北マーレ環礁旅行記(ブログ) 一覧に戻る
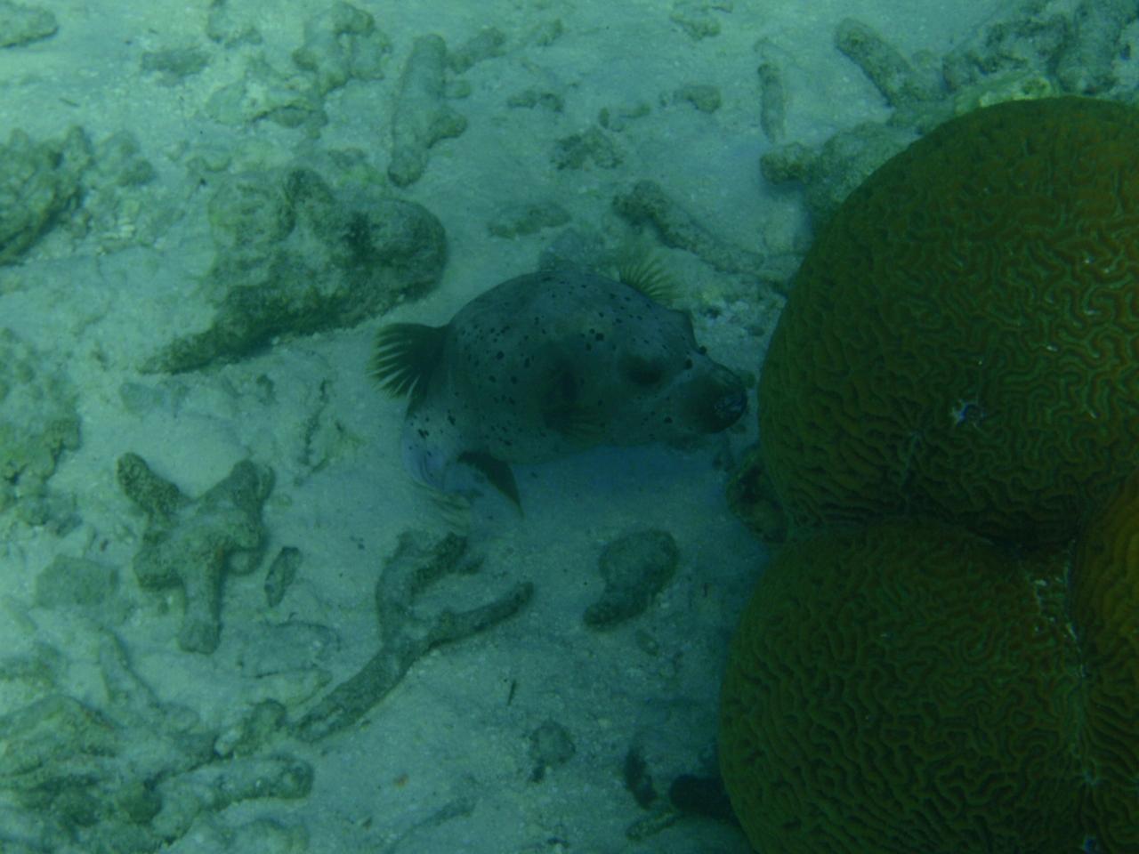
午後は桟橋でツバメウオに会ってから、時計回りにNo.110に行きました♪<br />外人さんが何か騒いでいて、こっちこっち!!と呼ぶので行ってみたらカサゴが居ました♪<br />ダイビングでは見たことがあるけれど、足のつく浅瀬にも出没するのですね〜(*^。^*)<br />撮っていると寄ってくるのでちょっと怖かった・・・(‥;)

モルディブ★エリヤドゥ8日間 12(9/18 6日目 PM)

1いいね!

2008/09/13 - 2008/09/20

754位(同エリア821件中)

0

41

sweetbean

sweetbeanさん

午後は桟橋でツバメウオに会ってから、時計回りにNo.110に行きました♪
外人さんが何か騒いでいて、こっちこっち!!と呼ぶので行ってみたらカサゴが居ました♪
ダイビングでは見たことがあるけれど、足のつく浅瀬にも出没するのですね〜(*^。^*)
撮っていると寄ってくるのでちょっと怖かった・・・(‥;)

同行者
カップル・夫婦
一人あたり費用
20万円 - 25万円
交通手段
航空会社
スリランカ航空
旅行の手配内容
ツアー(添乗員同行なし)
  • お昼です♪♪<br />ポテトの塩気が抜群です♪

    お昼です♪♪
    ポテトの塩気が抜群です♪

  • パイナップル&メロンにご機嫌(●⌒∇⌒●)

    パイナップル&メロンにご機嫌(●⌒∇⌒●)

  • このコは我が家のペットのように<br />いつもチョコチョコしてました♪

    このコは我が家のペットのように
    いつもチョコチョコしてました♪

  • エリヤドゥはほんとにビーコテの良さを<br />感じることができます♪

    エリヤドゥはほんとにビーコテの良さを
    感じることができます♪

  • ツバメウオとのんびり遊ぼうと来てみたら

    ツバメウオとのんびり遊ぼうと来てみたら

  • スタッフがサービスで餌を撒いてくれちゃって

    スタッフがサービスで餌を撒いてくれちゃって

  • グチャグチャ・・・(×_×;)

    グチャグチャ・・・(×_×;)

  • ふぅ(^。^;)

    ふぅ(^。^;)

  • 落ち着いた(*^。^*)

    落ち着いた(*^。^*)

  • フライにしたらおいしそう(´・ω・`)

    フライにしたらおいしそう(´・ω・`)

  • 阪神タイガースは深めに居るので<br />なかなかよく撮れないなぁ・・

    阪神タイガースは深めに居るので
    なかなかよく撮れないなぁ・・

  • 結構な数が群れで去っていきました。

    結構な数が群れで去っていきました。

  • また会ったね〜(^O^)/

    また会ったね〜(^O^)/

  • 桟橋から入ったので、ちょっと寄り道して<br />クマノミに会いに♪

    桟橋から入ったので、ちょっと寄り道して
    クマノミに会いに♪

  • うーん♪

    うーん♪

  • カワイイ、可愛すぎます!ヽ(・∀・)ノ

    カワイイ、可愛すぎます!ヽ(・∀・)ノ

  • 最後かもしれないので、<br />我が家の前のクマノミにも会いに(*^。^*)

    最後かもしれないので、
    我が家の前のクマノミにも会いに(*^。^*)

  • 近いよ〜。

    近いよ〜。

  • イカも結構遭遇しました。<br />列を崩さないでよく泳げるなぁ・・`s(・&#39;・;)

    イカも結構遭遇しました。
    列を崩さないでよく泳げるなぁ・・`s(・'・;)

  • こういう大群がドロップオフの辺りで逃げていると、<br />そのあとアジがたくさん現れる・・・。

    こういう大群がドロップオフの辺りで逃げていると、
    そのあとアジがたくさん現れる・・・。

  • 深いところに居ても、青いドットが目立ちます♪

    深いところに居ても、青いドットが目立ちます♪

  • やった〜!\(^o^)/<br />アップで撮れた〜♪

    やった〜!\(^o^)/
    アップで撮れた〜♪

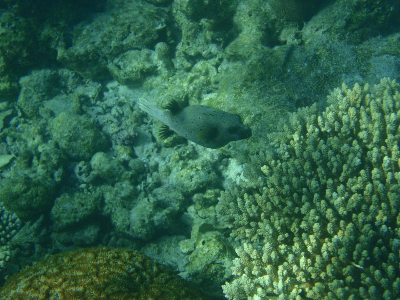
  • 外人さんが騒いでいて、呼ばれたので行ってみたら、<br />カサゴが居ました\(・o・)/

    外人さんが騒いでいて、呼ばれたので行ってみたら、
    カサゴが居ました\(・o・)/

  • 毒、持ってるからなぁ・・

    毒、持ってるからなぁ・・

  • なかなか派手でよいですね〜(*^。^*)

    なかなか派手でよいですね〜(*^。^*)

  • 今日、何度も会ったよね?(*^^*ゞ

    今日、何度も会ったよね?(*^^*ゞ

  • ムラサメモンガラの、超チビッコです♪

    ムラサメモンガラの、超チビッコです♪

  • 浅瀬でひとりぼっちだったので<br />周りに比較できるお魚が居ませんが、<br />5、6cmくらいだと思います(=∩_∩=)

    浅瀬でひとりぼっちだったので
    周りに比較できるお魚が居ませんが、
    5、6cmくらいだと思います(=∩_∩=)

  • 夕食前の、鳥観察です♪<br />隠れてたのに見つかっちゃった・・(*^^*ゞ

    夕食前の、鳥観察です♪
    隠れてたのに見つかっちゃった・・(*^^*ゞ

  • ちょっと出遅れてしまって、<br />暗めになってしまいました(・_・、)<br />席も真ん中しか空いてなく・・

    ちょっと出遅れてしまって、
    暗めになってしまいました(・_・、)
    席も真ん中しか空いてなく・・

  • 一番お気に入りのバナナミルクにしました(*^。^*)<br />アイスが入ってるのがgoodです!

    一番お気に入りのバナナミルクにしました(*^。^*)
    アイスが入ってるのがgoodです!

  • すっかり顔を覚えてくれたバーのスタッフ達(*^。^*)

    すっかり顔を覚えてくれたバーのスタッフ達(*^。^*)

  • エリヤドゥロゴ入りのマッチをくれた<br />シャイなスタッフでした(*^。^*)

    エリヤドゥロゴ入りのマッチをくれた
    シャイなスタッフでした(*^。^*)

  • 部屋に戻ると、クリーニング担当のディディが<br />鳥が隣人宅に入って捕まえたところ!と<br />自慢げに見せてきました((((((^_^;)

    部屋に戻ると、クリーニング担当のディディが
    鳥が隣人宅に入って捕まえたところ!と
    自慢げに見せてきました((((((^_^;)

  • 最後のディナーです(・_・、)<br />お野菜はいつも食べていたので、<br />滞在中はいたって健康でした♪

    最後のディナーです(・_・、)
    お野菜はいつも食べていたので、
    滞在中はいたって健康でした♪

  • もう一度アイスが食べたかったなぁ・・(・_・、)<br />デザートのスタッフに、挨拶をしに行きました。<br />おいしいデザートをありがとうね!って。

    もう一度アイスが食べたかったなぁ・・(・_・、)
    デザートのスタッフに、挨拶をしに行きました。
    おいしいデザートをありがとうね!って。

  • 部屋の前で隠れきれてないカニ発見!

    部屋の前で隠れきれてないカニ発見!

この旅行記のタグ

1いいね!

利用規約に違反している投稿は、報告する事ができます。 問題のある投稿を連絡する

コメントを投稿する前に

十分に確認の上、ご投稿ください。 コメントの内容は攻撃的ではなく、相手の気持ちに寄り添ったものになっていますか?

サイト共通ガイドライン(利用上のお願い)

報道機関・マスメディアの方へ 画像提供などに関するお問い合わせは、専用のお問い合わせフォームからお願いいたします。

旅の計画・記録

マイルに交換できるフォートラベルポイントが貯まる
フォートラベルポイントって?

モルディブで使うWi-Fiはレンタルしましたか?

フォートラベル GLOBAL WiFiなら
モルディブ最安 562円/日~

  • 空港で受取・返却可能
  • お得なポイントがたまる

モルディブの料金プランを見る

フォートラベル公式LINE@

おすすめの旅行記や旬な旅行情報、お得なキャンペーン情報をお届けします!
QRコードが読み取れない場合はID「@4travel」で検索してください。

\その他の公式SNSはこちら/

PAGE TOP