北マーレ環礁旅行記(ブログ) 一覧に戻る
午後のシュノーケル編です♪<br />我が家No.159の前から反時計回りでNo.110まで行きました。<br />少しずつ思い通りに写真が撮れてきて楽しかった(^o^)

モルディブ★エリヤドゥ8日間 6(9/15 3日目 PM)

2いいね!

2008/09/13 - 2008/09/20

691位(同エリア814件中)

0

60

sweetbean

sweetbeanさん

午後のシュノーケル編です♪
我が家No.159の前から反時計回りでNo.110まで行きました。
少しずつ思い通りに写真が撮れてきて楽しかった(^o^)

同行者
カップル・夫婦
一人あたり費用
20万円 - 25万円
航空会社
スリランカ航空
旅行の手配内容
ツアー(添乗員同行なし)
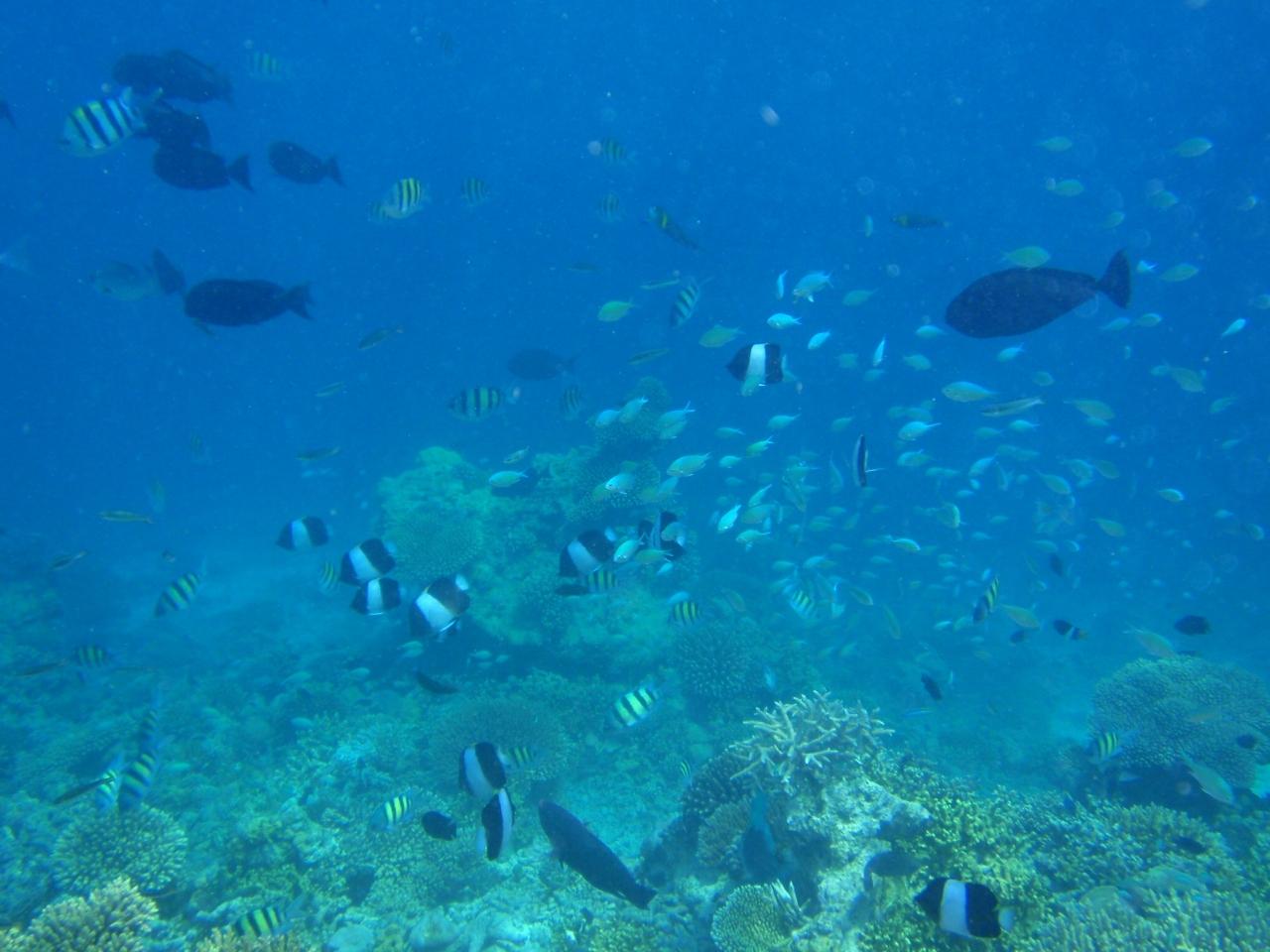
  • ブラックピラミッド・バタフライフィッシュ、<br />デバスズメダイ、オヤビッチャとよく見る黒いコ。<br />よく見た光景ですが、動きが早くて<br />なかなか鮮明には撮れません(^^;)<br />

    ブラックピラミッド・バタフライフィッシュ、
    デバスズメダイ、オヤビッチャとよく見る黒いコ。
    よく見た光景ですが、動きが早くて
    なかなか鮮明には撮れません(^^;)

  • また会えたね!(*^。^*)

    また会えたね!(*^。^*)

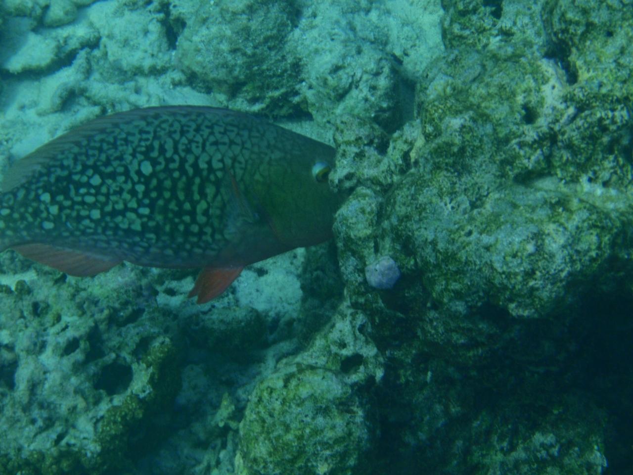
  • ブダイは大きくても怖くない♪

    ブダイは大きくても怖くない♪

  • 隠れちゃった。。

    隠れちゃった。。

  • このコ、ジーっと動かないので<br />大丈夫?って声かけたくなる。

    このコ、ジーっと動かないので
    大丈夫?って声かけたくなる。

  • 日が当たると青いのに<br />日陰だと全然違う色に見えるんだ〜。

    日が当たると青いのに
    日陰だと全然違う色に見えるんだ〜。

  • サンゴアイゴ?<br />いつもペアで仲良く泳いでいます。<br />目がメイクしてるみたいで<br />とっても可愛らしい♪<br />

    サンゴアイゴ?
    いつもペアで仲良く泳いでいます。
    目がメイクしてるみたいで
    とっても可愛らしい♪

  • パウダーブルーの目はやさしい目♪

    パウダーブルーの目はやさしい目♪

  • ニョロニョロはいつも桟橋にいます。

    ニョロニョロはいつも桟橋にいます。

  • ツバメウオは行く前から名前を覚え<br />会いたかったコです。

    ツバメウオは行く前から名前を覚え
    会いたかったコです。

  • ほんとにカメラに寄ってきてくれるんですね〜。

    ほんとにカメラに寄ってきてくれるんですね〜。

  • ちょっと寄りすぎでは・・。

    ちょっと寄りすぎでは・・。

  • こっち見てる?

    こっち見てる?

  • こんな白っぽいコも居ました。

    こんな白っぽいコも居ました。

  • 初対面にしては、なかなか良い感じで撮れて感謝♪

    初対面にしては、なかなか良い感じで撮れて感謝♪

  • ち、ちかいよ〜。

    ち、ちかいよ〜。

  • あぶないよぉ〜。

    あぶないよぉ〜。

  • そうそう、いい距離感だね。

    そうそう、いい距離感だね。

  • 10〜20匹くらいで群れてます。

    10〜20匹くらいで群れてます。

  • だ、だからね・・・。<br />近いよ・・・`s(・&#39;・;)

    だ、だからね・・・。
    近いよ・・・`s(・'・;)

  • ムスジコショウダイ♪<br />粘ったけれど、1匹は隠れっぱなしでした(*^^*ゞ

    ムスジコショウダイ♪
    粘ったけれど、1匹は隠れっぱなしでした(*^^*ゞ

  • いちご味のきのこの山みたい。

    いちご味のきのこの山みたい。

  • きれいな青いサンゴ。

    きれいな青いサンゴ。

  • 真っ青でキレイなお魚♪<br />名前はわかりません(*^^*ゞ

    真っ青でキレイなお魚♪
    名前はわかりません(*^^*ゞ

  • 別にナマコ好きではありませんが、<br />見るものすべてにシャッターを押してしまいます。

    別にナマコ好きではありませんが、
    見るものすべてにシャッターを押してしまいます。

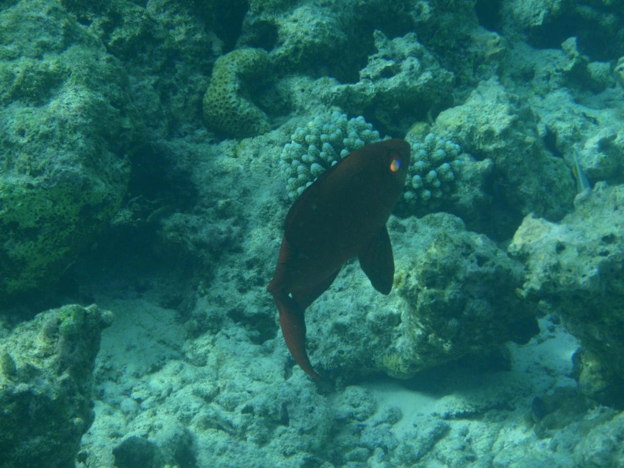
  • 美人さんと

    美人さんと

  • 男前!(*^^*)

    男前!(*^^*)

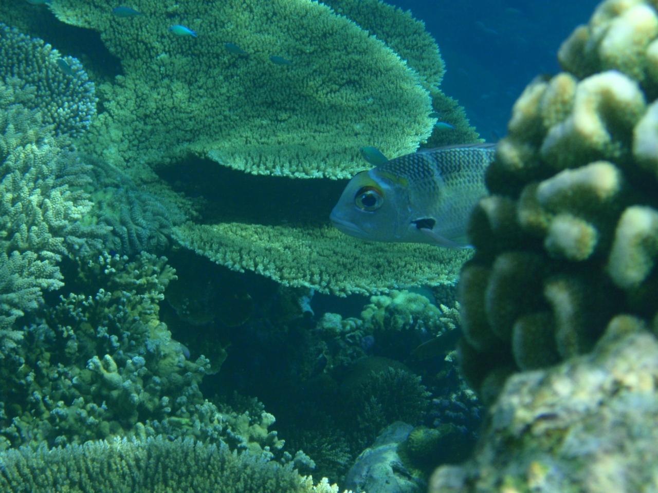
  • このコはよく見るのですが、<br />名前がわかりません。

    このコはよく見るのですが、
    名前がわかりません。

  • ニシキヤッコって言うんですね♪<br />○○ヤッコはたくさん居てなかなか覚えられない・・。

    ニシキヤッコって言うんですね♪
    ○○ヤッコはたくさん居てなかなか覚えられない・・。

  • ぴらぴらしててかわいい。

    ぴらぴらしててかわいい。

  • スイスイ泳いで行っちゃうので、<br />なかなか可愛く撮ってあげられません(ノ_・。)

    スイスイ泳いで行っちゃうので、
    なかなか可愛く撮ってあげられません(ノ_・。)

  • ゴマチョウチョウウオは点々があるから<br />名前覚えやすい♪

    ゴマチョウチョウウオは点々があるから
    名前覚えやすい♪

  • またもやゴマモンガラに遭遇!<br />でもこのコは子供だったので、<br />ちょっと近づいてみました。。

    またもやゴマモンガラに遭遇!
    でもこのコは子供だったので、
    ちょっと近づいてみました。。

  • かわいいもんです。でも油断は禁物。。

    かわいいもんです。でも油断は禁物。。

  • 浅瀬で会える、ムラサメモンガラ♪<br />この稚魚がエダサンゴに居て、<br />すっごく可愛かった(^。^)

    浅瀬で会える、ムラサメモンガラ♪
    この稚魚がエダサンゴに居て、
    すっごく可愛かった(^。^)

  • No.119から上がります。<br />ここはエントリーする人が少ないので<br />砂がキレイに模様を残してます(^。^)

    No.119から上がります。
    ここはエントリーする人が少ないので
    砂がキレイに模様を残してます(^。^)

  • 最後にエイ発見!

    最後にエイ発見!

  • 初日のお散歩でもここで見たので<br />この辺に住み着いているのかな。

    初日のお散歩でもここで見たので
    この辺に住み着いているのかな。

  • 夕方だからカニさんもお家へお帰り〜(^o^)/~

    夕方だからカニさんもお家へお帰り〜(^o^)/~

  • ちっちゃいけど、クッキリ撮れました♪

    ちっちゃいけど、クッキリ撮れました♪

  • さて、今日もハッピーアワーです♪<br />(^_^)/□☆□\(^_^ )

    さて、今日もハッピーアワーです♪
    (^_^)/□☆□\(^_^ )

  • メニューです。<br />出発前の調べより、値上がっているような気がします。<br />ビールは3$じゃなくなってます。

    メニューです。
    出発前の調べより、値上がっているような気がします。
    ビールは3$じゃなくなってます。

  • 昨日飲んだジュースがみなさんおすすめのものかと思ってたら勘違いでした。。<br />おすすめはフレッシュジュースではなく<br />ミルクシェイクだったようです。<br /><br />昨日は、ノンアルコールのメニューから<br />リキュールベースのを選んでしまいました。。<br /><br />気を取り直して、バナナミルクシェイクを注文♪<br />

    昨日飲んだジュースがみなさんおすすめのものかと思ってたら勘違いでした。。
    おすすめはフレッシュジュースではなく
    ミルクシェイクだったようです。

    昨日は、ノンアルコールのメニューから
    リキュールベースのを選んでしまいました。。

    気を取り直して、バナナミルクシェイクを注文♪

  • 空が赤く色づいてきました。

    空が赤く色づいてきました。

  • ほんとーーに、キレイヽ(´▽`)/

    ほんとーーに、キレイヽ(´▽`)/

  • 待ってました!♪ d(⌒o⌒)b♪<br /><br />ビールが先に来たので、<br />もぐん、待ちきれず・・(^^;)ゞ<br />ポップコーンもほぼ終わり、<br />持参のベビースターをツマミます♪

    待ってました!♪ d(⌒o⌒)b♪

    ビールが先に来たので、
    もぐん、待ちきれず・・(^^;)ゞ
    ポップコーンもほぼ終わり、
    持参のベビースターをツマミます♪

  • バナナミルク、激激ウマウマでした!!<br /><br />コーヒーショップのメニューなので、<br />25%OFFにはなりませんがおススメします。

    バナナミルク、激激ウマウマでした!!

    コーヒーショップのメニューなので、
    25%OFFにはなりませんがおススメします。

  • エリヤドゥ、今日も1日ありがとう!\(^o^)/

    エリヤドゥ、今日も1日ありがとう!\(^o^)/

  • 数字の「3」が出来ました♪

    数字の「3」が出来ました♪

  • 夜ご飯は、相変わらずおいしいカレーがメインでした♪<br />

    夜ご飯は、相変わらずおいしいカレーがメインでした♪

  • デザートは、ブルーベリーチーズケーキとティラミス、フルーツポンチのソースがけ♪<br />今日のソースはカスタードです。<br />とってもおいしいパイナップルが多めです(^^;)

    デザートは、ブルーベリーチーズケーキとティラミス、フルーツポンチのソースがけ♪
    今日のソースはカスタードです。
    とってもおいしいパイナップルが多めです(^^;)

  • 今夜のベッドはこんなメイキング〜(^-^)g<br />この後はずっとマンタみたいな形が続きました。。

    今夜のベッドはこんなメイキング〜(^-^)g
    この後はずっとマンタみたいな形が続きました。。

この旅行記のタグ

2いいね!

利用規約に違反している投稿は、報告する事ができます。 問題のある投稿を連絡する

コメントを投稿する前に

十分に確認の上、ご投稿ください。 コメントの内容は攻撃的ではなく、相手の気持ちに寄り添ったものになっていますか?

サイト共通ガイドライン(利用上のお願い)

報道機関・マスメディアの方へ 画像提供などに関するお問い合わせは、専用のお問い合わせフォームからお願いいたします。

旅の計画・記録

マイルに交換できるフォートラベルポイントが貯まる
フォートラベルポイントって?

モルディブで使うWi-Fiはレンタルしましたか?

フォートラベル GLOBAL WiFiなら
モルディブ最安 562円/日~

  • 空港で受取・返却可能
  • お得なポイントがたまる

モルディブの料金プランを見る

フォートラベル公式LINE@

おすすめの旅行記や旬な旅行情報、お得なキャンペーン情報をお届けします!
QRコードが読み取れない場合はID「@4travel」で検索してください。

\その他の公式SNSはこちら/

PAGE TOP