石垣島旅行記(ブログ) 一覧に戻る
約1年ぶりに八重山に行ってきました<br /><br />今回は<br /><br />初 日 石垣島へ移動<br />2日目 石垣島からダイビング<br />3日目 西表島でシーカヤック<br />4・5日目 西表島からダイビング<br />6日目 バラス島でシュノーケリング<br /><br />の海三昧の日々を送る予定でしたが、台風17号の接近により、変更を余儀なくされてしまいました<br /><br />結局3日目以降は全てキャンセル<br />西表島への渡航も断念となってしまいました<br /><br />

八重山の旅(1)~予定どおりのダイビング編~

37いいね!

2016/09/23 - 2016/09/27

1029位(同エリア5944件中)

旅行記グループ 2016夏・八重山

0

29

P-Kan

P-Kanさん

約1年ぶりに八重山に行ってきました

今回は

初 日 石垣島へ移動
2日目 石垣島からダイビング
3日目 西表島でシーカヤック
4・5日目 西表島からダイビング
6日目 バラス島でシュノーケリング

の海三昧の日々を送る予定でしたが、台風17号の接近により、変更を余儀なくされてしまいました

結局3日目以降は全てキャンセル
西表島への渡航も断念となってしまいました

旅行の満足度
5.0
  • 初日<br />石垣島へ向かってフライト中<br /><br />徳之島<br />

    初日
    石垣島へ向かってフライト中

    徳之島

  • 多良間島北の水納島

    多良間島北の水納島

  • 石垣島<br /><br />玉取崎展望台から見えるあたりの海

    石垣島

    玉取崎展望台から見えるあたりの海

  • 青い海と青い空と青い翼

    青い海と青い空と青い翼

  • 2日目<br />予定どおりにダイビング<br />この日は北より風が強く1・2本目は大崎の周辺で<br /><br />エントリー直後、キビナゴの群れに遭遇<br />

    2日目
    予定どおりにダイビング
    この日は北より風が強く1・2本目は大崎の周辺で

    エントリー直後、キビナゴの群れに遭遇

  • 一斉に動く瞬間、キラッと輝く魚体が美しかったです

    一斉に動く瞬間、キラッと輝く魚体が美しかったです

  • アカククリの群れ<br /><br />

    アカククリの群れ

  • ハタタテハゼを撮影中、近くにウツボを発見<br /><br />ちょっとビックリでした

    ハタタテハゼを撮影中、近くにウツボを発見

    ちょっとビックリでした

  • チンアナゴ

    チンアナゴ

  • カクレクマノミ<br /><br />イソギンチャクも白化していましたが、かえってキレイに見えてしまいました

    カクレクマノミ

    イソギンチャクも白化していましたが、かえってキレイに見えてしまいました

  • 海面近くに群れているロクセンスズメダイ<br />

    海面近くに群れているロクセンスズメダイ

  • 2本目<br /><br />エントリー直後から群れに取り囲まれます

    2本目

    エントリー直後から群れに取り囲まれます

  • スミレナガハナダイ<br /><br />と教えてもらいましたが・・・

    スミレナガハナダイ

    と教えてもらいましたが・・・

  • 何か違う気がする<br /><br />アカネハナゴイかな?

    何か違う気がする

    アカネハナゴイかな?

  • ハナゴイ

    ハナゴイ

  • ゴマモンガラ<br /><br />凶暴らしい

    ゴマモンガラ

    凶暴らしい

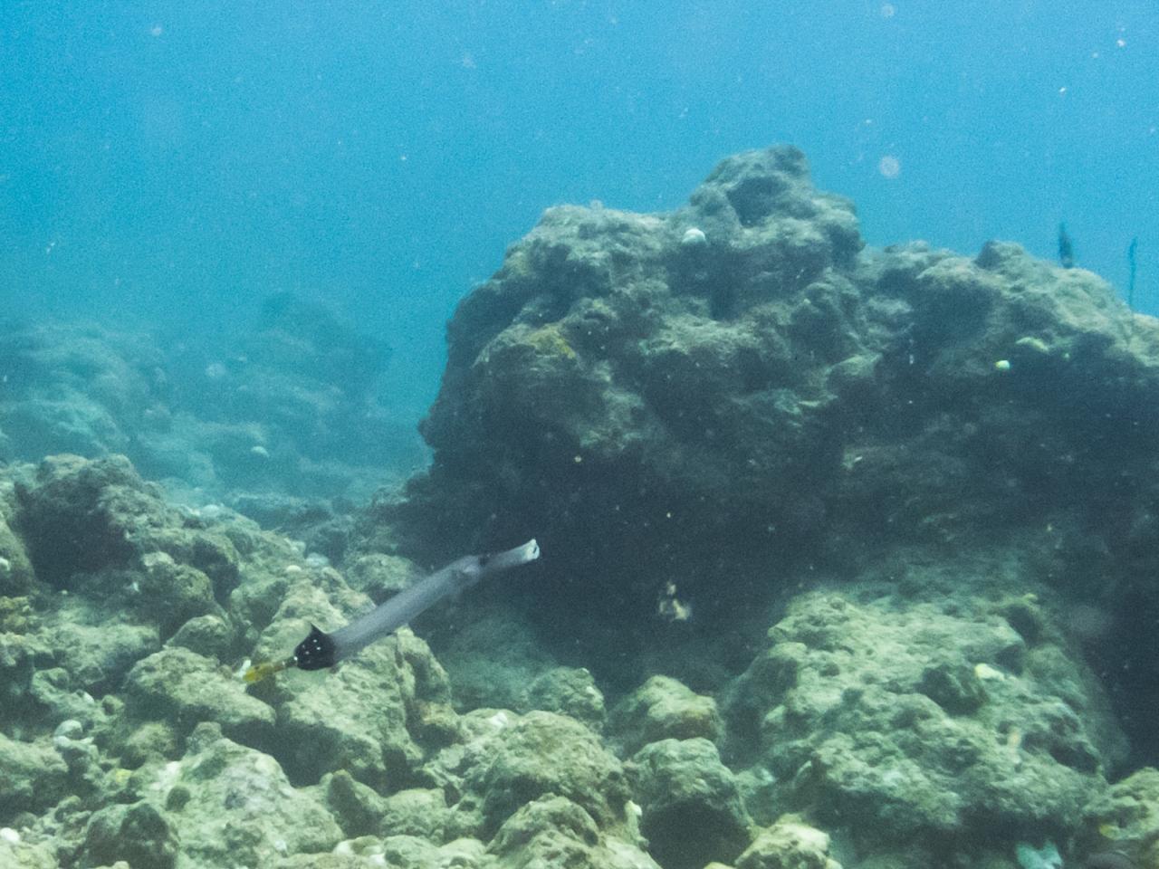
  • ヘラヤガラ

    ヘラヤガラ

  • アオヤガラの群れ

    アオヤガラの群れ

  • サンゴがモリモリの所

    サンゴがモリモリの所

  • しかし、かなりの白化状態でした

    しかし、かなりの白化状態でした

  • ハナクマノミが棲むイソギンチャクがキレイでした

    ハナクマノミが棲むイソギンチャクがキレイでした

  • 見上げると

    見上げると

  • キレイでした~

    キレイでした~

  • 3本目<br /><br />竹富島の南の方へ

    3本目

    竹富島の南の方へ

  • 岩場にサンゴが多くいましたが、大半が白化<br /><br />立て続けに台風が通過して、チョットは回復するのでは・・・<br />とのこと

    岩場にサンゴが多くいましたが、大半が白化

    立て続けに台風が通過して、チョットは回復するのでは・・・
    とのこと

  • 無残な状態

    無残な状態

  • 3本目は動画のみで、PCで画像キャプチャしたものです

    3本目は動画のみで、PCで画像キャプチャしたものです

  • 最後に浜島へ

    最後に浜島へ

  • 浜島の浜

    浜島の浜

この旅行記のタグ

37いいね!

利用規約に違反している投稿は、報告する事ができます。 問題のある投稿を連絡する

コメントを投稿する前に

十分に確認の上、ご投稿ください。 コメントの内容は攻撃的ではなく、相手の気持ちに寄り添ったものになっていますか?

サイト共通ガイドライン(利用上のお願い)

報道機関・マスメディアの方へ 画像提供などに関するお問い合わせは、専用のお問い合わせフォームからお願いいたします。

旅の計画・記録

マイルに交換できるフォートラベルポイントが貯まる
フォートラベルポイントって?

フォートラベル公式LINE@

おすすめの旅行記や旬な旅行情報、お得なキャンペーン情報をお届けします!
QRコードが読み取れない場合はID「@4travel」で検索してください。

\その他の公式SNSはこちら/

タグから国内旅行記(ブログ)を探す

PAGE TOP