バリ島旅行記(ブログ) 一覧に戻る
わがファミリーには未知の島、バリ島<br />papaは『南国で海に潜らないで何するの?』と・・・・・<br /><br />とりあえず目的はダイビングと言うことで説得<br />決めちゃいましたー<br />ショッピングにスパ。。。ガイドブック見て母娘はニンマリ(=´m`)クスクス♪<br /><br /><br /><br />お世話になったダイビングショップ<br />イエロースクーバ http://www.yellowscuba.com/<br />担当:さおりさん<br /><br />

バリ島・2007冬(ダイビング編)

6いいね!

2007/12/20 - 2007/12/24

11376位(同エリア17528件中)

4

50

ミミmama

ミミmamaさん

わがファミリーには未知の島、バリ島
papaは『南国で海に潜らないで何するの?』と・・・・・

とりあえず目的はダイビングと言うことで説得
決めちゃいましたー
ショッピングにスパ。。。ガイドブック見て母娘はニンマリ(=´m`)クスクス♪



お世話になったダイビングショップ
イエロースクーバ http://www.yellowscuba.com/
担当:さおりさん

  • 1本目 パダンバイ ブルーラグーン<br /><br />潮が流れてコンディション最悪<br />ボートも流されたらしい。。。<br />酔い止め飲んでて良かった〜<br /><br />ここのガーデンイールは中々引っ込まない(笑)

    1本目 パダンバイ ブルーラグーン

    潮が流れてコンディション最悪
    ボートも流されたらしい。。。
    酔い止め飲んでて良かった〜

    ここのガーデンイールは中々引っ込まない(笑)

  • クマノミ発見♪

    クマノミ発見♪

  • キョトンとこちらを見てる〜<br />可愛い〜〜^^

    キョトンとこちらを見てる〜
    可愛い〜〜^^

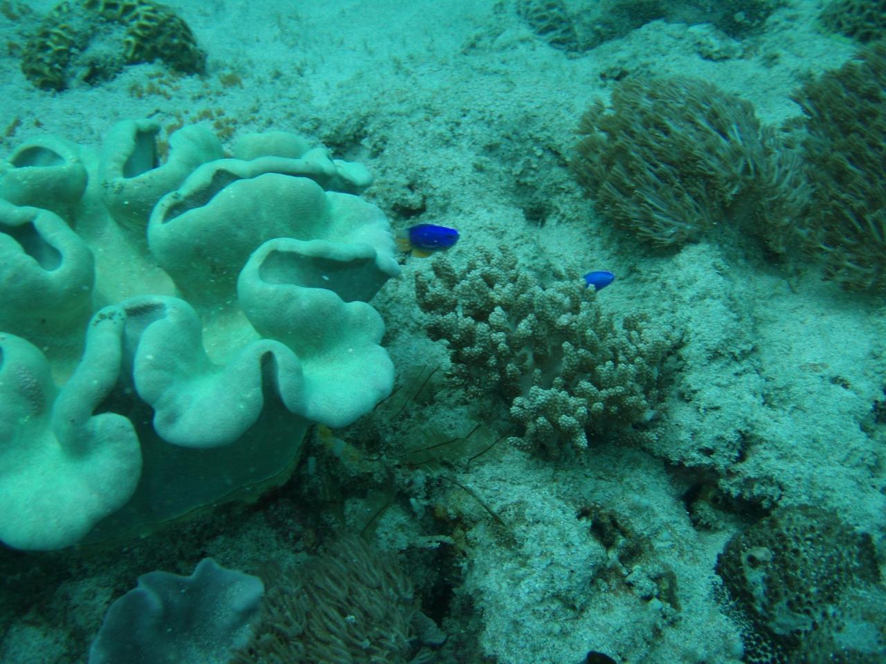
  • 青い小さな魚がいっぱいで綺麗<br /><br />珊瑚も綺麗

    青い小さな魚がいっぱいで綺麗

    珊瑚も綺麗

  • とてもカメラを持つ余裕のないあたし(笑)<br />撮影はすべてpapa

    とてもカメラを持つ余裕のないあたし(笑)
    撮影はすべてpapa

  • 珊瑚礁〜流れる流れる〜

    珊瑚礁〜流れる流れる〜

  • ブラックガーデンイール(?)<br /><br />太いー

    ブラックガーデンイール(?)

    太いー

  • 陸は静かなのに。。。。。(泣)

    陸は静かなのに。。。。。(泣)

  • 2本目 同じポイントに挑戦♪<br /><br />今度は打って変わって穏やかでしたー

    2本目 同じポイントに挑戦♪

    今度は打って変わって穏やかでしたー

  • のんびり〜

    のんびり〜

  • 下のほうにクマノミbaby<br /><br />明るさが足りない〜(悔)

    下のほうにクマノミbaby

    明るさが足りない〜(悔)

  • 可愛いなぁ・・・<br />ずっと見てても飽きないね<br /><br />是非クリックして拡大してみてください<br />BABYもいます〜(o^-^o) ウフッ

    可愛いなぁ・・・
    ずっと見てても飽きないね

    是非クリックして拡大してみてください
    BABYもいます〜(o^-^o) ウフッ

  • 透明度悪い。。。

    透明度悪い。。。

  • 群れ〜

    群れ〜

  • 珊瑚大事にしなきゃ〜<br />中性浮力が難しくて、近づきすぎて当ったかも。。。(汗)

    珊瑚大事にしなきゃ〜
    中性浮力が難しくて、近づきすぎて当ったかも。。。(汗)

  • ポーズとってくれればいいのにねぇ<br />仕方なく上からパチリ♪

    ポーズとってくれればいいのにねぇ
    仕方なく上からパチリ♪

  • ミツボシクロスズメダイ〜<br />小さくて可愛い〜〜〜!

    ミツボシクロスズメダイ〜
    小さくて可愛い〜〜〜!

  • 真ん中にコブシメ(イカ)がいます<br />30cm〜40cmくらい?

    真ん中にコブシメ(イカ)がいます
    30cm〜40cmくらい?

  • 穏やかな2日目 トランベン

    穏やかな2日目 トランベン

  • 2日目 1本目<br />下は泥地だけど小さい青い魚がいっぱい

    2日目 1本目
    下は泥地だけど小さい青い魚がいっぱい

  • ちょっとボケてます(汗)

    ちょっとボケてます(汗)

  • 横から写真に入るなんて・・・

    横から写真に入るなんて・・・

  • 沈船です

    沈船です

  • ちょっと上のほうを見上げたら〜<br />ナポレオン?

    ちょっと上のほうを見上げたら〜
    ナポレオン?

  • 魚いっぱい

    魚いっぱい

  • 忍者みたいな。。。。顔<br />魚辞典見なきゃー

    忍者みたいな。。。。顔
    魚辞典見なきゃー

  • またーーー横からヤラレマシタ( ̄m ̄〃)ぷぷっ!

    またーーー横からヤラレマシタ( ̄m ̄〃)ぷぷっ!

  • 船に綺麗に珊瑚が生えてます^^

    船に綺麗に珊瑚が生えてます^^

  • グルメ編にはちょっと。。。。と載せなかったお砂糖瓶<br /><br />普通に蟻がはいってました(笑)<br />インストラクターさおりさん曰く<br />『蛋白源よ』って〜!

    グルメ編にはちょっと。。。。と載せなかったお砂糖瓶

    普通に蟻がはいってました(笑)
    インストラクターさおりさん曰く
    『蛋白源よ』って〜!

  • トランベン駐車場

    トランベン駐車場

  • 2本目 ちょっとうねりが出て波があったー!

    2本目 ちょっとうねりが出て波があったー!

  • わぉ〜♪

    わぉ〜♪

  • やっぱ深い所はライトが無いと無理だね。。。。。<br />ハナビラクマノミ<br />

    やっぱ深い所はライトが無いと無理だね。。。。。
    ハナビラクマノミ

  • ピンクが綺麗だった〜

    ピンクが綺麗だった〜

  • ギンガメアジのトルネード発見♪<br />濁ってなければなぁ・・・

    ギンガメアジのトルネード発見♪
    濁ってなければなぁ・・・

  • トルネードを下から覗くのがいいらしい♪<br />やってみたいーーー!<br /><br />これでバリ島ダイビングおしまい♪^^<br />また来たいな

    トルネードを下から覗くのがいいらしい♪
    やってみたいーーー!

    これでバリ島ダイビングおしまい♪^^
    また来たいな

この旅行記のタグ

関連タグ

6いいね!

利用規約に違反している投稿は、報告する事ができます。 問題のある投稿を連絡する

この旅行記へのコメント (4)

開く

閉じる

  • fairyさん 2008/02/17 11:21:18
    ご無沙汰してます!
    ミミmamaさん、こんにちは、fairyです(*^^)
    ご無沙汰してしまってすみません〜〜。

    ギンガメも会えて、楽しそうですね〜〜、バリの海!
    透明度がイマイチなのは残念ですが、魚影のためには仕方ないのかな。

    やっぱり家族でダイビングできるってうらやましいなぁ〜〜。
    家は父がカードとろうかな、なんて言い出して、私は猛烈プッシュ中です(笑)
    父が取ったら家族のほかのメンバーも。。。なんてこともありえそうで、ひそかに楽しみにしているのですが。

    中世浮力、ジュリままさんがおっしゃるように慣れですね。
    アドバンスでは中世浮力が必須になってるので、受けるとコツが分かるかもしれないですね^^
    私はアドバンスの講習でなんとなくコツを掴みました。
    その当時は全然コンスタントに潜ってなかったので、やっぱ忘れてしまいましたが、取り方を教えてもらってた分、復活も楽だったのかな、と思ってます^^

    ミミmama

    ミミmamaさん からの返信 2008/02/26 22:54:56
    こちらこそ^^
    ご無沙汰してます○┓ペコ
    ほんと、自分が旅行行かないと開かない(汗)

    中性浮力、本数こなさなくちゃ、ですねー中々。。。w

    お父様、その気なんですねー!
    うちが講習を受けたサイパンのショップで、
    ダイビング暦10年て言う女性がいらっしゃるそうですが
    70代だそうですよ
    いつも一人でサイパンへ来て潜っていくらしいです(驚)

    ファミリーダイビング、楽しいです^^
    海の中、いつもおしゃべりしてます♪
  • ジュリままさん 2008/01/01 13:35:00
    あけおめ!
    ミミmamaさん、ご無沙汰です。
    今年もよろしくお願いします。

    バリ行かれたんですね・・・
    魚影が濃いのに透明度が悪いとこがガンですよね。
    半年前を思い出しつつ1票です。

    数をこなせば中性浮力もコントロールできるようになりますよ。
    間空けずに潜ることです!
    がんばりましょー!(w


    ジュリまま

    ミミmama

    ミミmamaさん からの返信 2008/01/03 16:59:17
    RE: あけおめ!
    あけおめです〜(o^-^o) ウフッ
    そうですよねー透明度がよければもっと・・・なんて
    中性浮力が苦手だから綺麗な写真ムリなんですけど多少は。。。ね^^;

    1票ありがとうございました○┓ペコ
    嬉しいです!
    今年もよろしくお願いします^^

ミミmamaさんのトラベラーページ

コメントを投稿する前に

十分に確認の上、ご投稿ください。 コメントの内容は攻撃的ではなく、相手の気持ちに寄り添ったものになっていますか?

サイト共通ガイドライン(利用上のお願い)

報道機関・マスメディアの方へ 画像提供などに関するお問い合わせは、専用のお問い合わせフォームからお願いいたします。

旅の計画・記録

マイルに交換できるフォートラベルポイントが貯まる
フォートラベルポイントって?

インドネシアで使うWi-Fiはレンタルしましたか?

フォートラベル GLOBAL WiFiなら
インドネシア最安 294円/日~

  • 空港で受取・返却可能
  • お得なポイントがたまる

インドネシアの料金プランを見る

フォートラベル公式LINE@

おすすめの旅行記や旬な旅行情報、お得なキャンペーン情報をお届けします!
QRコードが読み取れない場合はID「@4travel」で検索してください。

\その他の公式SNSはこちら/

タグから海外旅行記(ブログ)を探す

PAGE TOP