バリ島旅行記(ブログ) 一覧に戻る
今年の夏休みは、バリ島に行ってきました。<br /><br />1日目 成田出発 ~ デンパサール着(ガルーダインドネシア直行便)<br />2日目 ホテルでゆっくり滞在@フェアモント・サヌール・ビーチ・バリ(Fairmont Sanur Beach, Bali)<br />3日目 ダイビング ヌサペニダ NUSA PENIDA (1. Crystal Bay / 2. PED / 3. SAKENAN)<br />4日目 ダイビング チャンディダサ CANDIDASA (1. MIMPANG / 2. JEPUN / 3. DROP OFF ~ BLUE LAGOON) <br />5日目 ダイビング ヌサペニダ NUSA PENIDA (1. &amp; 2. MANTA POINT / 3. SAKENAN)<br />6日目 ダイビング ヌサペニダ NUSA PENIDA (1. MANTA POINT / 2. Crystal Bay / 3. SAKENAN)<br />7~8日目 スパ、サヌールでお買い物♪ ~ 18:00 レイトチェックアウト 深夜デンパサール発 ~ 成田帰国<br /><br />ホテル:フェモント サヌール ビーチ バリ (Fairmont Sanur Beach Bali)<br />*特典 1. ニャラレストランディナー 1回<br />           2. アフタヌーンティー 1回<br />           3. スパ75分 1回<br />           4. レイトチェックアウト(18時)<br /><br />*サヌール地区にした理由*<br />マンボウに会いたくて、バリ島に行くことにしたのですが、マンボウポイントであるヌサペニダはサヌールの港から出船するとのことだったので、移動が一番楽なサヌールエリアに決めました。<br /><br />サヌール地区にして大正解♪ <br />サヌール地区は、いわゆるバリっぽさは少ない感じがしましたが、西洋人が多く、のんびりした時間が流れています。<br />更に宿泊したフェアモントから、ダイビング船が出る港までは徒歩1分!<br />初日はダイビングショップで申込み用紙を書く必要があるので、ダイビングショップに行きましたが、次の日からは港集合でOKとの事で、朝ゆっくりできます。(注:ダイビングショップにもよると思いますので、事前確認必要です。)<br /><br />利用したダイビングショップ:Blue Season Bali<br />毎年5月に大瀬崎でマンボウ狙いのダイビングをしているもの、いつも撃沈・・・(T T)<br />毎年、マンボウに会えていないので、バリと言えどマンボウに会える気がせず、4日間全てマンボウダイビングを申し込むという本気モード!(それでも、会える気がしなかったのですが・・・。)<br />結果、4日間毎日マンボウに会うことができました♪全部で10匹と、大満足な内容♪<br /><br />*ヌサペニダでのダイビングの注意点*(個人的な感想です。)<br />◎持っているなら、5mmフルウェット+フードベストを持って行ったほうがいいです。<br />マンボウが見れる時の水温は18℃~20℃位です。<br />私の利用したショップはウェットのレンタルもありますが、ブカブカの3mmフルとハーフの2枚重ねです。寒さで、どの女性ゲストも唇まで真っ青になっていました・・・&gt; &lt;<br /><br />◎人が多すぎです!<br />マンボウが見つかると、あっという間に人だかり!20~30人くらいダイバーが押し寄せてきます。ロストしないように気をつけましょう。<br />ちなみに、私は1回、本気でロストしたと思って焦りました。(結局見つかりましたが・・・)<br /><br />◎カレント逆走します!<br />マンボウが見つかれば(時々見つからなくても)、カレント逆走して泳ぎます。泳いでも泳いでも進まない位のカレントの時は、正直、かなり疲れます。<br /><br />◎フロート必須で!<br />もちろん、ドリフトダイブする海ではフロートは必須なんですけど、<br />特にヌサペニダは潮の流れも複雑で、流されたり、ロストしたりでいつトラブルが起きてもおかしくない感じでした。<br />最後は自分の身は自分で守るしかありませんので、少なくともフロートは持って行ったほうが良いと思います。

バリ島での夏休み マンボウダイビング 後編 Summer vacation in BALI ~mola mola diving 2~

16いいね!

2015/09/26 - 2015/10/03

6364位(同エリア17531件中)

yundy

yundyさん

今年の夏休みは、バリ島に行ってきました。

1日目 成田出発 ~ デンパサール着(ガルーダインドネシア直行便)
2日目 ホテルでゆっくり滞在@フェアモント・サヌール・ビーチ・バリ(Fairmont Sanur Beach, Bali)
3日目 ダイビング ヌサペニダ NUSA PENIDA (1. Crystal Bay / 2. PED / 3. SAKENAN)
4日目 ダイビング チャンディダサ CANDIDASA (1. MIMPANG / 2. JEPUN / 3. DROP OFF ~ BLUE LAGOON) 
5日目 ダイビング ヌサペニダ NUSA PENIDA (1. & 2. MANTA POINT / 3. SAKENAN)
6日目 ダイビング ヌサペニダ NUSA PENIDA (1. MANTA POINT / 2. Crystal Bay / 3. SAKENAN)
7~8日目 スパ、サヌールでお買い物♪ ~ 18:00 レイトチェックアウト 深夜デンパサール発 ~ 成田帰国

ホテル:フェモント サヌール ビーチ バリ (Fairmont Sanur Beach Bali)
*特典 1. ニャラレストランディナー 1回
2. アフタヌーンティー 1回
3. スパ75分 1回
4. レイトチェックアウト(18時)

*サヌール地区にした理由*
マンボウに会いたくて、バリ島に行くことにしたのですが、マンボウポイントであるヌサペニダはサヌールの港から出船するとのことだったので、移動が一番楽なサヌールエリアに決めました。

サヌール地区にして大正解♪ 
サヌール地区は、いわゆるバリっぽさは少ない感じがしましたが、西洋人が多く、のんびりした時間が流れています。
更に宿泊したフェアモントから、ダイビング船が出る港までは徒歩1分!
初日はダイビングショップで申込み用紙を書く必要があるので、ダイビングショップに行きましたが、次の日からは港集合でOKとの事で、朝ゆっくりできます。(注:ダイビングショップにもよると思いますので、事前確認必要です。)

利用したダイビングショップ:Blue Season Bali
毎年5月に大瀬崎でマンボウ狙いのダイビングをしているもの、いつも撃沈・・・(T T)
毎年、マンボウに会えていないので、バリと言えどマンボウに会える気がせず、4日間全てマンボウダイビングを申し込むという本気モード!(それでも、会える気がしなかったのですが・・・。)
結果、4日間毎日マンボウに会うことができました♪全部で10匹と、大満足な内容♪

*ヌサペニダでのダイビングの注意点*(個人的な感想です。)
◎持っているなら、5mmフルウェット+フードベストを持って行ったほうがいいです。
マンボウが見れる時の水温は18℃~20℃位です。
私の利用したショップはウェットのレンタルもありますが、ブカブカの3mmフルとハーフの2枚重ねです。寒さで、どの女性ゲストも唇まで真っ青になっていました・・・> <

◎人が多すぎです!
マンボウが見つかると、あっという間に人だかり!20~30人くらいダイバーが押し寄せてきます。ロストしないように気をつけましょう。
ちなみに、私は1回、本気でロストしたと思って焦りました。(結局見つかりましたが・・・)

◎カレント逆走します!
マンボウが見つかれば(時々見つからなくても)、カレント逆走して泳ぎます。泳いでも泳いでも進まない位のカレントの時は、正直、かなり疲れます。

◎フロート必須で!
もちろん、ドリフトダイブする海ではフロートは必須なんですけど、
特にヌサペニダは潮の流れも複雑で、流されたり、ロストしたりでいつトラブルが起きてもおかしくない感じでした。
最後は自分の身は自分で守るしかありませんので、少なくともフロートは持って行ったほうが良いと思います。

旅行の満足度
5.0
観光
5.0
ホテル
5.0
グルメ
3.5
交通
5.0
同行者
カップル・夫婦
一人あたり費用
25万円 - 30万円
交通手段
徒歩
航空会社
ガルーダインドネシア航空
旅行の手配内容
ツアー(添乗員同行なし)
利用旅行会社
旅工房
  • 宿泊しているフェアモント・サヌール・ビーチ・バリから、徒歩1分の場所にあるミーティングポイント。<br />初日にショップで申し込み用紙を記入すれば、2日目からはショップに寄ることなく、このミーティングポイントに直接集合することができます。<br /><br />お迎えを希望する場合、朝7時(サヌール地区)にホテルのロビー集合になるのですが、ミーティングポイントに直接集合を選択した場合は朝8時集合となり、朝ゆっくりできます。(ブルーシーズン・バリさんの場合)<br /><br />また、帰りも事前に支払いさえしていれば、ショップに寄ることなく、フェアモントで降ろしてくれます。(もし器材も持っているなら、器材も一緒に降ろしてくれます。)ただし、ログ付けを希望する場合は、ショップまで行く必要があります。

    宿泊しているフェアモント・サヌール・ビーチ・バリから、徒歩1分の場所にあるミーティングポイント。
    初日にショップで申し込み用紙を記入すれば、2日目からはショップに寄ることなく、このミーティングポイントに直接集合することができます。

    お迎えを希望する場合、朝7時(サヌール地区)にホテルのロビー集合になるのですが、ミーティングポイントに直接集合を選択した場合は朝8時集合となり、朝ゆっくりできます。(ブルーシーズン・バリさんの場合)

    また、帰りも事前に支払いさえしていれば、ショップに寄ることなく、フェアモントで降ろしてくれます。(もし器材も持っているなら、器材も一緒に降ろしてくれます。)ただし、ログ付けを希望する場合は、ショップまで行く必要があります。

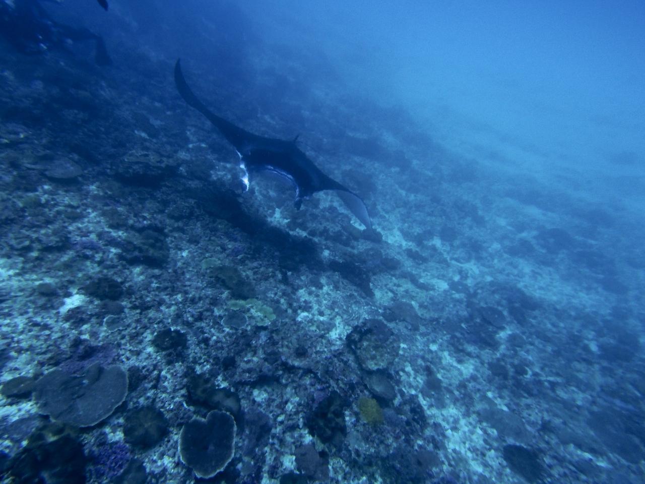
  • 3日目 DIVE1 MANTA POINT<br /><br />エントリーしてすぐに海底にマダラエイがいっぱい。<br />あちらこちらで多分10枚くらいはエイがいました。<br />「すごい!」と、興奮していると、「MOLA MOLA」と、ガイドが指差しています!<br />その瞬間、めっちゃ激流!<br />OMG〜 ( ; ゜Д゜)//<br /><br />どうやらマンボウは2匹いたようですが、全く見えないし、流されないようにするのに必死です。<br /><br />

    3日目 DIVE1 MANTA POINT

    エントリーしてすぐに海底にマダラエイがいっぱい。
    あちらこちらで多分10枚くらいはエイがいました。
    「すごい!」と、興奮していると、「MOLA MOLA」と、ガイドが指差しています!
    その瞬間、めっちゃ激流!
    OMG〜 ( ; ゜Д゜)//

    どうやらマンボウは2匹いたようですが、全く見えないし、流されないようにするのに必死です。

  • 潮に流されないよう掴みながら必死の移動。<br />そして、その先には、マンボウがいたー(^o^)<br /><br />(水深30Mくらい、マンボウは35-40Mくらいにいます。)

    潮に流されないよう掴みながら必死の移動。
    そして、その先には、マンボウがいたー(^o^)

    (水深30Mくらい、マンボウは35-40Mくらいにいます。)

  • 潮の流れが速いので、つかまっての観察。<br />ダイバーが近づくこともないので、クリーニング中のマンボウをゆっくり見ることができました(^ ^)<br />多分、10分弱くらい見ることができたんじゃないかと(^ ^)<br />

    潮の流れが速いので、つかまっての観察。
    ダイバーが近づくこともないので、クリーニング中のマンボウをゆっくり見ることができました(^ ^)
    多分、10分弱くらい見ることができたんじゃないかと(^ ^)

  • ちょっと遠いのが残念ですが、きっとマンボウにとってはストレスがないし、良い距離感ですね。

    ちょっと遠いのが残念ですが、きっとマンボウにとってはストレスがないし、良い距離感ですね。

  • 潮が緩やかになって、ダイバーが近づくと、マンボウもゆっくり逃げて行きました・・・。

    潮が緩やかになって、ダイバーが近づくと、マンボウもゆっくり逃げて行きました・・・。

  • マンボウに別れを告げ、移動して泳いでいると、頭上にマンタ(^o^)

    マンボウに別れを告げ、移動して泳いでいると、頭上にマンタ(^o^)

  • 写真には2枚しか写ってませんが、多分4−5枚はいたかと。

    写真には2枚しか写ってませんが、多分4−5枚はいたかと。

  • ふと横を見ると、また1枚。<br /><br />このダイビングは、マンボウにマンタと、とっても濃い充実した1本でした♪

    ふと横を見ると、また1枚。

    このダイビングは、マンボウにマンタと、とっても濃い充実した1本でした♪

  • DIVE2 MANTA POINT<br /><br />1本目が素晴らしかったので、2本目もマンタポイントになりました。<br />「ブラックマンタ見てみたいー」ということで、ブラックマンタ狙いです(^ ^)<br />エントリー直後、いきなりマンタ♪

    DIVE2 MANTA POINT

    1本目が素晴らしかったので、2本目もマンタポイントになりました。
    「ブラックマンタ見てみたいー」ということで、ブラックマンタ狙いです(^ ^)
    エントリー直後、いきなりマンタ♪

  • 幸先の良いスタート♪ブラックマンタにも期待が持てます♪

    幸先の良いスタート♪ブラックマンタにも期待が持てます♪

  • しかし、あれれ・・・、20分以上、何もいない・・・。<br />先ほどいたエイが時々いる程度・・・。<br />必死で探します。

    しかし、あれれ・・・、20分以上、何もいない・・・。
    先ほどいたエイが時々いる程度・・・。
    必死で探します。

  • やっといました!でも、普通のマンタですね。

    やっといました!でも、普通のマンタですね。

  • もう1枚。こちらも普通のマンタ。

    もう1枚。こちらも普通のマンタ。

  • でも、近くまで来てくれると嬉しいです♪

    でも、近くまで来てくれると嬉しいです♪

  • ブラックマンタは次回のリベンジということで(T T)

    ブラックマンタは次回のリベンジということで(T T)

  • DIVE3 SAKENAN<br /><br />MANTA POINTからボートで約30分くらい?の場所にあります。<br />初日と違って、結構流れてます。<br />

    DIVE3 SAKENAN

    MANTA POINTからボートで約30分くらい?の場所にあります。
    初日と違って、結構流れてます。

  • でも、サンゴがめっちゃ綺麗〜☆

    でも、サンゴがめっちゃ綺麗〜☆

  • 癒しの3本目です。

    癒しの3本目です。

  • 水族館の水槽を泳いでいる感じ♪

    水族館の水槽を泳いでいる感じ♪

  • 初日とは全く違う印象のSAKENAN。<br /><br />エキジット後、ここで日本人ダイバー事故が起こった場所であると知らされました。<br />ここから先ほどのMANTA POINTまで流されたと聞くと、驚愕でしかありません&gt; &lt;<br /><br /><br />

    初日とは全く違う印象のSAKENAN。

    エキジット後、ここで日本人ダイバー事故が起こった場所であると知らされました。
    ここから先ほどのMANTA POINTまで流されたと聞くと、驚愕でしかありません> <


  • 4日目 ダイビング最終日<br />4日間とも、こちらのBARI SAKANAの船にお世話になりました。<br />しかも、この日はなぜかマンツーマンとのこと♪<br />スペシャルダイビングです。

    4日目 ダイビング最終日
    4日間とも、こちらのBARI SAKANAの船にお世話になりました。
    しかも、この日はなぜかマンツーマンとのこと♪
    スペシャルダイビングです。

  • DIVE1 MANTA POINT<br /><br />マンボウ、マンタ狙うも、どちらもお休み中・・・。<br />水温18℃〜22℃くらい。<br />寒いだけ〜(T T)<br /><br />ヨスジフエダイの群れがとっても綺麗でした♪

    DIVE1 MANTA POINT

    マンボウ、マンタ狙うも、どちらもお休み中・・・。
    水温18℃〜22℃くらい。
    寒いだけ〜(T T)

    ヨスジフエダイの群れがとっても綺麗でした♪

  • DIVE2 CRYSTAL BAY<br /><br />さすがクリスタルベイ。<br />早速マンボウ、いらっしゃいました。しかも、2匹!<br />安定感抜群ですね。

    DIVE2 CRYSTAL BAY

    さすがクリスタルベイ。
    早速マンボウ、いらっしゃいました。しかも、2匹!
    安定感抜群ですね。

  • 今日はマンツーマンダイビングなので、せっかくだから、2ショット撮ってもらおうと、ガイドにカメラを渡します。<br />(ガイドは2日目以外ずっと同じ人だったので、頼みやすい(^ ^)v)

    今日はマンツーマンダイビングなので、せっかくだから、2ショット撮ってもらおうと、ガイドにカメラを渡します。
    (ガイドは2日目以外ずっと同じ人だったので、頼みやすい(^ ^)v)

  • この後、一生涯忘れられない光景を目にすることができました(^ ^)

    この後、一生涯忘れられない光景を目にすることができました(^ ^)

  • マンボウに近づいていくと、どんどんムレハタタテダイが集まってきて、1匹がそのままクリーニングを始めたんです。<br /><br />めっちゃ幻想的(*´∇`*)☆

    マンボウに近づいていくと、どんどんムレハタタテダイが集まってきて、1匹がそのままクリーニングを始めたんです。

    めっちゃ幻想的(*´∇`*)☆

  • あまりにこの光景が綺麗で、やっぱり自分で写真が撮りたくて、カメラを返してもらおうと必死でガイドを探している時(笑)<br /><br />ばっちり撮られてました(笑)<br />

    あまりにこの光景が綺麗で、やっぱり自分で写真が撮りたくて、カメラを返してもらおうと必死でガイドを探している時(笑)

    ばっちり撮られてました(笑)

  • でも、どんどんダイバーが押し寄せてきていたので、カメラを返してもらう時間はないと判断し、この目でしっかり焼き付けることにしました。<br /><br />たくさんのムレハタタテダイに囲まれたマンボウは本当に神秘的というか、幻想的というか・・・。神聖なものに感じました♪

    でも、どんどんダイバーが押し寄せてきていたので、カメラを返してもらう時間はないと判断し、この目でしっかり焼き付けることにしました。

    たくさんのムレハタタテダイに囲まれたマンボウは本当に神秘的というか、幻想的というか・・・。神聖なものに感じました♪

  • あっという間にダイバーに囲まれ、マンボウは沖へ逃げて行っちゃいました&gt; &lt;<br /><br />カメラを持っていると、ついつい写真に夢中になって、まず自分で見るということを忘れがちなので、至近距離でしっかり見れて良かったです。この目で見た景色は忘れません!

    あっという間にダイバーに囲まれ、マンボウは沖へ逃げて行っちゃいました> <

    カメラを持っていると、ついつい写真に夢中になって、まず自分で見るということを忘れがちなので、至近距離でしっかり見れて良かったです。この目で見た景色は忘れません!

  • そのまま棚上まで深度を上げ、マンボウ待ちをしていると、2匹通過♪<br />1匹だけしか撮れなかったけど・・・。

    そのまま棚上まで深度を上げ、マンボウ待ちをしていると、2匹通過♪
    1匹だけしか撮れなかったけど・・・。

  • 棚上に目を送れば、水族館のように綺麗です。

    棚上に目を送れば、水族館のように綺麗です。

  • その向こうには、マンボウを待ち構えるダイバーたち。<br />やっぱり、多すぎでしょう!?

    その向こうには、マンボウを待ち構えるダイバーたち。
    やっぱり、多すぎでしょう!?

  • また、マンボウが通過します。<br />ダイバーたちが一斉にマンボウをめがけて追いかけます。

    また、マンボウが通過します。
    ダイバーたちが一斉にマンボウをめがけて追いかけます。

  • いつも通り、あっという間に逃げられます。<br />(もう追いかける気なし・・・)<br /><br />この1本で5匹のマンボウGetできました♪<br />4日間で、計10匹、大満足でした(^^)<br /><br />

    いつも通り、あっという間に逃げられます。
    (もう追いかける気なし・・・)

    この1本で5匹のマンボウGetできました♪
    4日間で、計10匹、大満足でした(^^)

  • クリスタルベイは大盛況。<br />この日も20〜25位のボートが集まっていたようです。

    クリスタルベイは大盛況。
    この日も20〜25位のボートが集まっていたようです。

  • DIVE3 SAKENAN<br /><br />SAKENANは何となく嫌だったのですが、問答無用でSAKENAN。<br />毎日ヌサペニダで潜っているのは私くらいだから、新しいゲストがいれば、3本目は基本SAKENANなのかな?<br />今日も結構流れてます。<br />サンゴは相変わらず綺麗でした。

    DIVE3 SAKENAN

    SAKENANは何となく嫌だったのですが、問答無用でSAKENAN。
    毎日ヌサペニダで潜っているのは私くらいだから、新しいゲストがいれば、3本目は基本SAKENANなのかな?
    今日も結構流れてます。
    サンゴは相変わらず綺麗でした。

  • 寄り添うカサゴ

    寄り添うカサゴ

  • ヒメフエダイの群れ

    ヒメフエダイの群れ

  • タジマキンチャクダイ

    タジマキンチャクダイ

  • モヨウフグ

    モヨウフグ

  • カスミアジ<br /><br />写真には撮れなかったけど、バラクーダ(1匹だけだけど・・・)もいましたよ。

    カスミアジ

    写真には撮れなかったけど、バラクーダ(1匹だけだけど・・・)もいましたよ。

  • このダイビング中、ボートからはジンベイザメが見れたとのこと!うらやましいぃ(o&gt;ω&lt;o)<br /><br />上をみていれば、ジンベイ見れたかも!?<br />SAKNENAN、やっぱりすごいポイントです。

    このダイビング中、ボートからはジンベイザメが見れたとのこと!うらやましいぃ(o>ω<o)

    上をみていれば、ジンベイ見れたかも!?
    SAKNENAN、やっぱりすごいポイントです。

  • ブルーシーズン・バリさんのショップです。<br />4日間大変お世話になりましたm(_ _)m

    ブルーシーズン・バリさんのショップです。
    4日間大変お世話になりましたm(_ _)m

16いいね!

利用規約に違反している投稿は、報告する事ができます。 問題のある投稿を連絡する

コメントを投稿する前に

十分に確認の上、ご投稿ください。 コメントの内容は攻撃的ではなく、相手の気持ちに寄り添ったものになっていますか?

サイト共通ガイドライン(利用上のお願い)

報道機関・マスメディアの方へ 画像提供などに関するお問い合わせは、専用のお問い合わせフォームからお願いいたします。

旅の計画・記録

マイルに交換できるフォートラベルポイントが貯まる
フォートラベルポイントって?

インドネシアで使うWi-Fiはレンタルしましたか?

フォートラベル GLOBAL WiFiなら
インドネシア最安 294円/日~

  • 空港で受取・返却可能
  • お得なポイントがたまる

インドネシアの料金プランを見る

フォートラベル公式LINE@

おすすめの旅行記や旬な旅行情報、お得なキャンペーン情報をお届けします!
QRコードが読み取れない場合はID「@4travel」で検索してください。

\その他の公式SNSはこちら/

タグから海外旅行記(ブログ)を探す

PAGE TOP