石垣島旅行記(ブログ) 一覧に戻る
普段は鬼のような会社殿から、めずらしく貰えることとなった月曜年休。<br /><br />南国熱さめやらぬワタクシ、この土・日・月の3連休を逃すまいと早速ネットで直前予約が可能なツアーを探していたところ・・・苦労の甲斐あって、石垣島2泊3日格安ツアーを発見!さっそくポチッと予約いたしました。<br /><br />今年の沖縄は台風4号・5号の影響で梅雨が長引きましたが、ちょうど出発当日に梅雨明けが宣言されました。<br />奇しくもこの日、沖縄は戦後67回目の「慰霊の日」にあたり、本島糸満市では戦没者の追悼式がしめやかに執り行われておりました。<br /><br />平和への祈りに包まれた沖縄に、今年も暑い夏がやってきました。

石垣島 −夏の訪れは平和への祈りとともに−Part2 美ら海シュノーケル・ぶらり竹富島編

80いいね!

2012/06/23 - 2012/06/25

245位(同エリア5891件中)

13

70

okapy

okapyさん

普段は鬼のような会社殿から、めずらしく貰えることとなった月曜年休。

南国熱さめやらぬワタクシ、この土・日・月の3連休を逃すまいと早速ネットで直前予約が可能なツアーを探していたところ・・・苦労の甲斐あって、石垣島2泊3日格安ツアーを発見!さっそくポチッと予約いたしました。

今年の沖縄は台風4号・5号の影響で梅雨が長引きましたが、ちょうど出発当日に梅雨明けが宣言されました。
奇しくもこの日、沖縄は戦後67回目の「慰霊の日」にあたり、本島糸満市では戦没者の追悼式がしめやかに執り行われておりました。

平和への祈りに包まれた沖縄に、今年も暑い夏がやってきました。

同行者
一人旅
一人あたり費用
3万円 - 5万円
交通手段
高速・路線バス レンタカー ANAグループ
旅行の手配内容
ツアー(添乗員同行なし)
  • 三日目の朝。<br /><br />少し雲が多いですが日差しが強く、今日も暑くなりそうです。<br /><br />あ〜っ、もう今日が最終日なのかあ・・・。早すぎますって(ー。ー)チェッ<br /><br />でも帰りの飛行機は夕方発ですから、それまでたっぷり楽しむことにしましょう。<br /><br />

    三日目の朝。

    少し雲が多いですが日差しが強く、今日も暑くなりそうです。

    あ〜っ、もう今日が最終日なのかあ・・・。早すぎますって(ー。ー)チェッ

    でも帰りの飛行機は夕方発ですから、それまでたっぷり楽しむことにしましょう。

  • 今日は午前中は海でシュノーケル、午後はフェリーで竹富島に渡りサイクリングを楽しむ予定です。<br /><br />体力勝負になりそうなので、朝食はホテルのビュッフェでがっつりといただきました。<br /><br />

    今日は午前中は海でシュノーケル、午後はフェリーで竹富島に渡りサイクリングを楽しむ予定です。

    体力勝負になりそうなので、朝食はホテルのビュッフェでがっつりといただきました。

  • 8:00過ぎにはホテルをチェックアウトし、白保海岸にある民宿マエザトさんにやってきました。<br /><br />こちらの民宿で取り扱っているシュノーケルツアーは、事前予約すれば宿泊者以外でも参加できます。<br /><br />白保海岸には世界最大ともいわれるアオサンゴ群落があり、一度は見ておきたいと思い参加することにいたしました。

    8:00過ぎにはホテルをチェックアウトし、白保海岸にある民宿マエザトさんにやってきました。

    こちらの民宿で取り扱っているシュノーケルツアーは、事前予約すれば宿泊者以外でも参加できます。

    白保海岸には世界最大ともいわれるアオサンゴ群落があり、一度は見ておきたいと思い参加することにいたしました。

  • 民宿のお父っつあんが運転するボートに乗って、さっそく沖合へと向かいます。<br /><br />しかし今日は、朝からものすごい暑さです!(+o+)<br /><br />早く海に入りたいな〜♪<br /><br /><br />

    民宿のお父っつあんが運転するボートに乗って、さっそく沖合へと向かいます。

    しかし今日は、朝からものすごい暑さです!(+o+)

    早く海に入りたいな〜♪


  • 本日最初のポイントに到着しました。<br /><br />ここのシュノーケルツアーは、何を見たいかによってポイントを変えてくれます。<br /><br />ボートの底がガラスになっており、海の中を見ながらお父っつあんが船上で見どころを事前説明してくれるので、無駄に泳がず見どころだけをバッチリおさえられます。<br /><br />では早速、海の中へ入ってみましょう。

    本日最初のポイントに到着しました。

    ここのシュノーケルツアーは、何を見たいかによってポイントを変えてくれます。

    ボートの底がガラスになっており、海の中を見ながらお父っつあんが船上で見どころを事前説明してくれるので、無駄に泳がず見どころだけをバッチリおさえられます。

    では早速、海の中へ入ってみましょう。

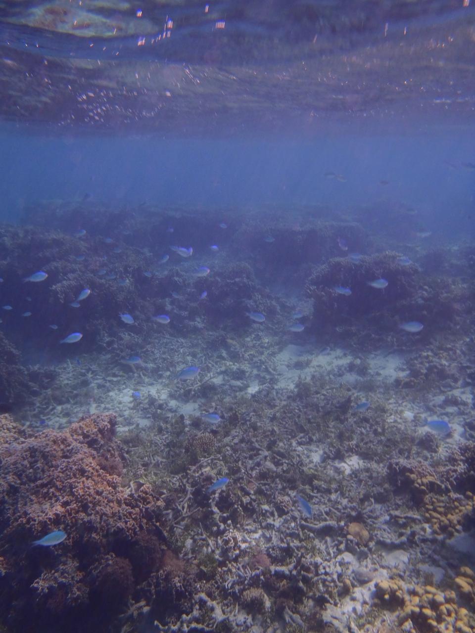
  • お父っつあん曰く、この日は沖合に高い波がたっており、残念ながら海の透明度はあまり良くないとの事。<br /><br />それでもかなりクリアに見渡せますし、お魚も沢山泳いでいます。<br /><br />もっと透明度が上がれば、それこそ素晴らしい光景が見られるのでしょうね。<br /><br />

    お父っつあん曰く、この日は沖合に高い波がたっており、残念ながら海の透明度はあまり良くないとの事。

    それでもかなりクリアに見渡せますし、お魚も沢山泳いでいます。

    もっと透明度が上がれば、それこそ素晴らしい光景が見られるのでしょうね。

  • 最初のポイントでは、美しい枝サンゴの群生が見られます。<br /><br />青く光ってとても美しいですが、これはかの有名なアオサンゴではありません。<br />アオサンゴ群落へは、最後に連れて行ってくれるようです。<br /><br />・・・お父っつあん、焦らしてくれるじゃないの(笑)

    最初のポイントでは、美しい枝サンゴの群生が見られます。

    青く光ってとても美しいですが、これはかの有名なアオサンゴではありません。
    アオサンゴ群落へは、最後に連れて行ってくれるようです。

    ・・・お父っつあん、焦らしてくれるじゃないの(笑)

  • 前回行ったフィジーの海もそうでしたが、珊瑚って本当に種類が多いですよね。<br /><br />この白保の海だけでも数百種類の珊瑚が生息すると云われているそうですが、詳しくは判っていないらしいです。<br /><br />これはワタクシが勝手に命名した「おやき」サンゴです(笑)

    前回行ったフィジーの海もそうでしたが、珊瑚って本当に種類が多いですよね。

    この白保の海だけでも数百種類の珊瑚が生息すると云われているそうですが、詳しくは判っていないらしいです。

    これはワタクシが勝手に命名した「おやき」サンゴです(笑)

  • お父っつあんによれば、この岩はクマノミマンションなのだそうです。<br /><br />どれどれ・・・ちょっと覗いてみましょう(p_-)

    お父っつあんによれば、この岩はクマノミマンションなのだそうです。

    どれどれ・・・ちょっと覗いてみましょう(p_-)

  • あ、ホントだ!<br /><br />ハナクマノミがいる!

    あ、ホントだ!

    ハナクマノミがいる!

  • おわっ!(◎o◎)<br /><br />ウジャウジャいますよ!<br /><br />こんなにクマノミが密集している光景は、初めて見ました。<br /><br />

    おわっ!(◎o◎)

    ウジャウジャいますよ!

    こんなにクマノミが密集している光景は、初めて見ました。

  • 珊瑚の色も、本当に様々です。<br /><br />黄色かったり・・・。

    珊瑚の色も、本当に様々です。

    黄色かったり・・・。

  • 赤かったり、茶色かったりと・・・。

    赤かったり、茶色かったりと・・・。

  • 名前は判りませんが、とにかく珊瑚が元気だということは確かです。<br /><br />この海が、一時は新空港建設で埋め立てられようとしていたんですね。<br />取り返しのつかないことにならなくて良かった・・・。<br /><br />これからもずっとずっと、この生態系豊かな美しい海を守り続けてもらいたいものです。

    名前は判りませんが、とにかく珊瑚が元気だということは確かです。

    この海が、一時は新空港建設で埋め立てられようとしていたんですね。
    取り返しのつかないことにならなくて良かった・・・。

    これからもずっとずっと、この生態系豊かな美しい海を守り続けてもらいたいものです。

  • さて、再びボートに戻り次のポイントへと移動します。<br /><br />「今度はカクレクマノミ、見せてあげるからね〜」<br /><br />おおっ、待ってましたよ!お父っつあん!<br />ワタクシ、そのために石垣島に来たといっても過言ではありません。<br /><br />それにしてもこの広い海原で、よくもこれだけ的確にお魚の居場所が判るものです。<br />さすがは海の男!ニクイね〜、このぉ〜!(←ウルセーな・・・)

    さて、再びボートに戻り次のポイントへと移動します。

    「今度はカクレクマノミ、見せてあげるからね〜」

    おおっ、待ってましたよ!お父っつあん!
    ワタクシ、そのために石垣島に来たといっても過言ではありません。

    それにしてもこの広い海原で、よくもこれだけ的確にお魚の居場所が判るものです。
    さすがは海の男!ニクイね〜、このぉ〜!(←ウルセーな・・・)

  • さっそくポイントに入ってみると・・・。<br /><br />あっ!

    さっそくポイントに入ってみると・・・。

    あっ!

  • いた〜っ!!

    いた〜っ!!

  • ついにニモ(カクレクマノミ)に出会えました!~(≧◇≦)/キャー

    ついにニモ(カクレクマノミ)に出会えました!~(≧◇≦)/キャー

  • しかも、たくさん!<br /><br />う〜っ、なんてカワイイお姿なんでしょ&quot;o(&gt;&lt;o)(o&gt;&lt;)o&quot;

    しかも、たくさん!

    う〜っ、なんてカワイイお姿なんでしょ"o(><o)(o><)o"

  • 大興奮のワタクシ、ボートに帰る時間も忘れて、ひたすらニモばかり追いかけておりました。<br /><br />

    大興奮のワタクシ、ボートに帰る時間も忘れて、ひたすらニモばかり追いかけておりました。

  • でも、ニモばかりじゃないですよ。<br />周りにもスズメダイが数えきれないほど、泳ぎまわっていました。<br /><br />「お〜い、もういいかな〜。そろそろ最後のポイントへ行くよ〜っ」<br /><br />お父っつあんの声にやっと我に返り、後ろ髪を引かれつつもボートに戻ります。

    でも、ニモばかりじゃないですよ。
    周りにもスズメダイが数えきれないほど、泳ぎまわっていました。

    「お〜い、もういいかな〜。そろそろ最後のポイントへ行くよ〜っ」

    お父っつあんの声にやっと我に返り、後ろ髪を引かれつつもボートに戻ります。

  • 最後にお父っつあんが連れていってくれたのは、珊瑚の群落。<br /><br />まずはこちら、一面に広がる鮮やかな黄色の枝サンゴ。<br /><br />まるで庭園を見ているかのようで、思わず息を飲みました。

    最後にお父っつあんが連れていってくれたのは、珊瑚の群落。

    まずはこちら、一面に広がる鮮やかな黄色の枝サンゴ。

    まるで庭園を見ているかのようで、思わず息を飲みました。

  • 海が荒れてきて、だいぶ濁ってきてしまいましたが・・・。<br /><br />海の透明度が高い日だったら、どんなに素晴らしい光景だっただろうと、思わず想像してしまいます。

    海が荒れてきて、だいぶ濁ってきてしまいましたが・・・。

    海の透明度が高い日だったら、どんなに素晴らしい光景だっただろうと、思わず想像してしまいます。

  • 「はい、お待たせ。これが白保のアオサンゴだよ」<br /><br />お父っつあんが指差す先には、一風変わった紋様のサンゴが・・・。<br /><br />しかも色も青くなくて、濃い茶色・・・。<br /><br />でも、これが正真正銘のアオサンゴ。<br />外側は茶色なんですが、じつは中を割ると鮮やかなブルーなんです。<br />(最後にお父っつあんが船の上で、欠片を見せて説明してくれます)<br />

    「はい、お待たせ。これが白保のアオサンゴだよ」

    お父っつあんが指差す先には、一風変わった紋様のサンゴが・・・。

    しかも色も青くなくて、濃い茶色・・・。

    でも、これが正真正銘のアオサンゴ。
    外側は茶色なんですが、じつは中を割ると鮮やかなブルーなんです。
    (最後にお父っつあんが船の上で、欠片を見せて説明してくれます)

  • 初めて見る形状です。<br /><br />チョット見は、なんだか、しけったチョコフレークの塊ような・・・ヾ(--;)ぉぃぉぃ

    初めて見る形状です。

    チョット見は、なんだか、しけったチョコフレークの塊ような・・・ヾ(--;)ぉぃぉぃ

  • しかし、何か堂々とした風格のようなものを感じさせるサンゴです。<br /><br />華美ではないが、贅をつくした骨董品のような美しさ。

    しかし、何か堂々とした風格のようなものを感じさせるサンゴです。

    華美ではないが、贅をつくした骨董品のような美しさ。

  • 一面に広がる、世界最大の白保アオサンゴ群落。<br /><br />最後に大変貴重なものを見せてもらえました。<br /><br />お父っつあん!感動の連続だったよ!<br />ありがとう!

    一面に広がる、世界最大の白保アオサンゴ群落。

    最後に大変貴重なものを見せてもらえました。

    お父っつあん!感動の連続だったよ!
    ありがとう!

  • 約2時間半のシュノーケルツアーも、これにて無事終了。<br /><br />石垣島では他にも沢山シュノーケルツアーがありますが、民宿マエザトでは4,000円と大変リーズナブルに申し込めます。<br />この内容で4,000円なら、大満足だと思います。<br /><br />またいつか、今度は海の透明度が高い時に是非参加してみたいです。<br /><br />ただ・・・病み上がりの体で2時間半のシュノーケルは、ちとキツかった・・・。

    約2時間半のシュノーケルツアーも、これにて無事終了。

    石垣島では他にも沢山シュノーケルツアーがありますが、民宿マエザトでは4,000円と大変リーズナブルに申し込めます。
    この内容で4,000円なら、大満足だと思います。

    またいつか、今度は海の透明度が高い時に是非参加してみたいです。

    ただ・・・病み上がりの体で2時間半のシュノーケルは、ちとキツかった・・・。

  • シャワーを浴び、着替えてスッキリした後は、再び市街地方面へ戻ってきました。<br /><br />昼食はこちら、焼肉で有名な金城美崎店さんにお邪魔しました。<br /><br />

    シャワーを浴び、着替えてスッキリした後は、再び市街地方面へ戻ってきました。

    昼食はこちら、焼肉で有名な金城美崎店さんにお邪魔しました。

  • 初日に食べた石垣牛ハンバーグがあまりに美味しかったので、こちらでもハンバーグ+石垣牛コロッケのランチを注文。<br /><br />さすがに人気店だけあって、こちらのお店も美味!<br /><br />しかもこのボリュームで980円は、とってもお得!~(≧◇≦)/キャー

    初日に食べた石垣牛ハンバーグがあまりに美味しかったので、こちらでもハンバーグ+石垣牛コロッケのランチを注文。

    さすがに人気店だけあって、こちらのお店も美味!

    しかもこのボリュームで980円は、とってもお得!~(≧◇≦)/キャー

  • さて。お腹も満足したところで、午後からは竹富島へ向かうため離島ターミナルへとやってまいりました。

    さて。お腹も満足したところで、午後からは竹富島へ向かうため離島ターミナルへとやってまいりました。

  • 安栄観光さんで竹富島へのフェリー往復乗船券を購入して・・・。

    安栄観光さんで竹富島へのフェリー往復乗船券を購入して・・・。

    安栄観光 乗り物

  • あずさ・・・ではなく、ちゅらさん2号に乗って、いざ竹富島へ(`0´)ノ

    あずさ・・・ではなく、ちゅらさん2号に乗って、いざ竹富島へ(`0´)ノ

  • ものの15分程で、竹富島へと到着です。

    ものの15分程で、竹富島へと到着です。

  • フェリーターミナルにはレンタサイクル屋さんの送迎車両が待機しており、特に事前予約なしでもお店まで乗せて行ってくれます。<br /><br />今回はレンタサイクル竹富さんで、自転車をお借りすることにしました。ちなみに1時間300円でした。<br /><br />

    フェリーターミナルにはレンタサイクル屋さんの送迎車両が待機しており、特に事前予約なしでもお店まで乗せて行ってくれます。

    今回はレンタサイクル竹富さんで、自転車をお借りすることにしました。ちなみに1時間300円でした。

  • 帰りのフェリーの時間まで、1時間半ほどしかありませんが、早速島内をサイクリングしてみましょう。<br /><br />しかし・・・道には白砂(サンゴ?)が敷き詰められているため、たまに車輪を取られて少々走りづらいです。<br /><br />そしてなによりも、猛烈に暑い・・・。ほとんど木陰らしきものはありません。<br /><br />ものの10分もしないうちに、汗だくになってしまいました。

    帰りのフェリーの時間まで、1時間半ほどしかありませんが、早速島内をサイクリングしてみましょう。

    しかし・・・道には白砂(サンゴ?)が敷き詰められているため、たまに車輪を取られて少々走りづらいです。

    そしてなによりも、猛烈に暑い・・・。ほとんど木陰らしきものはありません。

    ものの10分もしないうちに、汗だくになってしまいました。

  • こちら竹富島には、昔ながらの街並みが今もそのまま残っております。

    こちら竹富島には、昔ながらの街並みが今もそのまま残っております。

  • 赤瓦の屋根や、琉球石灰岩で造られた塀が特徴的な民家が建ち並び・・・

    赤瓦の屋根や、琉球石灰岩で造られた塀が特徴的な民家が建ち並び・・・

  • 屋根や門扉には、表情豊かなシーサーの姿が沢山見られます。

    屋根や門扉には、表情豊かなシーサーの姿が沢山見られます。

  • そして道端にはハイビスカスやブーゲンビリアが咲き誇り、これぞまさしく沖縄の原風景、という感じがします。

    そして道端にはハイビスカスやブーゲンビリアが咲き誇り、これぞまさしく沖縄の原風景、という感じがします。

  • 時間が無くて中へは入りませんでしたが、民芸館もありました。<br /><br />伝統芸能を後世に正しく引き継ぐため、島の人々により運営されているそうです。

    時間が無くて中へは入りませんでしたが、民芸館もありました。

    伝統芸能を後世に正しく引き継ぐため、島の人々により運営されているそうです。

  • こちらは島に生まれ育ち、のちに竹富村初代民選村長に就任された方の胸像だそうです。<br />

    こちらは島に生まれ育ち、のちに竹富村初代民選村長に就任された方の胸像だそうです。

  • 道端に自生していた植物。<br /><br />パパイヤにも似た瓜が生っていました。

    道端に自生していた植物。

    パパイヤにも似た瓜が生っていました。

  • 茶屋の軒先で風車がクルクルと回っていました。<br /><br />なんとなく、郷愁を誘う風景ですね。

    茶屋の軒先で風車がクルクルと回っていました。

    なんとなく、郷愁を誘う風景ですね。

  • そして竹富島といえば、水牛車観光。<br /><br />こちらはただいま休憩中?のおじい。<br /><br />三線を弾きながら、観光客の耳を楽しませてくれていました。

    そして竹富島といえば、水牛車観光。

    こちらはただいま休憩中?のおじい。

    三線を弾きながら、観光客の耳を楽しませてくれていました。

    水牛車観光 乗り物

  • こちらも木陰で休憩中の、水牛くん。<br /><br />

    こちらも木陰で休憩中の、水牛くん。

  • そして、すぐそばで水牛を見ながら、ニャンコも休憩中。

    そして、すぐそばで水牛を見ながら、ニャンコも休憩中。

  • ああ・・・オイラもゴロンと休憩したいっす・・・。<br /><br />でも茶屋に入ってくつろいでる時間もないしなぁ・・・。<br /><br />容赦なく照りつける太陽に、どんどん体力を奪われていきます。

    ああ・・・オイラもゴロンと休憩したいっす・・・。

    でも茶屋に入ってくつろいでる時間もないしなぁ・・・。

    容赦なく照りつける太陽に、どんどん体力を奪われていきます。

  • あ!水牛車だ!~(≧◇≦)/キャー<br /><br />

    あ!水牛車だ!~(≧◇≦)/キャー

  • 立派な角に、ハイビスカスのお飾りがまたイイ雰囲気ですなぁ・・・。<br /><br />ん?心なしか水牛クンの目が一瞬鋭く光ったような・・・(・vv・) ハニャ???<br /><br />あ、ワタクシ・・・真っ赤なポロシャツ着ちゃってますけど( ̄□ ̄;)!!

    立派な角に、ハイビスカスのお飾りがまたイイ雰囲気ですなぁ・・・。

    ん?心なしか水牛クンの目が一瞬鋭く光ったような・・・(・vv・) ハニャ???

    あ、ワタクシ・・・真っ赤なポロシャツ着ちゃってますけど( ̄□ ̄;)!!

  • まさかとは思うけど・・・同じ牛には違いないしな・・・<br /><br />とりあえず物陰に避難しとこ C= C= C= ┌(;・_・)┘

    まさかとは思うけど・・・同じ牛には違いないしな・・・

    とりあえず物陰に避難しとこ C= C= C= ┌(;・_・)┘

  • すっかりビビッてしまったワタクシ。。゛(ノ&gt;&lt;)ゝ コナイデー<br /><br />でも水牛クンはただのんびりと、このヘタレの目の前を通り過ぎていったのでした。

    すっかりビビッてしまったワタクシ。。゛(ノ><)ゝ コナイデー

    でも水牛クンはただのんびりと、このヘタレの目の前を通り過ぎていったのでした。

  • さて、続いては有名な「なごみの塔」へとやってまいりました。<br />

    さて、続いては有名な「なごみの塔」へとやってまいりました。

    なごみの塔 名所・史跡

  • 名前とは裏腹に、そのあまりに狭く急な階段から「竹富島の絶叫マシーン」とも呼ばれております。

    名前とは裏腹に、そのあまりに狭く急な階段から「竹富島の絶叫マシーン」とも呼ばれております。

  • これに登らにゃ土産話の一つも出来ないと、ヘタレなりに覚悟を決めて登ることに・・・。<br /><br />下を見るな・・・決して下を見てはいけない・・・ (&gt;_&lt; )Ξ( &gt;_&lt;)

    これに登らにゃ土産話の一つも出来ないと、ヘタレなりに覚悟を決めて登ることに・・・。

    下を見るな・・・決して下を見てはいけない・・・ (>_< )Ξ( >_<)

  • ふいぃ〜、何とか登ることができましたε=( ̄。 ̄;A<br /><br />なるほど、観光パンフなどに載っている街並みの写真は、きっとここから撮ったものなんでしょうね。<br /><br />ワタクシもパチリと一枚だけ撮ったのち、後ろが順番待ちで閊えていたので、すぐ降りようとしましたが・・・。<br /><br />か、帰りの方が数倍コワイ・・・(T_T)

    ふいぃ〜、何とか登ることができましたε=( ̄。 ̄;A

    なるほど、観光パンフなどに載っている街並みの写真は、きっとここから撮ったものなんでしょうね。

    ワタクシもパチリと一枚だけ撮ったのち、後ろが順番待ちで閊えていたので、すぐ降りようとしましたが・・・。

    か、帰りの方が数倍コワイ・・・(T_T)

  • 「ちっともなごまない塔」を後にし、最後は島の西端にあるコンドイビーチまで、頑張って行ってみましょう(`0´)ノ<br /><br />

    「ちっともなごまない塔」を後にし、最後は島の西端にあるコンドイビーチまで、頑張って行ってみましょう(`0´)ノ

  • 途中に咲いていたハイビスカス。<br /><br />あれ?花の先から、また花が咲いてる・・・?

    途中に咲いていたハイビスカス。

    あれ?花の先から、また花が咲いてる・・・?

  • はて?これなんかもう、幾重にもなっていてバラの花みたいですけど・・・(・・?<br /><br />

    はて?これなんかもう、幾重にもなっていてバラの花みたいですけど・・・(・・?

  • 結構時間が掛かりましたが、やっとコンドイビーチへ到着しました。

    結構時間が掛かりましたが、やっとコンドイビーチへ到着しました。

    コンドイビーチ ビーチ

  • あ、そうか。<br /><br />今ちょうど15:00だから、昨日と同じで干潮の時間帯だったんだ・・・。<br /><br />ちょっと海の色が寂しいなあ・・・。

    あ、そうか。

    今ちょうど15:00だから、昨日と同じで干潮の時間帯だったんだ・・・。

    ちょっと海の色が寂しいなあ・・・。

  • 今日は天気が良いから、潮が満ちていればキレイな海の青が見れたはずなのに・・・。<br /><br />最後の最後で、失敗しちゃったかなぁ・・・(^_^;)<br />

    今日は天気が良いから、潮が満ちていればキレイな海の青が見れたはずなのに・・・。

    最後の最後で、失敗しちゃったかなぁ・・・(^_^;)

  • さて、帰りのフェリーの時間も迫っているし、そろそろ行かないと・・・。<br /><br />ところがここからレンタサイクル屋さんまでの距離が、意外とあってビックリ!<br /><br />実はここに来るまで色々見物しながら徐々に距離を延ばしてきたので、意外と遠くまで来てしまっていたことに気付きませんでした。<br /><br />マズイ!あと10分しかないよ〜!<br />炎天下の元、ひたすらママチャリで爆走し、最後はヘトヘトになりながら何とか定刻にレンタサイクル屋さんまで戻ってきました。<br /><br />着いた途端、倒れ込んでしばらく動けない状態に・・・。<br />熱中症の一歩手前だったかもしれません。<br />

    さて、帰りのフェリーの時間も迫っているし、そろそろ行かないと・・・。

    ところがここからレンタサイクル屋さんまでの距離が、意外とあってビックリ!

    実はここに来るまで色々見物しながら徐々に距離を延ばしてきたので、意外と遠くまで来てしまっていたことに気付きませんでした。

    マズイ!あと10分しかないよ〜!
    炎天下の元、ひたすらママチャリで爆走し、最後はヘトヘトになりながら何とか定刻にレンタサイクル屋さんまで戻ってきました。

    着いた途端、倒れ込んでしばらく動けない状態に・・・。
    熱中症の一歩手前だったかもしれません。

  • フェリーを待つ間、涼しい場所で身体を休め、水分補給して何とか回復。<br /><br />思えばほんの一瞬だった、竹富島散策。<br />見たいものは何とか見られましたが、もう少しゆっくりしたかったな〜( ̄ヘ ̄;)ウーン<br /><br />

    フェリーを待つ間、涼しい場所で身体を休め、水分補給して何とか回復。

    思えばほんの一瞬だった、竹富島散策。
    見たいものは何とか見られましたが、もう少しゆっくりしたかったな〜( ̄ヘ ̄;)ウーン

  • あとはフェリーで石垣島へ戻り、空港へと向かうだけ。<br /><br />この青い海とも、これでお別れです。<br /><br />最後にしっかりと、目に焼き付けて帰りましょう。

    あとはフェリーで石垣島へ戻り、空港へと向かうだけ。

    この青い海とも、これでお別れです。

    最後にしっかりと、目に焼き付けて帰りましょう。

  • 石垣港に到着後、レンタカーを返しに行き、すぐに石垣空港へ。<br /><br />この空港、自分にはきっとこれが最初で最後になるんだろうなぁ。<br /><br />小さく「お疲れさま」と声を掛けてあげました・・・。

    石垣港に到着後、レンタカーを返しに行き、すぐに石垣空港へ。

    この空港、自分にはきっとこれが最初で最後になるんだろうなぁ。

    小さく「お疲れさま」と声を掛けてあげました・・・。

  • 搭乗時刻となり、17:50発のANA便で那覇空港へ。<br /><br />その後羽田への便に乗継ぎ、夜遅くなりましたが無事帰宅いたしました。

    搭乗時刻となり、17:50発のANA便で那覇空港へ。

    その後羽田への便に乗継ぎ、夜遅くなりましたが無事帰宅いたしました。

  • 2泊3日の弾丸ツアーでしたが、石垣島の夏を堪能できました。<br /><br />でも次回はもう少し長く滞在して、八重山諸島をあちこち巡ってみたいですね。<br /><br />「仔牛く〜ん、さようなら〜(/_・、)/~~ また来るからね〜っ!」<br /><br />「おお、待ってるぞ〜っ!一緒に遊んでやるから、またその赤いシャツ着てこいよ〜っ!」<br /><br />「・・・。。゛(ノ&gt;&lt;)ゝ ヒィィィ」<br /><br />−おわり−

    2泊3日の弾丸ツアーでしたが、石垣島の夏を堪能できました。

    でも次回はもう少し長く滞在して、八重山諸島をあちこち巡ってみたいですね。

    「仔牛く〜ん、さようなら〜(/_・、)/~~ また来るからね〜っ!」

    「おお、待ってるぞ〜っ!一緒に遊んでやるから、またその赤いシャツ着てこいよ〜っ!」

    「・・・。。゛(ノ><)ゝ ヒィィィ」

    −おわり−

この旅行記のタグ

80いいね!

利用規約に違反している投稿は、報告する事ができます。 問題のある投稿を連絡する

この旅行記へのコメント (13)

開く

閉じる

  • ぽちこさん 2013/03/13 20:47:47
    やっぱ行こう♪
    okapyさん♪

    やっぱ竹富島行こう♪って決めました〜

    でもってもう少し時間取ったほうがいいね?

    うふふ(^.^)
    勉強になるわぁ…

    ありがとう!

     ぽち

    okapy

    okapyさん からの返信 2013/03/13 23:49:53
    RE: 行ってみるべきかと♪
    ぽちこさん

    せっかく石垣島へ行くのですから竹富島観光、絶対に外してはなりません(笑)
    この風景こそ、まさしく我々がイメージする沖縄です。
    バシバシ写真を撮りましょう。


    ただ丸1日だと正直、長い気もします。
    「もう少し見たいけど・・・」と半日位で帰ってくるのがベストかも知れませんね。


    okapy
  • なおちさん 2012/07/18 22:31:23
    八重山を満喫
    okapyさん

    初めまして、こんばんわ〜!
    病み上がりなのに、二泊三日でずいぶんと満喫されましたね〜!うらやましい!!
    その気になれば、月曜お休み取れれば行けちゃうんですね!

    水牛の写真、とても好きです!
    真っ赤なポロシャツが狙われなくてよかった!!

    年に1度しか行けない、なんて思ってましたが、気合い入れて弾丸で行ってみようかな〜!


    なおち

    okapy

    okapyさん からの返信 2012/07/18 23:46:14
    RE: ありがとうございます♪
    なおちさん

    こんばんは(^o^)
    石垣島旅行記に遊びに来ていただき、どうもありがとうございました。

    2泊3日の弾丸ツアーでしたが、帰りの便が夕方発でしたので、それなりに見て回ることができました。
    それでもやはり、あともう1日〜2日は滞在したかったです。シュノーケルツアーで一緒になった一人旅の男性の方は、会社を休んで2週間滞在される予定だとおっしゃっていました。八重山を巡るには、それ位で調度よいとのこと。
    でもそんなに休んだら、ワタクシだったら間違いなく、会社にデスクを片づけられてしまいそうですが・・・(ノ△・。)

    毎年、夏休みは沖縄に行かれているようですね♪
    今年は本島へ行かれたのでしょうか?旅行記はこれからですか?
    楽しみにお待ちしてますね。

    また宮古島にも行かれたようですので、こちらもあとでゆっくり旅行記を拝見させてください。

    これからもよろしくお願いします。

    okapy

  • れいれいさん 2012/07/14 22:58:10
    素晴らしい写真ばかり!
    Okapyさん、こんにちは!

    石垣島旅行記楽しく読ませていただきました。
    ちょうど私がサイパンに行っているときと同じころに石垣島に行かれていたんですね。
    台風の影響もなくちょうど梅雨が明けたとのことで、本当にラッキーでしたね♪

    体調が万全でないなかでのシュノーケリングだったようですが、素晴らしい海の中の画像に癒されました。
    海の中も素晴らしいですが、花や海、シーサーの写真など・・・すべてが素晴らしいですね!
    Okapyさんの写真は本当に素敵な写真ばかりで、画像を見るたびに「おおっ!」とうなってしまいます。

    沖縄の離島もいいですね〜
    私も行ってみたくなりました!

    れいれい
  • 琉球熱さん 2012/07/07 22:14:45
    いやはや
    体長が万全でなく残念でしたね。それでも目いっぱいの内容、お見事です。

    「パパイヤにも似た瓜が生っていた」とありましたが、ご名答です。 されは正にパパイヤですよ!
    沖縄では、野菜のように料理に使われます。道端に雑草のように生えていますけど(笑)

    白保は集落もなかなか風情があります。ちょっと竹富の集落に似てるかな?
    海岸に出る手前に、WWFの「サンゴ礁保護研究センター」というのがありまして、入場自由で珊瑚の勉強ができます。なかなか興味深いですよ。

    私もサンゴが大好きで、八重山の海に潜ってはサンゴの写真ばかり撮っています。
    八重山の美しく豊かな海の源として、サンゴがいつまでも元気でいられるような環境を保全したいものですね。

    okapy

    okapyさん からの返信 2012/07/07 22:45:01
    RE: なんのなんの(笑)
    あいにく丈夫だけがワタクシの取柄でございまして・・・。

    おお、やはりパパイヤだったのですね!
    普通に道端に茂っていたもので、まさか本物だとは・・・。
    さすが八重山諸島ですね。

    そうなんですよ、本当はシュノーケルの後に、近くのサンゴセンターを見て回ろうと思っていたのですが、意外と長いシュノーケルツアーだったもので・・・。
    竹富島へのフェリーに間に合わなそうだったので、見送ってしまったんですよ。

    でも八重山諸島のサンゴは、本当に美しいですよね。
    これなら海外に行く必要は無いんじゃないかって思える程でした。

  • norisaさん 2012/07/03 06:14:10
    いいですね〜!
    okapyさん、

    おはようございます。
    白保の青サンゴに竹富島!
    まさしく八重山のハイライトですね。

    石垣島は7泊もしましたが白保は潜れませんでした。
    米原ビーチその他のみで、後は観光(西表島含む)中心でした。

    おかげで白保の様子がよくわかりました。
    ありがとうございました!

    norisa

    okapy

    okapyさん からの返信 2012/07/03 17:34:37
    RE: こんにちは♪
    norisaさん

    今回も石垣島旅行記に遊びに来ていただいて、ありがとうございます。

    八重山を旅するのには2泊3日では到底無理でして・・・近場のベタなところばかり駆け足で回った旅でしたが、結構楽しめました。

    マンタシュノーケルとか、幻の島とかへ行くシュノーケルツアーもあり、どれにしようか悩んだのですが、今回はどうしてもアオサンゴとニモを見たかったのでマエザトさんのツアーの方にしました。お父っつあんもスゴく優しい方で、話しも盛り上がり、良い旅の思い出になりました。

    norisaさんの旅行記の、慶良間諸島の海の色。素晴らしいですよね。
    どんなにキレイな海に出会ってきても、こうして他の海に憧れてしまうのは、典型的な南国病の症状でしょうか(笑)

    美しい花の旅行記も癒されました。

    okapy

  • piggy☆さん 2012/07/02 21:31:21
    ニモかわいいですね〜♪
    こんばんは!okapyさん!
    待ってましたよ〜楽しみにして毎日チェックしてました。笑

    まずは、なんとか風邪もギリギリそうでよかったです。
    お天気も梅雨明けして、さすがokapyさんパワーですね♪

    本物のニモ!石垣島にいるのですね〜知らなかった><
    めちゃくちゃカワイイです〜(*^v^*)
    しかも相変わらず、いい写真ですね!
    カクレクマノミの大きいのと小さいの、ちょうどニモとお父さんみたいで、その写真欲しくなっちゃいました。笑
    あたしもカクレクマノミを見てみたいなぁ…。

    竹富島も一度は行ってみたい場所で、やはり水牛に乗ってみたいです!
    ああいう沖縄の風景、あたしもぜひのんびりしに行きたいですよ〜。
    それにしても…okapyさんのアクティブさには脱帽ですね〜。
    フルで大満喫していて、さすが!
    今朝も、電車の中で旅行記見させて頂いたんですが、帰ってからまた眺めてあたしも心は南の島へ…笑

    リスザルですが、実は大学の時に(髪が短めで前髪もぱっつんだったからか)後輩から「リスザルっぽい」と言われたことがあり、リスザルってどんなか知らなかったので、okapyさんの旅行記で初めて知りました(@_@;)
    そんな懐かしい時代を思い出し、とっても楽しませて頂きました♪笑

    okapy

    okapyさん からの返信 2012/07/03 00:11:42
    RE: ありがとうございます♪
    piggy☆さん

    こんばんは〜♪

    今回も石垣島旅行記、遊びに来ていただいてありがとうございます(^^)

    お陰様で今回も天候に恵まれ、いろいろ楽しんできました♪
    でも正直、最終日は天気が良すぎてバテバテになり・・・。
    最後のサイクリングでは心臓バクバク、足はガクガクで・・・もう身体が言う事を聞きませんでした。
    もうすっかりオッサンですね(; ̄ー ̄A

    正直、あの広い海原でニモに会えるかどうか判らなかったのですが、民宿のお父っつあんがちゃんとニモの居場所を知っていたので、助かりました。
    多分、一人だけでシュノーケルしていたら見つからなかったと思います。
    ホントにかわいかったですよ〜♪piggy☆さんも沖縄に行く機会があれば是非、ニモが見れるシュノーケルツアーに参加してみてくださいね。

    次のご旅行は、どちらに行かれる予定ですか?オーストラリアですか?
    旅行って計画段階から、すごく楽しいですよね。

    それでは、また(^O^)/

    okapy


  • rascalpossamさん 2012/07/02 15:08:00
    またまたキレイな旅行記♪
    okapyさん こんにちは!

    rascalpossamです(^^)/

    続編、待ってました~!

    青い海、彩り鮮やかな花々、素晴らしい景色!
    サイコーです!

    白保でのシュノーケリングは素晴らしいですね
    こんなにキレイなのに透明度があまり良くないだなんて…
    石垣の海はヤッパリ凄いです。

    それにしても、とても病み上がりとは思えないアクティブさ!
    シュノーケルに加え炎天下でサイクリングまで (^^;)
    (気持ちはよーーくわかります!!きっと私もそうすると思う!)


    そして、前回の書き込みのお返事、ありがとうございました。

    > 苦しんだ後には楽しいことが待っていますから・・・今は焦らずじっくり治療なさってください。 南の島は逃げたりしませんから(^^)
    一日も早いご回復をお祈りしております。

    うれしくて、うれしくて涙がでました。
    本当にありがとうございます。
    早く南の島に行けるようにリハビリガンバります☆

    okapyさんもお仕事お忙しいそうですが、健康第一です!
    お身体は大切になさってくださいね。

    *rascalpossam*

    okapy

    okapyさん からの返信 2012/07/03 01:01:28
    RE: またまたありがとうございます♪
    rascalpossamさん

    旅行記後編もご覧になっていただき、ありがとうございました。

    本当は無理せず、ゆっくりしていれば良かったのですが・・・なかなか来れないところだと思うと、ついつい頑張りすぎてしまうんですよね〜。
    たぶん泊まるホテルがボンビークラスなので、余計に外に出なければいけないという気持ちが強くなるのかも・・・(^_^;)

    我ながらこのアクティブさを、少しは普段の仕事に生かしたいものです(笑)

    okapy

okapyさんのトラベラーページ

コメントを投稿する前に

十分に確認の上、ご投稿ください。 コメントの内容は攻撃的ではなく、相手の気持ちに寄り添ったものになっていますか?

サイト共通ガイドライン(利用上のお願い)

報道機関・マスメディアの方へ 画像提供などに関するお問い合わせは、専用のお問い合わせフォームからお願いいたします。

この旅行で行ったスポット

旅の計画・記録

マイルに交換できるフォートラベルポイントが貯まる
フォートラベルポイントって?

フォートラベル公式LINE@

おすすめの旅行記や旬な旅行情報、お得なキャンペーン情報をお届けします!
QRコードが読み取れない場合はID「@4travel」で検索してください。

\その他の公式SNSはこちら/

タグから国内旅行記(ブログ)を探す

この旅行記の地図

拡大する

価格.com旅行・トラベルホテル・旅館を比較

PAGE TOP