サムイ島旅行記(ブログ) 一覧に戻る
?1でUPした午前中のマンゴベイから、午後はちょっとだけ深いレッドロックからジャパニーズガーデンで潜ります。<br />こちらは、船上からダイブで前回同様に見様・見真似で飛び込みます。<br /><br />ライセンスの無い私は、いつも先陣で出してもらえます。<br />しかし、入るのは重力に従い落下ですから楽なもんですが、船上に上がるとき、それまで水中では感じさせなかった、ボンベの重みがズシリと来るのは、最後の試練とか頑張ります。<br />それと、水面をプカプカと浮かびながら移動が、どうも基本が無いのでフィン付けての泳ぎがダメか、インストラクター方向へ泳いでるつもりが、全く違う方向へ迷走ならぬ、迷泳となり慌てますな。。。ははは(笑)<br /><br />でも、この辺りの試練を乗り越えなければ、神秘的で解放感広がる世界とは出会えないので、仕方ないですな。(笑)<br />よい旅の思い出となりましたよ。<br /><br />今回は、インストラクターの「まゆみ」さんから、スキュバー・ブルー・ワールドのステッカーとTシャツプレゼントしてもらいました。<br />スキュバー・ブルー・ワールド公式HP<br />http://www.samui-sbw.com/index.html<br /><br />ところが、このTシャツは後に物言わぬ効果を発揮してくれました。(^_-)-☆<br />当日はもらった事で喜んでいましたか、後にUP予定のアントン国立公園ツアーでの船上で、スタッフリーダーの目に止まり会話にならない会話となり、スタッフみんなと結び付けてくれました。<br />divingは、international・worldだそうです。(*^_^*)<br />御利益を発揮したTシャツとなりました。<br />

タオ島ナンユアンでリベンジdiving撮影 ?2・ サムイ島再訪

28いいね!

2015/07/07 - 2015/07/14

342位(同エリア1830件中)

0

116

amanojaku

amanojakuさん

?1でUPした午前中のマンゴベイから、午後はちょっとだけ深いレッドロックからジャパニーズガーデンで潜ります。
こちらは、船上からダイブで前回同様に見様・見真似で飛び込みます。

ライセンスの無い私は、いつも先陣で出してもらえます。
しかし、入るのは重力に従い落下ですから楽なもんですが、船上に上がるとき、それまで水中では感じさせなかった、ボンベの重みがズシリと来るのは、最後の試練とか頑張ります。
それと、水面をプカプカと浮かびながら移動が、どうも基本が無いのでフィン付けての泳ぎがダメか、インストラクター方向へ泳いでるつもりが、全く違う方向へ迷走ならぬ、迷泳となり慌てますな。。。ははは(笑)

でも、この辺りの試練を乗り越えなければ、神秘的で解放感広がる世界とは出会えないので、仕方ないですな。(笑)
よい旅の思い出となりましたよ。

今回は、インストラクターの「まゆみ」さんから、スキュバー・ブルー・ワールドのステッカーとTシャツプレゼントしてもらいました。
スキュバー・ブルー・ワールド公式HP
http://www.samui-sbw.com/index.html

ところが、このTシャツは後に物言わぬ効果を発揮してくれました。(^_-)-☆
当日はもらった事で喜んでいましたか、後にUP予定のアントン国立公園ツアーでの船上で、スタッフリーダーの目に止まり会話にならない会話となり、スタッフみんなと結び付けてくれました。
divingは、international・worldだそうです。(*^_^*)
御利益を発揮したTシャツとなりました。

旅行の満足度
5.0
同行者
一人旅
交通手段
タクシー
旅行の手配内容
個別手配
  • 海に熊さん現る<br />

    海に熊さん現る

  • マンゴベイから少し沖へ

    マンゴベイから少し沖へ

  • かっこええなぁ〜<br />

    イチオシ

    かっこええなぁ〜

  • ツノダシのお出迎え

    ツノダシのお出迎え

  • シマシマなのが居ました

    シマシマなのが居ました

  • なんだろね<br />動くもの見るととにかく撮る

    なんだろね
    動くもの見るととにかく撮る

  • チョウチョウ魚のペアはマッタリ泳いでます

    チョウチョウ魚のペアはマッタリ泳いでます

  • 斑模様で目立つけど<br />寝てます<br />動かない

    斑模様で目立つけど
    寝てます
    動かない

  • この子<br />突然寄ってきた

    この子
    突然寄ってきた

  • アジだよね<br />けっこう大きかった<br />泳ぎが速い子

    アジだよね
    けっこう大きかった
    泳ぎが速い子

  • 下からの眺め<br />上の方に湧いてます

    下からの眺め
    上の方に湧いてます

  • なんかねぇ〜<br />黒山の魚たかりだな

    なんかねぇ〜
    黒山の魚たかりだな

  • 白っぽいナマコ

    白っぽいナマコ

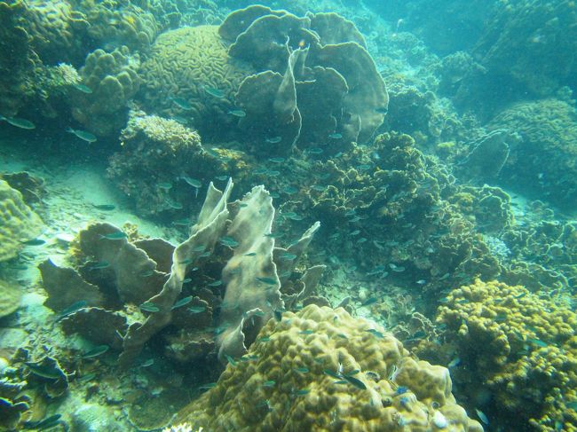
  • 子供の頃のサンゴイメージでした

    子供の頃のサンゴイメージでした

  • 青い花

    青い花

  • 黄色い花

    黄色い花

  • ひときわ目立ってました<br /><br />お魚さんもユーモラスだけど・・・<br />サンゴがいいわぁ〜

    ひときわ目立ってました

    お魚さんもユーモラスだけど・・・
    サンゴがいいわぁ〜

  • 壺の中を覗いて見た

    壺の中を覗いて見た

  • 居るよ(*^_^*)<br />奴が居る<br />

    居るよ(*^_^*)
    奴が居る

  • こちらを睨んでますな

    こちらを睨んでますな

  • 頭出して<br />見張ってます(^_-)-☆

    イチオシ

    頭出して
    見張ってます(^_-)-☆

  • 何か隠れてます<br />けっこう大きいぞ

    何か隠れてます
    けっこう大きいぞ

  • 次から次へと出会いがある

    次から次へと出会いがある

  • 種類違うが接近

    種類違うが接近

  • 戯れ?て離れてきました<br />

    戯れ?て離れてきました

  • 一日目2本目のdivingも終わりました。<br />おつかれさんでした。<br /><br />天気はどんよりくもり空<br />風も強くなってる〜<br />って事は・・・<br /><br />そう・帰りはジェットコースター状態でした。(&gt;_&lt;)<br /><br />でも船首にしがみつき、上下に振られ海水浴びる苦戦しても、良い思い出です。<br />初めて出た、仕立て釣り船に比べりゃ、どった事ないな(笑)<br />(^_-)-☆

    一日目2本目のdivingも終わりました。
    おつかれさんでした。

    天気はどんよりくもり空
    風も強くなってる〜
    って事は・・・

    そう・帰りはジェットコースター状態でした。(>_<)

    でも船首にしがみつき、上下に振られ海水浴びる苦戦しても、良い思い出です。
    初めて出た、仕立て釣り船に比べりゃ、どった事ないな(笑)
    (^_-)-☆

  • そしてサムイ島へ戻りました<br />寄港するビーチは空港近く

    そしてサムイ島へ戻りました
    寄港するビーチは空港近く

  • そんでもって<br />今回の宿泊先はリピでモントラホテル

    そんでもって
    今回の宿泊先はリピでモントラホテル

    モントラ ホテル ホテル

  • プレゼントでもらった<br />Tシャツとステッカー<br />

    プレゼントでもらった
    Tシャツとステッカー

  • 今回の撮影に使いました<br />キャノン・パワーショットD30<br />ハンドストラップは水中用でない事承知の上で使ってます(笑)<br />落とさなきゃなんでもええわぁ〜<br />

    今回の撮影に使いました
    キャノン・パワーショットD30
    ハンドストラップは水中用でない事承知の上で使ってます(笑)
    落とさなきゃなんでもええわぁ〜

  • 装着するとこんな感じ

    装着するとこんな感じ

  • 手首が太く、マジックテープをテグス(釣り糸)で延長です。<br />普通サイズの手首がほしいわ(笑)

    手首が太く、マジックテープをテグス(釣り糸)で延長です。
    普通サイズの手首がほしいわ(笑)

この旅行記のタグ

関連タグ

28いいね!

利用規約に違反している投稿は、報告する事ができます。 問題のある投稿を連絡する

コメントを投稿する前に

十分に確認の上、ご投稿ください。 コメントの内容は攻撃的ではなく、相手の気持ちに寄り添ったものになっていますか?

サイト共通ガイドライン(利用上のお願い)

報道機関・マスメディアの方へ 画像提供などに関するお問い合わせは、専用のお問い合わせフォームからお願いいたします。

この旅行で行ったホテル

旅の計画・記録

マイルに交換できるフォートラベルポイントが貯まる
フォートラベルポイントって?

タイで使うWi-Fiはレンタルしましたか?

フォートラベル GLOBAL WiFiなら
タイ最安 300円/日~

  • 空港で受取・返却可能
  • お得なポイントがたまる

タイの料金プランを見る

フォートラベル公式LINE@

おすすめの旅行記や旬な旅行情報、お得なキャンペーン情報をお届けします!
QRコードが読み取れない場合はID「@4travel」で検索してください。

\その他の公式SNSはこちら/

タグから海外旅行記(ブログ)を探す

この旅行記の地図

拡大する

PAGE TOP