西表島旅行記(ブログ) 一覧に戻る
マリンサービスふしまのパナリツアー 昼から3カ所目のポイントは パナリ沖。<br />コバルトブルーが綺麗なスズメダイが枝サンゴに絡み合っています。<br /><br /><br />登場人物 <br />◇かめさん 人間の勇者・水中デジカメを装備 観光客 民宿みやよし荘と民宿のどかを渡り歩く<br />◇あきさん 民宿みやよし荘のご主人 ヤシガニそばと自転車修理が得意 島バナナ・キラザ食べ放題がうれしい民宿<br />◇くろさん マリンサービスふしまの船長 パナリツアーはお任せ どんな浜にでも寄せてくれる<br />◇ハナミさん マリンサービスふしまの営業部長 たまに石垣島に行ったまま帰ってこない。<br />◇みやさん 民宿のどかのご主人 中華の料理人 毎朝のランニングが日課 夏休み期間中は朝のラジオ体操のリーダー。健康診断で運動不足を指摘される 毎朝ランニング10kmやっているのに、なんで!!!<br />◇岩さん 黒島に長期滞在中 今の住処は仲本 黒島・パナリに詳しい なぜか高橋のおばぁから頼りにされている<br />◇でんこうじぃ 黒島仲本では知らない人はいない 民宿に出没し、泡盛を飲んでいつの間にか去っていく。 <br />◇のりお 誰からも のりおと呼び捨てで呼ばれる 謎の人物 西表島でリストラされて黒島に戻ってぶらぶらしているといううわさもある <br />◇高橋のばばあ 黒島に長期滞在中 今の住処は民宿みやよし荘 確認できているだけで31年間は黒島に通い続けている 通い続けている観光客の中では最古参。<br />人に物を頼むときも上から目線で命令口調で言うので、皆からばばあと言われている。みやよし荘ではいつも同じ倚子にすわっている 31年前から同じ。たまに騒ぎ出して周りの人に迷惑をかける。毎年6月に来て8月に帰る。<br />若い頃は、黒島・パナリの海で暴れまくっていた。今でも仲本海岸でひとり泳いでいるらしいが、その姿を見た者はいない。<br />民宿みやよし荘で、パナリツアーのパンフをずっと眺めていた。<br />◇服部さん 元高橋のばばあの子分 常連観光客だったが、現在、黒島仲本に定住。海の事なら服部さんに聞け と言われるほど、黒島・パナリを行き尽くしたが、今は海よりも 牛に興味がうつり 牛を飼っている。

枝サンゴとルリスズメダイ 奇跡の7日間(爆) 八重山 黒島・パナリ旅行記 2010年8月第2日4

1いいね!

2010/08/13 - 2010/08/19

1996位(同エリア2192件中)

0

29

かめ

かめさん

マリンサービスふしまのパナリツアー 昼から3カ所目のポイントは パナリ沖。
コバルトブルーが綺麗なスズメダイが枝サンゴに絡み合っています。


登場人物 
◇かめさん 人間の勇者・水中デジカメを装備 観光客 民宿みやよし荘と民宿のどかを渡り歩く
◇あきさん 民宿みやよし荘のご主人 ヤシガニそばと自転車修理が得意 島バナナ・キラザ食べ放題がうれしい民宿
◇くろさん マリンサービスふしまの船長 パナリツアーはお任せ どんな浜にでも寄せてくれる
◇ハナミさん マリンサービスふしまの営業部長 たまに石垣島に行ったまま帰ってこない。
◇みやさん 民宿のどかのご主人 中華の料理人 毎朝のランニングが日課 夏休み期間中は朝のラジオ体操のリーダー。健康診断で運動不足を指摘される 毎朝ランニング10kmやっているのに、なんで!!!
◇岩さん 黒島に長期滞在中 今の住処は仲本 黒島・パナリに詳しい なぜか高橋のおばぁから頼りにされている
◇でんこうじぃ 黒島仲本では知らない人はいない 民宿に出没し、泡盛を飲んでいつの間にか去っていく。 
◇のりお 誰からも のりおと呼び捨てで呼ばれる 謎の人物 西表島でリストラされて黒島に戻ってぶらぶらしているといううわさもある 
◇高橋のばばあ 黒島に長期滞在中 今の住処は民宿みやよし荘 確認できているだけで31年間は黒島に通い続けている 通い続けている観光客の中では最古参。
人に物を頼むときも上から目線で命令口調で言うので、皆からばばあと言われている。みやよし荘ではいつも同じ倚子にすわっている 31年前から同じ。たまに騒ぎ出して周りの人に迷惑をかける。毎年6月に来て8月に帰る。
若い頃は、黒島・パナリの海で暴れまくっていた。今でも仲本海岸でひとり泳いでいるらしいが、その姿を見た者はいない。
民宿みやよし荘で、パナリツアーのパンフをずっと眺めていた。
◇服部さん 元高橋のばばあの子分 常連観光客だったが、現在、黒島仲本に定住。海の事なら服部さんに聞け と言われるほど、黒島・パナリを行き尽くしたが、今は海よりも 牛に興味がうつり 牛を飼っている。

一人あたり費用
10万円 - 15万円
交通手段
タクシー JALグループ 私鉄 徒歩
旅行の手配内容
ツアー(添乗員同行なし)
  • 黄色いテーブルサンゴ

    黄色いテーブルサンゴ

  • 枝サンゴとテーブルサンゴ

    枝サンゴとテーブルサンゴ

  • 枝サンゴのアップ

    枝サンゴのアップ

  • シュノーケルでも こんな写真が簡単に撮れます

    シュノーケルでも こんな写真が簡単に撮れます

  • 日の光に照らされて テーブルサンゴが輝いています

    日の光に照らされて テーブルサンゴが輝いています

  • 茶系のテーブルサンゴ

    茶系のテーブルサンゴ

  • 鹿の角サンゴ

    鹿の角サンゴ

  • 鹿の角サンゴ

    鹿の角サンゴ

  • テーブルサンゴと魚が綺麗です

    テーブルサンゴと魚が綺麗です

  • 黄色いテーブルサンゴ

    黄色いテーブルサンゴ

  • 元気な枝サンゴ

    元気な枝サンゴ

  • 元気な枝サンゴ

    元気な枝サンゴ

  • テーブルサンゴ

    テーブルサンゴ

  • テーブルサンゴ

    テーブルサンゴ

  • 脳みそみたいなサンゴ

    脳みそみたいなサンゴ

  • 鹿の角サンゴ

    鹿の角サンゴ

  • 鹿の角サンゴに ルリスズメダイが綺麗です

    鹿の角サンゴに ルリスズメダイが綺麗です

  • 鹿の角サンゴに ルリスズメダイが綺麗です

    鹿の角サンゴに ルリスズメダイが綺麗です

  • 鹿の角サンゴに ルリスズメダイが綺麗です

    鹿の角サンゴに ルリスズメダイが綺麗です

  • テーブルサンゴ あっ 右側にオニヒトデが

    テーブルサンゴ あっ 右側にオニヒトデが

  • テーブルサンゴ

    テーブルサンゴ

  • テーブルサンゴ

    テーブルサンゴ

  • 枝サンゴ

    枝サンゴ

  • 枝サンゴとスズメダイ

    枝サンゴとスズメダイ

  • 枝サンゴとスズメダイ

    枝サンゴとスズメダイ

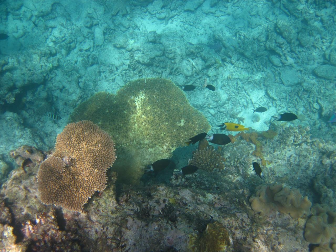
  • 枝サンゴとルリスズメダイ

    枝サンゴとルリスズメダイ

  • 枝サンゴとルリスズメダイ<br /><br />サンゴの赤とスズメダイの青が綺麗です

    枝サンゴとルリスズメダイ

    サンゴの赤とスズメダイの青が綺麗です

  • 枝サンゴとルリスズメダイ

    枝サンゴとルリスズメダイ

この旅行記のタグ

1いいね!

利用規約に違反している投稿は、報告する事ができます。 問題のある投稿を連絡する

コメントを投稿する前に

十分に確認の上、ご投稿ください。 コメントの内容は攻撃的ではなく、相手の気持ちに寄り添ったものになっていますか?

サイト共通ガイドライン(利用上のお願い)

報道機関・マスメディアの方へ 画像提供などに関するお問い合わせは、専用のお問い合わせフォームからお願いいたします。

旅の計画・記録

マイルに交換できるフォートラベルポイントが貯まる
フォートラベルポイントって?

フォートラベル公式LINE@

おすすめの旅行記や旬な旅行情報、お得なキャンペーン情報をお届けします!
QRコードが読み取れない場合はID「@4travel」で検索してください。

\その他の公式SNSはこちら/

価格.com旅行・トラベルホテル・旅館を比較

PAGE TOP