コタキナバル旅行記(ブログ) 一覧に戻る
4泊6日のコタキナバル・シンガポール旅行。<br /><br />この時期、アジアで雨季じゃなくて、そこそこリゾート地で、シュノーケルができる所は何処〜?と探した結果、<br />浮上したのがコタキナバル。<br /><br />シュノーケリングを楽しみたい!でも、ちょっと都会も味わいたい!ということで<br />シンガポール航空を利用して、帰りにシンガポールに立ち寄る日程にしました。<br /><br /><br /><br /><br />

初めてのコタキナバル/ステラハーバーリゾート・マヌカン島

12いいね!

2011/08/17 - 2011/08/20

561位(同エリア1648件中)

0

34

Bingo

Bingoさん

4泊6日のコタキナバル・シンガポール旅行。

この時期、アジアで雨季じゃなくて、そこそこリゾート地で、シュノーケルができる所は何処〜?と探した結果、
浮上したのがコタキナバル。

シュノーケリングを楽しみたい!でも、ちょっと都会も味わいたい!ということで
シンガポール航空を利用して、帰りにシンガポールに立ち寄る日程にしました。




旅行の満足度
4.5
同行者
カップル・夫婦
一人あたり費用
15万円 - 20万円
交通手段
タクシー
航空会社
シンガポール航空
旅行の手配内容
個別手配
  • 深夜の羽田空港国際線ターミナル。<br /><br />夏休みということもあり、結構混んでます。<br /><br />

    深夜の羽田空港国際線ターミナル。

    夏休みということもあり、結構混んでます。

  • 0:30発のシンガポール航空(SQ633便)で、まずはシンガポールへ出発!<br /><br />出発すると、「リフレッシュメント」という名の軽食が出てきます。<br /><br />私は、サーモンのサンドイッチを選択。

    0:30発のシンガポール航空(SQ633便)で、まずはシンガポールへ出発!

    出発すると、「リフレッシュメント」という名の軽食が出てきます。

    私は、サーモンのサンドイッチを選択。

  • シンガポール航空はエコノミーでもエンターテイメントが充実。<br /><br />映画や音楽もいろいろあったのですが、深夜ということもあり睡眠を。<br /><br />深夜便ではちゃんと靴下も配られるので、安心です。<br /><br />到着前の明け方、朝食。<br /><br />

    シンガポール航空はエコノミーでもエンターテイメントが充実。

    映画や音楽もいろいろあったのですが、深夜ということもあり睡眠を。

    深夜便ではちゃんと靴下も配られるので、安心です。

    到着前の明け方、朝食。

  • チャンギ空港に到着。<br /><br />シルクエアーに乗換え、いざコタキナバルへ!<br /><br />チャンギ空港の夜明け。綺麗ですね〜♪

    チャンギ空港に到着。

    シルクエアーに乗換え、いざコタキナバルへ!

    チャンギ空港の夜明け。綺麗ですね〜♪

  • 約2時間ほどのフライトでコタキナバル空港に到着!<br /><br />空港は新しくてかなり立派です。<br /><br />

    約2時間ほどのフライトでコタキナバル空港に到着!

    空港は新しくてかなり立派です。

  • 空港から宿泊先であるステラハーバーリゾートへ。<br /><br />リゾート感、という面で評価の高かったマゼランウイングに宿泊しました。<br /><br />空港のタクシーチケット売り場でチケット購入し(ステラハーバーまではRM30)、向かいました。

    空港から宿泊先であるステラハーバーリゾートへ。

    リゾート感、という面で評価の高かったマゼランウイングに宿泊しました。

    空港のタクシーチケット売り場でチケット購入し(ステラハーバーまではRM30)、向かいました。

  • ホテルのロビーラウンジ「Tarik&#39;s」で座ってチェックインです。<br /><br />あれ?エクスペディアで予約していた金額と違う?<br /><br />デポジットが含まれているそうですが、<br />トータル表示な上にRMなので一瞬よくわからないっ!!<br /><br />部屋に戻って計算して、やはり「あれ?」という事になり<br />宿泊中若干不安でしたが、ちゃんとチェックアウト時には予約した金額が請求されました。<br /><br />何も印刷してこなかったので、予約を証明するものもなく・・<br /><br />ネット予約をしたら、バウチャーは必ず持って行くべきですね!<br /><br />

    ホテルのロビーラウンジ「Tarik's」で座ってチェックインです。

    あれ?エクスペディアで予約していた金額と違う?

    デポジットが含まれているそうですが、
    トータル表示な上にRMなので一瞬よくわからないっ!!

    部屋に戻って計算して、やはり「あれ?」という事になり
    宿泊中若干不安でしたが、ちゃんとチェックアウト時には予約した金額が請求されました。

    何も印刷してこなかったので、予約を証明するものもなく・・

    ネット予約をしたら、バウチャーは必ず持って行くべきですね!

  • 部屋はこんな感じ。<br /><br />他の方たちも書いていますが、確かに狭いです。<br /><br />スーツケースを2個広げたら、結構いっぱいいっぱい。<br />

    部屋はこんな感じ。

    他の方たちも書いていますが、確かに狭いです。

    スーツケースを2個広げたら、結構いっぱいいっぱい。

  • ホテルのアメニティ。<br /><br />正直、ここのシャンプー類の香りが苦手で。<br /><br />文化の違いでしょうか、日本から持ってきたものを使いました。

    ホテルのアメニティ。

    正直、ここのシャンプー類の香りが苦手で。

    文化の違いでしょうか、日本から持ってきたものを使いました。

  • おなかが空いたので、ホテル内のレストラン「Al Fresco」へ。<br /><br />一応、イタリアンのお店なのですが、せっかくマレーシアに来たので<br />マレーっぽい料理を。<br /><br />夫はナシゴレンの盛り合わせ(RM32)<br /><br />

    おなかが空いたので、ホテル内のレストラン「Al Fresco」へ。

    一応、イタリアンのお店なのですが、せっかくマレーシアに来たので
    マレーっぽい料理を。

    夫はナシゴレンの盛り合わせ(RM32)

  • 私はラクサ。(RM30)<br /><br />どちらも本格的で、すごく美味しかったです!!<br /><br />・・・ただ、食事が出てくるのに40分以上掛かりました。。。<br /><br />コタキナバル時間なんですかね〜。<br /><br />お店の人がフレンドリーなのでいろいろ話しかけてきてくれるんで、<br />全然時間は気にならないんですが、気づいたら結構な時間が経っていた・・・

    私はラクサ。(RM30)

    どちらも本格的で、すごく美味しかったです!!

    ・・・ただ、食事が出てくるのに40分以上掛かりました。。。

    コタキナバル時間なんですかね〜。

    お店の人がフレンドリーなのでいろいろ話しかけてきてくれるんで、
    全然時間は気にならないんですが、気づいたら結構な時間が経っていた・・・

  • 午後はホテルのビーチへ!<br /><br />乾季のせいか、風が抜けて本当に気持ちのよいプールです。

    午後はホテルのビーチへ!

    乾季のせいか、風が抜けて本当に気持ちのよいプールです。

  • タオルは部屋番号を言えば貸してもらえます。<br /><br />あ〜極楽。

    タオルは部屋番号を言えば貸してもらえます。

    あ〜極楽。

  • 狭い、と噂のプライベートビーチ。<br /><br />ほんとにこれだけです(笑)<br /><br />誰も泳いでいませんでしたが、私たちは果敢にもシュノーケリングにチャレンジ!!

    狭い、と噂のプライベートビーチ。

    ほんとにこれだけです(笑)

    誰も泳いでいませんでしたが、私たちは果敢にもシュノーケリングにチャレンジ!!

  • こんな感じで透明度は無いですが・・・

    こんな感じで透明度は無いですが・・・

  • 潜るといるいる魚たち!<br /><br />餌付けされているのでしょう。こっちに寄ってきます!

    潜るといるいる魚たち!

    餌付けされているのでしょう。こっちに寄ってきます!

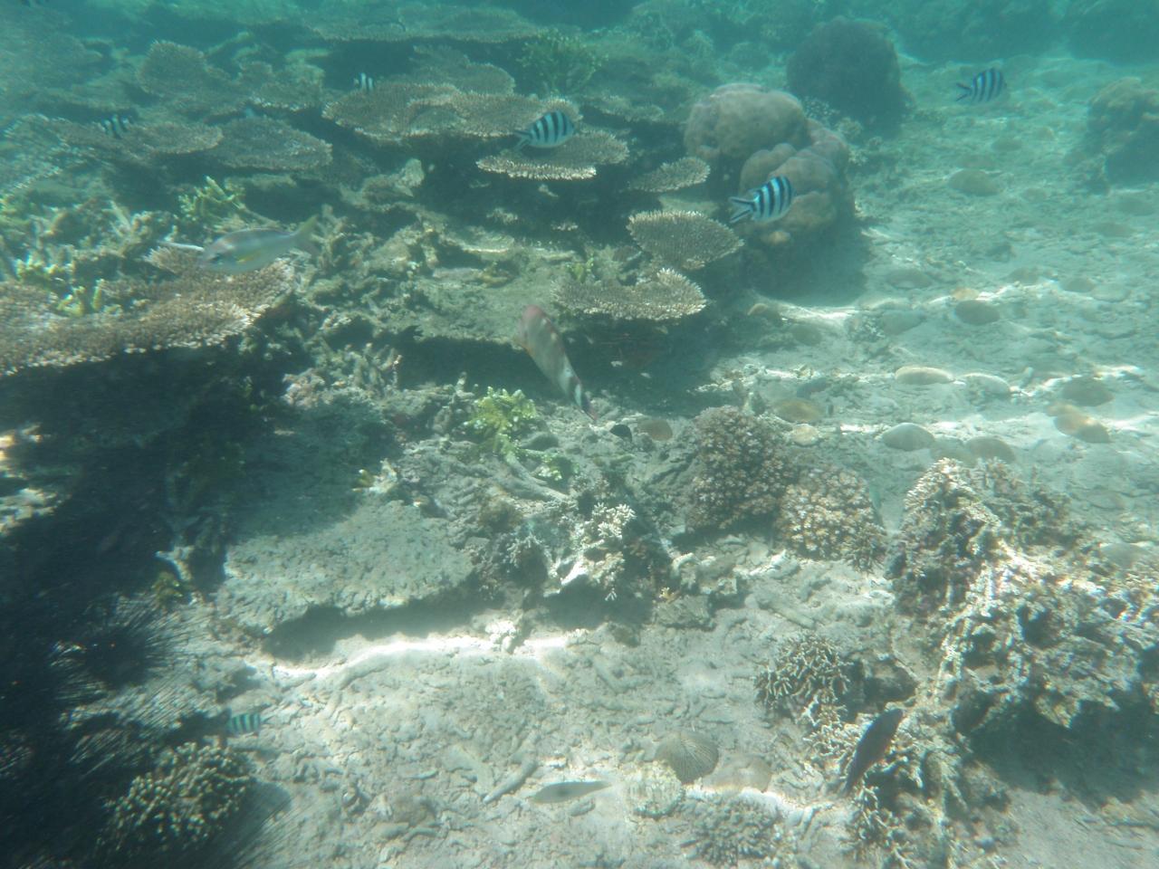
  • 翌日、マヌカン島で見た魚たちと種類は一緒でした。<br /><br />別の日に子供たちも泳いでいたし、そこまでびどいビーチでも無いかも。<br /><br />

    翌日、マヌカン島で見た魚たちと種類は一緒でした。

    別の日に子供たちも泳いでいたし、そこまでびどいビーチでも無いかも。

  • 2日目はマヌカン島に。<br /><br />フェリーを運営してる「Sea Quest」はパシフィックホテル側にあるので、<br />マゼランからは7分ほど歩きます。<br /><br />フェリーのみの単純往復だと、大人1人50RM。<br /><br />あとはミネラルウォーターを1本ずつもらえます。<br /><br />1時間に1本なので、出発前にはかなりの人が。<br /><br />時間になると名前を呼ばれ、いざ乗船!

    2日目はマヌカン島に。

    フェリーを運営してる「Sea Quest」はパシフィックホテル側にあるので、
    マゼランからは7分ほど歩きます。

    フェリーのみの単純往復だと、大人1人50RM。

    あとはミネラルウォーターを1本ずつもらえます。

    1時間に1本なので、出発前にはかなりの人が。

    時間になると名前を呼ばれ、いざ乗船!

  • すごい速さでマヌカン島に向かいます!<br /><br />ほんの10分程度でマヌカン島へ。<br /><br />

    すごい速さでマヌカン島に向かいます!

    ほんの10分程度でマヌカン島へ。

  • 私たちが泳いだのは、桟橋から10分程度歩いたビーチ。<br /><br />人も少なくて、ノンビリできました〜。

    私たちが泳いだのは、桟橋から10分程度歩いたビーチ。

    人も少なくて、ノンビリできました〜。

  • 餌付けのせいでしょうか、泳いでいると魚もついてきます。

    餌付けのせいでしょうか、泳いでいると魚もついてきます。

  • 「ご飯ちょーだい!」って言ってるみたい。

    「ご飯ちょーだい!」って言ってるみたい。

  • 帰りのフェリー乗り場。<br /><br />桟橋付近にも魚がいっぱい。<br /><br />この辺が魚の数だけで言えば、一番多く、その分シュノーケル人で<br />結構キツキツに。<br /><br />

    帰りのフェリー乗り場。

    桟橋付近にも魚がいっぱい。

    この辺が魚の数だけで言えば、一番多く、その分シュノーケル人で
    結構キツキツに。

  • 翌日の朝ごはんは、ホテルの「Five Sails」へ。<br /><br />種類も豊富でかなりおススメです!<br />基本はコンチネンタルですが、マレーあり、韓国あり、中華あり。<br /><br />しかも次の日はまったく違うメニュー。<br />嬉しいですね〜。<br /><br />インドのナンに似た「ロティ」はその場で焼いてくれます。<br /><br />生地をグルングルン薄ーく伸ばして、作っていくのは面白いですよ。<br /><br />

    翌日の朝ごはんは、ホテルの「Five Sails」へ。

    種類も豊富でかなりおススメです!
    基本はコンチネンタルですが、マレーあり、韓国あり、中華あり。

    しかも次の日はまったく違うメニュー。
    嬉しいですね〜。

    インドのナンに似た「ロティ」はその場で焼いてくれます。

    生地をグルングルン薄ーく伸ばして、作っていくのは面白いですよ。

  • 私たちは朝食込みのプランでしたが、朝食券はなく<br />お店の人に部屋番号を言って入ります。<br /><br />プール側があいていたら、リクエストしてみてください!<br /><br />風が本当に気持ちいいです!<br /><br />私たちも2日目にラッキーにもプール席をGET!

    私たちは朝食込みのプランでしたが、朝食券はなく
    お店の人に部屋番号を言って入ります。

    プール側があいていたら、リクエストしてみてください!

    風が本当に気持ちいいです!

    私たちも2日目にラッキーにもプール席をGET!

  • 朝食の後は、ホテル内を散歩。<br /><br />

    朝食の後は、ホテル内を散歩。

  • まー本当に、居心地の良いホテルです。<br /><br />

    まー本当に、居心地の良いホテルです。

  • ホテルの食事が続いていたので、夜は新しくできた<br />地元のオシャレスポット(?)「グレースポイント」の<br />フードコートです。<br /><br />一応、ステラハーバーからも歩けるそうですが、途中の道が<br />かなり暗いのでタクシーのほうが賢明です。<br /><br />ステラからグレースポイントまでは12RM。<br /><br />

    ホテルの食事が続いていたので、夜は新しくできた
    地元のオシャレスポット(?)「グレースポイント」の
    フードコートです。

    一応、ステラハーバーからも歩けるそうですが、途中の道が
    かなり暗いのでタクシーのほうが賢明です。

    ステラからグレースポイントまでは12RM。

  • こんな風にマレー、インド、中華、、、、飲み物とブースに分かれているので、好きなものを買って客席で食べます。<br />日本のフードコートと同じ。<br /><br />

    こんな風にマレー、インド、中華、、、、飲み物とブースに分かれているので、好きなものを買って客席で食べます。
    日本のフードコートと同じ。

  • 私たちは、また懲りずにマレー料理。<br /><br />(お水は不安だったので、ステラハーバーのを持参)<br /><br />帰りは入口にセキュリティーの人たちがいるので、その人達に<br />頼んでタクシーを呼んで貰いました。(こうすれば良いと、ステラの<br />人に教えて貰いました)<br /><br />よく見ると、セキュリティーの人たちも「ステラハーバー」の<br />帽子を被ってる!!<br /><br />どうやらこのグレースポイントはステラ系列orステラに警備を委託?<br />何かしら関連があるとのこと。

    私たちは、また懲りずにマレー料理。

    (お水は不安だったので、ステラハーバーのを持参)

    帰りは入口にセキュリティーの人たちがいるので、その人達に
    頼んでタクシーを呼んで貰いました。(こうすれば良いと、ステラの
    人に教えて貰いました)

    よく見ると、セキュリティーの人たちも「ステラハーバー」の
    帽子を被ってる!!

    どうやらこのグレースポイントはステラ系列orステラに警備を委託?
    何かしら関連があるとのこと。

  • さて、4日目。コタキナバルからシンガポールに出発です!

    さて、4日目。コタキナバルからシンガポールに出発です!

この旅行記のタグ

12いいね!

利用規約に違反している投稿は、報告する事ができます。 問題のある投稿を連絡する

コメントを投稿する前に

十分に確認の上、ご投稿ください。 コメントの内容は攻撃的ではなく、相手の気持ちに寄り添ったものになっていますか?

サイト共通ガイドライン(利用上のお願い)

報道機関・マスメディアの方へ 画像提供などに関するお問い合わせは、専用のお問い合わせフォームからお願いいたします。

旅の計画・記録

マイルに交換できるフォートラベルポイントが貯まる
フォートラベルポイントって?

マレーシアで使うWi-Fiはレンタルしましたか?

フォートラベル GLOBAL WiFiなら
マレーシア最安 343円/日~

  • 空港で受取・返却可能
  • お得なポイントがたまる

マレーシアの料金プランを見る

フォートラベル公式LINE@

おすすめの旅行記や旬な旅行情報、お得なキャンペーン情報をお届けします!
QRコードが読み取れない場合はID「@4travel」で検索してください。

\その他の公式SNSはこちら/

この旅行記の地図

拡大する

PAGE TOP