西表島旅行記(ブログ) 一覧に戻る
はやいなぁ〜<br />もう3日目です。<br />天気が下り坂なため、本日が、3日間の中で一番寒いです。<br />それでも頑張って行ってきましたよ。<br /><br /><br />☆本日の1本目は、網取浅場<br />思いもかけず、イヌザメ登場。<br />びっくりダイビングです。<br /><br />☆2本目は、4番ポール<br />ニチリンダテハゼ狙いです。<br /><br />☆スモールワールド<br />ここでは、ニシキテグリ狙いです。<br />なかなか見つけられない。<br /><br />しかし、水温低くて寒かった〜

やってきました西表島(その3)

2いいね!

2008/12/28 - 2008/12/31

1880位(同エリア2212件中)

0

13

あそびっこ

あそびっこさん

はやいなぁ〜
もう3日目です。
天気が下り坂なため、本日が、3日間の中で一番寒いです。
それでも頑張って行ってきましたよ。


☆本日の1本目は、網取浅場
思いもかけず、イヌザメ登場。
びっくりダイビングです。

☆2本目は、4番ポール
ニチリンダテハゼ狙いです。

☆スモールワールド
ここでは、ニシキテグリ狙いです。
なかなか見つけられない。

しかし、水温低くて寒かった〜

  • 今日も1本目は、<br />ちょっと遠くに出られることに。<br />ということで、網取浅場です。<br />写真は、ハナヒゲウツボの幼魚です。

    今日も1本目は、
    ちょっと遠くに出られることに。
    ということで、網取浅場です。
    写真は、ハナヒゲウツボの幼魚です。

  • セジロクマノミです。

    セジロクマノミです。

  • ハナダイが1つの根にたくさん群れていましたよ。

    ハナダイが1つの根にたくさん群れていましたよ。

  • クレナイニセスズメダイ

    クレナイニセスズメダイ

  • ロクセンヤッコ

    ロクセンヤッコ

  • イヌザメ。<br />ここで、こんな大物に出会えるとは思いませんでしたので、びっくり。

    イヌザメ。
    ここで、こんな大物に出会えるとは思いませんでしたので、びっくり。

  • (笑)ガイドさんがお茶目をしてくれました。

    (笑)ガイドさんがお茶目をしてくれました。

  • 本日の天気は、こんな感じ。<br />嵐でしょう!?

    本日の天気は、こんな感じ。
    嵐でしょう!?

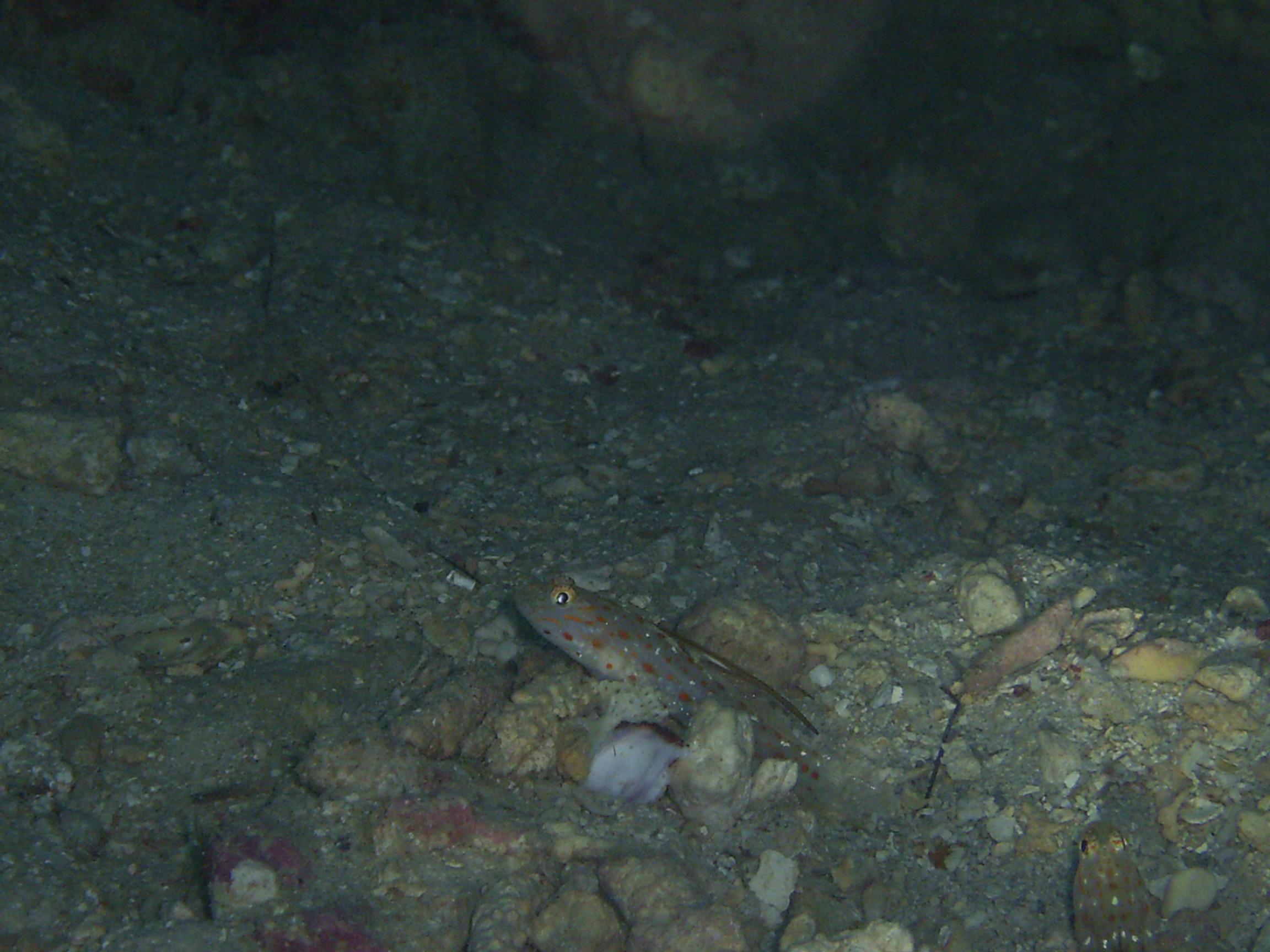
  • 2本目は、4番ポール。<br />ニチリンダテハゼ

    2本目は、4番ポール。
    ニチリンダテハゼ

  • ハッタテシノビハゼ

    ハッタテシノビハゼ

  • 本日3本目。<br />ラストダイブは、スモールワールド。<br />まずは、ンジュウイシモチ

    本日3本目。
    ラストダイブは、スモールワールド。
    まずは、ンジュウイシモチ

  • 狙いは、こやつ。<br />ニシキテグリです。

    狙いは、こやつ。
    ニシキテグリです。

  • ニシキテグリその2です。<br />チョコチョコと動いて撮影しずらいです。

    ニシキテグリその2です。
    チョコチョコと動いて撮影しずらいです。

この旅行記のタグ

関連タグ

2いいね!

利用規約に違反している投稿は、報告する事ができます。 問題のある投稿を連絡する

コメントを投稿する前に

十分に確認の上、ご投稿ください。 コメントの内容は攻撃的ではなく、相手の気持ちに寄り添ったものになっていますか?

サイト共通ガイドライン(利用上のお願い)

報道機関・マスメディアの方へ 画像提供などに関するお問い合わせは、専用のお問い合わせフォームからお願いいたします。

旅の計画・記録

マイルに交換できるフォートラベルポイントが貯まる
フォートラベルポイントって?

フォートラベル公式LINE@

おすすめの旅行記や旬な旅行情報、お得なキャンペーン情報をお届けします!
QRコードが読み取れない場合はID「@4travel」で検索してください。

\その他の公式SNSはこちら/

タグから国内旅行記(ブログ)を探す

PAGE TOP