石垣島旅行記(ブログ) 一覧に戻る
春の八重山諸島で一足早い夏休みを満喫してきました

一足お先に夏休みいただきます!

5いいね!

2014/04/24 - 2014/04/27

4564位(同エリア5863件中)

0

23

春の八重山諸島で一足早い夏休みを満喫してきました

  • 生憎のお天気の石垣島。曇っているなら、潜ってしまえ!

    生憎のお天気の石垣島。曇っているなら、潜ってしまえ!

  • 川平湾近くからボートに乗り、沖合いのダイビングポイントまで移動します。

    川平湾近くからボートに乗り、沖合いのダイビングポイントまで移動します。

  • 同じようなダイビングショップの船が停泊しています。

    同じようなダイビングショップの船が停泊しています。

  • お世話になったダイビングショップ海講座さんの船です。

    お世話になったダイビングショップ海講座さんの船です。

  • 晴れていたら水面鏡になりそうなくらい透明度の高い海水

    晴れていたら水面鏡になりそうなくらい透明度の高い海水

  • 日本でも有数のエメラルドに輝く海水

    日本でも有数のエメラルドに輝く海水

  • 船長がものすごいスピードで飛ばすので、船が波をじゃぶじゃぶかぶっています…

    船長がものすごいスピードで飛ばすので、船が波をじゃぶじゃぶかぶっています…

  • 潜ってしまえば、何とかなるだろうと思いましたが、なかなか波が荒い… 一抹の不安が過ります…

    潜ってしまえば、何とかなるだろうと思いましたが、なかなか波が荒い… 一抹の不安が過ります…

  • 意を決して、海中へ。ひゃぁ!水が冷たいっ!

    意を決して、海中へ。ひゃぁ!水が冷たいっ!

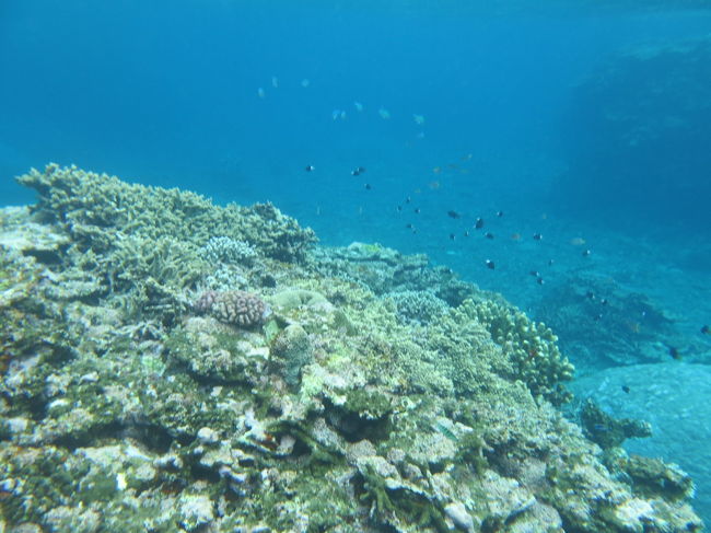
  • 米原ビーチの沖合いは珊瑚礁が2キロにわたって連なっているそうです。

    米原ビーチの沖合いは珊瑚礁が2キロにわたって連なっているそうです。

  • 寒くて手がぶれる…

    寒くて手がぶれる…

  • イエローフィッシュ

    イエローフィッシュ

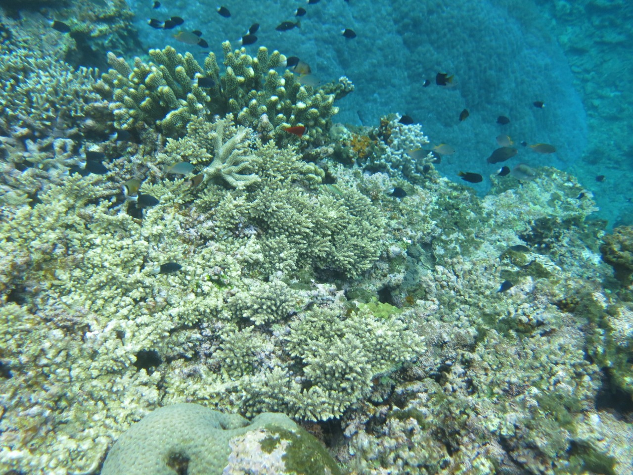
  • クマノミも発見

    クマノミも発見

  • 海水50cmほどまで生育している珊瑚礁。お腹に当たりそう!

    海水50cmほどまで生育している珊瑚礁。お腹に当たりそう!

  • 途中、何かが水中でカチカチ鳴っているなと思ったら、寒くて自分の歯がガタガタと鳴る音でした… 海水温は23℃ほど。

    途中、何かが水中でカチカチ鳴っているなと思ったら、寒くて自分の歯がガタガタと鳴る音でした… 海水温は23℃ほど。

  • 波が荒く、海中でも波酔いするほど… 魚も流されている様子が分かります。

    波が荒く、海中でも波酔いするほど… 魚も流されている様子が分かります。

  • 水深が10mほどの海域で30分ほどシュノーケリング

    水深が10mほどの海域で30分ほどシュノーケリング

  • 海中でも寒いけど、海は本当に綺麗で癒されます。このあと巣潜りにも挑戦!

    海中でも寒いけど、海は本当に綺麗で癒されます。このあと巣潜りにも挑戦!

  • 2ポイントで泳ぎ、半日費やしました。残念ながら、マンタには出会えず…

    2ポイントで泳ぎ、半日費やしました。残念ながら、マンタには出会えず…

  • 暖かいシャワーが身に染みます。

    暖かいシャワーが身に染みます。

  • 午後になって、少し晴れ間が出てきたので、ホテルのプールへ

    午後になって、少し晴れ間が出てきたので、ホテルのプールへ

  • 宿泊したホテルは年配の方が多かったせいか、誰もプールを利用していません。

    宿泊したホテルは年配の方が多かったせいか、誰もプールを利用していません。

  • 明日は晴れますように!

    明日は晴れますように!

この旅行記のタグ

5いいね!

利用規約に違反している投稿は、報告する事ができます。 問題のある投稿を連絡する

コメントを投稿する前に

十分に確認の上、ご投稿ください。 コメントの内容は攻撃的ではなく、相手の気持ちに寄り添ったものになっていますか?

サイト共通ガイドライン(利用上のお願い)

報道機関・マスメディアの方へ 画像提供などに関するお問い合わせは、専用のお問い合わせフォームからお願いいたします。

旅の計画・記録

マイルに交換できるフォートラベルポイントが貯まる
フォートラベルポイントって?

フォートラベル公式LINE@

おすすめの旅行記や旬な旅行情報、お得なキャンペーン情報をお届けします!
QRコードが読み取れない場合はID「@4travel」で検索してください。

\その他の公式SNSはこちら/

タグから国内旅行記(ブログ)を探す

価格.com旅行・トラベルホテル・旅館を比較

PAGE TOP