2011/08/17 - 2011/08/20
997位(同エリア5945件中)
benlyさん
- benlyさんTOP
- 旅行記185冊
- クチコミ1615件
- Q&A回答0件
- 767,218アクセス
- フォロワー46人
夏休みを利用して、石垣島・竹富島へ行ってきました。
お盆明けの安い出発日を狙ってパックツアー(飛行機+ホテル+レンタカー)で石垣島へ。
2日目は、ダイビングへ。
- 一人あたり費用
- 5万円 - 10万円
- 交通手段
- 船 ANAグループ 自家用車
- 旅行の手配内容
- ツアー(添乗員同行なし)
-
うるまダイビングクラブにてファンダイブへ。
石垣名物マンタを見に!
宿まで迎えに来てもらい、石垣港まで送ってもらい、
この船でポイントへ向かいます。 -
20分くらいで1本目のポイント「大崎アカククリの根」に到着。
海の色、きれいです。 -
早速ダイブ。
イシダイがいっぱい。 -
透明度は15mくらい。
-
ヒトデ。
-
カクレクマノミ。
浅いところにいたので、太陽の光がよく届く。 -
一本目終了。
近くにシュノーケリングしてる人たちの船がいました。 -
船からも魚影が見えます。
-
二本目。大崎ハナゴイリーフ。
カサゴ。 -
ウミウシ
-
クマノミ。
-
アオヤガラ。
-
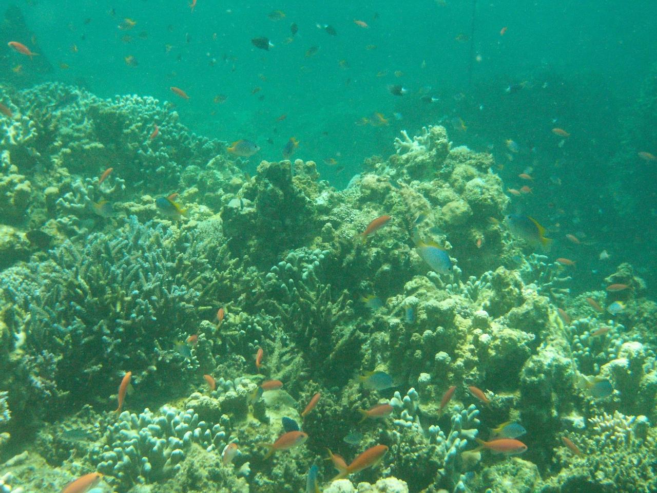
サンゴ
-
魚いっぱい。
-
ヒトデ
-
岩の下に魚。
-
イカの卵。
-
船でランチを食べて、御神崎を回って、川平石崎マンタシティへ。
-
3本目。
マンタはいるか!? -
早速マンタ2匹登場。
-
コバンザメもついてます。
-
岩場をグルグル旋回。
-
駆除したオニヒトデを食べるフグ。
-
3本目終了で石垣港へ。
お疲れ様でした。
利用規約に違反している投稿は、報告する事ができます。
コメントを投稿する前に
十分に確認の上、ご投稿ください。 コメントの内容は攻撃的ではなく、相手の気持ちに寄り添ったものになっていますか?
サイト共通ガイドライン(利用上のお願い)報道機関・マスメディアの方へ 画像提供などに関するお問い合わせは、専用のお問い合わせフォームからお願いいたします。
旅の計画・記録
マイルに交換できるフォートラベルポイントが貯まる
フォートラベルポイントって?
0
24