西表島旅行記(ブログ) 一覧に戻る
石垣島3日→西表島3日→波照間島2日→石垣島4日→与那国島4日の旅行に行ってきました。1人時々2人旅。<br /><br />西表島編☆<br />ダイビング三昧です。本当は1日くらいは陸の観光でカヌーとかしようと思ったんですが、ダイビングのみになりました。<br />また行かなきゃ☆^^;<br />

石垣~西表~波照間~石垣~与那国への旅 ②西表島編

10いいね!

2013/03/07 - 2013/03/22

1081位(同エリア2192件中)

0

20

eri~さん

石垣島3日→西表島3日→波照間島2日→石垣島4日→与那国島4日の旅行に行ってきました。1人時々2人旅。

西表島編☆
ダイビング三昧です。本当は1日くらいは陸の観光でカヌーとかしようと思ったんですが、ダイビングのみになりました。
また行かなきゃ☆^^;

旅行の満足度
4.0
ホテル
3.5
グルメ
4.0
同行者
一人旅
一人あたり費用
5万円 - 10万円
旅行の手配内容
個別手配
  • 石垣島での1泊は美ら宿にお世話になりました。<br /><br />朝早めの安栄観光で石垣島→西表島へ。<br />朝7時台の便だったけどこんなに明け方な感じはしなかったけどな…<br /><br />西表島の上原港へはダイビングショップの方が迎えに来てくれました。

    石垣島での1泊は美ら宿にお世話になりました。

    朝早めの安栄観光で石垣島→西表島へ。
    朝7時台の便だったけどこんなに明け方な感じはしなかったけどな…

    西表島の上原港へはダイビングショップの方が迎えに来てくれました。

  • お世話になったダイビングショップはトネリコさん。<br />上原港からショップへ寄り、漁港へ。<br />早速ダイビングへ出発〜

    お世話になったダイビングショップはトネリコさん。
    上原港からショップへ寄り、漁港へ。
    早速ダイビングへ出発〜

  • 西表島でもう一度ダイビングをしたいと思った理由その①!<br />→珊瑚~。もう素晴らしいのなんのって。

    西表島でもう一度ダイビングをしたいと思った理由その①!
    →珊瑚~。もう素晴らしいのなんのって。

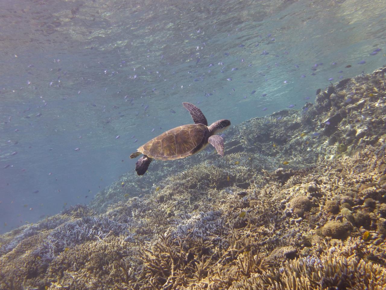
  • そしてその珊瑚の上を優雅に泳ぐ亀。。<br />結構長く一緒に居てくれました。<br />1本目からお腹いっぱいな感じでした。。

    そしてその珊瑚の上を優雅に泳ぐ亀。。
    結構長く一緒に居てくれました。
    1本目からお腹いっぱいな感じでした。。

  • 珊瑚のアーチが洞窟のようになっていて、差し込む光がシャワーのようでした。

    珊瑚のアーチが洞窟のようになっていて、差し込む光がシャワーのようでした。

  • アーチから明るい方へ出てくると、海の青さがはっきりと…

    アーチから明るい方へ出てくると、海の青さがはっきりと…

  • 西表島では民宿さわやか荘さんへ3泊お世話になりました。<br />宿の方もとても感じが良く、ご飯もとてもおいしかったです。<br />お部屋も清潔で。お部屋に物干しがあったのでとても助かりました!

    西表島では民宿さわやか荘さんへ3泊お世話になりました。
    宿の方もとても感じが良く、ご飯もとてもおいしかったです。
    お部屋も清潔で。お部屋に物干しがあったのでとても助かりました!

  • 2日目もダイビング~<br /><br />西表島でもう一度ダイビングをしたかった理由その②!<br /> マンジュウイシモチ(イチゴパンツ**)をもう一度見たい☆<br /><br />やっぱり可愛かった~。なかなか見えにくいところに居ましたが、ガイドさんがあちこちで見つけてくれました。<br />

    2日目もダイビング~

    西表島でもう一度ダイビングをしたかった理由その②!
     マンジュウイシモチ(イチゴパンツ**)をもう一度見たい☆

    やっぱり可愛かった~。なかなか見えにくいところに居ましたが、ガイドさんがあちこちで見つけてくれました。

  • 船上でのランチ。<br />これが毎日美味しくて…<br />きれいな海の景色もついてくるし…贅沢な日々です。。

    船上でのランチ。
    これが毎日美味しくて…
    きれいな海の景色もついてくるし…贅沢な日々です。。

  • ニチリンダテハゼ。<br />珍しいハゼだそうです。きれいだった☆

    ニチリンダテハゼ。
    珍しいハゼだそうです。きれいだった☆

  • ニモもいました。<br />やっぱり可愛い☆

    ニモもいました。
    やっぱり可愛い☆

  • 夜ご飯は、ダイビングショップの方に紹介してもらい、巴里のごはん屋さんという所で。<br />宿泊しているところから少し離れるため、送迎してもらいました。(1人なのに恐縮ですが…)<br /><br />ソーキの煮込みをいただきましたが、前菜とパンが付いてとても美味しかった〜。ワインも合います*^^*おしゃれなお店でしたが、お店の方は気さくで、1人でも楽しく過ごせました。

    夜ご飯は、ダイビングショップの方に紹介してもらい、巴里のごはん屋さんという所で。
    宿泊しているところから少し離れるため、送迎してもらいました。(1人なのに恐縮ですが…)

    ソーキの煮込みをいただきましたが、前菜とパンが付いてとても美味しかった〜。ワインも合います*^^*おしゃれなお店でしたが、お店の方は気さくで、1人でも楽しく過ごせました。

  • 西表島ダイビング最終日〜。<br />あっという間ですね。<br /><br />何か(聞いたけど忘れちゃいました^^;)がグルクンを追いかけているところ!迫力でした!

    西表島ダイビング最終日〜。
    あっという間ですね。

    何か(聞いたけど忘れちゃいました^^;)がグルクンを追いかけているところ!迫力でした!

  • 大物が見たいとお願いし、連れて行ってもらったポイント。<br />最後の最後にマグロが〜。写ってますか??心の目が必要ですね^^;<br />びっくりして焦って…大興奮でした^^

    大物が見たいとお願いし、連れて行ってもらったポイント。
    最後の最後にマグロが〜。写ってますか??心の目が必要ですね^^;
    びっくりして焦って…大興奮でした^^

  • 大物を見た後はまたまったりと。<br />アカネハナゴイと珊瑚。お気に入りの風景。

    大物を見た後はまたまったりと。
    アカネハナゴイと珊瑚。お気に入りの風景。

  • 今日の船上ランチは八重山そばとおにぎり。<br />これも美味しかった〜<br />海も碧い…

    今日の船上ランチは八重山そばとおにぎり。
    これも美味しかった〜
    海も碧い…

  • 初めてトウアカクマノミを見せてもらいました。<br />背中にハートが…可愛い。。

    初めてトウアカクマノミを見せてもらいました。
    背中にハートが…可愛い。。

  • クマノミだらけ…

    クマノミだらけ…

  • 民宿さわやか荘からの風景。

    民宿さわやか荘からの風景。

  • 最終日の夜ご飯。<br />おばあが作ったニンジンのスープとか鶏の煮込みとかアダンが入っていたりとか…盛りだくさん!どれも美味しかったです。<br /><br />明日は波照間島へ移動~。<br />旅行記は③波照間島編へ続く☆

    最終日の夜ご飯。
    おばあが作ったニンジンのスープとか鶏の煮込みとかアダンが入っていたりとか…盛りだくさん!どれも美味しかったです。

    明日は波照間島へ移動~。
    旅行記は③波照間島編へ続く☆

この旅行記のタグ

関連タグ

10いいね!

利用規約に違反している投稿は、報告する事ができます。 問題のある投稿を連絡する

コメントを投稿する前に

十分に確認の上、ご投稿ください。 コメントの内容は攻撃的ではなく、相手の気持ちに寄り添ったものになっていますか?

サイト共通ガイドライン(利用上のお願い)

報道機関・マスメディアの方へ 画像提供などに関するお問い合わせは、専用のお問い合わせフォームからお願いいたします。

旅の計画・記録

マイルに交換できるフォートラベルポイントが貯まる
フォートラベルポイントって?

フォートラベル公式LINE@

おすすめの旅行記や旬な旅行情報、お得なキャンペーン情報をお届けします!
QRコードが読み取れない場合はID「@4travel」で検索してください。

\その他の公式SNSはこちら/

タグから国内旅行記(ブログ)を探す

価格.com旅行・トラベルホテル・旅館を比較

PAGE TOP