レダン島旅行記(ブログ) 一覧に戻る
去年のシンガポール&ビンタン島の旅で、<br />シュノーケリングの魅力に目覚めたLily(姉)とLaurel(弟)。<br />日本からそう遠くないところで、海がきれいなのは勿論のこと、天気も絶対に良いであろう場所を探しました。<br /><br />その結果が、マレーシアはレダン島!!<br /><br />L&L姉弟が行くレダン島の旅は、パワー全開の旅となりました。<br />それでは、<br />  レダン島の旅その④・はじまり・はじまりぃ~~~v(・_・)v<br /><br />

家族みんなでレダン島へGO!!その④

2いいね!

2009/07/18 - 2009/07/28

153位(同エリア175件中)

0

20

けいごっち

けいごっちさん

去年のシンガポール&ビンタン島の旅で、
シュノーケリングの魅力に目覚めたLily(姉)とLaurel(弟)。
日本からそう遠くないところで、海がきれいなのは勿論のこと、天気も絶対に良いであろう場所を探しました。

その結果が、マレーシアはレダン島!!

L&L姉弟が行くレダン島の旅は、パワー全開の旅となりました。
それでは、
  レダン島の旅その④・はじまり・はじまりぃ~~~v(・_・)v

同行者
家族旅行
一人あたり費用
5万円 - 10万円
交通手段
タクシー
航空会社
マレーシア航空
  • 昨日より1時間早く、9時前に集合。<br />昨日と同じ説明を聞いて、9時過ぎに出発です。<br /><br />今朝はあいにく曇っています。<br />が、曇っている方が、魚を良く見えるとの説明を受けました。(←どういう根拠なのだろうか・・・謎です!?)<br /><br />ただ、暑くないのでGoodです。

    昨日より1時間早く、9時前に集合。
    昨日と同じ説明を聞いて、9時過ぎに出発です。

    今朝はあいにく曇っています。
    が、曇っている方が、魚を良く見えるとの説明を受けました。(←どういう根拠なのだろうか・・・謎です!?)

    ただ、暑くないのでGoodです。

  • 今日のボートは、これです。<br />昨日より、ひとまわり大きいです。<br />

    今日のボートは、これです。
    昨日より、ひとまわり大きいです。

  • 期待を胸に、いざ・・・!?<br /><br />海の中は・・・

    期待を胸に、いざ・・・!?

    海の中は・・・

  • ふっ・・・深い!?<br /><br />昨日よりも、かなり深いです。

    ふっ・・・深い!?

    昨日よりも、かなり深いです。

  • でも、深さに関係なく、エサもあげないうちから向こうからよってきます。<br /><br />さなか曰く、“なんかくれぇ〜”だそうです。

    でも、深さに関係なく、エサもあげないうちから向こうからよってきます。

    さなか曰く、“なんかくれぇ〜”だそうです。

  • 昨日と比べて、みんなはかなり遠くまで泳いでいます。Lily(姉)とLaurel(弟)より、小さい子供はいませんでした。<br /><br />マリンパークじゃないので、フィンはOKのようでした。

    昨日と比べて、みんなはかなり遠くまで泳いでいます。Lily(姉)とLaurel(弟)より、小さい子供はいませんでした。

    マリンパークじゃないので、フィンはOKのようでした。

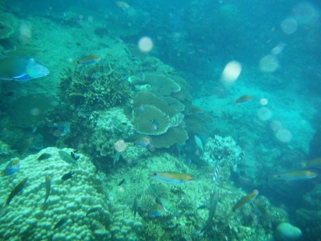
  • 元気なサンゴもいっぱい見えます。

    元気なサンゴもいっぱい見えます。

  • ここも・・・元気!?

    ここも・・・元気!?

  • これは死んでるのかな?

    これは死んでるのかな?

  • サンゴの上に、色とりどりのイソギンチャクが宝石のようにちりばめられていました。

    サンゴの上に、色とりどりのイソギンチャクが宝石のようにちりばめられていました。

  • 魚もいっぱいです。<br />しかも、ひとまわり大きいかも・・・

    魚もいっぱいです。
    しかも、ひとまわり大きいかも・・・

  • すこしうねりもあります。<br />でも、見ることに必死であまり気になりません。<br /><br />ただ、大きく流されることもありませんのでご安心を・・・

    すこしうねりもあります。
    でも、見ることに必死であまり気になりません。

    ただ、大きく流されることもありませんのでご安心を・・・

  • 3STOPのツアーでしたが、結局4STOPでした。<br />ホテルの前の桟橋を出発して、反時計回りに島を一周しました。<br /><br />所要時間は、3時間半でした。(1ヶ所で、20〜30分の滞在でした。)<br />料金は事前予約で、大人60MYRで子供30MYRでした。<br />とてもお得なツアーでした。

    3STOPのツアーでしたが、結局4STOPでした。
    ホテルの前の桟橋を出発して、反時計回りに島を一周しました。

    所要時間は、3時間半でした。(1ヶ所で、20〜30分の滞在でした。)
    料金は事前予約で、大人60MYRで子供30MYRでした。
    とてもお得なツアーでした。

  • ツアーから帰ってきても、すぐに海へ・・・!?<br /><br />Lily(姉)とLaurel(弟)には、“海に飽きた”という言葉はないようです。

    ツアーから帰ってきても、すぐに海へ・・・!?

    Lily(姉)とLaurel(弟)には、“海に飽きた”という言葉はないようです。

  • ナマコを捕まえて、“記念撮影”です。<br /><br />海の中ではもっとデカイけど、手に持つと小さくなる?

    ナマコを捕まえて、“記念撮影”です。

    海の中ではもっとデカイけど、手に持つと小さくなる?

  • ホテル前の海でも、こんなサンゴがありました。<br /><br />でも、これは白色化してるのかな?

    ホテル前の海でも、こんなサンゴがありました。

    でも、これは白色化してるのかな?

  • 岩の間にこんな物が・・・<br /><br />初めのうちは何か分からなかったけど、貝だと分かりました。<br />いやぁ〜、貝までカラフルです。

    岩の間にこんな物が・・・

    初めのうちは何か分からなかったけど、貝だと分かりました。
    いやぁ〜、貝までカラフルです。

  • そんなことを考えていると、目の前を大きなブダイが横切っていきました。

    そんなことを考えていると、目の前を大きなブダイが横切っていきました。

  • 天気も回復し、Lily(姉)ものんびり?!泳いでいます。<br /><br />昼食も大好きなピザを食べたので、絶好調のようです。

    天気も回復し、Lily(姉)ものんびり?!泳いでいます。

    昼食も大好きなピザを食べたので、絶好調のようです。

  • 一方、Laurel(弟)も元気いっぱいのようですが・・・<br /><br />とうとう、この日の夜に熱を出しました。<br />熱がある割には、元気なので無理をさせなければ大丈夫かなぁ〜と、思いつつも要注意です。

    一方、Laurel(弟)も元気いっぱいのようですが・・・

    とうとう、この日の夜に熱を出しました。
    熱がある割には、元気なので無理をさせなければ大丈夫かなぁ〜と、思いつつも要注意です。

この旅行記のタグ

2いいね!

利用規約に違反している投稿は、報告する事ができます。 問題のある投稿を連絡する

コメントを投稿する前に

十分に確認の上、ご投稿ください。 コメントの内容は攻撃的ではなく、相手の気持ちに寄り添ったものになっていますか?

サイト共通ガイドライン(利用上のお願い)

報道機関・マスメディアの方へ 画像提供などに関するお問い合わせは、専用のお問い合わせフォームからお願いいたします。

旅の計画・記録

マイルに交換できるフォートラベルポイントが貯まる
フォートラベルポイントって?

マレーシアで使うWi-Fiはレンタルしましたか?

フォートラベル GLOBAL WiFiなら
マレーシア最安 343円/日~

  • 空港で受取・返却可能
  • お得なポイントがたまる

マレーシアの料金プランを見る

フォートラベル公式LINE@

おすすめの旅行記や旬な旅行情報、お得なキャンペーン情報をお届けします!
QRコードが読み取れない場合はID「@4travel」で検索してください。

\その他の公式SNSはこちら/

PAGE TOP