プーケット旅行記(ブログ) 一覧に戻る
プーケット滞在中にラフティングと体験ダイビングをしました!<br />ラフティングもダイビングも初体験!<br />どちらもずっとしたかったことなのでかなり楽しみでした。<br /><br /><br />ツアーは日本からネットで予約。<br />ラフティングはバンカー県まで行き、<br />5kmのコースにランチとバギーカー体験、<br />帰りにモンキーケイブに寄って一人THB2,800。<br /><br /><br />体験ダイビングはピピ島でダイブしたかったのが満員で申込めず。。。<br />ダイビングをしてからピピ島のマヤベイに寄るコースになりました。<br />日本語インストラクターとランチ付きで一人THB3,300でした。<br /><br /><br />高いのか安いのかはわからないけど、どっちも大満足!!<br />特にダイビングはライセンスを取ろうかと真剣に悩むほど。<br />とっても感動で素敵すぎる時間でした。

女三人で過ごすプーケットの休日 −アクティビティ編−

7いいね!

2008/11/21 - 2008/11/25

2811位(同エリア4582件中)

0

39

りょこりょこ

りょこりょこさん

プーケット滞在中にラフティングと体験ダイビングをしました!
ラフティングもダイビングも初体験!
どちらもずっとしたかったことなのでかなり楽しみでした。


ツアーは日本からネットで予約。
ラフティングはバンカー県まで行き、
5kmのコースにランチとバギーカー体験、
帰りにモンキーケイブに寄って一人THB2,800。


体験ダイビングはピピ島でダイブしたかったのが満員で申込めず。。。
ダイビングをしてからピピ島のマヤベイに寄るコースになりました。
日本語インストラクターとランチ付きで一人THB3,300でした。


高いのか安いのかはわからないけど、どっちも大満足!!
特にダイビングはライセンスを取ろうかと真剣に悩むほど。
とっても感動で素敵すぎる時間でした。

同行者
友人
一人あたり費用
10万円 - 15万円
交通手段
タクシー
航空会社
タイ国際航空
旅行の手配内容
ツアー(添乗員同行なし)
  • 途中かなりの悪路をバンで移動して到着。<br />荷物を置いた後、川まで移動します。<br /><br />黄色い服のお兄さんたちはインストラクター。<br />かなりナイスな乗り方です。<br /><br />実は、初日空港からホテルまでの送迎中、<br />日本語ガイドさんに最近ラフティング中に死亡事故があったという話を聞き、かなりビビッてました。<br />ラフティングは危険!!とすごく脅されまして。。。

    途中かなりの悪路をバンで移動して到着。
    荷物を置いた後、川まで移動します。

    黄色い服のお兄さんたちはインストラクター。
    かなりナイスな乗り方です。

    実は、初日空港からホテルまでの送迎中、
    日本語ガイドさんに最近ラフティング中に死亡事故があったという話を聞き、かなりビビッてました。
    ラフティングは危険!!とすごく脅されまして。。。

  • さて、ビビリながらも出発です。<br /><br />このボート私たち3人+インストラクター2人と、<br />かなりラッキーな組み合わせになりました。<br />ボート広々!!

    さて、ビビリながらも出発です。

    このボート私たち3人+インストラクター2人と、
    かなりラッキーな組み合わせになりました。
    ボート広々!!

  • ターザン発見!<br /><br />この後川に飛び込んでました。<br />かなり高いのにビックリ!

    ターザン発見!

    この後川に飛び込んでました。
    かなり高いのにビックリ!

  • ここはまだ貯水池(?)みたいになっていて流れはとっても穏やかです。<br /><br />端っこでいったんボートを降ります。

    ここはまだ貯水池(?)みたいになっていて流れはとっても穏やかです。

    端っこでいったんボートを降ります。

  • 歩いて下ります。<br /><br />めっちゃ水をかけてくるインストラクター。<br />ここ以外にも隙あれば水をかけられます。<br />他のボートの人たちからも。

    歩いて下ります。

    めっちゃ水をかけてくるインストラクター。
    ここ以外にも隙あれば水をかけられます。
    他のボートの人たちからも。

  • 他のツアー会社のボートも集結していて込み合ってます。<br />順番待ちの間に写真をパシャパシャ。<br /><br />ちょっと!!かなりお尻が出てますよ!

    他のツアー会社のボートも集結していて込み合ってます。
    順番待ちの間に写真をパシャパシャ。

    ちょっと!!かなりお尻が出てますよ!

  • さてさて、ここからが本番の開始!<br />結構な速度で下って行きます。

    さてさて、ここからが本番の開始!
    結構な速度で下って行きます。

  • かなりの濁流です!!<br />すっごいスリル!<br />めっちゃ楽しーっ。

    かなりの濁流です!!
    すっごいスリル!
    めっちゃ楽しーっ。

  • 始まってしばらくして私たちは誰もオールを使ってないことに気付く。<br />だってインストラクターさんが二人もいて、何にもしなくてもどんどん進むし。<br /><br />オールなしでもよかったんじゃない!?的なことを考えながらボートは川を下っていきます。<br /><br />時々わざと岩に激突しながら。。。

    始まってしばらくして私たちは誰もオールを使ってないことに気付く。
    だってインストラクターさんが二人もいて、何にもしなくてもどんどん進むし。

    オールなしでもよかったんじゃない!?的なことを考えながらボートは川を下っていきます。

    時々わざと岩に激突しながら。。。

  • 途中でゾウさん発見!<br /><br />今回私ともう一人がゾウに乗ったことがあるので、<br />ゾウはパスしましたが、ラフティングの後<br />ゾウさんとお散歩付きのコースもありました。

    途中でゾウさん発見!

    今回私ともう一人がゾウに乗ったことがあるので、
    ゾウはパスしましたが、ラフティングの後
    ゾウさんとお散歩付きのコースもありました。

  • 普通はこんな感じで4〜5人にインストラクター1人です。<br /><br />後ろのボートからも水をかけられました。<br />私たちも掛け返したけど。<br />オール使ったのは水かけた時くらいかも。。。

    普通はこんな感じで4〜5人にインストラクター1人です。

    後ろのボートからも水をかけられました。
    私たちも掛け返したけど。
    オール使ったのは水かけた時くらいかも。。。

  • 結構込み合っている場所も。<br /><br />前のボートに激突して止まり、<br />後ろのボートに激突されます。<br />かなりの衝撃!

    結構込み合っている場所も。

    前のボートに激突して止まり、
    後ろのボートに激突されます。
    かなりの衝撃!

  • ちょっと見にくいけど、陸にはカメラを構えた写真隊が。<br /><br />写真を撮った後、バイクに跨り風のように去って行きます。<br />そして次のポイントで笛を吹きながら写真を撮ってまた去って行く。。。<br />彼らの日給がかなり気になりました。

    ちょっと見にくいけど、陸にはカメラを構えた写真隊が。

    写真を撮った後、バイクに跨り風のように去って行きます。
    そして次のポイントで笛を吹きながら写真を撮ってまた去って行く。。。
    彼らの日給がかなり気になりました。

  • ラフティングの後はバギーに。<br />バギーに乗るのは私たちだけっぽく、<br />草原の真ん中にポツンとある小屋で暫し休憩。<br /><br />目の前のフルーツは食べていいのかわからず、<br />恐る恐る手を伸ばす。。。<br /><br />ミニバナナが普通のバナナとちょっと違って<br />なんかおいしいかも!?

    ラフティングの後はバギーに。
    バギーに乗るのは私たちだけっぽく、
    草原の真ん中にポツンとある小屋で暫し休憩。

    目の前のフルーツは食べていいのかわからず、
    恐る恐る手を伸ばす。。。

    ミニバナナが普通のバナナとちょっと違って
    なんかおいしいかも!?

  • なんかすごくのどかな時間です。<br /><br />しばらく待ってるとバギー隊が到着。<br />乗ってた人みんな男性でした。<br />あんまり女性は乗らないのかなぁ。。<br />そして、思ったより大きいバギーにちょっと不安…。

    なんかすごくのどかな時間です。

    しばらく待ってるとバギー隊が到着。
    乗ってた人みんな男性でした。
    あんまり女性は乗らないのかなぁ。。
    そして、思ったより大きいバギーにちょっと不安…。

  • そしてバギーで出発!<br />かなり重くて運転難しーっ!!<br /><br />草むらに突っ込んじゃって身動きできなくなることも何度か。<br /><br />でも、一般道路は走りやすくって、風を感じて走るのはサイコーに気持ちいい!!<br />このオフロードなしで道路だけでよかったわ。。。

    そしてバギーで出発!
    かなり重くて運転難しーっ!!

    草むらに突っ込んじゃって身動きできなくなることも何度か。

    でも、一般道路は走りやすくって、風を感じて走るのはサイコーに気持ちいい!!
    このオフロードなしで道路だけでよかったわ。。。

  • 川もちょっとだけ走りました。

    川もちょっとだけ走りました。

  • ぬかるみにはまったのか、動けなくなり助けられる友人。<br />二人がかりで引っ張ってもらい、なんとか抜けれました。

    ぬかるみにはまったのか、動けなくなり助けられる友人。
    二人がかりで引っ張ってもらい、なんとか抜けれました。

  • 帰りにモンキーケイブに寄り道。<br /><br />実は動物が嫌いと言うか、苦手と言うか、恐いと言うか…。<br />ともかくダメな私。<br /><br />とりあえずバンから下りてはみたけど。。。

    帰りにモンキーケイブに寄り道。

    実は動物が嫌いと言うか、苦手と言うか、恐いと言うか…。
    ともかくダメな私。

    とりあえずバンから下りてはみたけど。。。

  • いたるところにいる猿、さる、サル!!<br />マジで無理です。<br /><br />ちょっと避難と思って、外れたところで座っていたら、<br />後ろにはクジャクが!鳥の方がもっと無理!!<br /><br />ちょっとした寺院っぽい建物があったので、<br />そっちに逃げたら今度は野良犬が!<br />犬もホント恐いんだってー!<br /><br />ドライバーさんにお願いして車に入れてもらいました。<br />本当に恐怖の時間でした。。。

    いたるところにいる猿、さる、サル!!
    マジで無理です。

    ちょっと避難と思って、外れたところで座っていたら、
    後ろにはクジャクが!鳥の方がもっと無理!!

    ちょっとした寺院っぽい建物があったので、
    そっちに逃げたら今度は野良犬が!
    犬もホント恐いんだってー!

    ドライバーさんにお願いして車に入れてもらいました。
    本当に恐怖の時間でした。。。

  • 3日目はダイビング。<br />ウエットスーツに着替えて、簡単なレッスンを受けて、<br />これから初ダイビングです。<br /><br />友人2人に1人のインストラクター。<br />そして私は1対1。<br />ラッキーなのかな!?

    3日目はダイビング。
    ウエットスーツに着替えて、簡単なレッスンを受けて、
    これから初ダイビングです。

    友人2人に1人のインストラクター。
    そして私は1対1。
    ラッキーなのかな!?

  • とりあえず、地上の景色はこんな感じです。

    とりあえず、地上の景色はこんな感じです。

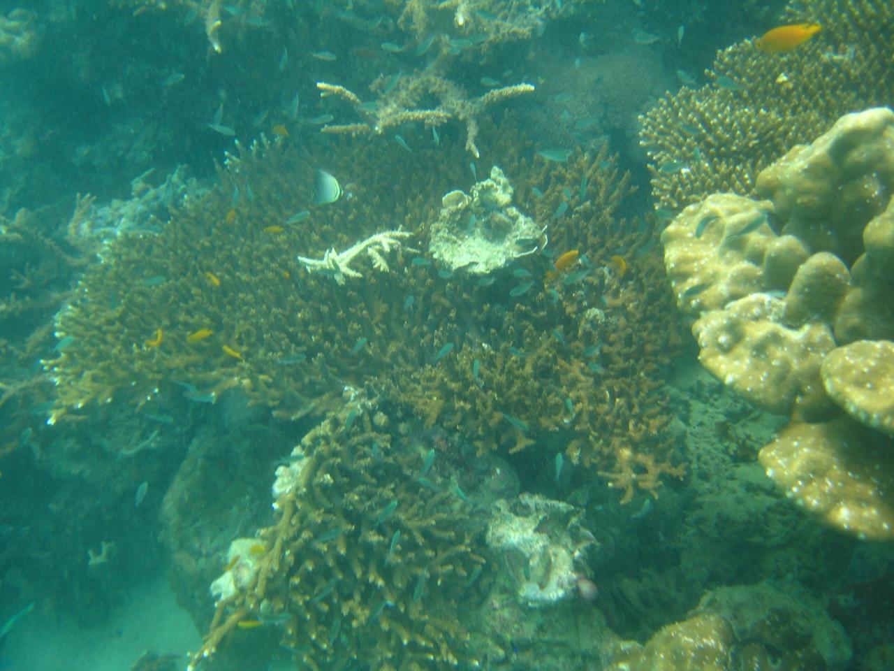
  • そして海の中。<br />めっちゃキレイです!<br />魚もいっぱい泳いでて、本当に感激!<br /><br />本当はもっとキレイなのに、<br />写真では写らないのが悔しい。。。

    そして海の中。
    めっちゃキレイです!
    魚もいっぱい泳いでて、本当に感激!

    本当はもっとキレイなのに、
    写真では写らないのが悔しい。。。

  • 見たことのない生物がいっぱい。<br /><br />インストラクターさんが後ろから肩を持って引っ張ってくれるので私は両手フリー。<br />なので写真撮りまくりでした。

    見たことのない生物がいっぱい。

    インストラクターさんが後ろから肩を持って引っ張ってくれるので私は両手フリー。
    なので写真撮りまくりでした。

  • インストラクターさんに撮ってもらった1枚。<br />ここに掴まって!と指された岩にしがみつくけど、<br />体がどんどん浮いていきそうに。<br /><br />ピースをしたら、とジェスチャーで言われたので、<br />片手を岩から離したら、こらえきれずに浮いて行っちゃいました。<br /><br />ちょっとだけ一人で海に。<br />すぐに助けに来てくれたけど、このまま彷徨っちゃったら恐いよな、とちょっと思ったり。

    インストラクターさんに撮ってもらった1枚。
    ここに掴まって!と指された岩にしがみつくけど、
    体がどんどん浮いていきそうに。

    ピースをしたら、とジェスチャーで言われたので、
    片手を岩から離したら、こらえきれずに浮いて行っちゃいました。

    ちょっとだけ一人で海に。
    すぐに助けに来てくれたけど、このまま彷徨っちゃったら恐いよな、とちょっと思ったり。

  • しばし海の中をご覧下さいな♪

    しばし海の中をご覧下さいな♪

  • かなり小っちゃいけどニモです!<br />カクレクマノミ。<br /><br />本当に小さくて、教えてもらわなかったら気付かなかった。

    かなり小っちゃいけどニモです!
    カクレクマノミ。

    本当に小さくて、教えてもらわなかったら気付かなかった。

  • 触っていいよ、とジェスチャーで示してくれたので、<br />ヒトデ(?)を持ってみました〜。

    触っていいよ、とジェスチャーで示してくれたので、
    ヒトデ(?)を持ってみました〜。

  • 途中で友たちにバッタリ会って記念写真。<br /><br />たぶんバッタリじゃなくって会わせてくれたんだけど。

    途中で友たちにバッタリ会って記念写真。

    たぶんバッタリじゃなくって会わせてくれたんだけど。

  • あっという間にダイビングは終了。<br />かなり楽しかった!<br />耳が痛くなることもなくって、絶対またやりたい!!

    あっという間にダイビングは終了。
    かなり楽しかった!
    耳が痛くなることもなくって、絶対またやりたい!!

  • ウエットスーツを脱いで、今度はシュノーケリングを。<br />海は相変わらずキレイだけど、<br />自分で泳ぐのがしんどい。。。

    ウエットスーツを脱いで、今度はシュノーケリングを。
    海は相変わらずキレイだけど、
    自分で泳ぐのがしんどい。。。

  • お昼ごはんを食べた後、こんな小船でマヤベイを目指します。<br /><br />かなり乗り物酔いする体質なので心配だったけど、<br />酔い止め飲んだからか、風を切って進んで気持ちよかったからか、全然酔いませんでした。<br />よかったー。

    お昼ごはんを食べた後、こんな小船でマヤベイを目指します。

    かなり乗り物酔いする体質なので心配だったけど、
    酔い止め飲んだからか、風を切って進んで気持ちよかったからか、全然酔いませんでした。
    よかったー。

  • 船の先端に座っているのが、私のインストラクターだった少年。<br /><br />陸に上がってビックリ!こんな若い子に手をと言うか、<br />肩を引かれて泳いでいたなんて。<br />大変お世話になりました。

    船の先端に座っているのが、私のインストラクターだった少年。

    陸に上がってビックリ!こんな若い子に手をと言うか、
    肩を引かれて泳いでいたなんて。
    大変お世話になりました。

  • こちらはかつて海賊の住処だった場所。<br />こんなところで生活してたなんて信じられん。。。

    こちらはかつて海賊の住処だった場所。
    こんなところで生活してたなんて信じられん。。。

  • マヤベイが見えてきました〜。<br /><br />ディカプリオ主演の「ザ・ビーチ」の舞台になった場所です。<br />撮影時は関係者以外立ち入り禁止になってたみたいで、<br />商売あがったりだった的なことを言ってました。。。

    マヤベイが見えてきました〜。

    ディカプリオ主演の「ザ・ビーチ」の舞台になった場所です。
    撮影時は関係者以外立ち入り禁止になってたみたいで、
    商売あがったりだった的なことを言ってました。。。

  • 見よ!この海水の透明度を!!

    見よ!この海水の透明度を!!

  • マヤベイは砂浜が真っ白で、海がとっても透き通っていてすっごくキレイな場所でした。<br /><br />時間がなくほんのちょっと滞在しただけだったのが本当に残念。<br /><br />あ〜っ、でもダイビング楽しかったなぁ。。。<br />またどっかのビーチで絶対したい!!<br /><br /><br /><br />「−ホテル&お食事編−」はこちらへ。<br />⇒http://4travel.jp/traveler/theta-piscium/album/10314437/

    マヤベイは砂浜が真っ白で、海がとっても透き通っていてすっごくキレイな場所でした。

    時間がなくほんのちょっと滞在しただけだったのが本当に残念。

    あ〜っ、でもダイビング楽しかったなぁ。。。
    またどっかのビーチで絶対したい!!



    「−ホテル&お食事編−」はこちらへ。
    http://4travel.jp/traveler/theta-piscium/album/10314437/

この旅行記のタグ

7いいね!

利用規約に違反している投稿は、報告する事ができます。 問題のある投稿を連絡する

コメントを投稿する前に

十分に確認の上、ご投稿ください。 コメントの内容は攻撃的ではなく、相手の気持ちに寄り添ったものになっていますか?

サイト共通ガイドライン(利用上のお願い)

報道機関・マスメディアの方へ 画像提供などに関するお問い合わせは、専用のお問い合わせフォームからお願いいたします。

旅の計画・記録

マイルに交換できるフォートラベルポイントが貯まる
フォートラベルポイントって?

タイで使うWi-Fiはレンタルしましたか?

フォートラベル GLOBAL WiFiなら
タイ最安 300円/日~

  • 空港で受取・返却可能
  • お得なポイントがたまる

タイの料金プランを見る

フォートラベル公式LINE@

おすすめの旅行記や旬な旅行情報、お得なキャンペーン情報をお届けします!
QRコードが読み取れない場合はID「@4travel」で検索してください。

\その他の公式SNSはこちら/

PAGE TOP