西表島旅行記(ブログ) 一覧に戻る
昨夜 岩さんと話していると 仲本海岸も一般に良く行く左側ではなく 果てしなく右側に行くとサンゴもきれいだということがわかったので 今日は行ってみることにする<br /><br />登場人物 <br />かめさん 人間の勇者・洗濯はまめにする 観光客<br />みやさん 民宿のどかのご主人<br />あきさん 民宿みやよし荘のご主人<br />岩さん 黒島に長期滞在中 今の住処は仲本<br />高橋のおばぁ 黒島に長期滞在中 今の住処は民宿みやよし荘<br />くろさん ダイビングサービスふしまの船長<br />ハナミさん ダイビングサービスふしまの営業部長<br />でんこうじぃ 黒島仲本では知らない人はいない<br />メロディー 民宿のどかの母ヤギ<br />たけちゃん 黒島ビジターセンター在住<br />将太さん うんどうやの兄貴<br />コウさん シーライトのオーナー<br /><br /><br />

奇跡の14日間(爆) 八重山 黒島・パナリ旅行記 第2日3 仲本海岸からひたすら右(西北)へ泳ぐ その2

1いいね!

2009/07/19 - 2009/08/01

1996位(同エリア2193件中)

0

33

かめ

かめさん

昨夜 岩さんと話していると 仲本海岸も一般に良く行く左側ではなく 果てしなく右側に行くとサンゴもきれいだということがわかったので 今日は行ってみることにする

登場人物 
かめさん 人間の勇者・洗濯はまめにする 観光客
みやさん 民宿のどかのご主人
あきさん 民宿みやよし荘のご主人
岩さん 黒島に長期滞在中 今の住処は仲本
高橋のおばぁ 黒島に長期滞在中 今の住処は民宿みやよし荘
くろさん ダイビングサービスふしまの船長
ハナミさん ダイビングサービスふしまの営業部長
でんこうじぃ 黒島仲本では知らない人はいない
メロディー 民宿のどかの母ヤギ
たけちゃん 黒島ビジターセンター在住
将太さん うんどうやの兄貴
コウさん シーライトのオーナー


交通手段
高速・路線バス 自転車 タクシー ANAグループ JRローカル 私鉄 徒歩
旅行の手配内容
ツアー(添乗員同行なし)
  • 阿名泊で見つけた 巻貝

    阿名泊で見つけた 巻貝

  • ウニもたくさんありました<br /><br />Misson ウニを探せ Complete<br /><br />獲得経験値 20<br /><br /><br />

    ウニもたくさんありました

    Misson ウニを探せ Complete

    獲得経験値 20


  • 阿名泊の流木と御獄

    阿名泊の流木と御獄

  • 仲本海岸に戻ってきました<br /><br />完全に潮が引いています<br /><br />ずっと右側に行くのでここから入らずに宮里から海に入ることにする

    仲本海岸に戻ってきました

    完全に潮が引いています

    ずっと右側に行くのでここから入らずに宮里から海に入ることにする

  • 魚はほどほどにいます

    魚はほどほどにいます

  • ちょっと色のついた魚も<br /><br />まだこの辺は宮里海岸前

    ちょっと色のついた魚も

    まだこの辺は宮里海岸前

  • さかな さかなっーー

    さかな さかなっーー

  • クマノミ発見

    クマノミ発見

  • 結構かわいいです

    結構かわいいです

  • Misson クマノミを自力で探せ Complete<br /><br />獲得経験値 150

    Misson クマノミを自力で探せ Complete

    獲得経験値 150

  • 親子のクマノミ

    親子のクマノミ

  • こっちを見ています

    こっちを見ています

  • 少しサンゴが現れだしました

    少しサンゴが現れだしました

  • ソフト系のサンゴがちらほら

    ソフト系のサンゴがちらほら

  • ソフト系のサンゴがちらほら

    ソフト系のサンゴがちらほら

  • ソフト系のサンゴがちらほら

    ソフト系のサンゴがちらほら

  • ソフト系のサンゴがちらほら

    ソフト系のサンゴがちらほら

  • ユビエダサンゴも

    ユビエダサンゴも

  • ユビエダサンゴも

    ユビエダサンゴも

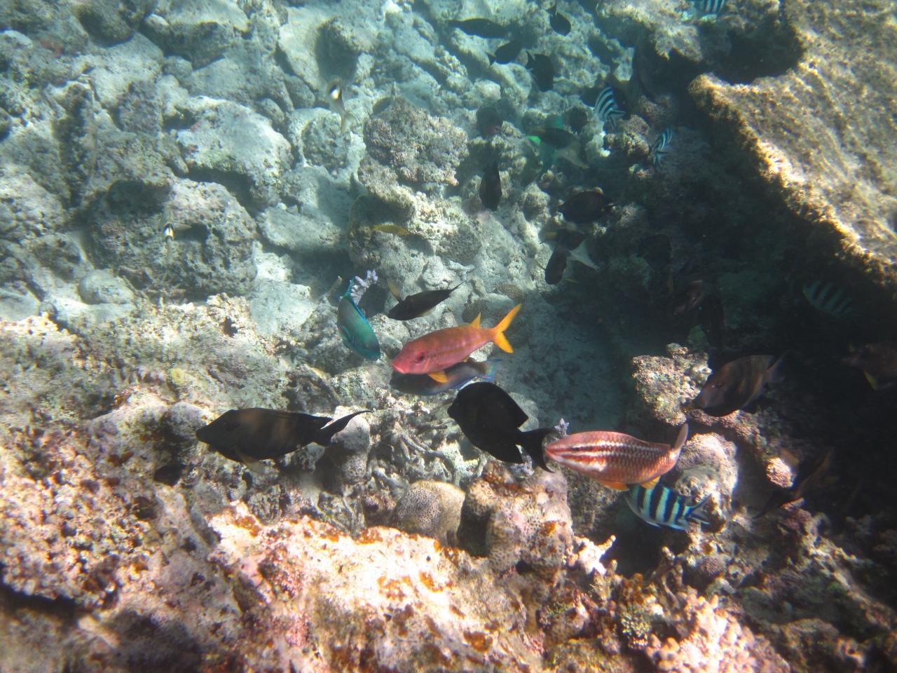
  • 魚の群れ

    魚の群れ

  • 魚の群れ

    魚の群れ

  • 魚の群れ

    魚の群れ

  • 魚の群れ

    魚の群れ

  • この魚は絵になります

    この魚は絵になります

  • でっかい変なサンゴ

    でっかい変なサンゴ

  • でっかい変なサンゴ

    でっかい変なサンゴ

  • エダサンゴ

    エダサンゴ

  • エダサンゴ

    エダサンゴ

  • 魚ガ増えてきました

    魚ガ増えてきました

  • どんどん西北へ行くと景色が変わってきました

    どんどん西北へ行くと景色が変わってきました

  • ちよっと絵になるサンゴもあります

    ちよっと絵になるサンゴもあります

  • 海の青を入れて撮るときれいに撮れます

    海の青を入れて撮るときれいに撮れます

  • サンゴの色もきれいです

    サンゴの色もきれいです

この旅行記のタグ

1いいね!

利用規約に違反している投稿は、報告する事ができます。 問題のある投稿を連絡する

コメントを投稿する前に

十分に確認の上、ご投稿ください。 コメントの内容は攻撃的ではなく、相手の気持ちに寄り添ったものになっていますか?

サイト共通ガイドライン(利用上のお願い)

報道機関・マスメディアの方へ 画像提供などに関するお問い合わせは、専用のお問い合わせフォームからお願いいたします。

旅の計画・記録

マイルに交換できるフォートラベルポイントが貯まる
フォートラベルポイントって?

フォートラベル公式LINE@

おすすめの旅行記や旬な旅行情報、お得なキャンペーン情報をお届けします!
QRコードが読み取れない場合はID「@4travel」で検索してください。

\その他の公式SNSはこちら/

価格.com旅行・トラベルホテル・旅館を比較

PAGE TOP