

    あ、またクマドリ。

  • カメラの操作にも慣れてきて、だいぶ寄って撮れるようになってきた!<br />まだまだ使いこなせていないけど。

    カメラの操作にも慣れてきて、だいぶ寄って撮れるようになってきた!
    まだまだ使いこなせていないけど。

  • ルリスズメダイ。<br />全身青いのがオスで、尾びれが透明なのがメス。<br />川平湾のグラスボートに乗った時に教えてもらいました。<br />それを習ってから見たので、あれはオス、あれはメス、なんて見ながらきちんと見分けがついて嬉しかった!

    ルリスズメダイ。
    全身青いのがオスで、尾びれが透明なのがメス。
    川平湾のグラスボートに乗った時に教えてもらいました。
    それを習ってから見たので、あれはオス、あれはメス、なんて見ながらきちんと見分けがついて嬉しかった!

  • この真ん中の黒黄色系の子は何かの幼魚?<br />ルリスズメダイより小さいし。

    この真ん中の黒黄色系の子は何かの幼魚?
    ルリスズメダイより小さいし。

  • ホンソメワケベラ、かな?

    ホンソメワケベラ、かな?

  • ヒトミハタ、かなぁ。<br />全くもって自信なし。

    ヒトミハタ、かなぁ。
    全くもって自信なし。

  • ルリスズメダイと同じくらいの大きさのこの子は、トゲチョウチョウウオの幼魚。

    ルリスズメダイと同じくらいの大きさのこの子は、トゲチョウチョウウオの幼魚。

  • 小さくてとてもキュート。

    小さくてとてもキュート。

  • ルリスズメダイに混ざっている子がいる。<br />真ん中に線が入った地味目な子。

    ルリスズメダイに混ざっている子がいる。
    真ん中に線が入った地味目な子。

  • スジブチスズメダイ。かな?

    スジブチスズメダイ。かな?

  • ハゼ科の何か…

    ハゼ科の何か…

  • ロクセンスズメダイ。

    ロクセンスズメダイ。

  • ベラ科、かな?

    ベラ科、かな?

  • あまりにも楽しくて、ついつい1本が長めに。<br />だってこんなにお魚がいるんだもん。<br /><br />でも疲れたって感じる前に上がらないと。<br />スノーケリングの時の鉄則。

    あまりにも楽しくて、ついつい1本が長めに。
    だってこんなにお魚がいるんだもん。

    でも疲れたって感じる前に上がらないと。
    スノーケリングの時の鉄則。

  • ロクセンスズメダイがたくさん。

    ロクセンスズメダイがたくさん。

  • ナガニザ。

    ナガニザ。

  • スズメダイの仲間? 

    スズメダイの仲間? 

  • フウライチョウチョウウオと、周りを泳ぐルリスズメダイたち。<br />本当に沢山のお魚に会えたので、そろそろ上がりましょ。

    フウライチョウチョウウオと、周りを泳ぐルリスズメダイたち。
    本当に沢山のお魚に会えたので、そろそろ上がりましょ。

  • 本当に綺麗なビーチ!!<br />見ているだけでも綺麗。<br />でもこの海の中にはお魚がたくさんいたので、スノーケリングにしに来てよかった!<br /><br />ちなみに人がいないように写真を撮っているので殆ど写っていませんが、思っていたよりスノーケリングを楽しんでいる人たちがいましたよ。

    本当に綺麗なビーチ!!
    見ているだけでも綺麗。
    でもこの海の中にはお魚がたくさんいたので、スノーケリングにしに来てよかった!

    ちなみに人がいないように写真を撮っているので殆ど写っていませんが、思っていたよりスノーケリングを楽しんでいる人たちがいましたよ。

    米原ビーチ ビーチ

  • 妹とふたり、しばらく波打ち際でぽちゃぽちゃ浮かんで遊んでみました。<br />このキレイな海が名残惜しくて。<br /><br />米原海岸、本当に綺麗でした。<br />流れが早い、危ない、という話がネット上色々書かれていたので、ここに来るためにスノーケリング用のベストを買って備えましたが、私は無しで。<br />(妹は念のため着用、私も持参はしました)<br />流れが早い場所も看板に書いてあったり、事前にネットで調べられたりしたので、そういうところに近付かなければ、問題ないと私は感じました。<br />ただ、監視員もいない場所なので、あくまでも自己責任で、危険を避けながら楽しむ必要があると思います。<br /><br />石垣島に行ったらまた必ず訪れたいと思えるスノーケリングポイントでした!

    イチオシ

    地図を見る

    妹とふたり、しばらく波打ち際でぽちゃぽちゃ浮かんで遊んでみました。
    このキレイな海が名残惜しくて。

    米原海岸、本当に綺麗でした。
    流れが早い、危ない、という話がネット上色々書かれていたので、ここに来るためにスノーケリング用のベストを買って備えましたが、私は無しで。
    (妹は念のため着用、私も持参はしました)
    流れが早い場所も看板に書いてあったり、事前にネットで調べられたりしたので、そういうところに近付かなければ、問題ないと私は感じました。
    ただ、監視員もいない場所なので、あくまでも自己責任で、危険を避けながら楽しむ必要があると思います。

    石垣島に行ったらまた必ず訪れたいと思えるスノーケリングポイントでした!

    米原ビーチ ビーチ

7いいね!

利用規約に違反している投稿は、報告する事ができます。 問題のある投稿を連絡する

コメントを投稿する前に

十分に確認の上、ご投稿ください。 コメントの内容は攻撃的ではなく、相手の気持ちに寄り添ったものになっていますか?

サイト共通ガイドライン(利用上のお願い)

報道機関・マスメディアの方へ 画像提供などに関するお問い合わせは、専用のお問い合わせフォームからお願いいたします。

この旅行で行ったスポット

旅の計画・記録

マイルに交換できるフォートラベルポイントが貯まる
フォートラベルポイントって?

フォートラベル公式LINE@

おすすめの旅行記や旬な旅行情報、お得なキャンペーン情報をお届けします!
QRコードが読み取れない場合はID「@4travel」で検索してください。

\その他の公式SNSはこちら/

タグから国内旅行記(ブログ)を探す

この旅行記の地図

拡大する

価格.com旅行・トラベルホテル・旅館を比較

PAGE TOP