サバ州旅行記(ブログ) 一覧に戻る
波の音で目覚める休日.幸せ♪<br />

マタキングアイランドの休日~カメたちの産卵地

18いいね!

2009/08/09 - 2009/08/12

18位(同エリア105件中)

2

26

ミルクティー

ミルクティーさん

波の音で目覚める休日.幸せ♪

  • 同じレストランですが,バリエは豊富.<br /><br />右端のクレープは,レモン風味でおいしい♪<br /><br />蜂蜜や,自家製ジャム(なんのジャムか不明)をとろーりとかけて,たっぷり頂きました.<br /><br />グリル担当のおじさんが,朝はオムレツを焼いてくれました.

    同じレストランですが,バリエは豊富.

    右端のクレープは,レモン風味でおいしい♪

    蜂蜜や,自家製ジャム(なんのジャムか不明)をとろーりとかけて,たっぷり頂きました.

    グリル担当のおじさんが,朝はオムレツを焼いてくれました.

  • 昨日同様,ちょっと波がありましたが<br />とてもキレイな海.<br /><br />少し沖に出ると,ドロップオフがあり,その周囲にサンゴや魚がいっぱい♪<br /><br />普段は足の付かないプールでも平気で泳ぐうちの子達も,ちょっと波が怖い様子.<br /><br />すこし泳いで「しょっぱい!!」<br /><br /><br /><br />当たり前だ・・海だもん<br /><br />波打ち際でも,サカナがいっぱい泳いでいます.

    昨日同様,ちょっと波がありましたが
    とてもキレイな海.

    少し沖に出ると,ドロップオフがあり,その周囲にサンゴや魚がいっぱい♪

    普段は足の付かないプールでも平気で泳ぐうちの子達も,ちょっと波が怖い様子.

    すこし泳いで「しょっぱい!!」



    当たり前だ・・海だもん

    波打ち際でも,サカナがいっぱい泳いでいます.

  • シュノーケルに挑戦.<br /><br />もっと透き通っているかと思いましたが,お魚はいっぱい見えました.<br /><br />コンパクトデジカメをディカパックに入れても,結構撮れるもんだな〜と思いましたが,液晶画面は反射してしまってうまく見えませんでした.<br /><br />なので,適当に.

    シュノーケルに挑戦.

    もっと透き通っているかと思いましたが,お魚はいっぱい見えました.

    コンパクトデジカメをディカパックに入れても,結構撮れるもんだな〜と思いましたが,液晶画面は反射してしまってうまく見えませんでした.

    なので,適当に.

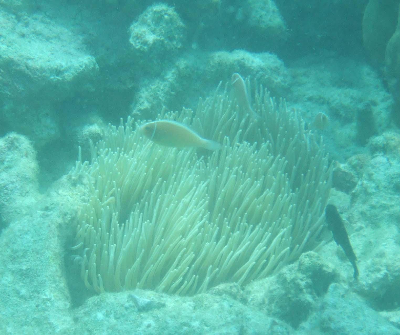
  • ハナビラクマノミさんもあちこちに

    ハナビラクマノミさんもあちこちに

  • 次男は疲れてお昼寝.<br /><br />贅沢な休日だな〜.

    次男は疲れてお昼寝.

    贅沢な休日だな〜.

  • マタキング島のすぐそばに,クチル島という無人島があります.引き潮になると,白い道が現れて,歩いてクチル島まで渡ることができます.<br /><br />次男が寝ているうちにクチル島へお散歩.

    マタキング島のすぐそばに,クチル島という無人島があります.引き潮になると,白い道が現れて,歩いてクチル島まで渡ることができます.

    次男が寝ているうちにクチル島へお散歩.

  • 一面に波の跡.<br /><br />砂には取り残されたヤドカリやかにが.

    一面に波の跡.

    砂には取り残されたヤドカリやかにが.

  • 浅瀬のイソギンチャクに,クマノミ発見.<br /><br />けど,ものすごい警戒態勢.<br /><br />何もしませんってば.

    浅瀬のイソギンチャクに,クマノミ発見.

    けど,ものすごい警戒態勢.

    何もしませんってば.

  • こちらにもハナビラクマノミ<br /><br />

    こちらにもハナビラクマノミ

  • 見事なサンゴ

    見事なサンゴ

  • おお!カメの卵を狙うオオトカゲ発見!

    おお!カメの卵を狙うオオトカゲ発見!

  • 只今,お掃除中.<br /><br />気持ちよさげ.

    只今,お掃除中.

    気持ちよさげ.

  • まだ寝てる・・<br /><br /><br />おーい,いい加減に起きろ〜<br /><br />夜眠れなくなるぞ〜<br /><br /><br />ところが,このお昼寝が,後々良い方向に.

    まだ寝てる・・


    おーい,いい加減に起きろ〜

    夜眠れなくなるぞ〜


    ところが,このお昼寝が,後々良い方向に.

  • パラソルがなくても、木陰やチェアが豊富で、休む場所には困りません。

    パラソルがなくても、木陰やチェアが豊富で、休む場所には困りません。

  • シュノーケルツアーにも出てみました。<br /><br />シュノーケルでの呼吸に慣れてきた長男も、さすがに深い海でのシュノーケルは怖かったらしく、少し潜ってボートに上げてもらいました。<br /><br />パパとママ、交代で子守しながらシュノーケル。<br /><br />透明度があまりよくありませんでしたが、うっすらとテーブルサンゴが重なり合う斜面が見えて、コンディションが良ければ、本当にキレイなところなんでしょうね♪

    シュノーケルツアーにも出てみました。

    シュノーケルでの呼吸に慣れてきた長男も、さすがに深い海でのシュノーケルは怖かったらしく、少し潜ってボートに上げてもらいました。

    パパとママ、交代で子守しながらシュノーケル。

    透明度があまりよくありませんでしたが、うっすらとテーブルサンゴが重なり合う斜面が見えて、コンディションが良ければ、本当にキレイなところなんでしょうね♪

  • パパ、初めてのボートシュノーケルで、ウミガメに遭遇!<br /><br />ママくやしー!!(爆)

    パパ、初めてのボートシュノーケルで、ウミガメに遭遇!

    ママくやしー!!(爆)

  • いつものレストランに行ったら,入れない・・<br /><br />「今日は閉店だよ」<br /><br />え?<br /><br />レストラン・・1件しかないし・・・

    いつものレストランに行ったら,入れない・・

    「今日は閉店だよ」

    え?

    レストラン・・1件しかないし・・・

  • 冗談でした.<br /><br />島の反対側に,机と椅子が運び込まれ,バーベキュー会場になっていました〜♪<br /><br />クロスもかけて,すごい!ここまでやっちゃう!?<br /><br />娘も大興奮.

    冗談でした.

    島の反対側に,机と椅子が運び込まれ,バーベキュー会場になっていました〜♪

    クロスもかけて,すごい!ここまでやっちゃう!?

    娘も大興奮.

  • グリルのおじさん大活躍.<br /><br />焼けたお肉はバナナの葉の上へずらり.<br /><br /><br />ビーフにラムにチキン,<br /><br />左下の葉にくるまれたものは,白身のお魚.<br /><br />どれもおいしい〜♪

    グリルのおじさん大活躍.

    焼けたお肉はバナナの葉の上へずらり.


    ビーフにラムにチキン,

    左下の葉にくるまれたものは,白身のお魚.

    どれもおいしい〜♪

  • お好みのソースを選んで召し上がれ♪

    お好みのソースを選んで召し上がれ♪

  • 新婚カップルには,生演奏をプレゼント.<br />テーブルクロスも特別仕様.<br /><br />満腹でお部屋に戻り,子供達を寝かしつけ.<br /><br />静かなリゾートの夜・・・<br /><br /><br />になるにはまだ早い!!

    新婚カップルには,生演奏をプレゼント.
    テーブルクロスも特別仕様.

    満腹でお部屋に戻り,子供達を寝かしつけ.

    静かなリゾートの夜・・・


    になるにはまだ早い!!

  • 海辺で☆を眺めようと散歩していたら,<br />イタリアンたちが集まってワヤワヤしています.<br /><br />見に行ってみたら,ウミガメの赤ちゃん達が生まれていました!<br /><br />大急ぎでお部屋に戻り,パパと寝そうになっていた子供達に声をかけましたが・・・<br /><br />長女は,疲れて眠ってしまっていました・・・<br /><br />体力のある長男と,たっぷりお昼寝した次男は,ウミガメと聞いて飛び出していきました.<br /><br /><br />穴で生まれていた赤ちゃんカメ.<br /><br />フラッシュ禁止でうまく撮れませんが.

    海辺で☆を眺めようと散歩していたら,
    イタリアンたちが集まってワヤワヤしています.

    見に行ってみたら,ウミガメの赤ちゃん達が生まれていました!

    大急ぎでお部屋に戻り,パパと寝そうになっていた子供達に声をかけましたが・・・

    長女は,疲れて眠ってしまっていました・・・

    体力のある長男と,たっぷりお昼寝した次男は,ウミガメと聞いて飛び出していきました.


    穴で生まれていた赤ちゃんカメ.

    フラッシュ禁止でうまく撮れませんが.

  • 月の見える浜辺に出て放します.<br /><br />ウミガメさんは,月の明かりに向かって歩くと,海にたどり着くように産卵するのだそうです.<br /><br />邪魔しないように,月の方から懐中電灯で照らします.<br /><br />さわるなというのに,見ていられないイタリアンマダム達.放っておけない気持ちはわかります☆

    月の見える浜辺に出て放します.

    ウミガメさんは,月の明かりに向かって歩くと,海にたどり着くように産卵するのだそうです.

    邪魔しないように,月の方から懐中電灯で照らします.

    さわるなというのに,見ていられないイタリアンマダム達.放っておけない気持ちはわかります☆

  • がんばれカメ!もうすぐ海だ!

    がんばれカメ!もうすぐ海だ!

  • 皆,海へ行ってしまいました.<br /><br />月明かりに照らされた海は,とても幻想的でした.<br /><br />「幻想的だね・・」とつぶやくと<br /><br />「うん!そうだね!」と次男の明るい声が.<br /><br />・・意味わかってる??<br /><br /><br /><br />カメたちが,一匹でも多く,無事大きくなりますように.

    皆,海へ行ってしまいました.

    月明かりに照らされた海は,とても幻想的でした.

    「幻想的だね・・」とつぶやくと

    「うん!そうだね!」と次男の明るい声が.

    ・・意味わかってる??



    カメたちが,一匹でも多く,無事大きくなりますように.

  • おまけ<br /><br />きのうの放流に間に合わず、遅れて穴から出てきた小亀ちゃん。<br /><br />夜になったら、ちゃんと海に返してあげるから・・と言ってました。

    おまけ

    きのうの放流に間に合わず、遅れて穴から出てきた小亀ちゃん。

    夜になったら、ちゃんと海に返してあげるから・・と言ってました。

この旅行記のタグ

18いいね!

利用規約に違反している投稿は、報告する事ができます。 問題のある投稿を連絡する

この旅行記へのコメント (2)

開く

閉じる

  • むんさん 2009/09/12 22:26:29
    マタキングアイランド♪
    ミルクティーさん、こんばんは!

    マタキングアイランド!
    素晴らしいところですね〜!
    青い海に広い白い砂浜♪
    ものすごく綺麗ですね〜。

    ここはウミガメの産卵地なんですね〜。
    これだけ自然いっぱいの場所、
    ウミガメたちが産卵の場所に選ぶのも納得です。

    そして、卵を狙って砂浜を進むオオトカゲ!
    ビックリしました。

    日本ではほとんど知られていない場所!
    素敵な秘密のスポットですね♪

    ミルクティー

    ミルクティーさん からの返信 2009/09/13 00:45:28
    RE: マタキングアイランド♪
    むんさん,こんばんは♪

    本当は,タートルアイランド(別名セリンガン島)というところに行きたかったのですが,そこは4月の時点でもう宿泊が確保できなかったのです.
    そこで,グリーンホリデーさんに「カメ見られる可能性ありますよ」と,紹介していただいたのが,マタキングアイランド.
    それまでは,私も全然知りませんでした.
    結果として,カメが見れたので,とっても満足です〜♪

    頑張って早く旅行記を完成させねば・・・

    良く聞くと,ダイバーには有名なシパダン・マーブル諸島の近くで,同じ船着場から船が出ているようです.

    日本からは遠い(コタキナバルで一泊必要になる)ので,あまり知られていないようですが,日本人のダイブスタッフもいらっしゃるのですよ♪

    今年度中にはシンガポールからタワウまでの直行便も出るようです.
    ますます便利になりますね♪

ミルクティーさんのトラベラーページ

コメントを投稿する前に

十分に確認の上、ご投稿ください。 コメントの内容は攻撃的ではなく、相手の気持ちに寄り添ったものになっていますか?

サイト共通ガイドライン(利用上のお願い)

報道機関・マスメディアの方へ 画像提供などに関するお問い合わせは、専用のお問い合わせフォームからお願いいたします。

旅の計画・記録

マイルに交換できるフォートラベルポイントが貯まる
フォートラベルポイントって?

マレーシアで使うWi-Fiはレンタルしましたか?

フォートラベル GLOBAL WiFiなら
マレーシア最安 343円/日~

  • 空港で受取・返却可能
  • お得なポイントがたまる

マレーシアの料金プランを見る

フォートラベル公式LINE@

おすすめの旅行記や旬な旅行情報、お得なキャンペーン情報をお届けします!
QRコードが読み取れない場合はID「@4travel」で検索してください。

\その他の公式SNSはこちら/

PAGE TOP