2024/12/10 - 2024/12/10
72位(同エリア206件中)
タイさん
タイです。
インドネシア、バンダ諸島、アンボンの外れ、
マサニウエで泳いでみます。
- 旅行の満足度
- 3.5
- 観光
- 3.5
- 交通
- 2.5
- 同行者
- 一人旅
- 旅行の手配内容
- 個別手配
-
2024/12/10(火) 晴れ
バンダ・ネイラ、マサニウエ2日目
ーーーーーーーーーーーーーーーーーー
マサニウエ2日目。
今日は空が良く晴れています。
体調は余り良く無いのですが、
ここまで来たからには、海の様子を見てみたいと思います。 -
シュノーケルを持ってビーチに行き、
-
岩を掘り抜いた様なプールに入ります。
-
海に入って、
-
砂地のプールを泳いで出ると、
-
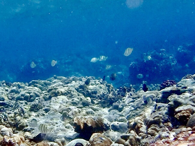
死んだサンゴとルリスズメダイが現れました。
-
海が深くなるに従って、色々な魚達が泳いでいます。
-
魚達の群れも現れて、
-
色のついたサンゴもチラホラ見えて来ます。
-
黄色い筋の入ったナミダクロハギに
-
ニジハギもいました。
-
浅瀬から
-
天然のプールに戻って、
-
海の上に顔を出します。
-
階段を上がって、部屋に戻ります。
-
残念ながら、
沢山の魚や珊瑚を見れなかったのですが、
泳ぎやすいマサニウエの海でした。
ーーーーーーーーーーーーーーーー
2019/11/27から旅を初めて1838目まで
計 9,831,921円使用。
1日、5349円 使っています。
利用規約に違反している投稿は、報告する事ができます。
旅行記グループ
タイさんのインドネシアから東
-
前の旅行記
タイさんの旅 インドネシアから東へ24日目 バンダネイラ、アンボンの外れのビーチ
2024/12/09~
その他の都市
-
次の旅行記
タイさんの旅 インドネシアから東へ28日目 バリ島から福岡に帰ります。
2024/12/13~
バリ島
-
タイさんの旅 インドネシアから東へ 1日目(2024/11/15) 熊本から福岡へ
2024/11/15~
熊本市
-
タイさんの旅 インドネシアから東へ 2日目(2024/11/16) 福岡からハノイへ
2024/11/16~
ハノイ
-
タイさんの旅 インドネシアから東へ。3日目(2024/11/17) ハノイからバリ島へ
2024/11/17~
ハノイ
-
タイさんの旅 インドネシアから東へ。4日目(2024/11/18) バリ島からペニダ島へ
2024/11/18~
バリ島
-
タイさんの旅 インドネシアから東へ。5日目(2024/11/19) ペニダ島、マンタツアー
2024/11/19~
バリ島
-
タイさんの旅 インドネシアから東へ。6日目(2024/11/20) ペニダ島 観光
2024/11/20~
バリ島
-
タイさんの旅 インドネシアから東へ。7日目(2024/11/21) ペニダ島からバリ島へ
2024/11/21~
バリ島
-
タイさんの旅 インドネシアから東へ。8日目(2024/11/22) バリ島から東ティモールへ
2024/11/22~
ディリ
-
タイさんの旅 東ティモールへ。9日目(2024/11/23) 首都ディリからアタウロ島へ
2024/11/23~
ディリ
-
タイさんの旅 インドネシアから東へ 10日目。アタウロ島でシロナガスクジラ・スイミング
2024/11/25~
その他の都市
-
タイさんの旅 インドネシアから東へ 13日目。東ティモール、アタウロ島からディリへ
2024/11/28~
ディリ
-
タイさんの旅 インドネシアから東へ 14日目。東ティモール、沈没船シュノーケリング
2024/11/29~
ディリ
-
タイさんの旅 インドネシアから東へ 15日目。東ティモールからバリ島を経由して、マカッサルへ
2024/11/30~
ディリ
-
タイさんの旅 インドネシアから東へ 16日目。インドネシア マカッサルからアンボン、バンダ諸島へ
2024/12/01~
その他の都市
-
タイさんの旅 インドネシアから東へ 17日目。インドネシア、バンダ島からハッタ島へ
2024/12/02~
その他の観光地
-
タイさんの旅 インドネシアから東へ 18日目。バンダネイラ、ハッタ島。島の周りを歩いてみます。
2024/12/03~
その他の観光地
-
タイさんの旅 インドネシアから東へ 19日目。バンダネイラ、ハッタ島3日目。嵐の中。
2024/12/04~
その他の観光地
-
タイさんの旅 インドネシアから東へ20日目 バンダネイラ ハッタ島4日目。島の東側でシュノーケリング
2024/12/05~
その他の都市
-
タイさんの旅 インドネシアから東へ21日目 バンダネイラ ハッタ島からバンダ島へ
2024/12/06~
その他の観光地
-
タイさんの旅 インドネシアから東へ22日目 バンダネイラ、バンダ島からアンボンへ
2024/12/07~
その他の観光地
-
タイさんの旅 インドネシアから東へ23日目 バンダネイラ、バンダ島からアンボンへ 2
2024/12/08~
その他の観光地
-
タイさんの旅 インドネシアから東へ24日目 バンダネイラ、アンボンの外れのビーチ
2024/12/09~
その他の都市
-
タイさんの旅 インドネシアから東へ25日目 バンダネイラ、アンボンの外れの海
2024/12/10~
その他の観光地
-
タイさんの旅 インドネシアから東へ28日目 バリ島から福岡に帰ります。
2024/12/13~
バリ島
旅行記グループをもっと見る
コメントを投稿する前に
十分に確認の上、ご投稿ください。 コメントの内容は攻撃的ではなく、相手の気持ちに寄り添ったものになっていますか?
サイト共通ガイドライン(利用上のお願い)報道機関・マスメディアの方へ 画像提供などに関するお問い合わせは、専用のお問い合わせフォームからお願いいたします。
その他の観光地(インドネシア) の旅行記
旅の計画・記録
マイルに交換できるフォートラベルポイントが貯まる
フォートラベルポイントって?
その他の観光地(インドネシア) の人気ホテル
インドネシアで使うWi-Fiはレンタルしましたか?
フォートラベル GLOBAL WiFiなら
インドネシア最安
294円/日~
- 空港で受取・返却可能
- お得なポイントがたまる
旅行記グループ タイさんのインドネシアから東
0
16