北マーレ環礁旅行記(ブログ) 一覧に戻る
今迄モルディブで海中で物凄くガッカリと言う経験は有りません。タヒチで相当な費用を要しましたが、ハウスリーフはガッカリでした・・・タヒチも有名な島ではなく、ダイバーやシュノーケラーが集うと言う場所(ランギロア島)に水上コテージを取ったのですが、ハウスリーフは死んだ珊瑚の中で熱帯魚達は殆ど居ませんでした。ホテルから、アクチビティーという事で、サメを見に行くツアーの元で、小型ザメや肉食サメ、その餌に集う熱帯魚をボートで見に行くツアー参加でした。<br /><br />リゾートホテルの島から、そのまま砂浜から熱帯魚を見るのは、モルディブだと今回7回目も見に行った次第でした。<br />今回の、リゾートはホテルは簡素でしたが、ハウスリーフは一番最高でした!!!<br /><br />珊瑚もかなり保護されていますし、ビーチからサンゴ礁まで20m、その先はドロップオフと言う30m以上の深さの海でした。ドロップオフも、波が穏やかな日がまぁまぁ多く、流される事無く、ドロップオフ近海を泳ぐ事は出来ました☆<br /><br />モルディブ空港島から今回のリゾートはスピーボートで50分位・・・モルディブを色々知っていなかった私達夫婦は、空港島から遠い方がハウスリーフは良いと思い込んで、国内線でモルディブの赤道直下ロビンソンリゾートまで過去に出かけましたが、今回はスピードボートだけでこれだけ保護されたサンゴ礁と、海中を見る事が出来ました。<br /><br />本来なら、ダイビングでモルディブの海を見てみたいと思いますが、夫が鼻と耳の具合があまり良くなく、彼にとってはダイビングは苦痛のようで、(以前体験ダイビングの体験をした際、夫はギブアップしました)私がダイビングができるようになるのは夫が定年退職し、彼が好きな事が出来る様になるまでは、私も自分だけダイビング資格を取る事は失礼だと思ったからです。(ダイビング資格を取れれば、当然海に何度も潜りたくなるでしょうから)<br /><br />今回はシュノーケルだけです。私の海中写真の腕がイマイチなので、他の方のように、きれ~~~~い♪と言うほど、修正したものの写ってなかったので、今回の海の良さが何処まで伝わるか解りませんが、今でも夢にまで見る、魚たちの群れ、龍宮場のような魚の群れ、と綺麗だった夕日をお届け致します。<br /><br />水族館ではない、本当の海中の中、熱帯魚が集まる風景(海中での注意事項に魚に餌は与えては行かないと書かれていましたので、、なんで、これだけ熱帯魚が集まるのかは不思議でしたが(実は近くに大陸の煩い国の方がいらしていたので餌が蒔かれかもしれません←これは、あくまで推測です)は圧巻でした!!<br /><br />今更ですが、7回目にして、空港で日本語で書かれたモルディブの熱帯魚図鑑を買って来ました。<br />少しは名前が描けるかもしれません。<br /><br />実は、帰国した後ですが、原因の解らない、肋骨骨折に成りました。<br />右脇下の肋骨なので、右手でパソコンを打つのが辛いです。(食事を作る事、掃除をする事、家事さえ何も出来なくなりました)痛み止めを飲んで、痛くない時に早めに夕飯の野菜など切る作業をしています。<br /><br />原因不明の肋骨骨折ですが、痛くならない程度に、この旅行記は進めます。<br />有り難い私の旅行記を待っていて下さる方々、本当に感謝です。<br /><br />本当は12月は香港マカオに、クリスマスイルミネーション見に行く約束を友人としていましたが、悲しいかな断りました。<br />全治1ヶ月と言われた骨折ですが、スーツケースを抱えて歩ける?と友人に言われ、ちょっと不安に成りました。<br />彼女に迷惑を掛ける訳にも行かないので、泣く泣く断りました。香港やマカオは逃げないからと言われましたが、右わきの下の肋骨骨折は、理由がわからないまま、今の私を苦しめて居ます。正直痛いです・・・(号泣)<br /><br />たいした旅行記も書けませんが、海中編、良かったらご覧下さい。<br /><br />寒さが日増しに強くなります。風邪も流行って、夫は帰国前日に風邪に掛かり、未だに腹筋が痛くなる程の咳をしています。既に帰国2週間を過ぎても、吐きそうなほどの咳をしています。<br /><br />私は原因不明の肋骨骨折・・・人生突然何があるか解りません。皆様、お身体気を付けられる分は気をつけて、年末をお過ごし下さい。<br /><br />海中編の後は帰国編が書ければと思います。お時間が有れば、ちらっと覗いて下さると幸いです。<br />いつも、ありがとうございます♪<br />ではまた~~~☆

素晴らしいハウスリーフでした☆モルディブ7回目のリゾート~海中編

154いいね!

2016/10/22 - 2016/10/29

15位(同エリア821件中)

15

140

夏子の探検

夏子の探検さん

今迄モルディブで海中で物凄くガッカリと言う経験は有りません。タヒチで相当な費用を要しましたが、ハウスリーフはガッカリでした・・・タヒチも有名な島ではなく、ダイバーやシュノーケラーが集うと言う場所(ランギロア島)に水上コテージを取ったのですが、ハウスリーフは死んだ珊瑚の中で熱帯魚達は殆ど居ませんでした。ホテルから、アクチビティーという事で、サメを見に行くツアーの元で、小型ザメや肉食サメ、その餌に集う熱帯魚をボートで見に行くツアー参加でした。

リゾートホテルの島から、そのまま砂浜から熱帯魚を見るのは、モルディブだと今回7回目も見に行った次第でした。
今回の、リゾートはホテルは簡素でしたが、ハウスリーフは一番最高でした!!!

珊瑚もかなり保護されていますし、ビーチからサンゴ礁まで20m、その先はドロップオフと言う30m以上の深さの海でした。ドロップオフも、波が穏やかな日がまぁまぁ多く、流される事無く、ドロップオフ近海を泳ぐ事は出来ました☆

モルディブ空港島から今回のリゾートはスピーボートで50分位・・・モルディブを色々知っていなかった私達夫婦は、空港島から遠い方がハウスリーフは良いと思い込んで、国内線でモルディブの赤道直下ロビンソンリゾートまで過去に出かけましたが、今回はスピードボートだけでこれだけ保護されたサンゴ礁と、海中を見る事が出来ました。

本来なら、ダイビングでモルディブの海を見てみたいと思いますが、夫が鼻と耳の具合があまり良くなく、彼にとってはダイビングは苦痛のようで、(以前体験ダイビングの体験をした際、夫はギブアップしました)私がダイビングができるようになるのは夫が定年退職し、彼が好きな事が出来る様になるまでは、私も自分だけダイビング資格を取る事は失礼だと思ったからです。(ダイビング資格を取れれば、当然海に何度も潜りたくなるでしょうから)

今回はシュノーケルだけです。私の海中写真の腕がイマイチなので、他の方のように、きれ~~~~い♪と言うほど、修正したものの写ってなかったので、今回の海の良さが何処まで伝わるか解りませんが、今でも夢にまで見る、魚たちの群れ、龍宮場のような魚の群れ、と綺麗だった夕日をお届け致します。

水族館ではない、本当の海中の中、熱帯魚が集まる風景(海中での注意事項に魚に餌は与えては行かないと書かれていましたので、、なんで、これだけ熱帯魚が集まるのかは不思議でしたが(実は近くに大陸の煩い国の方がいらしていたので餌が蒔かれかもしれません←これは、あくまで推測です)は圧巻でした!!

今更ですが、7回目にして、空港で日本語で書かれたモルディブの熱帯魚図鑑を買って来ました。
少しは名前が描けるかもしれません。

実は、帰国した後ですが、原因の解らない、肋骨骨折に成りました。
右脇下の肋骨なので、右手でパソコンを打つのが辛いです。(食事を作る事、掃除をする事、家事さえ何も出来なくなりました)痛み止めを飲んで、痛くない時に早めに夕飯の野菜など切る作業をしています。

原因不明の肋骨骨折ですが、痛くならない程度に、この旅行記は進めます。
有り難い私の旅行記を待っていて下さる方々、本当に感謝です。

本当は12月は香港マカオに、クリスマスイルミネーション見に行く約束を友人としていましたが、悲しいかな断りました。
全治1ヶ月と言われた骨折ですが、スーツケースを抱えて歩ける?と友人に言われ、ちょっと不安に成りました。
彼女に迷惑を掛ける訳にも行かないので、泣く泣く断りました。香港やマカオは逃げないからと言われましたが、右わきの下の肋骨骨折は、理由がわからないまま、今の私を苦しめて居ます。正直痛いです・・・(号泣)

たいした旅行記も書けませんが、海中編、良かったらご覧下さい。

寒さが日増しに強くなります。風邪も流行って、夫は帰国前日に風邪に掛かり、未だに腹筋が痛くなる程の咳をしています。既に帰国2週間を過ぎても、吐きそうなほどの咳をしています。

私は原因不明の肋骨骨折・・・人生突然何があるか解りません。皆様、お身体気を付けられる分は気をつけて、年末をお過ごし下さい。

海中編の後は帰国編が書ければと思います。お時間が有れば、ちらっと覗いて下さると幸いです。
いつも、ありがとうございます♪
ではまた~~~☆

旅行の満足度
5.0
同行者
カップル・夫婦
交通手段
旅行の手配内容
個別手配
  • アオバスズメダイ

    アオバスズメダイ

  • デパスズメダイの集まり

    デパスズメダイの集まり

  • デパスズメダイとミスジュリキスズメダイ

    デパスズメダイとミスジュリキスズメダイ

  • ビーチから海にチャポンと入っただけで熱帯魚たちが・・・

    ビーチから海にチャポンと入っただけで熱帯魚たちが・・・

  • 何種類か居ますね。

    何種類か居ますね。

  • セスナジベラ

    セスナジベラ

  • 手前がサザナミトカワハギ

    手前がサザナミトカワハギ

  • 小さいのですが透明のような水色をしています。

    小さいのですが透明のような水色をしています。

  • 沢山居るでしょ?でもこんな物ではないのです!

    沢山居るでしょ?でもこんな物ではないのです!

  • パウダーブルーサージョンフィッシュ

    パウダーブルーサージョンフィッシュ

  • セナスジベラ

    セナスジベラ

  • ビーチ際から10mも歩くとサンゴだらけに・・・

    ビーチ際から10mも歩くとサンゴだらけに・・・

  • クロモンツキとオギチョウチョウウオ

    クロモンツキとオギチョウチョウウオ

  • パウダーブルーサージョンフィッシュとクラカオスズメダイ

    パウダーブルーサージョンフィッシュとクラカオスズメダイ

  • スジブチススメダイ

    スジブチススメダイ

  • パウダーブルーサージョンフィッシュ

    パウダーブルーサージョンフィッシュ

  • アオバスズメダイとその他

    アオバスズメダイとその他

  • サザナミハギ

    サザナミハギ

  • サザナミハギ

    サザナミハギ

  • サンゴ礁に魚が後ろ向き

    サンゴ礁に魚が後ろ向き

  • 何匹か居るのですが解り辛いですね。

    何匹か居るのですが解り辛いですね。

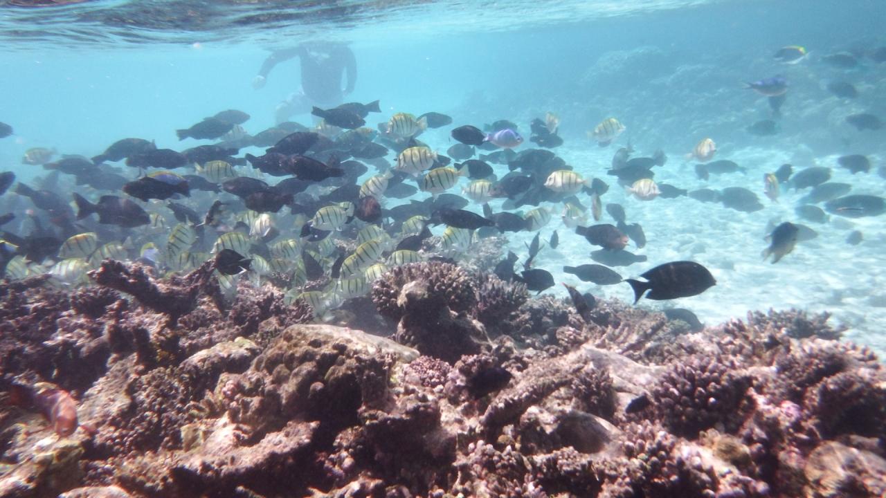
  • 突然この魚の大群に・・・

    突然この魚の大群に・・・

  • 結構浅い所でした。

    結構浅い所でした。

  • 何でこれだけ集まってるのか意味不明

    何でこれだけ集まってるのか意味不明

  • 入り乱れていてどの魚が中心か・・・

    入り乱れていてどの魚が中心か・・・

  • 赤いのがコクテンサザナミハギ

    赤いのがコクテンサザナミハギ

  • 青いのがダブルハンドサージョンフィッシュかな?

    青いのがダブルハンドサージョンフィッシュかな?

  • 黒い魚の近くにシマハギも沢山来ています。

    黒い魚の近くにシマハギも沢山来ています。

  • これだけの魚の大群は豪勢でしょ?

    これだけの魚の大群は豪勢でしょ?

  • シマハギその他

    シマハギその他

  • モルディブの魚ガイドと言う本を買ってきたけど、解り辛いです。

    モルディブの魚ガイドと言う本を買ってきたけど、解り辛いです。

  • 写真の上の方は既に海上です。

    写真の上の方は既に海上です。

  • どうしてこれだけ集まるのかが不思議ですが、時々このような現象に遭遇します。

    どうしてこれだけ集まるのかが不思議ですが、時々このような現象に遭遇します。

  • 黒いのはスジブチススメダイかな~?

    黒いのはスジブチススメダイかな~?

  • 黒いのはクロモンツキみたいにも見えます。

    黒いのはクロモンツキみたいにも見えます。

  • シマハギとパウダーブルーサージョンフィッシュはどこでもお目にかかれます。

    シマハギとパウダーブルーサージョンフィッシュはどこでもお目にかかれます。

  • 魚の乱舞

    魚の乱舞

  • これだけ肴の集中した場所は初めてでした。

    これだけ肴の集中した場所は初めてでした。

  • 魚の乱舞

    魚の乱舞

  • 魚の乱舞

    魚の乱舞

  • 一度にこれだけ揃うと、真ん中に居るのが怖くなります。

    一度にこれだけ揃うと、真ん中に居るのが怖くなります。

  • 綺麗ですけどね。

    綺麗ですけどね。

  • このビーチの海中は凄いでしょ?

    このビーチの海中は凄いでしょ?

  • 魚の乱舞

    魚の乱舞

  • シマハギは元気です。

    シマハギは元気です。

  • 何処までも続く乱舞

    何処までも続く乱舞

  • 目が離せない・・・

    目が離せない・・・

  • いかがでしょうか?

    いかがでしょうか?

  • ちょっと怖いのですが、竜宮城みたいです。

    ちょっと怖いのですが、竜宮城みたいです。

  • アメミブダイの後姿

    アメミブダイの後姿

  • アオブダイかな?

    アオブダイかな?

  • クマドリですね。

    クマドリですね。

  • タテシマフエフキ

    タテシマフエフキ

  • イチモンジブダイ?

    イチモンジブダイ?

  • また他の場所でも・・・

    また他の場所でも・・・

  • 魚の乱舞

    魚の乱舞

  • イソスズメダイ

    イソスズメダイ

  • イソスズメダイ光っていて綺麗です。

    イソスズメダイ光っていて綺麗です。

  • マダラハギ(タテシマフエフキか?)のようだが、目が出ています!

    マダラハギ(タテシマフエフキか?)のようだが、目が出ています!

  • 向こうに見えるのは夫

    向こうに見えるのは夫

  • また乱舞を見つけたぞ~!と言う感じ

    また乱舞を見つけたぞ~!と言う感じ

  • 近づいてみようかな?

    近づいてみようかな?

  • 何のために集まるのだろう?(このビーチでは魚の餌つけ禁止)

    何のために集まるのだろう?(このビーチでは魚の餌つけ禁止)

  • 沢山の魚たち

    沢山の魚たち

  • 写真撮るの今のうちだぞ~!と夫が叫ぶ

    写真撮るの今のうちだぞ~!と夫が叫ぶ

  • もう撮ってるよ!

    もう撮ってるよ!

  • 赤い魚は少ないので目立ちます。

    赤い魚は少ないので目立ちます。

  • シマハギはいつも群れているようです。

    シマハギはいつも群れているようです。

  • 魚の乱舞

    魚の乱舞

  • パウダーブルーサージョンフィッシュはモルディブでは一般的なんだそうですが、綺麗ですよね!

    パウダーブルーサージョンフィッシュはモルディブでは一般的なんだそうですが、綺麗ですよね!

  • 魚の群れ

    魚の群れ

  • この奥が、ドロップオフになります。

    この奥が、ドロップオフになります。

  • その手前側で群れていました。

    その手前側で群れていました。

  • 先頭を行くのはアオノメハタ?

    先頭を行くのはアオノメハタ?

  • ノコギリハギも居るかな?

    ノコギリハギも居るかな?

  • シマハギが目立ちますね!

    シマハギが目立ちますね!

  • 色のグラデーションが綺麗です。

    色のグラデーションが綺麗です。

  • もっと奥にも・・・

    もっと奥にも・・・

  • 夫は半ズボンタイプで良いそうで・・・

    夫は半ズボンタイプで良いそうで・・・

  • 何処までこの集団続くのだろう?

    何処までこの集団続くのだろう?

  • ほぼ一箇所にまとまっていますよね?

    ほぼ一箇所にまとまっていますよね?

  • モルディブに来て初めてこんなの見ました☆

    モルディブに来て初めてこんなの見ました☆

  • この黒い魚群が正直名前を探せません・・・

    この黒い魚群が正直名前を探せません・・・

  • 少し散って来たかな?

    少し散って来たかな?

  • 未だ群れている場所も・・・

    未だ群れている場所も・・・

  • アミメブダイの鮮やかな緑も映えます。

    アミメブダイの鮮やかな緑も映えます。

  • 私は長袖長スパッツ手袋でサンゴ対策シュノーケルです。

    私は長袖長スパッツ手袋でサンゴ対策シュノーケルです。

  • うわ~~~!

    うわ~~~!

  • また此処も?!

    また此処も?!

  • 違う日なのですが、どうしてこのような現象なのか?

    違う日なのですが、どうしてこのような現象なのか?

  • 魚の乱舞

    魚の乱舞

  • この日は少し濁っている海水

    この日は少し濁っている海水

  • 色が良く出ていなくてすみません。

    色が良く出ていなくてすみません。

  • この日は海水温度も少し高めでした。

    この日は海水温度も少し高めでした。

  • パウダーブルーサージョンフィッシュも多いですね。

    パウダーブルーサージョンフィッシュも多いですね。

  • シマハギも多い

    シマハギも多い

  • 魚の乱舞

    魚の乱舞

  • 目が離せない世界です。

    目が離せない世界です。

  • 浅い所にも・・・

    浅い所にも・・・

  • 海水が波立っています。

    海水が波立っています。

  • 本当に浅い海でもこれだけ集まるのです。

    本当に浅い海でもこれだけ集まるのです。

  • もう飽きましたでしょうか?

    もう飽きましたでしょうか?

  • 実際海の中でこの光景に出会うとワクワクしますよ。

    実際海の中でこの光景に出会うとワクワクしますよ。

  • 魚の乱舞

    魚の乱舞

  • イチモンジブダイ

    イチモンジブダイ

  • オスジクロハギやインディアンオーシャンミミックサージョンフィッシュなども見えます。

    オスジクロハギやインディアンオーシャンミミックサージョンフィッシュなども見えます。

  • アメミブダイやイチモンジブダイも入っているようです。

    アメミブダイやイチモンジブダイも入っているようです。

  • 光が差し込むと海中も綺麗!!

    光が差し込むと海中も綺麗!!

  • ドロップオフに入りましたが・・・

    ドロップオフに入りましたが・・・

  • 魚は居るのですが、先程のように大量の魚の群れは見えません・・・

    魚は居るのですが、先程のように大量の魚の群れは見えません・・・

  • まとまっている魚も居るようですが・・・

    まとまっている魚も居るようですが・・・

  • 深いのでと言うか、水質が濁っていますね。

    深いのでと言うか、水質が濁っていますね。

  • カメには遭えませんでした(泣き)

    カメには遭えませんでした(泣き)

  • ドロップオフとサンゴの境目

    ドロップオフとサンゴの境目

  • サンゴは生き生きとしています。

    サンゴは生き生きとしています。

  • 少し大きめの魚達が並んで泳いでいます。

    少し大きめの魚達が並んで泳いでいます。

  • ドロップオフから戻ってくると、また同じ場所に魚の群れが・・・

    ドロップオフから戻ってくると、また同じ場所に魚の群れが・・・

  • 魚の乱舞

    魚の乱舞

  • カマスサワラかな?

    カマスサワラかな?

  • 実は海中写真を500枚近く撮っていました。<br />素人写真でも枚数撮れば少しはマトモな物も・・・と期待したのですが、<br />見え辛い写真でごめんなさい。

    実は海中写真を500枚近く撮っていました。
    素人写真でも枚数撮れば少しはマトモな物も・・・と期待したのですが、
    見え辛い写真でごめんなさい。

  • 晴れていると海の色が違います!

    晴れていると海の色が違います!

  • これがモルディブです。

    これがモルディブです。

  • 海と空の間に1本の水平線

    海と空の間に1本の水平線

  • 私達が見た中で一番綺麗だった夕日

    私達が見た中で一番綺麗だった夕日

  • ビーチバーから見た夕日です。

    ビーチバーから見た夕日です。

  • 綺麗な空の色ですね。

    綺麗な空の色ですね。

  • もうすぐ沈みそうです。

    もうすぐ沈みそうです。

  • 空の色がとても綺麗!

    空の色がとても綺麗!

  • この日も良く泳いだ1日でした。

    この日も良く泳いだ1日でした。

  • もう沈みます。

    もう沈みます。

  • サンセット

    サンセット

  • 沈んだ後も綺麗な空の色でした。

    沈んだ後も綺麗な空の色でした。

  • 真っ赤・・・

    真っ赤・・・

  • 夕闇が迫ってきました。

    夕闇が迫ってきました。

  • 翌朝も晴れでした。

    翌朝も晴れでした。

  • 本当に素朴なリゾートでしたが、海中はサイコ~でした。

    本当に素朴なリゾートでしたが、海中はサイコ~でした。

  • この海の色も見たくて7回も来ています。

    この海の色も見たくて7回も来ています。

  • 真っ白なビーチも広がります。

    真っ白なビーチも広がります。

  • 海中編は最初に写真を300枚も入れてしまったので、今回はこの辺で削除します。長くなってごめんなさい。<br /><br />また肋骨が治ったら、マトモそうな写真を再度公開するかもしれません。<br />最後までお付き合い下さり、ありがとうございました。

    海中編は最初に写真を300枚も入れてしまったので、今回はこの辺で削除します。長くなってごめんなさい。

    また肋骨が治ったら、マトモそうな写真を再度公開するかもしれません。
    最後までお付き合い下さり、ありがとうございました。

  • これに懲りずに、また寄って下さい。<br /><br />ありがとうございました☆

    これに懲りずに、また寄って下さい。

    ありがとうございました☆

この旅行記のタグ

154いいね!

利用規約に違反している投稿は、報告する事ができます。 問題のある投稿を連絡する

この旅行記へのコメント (15)

開く

閉じる

  • moromoro-tokioさん 2019/01/06 22:48:09
    素晴らしい文才ですね
    夏子さま
    はじめまして。
    モルディブの調査をしていた折、似たような魚の乱舞写真の繰り返しにもかかわらず、貴女の味のあるコメントに妻と腹を抱えて笑いました。
    今後とも笑いある旅行記を楽しみにしております。

    夏子の探検

    夏子の探検さん からの返信 2019/01/07 11:54:00
    Re: 拙い旅行記なので、お恥ずかしい・・・


    moromoro-tokioさま、ご投票、お気に入りなど頂きまして、ありがとうございます。本当に、海がお好きなんですね!

    moromoro-tokioさまの旅行記もお邪魔しました。
    私自身がお恥ずかしくなるような素敵な海中写真、素晴らしいと思います。
    私もセブ、マクタン島にも行きましたが、ここでシュノーケルを頼まなかったので、(ジンベイ見ただけです)お魚のトルネード!!最高ですね☆

    奄美大島には行きましたが、海に入れる時期ではなく、厚地のスエット着て、海がめだけは見ましたが、夏に行くと最高ですね♪
    与論は憧れていながら、未だ未踏で・・・やはり素敵な海ですね!

    こんな私の拙い旅行記でも、ご覧頂きまして、ありがとうございます。
    モルディブは、私の海中写真の腕が悪くて、お恥ずかしいのですが、海は世界一(としか私は知らないからかもですが)だと思っています。
    是非機会が有れば、行かれて下さいね☆
                         夏子

    moromoro-tokio

    moromoro-tokioさん からの返信 2019/01/07 21:53:38
    Re: 素晴らしい文才ですね
    夏子さま
    ご丁寧な返信に恐縮です。
    実は年末にモルディブに行くのですが、貴女の旅行記を見て、ますます行きたくなりました。ありがとうございます。

    私どもも団体行動が苦手です。普段は時間や他人に縛られているため、ノルマをこなすような旅は、避けていますので、夏子さんのご夫婦と似てるかもしれませんね笑。

    余談ですが、デジカメはオリンパスのタフシリーズに、明るい魚眼レンズを付けて、フラッシュを強制発光させています。水中に入ったら、レンズを一旦外して、気泡を拭いて取り除いてから写すのがコツですヨ。

    引き続きどうぞよろしくお願いいたします。

    夏子の探検

    夏子の探検さん からの返信 2019/01/07 22:13:07
    Re: モルディブ行かれるのですね☆素晴らしい☆
    moromoro-tokioさま、色々私の拙い旅記録をご覧頂き、心から感謝でございます。ありがとうございます!!

    団体行動が苦手なのは夫なのですが・・・(笑)

    素晴らしいカメラのようですね!私は写真が好きなくせに、センスが無いというか、技術もともなわ無く、20歳の頃お付き合いしていたプロカメラマンさんが居たのですが、当時は売れなくて、でも私が本気でお付き合いした方でしたが、親の反対に遭い、泣く泣く大卒後親元の東京へ・・・当時は携帯電話さえ無く、東京から仙台の彼の元に、¥10玉山のように集めて、駅前の公衆電話から彼に掛けていました。でも、時というのは、無残な物で・・・

    今彼は、少しだけ有名なカメラマンに成ったようですが、私のカメラのセンスは無い!と当時から言われていました(笑)

    でも、水中写真が好きで、そのうち必ず・・・って思っています。
    海中で、レンズを外して、気泡を拭いて撮影ですね!ありがとうございます!!

    モルディブは今年の冬?!今年の11~12月でしょうか?
    海水の綺麗なリゾートと、そうでないリゾートも有るようですので、お調べに成られてから、お出掛け下さいね♪

    お写真楽しみにしています☆ありがとうございます☆
                             夏子

  • ラクパグさん 2017/01/21 13:40:05
     初めまして ラクパグです

     いいね!をありがとうございます。

     色々な国 へ 行かれてるので 少しずつ 見させて

     いただきます。

     北 マーレ モルディヴ 夕陽 素敵ですね。

     お魚と一緒の 海 綺麗です。

     楽しいでしょうね。伝わってきます。

     これからもよろしく お願いします。

     フォローさせていただきました。

     ありがとうございます。 ラクパグ
     

    夏子の探検

    夏子の探検さん からの返信 2017/01/21 17:37:11
    RE:  初めまして ラクパグです
    ラクパグさん、こんにちわ。

    フォローと いいね!をありがとうございます。

    >
    >  色々な国 へ 行かれてるので 少しずつ 見させて
    >
    >  いただきます。
    >
    >  北 マーレ モルディヴ 夕陽 素敵ですね。
    >
    >  お魚と一緒の 海 綺麗です。
    >
    >  楽しいでしょうね。伝わってきます。

    ありがとうございます。
    >
    >  これからもよろしく お願いします。
    >
    私こそ、よろしくお願い致します。
    寒い時期ですので、お互い身体に気をつけて、春を待ちたいですね!

                   夏子  
  • ryujiさん 2016/12/11 17:12:58
    考察する!、モルディブの魅力とは?????
     こんにちは、夏子の探検さん。

     タイトルの旅行記を拝見拝読させて頂きました。

     今回で7度目のモルディブ来訪とか、小生は思う、なぜ・なに故?モルディブか。 他人の事とは言え、疑問と興味(夏子さんを含め)を抱いた次第です。

     モルディブついて、何をどう思って話してよいか・・・・・うん、そうだ早速勉強した?「ハウスリーフ」でいこう。 物の例えですが、素晴らしい家を建てその周りに好みの豪華な庭園があったとする。 同様にホテルと美しい浅瀬の穏やかな海、そこにはサンゴ礁があり、色とりどりの泳ぐ魚がいる。 その環境の中で、シュノーケルでもってのサンゴ礁を眺めるもよし、魚と戯れる。 これかなぁ〜、小生には今ひとつしっくりと来ない感じで解らない。 だとすると、夏子さんは眩いばかりの真の探検家ですね。

     先にこんな事を言ってしまいましたが、やはり夏子の探検さん、貴女に聞くべきですね。 教えてください、モルディブの魅力とは!

     硬い話、柔らかい話、それと場違い(フォートラでの)コメントかもしれませんが、失礼を。 よろしくお願いします。
                         ryuji

    夏子の探検

    夏子の探検さん からの返信 2016/12/14 00:51:27
    RE: 考察する!、モルディブの魅力とは?????
    こんばんは、ryujiさん。
    >
    >  タイトルの旅行記を拝見拝読させて頂きました。

    ありがとうございます。
    >
    >  今回で7度目のモルディブ来訪とか、小生は思う、なぜ・なに故?モルディブか。 他人の事とは言え、疑問と興味(夏子さんを含め)を抱いた次第です。
    >
    >  モルディブついて、何をどう思って話してよいか・・・・・うん、そうだ早速勉強した?「ハウスリーフ」でいこう。 物の例えですが、素晴らしい家を建てその周りに好みの豪華な庭園があったとする。 同様にホテルと美しい浅瀬の穏やかな海、そこにはサンゴ礁があり、色とりどりの泳ぐ魚がいる。 その環境の中で、シュノーケルでもってのサンゴ礁を眺めるもよし、魚と戯れる。 これかなぁ〜、小生には今ひとつしっくりと来ない感じで解らない。 だとすると、夏子さんは眩いばかりの真の探検家ですね。
    >
    >  先にこんな事を言ってしまいましたが、やはり夏子の探検さん、貴女に聞くべきですね。 教えてください、モルディブの魅力とは!

    ryujiさんの、仰るとおりです。
    モルディブには、「1島1リゾート」と言われ、島ごとに、ホテル(リゾート)が違います。島の周囲の、海域(ハウスリーフ)も違います。
    住んでいる熱帯魚も、多少違いますし、サンゴ礁の色、大きさ、種類も多種多様です。

    私が過去に行った基本海がリゾートと言われてる場所、
    ハワイ、グアム、サイパン、タヒチ、ニューカレドニア、セブ、マレーシアのリゾート(海)タイランドの海、バリ島、沖縄、宮古島、など何処に行っても、沢山の熱帯魚を見たければ、アイランドホッピングツアーと言って、どこかの港から船に乗せられ、沖合いの島か、魚の沢山居るであろう場所で、船からダイビング(シュノーケル)すると言う具合なのです。
    私は、それが面倒なのです。好きな時、好きな時間、好きなだけ、魚達と戯れることは出来ない、時間制限あり、他の人達と、一緒にシュノーケル・・・

    船の時間に合わせ・・・着替えも持って船に乗る・・・これしなくて良いのが、モルディブなのです。体調にあわせ、好きなだけ海の中でお魚観察できる!!これが幸せ!

    >  硬い話、柔らかい話、それと場違い(フォートラでの)コメントかもしれませんが、失礼を。 よろしくお願いします。

    夫は未だ現役のサラリーマンなので、美しい海と空と、空気の中で、のんびりしたい。
    それが、彼にとってのモルディブです。(好きな時にビールが飲めると言うのもよいようです)観光して、歩き回るだけの、休暇は嫌なんだそうです。特に団体行動は苦手。

    でも、来年5月には、夫の休暇はワシントン(出来ればニューヨークも)なんです。
    特典航空券を取りました。夫に取っては初めてのアメリカです。
    来年はモルディブの話は無いかもです・・・でも、魚達と戯れている事は、最高の癒しの時間なので、宮古島あたりに行くかもしれません。

    アメリカの大都会では、星は見えませんが、宮古あたりなら、星も綺麗だろうと・・・
    1年に1度くらいは、自然の中に身を置きたいですよね。

    と言うことで宜しいでしょうか?
    モルディブばかり行っている訳でも無いので、また、覗きに来て下さい。
    ありがとうございました☆
                     夏子
    >                      

    ryuji

    ryujiさん からの返信 2016/12/14 09:35:02
    RE: RE ありがとうございました
     こんにちは、夏子の探検さん。

     モルディブの魅力を懇切丁寧にお話し頂きありがとうございました。
    (一度は行ってみたい、でも夏子の探検さんと同じくらいの大きさの感激を得られるのは「ちょっと?到底かな」無理のようです)
                           ryuji    
    > >                     
  • なぽちんさん 2016/12/01 07:19:10
    エリヤドウ情報ありがとうございます☆
    夏子の探検さん

    こんにちは。なぽちんと申します。
    この度は、宮古島等への投票ありがとうございます(^O^)/

    さて、夏子さんは、エリアドウに行かれたのですね!!7回目のモルとか。

    偶然ですが、年末にエリヤドウなんです!!
    1999年の年末から2000年の年始にかけて、行ったことのあるリゾートですが、もちろん目当ては、「シュノーケル」!
    相変わらずの、お魚天国のようで、楽しみです☆

    とっても素朴なエリヤドウですから、その他は期待していませんけど・・・(笑)

    朝食付きでいきますが、レストランは1か所だけでしたっけ?
    昔は、3食付しかなかったので、どうなのかな??と。
    でも、呑兵衛夫婦で、食事はだんだん年のため、食べられなくなってきたので、量は少なくていいかな?と思い、朝食付きにしました。

    それにしても、骨折とは・・・・(;O;)お大事にしてくださいね。

    直近のエリヤドウ情報、本当にありがとうございました(^O^)/
    とっても楽しみになりました。

    他の旅行記も、楽しませていただきます。

    こんごともよろしくお願いします(*^。^*)

    なぽちん

    夏子の探検

    夏子の探検さん からの返信 2016/12/05 22:03:57
    RE: エリヤドウ情報ありがとうございます☆
    なぽちんさん、こんばんわ。
    お返事が遅くなり、ごめんなさい。

    年末にエリヤドゥに行かれるのですね♪良いですねぇ〜♪
    本当にビックリするほどの魚の多いサイコーのリゾートでした。

    レストランは1ヶ所だけです。全部ビュッフェだったと思います。(3食は飽きますよね)

    ただ、食事代が意外と高いと言う噂です。アルコールも・・・

    私達は値段と相談しながらの旅行は面倒だったので、オールインクルージブにしました。
    ただ、アルコールには不満でした。
    過去の6箇所のリゾートでは、カクテルも無料だったので、お金払うからカクテル作ってと言ったのに、駄目だと言われたのが不満でした。(どうしてかしら?)

    だから、お好きなアルコールが飲めるのはオールインクルージブじゃない方が良いと思います。どうか、素敵な海を楽しんで来て下さい。

    私もなぽちんの旅行記にもお邪魔しますね!
    これからも、宜しくおねがいします。
    ありがとうございました。        夏子
    >
    > こんにちは。なぽちんと申します。
    > この度は、宮古島等への投票ありがとうございます(^O^)/
    >
    > さて、夏子さんは、エリアドウに行かれたのですね!!7回目のモルとか。
    >
    > 偶然ですが、年末にエリヤドウなんです!!
    > 1999年の年末から2000年の年始にかけて、行ったことのあるリゾートですが、もちろん目当ては、「シュノーケル」!
    > 相変わらずの、お魚天国のようで、楽しみです☆
    >
    > とっても素朴なエリヤドウですから、その他は期待していませんけど・・・(笑)
    >
    > 朝食付きでいきますが、レストランは1か所だけでしたっけ?
    > 昔は、3食付しかなかったので、どうなのかな??と。
    > でも、呑兵衛夫婦で、食事はだんだん年のため、食べられなくなってきたので、量は少なくていいかな?と思い、朝食付きにしました。
    >
    > それにしても、骨折とは・・・・(;O;)お大事にしてくださいね。
    >
    > 直近のエリヤドウ情報、本当にありがとうございました(^O^)/
    > とっても楽しみになりました。
    >
    > 他の旅行記も、楽しませていただきます。
    >
    > こんごともよろしくお願いします(*^。^*)
    >
    >
  • クサポンさん 2016/11/18 09:30:04
    サンセット最高\(^o^)/
    夏子さん
    クサポンですです

    海が綺麗!
    サンセットも最高ですね。

    ダイビングは敷居が高くてできないけど、シュノーケリングなら出来るかも^ - ^

    モルディブはあこがれの場所
    陸上のホテルなら虫の危険があるのね。蚊に刺されたら腫れるのでそこは注意かなぁ

    今度はゆっくり旅行したいと思ってます(≧∇≦)

    夏子の探検

    夏子の探検さん からの返信 2016/11/24 23:36:45
    RE: サンセット最高?(^o^)/
    クサポンさん、こんばんわ。

    お返事が遅くなってごめんなさい。
    >
    > 海が綺麗!
    > サンセットも最高ですね。

    綺麗な海を見て下さりありがとうございます。
    >
    > ダイビングは敷居が高くてできないけど、シュノーケリングなら出来るかも^ - ^
    そうそう!いつか、シュノーケルしに、出かけて下さい。
    >
    コメントありがとうございました♪
                      夏子
  • trat baldさん 2016/11/18 07:30:13
    十分伝わって来ました!
    まずはお悔やみ、肋骨の疲労骨折は聞いた事が無いので大きく咳き込むかクシャミをすると折れる事が有りますが、、、、自然治癒が基本ですから時間が掛かるんですよね、特にヒビ折れはやっかいで痛みが長く続きます、大変でしたね。
    さて本題、珊瑚が生きていないと熱帯魚は集まって来ないから海がキレイな証拠ですね、でもこれほどの群舞は見た事が有りません。
    魚種が多いので産卵ではなさそうだからなんらかの理由で海面近くに植物プランクトンの大量発生が有ったのかしら?
    まさに怖いほどの群れ様ですね、魚名も判るしキレイに写っていますよぉ〜!
    Ps.同じ所を何回も訪れる事のメリットがいっぱい感じられます。

    夏子の探検

    夏子の探検さん からの返信 2016/11/24 23:33:04
    RE: 十分伝わって来ました!
    ご心配有り難うございます。
    連絡が遅くなってごめんなさい。

    ありがたいコメントもありがとうございます。
                     夏子

夏子の探検さんのトラベラーページ

コメントを投稿する前に

十分に確認の上、ご投稿ください。 コメントの内容は攻撃的ではなく、相手の気持ちに寄り添ったものになっていますか?

サイト共通ガイドライン(利用上のお願い)

報道機関・マスメディアの方へ 画像提供などに関するお問い合わせは、専用のお問い合わせフォームからお願いいたします。

旅の計画・記録

マイルに交換できるフォートラベルポイントが貯まる
フォートラベルポイントって?

モルディブで使うWi-Fiはレンタルしましたか?

フォートラベル GLOBAL WiFiなら
モルディブ最安 562円/日~

  • 空港で受取・返却可能
  • お得なポイントがたまる

モルディブの料金プランを見る

フォートラベル公式LINE@

おすすめの旅行記や旬な旅行情報、お得なキャンペーン情報をお届けします!
QRコードが読み取れない場合はID「@4travel」で検索してください。

\その他の公式SNSはこちら/

PAGE TOP