1. ホーム
  2. 海外旅行
  3. アジア
  4. インドネシア
  5. ジャカルタ
  6. ジャカルタ 観光
  7. サウザンド諸島
  8. クチコミ詳細
ジャカルタ×
旅行ガイド
観光
グルメ
ショッピング
交通
ホテル
ツアー
旅行記
Q&A
サウザンド諸島 施設情報・クチコミに戻る

プロウスリブの海

  • 4.0
  • 旅行時期:1989/05(約37年前)
shさん

by shさん(男性)

ジャカルタ クチコミ:1件

JALリゾート時代に行きました。
ジャカルタから船で1時間程度だったと思います。
GW明けに行ったせいか、とても空いていました。

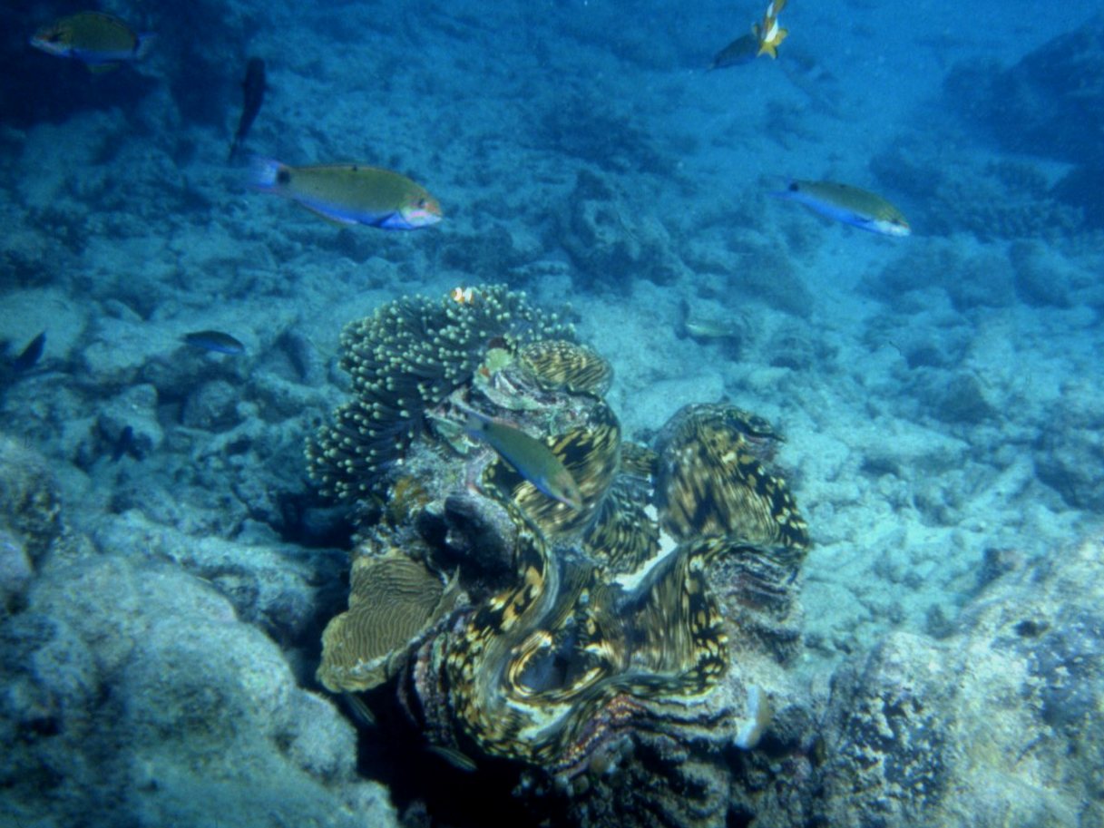
潜ったのは、ティムール島、スバル島、バラット島、パパラオ(沈船)

珊瑚が綺麗で魚影も濃いです。
透明度はそこそこです。

ダイビングスタイルは、船外機を乗せた小型ボートでポイントへ。
アンカー後ガイドとともにダイビング。
ガイドが船長を兼ねているので、船に誰も残りません。
流れは穏やかで水深も最も深いところでも 20m 程度でした。

リゾートにはモーターボートもあり、トローリングもできます。

施設の満足度

4.0

利用した際の同行者:
カップル・夫婦
アクセス:
3.0
アクティビティ:
4.0
人混みの少なさ:
5.0
GW明けだったので空いていました。

クチコミ投稿日:2015/12/09

いいね!:1

利用規約に違反している投稿は、報告することができます。 問題のある投稿を連絡する

インドネシアで使うWi-Fiはレンタルしましたか?

海外Wi-Fiレンタル

フォートラベル GLOBAL WiFiなら
インドネシア最安 294円/日~

  • 空港で受取・返却可能
  • お得なポイントがたまる

PAGE TOP