グアム旅行記(ブログ) 一覧に戻る
9月14・15日に東京ビックサイトで開催された「旅博2013」。その会場で行われていた東北復興支援チャリーティーオークション。<br />落札出来るはずもない。でも東北復興の支援になるなら、と参加したオークション。<br /><br />なんと3泊のグアムリーフ&スパリゾートの宿泊を見事落札。<br /><br />妻と休日を調整しながら、往復の航空券を手配しグアムに向かいました。<br /><br />初日は移動と夕食を中心に<br />2日目はゴルフを中心に<br />3日目はシュノーケリングを中心に<br />最終日はランチとお土産を中心に<br /><br />4回に分けてアップしていきます。<br /><br />次に3日目(11月16日)です。<br />

旅博2013東北復興支援オークションで落札したグアムの旅(その3)

12いいね!

2013/11/14 - 2013/11/17

4899位(同エリア10502件中)

0

20

ナッツッチ

ナッツッチさん

9月14・15日に東京ビックサイトで開催された「旅博2013」。その会場で行われていた東北復興支援チャリーティーオークション。
落札出来るはずもない。でも東北復興の支援になるなら、と参加したオークション。

なんと3泊のグアムリーフ&スパリゾートの宿泊を見事落札。

妻と休日を調整しながら、往復の航空券を手配しグアムに向かいました。

初日は移動と夕食を中心に
2日目はゴルフを中心に
3日目はシュノーケリングを中心に
最終日はランチとお土産を中心に

4回に分けてアップしていきます。

次に3日目(11月16日)です。

旅行の満足度
4.5
観光
4.5
ホテル
4.0
グルメ
3.0
ショッピング
3.0
交通
3.0
同行者
カップル・夫婦
一人あたり費用
10万円 - 15万円
交通手段
観光バス 徒歩
航空会社
デルタ航空
旅行の手配内容
個別手配
  • 3日目は少し遅めに起きました。<br /><br />タモン湾は日差しをいっぱい浴びてとても綺麗な緑色になっています。<br /><br />今日はシュノーケリングの予定です。

    3日目は少し遅めに起きました。

    タモン湾は日差しをいっぱい浴びてとても綺麗な緑色になっています。

    今日はシュノーケリングの予定です。

  • 朝食は初日の夕食場所であった「MAIN」で頂きます。<br /><br />今朝もいっぱい食べました。

    朝食は初日の夕食場所であった「MAIN」で頂きます。

    今朝もいっぱい食べました。

  • ホテルのプールです。<br /><br />朝食後時間があったので、ホテル内をウロウロ!!

    ホテルのプールです。

    朝食後時間があったので、ホテル内をウロウロ!!

  • 本日のメイン<br /><br />ココパームガーデンでのシュノーケリングです。<br /><br />到着したのが12時。<br />潮が引いている時間帯でしたが、引き具合はそれほどでもありません。

    本日のメイン

    ココパームガーデンでのシュノーケリングです。

    到着したのが12時。
    潮が引いている時間帯でしたが、引き具合はそれほどでもありません。

  • ちなみに、当日の干潮情報はこの画像の通りで、お昼過ぎが日中で一番の引潮に状態です。<br /><br />事前に調べていくといいと思いますよ。

    ちなみに、当日の干潮情報はこの画像の通りで、お昼過ぎが日中で一番の引潮に状態です。

    事前に調べていくといいと思いますよ。

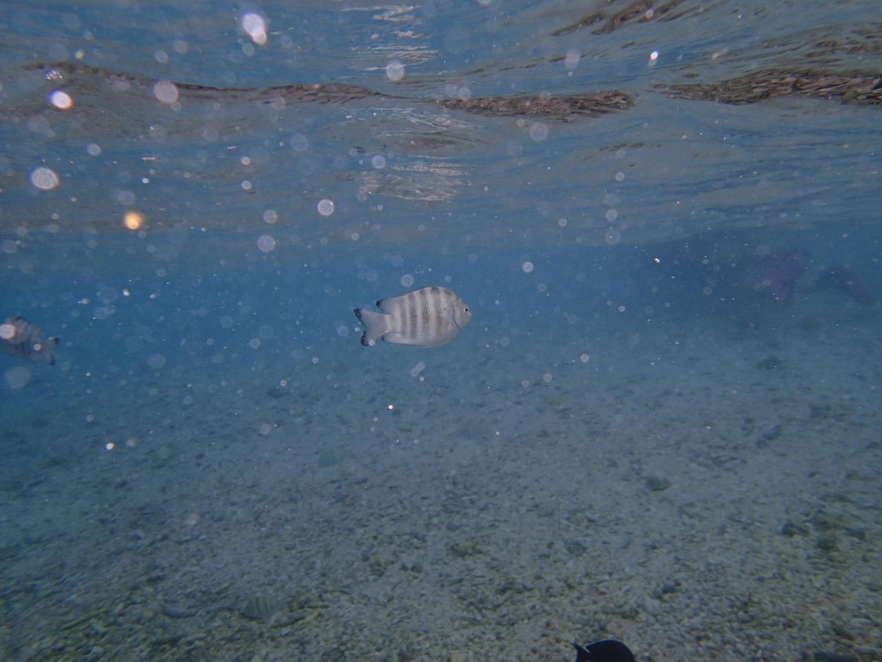
  • いますいます。<br /><br />魚達。<br /><br />魚用の餌が2ドルで売っていましたが、その必要はありません。<br /><br />海に入るといっぱいいます。

    いますいます。

    魚達。

    魚用の餌が2ドルで売っていましたが、その必要はありません。

    海に入るといっぱいいます。

  • ほらね!!<br /><br />いるでしょ。<br /><br />ランチの時間だったのですが、妻と二人海の中に1時間ほどいました。

    ほらね!!

    いるでしょ。

    ランチの時間だったのですが、妻と二人海の中に1時間ほどいました。

  • 潮も一番引いてきている時間帯なのでランチを頂きに。<br /><br />ヤシの木の影が白い砂浜にピッタリでしょ!!

    イチオシ

    潮も一番引いてきている時間帯なのでランチを頂きに。

    ヤシの木の影が白い砂浜にピッタリでしょ!!

  • なんとランチの時間は1時までだったそうで、5分ほど遅刻。<br /><br />でも、しっかり出していただきました。<br /><br />バーベキューランチ。<br />チキンに牛、それに豚。<br />サラダにデザートまで付きました。<br /><br />あまり期待していなかったのですが、とても美味しかったです。<br /><br />このランチタイム中にスコール。<br /><br />午後は曇空で真っ青な海を見ることはできませんでした。

    なんとランチの時間は1時までだったそうで、5分ほど遅刻。

    でも、しっかり出していただきました。

    バーベキューランチ。
    チキンに牛、それに豚。
    サラダにデザートまで付きました。

    あまり期待していなかったのですが、とても美味しかったです。

    このランチタイム中にスコール。

    午後は曇空で真っ青な海を見ることはできませんでした。

  • それでも海の中には魚がいっぱいです。

    それでも海の中には魚がいっぱいです。

  • 何か魚がいるのですが・・・。<br /><br /><br />わかりますか?<br /><br /><br />周りの砂と同化しているのでわからないでしょ。<br /><br />ヒラメだと思うのですが・・・。

    何か魚がいるのですが・・・。


    わかりますか?


    周りの砂と同化しているのでわからないでしょ。

    ヒラメだと思うのですが・・・。

  • 大きなヒトデも

    大きなヒトデも

  • イチオシ

  • 午後3時まで昼寝をしたり、シュノーケリングしたり、天気は今一つでしたが、楽しみました。<br /><br />この日ために新しく購入したオリンパスのカメラ。<br /><br />いい写真が撮れました。<br />※動画も綺麗に撮れていました。

    午後3時まで昼寝をしたり、シュノーケリングしたり、天気は今一つでしたが、楽しみました。

    この日ために新しく購入したオリンパスのカメラ。

    いい写真が撮れました。
    ※動画も綺麗に撮れていました。

  • 3日目の夕食は、ホテルの外で食べることになりました。<br /><br />「アウトバックステーキハウス」<br /><br />アメリカNO1のビールを頂きます。

    3日目の夕食は、ホテルの外で食べることになりました。

    「アウトバックステーキハウス」

    アメリカNO1のビールを頂きます。

  • お店の定番メニュー。<br /><br />オニオンフライ。<br />これがビールにあうんです。<br /><br />もうビールが進むこと進むこと。

    お店の定番メニュー。

    オニオンフライ。
    これがビールにあうんです。

    もうビールが進むこと進むこと。

  • メインはこちら<br /><br />「ステーキとカニのコンボ」<br /><br />こちらを二人でシェアして食べました。<br />写真はありませんが、これにはサラダとパンも別についてきます。<br /><br />

    メインはこちら

    「ステーキとカニのコンボ」

    こちらを二人でシェアして食べました。
    写真はありませんが、これにはサラダとパンも別についてきます。

この旅行記のタグ

12いいね!

利用規約に違反している投稿は、報告する事ができます。 問題のある投稿を連絡する

コメントを投稿する前に

十分に確認の上、ご投稿ください。 コメントの内容は攻撃的ではなく、相手の気持ちに寄り添ったものになっていますか?

サイト共通ガイドライン(利用上のお願い)

報道機関・マスメディアの方へ 画像提供などに関するお問い合わせは、専用のお問い合わせフォームからお願いいたします。

旅の計画・記録

マイルに交換できるフォートラベルポイントが貯まる
フォートラベルポイントって?

グアムで使うWi-Fiはレンタルしましたか?

フォートラベル GLOBAL WiFiなら
グアム最安 459円/日~

  • 空港で受取・返却可能
  • お得なポイントがたまる

グアムの料金プランを見る

フォートラベル公式LINE@

おすすめの旅行記や旬な旅行情報、お得なキャンペーン情報をお届けします!
QRコードが読み取れない場合はID「@4travel」で検索してください。

\その他の公式SNSはこちら/

この旅行記の地図

拡大する

PAGE TOP