慶良間諸島旅行記(ブログ) 一覧に戻る
2日目は、泊港から高速船クィーンざまみに乗って、座間味島に行きます。<br /><br />今日は、クィーンざまみ、ちゃんと出航するそうですよ。<br />ある程度揺れましたね。<br />船に弱い方は、酔い止めを飲んだ方が良さそうです。<br /><br />55分で座間味に着きます。<br />ホテルは港から、徒歩五分ですが、スタッフが車で迎えに来てくれます。<br />ホテルに着いたら、急いで水着に着替えて、10:30に古座間味ビーチに送って行ってもらいます。

2011、沖縄旅行、2日目 古座間味ビーチでシュノーケリング

21いいね!

2011/08/31 - 2011/09/03

604位(同エリア1667件中)

6

47

ミン

ミンさん

2日目は、泊港から高速船クィーンざまみに乗って、座間味島に行きます。

今日は、クィーンざまみ、ちゃんと出航するそうですよ。
ある程度揺れましたね。
船に弱い方は、酔い止めを飲んだ方が良さそうです。

55分で座間味に着きます。
ホテルは港から、徒歩五分ですが、スタッフが車で迎えに来てくれます。
ホテルに着いたら、急いで水着に着替えて、10:30に古座間味ビーチに送って行ってもらいます。

一人あたり費用
5万円 - 10万円
交通手段
ANAグループ
旅行の手配内容
ツアー(添乗員同行なし)
利用旅行会社
ANAセールス
  • 建物は、高速船、フェリーなどのチェックインをする建物「とまりん」<br /><br />かりゆしアーバンリゾート・那覇と同じ建物のようです。<br />近くて迷わずにすみました。

    建物は、高速船、フェリーなどのチェックインをする建物「とまりん」

    かりゆしアーバンリゾート・那覇と同じ建物のようです。
    近くて迷わずにすみました。

  • クィーンざまみ乗り場は、港をぐるりと回り、徒歩7分くらい。

    クィーンざまみ乗り場は、港をぐるりと回り、徒歩7分くらい。

  • クィーンざまみ、船内

    クィーンざまみ、船内

  • 船の甲板からパチリ

    船の甲板からパチリ

  • 座間味村に到着

    座間味村に到着

  • 2泊お世話になるシラハマアイランズリゾートホテル前のアダンの実

    2泊お世話になるシラハマアイランズリゾートホテル前のアダンの実

  • 古座間味ビーチに到着<br /><br />ビーチパラソルとビーチチェア2脚で、2000円<br /><br />マスクとシュノーケルは持参したので、フィンを2つ借りて1000円でした。

    古座間味ビーチに到着

    ビーチパラソルとビーチチェア2脚で、2000円

    マスクとシュノーケルは持参したので、フィンを2つ借りて1000円でした。

  • しばらく泳いでいくと、お魚さんのお出迎え♪

    しばらく泳いでいくと、お魚さんのお出迎え♪

  • 黄色いスズメダイ

    黄色いスズメダイ

  • サンゴも元気

    サンゴも元気

  • トゲチョウチョウウオ

    トゲチョウチョウウオ

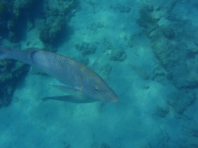
  • 浅い所でも良く見られるコバンアジ

    浅い所でも良く見られるコバンアジ

  • お昼にしましょう。<br /><br />古座間味ビーチには、食事できる海の家は1か所

    お昼にしましょう。

    古座間味ビーチには、食事できる海の家は1か所

  • でもこんなにメニューがあるんですよ。

    でもこんなにメニューがあるんですよ。

  • たくさんは席がありませんが、ここで食べました。

    たくさんは席がありませんが、ここで食べました。

  • 相棒は無難にカレー<br /><br />持ち帰ることのできる使い捨てのお皿

    相棒は無難にカレー

    持ち帰ることのできる使い捨てのお皿

  • 私は、「おすすめ!」と書いてあった、タコライス

    私は、「おすすめ!」と書いてあった、タコライス

  • マンゴーいちごミルクのかき氷

    マンゴーいちごミルクのかき氷

  • モンガラカワハギ

    モンガラカワハギ

  • ここ、古座間味ビーチの魚たちは、獲付けされている状態<br /><br />ソーセージをくれるシュノーケラーが来るのでしょう。<br /><br />トゲチョウチョウウオが何も持ってない私に近付いてきたのにはびっくり!

    ここ、古座間味ビーチの魚たちは、獲付けされている状態

    ソーセージをくれるシュノーケラーが来るのでしょう。

    トゲチョウチョウウオが何も持ってない私に近付いてきたのにはびっくり!

  • 波打ち際から、入って、すぐ深くなりますが、お魚ごっちゃりのところまですぐですよ。<br /><br />ぜんぜんつかれない。<br /><br />私はダイバーですが、体力に自信がなく、ライフジャケット必要かなと思ったのですが、全然大丈夫でした。<br /><br />ライフジャケット着てたら、潜水できない、写真もうまく撮れませんよね。<br />シュノーケルの写真初心者で失礼しました。

    波打ち際から、入って、すぐ深くなりますが、お魚ごっちゃりのところまですぐですよ。

    ぜんぜんつかれない。

    私はダイバーですが、体力に自信がなく、ライフジャケット必要かなと思ったのですが、全然大丈夫でした。

    ライフジャケット着てたら、潜水できない、写真もうまく撮れませんよね。
    シュノーケルの写真初心者で失礼しました。

  • 頑張って、ハマクマノミ、写真撮りました。<br /><br />あまり動かないので、取りやすいですが、ボケてますね。<br />ごめんなさい。

    頑張って、ハマクマノミ、写真撮りました。

    あまり動かないので、取りやすいですが、ボケてますね。
    ごめんなさい。

  • クマノミ<br /><br />いつも伊豆大島で見ているクマノミと色が違って、黒いので、これもクマノミ?と思い、写真撮りました。<br /><br />これもクマノミのようですね。

    クマノミ

    いつも伊豆大島で見ているクマノミと色が違って、黒いので、これもクマノミ?と思い、写真撮りました。

    これもクマノミのようですね。

  • ツノダシ<br /><br />小さく写ってますね。<br /><br />シュノーケルでももっと上手に撮りたいです。<br /><br />でもシュノーケルでは、ほどんど初めての経験。<br />思ったよりましに撮れた写真もあったかな。

    ツノダシ

    小さく写ってますね。

    シュノーケルでももっと上手に撮りたいです。

    でもシュノーケルでは、ほどんど初めての経験。
    思ったよりましに撮れた写真もあったかな。

  • 私の好きなトゲチョウチョウウオ

    私の好きなトゲチョウチョウウオ

  • 後ろにいるシュノーケラーが、ソーセージを網の袋に入れてました。

    後ろにいるシュノーケラーが、ソーセージを網の袋に入れてました。

  • ゴマモンガラ<br /><br />ここで初めて出会ったときは、思わず「キャー」と逃げてしまった。<br /><br />あまり近づいてくるので、よーく観察できました。<br />アップで写真撮りたかったけど、目と目など合わせて、かみつかれたら、怖いと思いました。<br /><br />ゴマモンガラは、餌をもらいたくて来ているので、巣を守っているわけではないので、だいじょうぶかな〜<br /><br />でも猫でも、目と目を合わせると攻撃してくると聞くし・・・

    ゴマモンガラ

    ここで初めて出会ったときは、思わず「キャー」と逃げてしまった。

    あまり近づいてくるので、よーく観察できました。
    アップで写真撮りたかったけど、目と目など合わせて、かみつかれたら、怖いと思いました。

    ゴマモンガラは、餌をもらいたくて来ているので、巣を守っているわけではないので、だいじょうぶかな〜

    でも猫でも、目と目を合わせると攻撃してくると聞くし・・・

  • 全然ちゃんと写ってませんが、黒い小さなイカの連隊を見たときは、うれしくて、思わず写真を撮ろうと近づいたら、さっと泳いで逃げて行ってしまった。<br />でもまた会うことができました。<br /><br />海の底にいるコウイカは良く見たことあるんですが、泳いでいるイカを良く見たことがなかったので、うれしかったです。

    全然ちゃんと写ってませんが、黒い小さなイカの連隊を見たときは、うれしくて、思わず写真を撮ろうと近づいたら、さっと泳いで逃げて行ってしまった。
    でもまた会うことができました。

    海の底にいるコウイカは良く見たことあるんですが、泳いでいるイカを良く見たことがなかったので、うれしかったです。

  • 黒い目のある、黒ぽいイカ

    黒い目のある、黒ぽいイカ

  • 海で食べた、お菓子御殿のお菓子<br /><br />鍵はホテルの部屋のもの

    海で食べた、お菓子御殿のお菓子

    鍵はホテルの部屋のもの

  • すごく古〜いエアコン

    すごく古〜いエアコン

  • ブラウン管のテレビでした。<br /> <br />でも気持ち良く過ごせるホテルでした。<br /><br />スタッフも良い方たちでした。<br /><br />洗濯機は、洗剤代50円払うと使えて、ベランダもあるので、ハンガー他もいっぱいあって、便利でした。<br />洗濯バサミを少し持って行くと良かった。<br /><br />お掃除、タオル替えは、やってもらいたいときは、朝9時までにフロントに申し出ます。

    ブラウン管のテレビでした。
     
    でも気持ち良く過ごせるホテルでした。

    スタッフも良い方たちでした。

    洗濯機は、洗剤代50円払うと使えて、ベランダもあるので、ハンガー他もいっぱいあって、便利でした。
    洗濯バサミを少し持って行くと良かった。

    お掃除、タオル替えは、やってもらいたいときは、朝9時までにフロントに申し出ます。

  • 1日目の晩御飯です。

    1日目の晩御飯です。

  • 夕飯を食べたら、早くに寝てしまいました。<br /><br />座間味、1日目、終わり。

    夕飯を食べたら、早くに寝てしまいました。

    座間味、1日目、終わり。

この旅行記のタグ

21いいね!

利用規約に違反している投稿は、報告する事ができます。 問題のある投稿を連絡する

この旅行記へのコメント (6)

開く

閉じる

  • くまのみホヌ子さん 2011/09/26 19:30:12
    シュノーケリングでも上等さ!
    ミンさん、こんにちは

    座間味も行ってみたい!
    シュノーケリングで近場でこれだけお魚いるなんて天国だね。

    お食事もおいしそう!
    もしくまのみ夫婦がここに行ったら、これと同じメニューを頼むような気がします。
    絶対にラストの“マンゴーいちごミルクのかき氷”ははずせないですよねー。
    食いたいっ!!

    ところで、ゴマモンガラは猫でも目が合うと攻撃してくるって本当?
    その場合、猫は泳いだ状態で目があうのだろうか・・・
    気になってしょうがない・・・

    さすがお魚が綺麗に撮れてる。
    楽しませていただきました。

       のみホ

    ミン

    ミンさん からの返信 2011/10/01 20:45:33
    RE: シュノーケリングでも上等さ!
    のみホさん、こんばんは。

    コメント、ご投票ありがとうございました。
    お返事、遅くなりごめんなさい。

    昨日、4日間のロタ島旅行から帰ってきました。
    天気予報の衛星写真から、想像できないほど、お天気に恵まれました。
    海況は、次から次へとできる台風のせいで、もう1つでしたが、ダイビング楽しんできました。

    >
    > ところで、ゴマモンガラは猫でも目が合うと攻撃してくるって本当?
    > その場合、猫は泳いだ状態で目があうのだろうか・・・
    > 気になってしょうがない・・・

    ごめんね。日本語がおかしいし、猫での例えを出したので、混乱させてしまいました。

    猫の目を見ると攻撃してくるって、聞いたことありませんか?
    私は、自分の飼いネコでも、目をじっと見るのは避けています。
    猫も嫌かなと思ってます。
    ホヌちゃんちの猫は、おとなしいんでしょうね。
    うちの今の飼いネコのミンミンは、ミックスで、お外にも行きますが(いけないよね、次の猫を飼うときは、室内飼いにしないといけないとは、思ってますが・・・)
    ミンミンは、おとなしい優しい子で、喧嘩も弱く、逃げてますが、前代のシャム猫のミックスだった子は、気が強かったのよ。

    ゴマモンガラも猫と同じで、目を見ると、攻撃されちゃうのかなと思って、接写では、怖くて写真撮れませんでした。

    冗談が通じないミンでした。

    それではまた遊びに行きますね。

    ミン
  • norinoriさん 2011/09/09 00:17:49
    のんびりシュノーケルもいいね (^o-)b
    ミンさん、再びこんばんは♪

    座間味のビーチ、とってもキレイ!
    こんなにビーチの近くなのにお魚がたくさんいますね。
    慶良間諸島は那覇からのワンデイトリップでダイビングに行って、とってもキレイな海だった印象があります。
    けれど滞在したことは無いので憧れます。
    やっぱり離島はいいな〜 v(^o^)v

    今回はノーダイビングでしたっけ?
    ちょっぴり残念 (>_<)
    でもシュノーケルでこれだけ見れたら充分かも?

    では、またね。

    norinori

    ミン

    ミンさん からの返信 2011/09/09 11:36:31
    RE: のんびりシュノーケルもいいね (^o-)b
    norinoriさん、こちらにも、本当にありがとうございます。
    >
    > 座間味のビーチ、とってもキレイ!
    > こんなにビーチの近くなのにお魚がたくさんいますね。
    > 慶良間諸島は那覇からのワンデイトリップでダイビングに行って、とってもキレイな海だった印象があります。
    > けれど滞在したことは無いので憧れます。
    > やっぱり離島はいいな〜 v(^o^)v
    >
    > 今回はノーダイビングでしたっけ?
    > ちょっぴり残念 (>_<)
    > でもシュノーケルでこれだけ見れたら充分かも?
    >
    シュノーケルだけでも、楽しかったですよ。
    もう1日、オサカナ見ていたかったかなぁ。

    でもやっぱりダイビングしてみたかったなぁ
    1度はケラマでダイビングしてみたい。
    1人で行っちゃえば、簡単なんですが、なかなかだめです。

    それでは、また。

    ミン
  • zzr-cさん 2011/09/07 10:40:26
    ビーチが綺麗
    ミンさま こんにちは!

    船はこんなに大きなものですか、これなら快適に行けそうですね。

    そしてビーチが滅茶苦茶綺麗ですね!

    離島になるとこんなにレベルが上がるんですね!

    そして魚もいっぱいいますねぇ〜

    ゴマモンガラって目玉がぎょろっとしていて怖い顔しています^^;

    スノーケルで十分すぎる魚影、スノーケルならずーっと
    海の中に入っていられますしね^_^

    こりゃ大満足ですね^_^

    じぃ〜

    ミン

    ミンさん からの返信 2011/09/08 22:49:23
    RE: ビーチが綺麗
    じぃ〜さま、こちらにも、投票、コメントありがとうございます!
    >
    > そしてビーチが滅茶苦茶綺麗ですね!
    >
    > 離島になるとこんなにレベルが上がるんですね!

    はい、しかも気楽に行けるので、よかったです。
    レンタルなしなら、無料で楽しめる!!
    >
    > そして魚もいっぱいいますねぇ〜
    >
    > ゴマモンガラって目玉がぎょろっとしていて怖い顔しています^^;

    そうなんですよ。お魚天国でした。
    ゴマモンガラの目の周りって、黄色と緑のきれいなプラスティックみたいでした。本当に写真アップで撮れたらなぁ。怖すぎて出来なかった!
    >

    じぃ〜さまは、もうすぐ、バリに10日間旅行ですね♪
    楽しんできてくださいね。
    旅行記楽しみにしてますね。

    私は、月末、ロタに4日間で行ってきます。
    また、台風と雨雲の心配しなければなりません(*_*;

    ミン

ミンさんのトラベラーページ

コメントを投稿する前に

十分に確認の上、ご投稿ください。 コメントの内容は攻撃的ではなく、相手の気持ちに寄り添ったものになっていますか?

サイト共通ガイドライン(利用上のお願い)

報道機関・マスメディアの方へ 画像提供などに関するお問い合わせは、専用のお問い合わせフォームからお願いいたします。

旅の計画・記録

マイルに交換できるフォートラベルポイントが貯まる
フォートラベルポイントって?

フォートラベル公式LINE@

おすすめの旅行記や旬な旅行情報、お得なキャンペーン情報をお届けします!
QRコードが読み取れない場合はID「@4travel」で検索してください。

\その他の公式SNSはこちら/

タグから国内旅行記(ブログ)を探す

価格.com旅行・トラベルホテル・旅館を比較

PAGE TOP