1. ホーム
  2. 国内旅行
  3. 沖縄県
  4. 慶良間諸島
  5. 慶良間諸島 観光
  6. 阿真ビーチ
  7. クチコミ詳細
慶良間諸島×
旅行ガイド
観光
グルメ
ショッピング
交通
ホテル
旅行記
Q&A

阿真ビーチ

ビーチ

阿真ビーチ 施設情報・クチコミに戻る

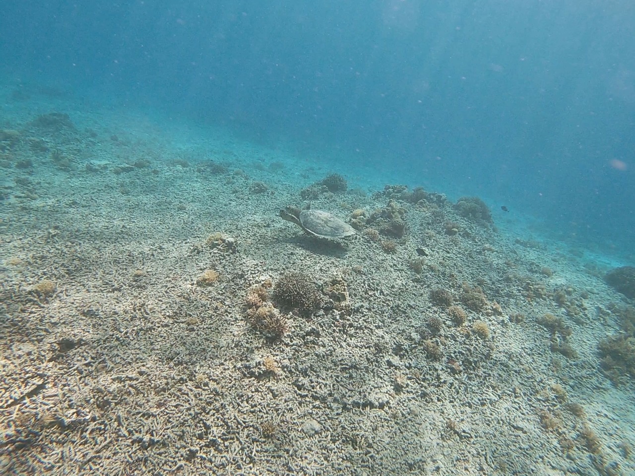
ウミガメに会えたよ!

  • 3.5
  • 旅行時期:2021/01(約5年前)
milk1919さん

by milk1919さん(男性)

慶良間諸島 クチコミ:18件

慶良間諸島・座間味島滞在中に阿真ビーチでシュノーケリング。一月初旬とあってウエットスーツを着ていざ海へ。少し珊瑚は死んでいましたが元気な珊瑚も見ることができました。そしてウミガメにも遭遇できました。冬場のビーチは人影はほとんど有りませんがその分、海の中は綺麗でした。

施設の満足度

3.5

クチコミ投稿日:2021/01/14

いいね!:0

利用規約に違反している投稿は、報告することができます。 問題のある投稿を連絡する

PAGE TOP