石垣島旅行記(ブログ) 一覧に戻る
焼肉“金城”での宴の翌日から。

2006年10月八重山その2

2いいね!

2006/10/18 - 2006/10/26

5374位(同エリア5934件中)

0

25

かさ

かささん

焼肉“金城”での宴の翌日から。

交通手段
レンタカー ANAグループ
  • 今日はふくみみさんというネイチャーガイドに<br />お世話になりました。<br />名蔵大橋をすぎたあたりからひるぎ林に突入!<br />もちユキも一緒(笑)

    今日はふくみみさんというネイチャーガイドに
    お世話になりました。
    名蔵大橋をすぎたあたりからひるぎ林に突入!
    もちユキも一緒(笑)

  • どんどんすすんでいきます。<br />絶対一人じゃこれないな〜。<br />すでにどろどろ。もちろんぬれてもよい服装で<br />したから問題ありませんが。

    どんどんすすんでいきます。
    絶対一人じゃこれないな〜。
    すでにどろどろ。もちろんぬれてもよい服装で
    したから問題ありませんが。

  • ヒルギは塩を数枚の葉にためその葉を枯らすことで<br />生きています。黄色くなった葉がそうなのですが<br />これがポトリとおちたところに貝があつまってきます。写真の貝がそうなんですが実はこの落ち葉を<br />食べていきているんですよね。ご存知でしたか?

    ヒルギは塩を数枚の葉にためその葉を枯らすことで
    生きています。黄色くなった葉がそうなのですが
    これがポトリとおちたところに貝があつまってきます。写真の貝がそうなんですが実はこの落ち葉を
    食べていきているんですよね。ご存知でしたか?

  • もう靴は脱ぎ捨ててどんどん川に入っていきます。<br />潮が引いているのにあわせたツアーなので<br />みるみる川底がみえてきます。ワンコもリード<br />なしは当たりまえ!

    もう靴は脱ぎ捨ててどんどん川に入っていきます。
    潮が引いているのにあわせたツアーなので
    みるみる川底がみえてきます。ワンコもリード
    なしは当たりまえ!

  • ユキが野鳥をおいかけていった時の様子。<br />もちろん捕まえられませんが悔しい後ろ姿を<br />パチリ。

    ユキが野鳥をおいかけていった時の様子。
    もちろん捕まえられませんが悔しい後ろ姿を
    パチリ。

  • お昼になったのでふくみみさんのおうちへ!<br />ナーベラー(へちま)と豚肉の味噌炒めをみんなでつくります〜。

    お昼になったのでふくみみさんのおうちへ!
    ナーベラー(へちま)と豚肉の味噌炒めをみんなでつくります〜。

  • 調理する人その1.

    調理する人その1.

  • 調理する人その2.

    調理する人その2.

  • 待つだけの人(爆)

    待つだけの人(爆)

  • 完成!

    完成!

  • デザートは地元でとれた果物。<br />ドラゴンフルーツだっけ。<br />赤と白があるんですが赤が美味しいとか?<br />(違ったらごめんなさい)

    デザートは地元でとれた果物。
    ドラゴンフルーツだっけ。
    赤と白があるんですが赤が美味しいとか?
    (違ったらごめんなさい)

  • 昼ごはんをして午後はシュノーケリングへ。<br />普通の道路から秘密の小道をおりていくと・・・

    昼ごはんをして午後はシュノーケリングへ。
    普通の道路から秘密の小道をおりていくと・・・

  • タイトルにある景色が広がります。<br />だあれもいない海。珊瑚が群生しています。

    タイトルにある景色が広がります。
    だあれもいない海。珊瑚が群生しています。

  • ワンコもライフジャケット着用で<br />スタインバイOK!

    ワンコもライフジャケット着用で
    スタインバイOK!

  • 安全のためウエットスーツ着用。<br />おまけにライフジャケットも!!<br />絶対死なないな〜。

    安全のためウエットスーツ着用。
    おまけにライフジャケットも!!
    絶対死なないな〜。

  • どんどん海にはいっていきます。<br />ユキも一緒です。

    どんどん海にはいっていきます。
    ユキも一緒です。

  • はじめは浅いですが段々深くなり<br />まずはお犬様が犬かきモードへ(笑)

    はじめは浅いですが段々深くなり
    まずはお犬様が犬かきモードへ(笑)

  • 海の中はこんな感じ。

    海の中はこんな感じ。

  • もう少し深くなるとものすごい熱帯魚が出現。<br />珊瑚も色とりどりに変化してきます。<br />(※ここからデジカメの水中用ハウジングに<br />  湿気取りいれるの忘れくもってきちゃいます)

    もう少し深くなるとものすごい熱帯魚が出現。
    珊瑚も色とりどりに変化してきます。
    (※ここからデジカメの水中用ハウジングに
      湿気取りいれるの忘れくもってきちゃいます)

  • ユキは泳ぎ疲れたら私の背中で休憩!<br />

    ユキは泳ぎ疲れたら私の背中で休憩!

  • なんてずる賢いのだろう。<br />ほっとくといつまでたっても休憩中のよう(笑)

    なんてずる賢いのだろう。
    ほっとくといつまでたっても休憩中のよう(笑)

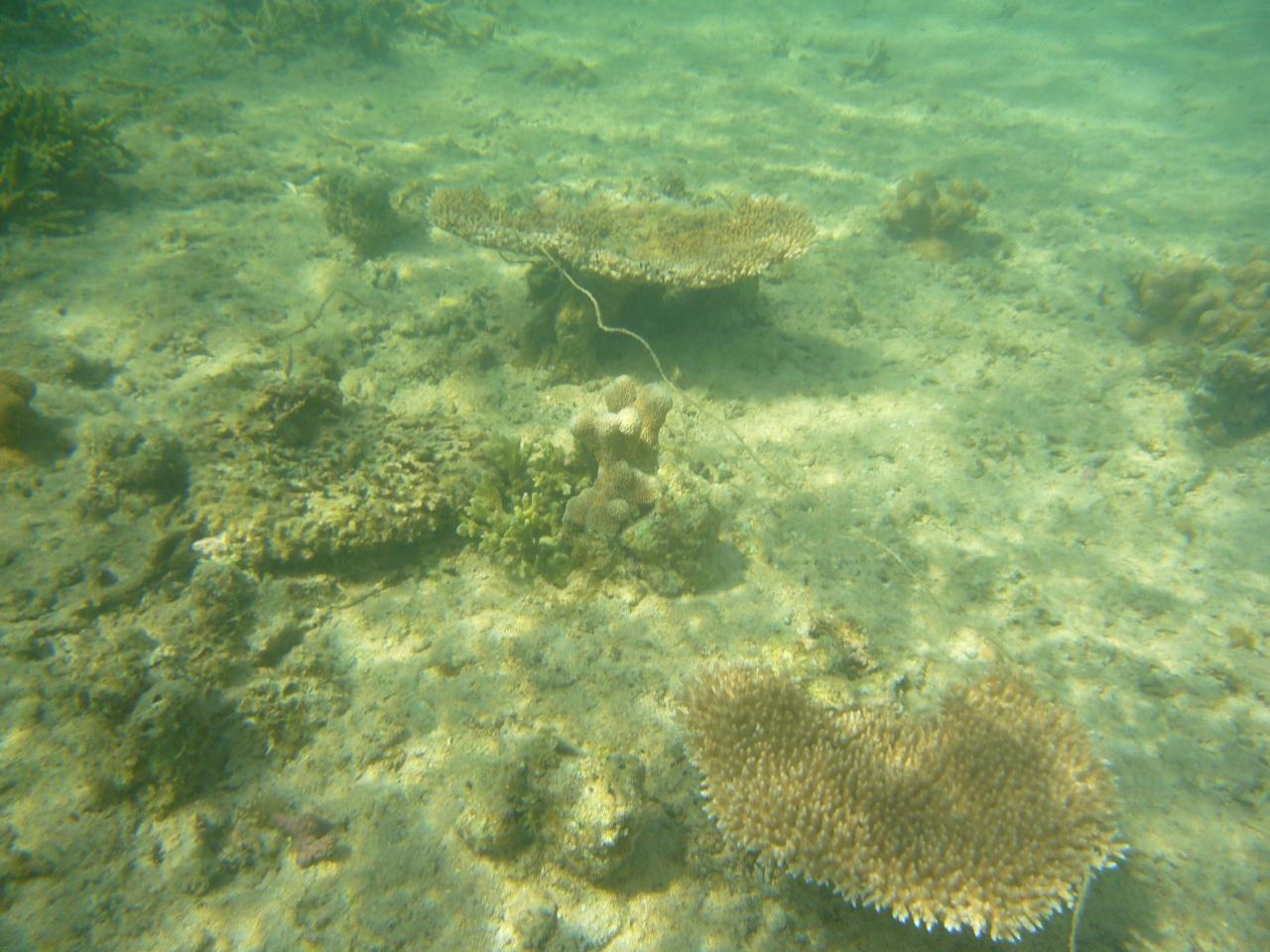
  • きれいな珊瑚。

    きれいな珊瑚。

  • 変わった色の珊瑚。

    変わった色の珊瑚。

  • 遊び疲れたのかワンコは先に浜に戻って<br />まっていました(笑)

    遊び疲れたのかワンコは先に浜に戻って
    まっていました(笑)

  • とっても面白い一日でした、<br />ペンションに戻るとお犬様は真っ先に<br />お昼寝モードへ。

    とっても面白い一日でした、
    ペンションに戻るとお犬様は真っ先に
    お昼寝モードへ。

この旅行記のタグ

2いいね!

利用規約に違反している投稿は、報告する事ができます。 問題のある投稿を連絡する

コメントを投稿する前に

十分に確認の上、ご投稿ください。 コメントの内容は攻撃的ではなく、相手の気持ちに寄り添ったものになっていますか?

サイト共通ガイドライン(利用上のお願い)

報道機関・マスメディアの方へ 画像提供などに関するお問い合わせは、専用のお問い合わせフォームからお願いいたします。

旅の計画・記録

マイルに交換できるフォートラベルポイントが貯まる
フォートラベルポイントって?

フォートラベル公式LINE@

おすすめの旅行記や旬な旅行情報、お得なキャンペーン情報をお届けします!
QRコードが読み取れない場合はID「@4travel」で検索してください。

\その他の公式SNSはこちら/

PAGE TOP