北マーレ環礁旅行記(ブログ) 一覧に戻る
とうとう、最終日・・・(・_・、)<br />チェックアウト&荷物のピックアップは12:00、ボート出航は14:30です。<br />荷物はほとんど昨日の夜にまとめてしまい、午前中はシュノーケル、シャワーを浴びてランチを食べたら、ちょうど帰る時間になりました。<br /><br />エリヤドゥは、期待を裏切らない素晴らしい場所でした!<br />またモルディブ旅行計画を立てなければo(^o^)o

モルディブ★エリヤドゥ8日間 13(9/19 7日目 最終日)

5いいね!

2008/09/13 - 2008/09/20

575位(同エリア821件中)

0

41

sweetbean

sweetbeanさん

とうとう、最終日・・・(・_・、)
チェックアウト&荷物のピックアップは12:00、ボート出航は14:30です。
荷物はほとんど昨日の夜にまとめてしまい、午前中はシュノーケル、シャワーを浴びてランチを食べたら、ちょうど帰る時間になりました。

エリヤドゥは、期待を裏切らない素晴らしい場所でした!
またモルディブ旅行計画を立てなければo(^o^)o

同行者
カップル・夫婦
一人あたり費用
20万円 - 25万円
交通手段
航空会社
スリランカ航空
旅行の手配内容
ツアー(添乗員同行なし)
  • 甘いバナナがありました(*^。^*)

    甘いバナナがありました(*^。^*)

  • いつも見ていた景色♪

    いつも見ていた景色♪

  • 鳥さん、いつまでも仲良くね!(*^。^*)

    鳥さん、いつまでも仲良くね!(*^。^*)

  • 大好きな椰子も

    大好きな椰子も

  • 今日で見納めか(´ヘ`;)

    今日で見納めか(´ヘ`;)

  • No.128から時計回りに110まで、<br />のんび〜りお散歩しました♪<br />立派なヒトデには会えなかったなー

    No.128から時計回りに110まで、
    のんび〜りお散歩しました♪
    立派なヒトデには会えなかったなー

  • 正面顔は難しかった・・

    正面顔は難しかった・・

  • シマハギ単体って撮ってなかったかも。

    シマハギ単体って撮ってなかったかも。

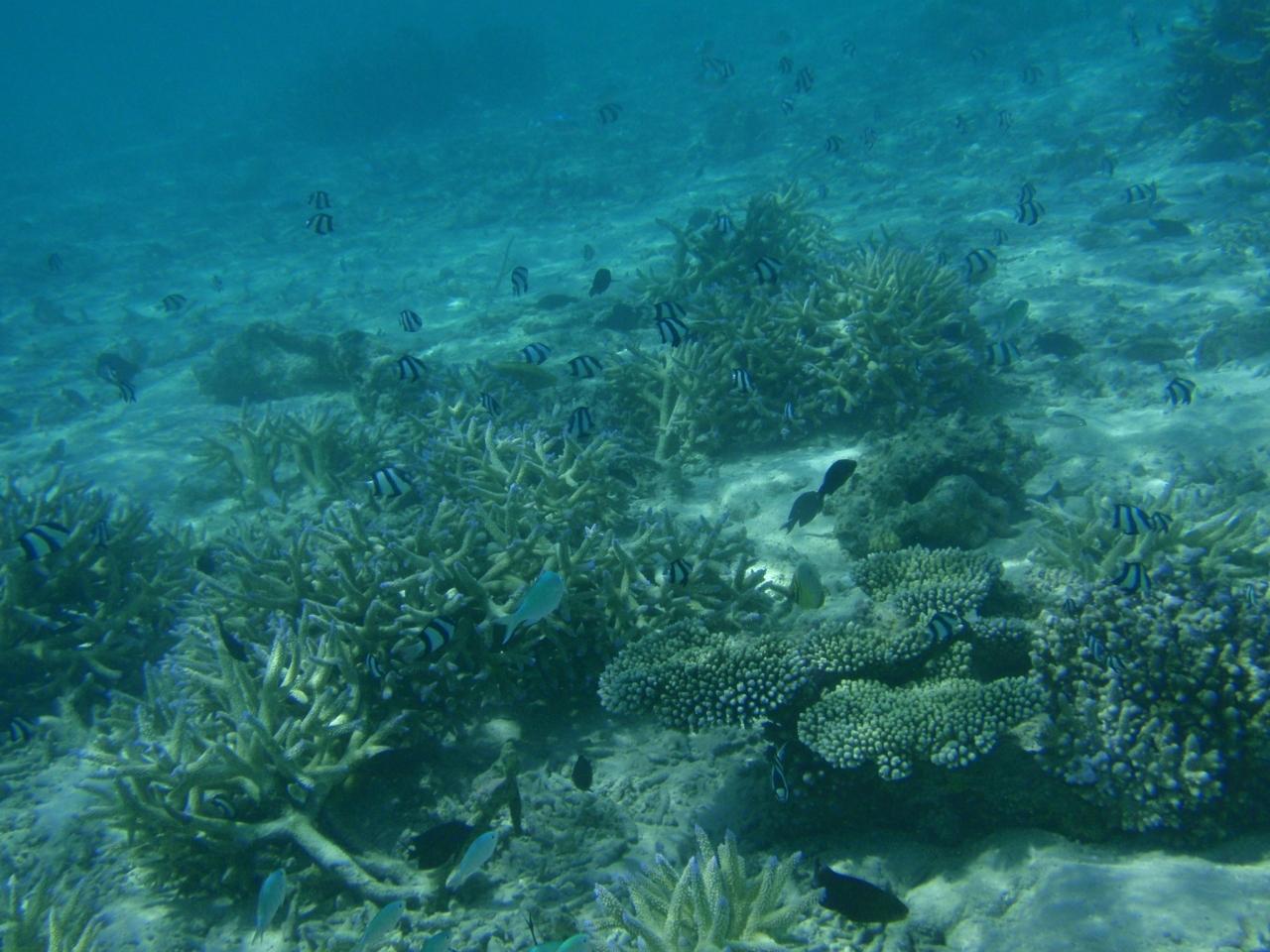
  • シマハギと、写ってないけどパウダーブルーと<br />黒いコたちの群れに<br />最後も会うことが出来ました(*^。^*)

    シマハギと、写ってないけどパウダーブルーと
    黒いコたちの群れに
    最後も会うことが出来ました(*^。^*)

  • スズメダイで始まり、<br />スズメダイで終わる(^_^)

    スズメダイで始まり、
    スズメダイで終わる(^_^)

  • 見納め〜(´ヘ`;)

    見納め〜(´ヘ`;)

  • くらげが居ました

    くらげが居ました

  • ムラサメモンガラのちびちゃんに<br />また会いました(*^。^*)<br />大きくなるんだよ〜

    ムラサメモンガラのちびちゃんに
    また会いました(*^。^*)
    大きくなるんだよ〜

  • カレーを頂きます♪

    カレーを頂きます♪

  • 食後に卓球台のところに行って見ましたが、<br />蚊がすごくて3分で退散。

    食後に卓球台のところに行って見ましたが、
    蚊がすごくて3分で退散。

  • まだまだ時間があるし、なにより暑い(~Q~;)から・・

    まだまだ時間があるし、なにより暑い(~Q~;)から・・

  • ここをくぐり抜け・・

    ここをくぐり抜け・・

  • ここにやって来ました♪

    ここにやって来ました♪

  • フロントもバーも暑いので、<br />ここが一番風もあって涼しかった〜♪

    フロントもバーも暑いので、
    ここが一番風もあって涼しかった〜♪

  • お魚はあんまりいないな〜なんて見ていたら、<br />コイツだけ居た・・・<br />ゴマモンガラ(○`ε´○)<br /><br />でもエリヤドゥでは一度も襲われなかったな・・<br />やっぱり襲ってくるのは産卵期だけなのだろうか( ‥)

    お魚はあんまりいないな〜なんて見ていたら、
    コイツだけ居た・・・
    ゴマモンガラ(○`ε´○)

    でもエリヤドゥでは一度も襲われなかったな・・
    やっぱり襲ってくるのは産卵期だけなのだろうか( ‥)

  • 集合時間になったのでフロントへ

    集合時間になったのでフロントへ

  • 最後の見納め。

    最後の見納め。

  • この窓、気に入りました♪

    この窓、気に入りました♪

  • 帰りのボートに乗り込みます(´ヘ`;)

    帰りのボートに乗り込みます(´ヘ`;)

  • 帰りたくなぁい(・_・、)

    帰りたくなぁい(・_・、)

  • また来るからねぇ〜(ToT)/~~~

    また来るからねぇ〜(ToT)/~~~

  • 雲がくじらみたい

    雲がくじらみたい

  • 水コテ改装してるのかなぁ<br /><br />いいなぁ水コテ・・(´ヘ`;)

    水コテ改装してるのかなぁ

    いいなぁ水コテ・・(´ヘ`;)

  • この看板てどうなんでしょう・・・(~ヘ~;)

    この看板てどうなんでしょう・・・(~ヘ~;)

  • マーレ空港に、日本食コーナー??<br />2年前にはなかったよなぁ`s(・&#39;・;)<br />日本人が増えたってことかな・・

    マーレ空港に、日本食コーナー??
    2年前にはなかったよなぁ`s(・'・;)
    日本人が増えたってことかな・・

この旅行記のタグ

5いいね!

利用規約に違反している投稿は、報告する事ができます。 問題のある投稿を連絡する

コメントを投稿する前に

十分に確認の上、ご投稿ください。 コメントの内容は攻撃的ではなく、相手の気持ちに寄り添ったものになっていますか?

サイト共通ガイドライン(利用上のお願い)

報道機関・マスメディアの方へ 画像提供などに関するお問い合わせは、専用のお問い合わせフォームからお願いいたします。

旅の計画・記録

マイルに交換できるフォートラベルポイントが貯まる
フォートラベルポイントって?

モルディブで使うWi-Fiはレンタルしましたか?

フォートラベル GLOBAL WiFiなら
モルディブ最安 562円/日~

  • 空港で受取・返却可能
  • お得なポイントがたまる

モルディブの料金プランを見る

フォートラベル公式LINE@

おすすめの旅行記や旬な旅行情報、お得なキャンペーン情報をお届けします!
QRコードが読み取れない場合はID「@4travel」で検索してください。

\その他の公式SNSはこちら/

PAGE TOP