セブ島旅行記(ブログ) 一覧に戻る
2回目のセブ島旅行記3回目。<br /><br />3日目もホテルビーチでシュノーケリング。<br />ランチはtea of springで飲茶、ディナーはシャングリラ宿泊客ご用達のオラエスパーニャに行きました。<br /><br />この日は滞在中もっとも天気が良くて気持ちよかったです。<br />写真は朝食時aquaレストランからの風景。<br />

2回目セブはシャングリラでまったり2014春3

20いいね!

2014/02/13 - 2014/03/17

1342位(同エリア3946件中)

0

98

たたらっと

たたらっとさん

2回目のセブ島旅行記3回目。

3日目もホテルビーチでシュノーケリング。
ランチはtea of springで飲茶、ディナーはシャングリラ宿泊客ご用達のオラエスパーニャに行きました。

この日は滞在中もっとも天気が良くて気持ちよかったです。
写真は朝食時aquaレストランからの風景。

旅行の満足度
4.5
観光
2.0
ホテル
5.0
グルメ
4.0
ショッピング
2.0
交通
2.0
同行者
カップル・夫婦
一人あたり費用
10万円 - 15万円
交通手段
タクシー
航空会社
大韓航空
旅行の手配内容
ツアー(添乗員同行なし)
利用旅行会社
エス・ティー・ワールド
  • この日も目覚ましで6時起き。<br />朝からいい天気でわくわく

    この日も目覚ましで6時起き。
    朝からいい天気でわくわく

  • この日は写真のビーチサイドのプールサイドにある<br />aquaレストランに朝食に行きました。

    この日は写真のビーチサイドのプールサイドにある
    aquaレストランに朝食に行きました。

  • レストラン前にもなぜか軽食が

    レストラン前にもなぜか軽食が

  • これはもう中です。<br />プチサンド。<br />これがなかなかおいしい。<br />日替わりでした。

    これはもう中です。
    プチサンド。
    これがなかなかおいしい。
    日替わりでした。

  • サラダコーナー。<br />寿司桶にはかっぱ巻き(?)などの海苔巻きが

    サラダコーナー。
    寿司桶にはかっぱ巻き(?)などの海苔巻きが

  • こちらもパンが充実している

    こちらもパンが充実している

  • ミルクにティーにスムージー。<br />右端手前はマンゴー&バナナのスムージー、<br />その奥はバナナのスムージー。<br />これが超濃厚で美味。<br />このスムージーはtidesにないメニューだったはず。<br />この他にもちろんフレッシュジュースもありました。

    ミルクにティーにスムージー。
    右端手前はマンゴー&バナナのスムージー、
    その奥はバナナのスムージー。
    これが超濃厚で美味。
    このスムージーはtidesにないメニューだったはず。
    この他にもちろんフレッシュジュースもありました。

  • フルーツコーナーもtidesと同じくらい充実。<br />あとはメインの料理の品揃えが若干寂しかったくらいで<br />あまりtidesと変わらなかったと思います。<br />tidesは混むと聞いてたので次の日もaquaにしましたが<br />7時前後くらいならどちらに行ってもそんなに変わらないような気がしました。<br />(こっちも結構混んでました)<br />

    フルーツコーナーもtidesと同じくらい充実。
    あとはメインの料理の品揃えが若干寂しかったくらいで
    あまりtidesと変わらなかったと思います。
    tidesは混むと聞いてたので次の日もaquaにしましたが
    7時前後くらいならどちらに行ってもそんなに変わらないような気がしました。
    (こっちも結構混んでました)

  • でこのように

    でこのように

  • そこから見えた風景。<br />うーんナイス。

    そこから見えた風景。
    うーんナイス。

  • オムレツもおいしかった

    オムレツもおいしかった

  • ヌードルはセルフでお好みで作れます。

    ヌードルはセルフでお好みで作れます。

  • 食後ちょっと辺りを散策。<br />ミニチュアのラプラプ像がありました。

    食後ちょっと辺りを散策。
    ミニチュアのラプラプ像がありました。

  • うーん爽快

    うーん爽快

  • 予報は晴れで最高気温34℃

    予報は晴れで最高気温34℃

  • この日はビーチ中央で夕方からイベントがあるようで<br />朝からその準備をしてたので<br />端のほうに陣取りました。

    この日はビーチ中央で夕方からイベントがあるようで
    朝からその準備をしてたので
    端のほうに陣取りました。

  • そこから見えた海。<br />うーん最高ですね。

    そこから見えた海。
    うーん最高ですね。

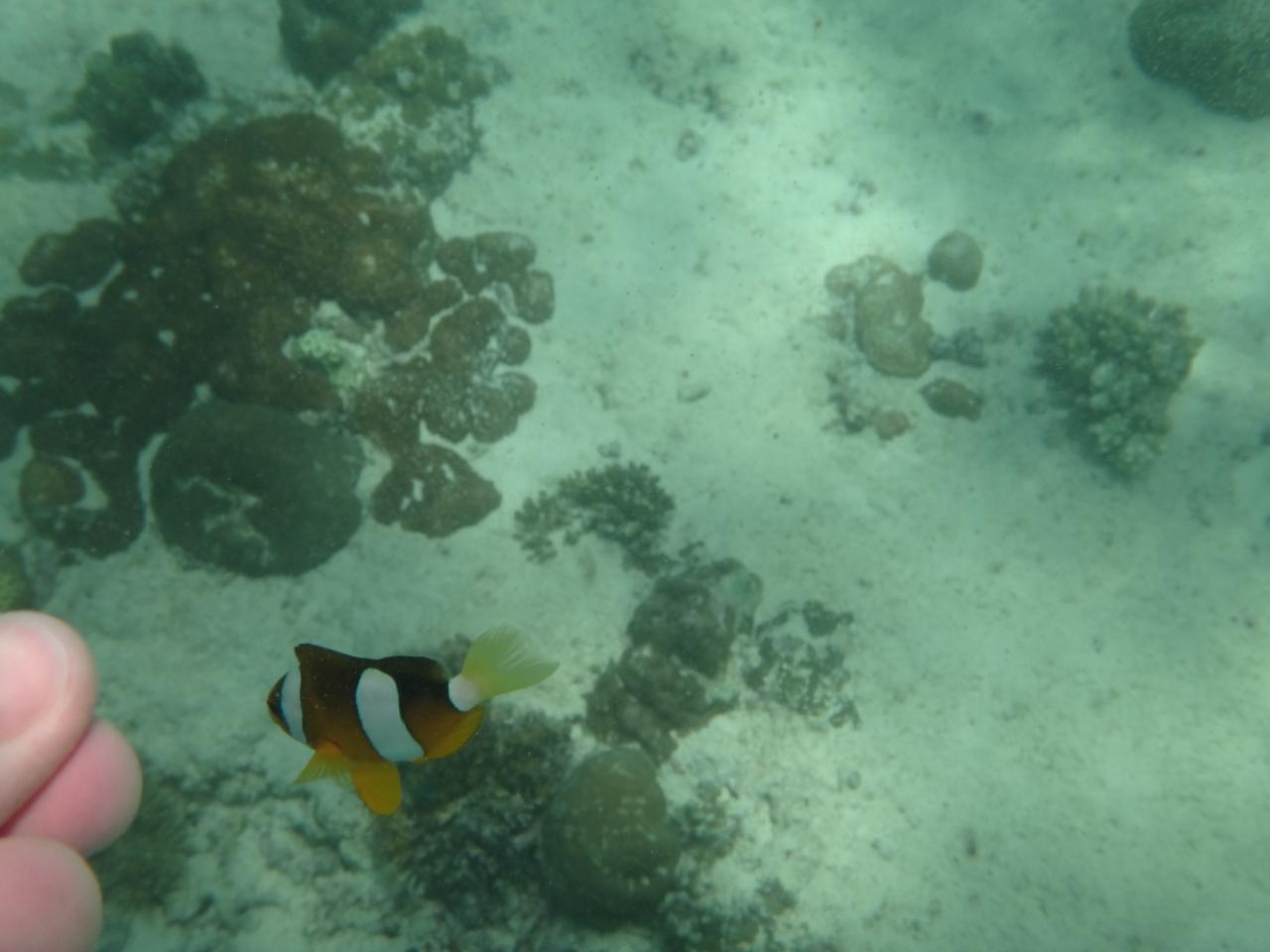
  • また早速シュノーケル。<br />前日見つけたニモにあいさつして

    また早速シュノーケル。
    前日見つけたニモにあいさつして

  • チョウチョウウオを横目に

    チョウチョウウオを横目に

  • アジの大群に会いに行きました。

    アジの大群に会いに行きました。

  • うひょー

    うひょー

  • 気持ちいいですねー

    気持ちいいですねー

  • ひと泳ぎしたところで塩抜きにプールに行きました。<br />植栽の手入れもしっかりです

    ひと泳ぎしたところで塩抜きにプールに行きました。
    植栽の手入れもしっかりです

  • ビーチサイドのプールはインフィニティになってます

    ビーチサイドのプールはインフィニティになってます

  • 最高です

    最高です

  • で一杯。<br />妻は酎杯持参

    で一杯。
    妻は酎杯持参

  • あまりに気持ちよくてしばし寝入ってしました

    あまりに気持ちよくてしばし寝入ってしました

  • そばにあった蟹穴

    そばにあった蟹穴

  • 目覚めて再度

    目覚めて再度

  • シーカヤックもできます

    シーカヤックもできます

  • またニモ発見<br />って結構いたるところにいました。<br />これはちょっと深いところにいたので結構大きい固体でした。

    またニモ発見
    って結構いたるところにいました。
    これはちょっと深いところにいたので結構大きい固体でした。

  • そこに現れた妻。<br />何をしてるのかと思ったら

    そこに現れた妻。
    何をしてるのかと思ったら

  • 指を鳴らしているそう

    指を鳴らしているそう

  • 私が発見したのよと言ってましたが<br />海中で指を鳴らすと魚が寄ってくるそうでした。<br />

    私が発見したのよと言ってましたが
    海中で指を鳴らすと魚が寄ってくるそうでした。

  • で鳴らしてます

    で鳴らしてます

  • 確かに寄ってくるような気がしないでもないですが

    確かに寄ってくるような気がしないでもないですが

  • そうでもないような

    そうでもないような

  • ランチにホテルの中華レストランのtea of springに行くのに<br />一旦上がって部屋に着替えに帰りました。<br />唐突ですが部屋のミニバーの値段

    ランチにホテルの中華レストランのtea of springに行くのに
    一旦上がって部屋に着替えに帰りました。
    唐突ですが部屋のミニバーの値段

  • でランチです。<br />きりっと冷えたサンミゲルが飲みたかったのですが<br />青島ビールのビッグボトルがキャンペーンで200ペソだったので思わず。<br />青島ビールは中華にはばっちりマッチしますからね。<br />2本飲んじゃいました。

    でランチです。
    きりっと冷えたサンミゲルが飲みたかったのですが
    青島ビールのビッグボトルがキャンペーンで200ペソだったので思わず。
    青島ビールは中華にはばっちりマッチしますからね。
    2本飲んじゃいました。

  • 料理はエビシュウマイと豚肉まんと

    料理はエビシュウマイと豚肉まんと

  • 牛肉の炒め物。<br />小龍包がおいしいそうですがちょっとはずしてしまいました。<br />でも料理は評判どおりどれもおいしかったです。<br />尚レシートによると<br />青島ビール×2で400ペソ<br />エビシュウマイ185ペソ<br />肉まん165ペソ<br />ミネラルウォーター240ml125ペソ<br />牛肉傷め320ペソで<br />トータル1500ペソで4000円弱。<br />もうちょっとなんか食べてみたかった。

    牛肉の炒め物。
    小龍包がおいしいそうですがちょっとはずしてしまいました。
    でも料理は評判どおりどれもおいしかったです。
    尚レシートによると
    青島ビール×2で400ペソ
    エビシュウマイ185ペソ
    肉まん165ペソ
    ミネラルウォーター240ml125ペソ
    牛肉傷め320ペソで
    トータル1500ペソで4000円弱。
    もうちょっとなんか食べてみたかった。

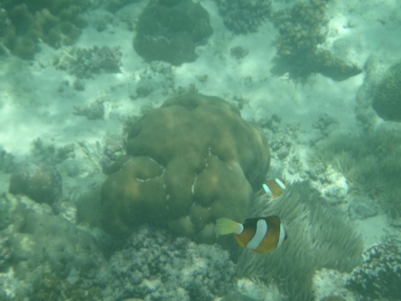
  • 食後はなんだか酔いが回って2時間くらい昼寝してしまいました。<br />せっかくの天気なのになんだか寝てばっかりでした。<br />でもまあゆっくり骨休めできましたね。<br />目が覚めたらもう3時過ぎ。<br />また入ってここからはニモラッシュ。<br />かわいいでしょ

    食後はなんだか酔いが回って2時間くらい昼寝してしまいました。
    せっかくの天気なのになんだか寝てばっかりでした。
    でもまあゆっくり骨休めできましたね。
    目が覚めたらもう3時過ぎ。
    また入ってここからはニモラッシュ。
    かわいいでしょ

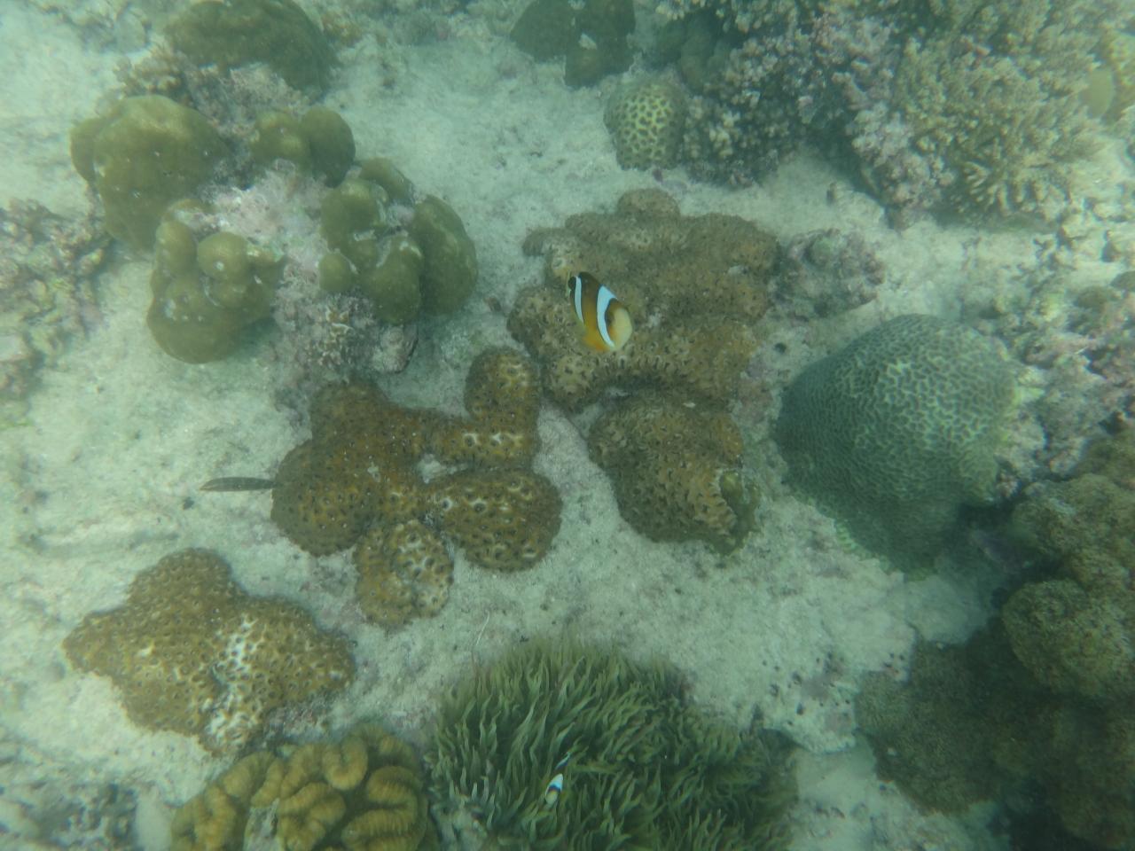
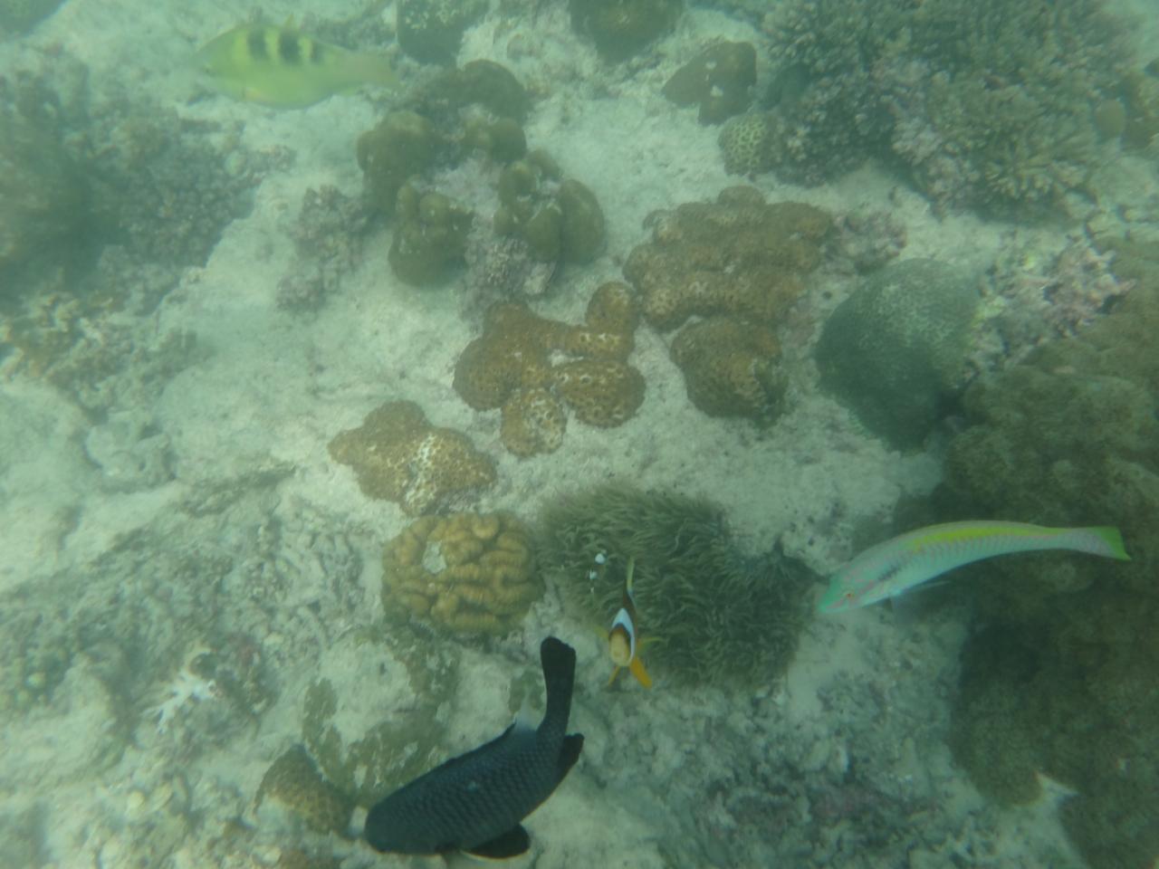
  • この子もかわいいんですが

    この子もかわいいんですが

  • この子もかわいいし

    この子もかわいいし

  • 他にもかわいいカクレクマノミがいっぱいしましたが<br />我々のナンバーワンはこの子たち

    他にもかわいいカクレクマノミがいっぱいしましたが
    我々のナンバーワンはこの子たち

  • もう持って帰りたかったです

    もう持って帰りたかったです

  • 夕方徒歩で出張りました。<br />写真はまだホテル敷地内

    夕方徒歩で出張りました。
    写真はまだホテル敷地内

  • 入り口の検問所まで来ました。<br />ここでホテルに入ってくる車両は<br />金属探知機とドーベルマンか何か大型犬の検問を受けます。<br />結構ものものしい。

    入り口の検問所まで来ました。
    ここでホテルに入ってくる車両は
    金属探知機とドーベルマンか何か大型犬の検問を受けます。
    結構ものものしい。

  • 門を出ると<br />すぐそこにオラエスパーニャがありました。<br />ちょっと歩くかと思ってましたがこれなら皆行くわけですね。<br />夕方だったせいか辺りに客引きなどは見当たりませんでした。

    門を出ると
    すぐそこにオラエスパーニャがありました。
    ちょっと歩くかと思ってましたがこれなら皆行くわけですね。
    夕方だったせいか辺りに客引きなどは見当たりませんでした。

  • メニュー

    メニュー

  • 前菜、スープにサラダ

    前菜、スープにサラダ

  • 魚料理に肉料理

    魚料理に肉料理

  • ステーキ、デザート、カクテルなど

    ステーキ、デザート、カクテルなど

  • ビールを頼んで

    ビールを頼んで

  • チーズや生ハムなどがあって<br />頼むとお好みで切ってくれるそうですが頼まず

    チーズや生ハムなどがあって
    頼むとお好みで切ってくれるそうですが頼まず

  • 席の目の前にあった冷蔵庫。<br />ビールはもちろん

    席の目の前にあった冷蔵庫。
    ビールはもちろん

  • スパークリングワインも。<br />スペインなのでカバかな?

    スパークリングワインも。
    スペインなのでカバかな?

  • 後ろの棚にはワインが

    後ろの棚にはワインが

  • 料理は評判のポテトオムレツと

    料理は評判のポテトオムレツと

  • エビのアヒージョ

    エビのアヒージョ

  • チキンのグリルに

    チキンのグリルに

  • ボロネーゼ

    ボロネーゼ

  • ワインも行きました。<br />確か700ペソか800ペソくらいの安い赤でしたが<br />なかなかおいしかった

    ワインも行きました。
    確か700ペソか800ペソくらいの安い赤でしたが
    なかなかおいしかった

  • よく見るとパーカーワインでした。<br />なかなか優秀。

    よく見るとパーカーワインでした。
    なかなか優秀。

  • ちょっと物足りなかったのでピザも頼みました。<br />こちらのピザはクリスピータイプで我々好み。<br />なかなかおいしかった。<br />レシートくれなかったのでよく覚えてませんが<br />ここも全部で5000円くらいではなかったかな?<br />確かに安上がりではありますが<br />もうちょっと豪快な料理を期待してたので<br />(個人的にはエビが小さかったのにはがっかり)<br />ちょっと貧弱でがっかりでした。<br />(マリバゴグリルに行ったほうが良かったかもしれません)<br />パスタもちょっとぼそぼそ。<br />ポテトオムレツは妻はおいしいと言ってましたが。

    ちょっと物足りなかったのでピザも頼みました。
    こちらのピザはクリスピータイプで我々好み。
    なかなかおいしかった。
    レシートくれなかったのでよく覚えてませんが
    ここも全部で5000円くらいではなかったかな?
    確かに安上がりではありますが
    もうちょっと豪快な料理を期待してたので
    (個人的にはエビが小さかったのにはがっかり)
    ちょっと貧弱でがっかりでした。
    (マリバゴグリルに行ったほうが良かったかもしれません)
    パスタもちょっとぼそぼそ。
    ポテトオムレツは妻はおいしいと言ってましたが。

  • ホテルに戻ってくるとちょうどtidesの前でディナーショーの真っ最中。<br />ハワイアンダンスなどやってました。

    ホテルに戻ってくるとちょうどtidesの前でディナーショーの真っ最中。
    ハワイアンダンスなどやってました。

  • なかなか本格的でした。

    なかなか本格的でした。

  • ファイヤーダンスも

    ファイヤーダンスも

  • 遠景。<br />尚この日は土曜日で<br />tidesのディナービュッフェはシーフードビュッフェだったのか<br />蟹の殻でいっぱいになった皿をテーブルに並べた客を妻は見かけたのだとか。<br />そんなのもあって<br />わざわざ外に食べに行かなくてもホテルで食べれば良かったかと<br />ちょっと後悔したのでした。

    遠景。
    尚この日は土曜日で
    tidesのディナービュッフェはシーフードビュッフェだったのか
    蟹の殻でいっぱいになった皿をテーブルに並べた客を妻は見かけたのだとか。
    そんなのもあって
    わざわざ外に食べに行かなくてもホテルで食べれば良かったかと
    ちょっと後悔したのでした。

  • この日は月夜でした。

    この日は月夜でした。

  • ナイトライフはビーチサイドのウェイブズバーに行きました。<br />カウリーコーブの隣にあります。

    ナイトライフはビーチサイドのウェイブズバーに行きました。
    カウリーコーブの隣にあります。

  • ビーチ際の席に陣取って

    ビーチ際の席に陣取って

  • 前夜ロビーラウンジで演奏してたバンドが演奏してました。<br />レパートリーは新しめでしたがなかなか充実していて<br />年寄りの僕はあまり感情移入できませんでしたが<br />よく勉強してるなぁと思いました。

    前夜ロビーラウンジで演奏してたバンドが演奏してました。
    レパートリーは新しめでしたがなかなか充実していて
    年寄りの僕はあまり感情移入できませんでしたが
    よく勉強してるなぁと思いました。

  • こっちのほうはレストランです

    こっちのほうはレストランです

  • こっちはビーチ。<br />イベント真っ最中のようでした。

    こっちはビーチ。
    イベント真っ最中のようでした。

  • 席からはビーチがよく見えて<br />まったり飲めました。<br />この後ロビーラウンジにはしごしようと思ったのですが<br />脂っこいものを食べ過ぎたせいか妻が胃痛になってしまったので<br />(胃が弱いのです)早寝しました。<br />

    席からはビーチがよく見えて
    まったり飲めました。
    この後ロビーラウンジにはしごしようと思ったのですが
    脂っこいものを食べ過ぎたせいか妻が胃痛になってしまったので
    (胃が弱いのです)早寝しました。

この旅行記のタグ

20いいね!

利用規約に違反している投稿は、報告する事ができます。 問題のある投稿を連絡する

コメントを投稿する前に

十分に確認の上、ご投稿ください。 コメントの内容は攻撃的ではなく、相手の気持ちに寄り添ったものになっていますか?

サイト共通ガイドライン(利用上のお願い)

報道機関・マスメディアの方へ 画像提供などに関するお問い合わせは、専用のお問い合わせフォームからお願いいたします。

旅の計画・記録

マイルに交換できるフォートラベルポイントが貯まる
フォートラベルポイントって?

フィリピンで使うWi-Fiはレンタルしましたか?

フォートラベル GLOBAL WiFiなら
フィリピン最安 356円/日~

  • 空港で受取・返却可能
  • お得なポイントがたまる

フィリピンの料金プランを見る

フォートラベル公式LINE@

おすすめの旅行記や旬な旅行情報、お得なキャンペーン情報をお届けします!
QRコードが読み取れない場合はID「@4travel」で検索してください。

\その他の公式SNSはこちら/

PAGE TOP