宮古島旅行記(ブログ) 一覧に戻る
今年初めての宮古島。<br />今回で5回目となり、もう観光客とはいえない状態。<br /><br />「日蝕は下地島空港で!」が、今回の旅のテーマであり、イベントでした。<br /><br />昨年も7月19日から宮古島。<br />「目指せ! 毎年7月19日は宮古島作戦」キャンペーン実施中!<br /><br />便や宿情報 ----------------------------------------<br /><br />7月19日<br /> 08時10分 ANA1731便 KIX→OKA<br /> 11時45分 ANA1723便 OKA→MMY<br /><br />7月23日<br /> 16時10分 ANA1728便 MMY→OKA<br /> 18時30分 ANA1740便 OKA→KIX<br /><br />現地移動手段:レンタカー<br />宿泊先ホテル:ブリーズベイマリーナ<br /><br /><br />宮古島日記 合計52日間-------------------------------<br />11回目「いつもお世話になっている方々を宮古島に案内するです!」13年5月18〜23日(6日間)<br />http://4travel.jp/traveler/ross/album/10779259/<br /><br />10回目「宮古島と、台風と、まもる君の夏」12年9月27〜10月3日(7日間)<br />http://4travel.jp/traveler/ross/album/10713845<br /><br />9回目「初夏の宮古島を満喫なのです!」11年4月10〜14日(5日間)<br />http://4travel.jp/traveler/ross/album/10559032/<br /><br />8回目「I らぶ 宮古島」10年10月4〜8日(5日間)<br /> http://4travel.jp/traveler/ross/album/10509381/ <br /><br />7回目「記念すべき7回目の宮古島」10年2月12〜17日(6日間)<br /> http://4travel.jp/traveler/ross/album/10432552/ <br /><br />6回目「人だらけと曇りの宮古島」09年9月5〜9日(5日間)<br /> http://4travel.jp/traveler/ross/album/10374765/ <br /><br />5回目「宮古ブルーと日蝕を楽しむ旅」09年7月19〜23日(5日間)<br /> http://4travel.jp/traveler/ross/album/10359549/<br /><br />4回目「AOW資格習得の宮古島」08年10月25〜29日(5日間)<br /> http://4travel.jp/traveler/ross/album/10283971/<br /><br />3回目「日帰り宮古島への旅」08年8月15日(1日)<br /> http://4travel.jp/traveler/ross/album/10263405/<br /><br />2回目「宮古島完全堪能の一人旅」08年7月19〜21日(3日間)<br /> http://4travel.jp/traveler/ross/album/10256900/<br /><br />1回目「快晴の下地島空港」08年5月25〜28日(4日間)<br /> http://4travel.jp/traveler/ross/album/10244521/

宮古ブルーと日蝕を楽しむ旅

8いいね!

2009/07/19 - 2009/07/23

3348位(同エリア4813件中)

0

69

4492.Toyo

4492.Toyoさん

今年初めての宮古島。
今回で5回目となり、もう観光客とはいえない状態。

「日蝕は下地島空港で!」が、今回の旅のテーマであり、イベントでした。

昨年も7月19日から宮古島。
「目指せ! 毎年7月19日は宮古島作戦」キャンペーン実施中!

便や宿情報 ----------------------------------------

7月19日
 08時10分 ANA1731便 KIX→OKA
 11時45分 ANA1723便 OKA→MMY

7月23日
 16時10分 ANA1728便 MMY→OKA
 18時30分 ANA1740便 OKA→KIX

現地移動手段:レンタカー
宿泊先ホテル:ブリーズベイマリーナ


宮古島日記 合計52日間-------------------------------
11回目「いつもお世話になっている方々を宮古島に案内するです!」13年5月18〜23日(6日間)
http://4travel.jp/traveler/ross/album/10779259/

10回目「宮古島と、台風と、まもる君の夏」12年9月27〜10月3日(7日間)
http://4travel.jp/traveler/ross/album/10713845

9回目「初夏の宮古島を満喫なのです!」11年4月10〜14日(5日間)
http://4travel.jp/traveler/ross/album/10559032/

8回目「I らぶ 宮古島」10年10月4〜8日(5日間)
 http://4travel.jp/traveler/ross/album/10509381/

7回目「記念すべき7回目の宮古島」10年2月12〜17日(6日間)
 http://4travel.jp/traveler/ross/album/10432552/

6回目「人だらけと曇りの宮古島」09年9月5〜9日(5日間)
 http://4travel.jp/traveler/ross/album/10374765/

5回目「宮古ブルーと日蝕を楽しむ旅」09年7月19〜23日(5日間)
 http://4travel.jp/traveler/ross/album/10359549/

4回目「AOW資格習得の宮古島」08年10月25〜29日(5日間)
 http://4travel.jp/traveler/ross/album/10283971/

3回目「日帰り宮古島への旅」08年8月15日(1日)
 http://4travel.jp/traveler/ross/album/10263405/

2回目「宮古島完全堪能の一人旅」08年7月19〜21日(3日間)
 http://4travel.jp/traveler/ross/album/10256900/

1回目「快晴の下地島空港」08年5月25〜28日(4日間)
 http://4travel.jp/traveler/ross/album/10244521/

同行者
友人
一人あたり費用
15万円 - 20万円
交通手段
レンタカー ANAグループ
  • 今回は、関西国際空港からのジャンプです。<br />沖縄へ行くのに、KIX使用は初めてです!<br /><br />ただ、フライト時間が8時10分と早朝。<br />そのため、6時30分のラピートに(涙)。<br /><br />でも、昼過ぎには宮古島ですヨ!<br />わふー。

    今回は、関西国際空港からのジャンプです。
    沖縄へ行くのに、KIX使用は初めてです!

    ただ、フライト時間が8時10分と早朝。
    そのため、6時30分のラピートに(涙)。

    でも、昼過ぎには宮古島ですヨ!
    わふー。

  • 那覇空港に到着。<br /><br />おっ、宮古島行きに飛行機の搭乗口が、<br />普通にボールディングブリッジがある場所だ。<br /><br />今回も車椅子の同行者がいるので、これはありがたいです。<br /><br />いつも通称「ドナドナカー」だったので……。<br />http://4travel.jp/traveler/ross/pict/14791940/<br /><br /><br />

    那覇空港に到着。

    おっ、宮古島行きに飛行機の搭乗口が、
    普通にボールディングブリッジがある場所だ。

    今回も車椅子の同行者がいるので、これはありがたいです。

    いつも通称「ドナドナカー」だったので……。
    http://4travel.jp/traveler/ross/pict/14791940/


  • そして、いつも泊まっているブリーズベイマリーナへ。<br />ここのトイレ・バスの扉は、車椅子でも入れる幅なのです。<br /><br />そんなわけで、常宿になっているのですねー。<br />今回もホテルの好意でデラックスルーム(231)でした。

    そして、いつも泊まっているブリーズベイマリーナへ。
    ここのトイレ・バスの扉は、車椅子でも入れる幅なのです。

    そんなわけで、常宿になっているのですねー。
    今回もホテルの好意でデラックスルーム(231)でした。

  • ベランダがとっても広いのです。<br />広いです。<br />日当たりも良いし、サイコー。

    ベランダがとっても広いのです。
    広いです。
    日当たりも良いし、サイコー。

  • 部屋に荷物を置いて、すぐに長間浜へ。<br />だ、だれもいない?<br />連休の昼間だというのに……。

    部屋に荷物を置いて、すぐに長間浜へ。
    だ、だれもいない?
    連休の昼間だというのに……。

  • 来間大橋です。<br />やっぱりいいですねー。<br />

    来間大橋です。
    やっぱりいいですねー。

  • そして、一番好きなビーチの与那覇前浜へ。<br />ほら、ここでもこれくらいしか人がいません!

    そして、一番好きなビーチの与那覇前浜へ。
    ほら、ここでもこれくらいしか人がいません!

  • そして、おなかがすいたので、昼食を。<br />ちょっと走って、オススメのまなつのスパイスカフェ茶音間へ。<br /><br />今回は、お外で食事なのです。<br />わふー。

    そして、おなかがすいたので、昼食を。
    ちょっと走って、オススメのまなつのスパイスカフェ茶音間へ。

    今回は、お外で食事なのです。
    わふー。

  • 食事は、夏限定のメニュー「南インド風カレープレート」の「チキンカレープレート」にしてみました。<br /><br />もちろん、おいしかったですヨ。

    食事は、夏限定のメニュー「南インド風カレープレート」の「チキンカレープレート」にしてみました。

    もちろん、おいしかったですヨ。

  • 食後は、ぷらぷらっとドライブ。<br />おっ、こんなところがあるんだー、と楽しみながらです。<br /><br />ちなみにこの風景は、ホテルのブリーズベイマリーナから東に向かった場所です。<br /><br />泳ぐには厳しいですが、きれいでしょ。

    食後は、ぷらぷらっとドライブ。
    おっ、こんなところがあるんだー、と楽しみながらです。

    ちなみにこの風景は、ホテルのブリーズベイマリーナから東に向かった場所です。

    泳ぐには厳しいですが、きれいでしょ。

  • そして向かった先は、東平安名崎。<br />残念ながら、灯台は開場時間が過ぎていたので……(涙)。

    そして向かった先は、東平安名崎。
    残念ながら、灯台は開場時間が過ぎていたので……(涙)。

    東平安名崎/平安名崎灯台 自然・景勝地

  • 東平安名崎の眺めは、いいですヨ。

    東平安名崎の眺めは、いいですヨ。

    東平安名崎/平安名崎灯台 自然・景勝地

  • そして、夕食を……ということで、ぷらぷらっと。<br />気づいたら、また与那覇前浜に。<br /><br />ここ、本当に好きなんですヨ。

    そして、夕食を……ということで、ぷらぷらっと。
    気づいたら、また与那覇前浜に。

    ここ、本当に好きなんですヨ。

  • ちょうど夕焼けに。<br /><br />連休中なのに、ほとんど人がいません。<br />夕焼けを満喫です。<br /><br /><br />……ただ、車椅子の同行者は、砂浜に入れないので……。<br />

    ちょうど夕焼けに。

    連休中なのに、ほとんど人がいません。
    夕焼けを満喫です。


    ……ただ、車椅子の同行者は、砂浜に入れないので……。

  • 結局、夕食はホテルへ戻って、<br />うえのドイツ文化村にあるビアファスへ。<br /><br />今回は、ホテルのプランに夕食1食分のチケットがあり、ここでも使えることが判明。<br /><br />そんなわけで、ここで食事を。<br /><br />前回も食事していて、車椅子もOKなのです。<br />http://4travel.jp/traveler/ross/pict/14803019/

    結局、夕食はホテルへ戻って、
    うえのドイツ文化村にあるビアファスへ。

    今回は、ホテルのプランに夕食1食分のチケットがあり、ここでも使えることが判明。

    そんなわけで、ここで食事を。

    前回も食事していて、車椅子もOKなのです。
    http://4travel.jp/traveler/ross/pict/14803019/

  • ちょっとブレてしまっていますが、こんな食事を。<br />あとビアを。<br /><br />車椅子の同行者にレンタカーを運転させることができないので……移動してしまうと、ウチがお酒を飲めないのですヨ。<br />

    ちょっとブレてしまっていますが、こんな食事を。
    あとビアを。

    車椅子の同行者にレンタカーを運転させることができないので……移動してしまうと、ウチがお酒を飲めないのですヨ。

  • 20日の朝〜。<br />今日も天気いいです。<br />わふー!

    20日の朝〜。
    今日も天気いいです。
    わふー!

  • 今日は、朝から下地島空港へ。<br />そんなプランで動きました。<br /><br />障害者割引も使って、フェリーに。<br />ちなみに、往復で4000円でした。<br /><br />宮古・伊良部間の橋が完成したら、乗れなくなるんですよね。<br /><br />今のうちに楽しまないと!

    今日は、朝から下地島空港へ。
    そんなプランで動きました。

    障害者割引も使って、フェリーに。
    ちなみに、往復で4000円でした。

    宮古・伊良部間の橋が完成したら、乗れなくなるんですよね。

    今のうちに楽しまないと!

  • 海きれいですヨ。<br /><br />約15分ぐらい乗船して、到着ですー。

    海きれいですヨ。

    約15分ぐらい乗船して、到着ですー。

  • そして、国内で一番好きな空港・下地島空港へ。<br />わくわく。

    そして、国内で一番好きな空港・下地島空港へ。
    わくわく。

  • しかし、その前にひと泳ぎ。<br />中ノ島海岸を始めてシュノーケルで。<br /><br />おっ、クマノミがいる〜。<br /><br />ちなみに、この時泳いでいたのは……ほかに誰もいない。<br />あれ?<br />本当に休日?

    しかし、その前にひと泳ぎ。
    中ノ島海岸を始めてシュノーケルで。

    おっ、クマノミがいる〜。

    ちなみに、この時泳いでいたのは……ほかに誰もいない。
    あれ?
    本当に休日?

  • そして、やってきましたヨ。<br />下地島空港のRW17エンド。<br /><br />うひょー。<br />わふー。わふー。わふー。<br /><br />ちなみに、カメラ内部に汚れがあったようで、中央にゴミが(涙)。

    そして、やってきましたヨ。
    下地島空港のRW17エンド。

    うひょー。
    わふー。わふー。わふー。

    ちなみに、カメラ内部に汚れがあったようで、中央にゴミが(涙)。

  • こんな風景が観られる場所。<br />すっごく好きです。<br /><br />1日ここにいても飽きません。<br />……もちろん、訓練が休憩に入ると……。<br /><br /><br />ちなみに、今回飛んでいたのはこの737-700。<br />とっても好きな機体です。<br />

    こんな風景が観られる場所。
    すっごく好きです。

    1日ここにいても飽きません。
    ……もちろん、訓練が休憩に入ると……。


    ちなみに、今回飛んでいたのはこの737-700。
    とっても好きな機体です。

  • 訓練が休憩に入ったようなので……。<br /><br />エンドの西側の浅瀬でシュノーケルしてみましょうか。<br /><br />それにしても、とってもきれいな海ー。

    訓練が休憩に入ったようなので……。

    エンドの西側の浅瀬でシュノーケルしてみましょうか。

    それにしても、とってもきれいな海ー。

  • ちょうど潮が引いていたので、砂浜が。<br />うひょー、きれいな砂浜です。<br /><br />ただ、浜に下りるのはきついです。<br />滑って転んだりしないように!

    ちょうど潮が引いていたので、砂浜が。
    うひょー、きれいな砂浜です。

    ただ、浜に下りるのはきついです。
    滑って転んだりしないように!

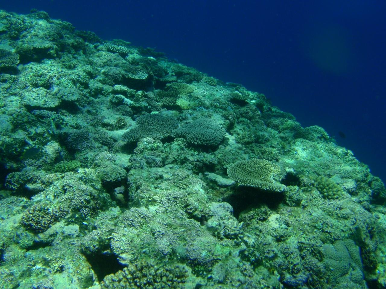
  • ちょっと潜ってみましょう。<br />白い砂の中に、ちょこんとサンゴが。

    ちょっと潜ってみましょう。
    白い砂の中に、ちょこんとサンゴが。

  • かなり魚が泳いでいますね。<br /><br />

    かなり魚が泳いでいますね。

  • きれいな場所です。<br /><br />ただ、引いているときでないと、ちょっと魚の場所までいけないかも。

    きれいな場所です。

    ただ、引いているときでないと、ちょっと魚の場所までいけないかも。

  • 続いて、伊良部島の穴場へ。<br /><br />急な坂がありますが、水辺近くまで階段があるので……。

    続いて、伊良部島の穴場へ。

    急な坂がありますが、水辺近くまで階段があるので……。

  • 同行者もなんとかシュノーケルを楽しめました。<br />もちろん、何かあったときの準備はしてありますヨ。<br /><br />シュノーケルでサンゴを楽しむのは、多分ははじめての経験だったのかな?

    同行者もなんとかシュノーケルを楽しめました。
    もちろん、何かあったときの準備はしてありますヨ。

    シュノーケルでサンゴを楽しむのは、多分ははじめての経験だったのかな?

  • そして、遊びまくった後、フェリーで帰島。

    そして、遊びまくった後、フェリーで帰島。

  • そして、夕食は……。

    そして、夕食は……。

  • お気に入りのバフェを!<br />東急リゾートで、ディナー。<br /><br />……と思ったら、満席なので、1時間30分ほど予約を入れて待つことに。

    お気に入りのバフェを!
    東急リゾートで、ディナー。

    ……と思ったら、満席なので、1時間30分ほど予約を入れて待つことに。

  • 満席だから? それにしても人が少ないです。

    満席だから? それにしても人が少ないです。

  • さて、そろそろ予約の時間かな。<br /><br />夕日を満喫しまくりでした。<br /><br />あっ、ちなみに同行者は砂浜に入れないため、ロビーでお留守番。

    さて、そろそろ予約の時間かな。

    夕日を満喫しまくりでした。

    あっ、ちなみに同行者は砂浜に入れないため、ロビーでお留守番。

  • メシー!

    メシー!

  • もちろん、デザートも!

    もちろん、デザートも!

  • 夕食後は天文観測に。<br /><br />隣のヤツが野郎というのが、悲しい。<br /><br /><br />しかし、今までで5本の指に入る星空でした。

    夕食後は天文観測に。

    隣のヤツが野郎というのが、悲しい。


    しかし、今までで5本の指に入る星空でした。

  • あっ、このPhotoは、特殊な撮り方ではありませんよ。<br /><br />普通に三脚で固定しただけで、オート撮影です。

    あっ、このPhotoは、特殊な撮り方ではありませんよ。

    普通に三脚で固定しただけで、オート撮影です。

  • しかし、残念ながら、今回は、流れ星を観ることができませんでした。<br /><br />ヤツは観たらしい。<br />くそーです。

    しかし、残念ながら、今回は、流れ星を観ることができませんでした。

    ヤツは観たらしい。
    くそーです。

  • 21日。<br />朝からダイビングです。<br /><br />うひょー。天候ばっちりOKです。<br />

    21日。
    朝からダイビングです。

    うひょー。天候ばっちりOKです。

  • まずは、伊良部島のイーストコーラルというポイントへ。<br /><br />残念ながら、今回は、ハウジング内でくもってしまって……。

    まずは、伊良部島のイーストコーラルというポイントへ。

    残念ながら、今回は、ハウジング内でくもってしまって……。

  • 続いて、イーストコーラルの北側へ。<br /><br />やっぱり、くもってしまって(涙)。<br /><br />上がる前の安全停止の時、ハウジングから出して撮影してみました。<br />こんな風景が見られたわけです。<br /><br />※所有のカメラは水深5mまで対応しているものです。水中内での撮影には気をつけてください。

    続いて、イーストコーラルの北側へ。

    やっぱり、くもってしまって(涙)。

    上がる前の安全停止の時、ハウジングから出して撮影してみました。
    こんな風景が見られたわけです。

    ※所有のカメラは水深5mまで対応しているものです。水中内での撮影には気をつけてください。

  • その甲斐あって、目の前を泳ぐ魚群を撮影できました。<br />

    その甲斐あって、目の前を泳ぐ魚群を撮影できました。

  • つづいて、サシバに移動。<br />

    つづいて、サシバに移動。

  • 今回は、ハウジング内がくもってしまい、残念な結果に。<br /><br />また、前日までの気象の関係や、夏ということもあり、透明度はあまりよろしくはありませんでした(涙)。

    今回は、ハウジング内がくもってしまい、残念な結果に。

    また、前日までの気象の関係や、夏ということもあり、透明度はあまりよろしくはありませんでした(涙)。

  • 今回は、1日で3ダイブ。<br /><br />トータルで、16本の9時間25分潜ったことに。<br /><br /><br />帰港後、ホテルに戻って、シャワーを浴び、<br />ダイブショップで夕食を。<br /><br />

    今回は、1日で3ダイブ。

    トータルで、16本の9時間25分潜ったことに。


    帰港後、ホテルに戻って、シャワーを浴び、
    ダイブショップで夕食を。

  • 22日。<br /><br />今日は日蝕の日ですヨ。<br />宮古島は皆既帯から外れていますので……単なる日蝕です。<br /><br />日蝕は下地島で!と思っていましたので、起きてすぐに移動!

    22日。

    今日は日蝕の日ですヨ。
    宮古島は皆既帯から外れていますので……単なる日蝕です。

    日蝕は下地島で!と思っていましたので、起きてすぐに移動!

  • わふー。<br />ちょっと雲がありますが、天気いいですヨ。

    わふー。
    ちょっと雲がありますが、天気いいですヨ。

  • 下地島空港のRW17エンドに到着〜。<br />飛行訓練と日蝕を同時に楽しめるとは……し・あ・わ・せ!

    下地島空港のRW17エンドに到着〜。
    飛行訓練と日蝕を同時に楽しめるとは……し・あ・わ・せ!

  • 日蝕中の飛行訓練を。<br /><br />……日蝕撮影用のフィルタを持っていないので……。

    日蝕中の飛行訓練を。

    ……日蝕撮影用のフィルタを持っていないので……。

  • 黒いフィルターを4枚重ねての撮影。<br />フィルター内で乱反射してしまって(涙)。<br /><br />撮れたのはこの中途半端な1枚だけです。<br /><br />……日蝕というより、三日月にしか見えません(涙)。

    黒いフィルターを4枚重ねての撮影。
    フィルター内で乱反射してしまって(涙)。

    撮れたのはこの中途半端な1枚だけです。

    ……日蝕というより、三日月にしか見えません(涙)。

  • こんな感じのPhotoばかりでした。<br /><br />右下にあるフィルター内で反射した太陽を観ていただければ、どれくらいまで欠けていたか、わかると思います。<br /><br />ちなみに、ちゃんと観測して楽しみましたヨ。<br /><br />

    こんな感じのPhotoばかりでした。

    右下にあるフィルター内で反射した太陽を観ていただければ、どれくらいまで欠けていたか、わかると思います。

    ちなみに、ちゃんと観測して楽しみましたヨ。

  • 日蝕と碧い海を楽しむ。<br />……にしても、きれいな海だなぁ。

    日蝕と碧い海を楽しむ。
    ……にしても、きれいな海だなぁ。

  • 楽しいです。<br /><br />確実に日本で一番好きなスポットですヨ。

    楽しいです。

    確実に日本で一番好きなスポットですヨ。

  • そして、宮古へ戻り、食事を。<br />いつも行く古謝本店に。<br /><br />ただ、Edy非対応になっちゃたみたいで、残念。

    そして、宮古へ戻り、食事を。
    いつも行く古謝本店に。

    ただ、Edy非対応になっちゃたみたいで、残念。

  • そして、うやきそばを。

    そして、うやきそばを。

  • そして、夕日を求めて海岸線を。<br />ベストスポット発見!<br /><br />どうです、日本とは思えない風景ですヨ。

    そして、夕日を求めて海岸線を。
    ベストスポット発見!

    どうです、日本とは思えない風景ですヨ。

  • 夕食は、初日にも行った、うえのドイツ文化村にあるビアファスへ。<br /><br />昨年来たときも食しましたが、これが食べたくて(笑)。

    夕食は、初日にも行った、うえのドイツ文化村にあるビアファスへ。

    昨年来たときも食しましたが、これが食べたくて(笑)。

  • 23日……最終日(涙)。<br />今日の夕方には帰阪です。<br /><br />そんわけで、朝食後は島を満喫すべく走りまくり。<br />海岸近くを走りながら聴いた音楽は……「男達のメロディー」。<br /><br />♪走り出したら 何か答えがでるだろうなんて 俺もあてにはしてないさ してないさ〜♪<br /><br />おっと、レンタカーがソーラーカーだん吉に見えてきた(笑)。<br /><br /><br />まずは、東平安名崎へ。

    23日……最終日(涙)。
    今日の夕方には帰阪です。

    そんわけで、朝食後は島を満喫すべく走りまくり。
    海岸近くを走りながら聴いた音楽は……「男達のメロディー」。

    ♪走り出したら 何か答えがでるだろうなんて 俺もあてにはしてないさ してないさ〜♪

    おっと、レンタカーがソーラーカーだん吉に見えてきた(笑)。


    まずは、東平安名崎へ。

    東平安名崎/平安名崎灯台 自然・景勝地

  • 灯台が開いていた!<br />初めて登ります!<br /><br />同行者は、車でお留守番。

    灯台が開いていた!
    初めて登ります!

    同行者は、車でお留守番。

  • こんな風景が楽しめます。<br /><br />入場料は大人1人200円です。<br />

    こんな風景が楽しめます。

    入場料は大人1人200円です。

  • そういえば、しょうがないのでしょうが、今回は政党のポスターがとっても目に入りました。<br /><br />この方ははじめ「チョビーン」と読んでしまい、「?」を頭に浮かべたです(笑)。<br />わふ。<br /><br /><br />一番多かったのは「幸福〜」かな。<br />リゾート観光に来たのに、目にするたびに「消費税」とか「ミサイル」とか書かれていて、現実に戻されてしまいました(涙)。<br /><br />できたら「んみゃーち! 宮古島 by○○党」ぐらい抑えてくれた好印象なんでしょうネ。

    そういえば、しょうがないのでしょうが、今回は政党のポスターがとっても目に入りました。

    この方ははじめ「チョビーン」と読んでしまい、「?」を頭に浮かべたです(笑)。
    わふ。


    一番多かったのは「幸福〜」かな。
    リゾート観光に来たのに、目にするたびに「消費税」とか「ミサイル」とか書かれていて、現実に戻されてしまいました(涙)。

    できたら「んみゃーち! 宮古島 by○○党」ぐらい抑えてくれた好印象なんでしょうネ。

  • そして、昼食を。<br />やはり初日に行った、まなつのスパイスカフェ茶音間へ。<br /><br />同行者が行きたい、行きたいと(笑)。<br /><br />今回はチキンマサラを。

    そして、昼食を。
    やはり初日に行った、まなつのスパイスカフェ茶音間へ。

    同行者が行きたい、行きたいと(笑)。

    今回はチキンマサラを。

  • 食後は、池間島へ。<br /><br />ここを回ったら、空港へ行かないと。<br /><br />あっ、すでにホテルはチェックアウトしていて、荷物も車に。<br /><br />そんなわけで、泳げない日なのです。

    食後は、池間島へ。

    ここを回ったら、空港へ行かないと。

    あっ、すでにホテルはチェックアウトしていて、荷物も車に。

    そんなわけで、泳げない日なのです。

    池間島 自然・景勝地

  • 妙に橋の周りが明るい……と思ったら、いつもより潮がひいている……。

    妙に橋の周りが明るい……と思ったら、いつもより潮がひいている……。

  • サンドバーが出現しています。<br /><br />ヤバイ、渡ってみたい!

    サンドバーが出現しています。

    ヤバイ、渡ってみたい!

  • 残念ながら、渡らず……空港へ。<br /><br />同行者が車椅子ということもあり、席の確認を。<br />また、できたら……プレミアムクラスに空きが……と思ったのです。<br />

    残念ながら、渡らず……空港へ。

    同行者が車椅子ということもあり、席の確認を。
    また、できたら……プレミアムクラスに空きが……と思ったのです。

  • そして、搭乗。<br /><br />また来るぞ、宮古島!

    そして、搭乗。

    また来るぞ、宮古島!

この旅行記のタグ

8いいね!

利用規約に違反している投稿は、報告する事ができます。 問題のある投稿を連絡する

コメントを投稿する前に

十分に確認の上、ご投稿ください。 コメントの内容は攻撃的ではなく、相手の気持ちに寄り添ったものになっていますか?

サイト共通ガイドライン(利用上のお願い)

報道機関・マスメディアの方へ 画像提供などに関するお問い合わせは、専用のお問い合わせフォームからお願いいたします。

この旅行で行ったスポット

旅の計画・記録

マイルに交換できるフォートラベルポイントが貯まる
フォートラベルポイントって?

フォートラベル公式LINE@

おすすめの旅行記や旬な旅行情報、お得なキャンペーン情報をお届けします!
QRコードが読み取れない場合はID「@4travel」で検索してください。

\その他の公式SNSはこちら/

タグから国内旅行記(ブログ)を探す

PAGE TOP