宮古島旅行記(ブログ) 一覧に戻る
ダイビングライセンスを取得しに、沖縄へ来た。<br />そんなツアーの1日を使って、宮古島へ向かいました。<br />ライセンスあるけど、今回は日帰りなので、シュノーケルです(涙)。<br /><br /><br />朝の便で宮古島へ。<br />そして、最終の便で那覇へ。<br /><br />「どうして、そんなことをするの?」と訊かれたら、<br />私はこう答えるでしょう。<br />「宮古島が、サイコーだから」<br /><br />正確には宮古島じゃなく、伊良部&下地島がサイコーなんだよね。<br /><br />今年三度目の宮古島の旅、はじまりはじまり〜。<br /><br /><br />宮古島日記 合計52日間-------------------------------<br />11回目「いつもお世話になっている方々を宮古島に案内するです!」13年5月18〜23日(6日間)<br />http://4travel.jp/traveler/ross/album/10779259/<br /><br />10回目「宮古島と、台風と、まもる君の夏」12年9月27〜10月3日(7日間)<br />http://4travel.jp/traveler/ross/album/10713845<br /><br />9回目「初夏の宮古島を満喫なのです!」11年4月10〜14日(5日間)<br />http://4travel.jp/traveler/ross/album/10559032/<br /><br />8回目「I らぶ 宮古島」10年10月4〜8日(5日間)<br /> http://4travel.jp/traveler/ross/album/10509381/ <br /><br />7回目「記念すべき7回目の宮古島」10年2月12〜17日(6日間)<br /> http://4travel.jp/traveler/ross/album/10432552/ <br /><br />6回目「人だらけと曇りの宮古島」09年9月5〜9日(5日間)<br /> http://4travel.jp/traveler/ross/album/10374765/ <br /><br />5回目「宮古ブルーと日蝕を楽しむ旅」09年7月19〜23日(5日間)<br /> http://4travel.jp/traveler/ross/album/10359549/<br /><br />4回目「AOW資格習得の宮古島」08年10月25〜29日(5日間)<br /> http://4travel.jp/traveler/ross/album/10283971/<br /><br />3回目「日帰り宮古島への旅」08年8月15日(1日)<br /> http://4travel.jp/traveler/ross/album/10263405/<br /><br />2回目「宮古島完全堪能の一人旅」08年7月19〜21日(3日間)<br /> http://4travel.jp/traveler/ross/album/10256900/<br /><br />1回目「快晴の下地島空港」08年5月25〜28日(4日間)<br /> http://4travel.jp/traveler/ross/album/10244521/

日帰り宮古島への旅

1いいね!

2008/08/15 - 2008/08/15

4543位(同エリア4813件中)

0

33

4492.Toyo

4492.Toyoさん

ダイビングライセンスを取得しに、沖縄へ来た。
そんなツアーの1日を使って、宮古島へ向かいました。
ライセンスあるけど、今回は日帰りなので、シュノーケルです(涙)。


朝の便で宮古島へ。
そして、最終の便で那覇へ。

「どうして、そんなことをするの?」と訊かれたら、
私はこう答えるでしょう。
「宮古島が、サイコーだから」

正確には宮古島じゃなく、伊良部&下地島がサイコーなんだよね。

今年三度目の宮古島の旅、はじまりはじまり〜。


宮古島日記 合計52日間-------------------------------
11回目「いつもお世話になっている方々を宮古島に案内するです!」13年5月18〜23日(6日間)
http://4travel.jp/traveler/ross/album/10779259/

10回目「宮古島と、台風と、まもる君の夏」12年9月27〜10月3日(7日間)
http://4travel.jp/traveler/ross/album/10713845

9回目「初夏の宮古島を満喫なのです!」11年4月10〜14日(5日間)
http://4travel.jp/traveler/ross/album/10559032/

8回目「I らぶ 宮古島」10年10月4〜8日(5日間)
 http://4travel.jp/traveler/ross/album/10509381/

7回目「記念すべき7回目の宮古島」10年2月12〜17日(6日間)
 http://4travel.jp/traveler/ross/album/10432552/

6回目「人だらけと曇りの宮古島」09年9月5〜9日(5日間)
 http://4travel.jp/traveler/ross/album/10374765/

5回目「宮古ブルーと日蝕を楽しむ旅」09年7月19〜23日(5日間)
 http://4travel.jp/traveler/ross/album/10359549/

4回目「AOW資格習得の宮古島」08年10月25〜29日(5日間)
 http://4travel.jp/traveler/ross/album/10283971/

3回目「日帰り宮古島への旅」08年8月15日(1日)
 http://4travel.jp/traveler/ross/album/10263405/

2回目「宮古島完全堪能の一人旅」08年7月19〜21日(3日間)
 http://4travel.jp/traveler/ross/album/10256900/

1回目「快晴の下地島空港」08年5月25〜28日(4日間)
 http://4travel.jp/traveler/ross/album/10244521/

同行者
一人旅
一人あたり費用
3万円 - 5万円
交通手段
レンタカー ANAグループ
  • さぁ、朝の那覇空港です。<br />これより、宮古島へ向けて、ジャンプです。

    さぁ、朝の那覇空港です。
    これより、宮古島へ向けて、ジャンプです。

  • ------------------------------------<br />しかし、ちょっと速すぎやしないか?<br />搭乗口を見てみろ。<br />まだ誰もおらん。<br />------------------------------------

    ------------------------------------
    しかし、ちょっと速すぎやしないか?
    搭乗口を見てみろ。
    まだ誰もおらん。
    ------------------------------------

  • さぁ、搭乗時間です。<br />うひょー。<br />宮古島が俺をよんでいるー。

    さぁ、搭乗時間です。
    うひょー。
    宮古島が俺をよんでいるー。

  • 宮古島の天候はどうだろうか?<br />たぶん、曇りだろうけど……。

    宮古島の天候はどうだろうか?
    たぶん、曇りだろうけど……。

  • がーん。完全な曇りだ(涙)。<br /><br /><br />

    がーん。完全な曇りだ(涙)。


  • レンタカーを借りて、平良港へ。<br />さぁ、フェリーで伊良部へいくぞー。

    レンタカーを借りて、平良港へ。
    さぁ、フェリーで伊良部へいくぞー。

  • そして、やって来ましたよ。<br />前回の時、気になったが、入らなかった場所です。<br /><br />http://4travel.jp/traveler/ross/pict/14202705/<br /><br />ここですね。<br /><br />シュノーケルとマスク、フィンを装着して、Go!

    そして、やって来ましたよ。
    前回の時、気になったが、入らなかった場所です。

    http://4travel.jp/traveler/ross/pict/14202705/

    ここですね。

    シュノーケルとマスク、フィンを装着して、Go!

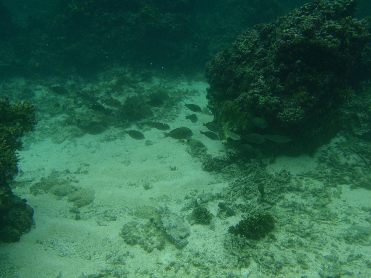
  • なんじゃここは。<br />サンゴだらけに、魚だらけ。<br /><br />ただ、残念なことに折られてしまったサンゴが多い。<br />潜るときは、慎重に。<br />

    なんじゃここは。
    サンゴだらけに、魚だらけ。

    ただ、残念なことに折られてしまったサンゴが多い。
    潜るときは、慎重に。

  • ホント、魚がいっぱいです。

    ホント、魚がいっぱいです。

  • ツノダシ?が泳いでいますー。

    ツノダシ?が泳いでいますー。

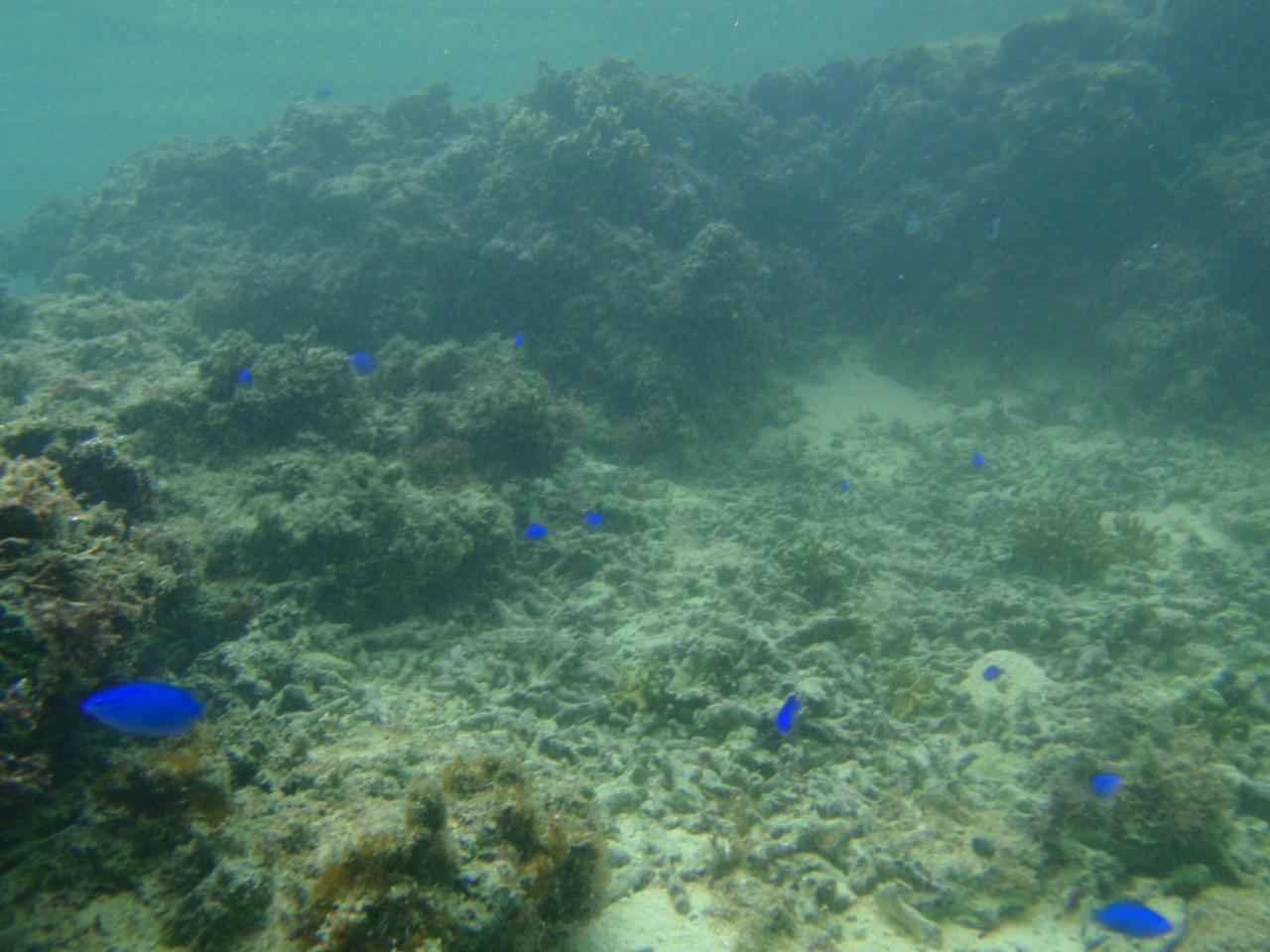
  • そして、お気に入りの場所・白鳥崎へ。<br />だ、誰もいない。<br /><br />うひょー。<br />

    そして、お気に入りの場所・白鳥崎へ。
    だ、誰もいない。

    うひょー。

  • やっぱり、ここはサイコーのシュノーケルスポットです。<br /><br />

    やっぱり、ここはサイコーのシュノーケルスポットです。

  • ただ、残念なことに、サンゴがこんなカンジになっている場所も。

    ただ、残念なことに、サンゴがこんなカンジになっている場所も。

  • こんな魚も泳いでいました。<br />

    こんな魚も泳いでいました。

  • コヤツも(笑)。

    コヤツも(笑)。

  • ホント、いろいろな魚が泳いでいます。<br />ここは、良い場所ですよ。

    ホント、いろいろな魚が泳いでいます。
    ここは、良い場所ですよ。

  • ブレてしまっていますが……こんなのも。

    ブレてしまっていますが……こんなのも。

  • 静かで、豊かな海です。

    静かで、豊かな海です。

  • しかも、自分以外はいません。<br />こんな海を独り占めですよ。

    しかも、自分以外はいません。
    こんな海を独り占めですよ。

  • もちろん、クマノミも泳いでいます。

    もちろん、クマノミも泳いでいます。

  • それにしても大きなイソギンだなー。

    それにしても大きなイソギンだなー。

  • そして、身体を洗い、着替えて……。<br />訓練をやっていない下地島空港のRW17へ。

    そして、身体を洗い、着替えて……。
    訓練をやっていない下地島空港のRW17へ。

  • そして、オーシャンハウスinさしばのコテージを。<br />下地島でダイブするなら、島内に宿泊するのが一番ですから。<br /><br />下見してみました。<br />車椅子のヤツが宿泊できるか……の確認も含めてです。

    そして、オーシャンハウスinさしばのコテージを。
    下地島でダイブするなら、島内に宿泊するのが一番ですから。

    下見してみました。
    車椅子のヤツが宿泊できるか……の確認も含めてです。

  • そして、初めて行く牧山展望台。<br />今まで、遠くから見ていただけなので。<br /><br />へー、こんなカンジなんだ。<br /><br /><br />そういや、晴れてきたぞ。

    そして、初めて行く牧山展望台。
    今まで、遠くから見ていただけなので。

    へー、こんなカンジなんだ。


    そういや、晴れてきたぞ。

  • ------------------------------------<br />たぶん、昼の便で行いの悪いヤツが帰ったんじゃよ。<br />それにしても、ここは眺めがよいな。<br />宮古島が良く見えるぞ。<br />------------------------------------

    ------------------------------------
    たぶん、昼の便で行いの悪いヤツが帰ったんじゃよ。
    それにしても、ここは眺めがよいな。
    宮古島が良く見えるぞ。
    ------------------------------------

  • で、宮古島へのフェリーの中。<br />車だらけです。<br /><br />バイクも含めて、30台以上が載っています。

    で、宮古島へのフェリーの中。
    車だらけです。

    バイクも含めて、30台以上が載っています。

  • ナビは海上を指す。<br /><br />あっ、ナビを使っていなかった。<br />って、もう使わなくても走れますよ。<br /><br />方向感覚には自信があります。<br />

    ナビは海上を指す。

    あっ、ナビを使っていなかった。
    って、もう使わなくても走れますよ。

    方向感覚には自信があります。

  • そして、宮古島空港最終の飛行機にて那覇へ帰ります。

    そして、宮古島空港最終の飛行機にて那覇へ帰ります。

  • ------------------------------------<br />待合室もガラガラになりつつある。<br />おぬしも速く乗らないといかんぞ。<br />------------------------------------<br />

    ------------------------------------
    待合室もガラガラになりつつある。
    おぬしも速く乗らないといかんぞ。
    ------------------------------------

  • そして、宮古島空港は誰もいなくなった。<br />って、完全に晴れたじゃん。<br />

    そして、宮古島空港は誰もいなくなった。
    って、完全に晴れたじゃん。

  • そして、夜空を飛ぶ。

    そして、夜空を飛ぶ。

  • で、閉まりかけの那覇空港に到着。<br />誰もいねー(笑)。

    で、閉まりかけの那覇空港に到着。
    誰もいねー(笑)。

  • 日帰りで宮古島へとは……。<br />楽しかった。<br /><br />宮古島に住みたいですよ。

    日帰りで宮古島へとは……。
    楽しかった。

    宮古島に住みたいですよ。

この旅行記のタグ

1いいね!

利用規約に違反している投稿は、報告する事ができます。 問題のある投稿を連絡する

コメントを投稿する前に

十分に確認の上、ご投稿ください。 コメントの内容は攻撃的ではなく、相手の気持ちに寄り添ったものになっていますか?

サイト共通ガイドライン(利用上のお願い)

報道機関・マスメディアの方へ 画像提供などに関するお問い合わせは、専用のお問い合わせフォームからお願いいたします。

旅の計画・記録

マイルに交換できるフォートラベルポイントが貯まる
フォートラベルポイントって?

フォートラベル公式LINE@

おすすめの旅行記や旬な旅行情報、お得なキャンペーン情報をお届けします!
QRコードが読み取れない場合はID「@4travel」で検索してください。

\その他の公式SNSはこちら/

タグから国内旅行記(ブログ)を探す

PAGE TOP