西表島旅行記(ブログ) 一覧に戻る
新城島(パナリ)下地島沖 ダイビングポイント竜宮の根の続き<br /><br />登場人物 <br />◇かめさん 人間の勇者・水中デジカメを装備 観光客 民宿みやよし荘の客<br />◇あきさん 民宿みやよし荘のご主人 ヤシガニそばと自転車修理が得意 島バナナ・キラザ食べ放題がうれしい民宿<br />◇看護師ねえねえ 民宿みやよし荘の客 毎年みやよし荘に来ている。鳩間島に行くはずが、キャンセルしてみやよし荘に1週間くらい泊まっている。<br />◇くろさん マリンサービスふしまの船長 パナリツアーはお任せ どんな浜にでも寄せてくれる<br />◇ハナミさん マリンサービスふしまの営業部長 ホワイトボードに本日のツアーメニューを書いている<br />◇みやさん 民宿のどかのご主人 中華の料理人 毎朝のランニングが日課 健康診断で運動不足を指摘される 毎朝ランニング10kmやっているのに、なんで!!!<br />◇岩さん 黒島に長期滞在中 今の住処は仲本 黒島・パナリに詳しい なぜか高橋のおばぁから頼りにされている <br />◇でんこうじぃ 黒島仲本では知らない人はいない 民宿に出没する <br />◇のりお 誰からも のりおと呼び捨てで呼ばれる 謎の人物 西表島でリストラされて黒島に戻ってぶらぶらしているといううわさもある のりおハウスを不法占拠している??<br />◇高橋のばばあ 黒島に長期滞在中 今の住処は民宿みやよし荘 確認できているだけで30年間は黒島に通い続けている 通い続けている観光客の中では最古参。<br />人に物を頼むときも上から目線で命令口調で言うので、皆からばばあと言われている。みやよし荘ではいつも同じ倚子にすわっている 30年前から同じ。たまに騒ぎ出して周りの人に迷惑をかける。毎年6月に来て8月に帰る。今回は会えなかった。 <br /><br />

パナリ沖ダイビングポイント竜宮の根その2 奇跡の6日間(爆) 八重山 黒島・パナリ旅行記 第4日15

1いいね!

2009/09/22 - 2009/09/27

1996位(同エリア2193件中)

0

39

かめ

かめさん

新城島(パナリ)下地島沖 ダイビングポイント竜宮の根の続き

登場人物 
◇かめさん 人間の勇者・水中デジカメを装備 観光客 民宿みやよし荘の客
◇あきさん 民宿みやよし荘のご主人 ヤシガニそばと自転車修理が得意 島バナナ・キラザ食べ放題がうれしい民宿
◇看護師ねえねえ 民宿みやよし荘の客 毎年みやよし荘に来ている。鳩間島に行くはずが、キャンセルしてみやよし荘に1週間くらい泊まっている。
◇くろさん マリンサービスふしまの船長 パナリツアーはお任せ どんな浜にでも寄せてくれる
◇ハナミさん マリンサービスふしまの営業部長 ホワイトボードに本日のツアーメニューを書いている
◇みやさん 民宿のどかのご主人 中華の料理人 毎朝のランニングが日課 健康診断で運動不足を指摘される 毎朝ランニング10kmやっているのに、なんで!!!
◇岩さん 黒島に長期滞在中 今の住処は仲本 黒島・パナリに詳しい なぜか高橋のおばぁから頼りにされている 
◇でんこうじぃ 黒島仲本では知らない人はいない 民宿に出没する 
◇のりお 誰からも のりおと呼び捨てで呼ばれる 謎の人物 西表島でリストラされて黒島に戻ってぶらぶらしているといううわさもある のりおハウスを不法占拠している??
◇高橋のばばあ 黒島に長期滞在中 今の住処は民宿みやよし荘 確認できているだけで30年間は黒島に通い続けている 通い続けている観光客の中では最古参。
人に物を頼むときも上から目線で命令口調で言うので、皆からばばあと言われている。みやよし荘ではいつも同じ倚子にすわっている 30年前から同じ。たまに騒ぎ出して周りの人に迷惑をかける。毎年6月に来て8月に帰る。今回は会えなかった。

交通手段
高速・路線バス 自転車 タクシー ANAグループ JRローカル 私鉄 徒歩
旅行の手配内容
ツアー(添乗員同行なし)
  • パナリ沖ダイビングポイント竜宮の根

    パナリ沖ダイビングポイント竜宮の根

  • パナリ沖ダイビングポイント竜宮の根<br /><br />変化があるので時間のたつのも忘れてしまいます

    パナリ沖ダイビングポイント竜宮の根

    変化があるので時間のたつのも忘れてしまいます

  • パナリ沖ダイビングポイント竜宮の根

    パナリ沖ダイビングポイント竜宮の根

  • パナリ沖ダイビングポイント竜宮の根

    パナリ沖ダイビングポイント竜宮の根

  • パナリ沖ダイビングポイント竜宮の根

    パナリ沖ダイビングポイント竜宮の根

  • パナリ沖ダイビングポイント竜宮の根

    パナリ沖ダイビングポイント竜宮の根

  • パナリ沖ダイビングポイント竜宮の根

    パナリ沖ダイビングポイント竜宮の根

  • パナリ沖ダイビングポイント竜宮の根

    パナリ沖ダイビングポイント竜宮の根

  • パナリ沖ダイビングポイント竜宮の根

    パナリ沖ダイビングポイント竜宮の根

  • パナリ沖ダイビングポイント竜宮の根

    パナリ沖ダイビングポイント竜宮の根

  • パナリ沖ダイビングポイント竜宮の根

    パナリ沖ダイビングポイント竜宮の根

  • パナリ沖ダイビングポイント竜宮の根

    パナリ沖ダイビングポイント竜宮の根

  • パナリ沖ダイビングポイント竜宮の根

    パナリ沖ダイビングポイント竜宮の根

  • パナリ沖ダイビングポイント竜宮の根

    パナリ沖ダイビングポイント竜宮の根

  • パナリ沖ダイビングポイント竜宮の根

    パナリ沖ダイビングポイント竜宮の根

  • パナリ沖ダイビングポイント竜宮の根

    パナリ沖ダイビングポイント竜宮の根

  • パナリ沖ダイビングポイント竜宮の根

    パナリ沖ダイビングポイント竜宮の根

  • パナリ沖ダイビングポイント竜宮の根

    パナリ沖ダイビングポイント竜宮の根

  • パナリ沖ダイビングポイント竜宮の根

    パナリ沖ダイビングポイント竜宮の根

  • パナリ沖ダイビングポイント竜宮の根

    パナリ沖ダイビングポイント竜宮の根

  • パナリ沖ダイビングポイント竜宮の根

    パナリ沖ダイビングポイント竜宮の根

  • パナリ沖ダイビングポイント竜宮の根

    パナリ沖ダイビングポイント竜宮の根

  • パナリ沖ダイビングポイント竜宮の根

    パナリ沖ダイビングポイント竜宮の根

  • パナリ沖ダイビングポイント竜宮の根

    パナリ沖ダイビングポイント竜宮の根

  • パナリ沖ダイビングポイント竜宮の根

    パナリ沖ダイビングポイント竜宮の根

  • パナリ沖ダイビングポイント竜宮の根

    パナリ沖ダイビングポイント竜宮の根

  • パナリ沖ダイビングポイント竜宮の根

    パナリ沖ダイビングポイント竜宮の根

  • パナリ沖ダイビングポイント竜宮の根

    パナリ沖ダイビングポイント竜宮の根

  • パナリ沖ダイビングポイント竜宮の根

    パナリ沖ダイビングポイント竜宮の根

  • パナリ沖ダイビングポイント竜宮の根

    パナリ沖ダイビングポイント竜宮の根

  • パナリ沖ダイビングポイント竜宮の根

    パナリ沖ダイビングポイント竜宮の根

  • パナリ沖ダイビングポイント竜宮の根

    パナリ沖ダイビングポイント竜宮の根

  • パナリ沖ダイビングポイント竜宮の根

    パナリ沖ダイビングポイント竜宮の根

  • パナリ沖ダイビングポイント竜宮の根

    パナリ沖ダイビングポイント竜宮の根

  • パナリ沖ダイビングポイント竜宮の根

    パナリ沖ダイビングポイント竜宮の根

  • パナリ沖ダイビングポイント竜宮の根

    パナリ沖ダイビングポイント竜宮の根

  • パナリ沖ダイビングポイント竜宮の根

    パナリ沖ダイビングポイント竜宮の根

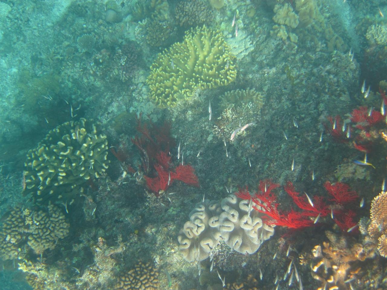
  • パナリ沖ダイビングポイント竜宮の根<br /><br />Misson イソバナのアップ写真を撮れ<br /><br />Complete<br /><br />獲得経験値 9.200<br />

    パナリ沖ダイビングポイント竜宮の根

    Misson イソバナのアップ写真を撮れ

    Complete

    獲得経験値 9.200

  • パナリ沖ダイビングポイント竜宮の根

    パナリ沖ダイビングポイント竜宮の根

この旅行記のタグ

1いいね!

利用規約に違反している投稿は、報告する事ができます。 問題のある投稿を連絡する

コメントを投稿する前に

十分に確認の上、ご投稿ください。 コメントの内容は攻撃的ではなく、相手の気持ちに寄り添ったものになっていますか?

サイト共通ガイドライン(利用上のお願い)

報道機関・マスメディアの方へ 画像提供などに関するお問い合わせは、専用のお問い合わせフォームからお願いいたします。

旅の計画・記録

マイルに交換できるフォートラベルポイントが貯まる
フォートラベルポイントって?

フォートラベル公式LINE@

おすすめの旅行記や旬な旅行情報、お得なキャンペーン情報をお届けします!
QRコードが読み取れない場合はID「@4travel」で検索してください。

\その他の公式SNSはこちら/

価格.com旅行・トラベルホテル・旅館を比較

PAGE TOP