北マーレ環礁旅行記(ブログ) 一覧に戻る
2日目、シュノーケルは午前午後1本ずつしました。<br />水中デジカメに初チャレンジなので、試し撮りしてる間に<br />時間は過ぎていきました(*-∀-)ゞ<br />

モルディブ★エリヤドゥ8日間 3(9/14 2日目 PM)

3いいね!

2008/09/13 - 2008/09/20

660位(同エリア821件中)

0

58

sweetbean

sweetbeanさん

2日目、シュノーケルは午前午後1本ずつしました。
水中デジカメに初チャレンジなので、試し撮りしてる間に
時間は過ぎていきました(*-∀-)ゞ

同行者
カップル・夫婦
一人あたり費用
20万円 - 25万円
交通手段
航空会社
スリランカ航空
旅行の手配内容
ツアー(添乗員同行なし)
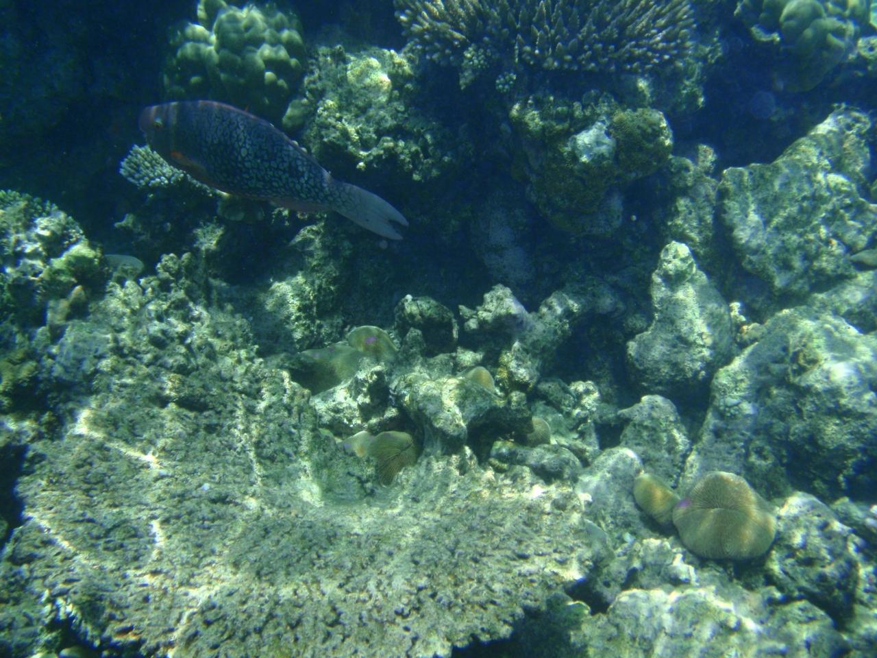
  • まずはNo.128→No.110。<br />浅瀬で最初にいたのは<br />ミスジリュウキュウスズメダイです。<br />小さくてかわいい。<br />

    まずはNo.128→No.110。
    浅瀬で最初にいたのは
    ミスジリュウキュウスズメダイです。
    小さくてかわいい。

  • パウダーブルーサージョンフィッシュ。<br />被写体ちっちゃっ!<br />まだうまくカメラ操作できません。。

    パウダーブルーサージョンフィッシュ。
    被写体ちっちゃっ!
    まだうまくカメラ操作できません。。

  • ブダイの稚魚を真上から。。

    ブダイの稚魚を真上から。。

  • 半水面とかいろいろと<br />チャレンジだけはしてみました(^^)

    半水面とかいろいろと
    チャレンジだけはしてみました(^^)

  • 青がキレイな珊瑚。

    青がキレイな珊瑚。

  • 黒くて尾の付け根が白い、<br />よく群れていたお魚です。

    黒くて尾の付け根が白い、
    よく群れていたお魚です。

  • たぶんこのコたち?

    たぶんこのコたち?

  • 微妙な写真を撮りつつ、もうお昼です(^o^)<br />まぁ気長にいきましょと、とりあえずおつかれビール♪

    微妙な写真を撮りつつ、もうお昼です(^o^)
    まぁ気長にいきましょと、とりあえずおつかれビール♪

  • 砂がキモチいい♪<br />帰る日までずっと裸足でした。<br />モル生活での醍醐味ですよね!<br />

    砂がキモチいい♪
    帰る日までずっと裸足でした。
    モル生活での醍醐味ですよね!

  • カレー&デザートです♪<br />私、かなりのカレー好きなので、<br />楽しみにしていました!<br />フィッシュ&ベジタブルとさっそく欲張り。<br />デザートはチョコのが特においしかったです♪

    カレー&デザートです♪
    私、かなりのカレー好きなので、
    楽しみにしていました!
    フィッシュ&ベジタブルとさっそく欲張り。
    デザートはチョコのが特においしかったです♪

  • お部屋の戻ってまたシュノーケルの準備です。<br />この半屋外シャワー、<br />昼間はこんなに明るくて<br />解放感溢れてます♪

    お部屋の戻ってまたシュノーケルの準備です。
    この半屋外シャワー、
    昼間はこんなに明るくて
    解放感溢れてます♪

  • 日本から持参した飲み物です♪<br />水だし緑茶、コーヒーはとっても便利だし、<br />スポーツ飲料はシュノーケルの後<br />ゴクゴク飲みます。<br />日数分持って行き、飲みきって帰りました。

    日本から持参した飲み物です♪
    水だし緑茶、コーヒーはとっても便利だし、
    スポーツ飲料はシュノーケルの後
    ゴクゴク飲みます。
    日数分持って行き、飲みきって帰りました。

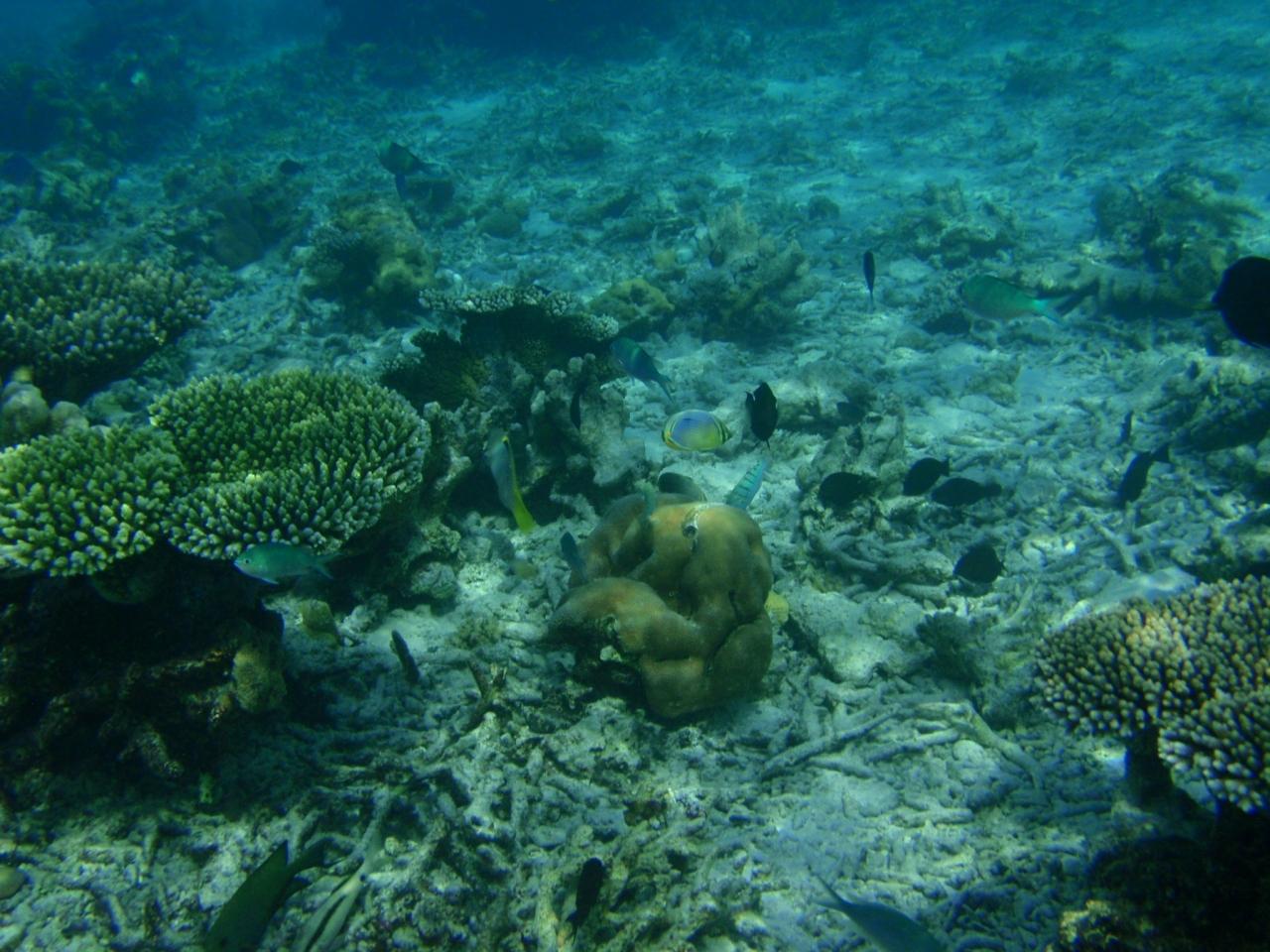
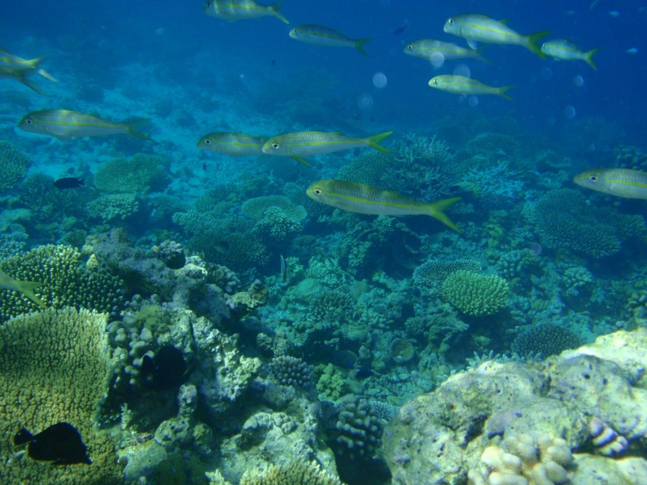
  • 午後はNo.128→桟橋(反時計回り)から<br />エントリーしました。<br />このきれいなサンゴはどこを泳いでも<br />たくさんありました。

    午後はNo.128→桟橋(反時計回り)から
    エントリーしました。
    このきれいなサンゴはどこを泳いでも
    たくさんありました。

  • ミスジリュウキュウスズメダイは<br />どこにでもいるけれど<br />近寄ると隠れるのでかわいくてつい<br />撮ってしまいます。<br />かなりの練習台になってくれました(^^;)

    ミスジリュウキュウスズメダイは
    どこにでもいるけれど
    近寄ると隠れるのでかわいくてつい
    撮ってしまいます。
    かなりの練習台になってくれました(^^;)

  • パウダーブルーサージョンフィッシュの<br />群れにすぐ会えると思い込んでいたのですが、<br />なかなか会えません・・・。<br />どこにいるのやら。

    パウダーブルーサージョンフィッシュの
    群れにすぐ会えると思い込んでいたのですが、
    なかなか会えません・・・。
    どこにいるのやら。

  • うーん、うまく撮れないなー。

    うーん、うまく撮れないなー。

  • ツノダシって変な顔だなー。

    ツノダシって変な顔だなー。

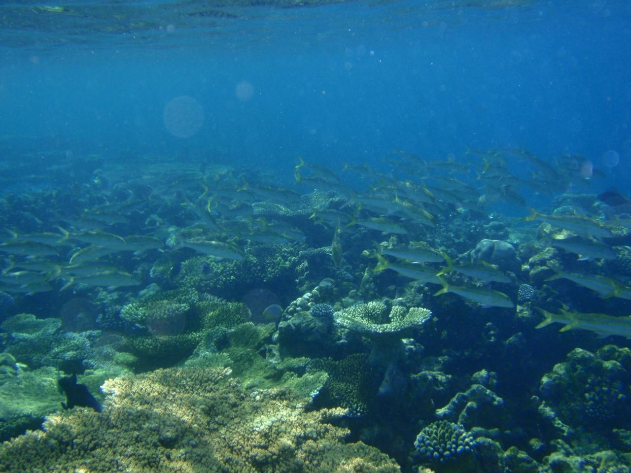
  • 結構な群れです!

    結構な群れです!

  • アカヒメジというのででしょうか。<br />この後も、何度も群れで見かけました。<br />赤くないのにアカヒメジって名前なの?

    アカヒメジというのででしょうか。
    この後も、何度も群れで見かけました。
    赤くないのにアカヒメジって名前なの?

  • きゃぁぁぁっ!ゴマモンガラ!!

    きゃぁぁぁっ!ゴマモンガラ!!

  • この子はほんとうに苦手です( ・´_`・ )

    この子はほんとうに苦手です( ・´_`・ )

  • こんなにキレイな景色なのに・・・

    こんなにキレイな景色なのに・・・

  • 落ち着いて楽しめませんっ!(ToT)

    落ち着いて楽しめませんっ!(ToT)

  • ゴマモンガラが居ないと、落ち着く♪

    ゴマモンガラが居ないと、落ち着く♪

  • ふぅ。

    ふぅ。

  • やっと遠ざかっていきました。。<br /><br />ココアで産卵期と知らずにカメラを向けた私に、<br />相当なスピードで向かってきて以来、見かけると怖くて怖くて。<br /><br />どこに行ってもいるんだなぁ。

    やっと遠ざかっていきました。。

    ココアで産卵期と知らずにカメラを向けた私に、
    相当なスピードで向かってきて以来、見かけると怖くて怖くて。

    どこに行ってもいるんだなぁ。

  • 落ち着いたので、<br />キレイな景色を楽しみます♪

    落ち着いたので、
    キレイな景色を楽しみます♪

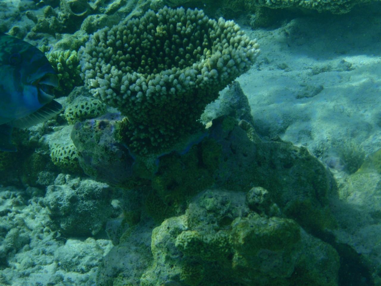
  • 大きなテーブル珊瑚。

    大きなテーブル珊瑚。

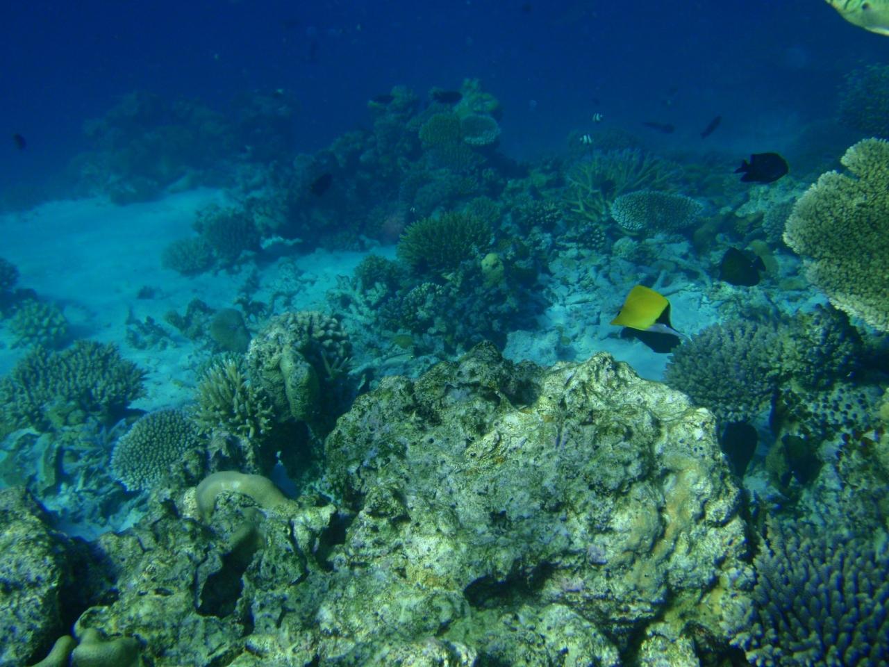
  • 遠くに、オオフエヤッコダイ♪<br />たまたま写ってくれた感じです。

    遠くに、オオフエヤッコダイ♪
    たまたま写ってくれた感じです。

  • 水面に近いところで、小さなお魚が<br />たくさんいました。<br />ピントが合わなくて、<br />なかなかうまく撮れません・・。<br />キラキラ光ってキレイでした。

    水面に近いところで、小さなお魚が
    たくさんいました。
    ピントが合わなくて、
    なかなかうまく撮れません・・。
    キラキラ光ってキレイでした。

  • 珊瑚の間にすぐ隠れちゃう。

    珊瑚の間にすぐ隠れちゃう。

  • ドロップオフは楽しいけど、<br />写真をアップで撮れないことに気付きました。<br />ちょっと浅瀬に戻ってみま〜す。

    ドロップオフは楽しいけど、
    写真をアップで撮れないことに気付きました。
    ちょっと浅瀬に戻ってみま〜す。

  • オオフエヤッコダイ♪<br />長い口。

    オオフエヤッコダイ♪
    長い口。

  • ん?

    ん?

  • ブダイ。<br />珊瑚をガリガリする音が激しい。

    ブダイ。
    珊瑚をガリガリする音が激しい。

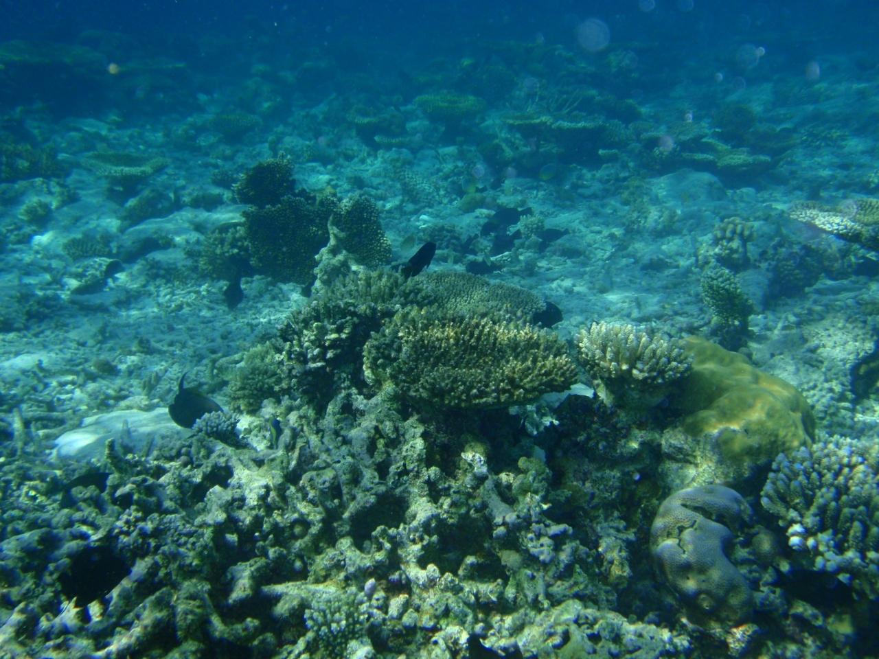
  • 元気のない珊瑚。<br />少し悲しい写真です。

    元気のない珊瑚。
    少し悲しい写真です。

  • 浅瀬の珊瑚はまだ復活に時間が<br />かかりそうです。<br />

    浅瀬の珊瑚はまだ復活に時間が
    かかりそうです。

  • ミスジチョウチョウウオ。<br /><br />私、今回の旅行でわかったのですが、<br />チョウチョウウオが好きみたいです。<br />かなりの枚数を撮りました。<br /><br />帰国後調べてみて、<br />種類の多さにビックリしました。

    ミスジチョウチョウウオ。

    私、今回の旅行でわかったのですが、
    チョウチョウウオが好きみたいです。
    かなりの枚数を撮りました。

    帰国後調べてみて、
    種類の多さにビックリしました。

  • 浅瀬に十字架のようなものがありました。<br />数箇所にあるのでなにかの目印のようです。

    浅瀬に十字架のようなものがありました。
    数箇所にあるのでなにかの目印のようです。

  • ダイビングセンターまで来ました。<br />波に少し酔ってしまったので<br />ここであがることにしました。<br />この後も滞在中は、お天気は良くても<br />波が少し大きかったり、うねりが強い時が<br />多かったです。

    ダイビングセンターまで来ました。
    波に少し酔ってしまったので
    ここであがることにしました。
    この後も滞在中は、お天気は良くても
    波が少し大きかったり、うねりが強い時が
    多かったです。

  • 夕方になりました。<br />ハッピーアワーまでやどかりと遊ぶ(^^)

    夕方になりました。
    ハッピーアワーまでやどかりと遊ぶ(^^)

  • No.159のお部屋は西向きなので、<br />もしかしたらキレイな夕焼けが<br />見えるのかも・・(^o^)

    No.159のお部屋は西向きなので、
    もしかしたらキレイな夕焼けが
    見えるのかも・・(^o^)

  • 部屋の前で夕日を待っていたら<br />もぐんからハッピーアワーに行こうとお誘い。<br /><br />結果、部屋からよりバーからのほうが<br />キレイでした♪

    部屋の前で夕日を待っていたら
    もぐんからハッピーアワーに行こうとお誘い。

    結果、部屋からよりバーからのほうが
    キレイでした♪

  • 雲があるから水平線に日が沈むのを<br />見ることはできませんでしたが。

    雲があるから水平線に日が沈むのを
    見ることはできませんでしたが。

  • だんだん赤みを帯びてきました。

    だんだん赤みを帯びてきました。

  • もぐんはビール♪<br />わたしは顔が真っ赤になっちゃうので<br />マンゴージュース。うま〜♪

    もぐんはビール♪
    わたしは顔が真っ赤になっちゃうので
    マンゴージュース。うま〜♪

  • 1日たっぷり遊びました♪<br />楽しかった!

    1日たっぷり遊びました♪
    楽しかった!

  • バーで部屋用のビールを買いました♪<br />(って全部もぐんのだけど・・・)

    バーで部屋用のビールを買いました♪
    (って全部もぐんのだけど・・・)

  • 食事まで少し時間があるので、<br />ビールを置きに戻りました。<br /><br />外の椅子でまったりしていると、<br />前の木にふと動くものが・・・<br /><br />・・・?<br /><br />!!!<br />あ・・・り・・・?<br /><br />かなり大きなサイズで気持ち悪っ!<br />この後も毎日、夜になると出没しました(ToT)

    食事まで少し時間があるので、
    ビールを置きに戻りました。

    外の椅子でまったりしていると、
    前の木にふと動くものが・・・

    ・・・?

    !!!
    あ・・・り・・・?

    かなり大きなサイズで気持ち悪っ!
    この後も毎日、夜になると出没しました(ToT)

  • さて、夕食です♪<br /><br />ペンネがおいしかった。<br />サラダの種類はお昼同様たくさんあって、<br />新鮮でした♪<br />この焼きそばのようなものは、<br />フィッシュなんちゃらパスタです。<br />いまいちだったな(^^;)

    さて、夕食です♪

    ペンネがおいしかった。
    サラダの種類はお昼同様たくさんあって、
    新鮮でした♪
    この焼きそばのようなものは、
    フィッシュなんちゃらパスタです。
    いまいちだったな(^^;)

  • 照明が暗いからうまく撮れない。<br />フラッシュはたきたくないし。<br />と悩んでいたら、もぐんに<br />「感度上げればいいじゃん」と<br />数日後に言われました。<br />早く教えてよ(^^;)<br /><br />ムースがおいしかったです!<br />あ、バナナにココナッツのクランチのも<br />チョコレートケーキも<br />おいしかった♪

    照明が暗いからうまく撮れない。
    フラッシュはたきたくないし。
    と悩んでいたら、もぐんに
    「感度上げればいいじゃん」と
    数日後に言われました。
    早く教えてよ(^^;)

    ムースがおいしかったです!
    あ、バナナにココナッツのクランチのも
    チョコレートケーキも
    おいしかった♪

  • お部屋に戻ったら、<br />ベットがブーゲンビリアでした♪<br />わぁい(^o^)

    お部屋に戻ったら、
    ベットがブーゲンビリアでした♪
    わぁい(^o^)

  • シャワーを浴びようとしたら、<br />ヤモリを発見しました♪<br />可愛い♪<br /><br />わたし、カナブンとかハチとか、<br />速く飛ぶ虫は苦手ですが、<br />ゆっくり歩く虫や爬虫類は大丈夫なんです(^^)<br /><br />エリヤドゥで怖かったのは、<br />黒いでっかいカナブン・・・。

    シャワーを浴びようとしたら、
    ヤモリを発見しました♪
    可愛い♪

    わたし、カナブンとかハチとか、
    速く飛ぶ虫は苦手ですが、
    ゆっくり歩く虫や爬虫類は大丈夫なんです(^^)

    エリヤドゥで怖かったのは、
    黒いでっかいカナブン・・・。

  • ハネムーンじゃないのに、<br />ワインとフルーツを頂きました(^^;)<br /><br />パイナップルがメチャウマでした♪♪

    ハネムーンじゃないのに、
    ワインとフルーツを頂きました(^^;)

    パイナップルがメチャウマでした♪♪

この旅行記のタグ

3いいね!

利用規約に違反している投稿は、報告する事ができます。 問題のある投稿を連絡する

コメントを投稿する前に

十分に確認の上、ご投稿ください。 コメントの内容は攻撃的ではなく、相手の気持ちに寄り添ったものになっていますか?

サイト共通ガイドライン(利用上のお願い)

報道機関・マスメディアの方へ 画像提供などに関するお問い合わせは、専用のお問い合わせフォームからお願いいたします。

旅の計画・記録

マイルに交換できるフォートラベルポイントが貯まる
フォートラベルポイントって?

モルディブで使うWi-Fiはレンタルしましたか?

フォートラベル GLOBAL WiFiなら
モルディブ最安 562円/日~

  • 空港で受取・返却可能
  • お得なポイントがたまる

モルディブの料金プランを見る

フォートラベル公式LINE@

おすすめの旅行記や旬な旅行情報、お得なキャンペーン情報をお届けします!
QRコードが読み取れない場合はID「@4travel」で検索してください。

\その他の公式SNSはこちら/

PAGE TOP