マブール島旅行記(ブログ) 一覧に戻る
本日シパダン3本目…。<br /><br />南国カレー効果絶大、ダイブ疲れなんて100万光年位彼方へぶっ飛び、あー、今日,後20本は潜れますぜ旦那!!ははははー!!・・いや、物理的に無理だって…。<br /><br />Yちゃん、ひたすらマイペース・・1人集団から離れ深みを潜る・・が・・これが、ダイマスのお姉さんの感に触ったみたいで、<br /><br />「○☆○△□☆×▽×▽!!」<br /><br />「あー?あのダイマスさん何言ってんのよ?」・・なんで、英語駄目駄目男の俺に聞くのよ、お前は?<br /><br />「あー、Yちゃん、ダイコン持ってねーでしょ、だからー、勝手に深く潜ったりしないで、私の後にしっかり付いてきなさい、って,ことかな?」<br /><br />「ふーん!」・・全然反省の色無し…。<br /><br />ダイマスのプライドV.S.レスキューダイバーのプライドのガチンコ勝負,否,女のプライドを賭けた争い?・・あな,恐ろしや…。<br />

へなちょこダイバーが行く! 南海の大作戦 シパダン編−6

72いいね!

2009/07/10 - 2009/07/15

18位(同エリア60件中)

6

21

piano

pianoさん

本日シパダン3本目…。

南国カレー効果絶大、ダイブ疲れなんて100万光年位彼方へぶっ飛び、あー、今日,後20本は潜れますぜ旦那!!ははははー!!・・いや、物理的に無理だって…。

Yちゃん、ひたすらマイペース・・1人集団から離れ深みを潜る・・が・・これが、ダイマスのお姉さんの感に触ったみたいで、

「○☆○△□☆×▽×▽!!」

「あー?あのダイマスさん何言ってんのよ?」・・なんで、英語駄目駄目男の俺に聞くのよ、お前は?

「あー、Yちゃん、ダイコン持ってねーでしょ、だからー、勝手に深く潜ったりしないで、私の後にしっかり付いてきなさい、って,ことかな?」

「ふーん!」・・全然反省の色無し…。

ダイマスのプライドV.S.レスキューダイバーのプライドのガチンコ勝負,否,女のプライドを賭けた争い?・・あな,恐ろしや…。

同行者
一人旅
一人あたり費用
10万円 - 15万円
交通手段
タクシー
航空会社
マレーシア航空
  • この世の楽園へ1名様ご案内…お1人様5000円で御座います・・エエー?金取るのー?<br /><br />神々がその手で創りたもう楽園・・ウーワッ!!臭い台詞・・ああ,それを我が手に・・こらこら,あんたのもんじゃねーつうの,後ろでマレーシア軍のおじさんが睨んでるから・・ははは,そのような俗世の柵を恐れる我であろうや,この楽園,このPianoが貰った!!<br /><br />ははは,何叫ぼうが日本語通じねーもんなー!お前の母ーさん,でーべーそー!笑ってるよ,マジ,ぷぷぷ…。<br /><br />・・お前は小学生か?

    この世の楽園へ1名様ご案内…お1人様5000円で御座います・・エエー?金取るのー?

    神々がその手で創りたもう楽園・・ウーワッ!!臭い台詞・・ああ,それを我が手に・・こらこら,あんたのもんじゃねーつうの,後ろでマレーシア軍のおじさんが睨んでるから・・ははは,そのような俗世の柵を恐れる我であろうや,この楽園,このPianoが貰った!!

    ははは,何叫ぼうが日本語通じねーもんなー!お前の母ーさん,でーべーそー!笑ってるよ,マジ,ぷぷぷ…。

    ・・お前は小学生か?

  • まったりタイム・・ZZZZZZZ・・いや,寝なくても良いからさ…。<br /><br />はたはたと旗がはためいてます・・はた迷惑です・・いや,意味無いっしょ・・いや・・ちょっと言ってみたかっただけ…。<br /><br />時間のゆっくりと進む島・・エエー?この島って異次元なの?・・頼むから黙ってて,お願い・・微かな潮の香り,絶えること無く続く波の音,子供たちの嬌声,死闘を繰り広げる,Y譲とダイマスのお姉さん・・嘘です…。

    まったりタイム・・ZZZZZZZ・・いや,寝なくても良いからさ…。

    はたはたと旗がはためいてます・・はた迷惑です・・いや,意味無いっしょ・・いや・・ちょっと言ってみたかっただけ…。

    時間のゆっくりと進む島・・エエー?この島って異次元なの?・・頼むから黙ってて,お願い・・微かな潮の香り,絶えること無く続く波の音,子供たちの嬌声,死闘を繰り広げる,Y譲とダイマスのお姉さん・・嘘です…。

  • 木霊…。<br /><br />時折,木霊は人の姿を借りて現に現れ出ることがると聞きます,時には子供,時には老人,時には青年,時にはオカマ,時にはオナベ,時には性同一性障害者,時には・・もう良いからさ…。<br /><br />彼らは,特別何をするということも無く,唯,黙って人の話に耳を傾けます,嬉しいこと,哀しいこと,楽しいこと,困ったこと・・人と言うのはなかなか難しい生き物じゃのう,そう,彼らは呟きます,<br /><br />「ダイマス,ダイマスって偉そーにしてんじゃねーよ!」<br /><br />「はん!ダイコンも持ってねくせして,レスキューが聞いて呆れるわ!」<br /><br />・・やれやれ,困ったもんじゃのう…。

    木霊…。

    時折,木霊は人の姿を借りて現に現れ出ることがると聞きます,時には子供,時には老人,時には青年,時にはオカマ,時にはオナベ,時には性同一性障害者,時には・・もう良いからさ…。

    彼らは,特別何をするということも無く,唯,黙って人の話に耳を傾けます,嬉しいこと,哀しいこと,楽しいこと,困ったこと・・人と言うのはなかなか難しい生き物じゃのう,そう,彼らは呟きます,

    「ダイマス,ダイマスって偉そーにしてんじゃねーよ!」

    「はん!ダイコンも持ってねくせして,レスキューが聞いて呆れるわ!」

    ・・やれやれ,困ったもんじゃのう…。

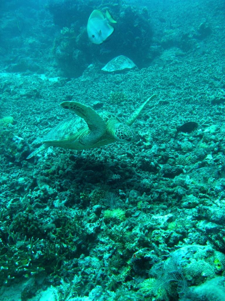
  • 本日3本目…。<br /><br />Piano行きまーす!!ドップーーーーーーン!!ブクブクブクブクブクブク・・ブクブク・・ブ・・ク・・ガクッ・・ちーん!なむなむ・・毎度毎度殺すなー!!<br /><br />おお,何と早速カメさんお出迎え,愛い奴じゃのう・・そう言えば向こうの岩の下見えるのもカメさんの甲羅っぽい・・おお,正にカメパラ・・画の上方を漂っている奴は無視して,もしもし,君はお家に帰って寝てなさいって…。

    本日3本目…。

    Piano行きまーす!!ドップーーーーーーン!!ブクブクブクブクブクブク・・ブクブク・・ブ・・ク・・ガクッ・・ちーん!なむなむ・・毎度毎度殺すなー!!

    おお,何と早速カメさんお出迎え,愛い奴じゃのう・・そう言えば向こうの岩の下見えるのもカメさんの甲羅っぽい・・おお,正にカメパラ・・画の上方を漂っている奴は無視して,もしもし,君はお家に帰って寝てなさいって…。

  • 熱烈歓迎…。<br /><br />な・な・何とわざわざ俺の真横を通ってくれるとは・・感謝感激涙ダダ漏れ・・ああ,マスクが,水没…。<br /><br />もしやして,貴方はシパダン観光課の職員さん?そう,日夜,そのお姿をダイバーさんに披露してシパダンの魅力をアピールしているのね,お勤めご苦労様…。<br /><br />日曜日だって言うのに,残業手当出てますか?・・何気に瞳が哀しげなのは・・もしやして,サー残ですかい?

    熱烈歓迎…。

    な・な・何とわざわざ俺の真横を通ってくれるとは・・感謝感激涙ダダ漏れ・・ああ,マスクが,水没…。

    もしやして,貴方はシパダン観光課の職員さん?そう,日夜,そのお姿をダイバーさんに披露してシパダンの魅力をアピールしているのね,お勤めご苦労様…。

    日曜日だって言うのに,残業手当出てますか?・・何気に瞳が哀しげなのは・・もしやして,サー残ですかい?

  • さよならカメさん・・早く家に帰って寝ろよツバメウオ君…。<br /><br />休日出勤にもか関わらず,嫌な顔一つせず我々を歓迎してくれたカメさんに有難う・・休日なら家でじっとしてろよ,ツバメウオ君…。<br /><br />おお,何たる格差社会・・斯様な理由無き偏見,差別が地上で如何なる諍いを招いていることだろう・・こうやってのんびりとダイブしている,そう,今,この瞬間に理由無き銃弾に命を落としている人が何人居ることだろう…。<br /><br />でもなー,俺,お前嫌いだからなー・・全然反省してねーじゃん!!

    さよならカメさん・・早く家に帰って寝ろよツバメウオ君…。

    休日出勤にもか関わらず,嫌な顔一つせず我々を歓迎してくれたカメさんに有難う・・休日なら家でじっとしてろよ,ツバメウオ君…。

    おお,何たる格差社会・・斯様な理由無き偏見,差別が地上で如何なる諍いを招いていることだろう・・こうやってのんびりとダイブしている,そう,今,この瞬間に理由無き銃弾に命を落としている人が何人居ることだろう…。

    でもなー,俺,お前嫌いだからなー・・全然反省してねーじゃん!!

  • 離れバラクーダ発見!<br /><br />群れることを嫌い,1匹当て所も無く彷徨う・・ああ,彼のポリシーに乾杯・・じゃ,無礼講ってことで,グビグビグビー,ぷはー!!やっぱり生はちゃいますなー,はははは・・海中で飲めるかアホ!<br /><br />何だかね,彼の後姿に自分を見たような・・自由奔放でいたい・・でも・・心の中には一抹の寂しさが・・自由って凄く楽,自分のペースで,好きな所へ,好きなものを食べる・・でも,ベットの中でふと思う,今日何話したか?感動を分かち合える人も無く,感動は画に収めるだけ・・何時も天秤に架ける,自由と束縛,楽しさと孤独…。

    離れバラクーダ発見!

    群れることを嫌い,1匹当て所も無く彷徨う・・ああ,彼のポリシーに乾杯・・じゃ,無礼講ってことで,グビグビグビー,ぷはー!!やっぱり生はちゃいますなー,はははは・・海中で飲めるかアホ!

    何だかね,彼の後姿に自分を見たような・・自由奔放でいたい・・でも・・心の中には一抹の寂しさが・・自由って凄く楽,自分のペースで,好きな所へ,好きなものを食べる・・でも,ベットの中でふと思う,今日何話したか?感動を分かち合える人も無く,感動は画に収めるだけ・・何時も天秤に架ける,自由と束縛,楽しさと孤独…。

  • 本日サメ日和…。<br /><br />ああ,何気に無愛想に通り過ぎるグレーリーフシャークちゃん・・ああ,長過ぎ,グレちゃんに短縮…。<br /><br />カメさんとは好対照な無愛想さ・・おじさん好きだなー,街で媚を売る女達より100倍位,孤高を歩む彼女,グレちゃん…。<br /><br />でも,サメ肌なのね・・おじさんが治してあげる,ビタミンAが良いらしいって・・サメはサメ肌が普通なんだから余計なことするなー!!

    本日サメ日和…。

    ああ,何気に無愛想に通り過ぎるグレーリーフシャークちゃん・・ああ,長過ぎ,グレちゃんに短縮…。

    カメさんとは好対照な無愛想さ・・おじさん好きだなー,街で媚を売る女達より100倍位,孤高を歩む彼女,グレちゃん…。

    でも,サメ肌なのね・・おじさんが治してあげる,ビタミンAが良いらしいって・・サメはサメ肌が普通なんだから余計なことするなー!!

  • グレちゃん急接近…。<br /><br />俺の君に対する気持ちが,ほんの僅かでも通じたのか,君は俺に近づいてきてくれた・・すまん,自慢の鼻が切れてるじゃん・・スポーツカーを彷彿させるそのボディライン,睨んだ相手を凍りつける涼しげな眼差し・・いや,寒過ぎだって…。<br /><br />何時の日か君の背中に乗って・・グレちゃんに乗ったおじさん・・ああ,何だか,イルカにのった少年みたい・・全然違げーよ!

    グレちゃん急接近…。

    俺の君に対する気持ちが,ほんの僅かでも通じたのか,君は俺に近づいてきてくれた・・すまん,自慢の鼻が切れてるじゃん・・スポーツカーを彷彿させるそのボディライン,睨んだ相手を凍りつける涼しげな眼差し・・いや,寒過ぎだって…。

    何時の日か君の背中に乗って・・グレちゃんに乗ったおじさん・・ああ,何だか,イルカにのった少年みたい・・全然違げーよ!

  • お休み中のグレちゃんに接近・・ああ,禁断の香りが・・何か違うような?<br /><br />何だか禁忌を犯しているような・・いや単に人間だったら夜這いでしょうに・・昼間です!・・そう言う問題じゃねーと思うけど?<br /><br />国境を越えた愛のその遥か上を行くバーちゃん・・バージョンでしょ・・そうとも言う・・ああ,人間とサメに愛は成立するのか?

    お休み中のグレちゃんに接近・・ああ,禁断の香りが・・何か違うような?

    何だか禁忌を犯しているような・・いや単に人間だったら夜這いでしょうに・・昼間です!・・そう言う問題じゃねーと思うけど?

    国境を越えた愛のその遥か上を行くバーちゃん・・バージョンでしょ・・そうとも言う・・ああ,人間とサメに愛は成立するのか?

  • ああ、去って行くのね、俺の気持ちも知らないで・・知ったら、余計逃げるわ!<br /><br />なのに あなたは 向こうへ行くの 向こうの海は それほどいいの この私の 愛よりもー♪・・ああ、ほとばしる、この私の愛を貴方は受け止めてくれないのね?哀しいわ、シクシク・・そんなきもい愛、フルスイング、弾丸ライナーで場外に弾き飛ばされるわい!<br /><br />おー!飛距離、約160m・・見事な逆転満塁サヨナラホームランですねー、はははは…。

    ああ、去って行くのね、俺の気持ちも知らないで・・知ったら、余計逃げるわ!

    なのに あなたは 向こうへ行くの 向こうの海は それほどいいの この私の 愛よりもー♪・・ああ、ほとばしる、この私の愛を貴方は受け止めてくれないのね?哀しいわ、シクシク・・そんなきもい愛、フルスイング、弾丸ライナーで場外に弾き飛ばされるわい!

    おー!飛距離、約160m・・見事な逆転満塁サヨナラホームランですねー、はははは…。

  • 目眩くマクロの世界・・でも・・ミクロもしっかり在りやすぜ!!ねえ、旦那!!・・旦那?だん・な?・・貴様!旦那成りすましているようだが、俺様の目は誤魔化されねえ!!正体を現しやがれ!この化け物が!・・ふふふ、見破れちゃー、しょうがねーな・・ああ、この結末は如何に?<br /><br />と、のっけから訳の分からない話で弾けてます・・脳味噌が・・エエー、俺の脳味噌、弾けちゃうのー?・・大丈夫大丈夫、元々在って無いような存在だからさ・・ははは、なーんだ、心配しちゃったよー?・・納得するかい?<br /><br />閑話休題・・と、カメさん、グレちゃん達マクロの住人に目を奪われがちですが、スズメダイちゃんを始めとして、心癒される、可愛いミクロの住人も元気ですよー。

    目眩くマクロの世界・・でも・・ミクロもしっかり在りやすぜ!!ねえ、旦那!!・・旦那?だん・な?・・貴様!旦那成りすましているようだが、俺様の目は誤魔化されねえ!!正体を現しやがれ!この化け物が!・・ふふふ、見破れちゃー、しょうがねーな・・ああ、この結末は如何に?

    と、のっけから訳の分からない話で弾けてます・・脳味噌が・・エエー、俺の脳味噌、弾けちゃうのー?・・大丈夫大丈夫、元々在って無いような存在だからさ・・ははは、なーんだ、心配しちゃったよー?・・納得するかい?

    閑話休題・・と、カメさん、グレちゃん達マクロの住人に目を奪われがちですが、スズメダイちゃんを始めとして、心癒される、可愛いミクロの住人も元気ですよー。

  • ガメラ1V.S.ガメラ2か・・はたまた、目眩く愛の休日か?<br /><br />地球の存亡を賭けた激烈なバトルが繰り広げられているのか・・人目を忍ぶ、否、カメ目を忍ぶ逢瀬なのか?・・スゲー落差・・Piano命を賭けた独占スクープにチャレンジ!<br /><br />「お取り込み中、誠にすいません、突然ですが、お2人の関係は?」<br /><br />「あんたさん、何を急に言うてまんねん?」<br /><br />「そうそう、カメは万年、鶴は見たことありま千年!」<br /><br />「ほな、サイナラー!!」<br /><br />・・関西から遠路遙々来たカメの漫才コンビでしたわ…。

    ガメラ1V.S.ガメラ2か・・はたまた、目眩く愛の休日か?

    地球の存亡を賭けた激烈なバトルが繰り広げられているのか・・人目を忍ぶ、否、カメ目を忍ぶ逢瀬なのか?・・スゲー落差・・Piano命を賭けた独占スクープにチャレンジ!

    「お取り込み中、誠にすいません、突然ですが、お2人の関係は?」

    「あんたさん、何を急に言うてまんねん?」

    「そうそう、カメは万年、鶴は見たことありま千年!」

    「ほな、サイナラー!!」

    ・・関西から遠路遙々来たカメの漫才コンビでしたわ…。

  • ほな、ぼちぼち、行こかー!<br /><br />と、次の巡業地に向かって旅に出る、関西系の漫才カメコンビ…。<br /><br />お客さんの笑い声を心の支えに・・北は北極海から、南は南氷洋まで、お笑いに国境無し、笑う門にはカメ来る…。

    ほな、ぼちぼち、行こかー!

    と、次の巡業地に向かって旅に出る、関西系の漫才カメコンビ…。

    お客さんの笑い声を心の支えに・・北は北極海から、南は南氷洋まで、お笑いに国境無し、笑う門にはカメ来る…。

  • グレ天・・いやー、からりと揚がって、旨いねー、おやじさん、これゴマ油かい?・・グレちゃんを勝手に喰うなー!!グレちゃん天国、略してグレ天だい!<br /><br />グレ天です・・あちらを見れば、グレちゃん、こちらを見てもグレちゃん、360度グレちゃんに囲まれてます…。<br /><br />「こちらブラボー、本部応答願います!」<br /><br />「はいはい、来来軒あるね!」<br /><br />「あー、おっちゃん?俺、俺、速攻でチャーシュー麺、ネギ天こ盛り、餃子2人前ね!・・違ーう!!」<br /><br />「こちらブラボー、只今、周囲を完全にグレちゃんに包囲され、孤立状態、重傷者含め負傷者多数、ホームレス2名、ニート1名、引き籠もり3名・・何なんだようちの部隊は?」<br /><br />

    グレ天・・いやー、からりと揚がって、旨いねー、おやじさん、これゴマ油かい?・・グレちゃんを勝手に喰うなー!!グレちゃん天国、略してグレ天だい!

    グレ天です・・あちらを見れば、グレちゃん、こちらを見てもグレちゃん、360度グレちゃんに囲まれてます…。

    「こちらブラボー、本部応答願います!」

    「はいはい、来来軒あるね!」

    「あー、おっちゃん?俺、俺、速攻でチャーシュー麺、ネギ天こ盛り、餃子2人前ね!・・違ーう!!」

    「こちらブラボー、只今、周囲を完全にグレちゃんに包囲され、孤立状態、重傷者含め負傷者多数、ホームレス2名、ニート1名、引き籠もり3名・・何なんだようちの部隊は?」

  • 苦しくたってー♪ 悲しくたってー♪ 海ーの中では平気・な・の でも、涙が出ちゃう だってサー残が無茶苦茶多いんだもの!<br /><br />南海の夕張役場の異名を持つシパダン役場・・政府の環境保護対策のお陰で、海は綺麗になったものの、1日のダイバー数上限が120名に限定された為、一気に減収、役場の財政は破綻寸前…。<br /><br />「あー、ちょい前までは、今頃は昼酒飲んで、テレビの前で爆睡してたのになー・・誰かさんみたい・・誰やねん!!俺のことかい?・・今じゃ日曜日もダイバー相手に愛想振りまいて・・挙げ句にサー残かい?」

    苦しくたってー♪ 悲しくたってー♪ 海ーの中では平気・な・の でも、涙が出ちゃう だってサー残が無茶苦茶多いんだもの!

    南海の夕張役場の異名を持つシパダン役場・・政府の環境保護対策のお陰で、海は綺麗になったものの、1日のダイバー数上限が120名に限定された為、一気に減収、役場の財政は破綻寸前…。

    「あー、ちょい前までは、今頃は昼酒飲んで、テレビの前で爆睡してたのになー・・誰かさんみたい・・誰やねん!!俺のことかい?・・今じゃ日曜日もダイバー相手に愛想振りまいて・・挙げ句にサー残かい?」

  • ダイマスV.S.Y嬢・・南海の大決戦!<br /><br />互いのプライドを賭けた戦い、絶対に負けられない戦いがある・・ああ、サッカー日本代表みたい・・の割には良く負けるよなー日本…。<br /><br />ダイマスとしてプライド、レスキューなのにダイコン持って無いと、完全に神経を逆撫でされた、恐怖の京女・・プライドが高い京女、それも四条に住むと言う、正に都人としての自負・・ああ、海水を沸騰させるような、熱い戦いがここシパダンの海にて開かれようとしている…。

    ダイマスV.S.Y嬢・・南海の大決戦!

    互いのプライドを賭けた戦い、絶対に負けられない戦いがある・・ああ、サッカー日本代表みたい・・の割には良く負けるよなー日本…。

    ダイマスとしてプライド、レスキューなのにダイコン持って無いと、完全に神経を逆撫でされた、恐怖の京女・・プライドが高い京女、それも四条に住むと言う、正に都人としての自負・・ああ、海水を沸騰させるような、熱い戦いがここシパダンの海にて開かれようとしている…。

  • 一見平和そのもの・・しかし・・血で血を洗う争いが…。<br /><br />「こちらブラボー、こちらブラボー、本部応答願います!」<br /><br />「もしもしー、おじちゃん誰ー?」<br /><br />「あー・・・僕は誰かなー?本部の人と変わってないかなー?おじさん、スゴーく急いでいるんだー。」<br /><br />「・・・・ツーツーツー」<br /><br />「ウーワッ!!切りやがったよ、あのガキ・・あー、最近のガキは躾が出来てねーつーか、あ、こちらブラボー、只今、ダイマスとY嬢の激戦に巻き込まれ、混乱を極めております、負傷者の手当は勿論として、ホームレスは段ボール小屋で宴会してるし、ニートはリビングで寝そべってマンガ読んでるし、引き籠もりは部屋の電気消して全然応答ねーし・・指令官・・俺の部隊って何でこんなメンバーなの?」

    一見平和そのもの・・しかし・・血で血を洗う争いが…。

    「こちらブラボー、こちらブラボー、本部応答願います!」

    「もしもしー、おじちゃん誰ー?」

    「あー・・・僕は誰かなー?本部の人と変わってないかなー?おじさん、スゴーく急いでいるんだー。」

    「・・・・ツーツーツー」

    「ウーワッ!!切りやがったよ、あのガキ・・あー、最近のガキは躾が出来てねーつーか、あ、こちらブラボー、只今、ダイマスとY嬢の激戦に巻き込まれ、混乱を極めております、負傷者の手当は勿論として、ホームレスは段ボール小屋で宴会してるし、ニートはリビングで寝そべってマンガ読んでるし、引き籠もりは部屋の電気消して全然応答ねーし・・指令官・・俺の部隊って何でこんなメンバーなの?」

  • 神からのお告げ…。<br /><br />「ブラボー隊の隊長よ困っているようだな…。」<br /><br />「ウーワッ!!いきなり天上から声かい?頼むから,あー,とか,うー,とかで良いからさ前振りしてくんない,お陰で寿命が5年縮まったじゃん!」<br /><br />「ははは,5年縮まった位どうする,最早,君の隊は崩壊寸前,風前の灯と言っても差し支えあるまい,それを5年などと言う無意味な数値に囚われて君は何をしようとしているんだね?」<br /><br />「ああ,全くだ,死を間近にして,俺もどうかしてるぜ,しかし,俺も厄介な荷物を背負わされたもんだぜ,酒飲むばっかのホームレス,仕事しないことを誇りにしているニート,自分の殻に閉じ籠ったばっかで出てこねー引き籠り,それに負傷者が山盛りじゃ,俺も神様に感謝するぜ。」<br /><br />「神に感謝すると言ったな?それはお前の本心か?」<br /><br />「ああ,今更,嘘,偽り言ってどーすんのよ,俺は神に感謝する!」<br /><br />「見てみよ後ろを,ホームレスは段ボールの家を後にして酒瓶を構え,ニートはマンガ本を丸めて上段に構え,引き籠りは殻を破り出てきたではないか,これからがお前達の本当の戦いじゃ!」<br /><br />「エ?マジ?9回裏2アウト,ランナー無しからの逆転劇ってか?」<br /><br />・・彼らは雄たけびと共に,ダイマス&Y嬢のバトルフィールドへと雪崩れ込む,勝利を信じ・・が・・所詮,酒瓶は酒瓶,マンガ本はマンガ本,殻破っても唯のひよっこ・・敗れ去ること風の如し…。<br /><br />「神様の・・嘘・・つ・き・・ガクッ」 

    神からのお告げ…。

    「ブラボー隊の隊長よ困っているようだな…。」

    「ウーワッ!!いきなり天上から声かい?頼むから,あー,とか,うー,とかで良いからさ前振りしてくんない,お陰で寿命が5年縮まったじゃん!」

    「ははは,5年縮まった位どうする,最早,君の隊は崩壊寸前,風前の灯と言っても差し支えあるまい,それを5年などと言う無意味な数値に囚われて君は何をしようとしているんだね?」

    「ああ,全くだ,死を間近にして,俺もどうかしてるぜ,しかし,俺も厄介な荷物を背負わされたもんだぜ,酒飲むばっかのホームレス,仕事しないことを誇りにしているニート,自分の殻に閉じ籠ったばっかで出てこねー引き籠り,それに負傷者が山盛りじゃ,俺も神様に感謝するぜ。」

    「神に感謝すると言ったな?それはお前の本心か?」

    「ああ,今更,嘘,偽り言ってどーすんのよ,俺は神に感謝する!」

    「見てみよ後ろを,ホームレスは段ボールの家を後にして酒瓶を構え,ニートはマンガ本を丸めて上段に構え,引き籠りは殻を破り出てきたではないか,これからがお前達の本当の戦いじゃ!」

    「エ?マジ?9回裏2アウト,ランナー無しからの逆転劇ってか?」

    ・・彼らは雄たけびと共に,ダイマス&Y嬢のバトルフィールドへと雪崩れ込む,勝利を信じ・・が・・所詮,酒瓶は酒瓶,マンガ本はマンガ本,殻破っても唯のひよっこ・・敗れ去ること風の如し…。

    「神様の・・嘘・・つ・き・・ガクッ」 

この旅行記のタグ

関連タグ

72いいね!

利用規約に違反している投稿は、報告する事ができます。 問題のある投稿を連絡する

この旅行記へのコメント (6)

開く

閉じる

  • らーめんさん 2009/08/05 22:34:37
    さ、さめ〜〜〜〜!????
    嘘みたいな写真ばっかりですね!!!
    俺ここ行こう!!

    piano

    pianoさん からの返信 2009/08/09 20:35:21
    こんばんはー
    是非是非行ってみてくださいね・・グレちゃんがお待ちしております・・その割には愛想が無いのよね,つれないグレちゃん・・た・だ・しー,アクセス悪いです,でもね,世界からワラワラとダイバーが押し寄せてます,でもって,案外安い・・これって,コスパフォ,スゲー良いと思います!

    では,良い旅を。
  • だいちゃんさん 2009/08/03 04:40:56
    私も”ダイバー”になりた〜い!

     pianoさん、おはようございます。

     今回のシバダンの「旅行記」・・・

     へなちょこダイバーさんにとって何回目かな?

     pianoさんもご存知の通り、私はお魚釣り=”海釣り”が趣味であり、生き甲斐でもあります。

     私が大好きな「お魚」を海中で間近に観て撮影されて羨ましい限りですが、その海中で観られた「お魚」の”名前=和名”位は少し勉強してみては?

     ”バラクーダ”のやせっぽちヌーディストは「ヘラヤガラ」。

     ”アジ”は私が見た限り「シマアジ・ジャイアントトレバリー(GT)」の幼魚か?

     そして、黒っぽい奴は「メジナ」の一種。

     でかい「イカ」・・・”アヤリイカ”ではなく、”アオリイカ”の一種でしょう!

     しかし・・・浜辺で遊んでいる生き物は・・・?

     私も”大好き〜っ!”ですがねぇ♪

     これからもpianoさんの今後の「旅行記」・・・期待してますよ!

     by だいちゃん



     
      

    piano

    pianoさん からの返信 2009/08/07 16:04:55
    こんちはー
    だいさん!毎度!!

    暑いでんなー、だいさんは盆休みは釣りですか?

    海釣りが趣味で生き甲斐ですかー、俺・・生き甲斐って胸を張って言えるようなもの・・ねーよ・・我ながら情けないですなー、たはは、ま、それが俺のキャラだからね…。

    お魚さんの名前かー・・生来のアホ故物覚えが悪い・・基本的に覚えていなくても潜れる・・等々の理由から避けて通ってます、あ、一緒に潜ったYちゃんはしっかりお魚図鑑持ってました、俺より数段偉いわ彼女は…。

    しかし、あれだけアジが群れていたら、入れ食い?ほいほい釣れちゃいそうですね、何なら俺がだいさんの釣り糸を魚に引っかけましょうか?

    だいさんもダイバーなりましょ!楽しいですよー!世界観が変わりますよー!

    では、よい旅を。
  • 犬のおまわりさんさん 2009/08/03 00:17:44
    really beautiful〜☆
    pianoさん、私好みのフォトに感激です。

    海カメさんとサメなんて、なんてすばらしいの〜
    感激です。
    ありがとうございます。

    全然へなちょこじゃないですよ。
    仲良しカメさんも可愛いし、
    カメさんのアップの目線も、いいアングルで、
    すばらしい〜

    海っていいですよね。
    すごく楽しませていただきました。

    また、おじゃまします。

    wanwan(^。^)y-.。o○


    piano

    pianoさん からの返信 2009/08/06 20:53:37
    こんちはー
    シパダン・・グラン・ブルーに相応しい,正に生命が溢れ躍動する世界・・俺は単にシャッターを押しただけ,舞台がそろえばカメラマンの腕なんか・・下手ですけど…。

    カメさんはなかなかのんびり屋さんで近づいてもしばらくはのほほんとしてます,お陰で写し放題,撮り放題,方やサメ君はスゲーデリケート,こちらがそっと近づいてもするりと逃げちゃいます,ああ,哀しい…。

    海は良いですよー,重力から解放され空を飛んでいるよう,パタパタ…。

    では,良い旅を。

pianoさんのトラベラーページ

コメントを投稿する前に

十分に確認の上、ご投稿ください。 コメントの内容は攻撃的ではなく、相手の気持ちに寄り添ったものになっていますか?

サイト共通ガイドライン(利用上のお願い)

報道機関・マスメディアの方へ 画像提供などに関するお問い合わせは、専用のお問い合わせフォームからお願いいたします。

旅の計画・記録

マイルに交換できるフォートラベルポイントが貯まる
フォートラベルポイントって?

マレーシアで使うWi-Fiはレンタルしましたか?

フォートラベル GLOBAL WiFiなら
マレーシア最安 343円/日~

  • 空港で受取・返却可能
  • お得なポイントがたまる

マレーシアの料金プランを見る

フォートラベル公式LINE@

おすすめの旅行記や旬な旅行情報、お得なキャンペーン情報をお届けします!
QRコードが読み取れない場合はID「@4travel」で検索してください。

\その他の公式SNSはこちら/

タグから海外旅行記(ブログ)を探す

PAGE TOP