グレートバリアリーフ周辺旅行記(ブログ) 一覧に戻る
グリーン島とグレートバリアリーフのツアーで最も楽しみにしていたのが、ポンツーンでのシュノーケリングです!<br />澄んだ海と色とりどりのサンゴ群、そこを優雅に泳ぐ魚たち...<br />とても美しい海底の光景をたくさん見ることができて、このツアーに申し込んだカイがありました!☆<br /><br /><br />※ダイジェスト版旅行記はこちら→http://4travel.jp/traveler/joecool/album/10801718/

グレートバリアリーフでシュノーケリング!◆初オーストラリア!ケアンズ近郊で滝めぐり&グレートバリアリーフ≪その10≫

25いいね!

2013/08/11 - 2013/08/11

20位(同エリア153件中)

0

58

JOECOOL

JOECOOLさん

グリーン島とグレートバリアリーフのツアーで最も楽しみにしていたのが、ポンツーンでのシュノーケリングです!
澄んだ海と色とりどりのサンゴ群、そこを優雅に泳ぐ魚たち...
とても美しい海底の光景をたくさん見ることができて、このツアーに申し込んだカイがありました!☆


※ダイジェスト版旅行記はこちら→http://4travel.jp/traveler/joecool/album/10801718/

旅行の満足度
4.5
観光
4.5
同行者
カップル・夫婦
交通手段
旅行の手配内容
個別手配
  • ランチの後、少し休憩したらいよいよ道具を借りてシュノーケリングに行ってきま〜す!<br />この用具の貸し出しもツアー費用に含まれています。<br /><br />ここはビーチではないので、ライフジャケットの装着が義務付けられています。<br />それと、JOECOOLが首からぶら下げているのは、この時のために買った防水コンデジ(OLYMPUS TOUGH TG-630)です。<br />午前中のグリーン島と違って晴れているので、もっと美しい写真が撮れるとイイなぁ…<br /><br />wifeはグリーン島で海に入ったのがかなり寒かったらしく、風邪などをひいてはいけないので自重しました。<br /><br />Photo by wife

    ランチの後、少し休憩したらいよいよ道具を借りてシュノーケリングに行ってきま〜す!
    この用具の貸し出しもツアー費用に含まれています。

    ここはビーチではないので、ライフジャケットの装着が義務付けられています。
    それと、JOECOOLが首からぶら下げているのは、この時のために買った防水コンデジ(OLYMPUS TOUGH TG-630)です。
    午前中のグリーン島と違って晴れているので、もっと美しい写真が撮れるとイイなぁ…

    wifeはグリーン島で海に入ったのがかなり寒かったらしく、風邪などをひいてはいけないので自重しました。

    Photo by wife

  • 午後になって天気も良くなりました!<br />海底ではどんな風景が待っているのか...<br />ワクワクです!♪

    午後になって天気も良くなりました!
    海底ではどんな風景が待っているのか...
    ワクワクです!♪

  • 水中メガネ&シュノーケル、フィン等を装着して...<br /><br />Photo by wife

    水中メガネ&シュノーケル、フィン等を装着して...

    Photo by wife

  • では、「行ってきま〜す!」<br /><br />Photo by wife

    では、「行ってきま〜す!」

    Photo by wife

  • Photo by wife

    Photo by wife

  • 潜るポイントまで来てwifeに手を振っていると、監視員さんから「Are you OK ?」と声がかかりました。<br />溺れて手を振っているのと間違われたのでしょうネ。<br /><br />でも、監視員がずっと見張っていてくれるのも安心ですよね。<br /><br />Photo by wife

    潜るポイントまで来てwifeに手を振っていると、監視員さんから「Are you OK ?」と声がかかりました。
    溺れて手を振っているのと間違われたのでしょうネ。

    でも、監視員がずっと見張っていてくれるのも安心ですよね。

    Photo by wife

  • ではいよいよシュノーケリングのスタートです。<br />ひとたび海底を見たら、とても美しい世界が広がっていました!<br /><br />初めは樹木状になった“サンゴの森”が続きます。

    ではいよいよシュノーケリングのスタートです。
    ひとたび海底を見たら、とても美しい世界が広がっていました!

    初めは樹木状になった“サンゴの森”が続きます。

  • グレートバリアリーフの海ってこんなにも美しいんだ〜!!

    グレートバリアリーフの海ってこんなにも美しいんだ〜!!

  • ズームしてみると緑っぽいのやら青っぽいのが混在していることがわかります。

    ズームしてみると緑っぽいのやら青っぽいのが混在していることがわかります。

  • さらにズームすると、一本一本のサンゴは“ミニサボテン”のようにも見えますね。

    さらにズームすると、一本一本のサンゴは“ミニサボテン”のようにも見えますね。

  • 縦縞模様の魚が視界を横切りました。

    縦縞模様の魚が視界を横切りました。

  • 少し泳ぐとテーブルサンゴのエリアに来ました。

    少し泳ぐとテーブルサンゴのエリアに来ました。

  • コメントは少なめですが、美しい海底の光景をたっぷりお楽しみ下さいネ。

    コメントは少なめですが、美しい海底の光景をたっぷりお楽しみ下さいネ。

  • 蛍光塗料でも塗ったような青い魚を見っけ!

    蛍光塗料でも塗ったような青い魚を見っけ!

  • こちらの黒っぽい魚クンはコワい顔をしていますね…

    こちらの黒っぽい魚クンはコワい顔をしていますね…

  • 背中の白いライン、尾びれの付け根の黄色い部分...<br />個性的な魚クンです。

    背中の白いライン、尾びれの付け根の黄色い部分...
    個性的な魚クンです。

  • 黄色っぽい魚の群れ。

    黄色っぽい魚の群れ。

  • ユニークな形状のサンゴですね。

    ユニークな形状のサンゴですね。

  • 再び青の蛍光色の魚クン登場!

    再び青の蛍光色の魚クン登場!

  • 人を怖がる様子も無く、お食事中(?)。

    人を怖がる様子も無く、お食事中(?)。

  • こんな芸も披露してくれました♪

    こんな芸も披露してくれました♪

  • 同じ種類ですが、さっきよりも小さめの青い魚クンも登場!

    同じ種類ですが、さっきよりも小さめの青い魚クンも登場!

  • こちらは優雅に泳いでいます。

    こちらは優雅に泳いでいます。

  • こちらの魚クンは、腹から尾にかけての斑点がチャームポイントです。<br />ユニークなデザインですねっ♪

    こちらの魚クンは、腹から尾にかけての斑点がチャームポイントです。
    ユニークなデザインですねっ♪

  • 平べったくて黒っぽい魚クン。<br />ちょっと地味かな...

    平べったくて黒っぽい魚クン。
    ちょっと地味かな...

  • 黒っぽい色だと身を隠すのには良いのかもしれません。

    黒っぽい色だと身を隠すのには良いのかもしれません。

  • 黒地に黄色の縦縞。<br />彼はなかなかのオシャレです。

    黒地に黄色の縦縞。
    彼はなかなかのオシャレです。

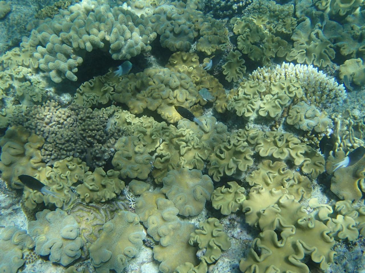
  • 大きなテーブルサンゴ!

    大きなテーブルサンゴ!

  • 約20分間、夢中で写真を撮りました。<br />そろそろあがることにしましょう。

    約20分間、夢中で写真を撮りました。
    そろそろあがることにしましょう。

  • ポンツーンに戻るJOECOOL。<br /><br />Photo by wife

    ポンツーンに戻るJOECOOL。

    Photo by wife

  • JOECOOL:「めっちゃ綺麗だったよ〜!」<br /><br />Photo by wife

    JOECOOL:「めっちゃ綺麗だったよ〜!」

    Photo by wife

  • 出発までの時間、乗って来た船の中でお茶でも飲みながら休憩しましょう。

    出発までの時間、乗って来た船の中でお茶でも飲みながら休憩しましょう。

  • デッキから海上を眺めていると、小さなポンツーンが見え、そこにヘリコプターが降りてきていました。<br /><br />空からGBRを見るツアーのようです。

    デッキから海上を眺めていると、小さなポンツーンが見え、そこにヘリコプターが降りてきていました。

    空からGBRを見るツアーのようです。

  • これはヘリポート用のポンツーンなのですね。

    これはヘリポート用のポンツーンなのですね。

  • ヘリコプターが離陸!

    ヘリコプターが離陸!

  • 私たちもアレに乗りたかったのですが、4〜5万円かかるので今回はパス...。

    私たちもアレに乗りたかったのですが、4〜5万円かかるので今回はパス...。

  • グレートバリアリーフの一日ツアー、日頃の旅行では山・川・渓流・滝が目的の大半を占めることが多いのですが、今回は海で一日遊ぶスケジュールを組んで良かったと思います。<br /><br />もしまた来ることがあったら、次回はセスナ機orヘリで空からグレートバリアリーフを見てみたいですね〜。<br /><br /><br />&quot;to be continued&quot;

    グレートバリアリーフの一日ツアー、日頃の旅行では山・川・渓流・滝が目的の大半を占めることが多いのですが、今回は海で一日遊ぶスケジュールを組んで良かったと思います。

    もしまた来ることがあったら、次回はセスナ機orヘリで空からグレートバリアリーフを見てみたいですね〜。


    "to be continued"

この旅行記のタグ

25いいね!

利用規約に違反している投稿は、報告する事ができます。 問題のある投稿を連絡する

コメントを投稿する前に

十分に確認の上、ご投稿ください。 コメントの内容は攻撃的ではなく、相手の気持ちに寄り添ったものになっていますか?

サイト共通ガイドライン(利用上のお願い)

報道機関・マスメディアの方へ 画像提供などに関するお問い合わせは、専用のお問い合わせフォームからお願いいたします。

旅の計画・記録

マイルに交換できるフォートラベルポイントが貯まる
フォートラベルポイントって?

オーストラリアで使うWi-Fiはレンタルしましたか?

フォートラベル GLOBAL WiFiなら
オーストラリア最安 305円/日~

  • 空港で受取・返却可能
  • お得なポイントがたまる

オーストラリアの料金プランを見る

フォートラベル公式LINE@

おすすめの旅行記や旬な旅行情報、お得なキャンペーン情報をお届けします!
QRコードが読み取れない場合はID「@4travel」で検索してください。

\その他の公式SNSはこちら/

この旅行記の地図

拡大する

PAGE TOP