北マーレ環礁旅行記(ブログ) 一覧に戻る
4日目午後です。<br />No.128から反時計回りで我が家No.159までです。<br />カメさんと午前中とは別の種類のクマノミに会えました♪

モルディブ★エリヤドゥ8日間 8(9/16 4日目 PM)

1いいね!

2008/09/13 - 2008/09/20

754位(同エリア821件中)

0

48

sweetbean

sweetbeanさん

4日目午後です。
No.128から反時計回りで我が家No.159までです。
カメさんと午前中とは別の種類のクマノミに会えました♪

同行者
カップル・夫婦
一人あたり費用
20万円 - 25万円
交通手段
航空会社
スリランカ航空
旅行の手配内容
ツアー(添乗員同行なし)
  • ランチです(^。^)<br />野菜を多めにとか口では言いつつ穀物多い。

    ランチです(^。^)
    野菜を多めにとか口では言いつつ穀物多い。

  • デザートは欠かせません(*^。^*)<br />今日はソース3種、それぞれかけてみました♪

    デザートは欠かせません(*^。^*)
    今日はソース3種、それぞれかけてみました♪

  • パインはいつでも絶品♪(●⌒∇⌒●)♪

    パインはいつでも絶品♪(●⌒∇⌒●)♪

  • うーん。<br />どこからエントリーしたか、記憶が飛んでます(^^;;;

    うーん。
    どこからエントリーしたか、記憶が飛んでます(^^;;;

  • 1匹1匹の顔がちゃんと写りました(^。^)v

    1匹1匹の顔がちゃんと写りました(^。^)v

  • ピントが合うまで何度も練習しました(^。^)v

    ピントが合うまで何度も練習しました(^。^)v

  • 練習台になってくれてありがとー。

    練習台になってくれてありがとー。

  • このコと

    このコと

  • このコは似てるけど違う種類なんだろうなぁ。

    このコは似てるけど違う種類なんだろうなぁ。

  • 稚魚を追い込んで浅瀬ですごい速く泳いでる。<br />おっきいからビックリしちゃうよ((((((^_^;)

    稚魚を追い込んで浅瀬ですごい速く泳いでる。
    おっきいからビックリしちゃうよ((((((^_^;)

  • でもやさしい顔してるのね。

    でもやさしい顔してるのね。

  • しなやかな曲線美。

    しなやかな曲線美。

  • あー、どうしても正面顔が撮りたいなぁ(×_×;)

    あー、どうしても正面顔が撮りたいなぁ(×_×;)

  • このコって、スピード速すぎて<br />どんな顔してるのか撮った画像を見て初確認。

    このコって、スピード速すぎて
    どんな顔してるのか撮った画像を見て初確認。

  • なんだか鮮明に撮れると<br />うれしくなっちゃって・・(^^ゞ

    なんだか鮮明に撮れると
    うれしくなっちゃって・・(^^ゞ

  • 遠目だとこんな感じ。

    遠目だとこんな感じ。

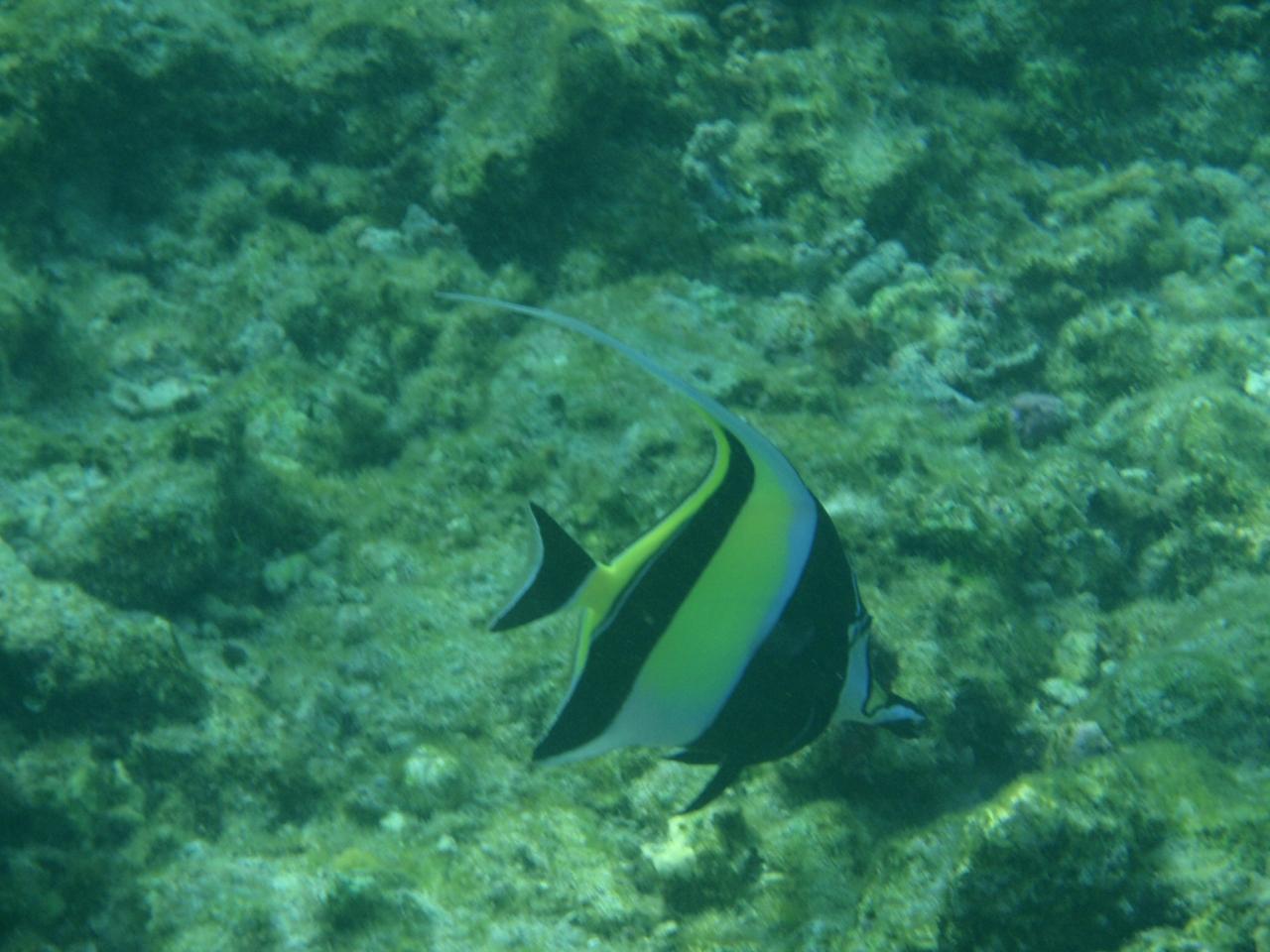
  • しっぽのリボンがカワイイ♪

    しっぽのリボンがカワイイ♪

  • チョウチョウウオは<br />ついつい撮ってしまいます(=∩_∩=)

    チョウチョウウオは
    ついつい撮ってしまいます(=∩_∩=)

  • 阪神タイガースの横のコ!

    阪神タイガースの横のコ!

  • このコ!初めて見ました♪<br /><br />ブラックピラミッドバタフライフィッシュ?<br />ツノハタタテダイ??<br />うーん・・・。

    このコ!初めて見ました♪

    ブラックピラミッドバタフライフィッシュ?
    ツノハタタテダイ??
    うーん・・・。

  • ブダイて、何度見てもオモシロイ顔。

    ブダイて、何度見てもオモシロイ顔。

  • 結構な数の大群でしたヽ(´▽`)/<br />キラキラきれい♪

    結構な数の大群でしたヽ(´▽`)/
    キラキラきれい♪

  • 尾ひれ背びれがちょっと派手♪<br />名前はわかりません(×_×;)

    尾ひれ背びれがちょっと派手♪
    名前はわかりません(×_×;)

  • オウギチョウチョウウオ♪<br />横の小さなコもカワイイです(^。^)

    オウギチョウチョウウオ♪
    横の小さなコもカワイイです(^。^)

  • こっちのほうがクッキリ撮れました(*^^*)

    こっちのほうがクッキリ撮れました(*^^*)

  • このコ、オバさん顔。。

    このコ、オバさん顔。。

  • ツノダシも見かけるとつい、<br />シャッターを押してしまいます(*^.^*)

    ツノダシも見かけるとつい、
    シャッターを押してしまいます(*^.^*)

  • カメに会いました〜(●⌒∇⌒●)<br />私はなぜか、小さい頃からカメが好きで、<br />置物とかもすぐ欲しくなっちゃう。<br /><br />ちょっと深かったので、一緒に泳げなかったけど、<br />また、会おうね!

    カメに会いました〜(●⌒∇⌒●)
    私はなぜか、小さい頃からカメが好きで、
    置物とかもすぐ欲しくなっちゃう。

    ちょっと深かったので、一緒に泳げなかったけど、
    また、会おうね!

  • 立て続けにかわいいクマノミを発見!

    立て続けにかわいいクマノミを発見!

  • 場所はちょうど我が家No.159の延長線上でした♪<br />昨日のコより浅瀬なので、見つけやすいと思います。<br /><br />名前は調べたのですが、<br />残念ながらわからず終いです(・_・、)

    場所はちょうど我が家No.159の延長線上でした♪
    昨日のコより浅瀬なので、見つけやすいと思います。

    名前は調べたのですが、
    残念ながらわからず終いです(・_・、)

  • 今日も卵は無事?

    今日も卵は無事?

  • ごめんね、ほんとに毎日遊んでもらって・・<br />m(。−_−。)m

    ごめんね、ほんとに毎日遊んでもらって・・
    m(。−_−。)m

  • あまりにも小さいコを見ると、<br />ついついかわいくて・・・

    あまりにも小さいコを見ると、
    ついついかわいくて・・・

  • このコはおうちが細長すぎるようで、<br />歩くのさえ苦労していました・・。<br />引越せばいいのに。

    このコはおうちが細長すぎるようで、
    歩くのさえ苦労していました・・。
    引越せばいいのに。

  • 今日も1日よく遊んだなぁ♪

    今日も1日よく遊んだなぁ♪

  • そろそろハッピー・・・・

    そろそろハッピー・・・・

  • はい、ハッピーアワーです\(^o^)/

    はい、ハッピーアワーです\(^o^)/

  • 今日は、チョコレートミルクシェイクです!<br />バナナのようにアイスは入っていなかったけど、<br />とってもおいしかった!(&#39;-&#39;*)

    今日は、チョコレートミルクシェイクです!
    バナナのようにアイスは入っていなかったけど、
    とってもおいしかった!('-'*)

  • 空が色づいてきました(*^o^*)

    空が色づいてきました(*^o^*)

  • キレイです。<br />毎日こんな贅沢しちゃっていいのかな・・。

    キレイです。
    毎日こんな贅沢しちゃっていいのかな・・。

  • 少し、スコールが降り始めたので、急いで中に入りました。<br />数分しか座ってないけど、座り心地はとても良い椅子でした。<br /><br />これが最初で最後の雨でした。

    少し、スコールが降り始めたので、急いで中に入りました。
    数分しか座ってないけど、座り心地はとても良い椅子でした。

    これが最初で最後の雨でした。

  • 雨もやんだし、ご飯にします♪<br />カレー用のご飯が炒飯で、なかなか美味でした♪

    雨もやんだし、ご飯にします♪
    カレー用のご飯が炒飯で、なかなか美味でした♪

  • お決まりのデザートは、<br />チョコレートとココナッツのケーキと<br />フルーツです♪<br />もう、フルーツは定番化してしまいました(*^^*ゞ

    お決まりのデザートは、
    チョコレートとココナッツのケーキと
    フルーツです♪
    もう、フルーツは定番化してしまいました(*^^*ゞ

  • 今日はシンプルですね(*^^*ゞ<br /><br />ではまた明日・・Oo。。(_ _)

    今日はシンプルですね(*^^*ゞ

    ではまた明日・・Oo。。(_ _)

この旅行記のタグ

1いいね!

利用規約に違反している投稿は、報告する事ができます。 問題のある投稿を連絡する

コメントを投稿する前に

十分に確認の上、ご投稿ください。 コメントの内容は攻撃的ではなく、相手の気持ちに寄り添ったものになっていますか?

サイト共通ガイドライン(利用上のお願い)

報道機関・マスメディアの方へ 画像提供などに関するお問い合わせは、専用のお問い合わせフォームからお願いいたします。

旅の計画・記録

マイルに交換できるフォートラベルポイントが貯まる
フォートラベルポイントって?

モルディブで使うWi-Fiはレンタルしましたか?

フォートラベル GLOBAL WiFiなら
モルディブ最安 562円/日~

  • 空港で受取・返却可能
  • お得なポイントがたまる

モルディブの料金プランを見る

フォートラベル公式LINE@

おすすめの旅行記や旬な旅行情報、お得なキャンペーン情報をお届けします!
QRコードが読み取れない場合はID「@4travel」で検索してください。

\その他の公式SNSはこちら/

PAGE TOP