西表島旅行記(ブログ) 一覧に戻る
人類未到の地 パナリ下地島の南東のリーフ内へ到着 リーフ内を泳ぎ、サンゴと魚の状況を調査<br /><br />ボートは ダイビングサービスふしまのくろさんのボートをチャーターする。<br /><br />大潮の干潮時以外行くのは困難な場所。<br />ルート 下地島の南 難破船の所の裏に回り、極力東側にボートを着ける。干潮時に海岸線を歩きワタンジを越えて南東のリーフ内へ<br />そこから海に入り人類未到のリーフ内のサンゴと魚の状況を調査する<br />帰りは状況により、ワタンジを越えて泳いで戻るか、海岸沿いを歩いて戻る予定。<br /><br />登場人物 <br />かめさん 人間の勇者・星空ナビを駆使する観光客<br />みやさん 民宿のどかのご主人<br />あきさん 民宿みやよし荘のご主人<br />岩さん 黒島に長期滞在中 今の住処は仲本 黒島・パナリに詳しい<br />高橋のおばぁ 黒島に長期滞在中 今の住処は民宿みやよし荘<br />くろさん ダイビングサービスふしまの船長<br />ハナミさん ダイビングサービスふしまの営業部長<br />でんこうじぃ 黒島仲本では知らない人はいない<br />メロディー 民宿のどかの母ヤギ<br />たけちゃん 黒島ビジターセンター在住<br />将太さん うんどうやの兄貴<br />コウさん シーライトのオーナー<br /><br /><br />

奇跡の14日間(爆) 八重山 黒島・パナリ旅行記 第3日7 人類未到の地 パナリ下地島の南東のリーフ内を泳ぐ

1いいね!

2009/07/19 - 2009/08/01

1996位(同エリア2193件中)

0

40

かめ

かめさん

人類未到の地 パナリ下地島の南東のリーフ内へ到着 リーフ内を泳ぎ、サンゴと魚の状況を調査

ボートは ダイビングサービスふしまのくろさんのボートをチャーターする。

大潮の干潮時以外行くのは困難な場所。
ルート 下地島の南 難破船の所の裏に回り、極力東側にボートを着ける。干潮時に海岸線を歩きワタンジを越えて南東のリーフ内へ
そこから海に入り人類未到のリーフ内のサンゴと魚の状況を調査する
帰りは状況により、ワタンジを越えて泳いで戻るか、海岸沿いを歩いて戻る予定。

登場人物 
かめさん 人間の勇者・星空ナビを駆使する観光客
みやさん 民宿のどかのご主人
あきさん 民宿みやよし荘のご主人
岩さん 黒島に長期滞在中 今の住処は仲本 黒島・パナリに詳しい
高橋のおばぁ 黒島に長期滞在中 今の住処は民宿みやよし荘
くろさん ダイビングサービスふしまの船長
ハナミさん ダイビングサービスふしまの営業部長
でんこうじぃ 黒島仲本では知らない人はいない
メロディー 民宿のどかの母ヤギ
たけちゃん 黒島ビジターセンター在住
将太さん うんどうやの兄貴
コウさん シーライトのオーナー


交通手段
高速・路線バス 自転車 タクシー ANAグループ JRローカル 私鉄 徒歩
旅行の手配内容
ツアー(添乗員同行なし)
  • リーフ内に入ると いきなりこんなサンゴが

    リーフ内に入ると いきなりこんなサンゴが

  • 大きい

    大きい

  • でかい

    でかい

  • サンゴがあちこちに

    サンゴがあちこちに

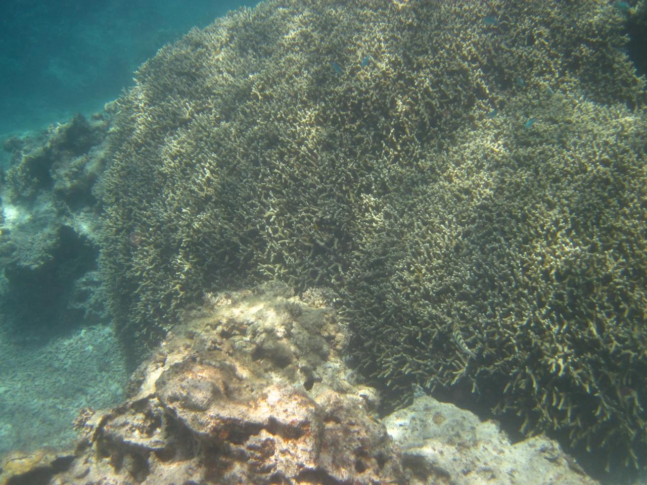
  • ユビエダサンゴが

    ユビエダサンゴが

  • こんな感じのユビエダサンゴがあちこち

    こんな感じのユビエダサンゴがあちこち

  • サンゴの種類自体は そんなに豊富ではありません

    サンゴの種類自体は そんなに豊富ではありません

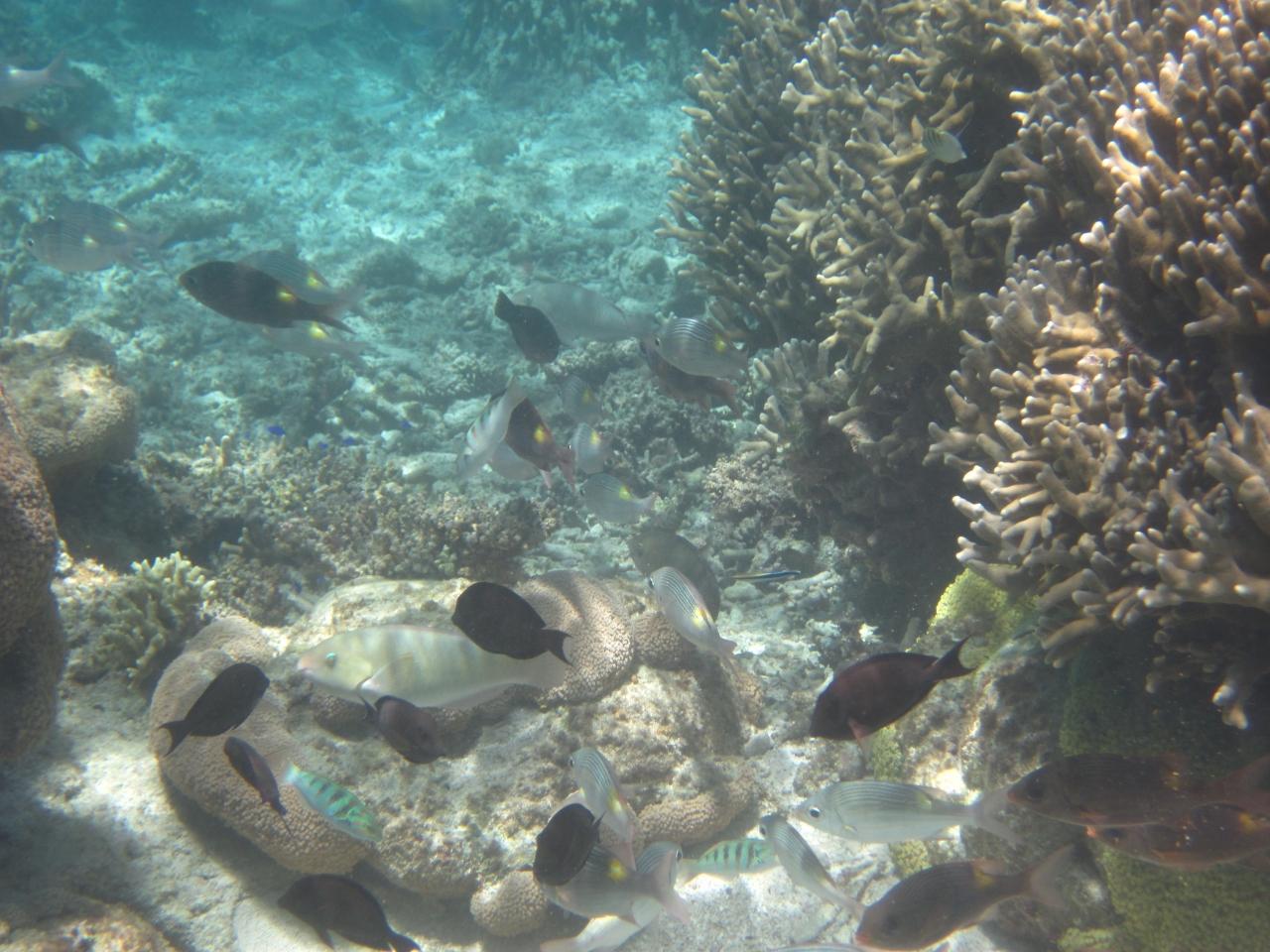
  • 魚がいっぱい

    魚がいっぱい

  • 人跡未踏の地だけあって こんなシャコ貝があちこちに <br /><br />Mission シャコ貝を探せ Complete<br /><br />獲得経験値 60

    人跡未踏の地だけあって こんなシャコ貝があちこちに

    Mission シャコ貝を探せ Complete

    獲得経験値 60

  • 魚も結構いろいろいました

    魚も結構いろいろいました

  • 黄色と赤が混ざっています

    黄色と赤が混ざっています

  • ユビエダサンゴ

    ユビエダサンゴ

  • 何年も前の 漁の網が放置されていました<br /><br />放置しないで きっちり処分すべきです

    何年も前の 漁の網が放置されていました

    放置しないで きっちり処分すべきです

  • ユビエダサンゴ

    ユビエダサンゴ

  • サンゴ サンゴ

    サンゴ サンゴ

  • サンゴ サンゴ

    サンゴ サンゴ

  • 大潮の干潮時なので サンゴが海面から頭を出しています

    大潮の干潮時なので サンゴが海面から頭を出しています

  • サンゴ 15

    サンゴ 15

  • 結構 大きいです

    結構 大きいです

  • 大潮の干潮時なので サンゴが海面から頭を出しています

    大潮の干潮時なので サンゴが海面から頭を出しています

  • ユビエダサンゴがいっぱいです

    ユビエダサンゴがいっぱいです

  • ユビエダサンゴ

    ユビエダサンゴ

  • ユビエダサンゴ

    ユビエダサンゴ

  • ユビエダサンゴ

    ユビエダサンゴ

  • ユビエダサンゴ

    ユビエダサンゴ

  • ユビエダサンゴ

    ユビエダサンゴ

  • ユビエダサンゴ

    ユビエダサンゴ

  • ユビエダサンゴ

    ユビエダサンゴ

  • きれいな魚が<br /><br />名前は忘れました

    きれいな魚が

    名前は忘れました

  • きれいです

    きれいです

  • 色がきれいです

    色がきれいです

  • きれいです

    きれいです

  • 赤い魚がいます

    赤い魚がいます

  • 赤い魚がいます

    赤い魚がいます

  • ユビエダサンゴ

    ユビエダサンゴ

  • ユビエダサンゴ

    ユビエダサンゴ

  • ユビエダサンゴ

    ユビエダサンゴ

  • ユビエダサンゴ

    ユビエダサンゴ

  • 赤みがかかったサンゴがきれいです

    赤みがかかったサンゴがきれいです

  • 赤みがかかったサンゴがきれいです

    赤みがかかったサンゴがきれいです

この旅行記のタグ

1いいね!

利用規約に違反している投稿は、報告する事ができます。 問題のある投稿を連絡する

コメントを投稿する前に

十分に確認の上、ご投稿ください。 コメントの内容は攻撃的ではなく、相手の気持ちに寄り添ったものになっていますか?

サイト共通ガイドライン(利用上のお願い)

報道機関・マスメディアの方へ 画像提供などに関するお問い合わせは、専用のお問い合わせフォームからお願いいたします。

旅の計画・記録

マイルに交換できるフォートラベルポイントが貯まる
フォートラベルポイントって?

フォートラベル公式LINE@

おすすめの旅行記や旬な旅行情報、お得なキャンペーン情報をお届けします!
QRコードが読み取れない場合はID「@4travel」で検索してください。

\その他の公式SNSはこちら/

価格.com旅行・トラベルホテル・旅館を比較

PAGE TOP